Assessment of Inhibition of Biofilm Formation on Non-Thermal Plasma-Treated TiO2 Nanotubes
Abstract
:1. Introduction
2. Results
2.1. Surface Characteristics
2.1.1. Contact Angles
2.1.2. Surface Structures
2.1.3. X-ray Diffraction (XRD) Analysis
2.1.4. X-ray Photoelectron Spectroscopy (XPS) Analysis
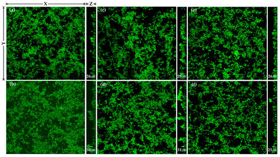
2.2. Assessment of Capacity to Inhibit Biofilm Formation
2.2.1. Streptococcus mutans
2.2.2. Porphyromonas gingivalis
3. Discussion
4. Materials and Methods
4.1. Samples
4.2. Surface Treatment
4.2.1. Anodic Oxidation
4.2.2. Heat Treatment
4.2.3. Non-Thermal Plasma Treatment
4.3. Assessment of Surface Properties
4.3.1. Contact Angles
4.3.2. Surface Structures
4.3.3. XRD Analysis
4.3.4. XPS Analysis
4.4. Assessment of Inhibition of Biofilm Formation
4.4.1. Bacterial Culture
4.4.2. Artificial Saliva Coating
4.4.3. Bacterial Inoculation
4.4.4. Fluorescent Nucleic Acid Staining Assessment
4.5. Statistical Analysis
4.5.1. Results of Heat Treatment
4.5.2. Results of Plasma Treatment
5. Conclusions
Author Contributions
Funding
Institutional Review Board Statement
Informed Consent Statement
Data Availability Statement
Acknowledgments
Conflicts of Interest
References
- Becker, W.; Becker, B.E.; Newman, M.G.; Nyman, S. Clinical and microbiologic findings that may contribute to dental implant failure. Int. J. Oral Implants 1990, 5, 31–38. [Google Scholar]
- Leonhardt, Å.; Renvert, S.; Dahlén, G. Microbial findings at failing implants. Clin. Oral Implant. Res. 1999, 10, 339–345. [Google Scholar] [CrossRef] [PubMed]
- Wennerberg, A.; Albrektsson, T. On implant surfaces: A review of current knowledge and opinions. Int. J. Oral Maxillofac. Implant. 2010, 25, 63–74. [Google Scholar]
- Zhao, J.; Wang, X.; Chen, R.; Li, L. Fabrication of titanium oxide nanotube arrays by anodic oxidation. Solid State Commun. 2005, 134, 705–710. [Google Scholar] [CrossRef]
- Brammer, K.S.; Oh, S.; Frandsen, C.J.; Jin, S. Biomaterials and biotechnology schemes utilizing TiO2 nanotube arrays. In Biomaterials Science Engineering; IntechOpen: Rijela, Croatia, 2011; pp. 193–210. [Google Scholar]
- Lavenus, S.; Louarn, G.; Layrolle, P. Nanotechnology and dental implants. Int. J. Biomater. 2010, 2010, 915327. [Google Scholar] [CrossRef]
- Ellingsen, J.E.; Johansson, C.B.; Wennerberg, A.; Holmén, A. Improved retention and bone-to-implant contact with fluoride-modified titanium implants. Int. J. Oral Maxillofac. Implant. 2004, 19, 659–666. [Google Scholar]
- Peng, Z.; Ni, J.; Zheng, K.; Shen, Y.; Wang, X.; He, G.; Jin, S.; Tang, T. Dual effects and mechanism of TiO2 nanotube arrays in reducing bacterial colonization and enhancing C3H10T1/2 cell adhesion. Int. J. Nanomed. 2013, 8, 3093–3105. [Google Scholar]
- Roguska, A.; Belcarz, A.; Pisarek, M.; Ginalska, G.; Lewandowska, M. TiO2 nanotube composite layers as delivery system for ZnO and Ag nanoparticles—An unexpected overdose effect decreasing their antibacterial efficacy. Mater. Sci. Eng. C 2015, 51, 158–166. [Google Scholar] [CrossRef]
- Yang, B.; Uchida, M.; Kim, H.-M.; Zhang, X.; Kokubo, T. Preparation of bioactive titanium metal via anodic oxidation treatment. Biomaterials 2004, 25, 1003–1010. [Google Scholar] [CrossRef]
- Del Curto, B.; Brunella, M.F.; Giordano, C.; Pedeferri, M.; Valtulina, V.; Visai, L.; Cigada, A. Decreased bacterial adhesion to surface-treated titanium. Int. J. Artif. Organs 2005, 28, 718–730. [Google Scholar] [CrossRef]
- Salou, L.; Hoornaert, A.; Louarn, G.; Layrolle, P. Enhanced osseointegration of titanium implants with nanostructured surfaces: An experimental study in rabbits. Acta Biomater. 2015, 11, 494–502. [Google Scholar] [CrossRef] [PubMed]
