Next Article in Journal
Spatio-Temporal Assessment of Land Use Land Cover Changes and Population Dynamics Using Geoinformatics: A Case Study of Mardan, Khyber Pakhtunkhwa, Pakistan
Previous Article in Journal
Necessity of Notification System Application According to Elementary School Teacher’s Environmental Behavior
 
 
Font Type:
Arial Georgia Verdana
Font Size:
Aa Aa Aa
Line Spacing:
Column Width:
Background:
Proceeding Paper

Watercourses and Their Geodetic Mapping for Water Management †

Department of Geodesy and Mine Surveying, Faculty of Mining and Geology, VSB—Technical University of Ostrava, 17. Listopadu 2172/15, 708 00 Ostrava-Poruba, Czech Republic
*
Author to whom correspondence should be addressed.
Presented at the 4th International Conference on Advances in Environmental Engineering, Ostrava, Czech Republic, 20–22 November 2023.
Eng. Proc. 2023, 57(1), 17; https://doi.org/10.3390/engproc2023057017
Published: 1 December 2023

Abstract

This contribution deals with surveyor activities that are associated with the measurement of watercourses and their closest terrain. It clarifies the specifics and complications of the solutions of the complex tasks of water management in geodetic practice. The article is devoted to activities that are directly connected with the realization of measuring, used technologies, and interpretation results’ outputs in digital form.

1. Introduction

The task of preparing mapping documentation is generally a common activity of surveyors in the field of engineering geodesy. This equally applies to mapping documentation for project purposes, for land modifications, or only for preparing an elaborate map for record-keeping purposes. However, in practice, surveyors do not commonly encounter preparations when mapping grounds for watercourse bed areas. Unlike other cases more commonly seen in practice, where the mapping locality may be represented, for example, by company premises, areas planned for the construction of transport or other infrastructure (roads, highways, railways, pavements, gas pipelines, water mains, drainage systems, etc.), civic or residential building objects, old premises with planned modernization and reconstruction, and many others.
The results of detailed surveying are also applied in localities where watercourse lowering occurs. Due to mining activities, changes particularly occur in the natural height profile of watercourse beds. Based on repeated measurements of the segments of watercourses affected by lowering, the condition of the bed can be observed, and the measurement results can be analyzed. Watercourse mapping and other activities essentially focus essentially on describing the terrain of the mapped area in a suitable manner, so the resulting mapping work includes all substantial aspects. At the same time, it should be clear and topographically adequate, and it should provide sufficient geometric accuracy. Achieving the optimal balance of the resulting mapping work to make sure it approaches the ideal parameters of the above mapping documentation is not quite simple, and, therefore, sufficient attention must be particularly paid to the requirements for mapping documentation both during terrain measurements and subsequent processing.

2. Activities Related to Preparatory Task and Terrain Recognition

When orders of this type are implemented, sufficient time must be devoted, more than in all other cases, to the activities of preparing and planning a suitable process for the measurement tasks. In particular, the purpose of this stage is to obtain and gather all the ground materials needed for the surveying works themselves and, furthermore, for subsequent computational and graphic processing. The expected choice of the method and technology of the connection measurement should be determined in the scope of the preparatory works. Based on the performed preparatory tasks, the surveyor should gain knowledge of the availability of the geometric base points of the measurement and of the possibility to apply the envisaged positional or altitudinal measurement method.
As mentioned above, a particular emphasis when addressing such cases is applied due to terrain recognition. Activities related to terrain recognition particularly include exploration and becoming familiar with the terrain. Recognition also includes the search for a geometric base point of the measurement and the verification of whether the locality can be connected to binding reference systems in accordance with the original plan, regardless of whether it is possible to apply GNSS technology to connect to the coordinate system.
Figure 1 shows an illustration of scans obtained during terrain recognition in the process of Stonavka River bed surveying in the cadastral territory of Tranovice. It is also important to consider a suitable layout of the survey network points as part of terrain recognition. When choosing the layout of the survey network points, the spatial nature of the model locality must be respected, built-up areas and vegetation must be considered, and operation on roads or other obstacles that could restrict, burden, or even render impossible any survey works should be taken into account. Minimizing the risk of destruction is no less important, given that mapping requires more time in rather large localities. Last but not least, the very position of the geometric base points must be taken into account, unless GNSS technology methods are used for connecting the locality [1].
Terrain recognition should be a natural part of all surveying activities, representing a very important geodesic activity in the field. Duly carried out recognition enables the surveyor to acquire a better overview of the model locality and, perhaps, to conceive a more effective solution for the task. In the end, the surveyor saves a lot of work with respect to surveying activities and subsequent processing. Sufficient room should be devoted to terrain recognition, particularly in areas where surveying work is hindered by omnipresent vegetation, built-up zones, or other specific factors. The importance of recognition is even higher in cases like these. Here, the conditions are made more difficult not only by the very subject of mapping and by the watercourse bed but also by the dense vegetation along the watercourse. The effectiveness of surveying works should, therefore, be maximized.

3. Connecting the Locality to Binding Reference Systems of the Czech Republic and Their Usability in Addressing Task

Connecting a locality to binding positional or altitudinal systems should be understood as determining the position and altitude of a set of auxiliary points, i.e., the geometric base of the detailed positional and altitudinal surveying of the situation in the field. In surveying practice, the position of a point is expressed using the coordinate system of the uniform trigonometric cadastral network (S-JTSK), and its altitude is provided in the altitudinal Baltic system after adjustment (Bpv). Both these systems belong to binding reference geodesic systems of the Czech Republic, pursuant to Government Regulation No. 430/2006 Coll [1].
Both methods, based on Global Navigation Satellite Systems (GNSS) technology and classical terrestrial methods, can be used to determine the coordinates of the survey network points. At present, an effort can be seen to apply GNSS technology as much as possible, due to its low time and labor demands. However, methods using GNSS technology cannot always be used, and, in some cases, this possibility of connection is virtually excluded. Precisely mapping watercourses is one of the cases where the use of this technology is limited. In particular, for the common and omnipresent bushy vegetation along watercourses and in their near surroundings, where GNSS technology is applied to connect a locality, the fast static method is especially used and sometimes also the kinematic method is used in real time, the so-called real-time kinematic (RTK) method. The static method should be preferred to RTK when determining the position of the survey network points to be used as the geometric base for detailed surveying. The main reasons include the accuracy, quality, and relevancy of the connection [1].
Relative methods based on GNSS technology are conditioned by simultaneous measurement using at least two apparatuses. One apparatus observes a known point (called the reference), and the other is at the point to be determined (called the rover). The principle of the relative determination of the spatial position of the points assumes the same effect of measurement errors both at the reference point and at the point to be determined. Corrections can be determined by comparing the measurement results and the known spatial coordinates of the reference point; subsequently, the corrections can be introduced in the calculation of the positions of the points to be determined. Corrections can be introduced in real time, through radio or other communication technologies, or when the surveying activity has been completed and processed after the survey in an adequate software—the so-called “post-processing” [1]. The relative method can provide vector determination accuracy in the order of millimeters. Figure 2 presents the surveying set for simultaneous measurement. The reference station for observation at a point of known position is shown on the left, and the rover (the survey network point) apparatus is shown on the right, in Figure 2.
Before the survey itself, the position of the survey network points, whose position is to be determined using GNSS technology, should be suitably chosen. The position of a point should be duly considered, given that the use of GNSS technology entails a lot of pitfalls during implementation. In particular, the so-called multipath (multiple signal spreading) should be minimized through a sufficient distance from potentially reflective areas (water level, objects, cars in the immediate vicinity of the antenna, etc.) [1].
GNSS technology has its limitations: the spatial position of the points cannot be determined, irrespective of the spatial nature of the given locality. The use of GNSS technology results for geodesic purposes is conditioned by performing two independent measurements. Some measurements may seem independent but may not actually be sufficiently independent. Provided that the two measurements are carried out on two days, always at the same time of the day, the configuration of the satellites is the same for both measurements. In such a case, the layout of the satellites used for the two implemented measurements is the same at the same time. It follows from the above that measurements should be completed on various days and also at various times of the day.
The determined positions of points using GNSS technology result in spatial coordinates in the coordinate system ETRS-89. The position of the survey network points expressed in the coordinate system S-JTSK is, thus, given by the subsequent spatial transformation using a transformation key. The use of a local transformation key is advisable. Methods based on GNSS technology provide limited use. In many cases, classical terrestrial methods or their combinations must be used to connect a locality. The most commonly used methods for connection measurements include a polygon series complemented with regions (auxiliary points). The altitudinal connection of a locality can be completed using the geometric leveling method, which provides technical-grade or accurate leveling (based on the requirements for connection accuracy). The accuracy of determining the survey network point’s altitudes is often also completed using trigonometry for these purposes [1,2].
The combined fast statistical method, with its own reference station and a polygon series with bilateral connection and bilateral orientation, was used for the survey works whose results are presented herein, to connect the locality into the coordinate system S-JTSK. The purpose was to determine the position and altitude of two points in the northern and southern parts of the locality of concern. These points were used as the initial points for the polygon series. The polygon series ensured coverage with survey network points within the whole range of the mapped locality. The altitudes of the survey network points were then determined using trigonometry methods, as part of building the survey network points using the polygon series [2].
The summary below compares the methods used to implement the survey works. The measurement method based on GNSS technology undoubtedly provides the advantage of a relatively short measurement time with no need for visibility among the points to be determined. GNSS technology has its limits, and it cannot be applied everywhere. Permanent signal reception is needed, which cannot be achieved in some localities (forests and dense vegetation). In addition, another limitation is related to adherence to the principles to eliminate those factors that have a negative impact on the measurement. The polygon series provides the particular advantage of adjustment to the local situation in the field. When the polygon series is combined with regions (auxiliary points), the position and altitude of a survey network point can be determined virtually anywhere. Visibility between the station and the point to be determined is the only condition. The time demands of the measurement are the disadvantage. GNSS technology seems to be suitable in a clear, uncomplicated field, with no immediate presence of elements that could restrict the use of the technology. GNSS technology cannot compete with the polygon series within the whole scope. However, an effective solution of connection was achieved by combining GNSS technology and the classical geodesic method [2].

