Abstract
In October 2021, a mural painting was discovered in the crypt of Parma Cathedral (Italy). It was covered by a wall, erasing it form historical memory. The painting, presumably from the 15th–16th century, depicts the Madonna and Child enthroned in the center, between Saints Peter and John. Before the restoration project, investigations were conducted with different techniques to identify the pigments and binders used, the nature of the surface finish and the efflorescence. Micro-Raman spectroscopy detected numerous pigments compatible with the presumed age. An interesting result concerns the presence of crocoite (lead chromate), an unusual and rare pigment for this period. These pigments were confirmed through investigation by means of Scanning Electron Microscopy coupled to Energy-Dispersive X-ray Spectroscopy (SEM-EDS). Fourier Transform Infrared Spectroscopy (FT–IR) and Gas Chromatography/Mass Spectroscopy (GC/MS) were used to identify the binder and the type of wax used in the finish layer. The rather widespread presence of egg, used to spread the paint, allows us to affirm that this mural painting was created as a fresco, with substantial parts a secco.
1. Introduction
In October 2021, a marble plaque with an epigraph, inserted between 1842 and 1843, in the center of the infill wall was removed on the west wall of the north arm of the crypt of the Basilica of Parma (Italy). The wall, probably built in two stages, had plaster with an early eighteenth-century decoration by the painters S. Galeotti and G. Righini (1716). From the holes made to remove the slab, it was possible to see that in the wall below, there were evident traces of a wall painting. To understand the size and state of the conservation of the underlying painting, two larger inspection windows were opened. Using a micro-camera, lowered from the two inspection holes inside the interspace between the counter wall and the wall of the wall painting, about 15 cm apart, a high-quality image of the work was captured. From this moment on, the Superintendence of Archeology, Fine Arts and Landscape of Parma e Piacenza (Italy) has intervened in a coordinated and in-depth manner and established a scientific advisory Committee of chemists, architects, restores and art historians. It was only in late February 2023, that, after numerous meetings and debates, the total demolition of the infill wall was approved.
The iconographic theme of the mural painting is “The Madonna delle Grazie”, located in the crypt of the Cathedral Basilica of Parma, and it is presumed to be from the 15th century. The protagonists are the Madonna and Child, enthroned in the center, while Saints Peter and John are on her right. On the left side, there is an anomalous scene, which represents the Presentation of Mary at the Temple, accompanied by her parents Saint Anne and Saint Joachim, who move towards the High Priest (Figure 1). It has been observed that in the painting under study, the figures of the Presentation of Mary at the Temple show a much more archaic appearance than the rest, with reduced dimensions, especially in relation to the background. It is believed that they are a slavish quotation, a real copy with the use of ‘patrons’, of the same scene painted in the early 1400s in the Ravacaldi Chapel (also in the crypt), and therefore, they are painted in that style. The High Priest, absent in the Ravacaldi Chapel, is in fact painted with a more ‘modern’ style, as the painter is free from constraints and prototypes and paints ‘in his own way’ [1].
Figure 1.
The mural painting: Virgin Mary with Child and Saints Peter and John before restoration, crypt of Parma Cathedral, Italy. Sampling points numbered in red.
Numerous scholars have noted differences between the two parts of this work of art, hypothesizing it is a multi-handed work with different execution times.
An important observation by the restorer tells us that proof that the presentation in the temple is not an older execution lies in the fact that the layer of plaster on which the scene of the Presentation is made surmounts the throne of Mary, just like the layer of plaster on the left, where John and Peter are depicted, surmounting the central throne.
From the research carried out, no document has been found attesting to the existence and history of this mural painting, and consequently, it is not possible to trace either the author or the client.
The work began with the commission from the Fabbriceria of the Parma Cathedral to identify the pigments and organic binders used, and to determine the painting technique in the different pictorial areas. The aim was, therefore, to understand which areas are characteristic of the fresco technique, expected for a mural painting, and which other parts, on the other hand, were made according to the a secco technique, through the use of an organic binder. Another aim was to identify any unusual substances and materials due to degradation phenomena. Other studies conducted in the Parma area have involved the mural painting of the Assumption of the Virgin Mary inside the Dome of the Cathedral (1526–1530) and the archway of the Del Bono Chapel of the Abbey Church of S. Giovanni Evangelista, datable to around 1523. The authorship of both these works is attributed to Correggio, one of the greatest painters of the 16th century [2,3].
The diagnostic investigation was the basis of the restoration project, not only because it guides methodological choices, but also because it allows for the sustainability of the intervention to be assessed at a preliminary stage. On the basis of this investigation, decisions on appropriate interventions must be made to ensure that the conditions determined by them are substantially maintained over time.
Through the observation of the pictorial surface, once the infill wall was dismantled, the presence of a surface patina was found, which became the subject of a subsequent analytical characterization [4]. Before the restoration intervention began, samples taken from representative areas of the mural painting were characterized by micro-Raman spectroscopy and SEM-EDS for the identification of pigments and by FT–IR and GC/MS for organic material characterization. Detached pictorial fragments found at the base of the artifact were used. Subsequently, after the results were obtained, sampling was carried out, divided into various phases of work.