- Duske, K.; Koban, I.; Kindel, E.; Schröder, K.; Nebe, B.; Holtfreter, B.; Jablonowski, L.; Weltmann, K.D.; Kocher, T. Atmospheric plasma enhances wettability and cell spreading on dental implant metals. J. Clin. Periodontol. 2012, 39, 400–407. [Google Scholar] [CrossRef] [PubMed]
- Kieswetter, K.; Schwartz, Z.; Dean, D.; Boyan, B. The role of implant surface characteristics in the healing of bone. Crit. Rev. Oral Biol. Med. 1996, 7, 329–345. [Google Scholar] [CrossRef] [PubMed]
- MacDonald, D.; Deo, N.; Markovic, B.; Stranick, M.; Somasundaran, P. Adsorption and dissolution behavior of human plasma fibronectin on thermally and chemically modified titanium dioxide particles. Biomaterials 2002, 23, 1269–1279. [Google Scholar] [CrossRef]
- Sawase, T.; Jimbo, R.; Baba, K.; Shibata, Y.; Ikeda, T.; Atsuta, M. Photo-induced hydrophilicity enhances initial cell behavior and early bone apposition. Clin. Oral Implant. Res. 2008, 19, 491–496. [Google Scholar] [CrossRef]
- Arora, V.; Nikhil, V.; Suri, N.; Arora, P. Cold atmospheric plasma (CAP) in dentistry. Dentistry 2014, 4, 1. [Google Scholar] [CrossRef]
- Chen, M.; Zhang, Y.; Driver, M.S.; Caruso, A.N.; Yu, Q.; Wang, Y. Surface modification of several dental substrates by non-thermal, atmospheric plasma brush. Dent. Mater. 2013, 29, 871–880. [Google Scholar] [CrossRef]
- Fricke, K.; Koban, I.; Tresp, H.; Jablonowski, L.; Schröder, K.; Kramer, A.; Weltmann, K.-D.; von Woedtke, T.; Kocher, T. Atmospheric pressure plasma: A high-performance tool for the efficient removal of biofilms. PLoS ONE 2012, 7, e42539. [Google Scholar] [CrossRef]
- Dautov, G.Y. Generators of nonequilibrium low-temperature plasma. J. Eng. Phys. 1988, 53, 966–975. [Google Scholar] [CrossRef]
- Yoo, E.-M.; Uhm, S.-H.; Kwon, J.-S.; Choi, H.-S.; Choi, E.H.; Kim, K.-M.; Kim, K.-N. The study on inhibition of planktonic bacterial growth by non-thermal atmospheric pressure plasma jet treated surfaces for dental application. J. Biomed. Nanotechnol. 2015, 11, 334–341. [Google Scholar] [CrossRef]
- Sun, L.; Chen, X.; Chen, R.; Ji, Z.; Mu, H.; Liu, C.; Yu, J.; Wang, J.; Xia, R.; Zhang, S. Balancing Antibacterial and Osteogenic Effects of Double-layer TiO2 Nanotubes Loaded with Silver Nanoparticles for Osseointegration of Implants. Nanoscale 2023, 15, 2911–2923. [Google Scholar] [CrossRef] [PubMed]
- Arkusz, K.; Paradowska, E.; Nycz, M.; Mazurek-Popczyk, J.; Baldy-Chudzik, K. Evaluation of the antibacterial activity of Ag-and Au-nanoparticles loaded TiO2 nanotubes. J. Biomed. Nanotechnol. 2020, 16, 1416–1425. [Google Scholar] [CrossRef] [PubMed]
- Giavaresi, G.; Ambrosio, L.; Battiston, G.A.; Casellato, U.; Gerbasi, R.; Finia, M.; Aldini, N.N.; Martini, L.; Rimondini, L.; Giardino, R. Histomorphometric, ultrastructural and microhardness evaluation of the osseointegration of a nanostructured titanium oxide coating by metal-organic chemical vapour deposition: An in vivo study. Biomaterials 2004, 25, 5583–5591. [Google Scholar] [CrossRef] [PubMed]
- Webster, T.J.; Ejiofor, J.U. Increased osteoblast adhesion on nanophase metals: Ti, Ti6Al4V, and CoCrMo. Biomaterials 2004, 25, 4731–4739. [Google Scholar] [CrossRef]
- De Oliveira, P.T.; Nanci, A. Nanotexturing of titanium-based surfaces upregulates expression of bone sialoprotein and osteopontin by cultured osteogenic cells. Biomaterials 2004, 25, 403–413. [Google Scholar] [CrossRef]
- Macák, J.M.; Tsuchiya, H.; Schmuki, P. High-aspect-ratio TiO2 nanotubes by anodization of titanium. Angew. Chem. Int. Ed. 2005, 44, 2100–2102. [Google Scholar] [CrossRef]
- Beranek, R.; Hildebrand, H.; Schmuki, P. Self-organized porous titanium oxide prepared in H2SO4/HF electrolytes. Electrochem. Solid State Lett. 2003, 6, B12. [Google Scholar] [CrossRef]
- Tsuchiya, H.; Macak, J.M.; Taveira, L.; Balaur, E.; Ghicov, A.; Sirotna, K.; Schmuki, P. Self-organized TiO2 nanotubes prepared in ammonium fluoride containing acetic acid electrolytes. Electrochem. Commun. 2005, 7, 576–580. [Google Scholar] [CrossRef]
- Kim, H.S.; Yang, Y.; Koh, J.T.; Lee, K.K.; Lee, D.J.; Lee, K.M.; Park, S.W. Fabrication and characterization of functionally graded nano-micro porous titanium surface by anodizing. J. Biomed. Mater. Res. Part B Appl. Biomater. 2009, 88, 427–435. [Google Scholar] [CrossRef]
- Park, S.; Min, D.; Lim, H.; Yoon, D.; Lee, K. Effect of heat treatment on phase transition of nanotubular titanium oxide arrays. J. Nanosci. Nanotechnol. 2011, 11, 1476–1479. [Google Scholar] [CrossRef]
- Storz, G.; Imlayt, J.A. Oxidative stress. Curr. Opin. Microbiol. 1999, 2, 188–194. [Google Scholar] [CrossRef] [PubMed]
- Kohen, R.; Nyska, A. Invited review: Oxidation of biological systems: Oxidative stress phenomena, antioxidants, redox reactions, and methods for their quantification. Toxicol. Pathol. 2002, 30, 620–650. [Google Scholar] [CrossRef] [PubMed]
- Gallardo-Moreno, A.M.; Pacha-Olivenza, M.A.; Fernández-Calderón, M.-C.; Pérez-Giraldo, C.; Bruque, J.M.; González-Martín, M.-L. Bactericidal behaviour of Ti6Al4V surfaces after exposure to UV-C light. Biomaterials 2010, 31, 5159–5168. [Google Scholar] [CrossRef] [PubMed]
- Zhang, J.; Zhou, P.; Liu, J.; Yu, J. New understanding of the difference of photocatalytic activity among anatase, rutile and brookite TiO2. Phys. Chem. Chem. Phys. 2014, 16, 20382–20386. [Google Scholar] [CrossRef]
- Yoshinari, M.; Oda, Y.; Kato, T.; Okuda, K. Influence of surface modifications to titanium on antibacterial activity in vitro. Biomaterials 2001, 22, 2043–2048. [Google Scholar] [CrossRef]
- Bazaka, K.; Jacob, M.V.; Crawford, R.J.; Ivanova, E.P. Plasma-assisted surface modification of organic biopolymers to prevent bacterial attachment. Acta Biomater. 2011, 7, 2015–2028. [Google Scholar] [CrossRef]
- Seo, H.Y.; Kwon, J.-S.; Choi, Y.-R.; Kim, K.-M.; Choi, E.H.; Kim, K.-N. Cellular attachment and differentiation on titania nanotubes exposed to air-or nitrogen-based non-thermal atmospheric pressure plasma. PLoS ONE 2014, 9, e113477. [Google Scholar] [CrossRef]
- Choi, Y.-R.; Kwon, J.-S.; Song, D.-H.; Choi, E.H.; Lee, Y.-K.; Kim, K.-N.; Kim, K.-M. Surface modification of biphasic calcium phosphate scaffolds by non-thermal atmospheric pressure nitrogen and air plasma treatment for improving osteoblast attachment and proliferation. Thin Solid Film. 2013, 547, 235–240. [Google Scholar] [CrossRef]
- Kolb, J.F.; Price, R.O.; Chiavarini, R.; Schoenbach, K.H. Cold atmospheric pressure air plasma microjet for medical applications. In Proceedings of the 2007 IEEE 34th International Conference on Plasma Science (ICOPS), Albuquerque, NM, USA, 17–22 June 2007; p. 831. [Google Scholar]
- Flemming, H.-C.; Wingender, J. Relevance of microbial extracellular polymeric substances (EPSs)—Part I: Structural and ecological aspects. Water Sci. Technol. 2001, 43, 1–8. [Google Scholar] [CrossRef]
- Pavithra, D.; Doble, M. Biofilm formation, bacterial adhesion and host response on polymeric implants—Issues and prevention. Biomed. Mater. 2008, 3, 034003. [Google Scholar] [CrossRef]
- Gottenbos, B.; Grijpma, D.W.; van der Mei, H.C.; Feijen, J.; Busscher, H.J. Antimicrobial effects of positively charged surfaces on adhering Gram-positive and Gram-negative bacteria. J. Antimicrob. Chemother. 2001, 48, 7–13. [Google Scholar] [CrossRef] [PubMed]
- McBride, B.; Song, M.; Krasse, B.; Olsson, J. Biochemical and immunological differences between hydrophobic and hydrophilic strains of Streptococcus mutans. Infect. Immun. 1984, 44, 68–75. [Google Scholar] [CrossRef] [PubMed]
- Kerosuo, E.; Haapasalo, M.; Alli, K.; Lounatmaa, K. Ingestion of Bacteroides buccae, Bacteroides oris, Porphyromonas gingivalis, and Fusobacterium nucleatum by human polymorphonuclear leukocytes in vitro. Oral Microbiol. Immunol. 1990, 5, 202–207. [Google Scholar] [CrossRef] [PubMed]
- Li, Y.-H.; Tang, N.; Aspiras, M.B.; Lau, P.C.; Lee, J.H.; Ellen, R.P.; Cvitkovitch, D.G. A quorum-sensing signaling system essential for genetic competence in Streptococcus mutans is involved in biofilm formation. J. Bacteriol. 2002, 184, 2699–2708. [Google Scholar] [CrossRef]







| Group | Diameter (nm) | Thickness (nm) |
|---|---|---|
| H0 | 111.3 ± 2 | 522.6 ± 4 |
| H400 | 106.7 ± 1 | 500.8 ± 4 |
| H600 | 91.2 ± 1 | 498.0 ± 7 |
| Group | Biofilm Thickness (μm) | Percentage Thickness Reduction after Plasma Treatment at the Same Heat Treatment (%) | |
|---|---|---|---|
| No Treatment | Plasma Treatment | ||
| H0 a,b | 38.1 ± 5 | 11.1 ± 1 * | 70.9 |
| H400 c | 22.1 ± 2 | 17.4 ± 1 * | 21.3 |
| H600 a,b | 40.9 ± 1 | 32.9 ± 2 * | 19.6 |
| Group | Biofilm Thickness (μm) | Percentage Thickness Reduction after Plasma Treatment at the Same Heat Treatment (%) | |
|---|---|---|---|
| No Treatment | Plasma Treatment | ||
| H0 | 25.5 ± 1 | 30.4 ± 4 | −19.2 |
| H400 | 28.4 ± 4 | 30.9 ± 2 | −8.8 |
| H600 | 26.4 ± 4 | 24.5 ± 4 | 7.2 |
| Parameter | Value |
|---|---|
| Average working power (W) | 300 |
| Voltage (V) | 27 |
| Frequency (MHz) * | 900 |
| Atmospheric pressure (Torr) | 760 |
| Electrode type | Electrodeless |
| Cooling type | Air cooled |
| Plasma density | 1015/cm3 |
Disclaimer/Publisher’s Note: The statements, opinions and data contained in all publications are solely those of the individual author(s) and contributor(s) and not of MDPI and/or the editor(s). MDPI and/or the editor(s) disclaim responsibility for any injury to people or property resulting from any ideas, methods, instructions or products referred to in the content. |
© 2023 by the authors. Licensee MDPI, Basel, Switzerland. This article is an open access article distributed under the terms and conditions of the Creative Commons Attribution (CC BY) license (https://creativecommons.org/licenses/by/4.0/).
Share and Cite
Ji, M.-K.; Lee, S.-K.; Kim, H.-S.; Oh, G.-J.; Cho, H.; Lim, H.-P. Assessment of Inhibition of Biofilm Formation on Non-Thermal Plasma-Treated TiO2 Nanotubes. Int. J. Mol. Sci. 2023, 24, 3335. https://doi.org/10.3390/ijms24043335
Ji M-K, Lee S-K, Kim H-S, Oh G-J, Cho H, Lim H-P. Assessment of Inhibition of Biofilm Formation on Non-Thermal Plasma-Treated TiO2 Nanotubes. International Journal of Molecular Sciences. 2023; 24(4):3335. https://doi.org/10.3390/ijms24043335
Chicago/Turabian StyleJi, Min-Kyung, Seon-Ki Lee, Hee-Seon Kim, Gye-Jeong Oh, Hoonsung Cho, and Hyun-Pil Lim. 2023. "Assessment of Inhibition of Biofilm Formation on Non-Thermal Plasma-Treated TiO2 Nanotubes" International Journal of Molecular Sciences 24, no. 4: 3335. https://doi.org/10.3390/ijms24043335
APA StyleJi, M.-K., Lee, S.-K., Kim, H.-S., Oh, G.-J., Cho, H., & Lim, H.-P. (2023). Assessment of Inhibition of Biofilm Formation on Non-Thermal Plasma-Treated TiO2 Nanotubes. International Journal of Molecular Sciences, 24(4), 3335. https://doi.org/10.3390/ijms24043335