4. Detailed Survey of River Bed and Surrounding Areas

A detailed topographic and altitudinal situation survey of the actual situation of the locality is the most demanding stage of surveying activities, in terms of time. The subject of mapping the topography or altitudinal situation is represented by the bank lines of the Stonavka River bed, including all left and right tributaries (the upper and lower edges of the bed, including axial points).
Furthermore, there are objects situated within the watercourse (weirs, horizontal steps, bridges, supporting bridge foundations, and fords), roads including forest ways, reinforced or non-reinforced ways, buildings (residential houses, agricultural buildings, and huts), land culture borderlines, fences, service and utility lines over the ground (power line poles, etc.), elements of underground utility networks found over the ground (drainage trapdoors, shafts, drains, hydrants, etc.), field edges, gutters, and grooves. Figure 3 shows photos of the measured river and used total station, a Leica MS 60. In geodetic practice, we have recently often used robotic total stations. The advantage is that it is a so-called one-man system. A second person is not required to measure, as the total station is remotely controlled via the controller, as shown in Figure 3. The Leica Nova MS60, a multistation, enables a person to perform all measurement tasks with one instrument. Combining the total station’s capabilities and 3D laser scanning enables scans, for example, of the details of objects on a watercourse [3,4].
The selection of detailed points whose position and altitude should be surveyed depends on many factors. In particular, it depends on the resulting scale of the mapping output and on the spatial characteristics of the model locality. Together with the selection of detailed points, the number of surveyed detailed points should also be balanced. Although certain general principles or rules for selecting detailed points do exist, any individual mapped locality must be individually approached during the process of selection. The selection of detailed points is affected by the subjective view and ability of the surveyor to capture the actual terrain. No mapping can do without a certain higher or lower degree of generalization (simplification) of the terrain. Detailed points should be selected at the determining lines of the terrain skeleton, where the slope of the terrain shows a marked change, while the more regular intervals of points can be considered in not very indented areas. The detailed positional and altitudinal surveying of the given locality was completed in the classical terrestrial mode (i.e., using the total station), using the tachymetry method. At the same time, an RTK method was tested, based on GNSS technology. The purpose was to find out the usability and accuracy of this method in addressing the given problem. Testing was completed at the selected detailed points. [5]
The final evaluation of the detailed surveying of the topography and altitudinal situation consists of a comparison of both methods and of determining their advantages and disadvantages. The purpose was to test the RTK method in a part of the mapped area, in its southern part. Here the terrain was covered by not very dense vegetation, and the local conditions were assumed to allow for surveying an integral area using the RTK method. These assumptions were not confirmed, and dead zones occurred. The RTK method is very suitable for mapping uncomplicated terrains where no elements are present that would prevent signal reception. In such a case, the measurement period can be considerably shortened, making the work easier. For localities of this type, the RTK method cannot compete with classical tachymetry. Tachymetry can be adapted to the terrain virtually anywhere.