2. Materials and Methods
2.1. Samples
For this study, forty-six samples were analyzed, but in this paper, thirty-five samples, considered the most representative, have been considered. The pictorial fragments found at the base of the artifact (samples 4CRI ÷ 15CRI), whose provenance could only be assumed, based on the point of fall of the fragment, were analyzed. This first phase was followed by the sampling of paint material taken from the work of art (samples 17CRI ÷ 35CRI, 38CRI, 43CRI ÷ 46CRI). The samples to be analyzed in the laboratory (approximately 1 mm2) were taken from the marginal areas of the gaps or superficial cracks. Using a scalpel, it was possible to delicately rub the color off the surface or detach a small portion of the work of art (Figure 1). Table 1 shows the description of the samples.
Table 1.
Description of the samples analyzed. Fallen samples are indicated with an asterisk.
2.2. Micro-Raman Spectroscopy
The Jobin Yvon LabRam micro-spectrometer (Jobin Yvon Horiba, Kyoto, Japan), equipped with an integrated Olympus BX40 microscope (Olympus Corporation, Tokyo, Japan), was used to perform non-polarized Raman spectroscopy in a nearly backscattered geometry. The excitations were 473.1 nm from a solid state Nd:YAG laser (50 mW) and 632.8 nm (He-Ne, 15 mW). The spectral resolution was about 4 cm−1 and 2 cm−1 at 473.1 nm and at 632.8 nm, respectively. The exposures were 10–60 s, repeated 3–5 times, with a ultra-long working distance 50× microscope objective. The calibration of the system was based on the Raman band of silicon at 520.6 cm−1. The data analysis was carried out by HORIBA LabSpec built-in v.6 software.
2.3. Scanning Electron Microscopy Coupled with Energy-Dispersive X-Ray Spectroscopy (SEM-EDS)
The SEM-EDS investigation was carried out using a Thermo ScientificTM Phenom XL Scanning Electron Microscope (SEM) equipped with both an Energy Dispersive Spectroscopy (EDS) system for the elemental analysis and a Secondary Electron Detector (SED) that enables surface sensitive imaging. The investigations involved both the acquisition of SEM–SE and of EDS elementary maps of smaller areas. The technical specifications of the instrument are as follows: Silicon Drift Detector (SDD); magnification range: 80–100.000×; acceleration voltages: 5–20.5 kV; resolution < 14 nm; X-ray window: ultra-thin silicon nitride (Si3N4) window allowing the detection of elements B to Am.
2.4. Fourier Transform Infrared Spectroscopy (FT–IR)
The Perkin Elmer Spectrum Two™ FT–IR spectrometer (Waltham, MA, USA), equipped with Universal ATR accessory (Single Reflection Diamond), was used to acquire the infrared spectra in Attenuated Total Reflectance (ATR) mode on the sample surface. The range was 4000 ÷ 400 cm−1, and the resolution was 4 cm−1. Each spectrum was subjected to 16 scans and the data analysis was carried out with software OMNIC 7.1.
2.5. Gas Chromatography-Mass Spectrometry (GC/MS)
A GC/MS made-up 7820A GC system gas chromatograph (Agilent Technologies, Palo Alto, CA, USA), equipped with a Split/Splitless injection port and with a 5977B GC/MSD mass spectrometer (Agilent Technologies), was used to separate and identify the organic compounds. Samples taken from the mural painting were hydrolyzed and derivatized following the method discussed in [5]. For the characterization of the wax material, the mural painting fragments 7CRI, 17CRI and 40CRI were analyzed according to a method previously proposed by Bergamonti et al. [6].
Chromatographic separation was performed with a Capillary GC Column SLB®-5MS (L × I.D. 30 m × 0.25 mm, df 0.25 μm) purchased by Sigma-Aldrich, Supelco (Darmstadt, Germany). The carrier gas (He, purity 99.995%) was used in constant flow mode at 20 mL/min. The mass spectrometer was operated in the EI positive mode (70 eV). The statistical calculation analysis was performed using PAST (PAleontological STatistics) 4.02 software. Chromatograms were reproduced using the Origin 8 program.
3. Results and Discussion
3.1. Identification of Pigments
3.1.1. Raman Spectroscopy
The investigations by means of micro-Raman spectroscopy highlighted most of the pigments and dyes present in the mural painting, summarized in Conclusion.
Blue details were mostly realized with azurite (main peaks at 398, 1096 cm−1). Only in the mantle of the Madonna was indigo (main peaks at 253, 546, 599, 1573, 1584 cm−1) used, together with azurite. Occasionally, in blue areas (e.g., for the sky), the presence of smalt could be suggested by the typical fluorescence background (and absence of Raman signal), in accordance with the glassy appearance of the grains, with conchoidal fracture. In some areas with azurite, green grains were present, mainly consisting of malachite (main peaks at 270, 432 cm−1). Other green grains show the presence of Cu-sulfate in the form of brochantite, as also proven by the OH stretching signals (Figure 2A,B) [7]; Cu-hydroxychloride as clinoatacamite was also detected (main bands at ~360, 510, 890, 930 and 970 cm−1) [8]. Malachite can be formed by the degradation of azurite. Brochantite and clinoatacamite can be ascribed to the degradation of azurite and/or malachite due to the presence of moisture and chloride ions [9,10,11]. Furthermore, some green parts (e.g., in 10CRI) were the product of green earth pigments (main bands at ~270, 390, 550 and 700 cm−1) [12].
