Unmasking the Antifungal Activity of Anacardium occidentale Leaf Extract against Candida albicans
Abstract
1. Introduction
2. Materials and Methods
2.1. Strains, Culture and Chemicals
2.2. Plant Material and Extraction
2.3. Chromatographic Analysis of Anacardium Occidentale Leaf Extract
2.3.1. Preparation of Standard and Sample Solutions
2.3.2. Ultra-Performance Liquid Chromatography Analysis
2.4. Determination of Minimum Inhibitory Concentration
2.5. Growth Kinetics Test
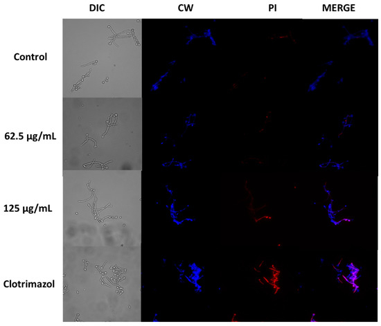
2.6. Viability with Confocal Microscopy
2.7. Measurement of Intracellular ROS Production Assay
2.8. Detection of Mitochondrial Function
2.9. Scanning Electron Microscopy (SEM)
2.10. Transmission Electron Microscopy (TEM)
2.11. Cell Death Assay with Propidium Iodine Staining
2.12. Hemolytic and Cytotoxic Activity Assays
2.13. Statistical Analysis
3. Results and Discussion
3.1. Chromatographic Analysis of the Extract
3.2. Antifungal Activity of A. occidentale Leaf Extract against Candida spp.
3.3. Effect of A. occidentale on the Growth Curve of Candida Species
3.4. Confocal Microscopy
3.5. Scanning and Transmission Electron Microscopy
3.6. Effect of A. occidentale on Intracellular ROS Accumulation
3.7. Effect of A. occidentale on the Mitochondrial Potential (mtΔψ)
3.8. Cell Death Assay with Propidium Iodine
3.9. Toxicity of A. occidentale Extract
3.10. Effect of A. occidentale on the Growth of Candida auris
4. Conclusions
Author Contributions
Funding
Institutional Review Board Statement
Informed Consent Statement
Data Availability Statement
Acknowledgments
Conflicts of Interest
References
- Perlin, D.S.; Rautemaa-Richardson, R.; Alastruey-Izquierdo, A. The Global Problem of Antifungal Resistance: Prevalence, Mechanisms, and Management. Lancet Infect. Dis. 2017, 17, e383–e392. [Google Scholar] [CrossRef] [PubMed]
- Mane, A.; Vidhate, P.; Kusro, C.; Waman, V.; Saxena, V.; Kulkarni-kale, U.; Risbud, A. Molecular Mechanisms Associated with Fluconazole Resistance in Clinical Candida albicans Isolates from India. Mycoses 2016, 59, 93–100. [Google Scholar] [CrossRef] [PubMed]
- Quejada, L.F.; de Almeida, R.; Fazolin Vegi, P.; Silva dos Santos, M.; Maria Rolim Bernardino, A.; Afonso Vericimo, M.; Xavier Faria, R. Rotenone Enhances Antifungal Activity of Novel Pyrazoles against Candida spp. Eur. J. Med. Chem. Rep. 2022, 5, 100045. [Google Scholar] [CrossRef]
- Nucci, M.; Queiroz-Telles, F.; Alvarado-Matute, T.; Tiraboschi, I.N.; Cortes, J.; Zurita, J.; Guzman-Blanco, M.; Santolaya, M.E.; Thompson, L.; Sifuentes-Osornio, J.; et al. Epidemiology of Candidemia in Latin America: A Laboratory-Based Survey. PLoS ONE 2013, 8, e59373. [Google Scholar] [CrossRef] [PubMed]
- Denning, D.W. Global Incidence and Mortality of Severe Fungal Disease. Lancet Infect. Dis. 2024, 24, e428–e438. [Google Scholar] [CrossRef] [PubMed]
- Parra-Giraldo, C.M.; Valderrama, S.L.; Cortes-Fraile, G.; Garzón, J.R.; Ariza, B.E.; Morio, F.; Linares-Linares, M.Y.; Ceballos-Garzón, A.; de la Hoz, A.; Hernandez, C.; et al. First Report of Sporadic Cases of Candida auris in Colombia. Int. J. Infect. Dis. 2018, 69, 63–67. [Google Scholar] [CrossRef] [PubMed]