5. Mapping and Other Documentation

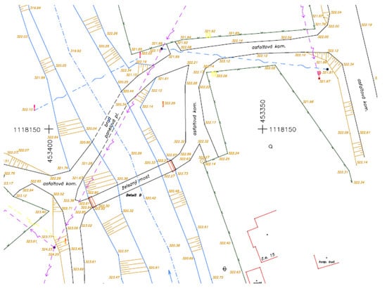
The detailed surveying of the watercourse results, for obtaining the mapping documentation of the actual condition of the Stonavka River bed, includes supporting documentation. A scale of 1:500 was chosen based on the requirements, following the purpose of the map and considering the spatial characteristics of the locality. The additional documentation includes the longitudinal profile of the Stonavka River together with cross-sections of the bed. A scale of 1:2000 was chosen for the lengths, and a scale 10 times higher was chosen for the altitudes, i.e., 1:200. The mapping documentation is documented in Figure 4.

6. Determination of the Bed Capacity Potential–Cubic Capacity and Digital Model of Terrain

The mapping results also included an approximate determination of the capacity potential of the watercourse bed in the mapped segment. The cubic capacity of the Stonavka River bed was calculated using an approximate method. This method is based on dividing the entire watercourse segment into partial cross-sections that form bodies (prisms) defined by any pair of adjacent cross-sections and the distances between them (the height of the body).
V = i = 1 n P i + P i + 1 2 × s i , i + 1
Figure 5 illustrates the body used to replace the irregular shape of the watercourse bed. In the relationship for calculating the partial cubic capacity, V is the cubic capacity, P is the section area, and s is the distance of the sections [5].
The use of the approximate method of calculating the volume of the watercourse bed using cross-sections was related to the customer’s request. The calculation was used to compare the volume of individual sections calculated on the basis of cross-sections and with the use of a digital terrain model. The customer only requested to verify the calculation of the cubic volume determined by the classic method of cross-sections using a digital terrain model and the created cross-sections.
The cross-sections of the Stonavka River bed and of the right tributary Mlynka are presented in Figure 6. The cross-sections are completed with the sizes of the flow profile area.
The digital terrain model (Figure 7) is used for the spatial interpretation of the result of the detailed survey of the locality of concern. A digital terrain model is a digital representation of the Earth’s surface, composed of data and an interpolation algorithm. The digital terrain model allows to determine the heights of intermediate points. Using the digital terrain model, we were able to describe the subject of focus in detail. ATLAS DMT software was used to create a digital terrain model. The ATLAS DMT program with commonly available hardware can process large-scale models based on an input list of the coordinates of detailed points obtained by terrestrial surveying. This enables the creation, modification, and display of a digital terrain model in a special graphic editor, including contours, hypsometry, slopes, descriptions, general and special graphic objects, rasters, 2D/3D DXF export, 3D terrain view options, relief correction, DMT generalization, and densification DMT. A sample of the digital terrain model is shown in Figure 7. The accuracy of the digital terrain model can be increased by defining the mandatory edges.
In today’s practice, the digital terrain model is also very often connected with the use of unmanned aerial vehicles, so-called drones. However, watercourses are often covered with vegetation. Therefore, in the case of using a drone, mapping is necessary in vegetation rest.

7. Conclusions

The aim was to implement a detailed situation survey of the actual status of the Stonavka River bed in the cadastral territory of Tranovice and to prepare the appropriate graphic and computational documentation. This paper provides insight and explains and describes the activities associated with the preparatory tasks, terrain recognition, and the measurement. This paper also discusses the connection measurement and the survey of the model locality. The documentation can be used, for example, for project purposes (designing modifications of the watercourse bed, anti-flood features, or other technical systems in the watercourse such as footbridges, dams, etc.).
The mapping documentation is completed with longitudinal sections and cross-sections and also with the digital terrain model. Potential users, thus, have the possibility to obtain a more realistic idea of the mapped locality. Project activity in water management, in some cases, requires, in addition to map documentation, the 3D results of terrestrial surveying. An example of 3D map documentation is shown in Figure 8. Drawing the documentation is also important when creating a digital terrain model, which defines the unique terrain edges in 3D.

Author Contributions

Conceptualization, P.J. and T.G.; methodology, P.J.; software, P.J.; validation, P.J. and T.G.; formal analysis, P.J.; investigation, T.G.; resources, T.G.; data curation, P.J.; writing—original draft preparation, P.J.; writing—review and editing, T.G.; visualization, P.J.; supervision, P.J.; project administration, P.J.; funding acquisition, P.J. All authors have read and agreed to the published version of the manuscript.

Funding

This research was funded by SGS, grant number SP2023/041.

Institutional Review Board Statement

Not applicable.

Informed Consent Statement

Not applicable.

Data Availability Statement

Data is contained within the article.

Conflicts of Interest

The authors declare no conflict of interest.

References

  1. Mikoláš, M.; Dandoš, R.; Subiková, M. Measuring shifts base to calibrate test equipment gnss. Geod. Cartogr. 2013, 39, 1–6. [Google Scholar] [CrossRef][Green Version]
  2. Staňková, H.; Černota, P. A principle of forming and developing geodetic bases in the Czech Republic. Geod. Cartogr. 2010, 36, 103–112. [Google Scholar] [CrossRef]
  3. Shamim, S.; Jafri, S.R.u.N. A Comparative Study of Multiple 2D Laser Scanners for Outdoor Measurements. Eng. Proc. 2023, 32, 16. [Google Scholar] [CrossRef]
  4. Sokol, Š.; Bajtala, M.; Jezko, J.; Černota, P. Testing the accuracy of determining 3D cartesian coordinates using the measuring station S8 Trimble DR Plus ROBOTIC. Inz. Miner. 2014, 15, 85–90. [Google Scholar]
  5. Vrublová, D.; Kapica, R.; Gibesová, B.; Mudruňka, J.; Struś, A. Application of GNSS technology in surface mining. Geod. Cartogr. 2016, 42, 122–128. [Google Scholar] [CrossRef]
Figure 1. The watercourse of geodetic measured.
Figure 1. The watercourse of geodetic measured.
Engproc 57 00017 g001
Figure 2. Fast static method; reference station (left); rover (right).
Figure 2. Fast static method; reference station (left); rover (right).
Engproc 57 00017 g002
Figure 3. Detailed surveying of the river using a total station.
Figure 3. Detailed surveying of the river using a total station.
Engproc 57 00017 g003
Figure 4. Mapping documentation section of the actual survey (1:500).
Figure 4. Mapping documentation section of the actual survey (1:500).
Engproc 57 00017 g004
Figure 5. Diagram to determine the cubic capacity of the watercourse bed (1).
Figure 5. Diagram to determine the cubic capacity of the watercourse bed (1).
Engproc 57 00017 g005
Figure 6. Diagram to determine the cubic capacity of the watercourse bed (2).
Figure 6. Diagram to determine the cubic capacity of the watercourse bed (2).
Engproc 57 00017 g006
Figure 7. Digital terrain model.
Figure 7. Digital terrain model.
Engproc 57 00017 g007
Figure 8. Example of a 3D drawing of a watercourse bed.
Figure 8. Example of a 3D drawing of a watercourse bed.
Engproc 57 00017 g008
Disclaimer/Publisher’s Note: The statements, opinions and data contained in all publications are solely those of the individual author(s) and contributor(s) and not of MDPI and/or the editor(s). MDPI and/or the editor(s) disclaim responsibility for any injury to people or property resulting from any ideas, methods, instructions or products referred to in the content.

Share and Cite

MDPI and ACS Style

Jadviscok, P.; Gottvaldova, T. Watercourses and Their Geodetic Mapping for Water Management. Eng. Proc. 2023, 57, 17. https://doi.org/10.3390/engproc2023057017

AMA Style

Jadviscok P, Gottvaldova T. Watercourses and Their Geodetic Mapping for Water Management. Engineering Proceedings. 2023; 57(1):17. https://doi.org/10.3390/engproc2023057017

Chicago/Turabian Style

Jadviscok, Petr, and Tereza Gottvaldova. 2023. "Watercourses and Their Geodetic Mapping for Water Management" Engineering Proceedings 57, no. 1: 17. https://doi.org/10.3390/engproc2023057017

APA Style

Jadviscok, P., & Gottvaldova, T. (2023). Watercourses and Their Geodetic Mapping for Water Management. Engineering Proceedings, 57(1), 17. https://doi.org/10.3390/engproc2023057017

Article Metrics

Back to TopTop