Figure 2.
Raman spectra of (A,B) brochantite, (C) crocoite, (D) tin-based compounds and (E) unidentified organic compound. C denotes traces of calcite.
White grains usually consist of calcite (main peaks at 280, 712 and 1086 cm−1) and in some cases baryte (main peaks at 451, 460, 616 and 986 cm−1) were found. In some samples, a signal at ~1050 cm−1 was observed; this could be ascribed to lead white or nitrates, but a more precise identification could not be suggested, as this signal is usually concomitant with those of other compounds and weaker bands attributable to it were not detected.
Hematite (main peaks at 225, 292, 410, 610 and ~660 cm−1) and cinnabar (main peaks at 253, 286, 343 and 352 cm−1) were used for red hues.
Goethite (main bands at 298 and ~390 cm−1) was identified in some brown, yellow or orange areas. Notably, some yellow details (in S. Joachim’s dress) were realized with crocoite (lead chromate, PbCrO4) (Figure 2C), while the orange ones were achieved with hematite and cinnabar. The use of natural crocoite as a pigment was uncommon, since the presence of this mineral is very rare in nature, as a secondary chrome mineral, especially in Europe. Up to now, its presence in lead ore mines was not considered important enough to be a source of pigments. Actually, it was only recognized as a mineral species in 1763 by Lomonosov. The element chrome was discovered from this mineral in 1797 by Vaquelin, and it was by the coloring properties of crocoite that chrome took its name. The synthetic production of lead chromate only started in the 19th century. The only place where it is locally abundant in nature is in Tasmania (Australia), which cannot be the source of the pigment used in this painting. So, the meaning of the presence of crocoite leaves an open question from the point of view of the history of chrome yellow. Only two other cases reported the use of natural crocoite in wall paintings before the laboratory synthesis of lead chromate [13,14].
Golden details show two different characteristics; some areas revealed the presence of SnO (romarchite) (main peak at 211 cm−1), which could be derived from the original presence of Sn, probably used as preparatory layer for the subsequent application of Au (Figure 2D) [3,15]. Additionally, the samples containing SnO usually also showed golden areas, which were not characterized by the Raman signal. Alternatively, other golden parts (i.e., the 43CRI sample) revealed the use of mosaic gold due to the presence of SnS2 (main peak at 313 cm−1) (also elemental S was detected) (Figure 2D) [16].
Amorphous carbon was observed in black parts (main bands at ~1360, ~1600 cm−1). It was detected both as pigment in black or dark blue areas and as black patinas in efflorescences (i.e., 19CRI sample).
Efflorescences contain gypsum (main peaks at 416, 493, 1008, 1136 cm−1), in addition to amorphous carbon.
Traces of anatase (main peaks at 143, 398, 515 and 639 cm−1) were found in several samples with red (i.e., 9CRI sample), orange-yellow (i.e., 21CRI sample) or blue (i.e., 28CRI sample) tones. Its strong Raman signal may explain its occasional appearance in the spectra. Its presence could be attributed as only an impurity in materials such as clays. The use of titanium white pigment, artificially produced after the beginning of the 20th century, is excluded.
In several samples (i.e., 10CRI, 23CRI, 25CRI, 31CRI and 46CRI) a compound that cannot be identified was found (named Uk-1). The compound is not related to a particular grain color; it has been observed in white areas with the signals of calcite, and in red or reddish-orange areas, with those of hematite. Characteristic peaks were mainly observed in the range 1000–1600 cm−1 at 1197, 1227, 1355, 1461, 1490 and 1603 cm−1 (Figure 2E), suggesting the organic nature of the compound. The same features were found in the literature, together with green earth pigments, but their identification is still unknown ([12] and reference therein). The identification of the latter features could suggest the presence of green earths, whose weak Raman signal is often masked by that of other compounds.
3.1.2. Scanning Electron Microscopy Coupled with Energy-Dispersive X-Ray Spectroscopy (SEM-EDS)
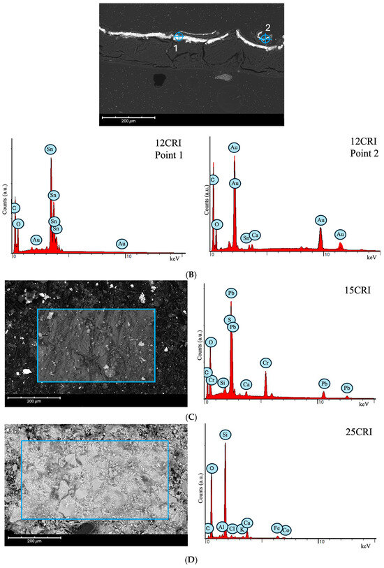
The samples 4CRI and 12CRI, found on the base after the removal of the wall, were embedded in epoxy resin and in the light blue area in the upper part of the stratigraphic section of the sample, revealing Cu is the element that characterizes the investigated area. This may mean that azurite was used as a pigment for the blue coloration of the wall surface [17,18]. The cross-section of the 12CRI sample (Figure 3B), instead, highlights Sn and Au as the elements present in predominant quantities, evident in the two EDS spectra acquired on Points 1 and 2 of Figure 3B, representative of two different layers. The presence of tin is probably due to the preparatory layer for the subsequent application of gold [19]. As reported in the literature [20,21,22], the technique that allows this precious metal to last over time involves the use of very thin gold leaves that were adhered to sheets of tin of much greater depth. Drying oils were used between the two leaves as a binder, while the tin sheet and the plaster were bound using mixtures of terpene resins, oils and beeswax. On the surface of the 15CRI and 45CRI samples (Figure 3C,F), large quantities of lead chromate were found, and where present, they were uniformly distributed. Although the presence of crocoite is unusual for this historical period, it can certainly be ruled out as being caused by impurities and contamination [14,23]. On the surface of the 25CRI sample, in Figure 3D, the presence of elements such as Si, Al, K and Co could be traced back to the use of smalt (a double silicate of potassium and cobalt with metal oxides) for the blue color of the sky [24,25]. Lastly, together with calcite, whose calcium peak is very evident, hematite and cinnabar are the pigments that emerge from the EDS spectrum of the surface of the 44CRI sample, while for the 46CRI sample, only calcite and hematite are found [26,27]. From the information obtained by SEM-EDS on the samples just mentioned, it can be concluded that in the mural painting, both hematite and cinnabar were used for the red areas, crocoite was used as a yellow pigment and azurite and smalt were used for the blue areas.


Figure 3.
SEM images and EDS spectra of the cross-section of the 4CRI (A) and 12CRI (B) samples, and on the surface of the 15CRI (C), 25CRI (D), 44CRI (E), 45CRI (F) and 46CRI (G) samples. EDS spectra acquired on the blue area.
3.2. Characterization of Organic Materials
3.2.1. Fourier Transform Infrared Spectroscopy (FT–IR)
Most of the samples were analyzed by infrared spectroscopy revealing signals attributed to calcium carbonate, silicate and calcium sulfate dihydrate [28,29,30,31] and the vibration characteristics of the organic component bound to beeswax. In Figure 4, the FT-IR spectra of the 4CRI, 7CRI and 15CRI samples are reported, representative of the beeswax content and probably of the protein binder. The bands at 2916 cm−1, 2848 cm−1, 1472 cm−1 and 1462 cm−1, characteristic of long aliphatic chains, are attributed to the typical asymmetric and symmetric stretching and bending vibrations of -CH2. Furthermore, at 730 cm−1 and 718 cm−1, a medium intensity doublet is found, attributed to the deformation of methylene groups (−(CH2)n) [6,32,33]. The region between 1350 cm−1 and 1200 cm−1 shows absorption bands assigned to the C-C-C bond vibrations of the skeleton and to the oscillation and torsion vibrations of the methylene groups, characteristic of long-chain acids such as C16 and C18 [6,34]. At 1737 cm−1, the band attributed to the carbonyl and the band, centered at 1170 cm−1 and typical of the C-O-C stretching vibrations, are indicative of the long-chain fatty acid components of beeswax. By observing the acquired FT−IR spectra, the presence of egg as a protein binder can be assumed. Although its characteristic bands overlap with those related to wax (in the regions 2920–2850 cm−1 and 1350−1200 cm−1), which do not allow us to identify the binder with certainty, the band at 1640 cm−1 can be attributed to the CONH vibration of amide I. As reported in the literature [35], the use of yolk and albumen is detected by the presence of bands at about 2960–2850 cm−1 and 1730 cm−1, attributed, respectively, to the stretching vibration of the double O bond and to the stretching of the protein/fat bond.
Figure 4.
FT–IR spectra of 4CRI, 7CRI and 15CRI samples. b: beeswax; c: calcium carbonate; s: silicate; g: gypsum.
3.2.2. Gas Chromatography–Mass Spectrometry (GC/MS)
Following the data from FT–IR spectroscopy that indicated the presence of wax, it was decided to submit selected samples to the GC/MS survey to recognize any waxes present. The 7CRI, 17CRI and 40CRI samples have been chosen. By choosing the method reported in the experimental part, it is possible to reveal in a single gas chromatographic run the identifying markers of waxy substances (hydrocarbons, long-chain fatty acids and alcohols), as reported in the chromatograms illustrated in Figure 5.
Figure 5.
Chromatograms of the 7CRI, 17CRI and 40CRI samples. The number of the peaks reported are expressed in Table 2.
Comparing the GC patterns of standard waxes [6,36], it is evident that beeswax markers are present in all samples as follows: long-chain hydrocarbons (C19–C31), with C27 being the most abundant; fatty acids, including C16, C24 and alcohols C24–C30 [37,38]. The 40CRI sample was derived from a cleaning swab used to remove the superficial blackish patina. As evident by the chromatogram in Figure 5, the typical signals of beeswax are present, albeit at weak intensity. This can lead to the hypothesis that wax was present as a final protective layer due to ancient interventions, presumably to consolidate the pictorial film and/or increase the saturation of the color.
Table 2 shows the attributions of all the signals present in the chromatograms in Figure 5, identifying fatty acids, alcohols and hydrocarbons.
Table 2.
Identified compounds in the total ion chromatograms of 7CRI, 17CRI and 40CRI samples.
For organic binder recognition, samples 4CRI, 12CRI, 15CRI, 33CRI, 34CRI and 35CRI were chosen and analyzed with GC/MS. The chromatographic profiles show amino acids and fatty acids. Figure 6 reports the amino acid chromatogram of the 12CRI sample.