- Escandón, P.; Chow, N.A.; Caceres, D.H.; Gade, L.; Berkow, E.L.; Armstrong, P.; Rivera, S.; Misas, E.; Duarte, C.; Moulton-Meissner, H.; et al. Molecular Epidemiology of Candida auris in Colombia Reveals a Highly Related, Countrywide Colonization with Regional Patterns in Amphotericin B Resistance. Clin. Infect. Dis. 2019, 68, 15–21. [Google Scholar] [CrossRef] [PubMed]
- Rhodes, J.; Fisher, M.C. Global Epidemiology of Emerging Candida auris. Curr. Opin. Microbiol. 2019, 52, 84–89. [Google Scholar] [CrossRef]
- Ahmad, S.; Alfouzan, W. Candida auris: Epidemiology, Diagnosis, Pathogenesis, Antifungal Susceptibility, and Infection Control Measures to Combat the Spread of Infections in Healthcare Facilities. Microorganisms 2021, 9, 807. [Google Scholar] [CrossRef]
- Sanyaolu, A.; Okorie, C.; Marinkovic, A.; Abbasi, A.F.; Prakash, S.; Mangat, J.; Hosein, Z.; Haider, N.; Chan, J. Candida auris: An Overview of the Emerging Drug-Resistant Fungal Infection. Infect. Chemother. 2022, 54, 236. [Google Scholar] [CrossRef]
- de Melo, C.C.; de Sousa, B.R.; da Costa, G.L.; Oliveira, M.M.E.; de Lima-Neto, R.G. Colonized Patients by Candida auris: Third and Largest Outbreak in Brazil and Impact of Biofilm Formation. Front. Cell Infect. Microbiol. 2023, 13, 1033707. [Google Scholar] [CrossRef]
- Oliveira Carvalho, V.; Okay, T.S.; Melhem, M.S.C.; Walderez Szeszs, M.; del Negro, G.M.B. The New Mutation L321F in Candida albicans ERG11 Gene May Be Associated with Fluconazole Resistance. Rev. Iberoam. Micol. 2013, 30, 209–212. [Google Scholar] [CrossRef] [PubMed]
- Szweda, P.; Gucwa, K.; Romanowska, E.; Dzierżanowska-Fangrat, K.; Naumiuk, Ł.; Brillowska-Dąbrowska, A.; Wojciechowska-Koszko, I.; Milewski, S. Mechanisms of Azole Resistance among Clinical Isolates of Candida glabrata in Poland. J. Med. Microbiol. 2015, 64, 610–619. [Google Scholar] [CrossRef] [PubMed]
- Newman, D.J.; Cragg, G.M. Natural Products as Sources of New Drugs over the Nearly Four Decades from 01/1981 to 09/2019. J. Nat. Prod. 2020, 83, 770–803. [Google Scholar] [CrossRef]
- Newman, D.J.; Cragg, G.M.; Kingston, D.G.I. Natural Products as Pharmaceuticals and Sources for Lead Structures. In The Practice of Medicinal Chemistry; Elsevier: Amsterdam, The Netherlands, 2015; pp. 101–139. [Google Scholar]
- Wu, C.; Lee, S.-L.; Taylor, C.; Li, J.; Chan, Y.-M.; Agarwal, R.; Temple, R.; Throckmorton, D.; Tyner, K. Scientific and Regulatory Approach to Botanical Drug Development: A U.S. FDA Perspective. J. Nat. Prod. 2020, 83, 552–562. [Google Scholar] [CrossRef] [PubMed]
- Sun, Y.; Qian, J. Botanical Drug Clinical Trial: Common Issues and Future Options. Acta Pharm. Sin. B 2021, 11, 300–303. [Google Scholar] [CrossRef] [PubMed]
- Royo, V.D.A.; Mercadante-Simões, M.O.; Ribeiro, L.M.; De Oliveira, D.A.; Aguiar, M.M.R.; Costa, E.R.; Ferreira, P.R.B. Anatomy, Histochemistry, and Antifungal Activity of Anacardium humile (Anacardiaceae) Leaf. Microsc. Microanal. 2015, 21, 1549–1561. [Google Scholar] [CrossRef]
- Salehi, B.; Gültekin-özgüven, M.; Kırkın, C.; Özçelik, B.; Morais-braga, M.F.B.; Nalyda, J.; Carneiro, P.; Bezerra, C.F.; Gonçalves, T.; Douglas, H.; et al. Anacardium Plants: Chemical, Nutritional Composition and Biotechnological Applications. Biomolecules 2019, 9, 465. [Google Scholar] [CrossRef]
- Baptista, A.; Gonçalves, R.V.; Bressan, J.; Gouveia, C. Review Article Antioxidant and Antimicrobial Activities of Crude Extracts and Fractions of Cashew (Anacardium occidentale L.), Cajui (Anacardium microcarpum), and Pequi (Caryocar brasiliense C.): A Systematic Review. Oxid. Med. Cell Longev. 2018, 2018, 3753562. [Google Scholar] [CrossRef]
