Sign in to use this feature.

Years

Between: -

Subjects

remove_circle_outline
remove_circle_outline
remove_circle_outline
remove_circle_outline
remove_circle_outline
remove_circle_outline
remove_circle_outline
remove_circle_outline
remove_circle_outline

Journals

remove_circle_outline
remove_circle_outline
remove_circle_outline
remove_circle_outline
remove_circle_outline
remove_circle_outline
remove_circle_outline
remove_circle_outline
remove_circle_outline
remove_circle_outline
remove_circle_outline
remove_circle_outline
remove_circle_outline
remove_circle_outline
remove_circle_outline
remove_circle_outline
remove_circle_outline

Article Types

Countries / Regions

remove_circle_outline
remove_circle_outline
remove_circle_outline
remove_circle_outline
remove_circle_outline
remove_circle_outline
remove_circle_outline

Search Results (1,866)

Search Parameters:
Keywords = small calculation time

Order results
Result details
Results per page
Select all
Export citation of selected articles as:
29 pages, 1567 KB  
Article
A Flexible Combinatorial Auction Algorithm (FCAA) for Multi-Task Collaborative Scheduling of Heterogeneous UAVs
by Leiming He, Xudong Gong, Jiangan Zheng, Yue Wang and Yunsen Cui
Drones 2025, 9(12), 870; https://doi.org/10.3390/drones9120870 - 16 Dec 2025
Abstract
To address the inefficiency of collaborative scheduling of heterogeneous Unmanned Aerial Vehicles under resource constraints, particularly in large-scale multi-tasking scenarios, an improved Flexible Combinatorial Auction Algorithm is proposed, leveraging the bidding mechanism of simultaneous ascending auctions. This algorithm is designed with a candidate [...] Read more.
To address the inefficiency of collaborative scheduling of heterogeneous Unmanned Aerial Vehicles under resource constraints, particularly in large-scale multi-tasking scenarios, an improved Flexible Combinatorial Auction Algorithm is proposed, leveraging the bidding mechanism of simultaneous ascending auctions. This algorithm is designed with a candidate solution generation mechanism and an addition mechanism, which collectively reduce the number of candidate solutions generated prior to combinatorial auctions. It allows tasks to flexibly combine resources and submit bids. By calculating each candidate solution’s benefit based on real-time resource prices, it dynamically adjusts their priorities to search for the overall optimal multi-task scheduling scheme. It effectively addresses the inability of traditional auction algorithms to dynamically form resource clusters via flexible resource combination to collaboratively complete tasks. Meanwhile, it overcomes the technical bottleneck that existing heuristic algorithms struggle to handle highly complex heterogeneous resource scheduling cases. Simulation experiments show that in small-scale multi-tasking scenarios, the FCAA achieves a scheduling success rate of over 88%, with the maximum solution benefit proportion reaching 83.9%; in multi-tasking scenarios, it achieves a scheduling success rate of 98%, with the maximum solution benefit proportion reaching 93%. Its time efficiency and solution quality are significantly superior to those of traditional algorithms, providing an efficient and stable solution for heterogeneous resource scheduling problems in complex operational environments. Full article
9 pages, 576 KB  
Communication
Measurement and Modeling of Residence Time Distribution in a G-06 ImhoflotTM Cell
by Ahmad Hassanzadeh, Mustafa Guner, Ekin Gungor, Doruk Drunesil and Asghar Azizi
Minerals 2025, 15(12), 1311; https://doi.org/10.3390/min15121311 - 16 Dec 2025
Abstract
Although intensified flotation cells have been introduced as fast-kinetic and plug-flow-type flotation machines, there is limited empirical verification and information about their fluid flow patterns and dispersion regimes. The present communication paper investigates this for an ImhoflotTM G-06 cell operated in an [...] Read more.
Although intensified flotation cells have been introduced as fast-kinetic and plug-flow-type flotation machines, there is limited empirical verification and information about their fluid flow patterns and dispersion regimes. The present communication paper investigates this for an ImhoflotTM G-06 cell operated in an open-circuit mode using an impulse method to measure and model the residence time of a liquid–gas system. For experimental measurements, a concentrated KCl solution was employed, and water conductivity was monitored for 20 min. By fitting several relevant models, such as large and small tanks in series (LSTS), Weller, N-Mixer, and perfect mixer, to the experimental data, it was revealed that the N-Mixer represented the dispersion pattern the best (N = 1.3–1.6). Further, the obtained practical mean retention time (MRT) of 4.11 ± 0.16 min was somewhat aligned with the theoretical value, i.e., 5.0 min per pass, indicating a back-calculated gas hold-up magnitude of 18%–22% in the separator. These results provide an in-depth perception of scale-up procedures and requirements for cell modification. Full article
(This article belongs to the Section Mineral Processing and Extractive Metallurgy)
Show Figures

Figure 1

40 pages, 1880 KB  
Article
Eyes on Prevention: An Eye-Tracking Analysis of Visual Attention Patterns in Breast Cancer Screening Ads
by Stefanos Balaskas, Ioanna Yfantidou and Dimitra Skandali
J. Eye Mov. Res. 2025, 18(6), 75; https://doi.org/10.3390/jemr18060075 - 13 Dec 2025
Viewed by 118
Abstract
Strong communication is central to the translation of breast cancer screening availability into uptake. This experiment tests the role of design features of screening advertisements in directing visual attention in screening-eligible women (≥40 years). To this end, a within-subjects eye-tracking experiment (N = [...] Read more.
Strong communication is central to the translation of breast cancer screening availability into uptake. This experiment tests the role of design features of screening advertisements in directing visual attention in screening-eligible women (≥40 years). To this end, a within-subjects eye-tracking experiment (N = 30) was conducted in which women viewed six static public service advertisements. Predefined Areas of Interest (AOIs), Text, Image/Visual, Symbol, Logo, Website/CTA, and Source/Authority—were annotated, and three standard measures were calculated: Time to First Fixation (TTFF), Fixation Count (FC), and Fixation Duration (FD). Analyses combined descriptive summaries with subgroup analyses using nonparametric methods and generalized linear mixed models (GLMMs) employing participant-level random intercepts. Within each category of stimuli, detected differences were small in magnitude yet trended towards few revisits in each category for the FC mode; TTFF and FD showed no significant differences across categories. Viewing data from the perspective of Areas of Interest (AOIs) highlighted pronounced individual differences. Narratives/efficacy text and dense icon/text callouts prolonged processing times, although institutional logos and abstract/anatomical symbols generally received brief treatment except when coupled with action-oriented communication triggers. TTFF timing also tended toward individual areas of interest aligned with the Scan-Then-Read strategy, in which smaller labels/sources/CTAs are exploited first in comparison with larger headlines/statistical text. Practically, screening messages should co-locate access and credibility information in early-attention areas and employ brief, fluent efficacy text to hold gaze. The study adds PSA-specific eye-tracking evidence for breast cancer screening and provides immediately testable design recommendations for programs in Greece and the EU. Full article
Show Figures

Graphical abstract

18 pages, 1560 KB  
Article
Transmission Line Bird Species Detection and Identification Based on Double Data Enhancement and Improvement of YOLOv8s
by Tao Xue, Dingyue Cheng, Tao Chen, Rui Zhao, Zhenhao Wang and Chong Wang
Appl. Sci. 2025, 15(24), 12953; https://doi.org/10.3390/app152412953 - 9 Dec 2025
Viewed by 117
Abstract
To address the challenge of bird species detection on transmission lines, this paper proposes a detection method based on dual data enhancement and an improved YOLOv8s model. The method aims to improve the accuracy of identifying small- and medium-sized targets in bird detection [...] Read more.
To address the challenge of bird species detection on transmission lines, this paper proposes a detection method based on dual data enhancement and an improved YOLOv8s model. The method aims to improve the accuracy of identifying small- and medium-sized targets in bird detection scenes on transmission lines, while also accounting for the impact of changing weather conditions. To address these issues, a dual data enhancement strategy is introduced. The model’s generalization ability in outdoor environments is enhanced by simulating various weather conditions, including sunny, cloudy, and foggy days, as well as halo effects. Additionally, an improved Mosaic augmentation technique is proposed, which incorporates target density calculation and adaptive scale stitching. Within the improved YOLOv8s architecture, the CBAM attention mechanism is embedded in the Backbone network, and BiFPN replaces the original Neck module to facilitate bidirectional feature extraction and fusion. Experimental results demonstrate that the proposed method achieves high detection accuracy for all bird species, with an average precision rate of 94.2%, a recall rate of 89.7%, and an mAP@50 of 94.2%. The model also maintains high inference speed, demonstrating potential for real-time detection requirements. Ablation and comparative experiments validate the effectiveness of the proposed model, confirming its suitability for edge deployment and its potential as an effective solution for bird species detection and identification on transmission lines. Full article
Show Figures

Figure 1

19 pages, 1759 KB  
Systematic Review
Long-Term Enzyme Replacement Therapy and Renal Outcomes in Fabry Disease: A Systematic Review and Meta-Analysis
by Chih-Yang Chen, Chun-Ting Li, Cheng-Jui Lin, Hong-Mou Shih, Shu-Jung Liu, Fang-Ju Sun and Chih-Jen Wu
Biomedicines 2025, 13(12), 2989; https://doi.org/10.3390/biomedicines13122989 - 5 Dec 2025
Viewed by 333
Abstract
Background: Fabry disease is a rare X-linked lysosomal storage disorder associated with progressive renal, cardiac, and neurological complications. Enzyme replacement therapy (ERT) has been the standard treatment for more than two decades, but its long-term impact on renal outcomes remains debated. Methods [...] Read more.
Background: Fabry disease is a rare X-linked lysosomal storage disorder associated with progressive renal, cardiac, and neurological complications. Enzyme replacement therapy (ERT) has been the standard treatment for more than two decades, but its long-term impact on renal outcomes remains debated. Methods: We conducted a systematic review and meta-analysis of studies reporting renal outcomes in Fabry patients under long-term follow-up, including both ERT-treated and untreated cohorts. Electronic databases were searched up to October 2023. Data were extracted on estimated glomerular filtration rate (eGFR) slope, proteinuria, and clinical events. Random-effects models were used to calculate pooled effect sizes, and subgroup analyses were performed by treatment status and baseline risk factors. Results: Sixteen studies involving 2191 patients were included. Pooled analyses demonstrated a significant decline in eGFR over time across Fabry cohorts. Crucially, baseline proteinuria was identified as a significant prognostic factor; male patients with baseline UPCR > 0.5 g/g experienced a significantly faster decline in eGFR compared to those with UPCR < 0.5 g/g (p = 0.011). While direct comparisons between ERT and non-ERT groups did not consistently reach statistical significance, trends suggested a slower decline in ERT-treated patients, particularly in those with preserved renal function and lower proteinuria. Patients with baseline eGFR < 60 mL/min/1.73 m2 had a significantly higher risk of clinical events compared with those with preserved renal function. Conclusions: Fabry patients experience progressive renal decline despite available therapies. Although direct comparisons between ERT and non-ERT groups did not consistently reach statistical significance, our quantitative analysis highlighted baseline proteinuria as a major determinant of renal trajectory. Patients with baseline UPCR > 0.5 g/g exhibited a significantly faster decline in eGFR, emphasizing the importance of early diagnosis and intervention before significant glomerular damage occurs. The limitations of the analysis include the small number of studies, heterogeneity in renal function definitions, exclusion of advanced kidney disease, and methodological constraints related to effect size reporting and risk-of-bias assessment. Full article
(This article belongs to the Section Molecular and Translational Medicine)
Show Figures

Graphical abstract

26 pages, 1043 KB  
Article
Global Existence and Large-Time Behavior for 3D Full Compressible Magneto-Micropolar System Without Heat Conductivity
by Yuxiao Pan, Heyu Wang and Mingyu Zhang
Axioms 2025, 14(12), 888; https://doi.org/10.3390/axioms14120888 - 30 Nov 2025
Viewed by 111
Abstract
The system of full compressible magneto-micropolar flows is discussed in 3D bounded domains with slip boundary conditions. Based on the energy method, after establishing some key a priori exponential decay-in-times rates of the strong solutions, we obtain both the global existence and exponential [...] Read more.
The system of full compressible magneto-micropolar flows is discussed in 3D bounded domains with slip boundary conditions. Based on the energy method, after establishing some key a priori exponential decay-in-times rates of the strong solutions, we obtain both the global existence and exponential stability of strong solutions. In particular, it should be pointed out that the estimates of (curlu,curlw)L2 and (divu,divw)L2 are established separately, which implies that the growth rate of (divu,divw) in L2 are faster than that of (curlu,curlw) under the condition that the diameter of the domain is suitably large. Compared with previous works, we no longer consider the pressure P as ρθ, but as variable in (x,t), and directly deal with PL2. Based on slip boundary conditions, we established the Lp-norm for the gradient of effective viscous flux, and the term PL2 can be controlled by (ut,wt,bt)L2. Through precise calculations, we found that (ut,wt,bt)L2 is dependent on PL2. Therefore, the smallness condition we propose does not depend on the Lr-norm of the density gradient, which means that density can contain large oscillations. Full article
(This article belongs to the Section Mathematical Physics)
20 pages, 5109 KB  
Article
Improvement of Fast Simulation Method of the Flow Field in Vertical-Axis Wind Turbine Wind Farms and Consideration of the Effects of Turbine Selection Order
by Md. Shameem Moral, Yutaka Hara and Yoshifumi Jodai
Energies 2025, 18(23), 6294; https://doi.org/10.3390/en18236294 - 29 Nov 2025
Viewed by 227
Abstract
To determine the optimal arrangement of vertical-axis wind turbines (VAWTs) within wind farms, we previously developed a technique (method-1) that constructs a flow field based on two-dimensional (2D) velocity data derived from computational fluid dynamics (CFD) simulations. In this study, we introduce an [...] Read more.
To determine the optimal arrangement of vertical-axis wind turbines (VAWTs) within wind farms, we previously developed a technique (method-1) that constructs a flow field based on two-dimensional (2D) velocity data derived from computational fluid dynamics (CFD) simulations. In this study, we introduce an improved approach (method-2), which follows the same fundamental concept as method-1 but incorporates a more efficient algorithm for generating the flow field. Comparative analyses confirmed that method-2 produces results equivalent to those of method-1 while significantly reducing computational time and cost. Method-2 reduces the computation time of method-1 by approximately 50% for parallel layouts (θ = 0°) and up to 60% for slanted layouts (θ = ±45°). Using method-2, we further investigated the performance of a wind farm composed of eight VAWT rotors arranged in a linear configuration under the assumption of a 2D flow. The results highlighted two important aspects. First, the predicted power output is unaffected by the order in which the flow fields are superimposed during calculation; second, the method exhibits high sensitivity to even small variations in rotor placement within the layout when the spacings between rotors are short. Additionally, we examined how rotor spacing affects the distribution of power generation across the rotor array. These findings of this study validate the efficiency of method-2 and offer practical insights for designing optimized VAWT layouts. Full article
Show Figures

Figure 1

17 pages, 11795 KB  
Article
3D Imaging of Proton FLASH Radiation Using a Multi-Detector Small Animal PET System
by Wen Li, Yuncheng Zhong, Youfang Lai, Lingshu Yin, Daniel Sforza, Devin Miles, Heng Li and Xun Jia
Tomography 2025, 11(12), 131; https://doi.org/10.3390/tomography11120131 - 26 Nov 2025
Viewed by 211
Abstract
Objectives: Ultra-high dose-rate FLASH radiotherapy has demonstrated strong potential in reducing normal tissue toxicity while maintaining effective tumor control. However, its underlying radiobiological mechanisms remain unclear, highlighting the need for novel approaches to probe the effects of radiation during and immediately after delivery. [...] Read more.
Objectives: Ultra-high dose-rate FLASH radiotherapy has demonstrated strong potential in reducing normal tissue toxicity while maintaining effective tumor control. However, its underlying radiobiological mechanisms remain unclear, highlighting the need for novel approaches to probe the effects of radiation during and immediately after delivery. This study presents the first exploration of 3D PET imaging of positron-emitting nuclei (PENs) generated by a FLASH proton beam. Methods: A home-built 12-panel preclinical small-animal PET system was employed for recording coincidence events. A 142.4 MeV FLASH proton beam with a 100 ms delivery time was directed into a solid water phantom. PET coincidence signals were recorded during the first 1 s and up to 11 min. The system’s capability for 3D localization was also assessed, and Monte Carlo simulations were performed for validation. Results: The PET system successfully recorded coincidence data within the first second, including the 100 ms beam delivery interval. Detector dead-time effects under the high beam flux were observed, leading to underestimated event counts. Following irradiation, the measured activity and decay behavior were consistent with simulations. The PET system accurately reconstructed the spatial distribution of PEN activities, with discrepancies in measured versus calculated line profiles ranging from 3.35–6.85%. Reconstructed PET images enabled reliable 3D localization with sub-millimeter accuracy in both lateral and depth dimensions. Conclusions: Our findings demonstrate that a multi-detector PET system is a promising tool for investigating the radiation effects of FLASH beams. Full article
Show Figures

Figure 1

23 pages, 4338 KB  
Article
Efficacy of Mini Wheel-Driven Sweet Potato Transplanting Machine for Mulched Raised Beds
by Tengfei He, Hu Liu, Yupeng Shi, Baoqing Wang, Hui Li, Xiuwen Zhang and Song Shi
Agriculture 2025, 15(23), 2434; https://doi.org/10.3390/agriculture15232434 - 25 Nov 2025
Viewed by 208
Abstract
The mechanized transplanting of sweet potato slips onto mulched raised beds in China’s Huang-Huai-Hai region faces significant challenges due to fragmented smallholder farms and the specific agronomic requirement of “boat-shaped” horizontal planting. To address this gap, this study aimed to develop a compact, [...] Read more.
The mechanized transplanting of sweet potato slips onto mulched raised beds in China’s Huang-Huai-Hai region faces significant challenges due to fragmented smallholder farms and the specific agronomic requirement of “boat-shaped” horizontal planting. To address this gap, this study aimed to develop a compact, cost-effective transplanter that meets the “boat-shaped” planting agronomy and adapts to small plots. We designed the 2CGX-1 mini wheel-driven transplanter coupled with a tractor. This machine features a compact chassis (<1.5 m length) for enhanced maneuverability on small plots, a novel five-bar taking-planting mechanism optimized for boat-shaped placement (achieving a stem-soil angle of 56.2° and planting depth of 110 mm), and an integrated spring buffer system. Transmission design ensures precise synchronization between the dual-chain seedling feeding mechanism and planting actions, allowing plant spacing adjustment from 18 to 30 cm. Coupled Adams–EDEM simulations demonstrated that the buffer system reduces maximum resistance on the clip fingers by 37.8% when encountering obstacles. Field validation under optimal parameters (0.55 km/h operating speed, 30 plants/min transplanting frequency) showed high consistency: average planting depth 101.3 mm (SD 1.38), plant spacing 330.3 mm (SD 11.24), seedling length under the film 185 mm (SD 3.65), and stem-soil angle 47.9° (SD 3.41), with qualification rates exceeding 91.9% for all key parameters except submerged length (82.5%). Compared with manual planting (≤0.1 ha/day per person, labor cost > ¥800/ha), this transplanter achieves a daily operational efficiency of ~0.35 ha/day (calculated by 0.55 km/h speed × 0.8 m working width × 8 h daily working time). Meanwhile, the consistency of its key planting indicators and the planting qualification rate are significantly superior to those of manual planting, while improving operational quality and significantly reducing labor cost input. Deviations in individual indicators mainly stem from planting positioning deviations induced by terrain undulations in hilly test areas, and sweet potato seedlings’ tendency to fall off during clamping due to mechanical vibration. However, these errors are within the acceptable agricultural operation range and do not compromise the machine’s overall compliance with agronomic requirements. The transplanter effectively meets agronomic requirements while offering a cost-effective, adapted solution for small-scale sweet potato production systems, significantly advancing mechanization capabilities for mulched cultivation. Full article
(This article belongs to the Section Agricultural Technology)
Show Figures

Figure 1

20 pages, 3020 KB  
Article
Orchard Variable-Rate Sprayer Using LiDAR-Based Canopy Volume Measurement
by Chao Zhang, Qiujie Li, Pengcheng Yuan and Hongping Zhou
Agronomy 2025, 15(12), 2709; https://doi.org/10.3390/agronomy15122709 - 25 Nov 2025
Viewed by 276
Abstract
This study developed and evaluated a LiDAR-based variable-rate orchard sprayer to address the inefficiency of traditional constant-rate application. The system dynamically adjusts pesticide output in real-time using a canopy volume calculation model and an adaptive delayed-spray mechanism, synchronized with LiDAR scans and travel [...] Read more.
This study developed and evaluated a LiDAR-based variable-rate orchard sprayer to address the inefficiency of traditional constant-rate application. The system dynamically adjusts pesticide output in real-time using a canopy volume calculation model and an adaptive delayed-spray mechanism, synchronized with LiDAR scans and travel speed. Experimental results demonstrated effective performance: the canopy volume estimation achieved a low overall error of 2.84%, enabling precise spray decision-making. The dosage control system showed an average error of 8.78%, and the adaptive system responded within 160 ms, distinguishing target gaps as small as 75 mm. Deposition tests confirmed uniform coverage within the canopy and minimal drift. The system proves to be a practical solution for significantly reducing pesticide use, operational costs, and environmental impact, marking a substantial advancement in precision orchard management. Full article
(This article belongs to the Special Issue Advances in Precision Pesticide Spraying Technology and Equipment)
Show Figures

Figure 1

19 pages, 1547 KB  
Article
BUNCH: A Hierarchical Filtering Algorithm for Identifying Persistent Entities in Interactive Particle Systems
by Mario Martinez-Saito
Algorithms 2025, 18(12), 741; https://doi.org/10.3390/a18120741 - 25 Nov 2025
Viewed by 208
Abstract
Detecting trajectories of hierarchical structures in a dynamical system of multiple interacting particles is an open problem that is typically addressed by imposing strong constraints on the structures to be found. Here, we describe BUNCH, a dynamical filtering algorithm that can efficiently and [...] Read more.
Detecting trajectories of hierarchical structures in a dynamical system of multiple interacting particles is an open problem that is typically addressed by imposing strong constraints on the structures to be found. Here, we describe BUNCH, a dynamical filtering algorithm that can efficiently and on-the-fly fit dynamical trajectories of multiple particles to a tree structure of Gaussian clusters that can model a wide range of hierarchically arranged structures, while extracting and calculating hierarchical properties such as complexity, lifespan, and other information- and time-based properties of an entity (an object defined by its structure) and of all of its constituting subentities. Unlike other (hierarchical) clustering algorithms, BUNCH emphasizes independence from adjustable parameters and ascribes equal importance to each hierarchy level and its attending attributes, of the tree of clusters that best fits an evolving particle system. We illustrate the performance of BUNCH via an operational definition of “lifeness” of an entity, as the product of its defining information (algorithmic complexity) integrated over its lifetime, in units of information × time. Thus we provide a proof of concept that measuring and quantifying level-wise properties of hierarchically modeled systems with BUNCH is feasible for small enough particle systems, thereby enabling the classification of entities and subentities via the measurement of hierarchical properties. Full article
Show Figures

Figure 1

26 pages, 1856 KB  
Article
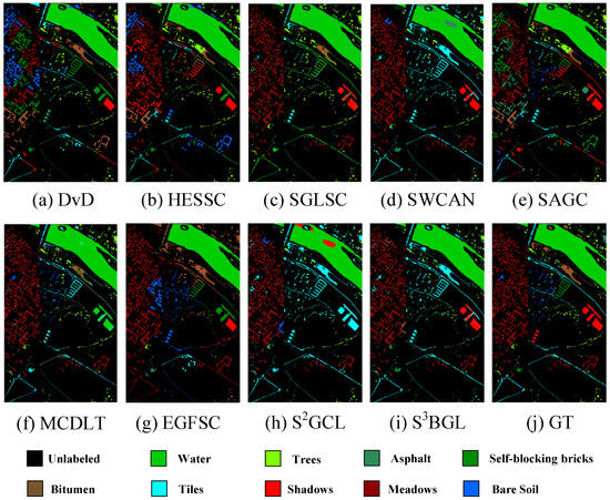
Spectral–Spatial Superpixel Bi-Stochastic Graph Learning for Large-Scale and High-Dimensional Hyperspectral Image Clustering
by Cheng Chen, Nian Wang, Shengming Wang, Jiping Cao, Tao Wang, Zhigao Cui and Yanzhao Su
Remote Sens. 2025, 17(23), 3799; https://doi.org/10.3390/rs17233799 - 23 Nov 2025
Viewed by 349
Abstract
Despite the substantial body of work that has achieved large-scale data expansion using anchor-based strategies, these methods incur linear complexity relative to the sample size during iterative processes, making them quite time-consuming. Moreover, as feature dimensionality reduction is often overlooked in this procedure, [...] Read more.
Despite the substantial body of work that has achieved large-scale data expansion using anchor-based strategies, these methods incur linear complexity relative to the sample size during iterative processes, making them quite time-consuming. Moreover, as feature dimensionality reduction is often overlooked in this procedure, most of them suffer from the “curse of dimensionality”. To address all these issues simultaneously, we introduce a novel paradigm with a superpixel encoding and data projecting strategy, which learns a small-scale bi-stochastic graph from the data matrix with large-scale pixels and high-dimensional spectral features to achieve effective clustering. Moreover, a symmetric neighbor search strategy is integrated into our framework to ensure the sparsity of graph and further improve the calculation efficiency. For optimization, a simple yet effective strategy is designed, which simultaneously satisfies all bi-stochastic constraints while ensuring convergence to the optimal solution. To validate our model’s effectiveness and scalability, we conduct extensive experiments on various-scale hyperspectral images (HSIs). The results demonstrate that our method achieves the state-of-the-art clustering performance, and can be better extended to large-scale and high-dimensional HSIs. Full article
(This article belongs to the Section Remote Sensing Image Processing)
Show Figures

Figure 1

14 pages, 2295 KB  
Article
Investigation of Microscopic Oil Flow Characteristics During Fracturing Fluid Invasion and Flowback in Shale Oil Reservoirs
by Yongqiang Zhang, Wei Fan, Chengwei Yang, Yao Lu, Yuanyuan Gao, Xiuyu Wang and Mei Li
Processes 2025, 13(12), 3780; https://doi.org/10.3390/pr13123780 - 23 Nov 2025
Viewed by 284
Abstract
After hydraulic fracturing of C shale formation, it is difficult to get stable production, and the flowback efficiency of fracturing fluid is low. In order to reveal the law of fracturing fluid invasion and flowback behavior and to investigate the microscopic characteristics of [...] Read more.
After hydraulic fracturing of C shale formation, it is difficult to get stable production, and the flowback efficiency of fracturing fluid is low. In order to reveal the law of fracturing fluid invasion and flowback behavior and to investigate the microscopic characteristics of its effect in improving the oil recovery factor, the experiments were innovatively carried out by using online Nuclear Magnetic Resonance (NMR) technology combined with huff-n-puff experiments using formulated fracturing fluid on two shale rocks, with the core inlet end representing the fractured surface in the reservoir. The dominant pores, Minimum Pore-Producing Radius (MPPR), and invasion depth for upper sweet-spot core (with smaller K and Φ) and lower sweet-spot core (with larger K and Φ) during fracturing fluid invasion and flowback were compared. The results show that small pores in upper sweet-spot core are the dominant pores, while mesopores are dominant in the lower sweet-spot core. The MPPR is 0.0087 μm and 0.024 μm, respectively, for the upper and lower sweet spot. As invasion pressure difference increases from 10 MPa to 20 MPa, the invasion depth of fracturing fluid into the upper sweet-spot core increases from 0.15 cm to 0.29 cm, and for the lower sweet-spot core it increases from 0.23 cm to 0.36 cm, about 1.2 times that of the upper core. Based on the similarity criterion, the formula for calculating on-site effective invasion depth of fracturing fluid Lf is derived, and it is approximately 0.46 m and 0.70 m in the upper and lower sweet spot after a 30-day well soaking. Based on experiments, the flowback efficiency of fracturing fluid is obtained, which is 23.6% in the upper sweet spot and 17.66% in the lower sweet spot. Imbibition tests were also performed for two shale core samples, and it is found that the imbibition recovery degree of the upper sweet-spot core is higher than that of the lower sweet-spot core. Dimensionless time calculated by using Ma’s model yields good fitting results for imbibition, and the soaking time is upscaled to reservoir conditions. The research results provide important reference for hydraulic fracturing practice and thus to improve the oil recovery factor in shale oil reservoirs. Full article
Show Figures