Figure 6.
Amino acids chromatogram of 12CRI sample. Ala: alanine; Gly: glycine; Thr: threonine; Ser: serine; Val: valine; Leu: leucine; Iso Leu: isomer leucine; IS: internal standard (Norleucine); Pro: proline; Asp: aspartic acid; Glu: glutamic acid; Phe: phenylalanine.
To characterize the proteinaceous binder of the 4CRI, 12CRI, 15CRI, 33CRI, 34CRI and 35CRI samples, the percentage composition of alanine, glycine, leucine, proline, hydroxyproline, aspartic acid, glutamic acid and phenylalanine with respect to the total content of the determined amino acids was considered, and it compared with that of a suitable series of paint proteinaceous binders of reference, made by the Opificio delle Pietre Dure in Florence, Italy. Data comparison was conducted by multivariate statistical analysis using the principal component method (PCA), which was used to characterize the unknown binders of the samples [39,40,41]. The PCA score plot (Figure 7) shows that the samples exhibited a similar composition due to the amino acids in the egg, believed to be the organic binder used to spread the color.
Figure 7.
PCA score plot of the relative percentage contents of eight amino acids in 65 paint samples from the collection of reference paint layers, stored at Opificio delle Pietre Dure in Florence, Italy, and the 4CRI, 12CRI, 15CRI, 33CRI, 34CRI and 35CRI samples. The first two principal components, PC1 and PC2, account for 57.40% and 25.57% of the total variance, respectively. G: animal glue; C: casein; E: egg; GE: animal glue and egg; GC: animal glue and casein.
From the evaluation of the lipid content found in the samples examined, the presence of azelaic (nonanedioic acid and saturic dicarboxylic acid), myristic (C14:0), palmitic (C16:0) and oleic (C18:1) and stearic (C18:0) acids was detected. We calculated the azelaic acid/palmitic acid ratio for all the samples examined. Since the result was always less than one, we were able to confirm the absence of a drying oil, thus eliminating the potential use of the oil technique [42,43].
In particular, it was considered that lipid content of the 4CRI, 7CRI and 15CRI samples was mainly due to the presence of wax, while in the 4CRI, 12CRI, 15CRI, 33CRI, 34CRI and 35CRI samples, the fatty acids were due to the lipid content of the egg.
4. Conclusions
The investigations carried out have highlighted the presence of numerous pigments that are compatible with the presumed age of the artwork. The Raman spectra suggest the use of a fairly traditional pigment palette. Most of them are traditional mineral pigments, including very expensive ones, such as cinnabar. Many different organic pigments and dyes are used to obtain similar shades (for example, different blue pigments and dyes). It has been observed that the blue pigments present both azurite and indigo, an organic dye. Moreover, in some places, the presence of smalt has been hypothesized, which does not present the characteristic Raman peaks, both for its fairly characteristic fluorescence and glassy appearance, with the conchoidal fracture of the grains under the microscope, as confirmed by the SEM–EDS investigation.
Various alterations of copper-based pigments have been found (various sulfates and a hydroxychloride). The use of the dry technique has been confirmed by specific pigments, such as azurite and malachite. In addition, mosaic gold, consisting of SnS2, was also detected. An interesting finding is the presence of crocoite or chrome yellow (PbCrO4), because this pigment was synthesized only after the 19th century. In nature, it is very rare, especially in Europe, and it was not, as a rule, used as a natural pigment. There are, however, two reports of crocoite found in works of art in Europe (Siena and Prague) before 700. It has been hypothesized that small amounts of crocoite may have been accidentally present in pigments from African or Asian origins. Furthermore, we could not exclude its occurrence in small amounts in European mines where other chromium-containing minerals were present. The use of crocoite has been known from the 19th century onwards, but the presence of this mineral is a much-debated issue. However, this finding represents the third episode in which PbCrO4 has been used as a pigment in eras preceding that. The presence of precious and rare pigments used in this rich palette underlines the extraordinary value of this work of art. It is expected that the results reported in this work (summarized in Table 3) will be useful in establishing the painting technique used by the artist and possibly provide information to delineate the authorship of the mural painting in the crypt of the Cathedral of Parma. Due to the investigations by infrared spectroscopy, it was possible to characterize the substrate, essentially composed of carbonate and silicate, while in areas with efflorescence, calcium sulfate was identified. The GC/MS investigations relating to the identification of the binder used for the creation of this work of art highlighted the use of proteinaceous materials. From the determination of the amino acid content, the protein fraction is certainly due to the use of egg as a painting medium. In this case, it can be deduced that the painting technique is a secco. Finally, it is thought that a surface finishing layer of the mural painting based on beeswax was probably used to consolidate the pictorial film and/or increase the color saturation.
Table 3.
Results related to the analytical techniques used. The indication of compounds in the SEM–EDS column is also based on the cross-referencing with other techniques and on an evaluation of the stoichiometry.
Author Contributions
Conceptualization, A.C.; methodology, M.P., A.C., D.B., L.F., L.B., C.G. and S.S.; software, D.B. and L.F.; validation, A.C., M.P., D.B. and L.F.; formal analysis, M.P., D.B., L.F., L.B. and C.G.; investigation, M.P., D.B. and L.F.; resources A.C.; data curation, A.C., M.P., D.B. and L.F.; writing—original draft preparation, A.C., M.P., D.B. and L.F.; writing—review and editing, A.C. and M.P.; visualization, A.C.; supervision, A.C., D.B., S.S. and M.P.; project administration, A.C.; funding acquisition, A.C. All authors have read and agreed to the published version of the manuscript.
Funding
This research was supported by NextGenerationEU—Italian Ministry of University and Research, National Recovery and Resilience Plan (NRRP); Project “Ecosystem for Sustainable Transition in Emilia-Romagna (Ecosister)”; Project code ECS00000033. Project title: Innovative cleaning proposals for the conservation of polychrome works of art. This work has benefited from the equipment and framework of the COMP-R Initiative, funded by the ‘Departments of Excellence’ program of the Italian Ministry for University and Research (MUR, 2023–2027).
Institutional Review Board Statement
Not applicable.
Informed Consent Statement
Not applicable.
Data Availability Statement
The authors confirm that all data related to this study are included in the article.
Acknowledgments
The authors thank Silvia Germinario (Department of Chemical Science, Life and Environmental Sustainability, University of Parma) for her contribution in the chromatographic analyses; Sergio De Iasio (Department of Chemical Science, Life and Environmental Sustainability, University of Parma) for his help in processing the chromatographic results; and Stefano Volpin (Gallerie dell’Accademia di Venezia, Scientific Laboratory, Cannaregio 3553, Venezia, Italy) for his contribution in the interpretation of the scanning electron microscopy data.
Conflicts of Interest
The authors declare no conflicts of interest.
References
- Bertini, G. Center and Periphery: Art Patronage in Renaissance Piacenza and Parma. In The Court Cities of Northern Italy: Milan, Parma, Piacenza, Mantua, Ferrara, Bologna, Urbino, Pesaro, and Rimini; Artistic Centers of the Italian Renaissance: New York, NY, USA, 2010; pp. 71–137. [Google Scholar]
- Bersani, D.; Berzioli, M.; Caglio, S.; Casoli, A.; Lottici, P.P.; Medeghini, L.; Poldi, G.; Zannini, P. An integrated multi-analytical approach to the study of the dome wall paintings by Correggio in Parma cathedral. Microchem. J. 2014, 114, 80–88. [Google Scholar] [CrossRef]
- Casoli, A.; Lottici, P.P.; Bersani, D. A Study on Correggio Wall Paintings: Characterization of Technique and Materials of Abbey Church of S. Giovanni Evangelista in Parma, Italy. Appl. Sci. 2022, 12, 4810. [Google Scholar] [CrossRef]
- Bergamonti, L.; Graiff, C.; Simeti, S.; Casoli, A. The 20th Century Wall Paintings in the Chapel of the Fallen in Parma Cathedral (Italy): Scientific Investigations for a Correct Conservation Project. Appl. Sci. 2023, 13, 7235. [Google Scholar] [CrossRef]
- Casoli, A.; Santoro, S. Organic materials in the wall paintings in Pompei: A case study of Insuladel Centenario. BMC Chem. 2012, 6, 107. [Google Scholar] [CrossRef]
- Bergamonti, L.; Cirlini, M.; Graiff, C.; Lottici, P.P.; Palla, G.; Casoli, A. Characterization of waxes in the Roman wall paintings of the Herculaneum site (Italy). Appl. Sci. 2022, 12, 11264. [Google Scholar] [CrossRef]
- Gilbert, B.; Denoël, S.; Weber, G.; Allart, D. Analysis of green copper pigments in illuminated manuscripts by micro-Raman spectroscopy. Analyst 2003, 128, 1213–1217. [Google Scholar] [CrossRef]
- Bertolotti, G.; Bersani, D.; Lottici, P.P.; Alesiani, M.; Malcherek, T.; Schlüter, J. Micro-Raman study of copper hydroxychlorides and other corrosion products of bronze samples mimicking archaeological coins. Anal. Bioanal. Chem. 2011, 402, 1451–1457. [Google Scholar] [CrossRef] [PubMed]
- Burgio, L.; Clark, R.J.H. Library of FT-Raman spectra of pigments, minerals, pigment media and varnishes, and supplement to existing library of Raman spectra of pigments with visible excitation. Spectrochim. Acta Part A Mol. Biomol. Spectrosc. 2001, 57, 1491–1521. [Google Scholar] [CrossRef]
- Bersani, D.; Antonioli, G.; Lottici, P.P.; Casoli, A. Raman microspectrometric investigation of wall paintings in S. Giovanni Evangelista Abbey in Parma: A comparison between two artists of the 16th century. Spectrochim. Acta Part A Mol. Biomol. Spectrosc. 2003, 59, 2409–2417. [Google Scholar] [CrossRef] [PubMed]
- Vandenabeele, P.; Lambert, K.; Matthys, S.; Schudel, W.; Bergmans, A.; Moens, L. In situ analysis of mediaeval wall paintings: A challenge for mobile Raman spectroscopy. Anal. Bioanal. Chem. 2005, 383, 707–712. [Google Scholar] [CrossRef] [PubMed]