- Duangjan, C.; Rangsinth, P.; Zhang, S.; Wink, M.; Tencomnao, T. Anacardium Occidentale L. Leaf Extracts Protect Against Glutamate/H2O2-Induced Oxidative Toxicity and Induce Neurite Outgrowth: The Involvement of SIRT1/Nrf2 Signaling Pathway and Teneurin 4 Transmembrane Protein. Front. Pharmacol. 2021, 12, 627738. [Google Scholar] [CrossRef]
- Akinpelu, D.A. Antimicrobial Activity of Anacardium occidentale Bark. Fitoterapia 2001, 72, 286–287. [Google Scholar] [CrossRef] [PubMed]
- Pereira, E.; Gomes, R.; Freire, N.; Aguiar, E.; Brandão, M.; Santos, V. In Vitro Antimicrobial Activity of Brazilian Medicinal Plant Extracts against Pathogenic Microorganisms of Interest to Dentistry. Planta Med. 2011, 77, 401–404. [Google Scholar] [CrossRef] [PubMed]
- Amaral, R.; Liberio, S.A.; Amaral, F.M.M.; Raquel, F.; Maria, L.; Torres, B.; Neto, V.M.; Nassar, R.; Guerra, M.; Luis, S. Antimicrobial and Antioxidant Activity of Anacardium occidentale L. Flowers in Comparison to Bark and Leaves Extracts. J. Biosci. Med. 2016, 4, 87–99. [Google Scholar] [CrossRef]
- Anand, G.; Ravinanthan, M.; Basaviah, R.; Shetty, A.V. In Vitro Antimicrobial and Cytotoxic Effects of Anacardium occidentale and Mangifera indica in Oral Care. J. Pharm. Bioallied Sci. 2015, 7, 69. [Google Scholar] [CrossRef]
- Xu, D.; Jiang, B.; Ketela, T.; Lemieux, S.; Veillette, K.; Martel, N.; Davison, J.; Sillaots, S.; Trosok, S.; Bachewich, C.; et al. Genome-Wide Fitness Test and Mechanism-of-Action Studies of Inhibitory Compounds in Candida albicans. PLoS Pathog. 2007, 3, e92. [Google Scholar] [CrossRef] [PubMed]
- CLSI M27-A3; Reference Method for Broth Dilution Antifungal Susceptibility Testing of Yeasts. Approved Stadard—Third Edition; CLSI: Wayne, PA, USA, 2008.
- Vargas-Casanova, Y.; Carlos Villamil Poveda, J.; Jenny Rivera-Monroy, Z.; Ceballos Garzón, A.; Fierro-Medina, R.; Le Pape, P.; Eduardo García-Castañeda, J.; Marcela Parra Giraldo, C. Palindromic Peptide LfcinB (21-25) Pal Exhibited Antifungal Activity against Multidrug-Resistant Candida. ChemistrySelect 2020, 5, 7236–7242. [Google Scholar] [CrossRef]
- Murakami, C.J.; Burtner, C.R.; Kennedy, B.K.; Kaeberlein, M. A Method for High-Throughput Quantitative Analysis of Yeast Chronological Life Span. J. Gerontol. A Biol. Sci. Med. Sci. 2008, 63, 113–121. [Google Scholar] [CrossRef]
- Vargas-Casanova, Y.; Bravo-Chaucanés, C.; Martínez, A.; Costa, G.; Contreras-Herrera, J.; Medina, R.; Rivera-Monroy, Z.; García-Castañeda, J.; Parra-Giraldo, C. Combining the Peptide RWQWRWQWR and an Ethanolic Extract of Bidens Pilosa Enhances the Activity against Sensitive and Resistant Candida albicans and C. auris Strains. J. Fungi 2023, 9, 817. [Google Scholar] [CrossRef]
- Chang, C.-K.; Kao, M.-C.; Lan, C.-Y. Antimicrobial Activity of the Peptide LfcinB15 against Candida albicans. J. Fungi 2021, 7, 519. [Google Scholar] [CrossRef]
- Bravo-Chaucanés, C.P.; Chitiva, L.C.; Vargas-Casanova, Y.; Diaz-Santoyo, V.; Hernández, A.X.; Costa, G.M.; Parra-Giraldo, C.M. Exploring the Potential Mechanism of Action of Piperine against Candida albicans and Targeting Its Virulence Factors. Biomolecules 2023, 13, 1729. [Google Scholar] [CrossRef]