Figure 1

23 pages, 2063 KB  
Systematic Review
Temporal and Contextual Variations in Job Satisfaction Between Physicians and Nurses: A Systematic Review and Meta-Analysis
by Nazerke Narymbayeva, Maksut Kamaliev, Konrad Tomasz Juszkiewicz, Kuralay Kanafyanova, Sholpan Aliyeva, Nadira Aitambayeva, Laila Nazarova, Sharapat Moiynbayeva, Akylbek Saktapov and Shnara Svetlanova
Healthcare 2025, 13(23), 3008; https://doi.org/10.3390/healthcare13233008 - 21 Nov 2025
Viewed by 437
Abstract
Objectives: This systematic review and meta-analysis evaluated differences in job satisfaction scores between nurses and physicians, examining variation by (a) care setting (hospital, emergency department, outpatient, mixed), and (b) time period (pre-COVID, during COVID, post-COVID). Methods: We systematically searched PubMed, Scopus, [...] Read more.
Objectives: This systematic review and meta-analysis evaluated differences in job satisfaction scores between nurses and physicians, examining variation by (a) care setting (hospital, emergency department, outpatient, mixed), and (b) time period (pre-COVID, during COVID, post-COVID). Methods: We systematically searched PubMed, Scopus, ScienceDirect, Web of Science, and CINAHL for studies published between January 2020 and July 2025. Eligible studies reported mean and standard deviation values for job satisfaction among physicians and nurses in healthcare settings across the specified timeframes. Studies were excluded if they assessed other types of satisfaction or combined data across COVID periods. Pooled standardized mean difference (SMD) was calculated using random-effects models in R. Results: Before COVID-19, the SMD was −2.40 (95% CI −8.05 to 3.26; I2 = 98%). During the pandemic, the estimate was 1.39 (95% CI −0.57 to 3.35; I2 = 91.5%), and post-pandemic, it remained small (SMD = 0.29; 95% CI −1.63 to 2.22; I2 = 95.8%). Emergency care during COVID showed a significant advantage for physicians (SMD = 0.29; 95% CI 0.05 to 0.52; I2 = 0%). Post-COVID, mixed settings slightly favored physicians (SMD = 0.06), while primary care favored nurses (SMD = −0.30); subgroup differences were significant. Conclusions: The findings reveal that job satisfaction is not solely determined by professional role but is significantly influenced by temporal and contextual factors. Job satisfaction is shaped more by temporal and contextual factors than by professional role. While no consistent differences were observed pre-pandemic, emergency care favored physicians during COVID, and post-pandemic trends showed modest advantages for nurses in primary care and physicians in mixed settings. Due to the methodological limitations of this meta-analysis, including high heterogeneity, reliance on cross-sectional data, and very low/low certainty of evidence, these results should be interpreted with caution. Full article
Show Figures

Figure 1

23 pages, 1227 KB  
Article
Quantum Theory of Polarized Superlattice Optical Response: Faithful Reproduction of Nakamura’s Blue Laser Spectra
by Pedro Pereyra and Victor G. Ibarra-Sierra
Optics 2025, 6(4), 60; https://doi.org/10.3390/opt6040060 - 20 Nov 2025
Viewed by 192
Abstract
Earlier quantum calculations of the optical response of Nakamura’s blue laser diode, assuming Kronig–Penney-like band-edge profiles, omitted the effects of charge polarization, cladding-layer asymmetry, and recombination delay times, while such simplified model reproduces the overall emission structure, underestimates the spectral width and fails [...] Read more.
Earlier quantum calculations of the optical response of Nakamura’s blue laser diode, assuming Kronig–Penney-like band-edge profiles, omitted the effects of charge polarization, cladding-layer asymmetry, and recombination delay times, while such simplified model reproduces the overall emission structure, underestimates the spectral width and fails to capture the decrease in peak intensities at higher energies. Here, we present a detailed quantum theory of polarized-asymmetric superlattices that explicitly incorporates spontaneous and piezoelectric polarization, confining-layer asymmetry, and recombination lifetimes. Local Stark fields are modeled by linear band-edge potentials, and the corresponding Schrödinger equation is solved using Airy functions within the Theory of Finite Periodic Systems. This approach enables the exact calculation of subband eigenvalues, eigenfunctions, transition probabilities and optical spectra. We show that to faithfully reproduce Nakamura’s blue laser spectra, smaller effective masses must be considered, unless unrealistically small barrier heights and widths are assumed. Furthermore, by employing the time distribution of transition probabilities, we capture the energy dependence of recombination lifetimes and their influence on peak intensities. The resulting analysis reproduces the observed spectral broadening and peak-height evolution, while also providing estimates of the magnitude of the Stark effect and mean recombination lifetimes. Full article
(This article belongs to the Section Laser Sciences and Technology)
Show Figures

Figure 1

Back to TopTop