Effect of Al/Cu Ratio on Microstructure and High-Temperature Oxidation Resistance of AlxCoCrCuyFeNi High-Entropy Alloy Coatings
Abstract
1. Introduction
2. Materials and Methods
2.1. Experimental Materials and Preparation of Coating
2.2. Microstructure Characterization
2.3. Performance Tests
3. Results and Discussion
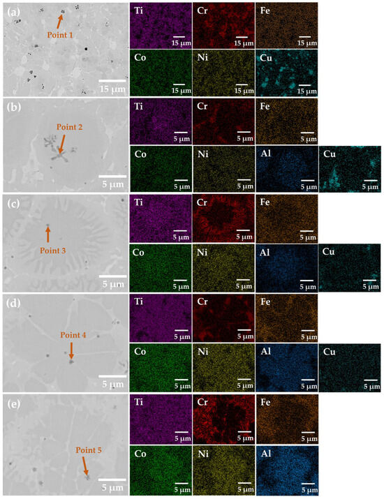
3.1. XRD Phase Analysis and Microstructure Analysis
3.2. Microhardness of the Coating and the Ti6Al4V Alloy Substrate
3.3. Oxidation Behavior
4. Conclusions
- The coatings are primarily composed of FCC, BCC, and Ti-rich Laves-reinforced phases. The Cu1.0 coating exhibits Co-Ni-Ti-rich FCC phases in the dendrites, Fe-Cr-rich BCC phases in the inter-dendrite regions, and Cu is concentrated at the grain boundaries to form Cu-rich phases (FCC2). The amount of Cu-rich phases decreases as the Cu content is reduced, and the FCC2 phases completely disappear when the Al content reaches 1.0. With the increase in the Al content, the negative mixing enthalpy between Ti and Al causes the FCC1 phases to transition from Co-Ni-Ti-rich to AlNi2Ti- or AlCo2Ti-rich phases.
- Compared to the Ti6Al4V alloy substrate, the solid solution strengthening induced by the doping of elements with larger atomic radii in the high-entropy alloy coatings, as well as the precipitation strengthening effect resulting from the diffusion of Ti from the substrate into the coatings, significantly increases the microhardness of the coatings. The microhardness of the AlxCoCrCuyFeNi HEA coatings is 2.01, 2.06, 2.08, 2.09, and 2.11 times that of the Ti6Al4V alloy substrate, respectively.
- The high-temperature oxidation resistance of the coating increases with the Al content, and the high-temperature oxidation resistance of the AlxCoCrCuyFeNi HEA coating is the best when x = 1.0. The oxidation weight gain is 0.098 mg·mm−2, which is only 35% of that observed for the Ti6Al4V alloy substrate. The Al element easily reacts with oxygen to generate a continuous and dense Al2O3 film under high-temperature conditions, effectively preventing the high-temperature oxidation behavior of the substrate. Additionally, Cr atoms diffuse outward through the pores at the interface between the Al2O3 layer and the substrate, as well as through the oxide layer, promoting the formation of Cr2O3. As oxidation progresses, the formation of a Cr2O3-rich oxide layer in the steady-state stage impedes the further oxidation of the coating.
Author Contributions
Funding
Data Availability Statement
Acknowledgments
Conflicts of Interest
References
- Kumar, A.; Singh, G. Surface modification of Ti6Al4V alloy via advanced coatings: Mechanical, tribological, corrosion, wetting, and biocompatibility studies. J. Alloys Compd. 2024, 989, 174418. [Google Scholar] [CrossRef]
- Li, S.; Yamaguchi, T. High-temperature oxidation performance of laser-cladded amorphous TiNiSiCrCoAl high-entropy alloy coating on Ti-6Al-4V surface. Surf. Coat. Technol. 2022, 433, 128123. [Google Scholar] [CrossRef]
- Zhang, K.; Li, B.; Liu, W.; Liu, W.; Wang, W.; Wang, H.; Bian, H. Influences of friction stir processing on the microstructure and properties of TC4 titanium alloy by laser metal deposition. J. Alloys Compd. 2024, 1008, 176769. [Google Scholar] [CrossRef]
- Han, X.; Ma, J.; Tian, A.; Wang, Y.; Li, Y.; Dong, B.; Tong, X.; Ma, X. Surface modification techniques of titanium and titanium alloys for biomedical orthopaedics applications: A review. Colloids Surf. B Biointerfaces 2023, 227, 113339. [Google Scholar] [CrossRef]
- Ren, Y.; Wu, H.; Liu, B.; Liu, Y.; Guo, S.; Jiao, Z.B.; Baker, I. A comparative study on microstructure, nanomechanical and corrosion behaviors of AlCoCuFeNi high entropy alloys fabricated by selective laser melting and laser metal deposition. J. Mater. Sci. Technol. 2022, 131, 221–230. [Google Scholar] [CrossRef]
- Xie, Y.; Wen, X.; Yan, J.; Huang, B.; Zhuang, J. Microstructure and wear resistance of AlCoCrFeNiCuSnX high-entropy alloy coatings by plasma cladding. Vacuum 2023, 214, 112176. [Google Scholar] [CrossRef]
- Korobov, Y.; Antonov, M.; Astafiev, V.; Brodova, I.; Kutaev, V.; Estemirova, S.; Devyatyarov, M.; Okulov, A. Erosion Wear Behavior of HVAF-Sprayed WC/Cr3C2-Based Cermet and Martensitic Stainless Steel Coatings on AlSi7Mg0.3 Alloy: A Comparative Study. J. Manuf. Mater. Process 2024, 8, 231. [Google Scholar] [CrossRef]
- Qadir, D.; Sharif, R.; Nasir, R.; Awad, A.; Mannan, H.A. A review on coatings through thermal spraying. Chem. Pap. 2023, 78, 71–91. [Google Scholar] [CrossRef]
- Ahmed, A.; Mhaede, M.; Wollmann, M.; Wagner, L. Characteristics of sintered HA coating deposited by chemical method on AISI 316L substrate. Mater. Des. 2015, 76, 9–17. [Google Scholar] [CrossRef]
- He, X.; Zhang, H.; Wu, Y.; Yang, T.; Li, R.; Nong, Z.; Cui, X. Research progress on effects of additives and pre- and post-treatment processes on corrosion resistance of micro-arc oxidation coatings on titanium and its alloys. Int. J. Electrochem. Sci. 2024, 19, 100836. [Google Scholar] [CrossRef]
- Wu, H.; Wu, Y.; Yan, M.; Tu, B.; Li, Y. Microstructure and mechanical properties of surface coating prepared on grade 2 titanium by Ni-B composite electroplating and laser cladding. Opt. Laser Technol. 2023, 164, 109498. [Google Scholar] [CrossRef]
- Xiang, Y.; Zou, C. Effect of Arc Currents on the Mechanical, High Temperature Oxidation and Corrosion Properties of CrSiN Nanocomposite Coatings. Coatings 2021, 12, 40. [Google Scholar] [CrossRef]
- Ma, Q.; Zhang, H.; Lv, Y.; Song, C.; Guo, N.; Xiao, G.; Zhao, W. Microstructure and properties of W0.5Ta0.3MoNbVAlTi1-xZrx high entropy alloy coatings by laser cladding on the surface of 45# steel. Ceram. Int. 2023, 49, 36416–36428. [Google Scholar] [CrossRef]
- Zhu, L.; Xue, P.; Lan, Q.; Meng, G.; Ren, Y.; Yang, Z.; Xu, P.; Liu, Z. Recent research and development status of laser cladding: A review. Opt. Laser Technol. 2021, 138, 106915. [Google Scholar] [CrossRef]
- Zhao, H.; Zhao, C.; Xie, W.; Wu, D.; Du, B.; Zhang, X.; Wen, M.; Ma, R.; Li, R.; Jiao, J.; et al. Research Progress of Laser Cladding on the Surface of Titanium and Its Alloys. Materials 2023, 16, 3250. [Google Scholar] [CrossRef]
- Zhang, Y.; Liu, Z.; Lv, Z.; Cao, J.; Tong, Y.; Sun, M.; Cui, C.; Wang, X. Effect of SiC and TiC content on microstructure and wear behavior of Ni-based composite coating manufactured by laser cladding on Ti–6Al–4V. Wear 2024, 552–553, 205431. [Google Scholar] [CrossRef]
- Meng, Q.; Geng, L.; Ni, D. Laser cladding NiCoCrAlY coating on Ti-6Al-4V. Mater. Lett. 2005, 59, 2774–2777. [Google Scholar] [CrossRef]
- Liu, X.-B.; Yu, R.-L. Microstructure and high-temperature wear and oxidation resistance of laser clad γ/W2C/TiC composite coatings on γ-TiAl intermetallic alloy. J. Alloys Compd. 2007, 439, 279–286. [Google Scholar] [CrossRef]
- Kooi, B.J.; Pei, Y.T.; De Hosson, J.T.M. The evolution of microstructure in a laser clad TiB–Ti composite coating. Acta Mater. 2003, 51, 831–845. [Google Scholar] [CrossRef]
- Barbatti, C.; Garcia, J.; Brito, P.; Pyzalla, A.R. Influence of WC replacement by TiC and (Ta,Nb)C on the oxidation resistance of Co-based cemented carbides. Int. J. Refract. Met. Hard Mat. 2009, 27, 768–776. [Google Scholar] [CrossRef]
- Yang, X.; Wang, L.; Gao, Z.; Wang, Q.; Du, M.; Zhan, X. WC distribution, microstructure evolution mechanism and microhardness of a developed Ti-6Al-4 V/WC MMC coating fabricated by laser cladding. Opt. Laser Technol. 2022, 153, 108232. [Google Scholar] [CrossRef]
- Li, J.; Cui, X.; Guan, Y.; Wan, S.; Jin, G.; Zheng, W.; Su, W. Enhancing coating performance: Design and characterization of a Ti-Al-Si-Cr-SiC system coating using ultrasonic and rare earth assisted laser cladding. Mater. Charact. 2024, 210, 113823. [Google Scholar] [CrossRef]
- Das, A.K. Effect of rare earth oxide additive in coating deposited by laser cladding: A review. Mater. Today Proc. 2022, 52, 1558–1564. [Google Scholar] [CrossRef]
- Yeh, J.-W.; Chen, S.-K.; Lin, S.-J.; Gan, J.-Y.; Chin, T.-S.; Shun, T.-T.; Tsau, C.-H.; Chang, S.-Y. Nanostructured High-Entropy Alloys with Multiple Principal Elements: Novel Alloy Design Concepts and Outcomes. Adv. Eng. Mater. 2004, 6, 299–303. [Google Scholar] [CrossRef]
- Diao, H.Y.; Feng, R.; Dahmen, K.A.; Liaw, P.K. Fundamental deformation behavior in high-entropy alloys: An overview. Curr. Opin. Solid State Mat. Sci. 2017, 21, 252–266. [Google Scholar] [CrossRef]
- Tokarewicz, M.; Grądzka-Dahlke, M. Review of Recent Research on AlCoCrFeNi High-Entropy Alloy. Metals 2021, 11, 1302. [Google Scholar] [CrossRef]
- Dąbrowa, J.; Cieślak, G.; Stygar, M.; Mroczka, K.; Berent, K.; Kulik, T.; Danielewski, M. Influence of Cu content on high temperature oxidation behavior of AlCoCrCuxFeNi high entropy alloys (x = 0; 0.5; 1). Intermetallics 2017, 84, 52–61. [Google Scholar] [CrossRef]
- Guo, S.; Liu, C.T. Phase stability in high entropy alloys: Formation of solid-solution phase or amorphous phase. Prog. Nat. Sci. Mater. Int. 2011, 21, 433–446. [Google Scholar] [CrossRef]
- Miracle, D.B.; Senkov, O.N. A critical review of high entropy alloys and related concepts. Acta Mater. 2017, 122, 448–511. [Google Scholar] [CrossRef]
- Du, X.; Du, Z.; Cao, J.; Zhang, S.; Gong, T.; Sun, B.; Zhang, C.; Huo, R.; Liu, J.; Cheng, J. Enhance the mechanical properties of CoCrFeNi high entropy alloy: Rare-earth element Gd was employed as a “cladding structure” to refine grains. Mater. Today Commun. 2024, 41, 110732. [Google Scholar] [CrossRef]
- Zhang, S.; Sun, Y.; Cheng, W.; Chen, Y.; Gu, J. High temperature oxidation behavior of CoCrFeNiMo0.2 high-entropy alloy coatings produced by laser cladding. Mater. Today Commun. 2024, 39, 108639. [Google Scholar] [CrossRef]
- Zhu, Z.-X.; Liu, X.-B.; Liu, Y.-F.; Zhang, S.-Y.; Meng, Y.; Zhou, H.-B.; Zhang, S.-H. Effects of Cu/Si on the microstructure and tribological properties of FeCoCrNi high entropy alloy coating by laser cladding. Wear 2023, 512–513, 204533. [Google Scholar] [CrossRef]
- Ye, Y.F.; Wang, Q.; Lu, J.; Liu, C.T.; Yang, Y. High-entropy alloy: Challenges and prospects. Mater. Today 2016, 19, 349–362. [Google Scholar] [CrossRef]
- Butler, T.M.; Weaver, M.L. Oxidation behavior of arc melted AlCoCrFeNi multi-component high-entropy alloys. J. Alloys Compd. 2016, 674, 229–244. [Google Scholar] [CrossRef]
- Qin, L.; Ren, P.; Yi, Y.; Xie, T.; Hu, Y.; Chen, D.; Zhou, S. Effect of Al2O3 content on the high-temperature oxidation behaviour of CoCrAlYTa coatings produced by laser-induction hybrid cladding. Corros. Sci. 2022, 209, 110739. [Google Scholar] [CrossRef]
- Wang, S.; Chen, Z.; Zhang, P.; Zhang, K.; Chen, C.L.; Shen, B.L. Influence of Al content on high temperature oxidation behavior of AlxCoCrFeNiTi0.5 high entropy alloys. Vacuum 2019, 163, 263–268. [Google Scholar] [CrossRef]
- Huang, C.; Zhang, Y.; Shen, J.; Vilar, R. Thermal stability and oxidation resistance of laser clad TiVCrAlSi high entropy alloy coatings on Ti–6Al–4V alloy. Surf. Coat. Technol. 2011, 206, 1389–1395. [Google Scholar] [CrossRef]
- Zhang, H.X.; Dai, J.J.; Sun, C.X.; Li, S.Y. Microstructure and wear resistance of TiAlNiSiV high-entropy laser cladding coating on Ti-6Al-4V. J. Mater. Process. Technol. 2020, 282, 116671. [Google Scholar] [CrossRef]
- Geng, H.; Shen, J.; Hu, S.; Zhang, F.; Geng, K. Microstructure, corrosion and wear behavior of (AlCu)3.5CoCrNiFe and (AlCu)3.5CoCrNiTi high entropy alloy coatings prepared by laser cladding on AZ91 magnesium alloy. J. Mater. Process Technol. 2024, 30, 3383–3393. [Google Scholar] [CrossRef]
- Yeh, J.-W.; Chang, S.-Y.; Hong, Y.-D.; Chen, S.-K.; Lin, S.-J. Anomalous decrease in X-ray diffraction intensities of Cu–Ni–Al–Co–Cr–Fe–Si alloy systems with multi-principal elements. Mater. Chem. Phys. 2007, 103, 41–46. [Google Scholar] [CrossRef]
- Li, Y.; Shi, Y. Phase assemblage and properties of laser cladded TixCrFeCoNiCu high-entropy alloy coating on aluminum. Mater. Res. Express 2020, 7, 036519. [Google Scholar] [CrossRef]
- Hao, X.; Liu, H.; Zhang, X.; Tao, J.; Wang, Y.; Yang, C.; Liu, Y. Microstructure and wear resistance of in-situ TiN/(Nb, Ti)5Si3 reinforced MoNbTaWTi-based refractory high entropy alloy composite coatings by laser cladding. Appl. Surf. Sci. 2023, 626, 157240. [Google Scholar] [CrossRef]
- Jiang, Y.Q.; Li, J.; Juan, Y.F.; Lu, Z.J.; Jia, W.L. Evolution in microstructure and corrosion behavior of AlCoCrxFeNi high-entropy alloy coatings fabricated by laser cladding. J. Alloys Compd. 2019, 775, 1–14. [Google Scholar] [CrossRef]
- Huang, Y. Characterization of dilution action in laser-induction hybrid cladding. Opt. Laser Technol. 2011, 43, 965–973. [Google Scholar] [CrossRef]
- Li, K.; Chen, W. Recent progress in high-entropy alloys for catalysts: Synthesis, applications, and prospects. Mater. Today Energy 2021, 20, 100638. [Google Scholar] [CrossRef]
- Yi, H.; Yang, X.; Yang, Y.; Yin, B.; Hu, J.; Liang, M.; Yue, J.; Yin, F. New insights in the oxidation behavior of (FeCoCrNi)94Al4Ti2Si high entropy alloys at 1100 °C. Corros. Sci. 2024, 227, 111673. [Google Scholar] [CrossRef]
- Yu, K.; Zhao, W.; Li, Z.; Guo, N.; Xiao, G.; Zhang, H. High-temperature oxidation behavior and corrosion resistance of in-situ TiC and Mo reinforced AlCoCrFeNi-based high entropy alloy coatings by laser cladding. Ceram. Int. 2023, 49, 10151–10164. [Google Scholar] [CrossRef]
- Chen, G.; Yang, H.; Sun, H.; Wang, F.; Wang, H.; Kong, Q.; An, X.; Zhang, Y.; Wang, J. Exploring the high-temperature steam oxidation behaviors of the lean-Cr (7–10 wt%) FeCrAl alloys. Corros. Sci. 2022, 194, 109927. [Google Scholar] [CrossRef]
- Tsai, K.Y.; Tsai, M.H.; Yeh, J.W. Sluggish diffusion in Co–Cr–Fe–Mn–Ni high-entropy alloys. Acta Mater. 2013, 61, 4887–4897. [Google Scholar] [CrossRef]
- Dąbrowa, J.; Kucza, W.; Cieślak, G.; Kulik, T.; Danielewski, M.; Yeh, J.-W. Interdiffusion in the FCC-structured Al-Co-Cr-Fe-Ni high entropy alloys: Experimental studies and numerical simulations. J. Alloys Compd. 2016, 674, 455–462. [Google Scholar] [CrossRef]
- Sun, D.; Cai, Y.; Zhu, L.; Gao, F.; Shan, M.; Manladan, S.M.; Geng, K.; Han, J.; Jiang, Z. High-temperature oxidation and wear properties of TiC-reinforced CrMnFeCoNi high entropy alloy composite coatings produced by laser cladding. Surf. Coat. Technol. 2022, 438, 128407. [Google Scholar] [CrossRef]












| Groups | Ratios | Al/ Cu | Simplified |
|---|---|---|---|
| 1 | CoCrCuFeNi | 0:1 | Cu1.0 |
| 2 | Al0.3CoCrCu0.7FeNi | 0.3:0.7 | Cu0.7Al0.3 |
| 3 | Al0.5CoCrCu0.5FeNi | 0.5:0.5 | Cu0.5Al0.5 |
| 4 | Al0.7CoCrCu0.3FeNi | 0.7:0.3 | Cu0.3Al0.7 |
| 5 | AlCoCrFeNi | 1:0 | Al1.0 |
| Points | Elements (at. %) | ||||||
|---|---|---|---|---|---|---|---|
| Al | Co | Cr | Cu | Fe | Ni | Ti | |
| 1 | - | 14.5 | 10.6 | 10.4 | 11.5 | 18.0 | 35.0 |
| 2 | 8.1 | 10.8 | 3.9 | 3.9 | 5.8 | 10.3 | 57.3 |
| 3 | 14.0 | 14.9 | 7.4 | 3.3 | 9.0 | 15.1 | 36.4 |
| 4 | 29.2 | 11.0 | 6.9 | 2.1 | 7.7 | 10.2 | 32.8 |
| 5 | 22.7 | 13.6 | 6.0 | - | 8.0 | 12.2 | 37.4 |
| Elements | Enthalpy (kJ·mol−1) | ||||||
|---|---|---|---|---|---|---|---|
| Al | Co | Cr | Fe | Ni | Cu | Ti | |
| Al | - | −19 | −10 | −11 | −22 | −1 | −30 |
| Co | - | - | −4 | −1 | 0 | 6 | −28 |
| Cr | - | - | - | −1 | −7 | 12 | −7 |
| Fe | - | - | - | - | −2 | 13 | −17 |
| Ni | - | - | - | - | - | 4 | −35 |
| Cu | - | - | - | - | - | - | 4 |
| Ti | - | - | - | - | - | - | - |
Disclaimer/Publisher’s Note: The statements, opinions and data contained in all publications are solely those of the individual author(s) and contributor(s) and not of MDPI and/or the editor(s). MDPI and/or the editor(s) disclaim responsibility for any injury to people or property resulting from any ideas, methods, instructions or products referred to in the content. |
© 2025 by the authors. Licensee MDPI, Basel, Switzerland. This article is an open access article distributed under the terms and conditions of the Creative Commons Attribution (CC BY) license (https://creativecommons.org/licenses/by/4.0/).
Share and Cite
Zhou, L.; Liu, H.; Zhang, Q.; Liang, J.; Peng, Y.; Hao, X.; Yang, C.; Liu, Y.; Wang, Y. Effect of Al/Cu Ratio on Microstructure and High-Temperature Oxidation Resistance of AlxCoCrCuyFeNi High-Entropy Alloy Coatings. J. Manuf. Mater. Process. 2025, 9, 13. https://doi.org/10.3390/jmmp9010013
Zhou L, Liu H, Zhang Q, Liang J, Peng Y, Hao X, Yang C, Liu Y, Wang Y. Effect of Al/Cu Ratio on Microstructure and High-Temperature Oxidation Resistance of AlxCoCrCuyFeNi High-Entropy Alloy Coatings. Journal of Manufacturing and Materials Processing. 2025; 9(1):13. https://doi.org/10.3390/jmmp9010013
Chicago/Turabian StyleZhou, Ling, Hongxi Liu, Qinghua Zhang, Jiazhu Liang, Yuanrun Peng, Xuanhong Hao, Chen Yang, Yaxia Liu, and Yueyi Wang. 2025. "Effect of Al/Cu Ratio on Microstructure and High-Temperature Oxidation Resistance of AlxCoCrCuyFeNi High-Entropy Alloy Coatings" Journal of Manufacturing and Materials Processing 9, no. 1: 13. https://doi.org/10.3390/jmmp9010013
APA StyleZhou, L., Liu, H., Zhang, Q., Liang, J., Peng, Y., Hao, X., Yang, C., Liu, Y., & Wang, Y. (2025). Effect of Al/Cu Ratio on Microstructure and High-Temperature Oxidation Resistance of AlxCoCrCuyFeNi High-Entropy Alloy Coatings. Journal of Manufacturing and Materials Processing, 9(1), 13. https://doi.org/10.3390/jmmp9010013