- Xue, Y.-P.; Kao, M.-C.; Lan, C.-Y. Novel Mitochondrial Complex I-Inhibiting Peptides Restrain NADH Dehydrogenase Activity. Sci. Rep. 2019, 9, 13694. [Google Scholar] [CrossRef] [PubMed]
- Skowronek, P.; Krummeck, G.; Haferkamp, O.; Rödel, G. Flow Cytometry as a Tool to Discriminate Respiratory-Competent and Respiratory-Deficient Yeast Cells. Curr. Genet. 1990, 18, 265–267. [Google Scholar] [CrossRef] [PubMed]
- Friedman, P.L.; Ellisman, M.H. Enhanced Visualization of Peripheral Nerve and Sensory Receptors in the Scanning Electron Microscope Using Cryofracture and Osmium-Thiocarbohydrazide-Osmium Impregnation. J. Neurocytol. 1981, 10, 111–131. [Google Scholar] [CrossRef]
- Brana, C.; Benham, C.; Sundstrom, L. A Method for Characterising Cell Death in Vitro by Combining Propidium Iodide Staining with Immunohistochemistry. Brain Res. Protoc. 2002, 10, 109–114. [Google Scholar] [CrossRef]
- Villamil, J.C.; Parra-Giraldo, C.M.; Pérez, L.D. Enhancing the Performance of PEG-b-PCL Copolymers as Precursors of Micellar Vehicles for Amphotericin B through Its Conjugation with Cholesterol. Colloids Surf. A Physicochem. Eng. Asp. 2019, 572, 79–87. [Google Scholar] [CrossRef]
- Rodriguez, Y.J.; Quejada, L.F.; Villamil, J.C.; Baena, Y.; Parra-Giraldo, C.M.; Perez, L.D. Development of Amphotericin B Micellar Formulations Based on Copolymers of Poly(Ethylene Glycol) and Poly(ε-Caprolactone) Conjugated with Retinol. Pharmaceutics 2020, 12, 196. [Google Scholar] [CrossRef] [PubMed]
- Bayiha Ba Njock, G.; Bartholomeusz, T.A.; Foroozandeh, M.; Pegnyemb, D.E.; Christen, P.; Jeannerat, D. NASCA-HMBC, a New NMR Methodology for the Resolution of Severely Overlapping Signals: Application to the Study of Agathisflavone. Phytochem. Anal. 2012, 23, 126–130. [Google Scholar] [CrossRef] [PubMed]
- Aguiar Galvão, W.R.; Braz Filho, R.; Canuto, K.M.; Ribeiro, P.R.V.; Campos, A.R.; Moreira, A.C.O.M.; Silva, S.O.; Mesquita Filho, F.A.; Santos, S.A.A.R.; Melo Junior, J.M.A.; et al. Gastroprotective and Anti-Inflammatory Activities Integrated to Chemical Composition of Myracrodruon Urundeuva Allemão—A Conservationist Proposal for the Species. J. Ethnopharmacol. 2018, 222, 177–189. [Google Scholar] [CrossRef]
- Mostafa, N.M.; Ashour, M.L.; Eldahshan, O.A.; Singab, A.N.B. Cytotoxic Activity and Molecular Docking of a Novel Biflavonoid Isolated from Jacaranda acutifolia (Bignoniaceae). Nat. Prod. Res. 2016, 30, 2093–2100. [Google Scholar] [CrossRef] [PubMed]
- da Silva, J.H.S.; Simas, N.K.; Alviano, C.S.; Alviano, D.S.; Ventura, J.A.; de Lima, E.J.; Seabra, S.H.; Kuster, R.M. Anti-Escherichia coli Activity of Extracts from Schinus terebinthifolius Fruits and Leaves. Nat. Prod. Res. 2018, 32, 1365–1368. [Google Scholar] [CrossRef]
- de Brito, E.S.; Pessanha de Araújo, M.C.; Lin, L.Z.; Harnly, J. Determination of the Flavonoid Components of Cashew Apple (Anacardium Occidentale) by LC-DAD-ESI/MS. Food Chem. 2007, 105, 1112–1118. [Google Scholar] [CrossRef] [PubMed]
- Lin, L.-Z.; Harnly, J.M. A Screening Method for the Identification of Glycosylated Flavonoids and Other Phenolic Compounds Using a Standard Analytical Approach for All Plant Materials. J. Agric. Food Chem. 2007, 55, 1084–1096. [Google Scholar] [CrossRef] [PubMed]
- Costa, A.R.; de Silva, J.R.L.; de Oliveira, T.J.S.; da Silva, T.G.; Pereira, P.S.; de Oliveira Borba, E.F.; de Brito, E.S.; