Construction of a Colorimetric and Near-Infrared Ratiometric Fluorescent Sensor and Portable Sensing System for On-Site Quantitative Measurement of Sulfite in Food
Abstract
1. Introduction
2. Materials and Methods
2.1. Materials and Reagents
2.2. Sensor Synthesis and Characterization
2.3. Quantitative Measurements of Sulfite in Red Wine and Sugar by Fluorescence Spectra
2.4. On-Site Quantitative Measurement of Sulfite in Tomato Leaves by Sensor CY in Combination with Self-Made Portable Sensing System
3. Results
3.1. Optical Responses of Sensor CY to Sulfite
3.2. The Fluorescence Sensing Mechanism of the Sensor toward Sulfite
3.3. Detection of Sulfite in Red Wine and Sugar
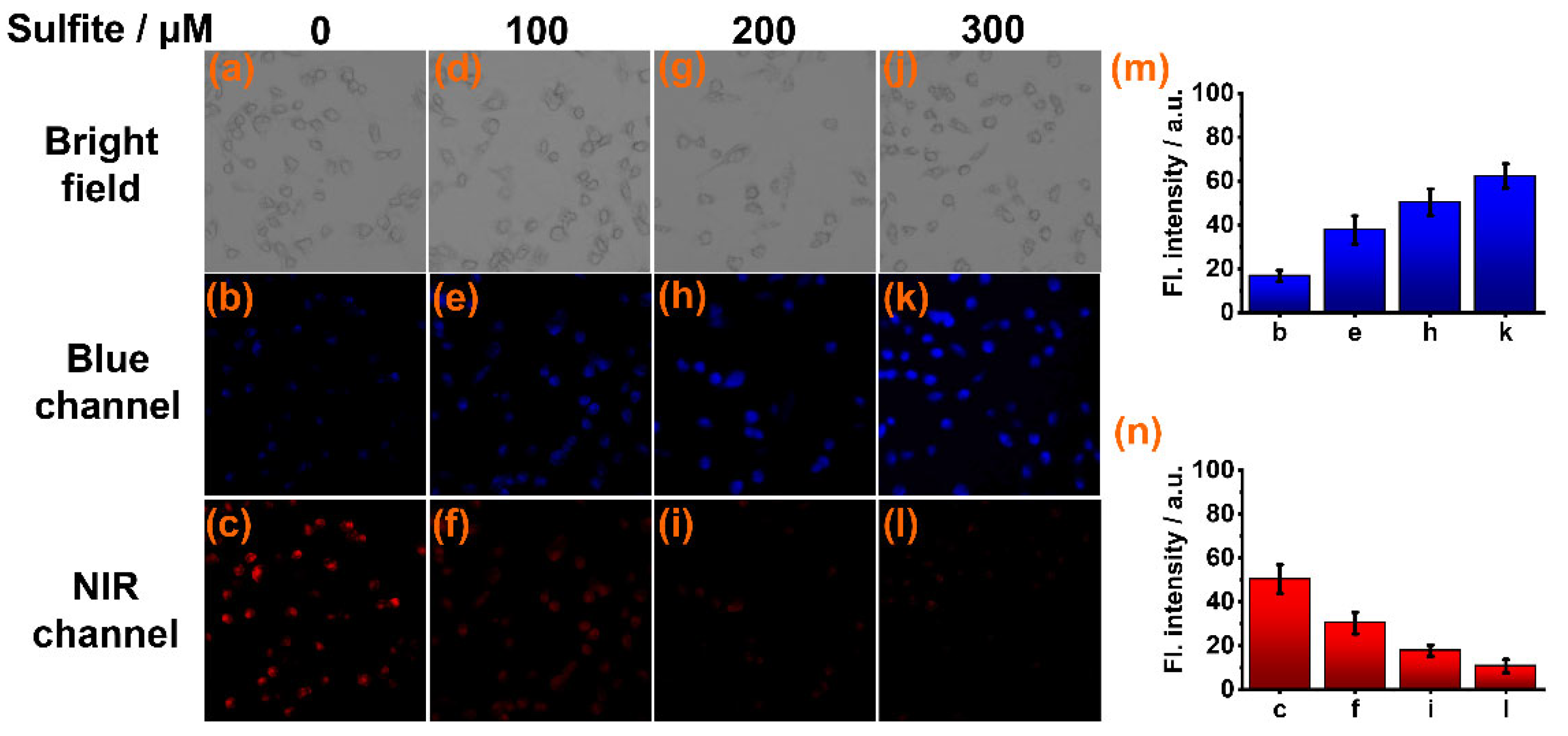
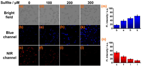
3.4. Fluorescence Imaging of Sulfite in Live Cells and Zebrafish
3.5. Fluorescence Imaging of Sulfite in Food Crops
3.6. On-Site Detection of Sulfite in Real Foods
4. Conclusions
Supplementary Materials
Author Contributions
Funding
Institutional Review Board Statement
Informed Consent Statement
Data Availability Statement
Conflicts of Interest
References
- Sharma, R.K.; Cox, M.S.; Oglesby, C.; Dhillon, J.S. Revisiting the role of sulfur in crop production: A narrative review. J. Agric. Food Res. 2024, 15, 101013–101029. [Google Scholar] [CrossRef]
- Chandra, N.; Pandey, N. Role of sulfur nutrition in plant and seed metabolism of Glycine maxL. J. Plant Nutr. 2016, 39, 1103–1111. [Google Scholar] [CrossRef]
- Prystupa, P.; Gutierrez-Boem, F.; Sadras, V. Crop growth rate during the critical period is associated with grain number under sulfur deficiency in barley crops subjected to different levels of nitrogen availability. Crop Pasture Sci. 2022, 74, 173–181. [Google Scholar] [CrossRef]
- Thangasamy, A.; Gorrepati, K.; Ghodke, P.H.; Tp, S.A.; Jadhav, M.; Banerjee, K.; Singh, M. Effects of sulfur fertilization on yield, biochemical quality, and thiosulfinate content of garlic. Sci. Hortic. 2021, 289, 110442–110448. [Google Scholar]
- Chan, K.X.; Phua, S.Y.; Van Breusegem, F.; Kopriva, S. Secondary sulfur metabolism in cellular signalling and oxidative stress responses. J. Exp. Bot. 2019, 70, 4237–4250. [Google Scholar] [CrossRef] [PubMed]
- Nakai, Y.; Maruyama-Nakashita, A. Biosynthesis of Sulfur-Containing Small Biomolecules in Plants. Int. J. Mol. Sci 2020, 21, 3470. [Google Scholar] [CrossRef]
- Zhong, Z.; Li, G.; Zhu, B.; Luo, Z.; Huang, L.; Wu, X. A rapid distillation method coupled with ion chromatography for the determination of total sulphur dioxide in foods. Food Chem. 2012, 131, 1044–1050. [Google Scholar] [CrossRef]
- Kim, H.-J. Inhibition of Enzymatic Browning Reaction by Sulfite. J. Chem. Educ. 1995, 72, 242–243. [Google Scholar] [CrossRef]
- Wu, W.; Fu, G.; Xuan, R.; Zhai, L.; Lu, Y.; Tang, M.; Liu, J.; Zhang, C.; Chen, H.; Wang, F. Food additive sodium bisulfite induces intracellular imbalance of biothiols levels in NCM460 colonic cells to trigger intestinal inflammation in mice. Toxicol. Lett. 2022, 359, 73–83. [Google Scholar] [CrossRef]
- Vally, H. Role of sulfite additives in wine induced asthma: Single dose and cumulative dose studies. Thorax 2001, 56, 763–769. [Google Scholar] [CrossRef]
- Maiti, B.K. Cross-talk Between (Hydrogen)Sulfite and Metalloproteins: Impact on Human Health. Chem. Eur. J. 2022, 28, e202104342. [Google Scholar] [CrossRef] [PubMed]
- Kalimuthu, P.; Tkac, J.; Kappler, U.; Davis, J.J.; Bernhardt, P.V. Highly Sensitive and Stable Electrochemical Sulfite Biosensor Incorporating a Bacterial Sulfite Dehydrogenase. Anal. Chem. 2010, 82, 7374–7379. [Google Scholar] [CrossRef] [PubMed]
- Zeng, R.-F.; Lan, J.-S.; Wu, T.; Liu, L.; Liu, Y.; Ho, R.J.Y.; Ding, Y.; Zhang, T. A novel mitochondria-targetted near-infrared fluorescent probe for selective and colorimetric detection of sulfite and its application in vitro and vivo. Food Chem. 2020, 318, 126358. [Google Scholar] [CrossRef] [PubMed]
- Devadas, B.; Sivakumar, M.; Chen, S.M.; Cheemalapati, S. An electrochemical approach: Switching Structures of rare earth metal Praseodymium hexacyanoferrate and its application to sulfite sensor in Red Wine. Electrochim. Acta 2015, 176, 350–358. [Google Scholar] [CrossRef]
- Amatatongchai, M.; Sroysee, W.; Chairam, S.; Nacapricha, D. Simple flow injection for determination of sulfite by amperometric detection using glassy carbon electrode modified with carbon nanotubes–PDDA–gold nanoparticles. Talanta 2015, 133, 134–141. [Google Scholar] [CrossRef] [PubMed]
- Ashmore, P.L.; Valdez, F.; Harbertson, J.F.; Boulton, R.B.; Collins, T.S. Rapid determination of free sulfur dioxide in wine and cider by capillary electrophoresis. J. Chromatogr. A 2023, 1695, 463936–463942. [Google Scholar] [CrossRef] [PubMed]
- Zhao, L.; Zhou, J.; Zhou, J.; Lin, X.; Huang, K.; Jiang, X.; Yu, H.; Xiong, X. A microplasma converter-based spectrophotometry and visual colorimetry for nonchromatographic speciation analysis of H2S/SO2 or S2−/SO32− in environmental water samples. Microchem. J. 2022, 183, 108100. [Google Scholar] [CrossRef]
- McFeeters, R.F.; Barish, A.O. Sulfite analysis of fruits and vegetables by high-performance liquid chromatography (HPLC) with ultraviolet spectrophotometric detection. J. Agric. Food. Chem. 2003, 51, 1513–1517. [Google Scholar] [CrossRef] [PubMed]
- Long, L.; Han, Y.; Yuan, X.; Cao, S.; Liu, W.; Chen, Q.; Wang, K.; Han, Z. A novel ratiometric near-infrared fluorescent probe for monitoring cyanide in food samples. Food Chem. 2020, 331, 127359. [Google Scholar] [CrossRef]
- Gan, Z.; Hu, X.; Xu, X.; Zhang, W.; Zou, X.; Shi, J.; Zheng, K.; Arslan, M. A portable test strip based on fluorescent europium-based metal–organic framework for rapid and visual detection of tetracycline in food samples. Food Chem. 2021, 354, 129501. [Google Scholar] [CrossRef]
- Long, L.; Yuan, F.; Yang, X.; Ruan, P.; Chen, X.; Li, L.; He, D.; Yang, S.; Yang, Y.; Wang, K. On-site discrimination of biothiols in biological fluids by a novel fluorescent probe and a portable fluorescence detection device. Sensor. Actuat. B-Chem. 2022, 369, 132211. [Google Scholar] [CrossRef]
- He, D.; Chen, X.; Yang, S.; Yang, Y.; Wang, Y.; Zhang, R.; Wang, K.; Qian, J.; Long, L. A sensitive colorimetric and near-infrared fluorescent probe for tracing slight pH variation in food samples. ACS Food Sci. Technol. 2023, 3, 891–897. [Google Scholar] [CrossRef]
- Chen, G.; Zhou, W.; Zhao, C.; Liu, Y.; Chen, T.; Li, Y.; Tang, B. Rationally optimized fluorescent probe for imaging mitochondrial SO2 in HeLa cells and zebrafish. Anal. Chem. 2018, 90, 12442–12448. [Google Scholar] [CrossRef] [PubMed]
- Yin, C.; Li, X.; Yue, Y.; Chao, J.; Zhang, Y.; Huo, F. A new fluorescent material and its application in sulfite and bisulfite bioimaging. Sensor. Actuat. B-Chem. 2017, 246, 615–622. [Google Scholar] [CrossRef]
- Sun, Y.-Q.; Wang, P.; Liu, J.; Zhang, J.; Guo, W. A fluorescent turn-on probe for bisulfite based on hydrogen bond-inhibited C=N isomerization mechanism. Analyst 2012, 137, 3430. [Google Scholar] [CrossRef] [PubMed]
- Wang, C.; Feng, S.; Wu, L.; Yan, S.; Zhong, C.; Guo, P.; Huang, R.; Weng, X.; Zhou, X. A new fluorescent turn-on probe for highly sensitive and selective detection of sulfite and bisulfite. Sensor. Actuat. B-Chem. 2014, 190, 792–799. [Google Scholar] [CrossRef]
- Yue, L.; Huang, H.; Song, W.; Lin, W. A near-infrared endoplasmic reticulum-targeted fluorescent probe to visualize the fluctuation of SO2 during endoplasmic reticulum stress. Chem. Eng. J. 2022, 431, 133468. [Google Scholar] [CrossRef]
- Zhang, H.; Xue, S.; Feng, G. A colorimetric and near-infrared fluorescent turn-on probe for rapid detection of sulfite. Sensor. Actuat. B-Chem. 2016, 231, 752–758. [Google Scholar] [CrossRef]
- Li, G.; Chen, Y.; Wang, J.; Lin, Q.; Zhao, J.; Ji, L.; Chao, H. A dinuclear iridium(iii) complex as a visual specific phosphorescent probe for endogenous sulphite and bisulphite in living cells. Chem. Sci. 2013, 4, 4426. [Google Scholar] [CrossRef]
- Tavallali, H.; Deilamy-Rad, G.; Parhami, A.; Lohrasbi, S. A novel and simple fluorescent and colorimetric primary chemosensor based on Congo-Red for sulfite and resultant complex as secondary fluorescent chemosensor towards carbonate ions: Fluorescent probe mimicking INHIBIT logic gate. Talanta 2016, 149, 168–177. [Google Scholar] [CrossRef]
- Chen, X.; Chen, Q.; He, D.; Yang, S.; Yang, Y.; Qian, J.; Long, L.; Wang, K. Mitochondria targeted and immobilized ratiometric NIR fluorescent probe for investigating SO2 phytotoxicity in plant mitochondria. Sensor. Actuat. B-Chem. 2022, 370, 132433. [Google Scholar] [CrossRef]
- Zhang, W.; Liu, T.; Huo, F.; Ning, P.; Meng, X.; Yin, C. Reversible ratiometric fluorescent probe for sensing bisulfate/H2O2 and its application in zebrafish. Anal. Chem. 2017, 89, 8079–8083. [Google Scholar] [CrossRef]
- Chen, X.; He, D.; Shentu, J.; Yang, S.; Yang, Y.; Wang, Y.; Zhang, R.; Wang, K.; Qian, J.; Long, L. Smartphone-assisted colorimetric and near-infrared ratiometric fluorescent sensor for on-spot detection of H2O2 in food samples. Chem. Eng. J. 2023, 472, 144900. [Google Scholar] [CrossRef]
- Chen, Q.; Liu, W.; Han, Y.; Li, L.; Yuan, F.; Long, L.; Wang, K. Accurately monitoring of sulfur dioxide derivatives in agricultural crop leaf tissues by a novel sensing system. Sensor. Actuat. B-Chem. 2020, 323, 128711. [Google Scholar] [CrossRef]
- Long, L.; Liu, W.; Ruan, P.; Yang, X.; Chen, X.; Li, L.; Yuan, F.; He, D.; Huang, P.; Gong, A.; et al. Visualizing the Interplay of Lipid Droplets and Protein Aggregates During Aging via a Dual-Functional Fluorescent Probe. Anal. Chem. 2022, 94, 2803–2811. [Google Scholar] [CrossRef] [PubMed]
- Li, L.; He, D.; Chen, X.; Yang, S.; Yang, Y.; Gong, A.; Wang, K.; Qian, J.; Long, L. pKa-Tunable fluorescent probes for visualizing minor pH fluctuations in different subcellular organelles and in vivo. Dye. Pigm. 2023, 219, 111608. [Google Scholar] [CrossRef]
- Bi, X.; Li, L.; Luo, L.; Liu, X.; Li, J.; You, T. A ratiometric fluorescence aptasensor based on photoinduced electron transfer from CdTe QDs to WS2 NTs for the sensitive detection of zearalenone in cereal crops. Food Chem. 2022, 385, 132657. [Google Scholar] [CrossRef] [PubMed]
- Long, L.; Huang, M.; Wang, N.; Wu, Y.; Wang, K.; Gong, A.; Zhang, Z.; Sessler, J.L. A mitochondria-specific fluorescent probe for visualizing endogenous hydrogen cyanide fluctuations in neurons. J. Am. Chem. Soc. 2018, 140, 1870–1875. [Google Scholar] [CrossRef] [PubMed]
- Peng, X.; Yang, Z.; Wang, J.; Fan, J.; He, Y.; Song, F.; Wang, B.; Sun, S.; Qu, J.; Qi, J.; et al. Fluorescence ratiometry and fluorescence lifetime imaging: Using a single molecular sensor for dual mode imaging of cellular viscosity. J. Am. Chem. Soc. 2011, 133, 6626–6635. [Google Scholar] [CrossRef]
- Hu, X.; Shi, J.; Shi, Y.; Zou, X.; Tahir, H.E.; Holmes, M.; Zhang, W.; Huang, X.; Li, Z.; Xu, Y. A dual-mode sensor for colorimetric and fluorescent detection of nitrite in hams based on carbon dots-neutral red system. Meat Sci. 2019, 147, 127–134. [Google Scholar] [CrossRef]
- Liang, N.; Hu, X.; Li, W.; Mwakosya, A.W.; Guo, Z.; Xu, Y.; Huang, X.; Li, Z.; Zhang, X.; Zou, X.; et al. Fluorescence and colorimetric dual-mode sensor for visual detection of malathion in cabbage based on carbon quantum dots and gold nanoparticles. Food Chem. 2021, 343, 128494. [Google Scholar] [CrossRef] [PubMed]
- Zhu, A.; Ali, S.; Jiao, T.; Wang, Z.; Xu, Y.; Ouyang, Q.; Chen, Q. Facile synthesis of fluorescence-SERS dual-probe nanocomposites for ultrasensitive detection of sulfur-containing gases in water and beer samples. Food Chem. 2023, 420, 136095. [Google Scholar] [CrossRef] [PubMed]







| Sample | Added (μM) | Found (μM) | Recovery (%) | RSD (%) |
|---|---|---|---|---|
| Red wine | 0 | 3.39 ± 0.10 | / | 2.95 |
| 10 | 13.58 ± 0.39 | 101.90 | 2.87 | |
| 20 | 23.32 ± 0.74 | 99.65 | 3.17 | |
| Crystal sugar | 0 | 4.95 ± 0.09 | / | 1.82 |
| 10 | 14.93 ± 0.44 | 99.80 | 2.95 | |
| 20 | 25.13 ± 0.77 | 100.90 | 3.06 |
Disclaimer/Publisher’s Note: The statements, opinions and data contained in all publications are solely those of the individual author(s) and contributor(s) and not of MDPI and/or the editor(s). MDPI and/or the editor(s) disclaim responsibility for any injury to people or property resulting from any ideas, methods, instructions or products referred to in the content. |
© 2024 by the authors. Licensee MDPI, Basel, Switzerland. This article is an open access article distributed under the terms and conditions of the Creative Commons Attribution (CC BY) license (https://creativecommons.org/licenses/by/4.0/).
Share and Cite
Chen, X.; Zhao, C.; Zhao, Q.; Yang, Y.; Yang, S.; Zhang, R.; Wang, Y.; Wang, K.; Qian, J.; Long, L. Construction of a Colorimetric and Near-Infrared Ratiometric Fluorescent Sensor and Portable Sensing System for On-Site Quantitative Measurement of Sulfite in Food. Foods 2024, 13, 1758. https://doi.org/10.3390/foods13111758
Chen X, Zhao C, Zhao Q, Yang Y, Yang S, Zhang R, Wang Y, Wang K, Qian J, Long L. Construction of a Colorimetric and Near-Infrared Ratiometric Fluorescent Sensor and Portable Sensing System for On-Site Quantitative Measurement of Sulfite in Food. Foods. 2024; 13(11):1758. https://doi.org/10.3390/foods13111758
Chicago/Turabian StyleChen, Xiaodong, Chenglu Zhao, Qiwei Zhao, Yunfei Yang, Sanxiu Yang, Rumeng Zhang, Yuqing Wang, Kun Wang, Jing Qian, and Lingliang Long. 2024. "Construction of a Colorimetric and Near-Infrared Ratiometric Fluorescent Sensor and Portable Sensing System for On-Site Quantitative Measurement of Sulfite in Food" Foods 13, no. 11: 1758. https://doi.org/10.3390/foods13111758
APA StyleChen, X., Zhao, C., Zhao, Q., Yang, Y., Yang, S., Zhang, R., Wang, Y., Wang, K., Qian, J., & Long, L. (2024). Construction of a Colorimetric and Near-Infrared Ratiometric Fluorescent Sensor and Portable Sensing System for On-Site Quantitative Measurement of Sulfite in Food. Foods, 13(11), 1758. https://doi.org/10.3390/foods13111758