- Ospitali, F.; Bersani, D.; Di Lonardo, G.; Lottici, P.P. ‘Green earths’: Vibrational and elemental characterization of glauconites, celadonites and historical pigments. J. Raman Spectrosc. 2008, 39, 1066–1073. [Google Scholar] [CrossRef]
- Hradil, D.; Hradilová, J.; Bezdička, P.; Švarcová, S.; Čermáková, Z.; Košařová, V.; Němec, I. Crocoite PbCrO4 and mimetite Pb5(AsO4)3Cl: Rare minerals in highly degraded mediaeval murals in Northern Bohemia. J. Raman Spectrosc. 2014, 45, 848–858. [Google Scholar] [CrossRef]
- Mugnaini, S.; Bagnoli, A.; Bensi, P.; Droghini, F.; Scala, A.; Guasparri, G. Thirteenth century wall paintings under the Siena Cathedral (Italy). Mineralogical and petrographic study of materials, painting techniques and state of conservation. J. Cult. Herit. 2006, 7, 171–185. [Google Scholar] [CrossRef]
- Sandu, I.C.A.; Afonso, L.U.; Murta, E.; De Sa, M.H. Gilding Techniques in Religious Art Between East and West, 14th–18th Centuries. Int. J. Conserv. Sci. 2010, 1, 47–62. [Google Scholar]
- Edwards, H.G.M.; Farwell, D.W.; Newton, E.M.; Perez, F.R.; Villar, S.J. Raman spectroscopic studies of a 13th century polychrome statue: Identification of a “forgotten” pigment. J. Raman Spectrosc. 2000, 31, 407–413. [Google Scholar] [CrossRef]
- Lluveras, A.; Boularand, S.; Andreotti, A.; Vendrell-Saz, M. Degradation of azurite in mural paintings: Distribution of copper carbonate, chlorides and oxalates by SRFTIR. Appl. Phys. A 2010, 99, 363–375. [Google Scholar] [CrossRef]
- Gil, M.; Serrão, V.; Carvalho, M.L.; Longelin, S.; Dias, L.; Cardoso, A.; Caldeira, A.T.; Rosado, T.; Mirão, J.; Candeias, A.E. Material and diagnostic characterization of 17th century mural paintings by spectra-colorimetry and SEM-EDS: An insight look at José de Escovar Workshop at the CONVENT of Na Sra da Saudação (Southern Portugal). Color Res. Appl. 2013, 39, 288–306. [Google Scholar] [CrossRef]
- Zhou, Z.; Shen, L.; Li, C.; Wang, N.; Chen, X.; Yang, J.; Zhang, H. Investigation of gilding materials and techniques in wall paintings of Kizil Grottoes. Microchem. J. 2020, 154, 104548. [Google Scholar] [CrossRef]
- Cavallo, G.; Verda, M. Gilding on wall paintings from a period: Between the 14th–16th centuries AD in the Lombard lake region. ArcheoSciences 2009, 33, 410–415. [Google Scholar] [CrossRef]
- Sandu, I.C.A.; de Sá, M.H.; Pereira, M.C. Ancient ‘gilded’ art objects from European cultural heritage: A review on different scales of characterization. Surf. Interface Anal. 2011, 43, 1134–1151. [Google Scholar] [CrossRef]
- Lalli, C.G.; Innocenti, F. La doratura nelle tecniche artistiche. OPD Restauro 2016, 28, 340–348. [Google Scholar]
- O’Shea, M.J.; Vigliaturo, R.; Choi, J.K.; McKeon, T.P.; Krekeler, M.P.; Gieré, R. Alteration of yellow traffic paint in simulated environmental and biological fluids. Sci. Total Environ. 2021, 750, 141202. [Google Scholar] [CrossRef]
- Daniilia, S.; Minopoulou, E. A study of smalt and red lead discolouration in Antiphonitis wall paintings in Cyprus. Appl. Phys. A 2009, 96, 701–711. [Google Scholar] [CrossRef]
- Gil, M.; Carvalho, M.L.; Longelin, S.; Ribeiro, I.; Valadas, S.; Mirão, J.; Candeias, A.E. Blue Pigment colors from wall painting churches in Danger (Portugal 15th to 18th century): Identification, diagnosis, and color evaluation. Appl. Spectrosc. 2011, 65, 782–789. [Google Scholar] [CrossRef]
- Mazzocchin, G.; Agnoli, F.; Mazzocchin, S.; Colpo, I. Analysis of pigments from Roman wall paintings found in Vicenza. Talanta 2003, 61, 565–572. [Google Scholar] [CrossRef]
- Valadas, S.; Candeias, A.; Mirão, J.; Tavares, D.; Coroado, J.; Simon, R.; Silva, A.; Gil, M.; Guilherme, A.; Carvalho, M. Study of mural paintings using in situ XRF, confocal synchrotron-μ-XRF, μ-XRD, optical microscopy, and SEM-EDS—The case of the frescoes from Misericordia Church of Odemira. Microsc. Microanal. J. 2011, 17, 702–709. [Google Scholar] [CrossRef]
- Barilaro, D.; Crupi, V.; Majolino, D.; Barone, G.; Ponterio, R. A detailed spectroscopic study of an Italian fresco. J. Appl. Phys. 2005, 97, 044907. [Google Scholar] [CrossRef]
- Anastasiou, M.; Hasapis, T.; Zorba, T.; Pavlidou, E.; Chrissafis, K.; Paraskevopoulos, K.M. TG-DTA and FTIR analyses of plasters from byzantine monuments in Balkan region: Comparative study. J. Therm. Anal. Calorim. 2006, 84, 27–32. [Google Scholar] [CrossRef]
- Aattache, A.; Mahi, A.; Soltani, R.; Mouli, M.; Benosman, A.S. Experimental study on thermo-mechanical properties of polymer modified mortar. Mater. Des. 2013, 52, 459–469. [Google Scholar] [CrossRef]
- Al Sekhaneh, W.; Shiyyab, A.; Arinat, M.; Gharaibeh, N. Use of FTIR and thermogravimetric analysis of ancient mortar from The Church of the Cross in Gerasa (Jordan) for conservation purposes. Mediterr. Archaeol. Archaeom. 2020, 20, 159–174. [Google Scholar] [CrossRef]
- Maia, M.; Barros, A.I.; Nunes, F.M. A novel, direct, reagent-free method for the detection of beeswax adulteration by single-reflection attenuated total reflectance mid-infrared spectroscopy. Talanta 2013, 107, 74–80. [Google Scholar] [CrossRef]
- Bucio, A.; Moreno-Tovar, R.; Bucio, L.; Espinosa-Dávila, J.; Anguebes-Franceschi, F. Characterization of beeswax, candelilla wax and paraffin wax for coating cheeses. Coatings 2021, 11, 261. [Google Scholar] [CrossRef]
- Meiklejohn, R.A.; Meyer, R.J.; Aronovic, S.M.; Schuette, H.A.; Meloche, V.W. Characterization of long-chain fatty acids by infrared spectroscopy. Anal. Chem. 1957, 29, 329–334. [Google Scholar] [CrossRef]
- Stamboliyska, B.; Tapanov, S.; Velcheva, E.; Yancheva, D.; Rogozherov, M.; Glavcheva, Z.; Lalev, G.; Dimitrov, M. The altar wall paintings of the catholicon “The Nativity of the Virgin”, Rila Monastery, Bulgaria: Identification of the painting materials by means of vibrational spectroscopic techniques complemented by EDX, XRD and TGA analysis. Spectrochim. Acta Part A Mol. Biomol. Spectrosc. 2021, 247, 119087. [Google Scholar] [CrossRef] [PubMed]
- Peris-Vicente, J.; Adelantado, J.G.; Carbó, M.D.; Castro, R.M.; Reig, F.B. Characterization of waxes used in pictorial artworks according to their relative amount of fatty acids and hydrocarbons by gas chromatography. J. Chromatogr. A 2006, 1101, 254–260. [Google Scholar] [CrossRef]
- Asperger, A.; Engewald, W.; Fabian, G. Analytical characterization of natural waxes employing pyrolysis–gas chromatography–mass spectrometry. J. Anal. Appl. Pyrolysis 1999, 50, 103–115. [Google Scholar] [CrossRef]
- Regert, M.; Langlois, J.; Colinart, S. Characterisation of wax works of art by gas chromatographic procedures. J. Chromatogr. A 2005, 1091, 124–136. [Google Scholar] [CrossRef]
- Lanterna, G.; Mairani, A.; Matteini, M.; Rizzi, M.; Vigato, P.A. Characterisation of Decay Markers on Pictorial Models Simulating Ancient Polychromies: Target 2.2.2 of the Special Project on Cultural Heritage—CNR—Italy. In Proceedings of the 2nd International Congress on Science and Technology for the Safeguard of Cultural Heritage in the Mediterranean Basin, Paris, France, 5–9 July 1999; Elsevier: Paris, France; pp. 487–489. [Google Scholar]
- Casoli, A.; Montanari, A.; Palla, L. Painted models simulating ancient polychromies: A statistical analysis of chemical results. In Proceedings of the 3rd International Congress on Science and Technology for the Safeguard of Cultural Heritage in the Mediterranean Basin, Paris, France, 9–14 July 2001; pp. 839–845. [Google Scholar]
- Brereton, R.G. Chemometrics: Data Analysis for the Laboratory and Chemical Plant. J. Anal. Chem. 2005, 60, 994–996. [Google Scholar]
- Blaško, J.; Kubinec, R.; Husová, B.; Přikryl, P.; Pacáková, V.; Štulík, K.; Hradilová, J. Gas chromatography/mass spectrometry of oils and oil binders in paintings. J. Sep. Sci. 2008, 31, 1067–1073. [Google Scholar] [CrossRef]
- Manzano, E.; Rodriguez-Simón, L.; Navas, N.; Checa-Moreno, R.; Romero-Gámez, M.; Capitan-Vallvey, L. Study of the GC–MS determination of the palmitic–stearic acid ratio for the characterisation of drying oil in painting: La Encarnación by Alonso Cano as a case study. Talanta 2011, 84, 1148–1154. [Google Scholar] [CrossRef]
Disclaimer/Publisher’s Note: The statements, opinions and data contained in all publications are solely those of the individual author(s) and contributor(s) and not of MDPI and/or the editor(s). MDPI and/or the editor(s) disclaim responsibility for any injury to people or property resulting from any ideas, methods, instructions or products referred to in the content. |
© 2025 by the authors. Licensee MDPI, Basel, Switzerland. This article is an open access article distributed under the terms and conditions of the Creative Commons Attribution (CC BY) license (https://creativecommons.org/licenses/by/4.0/).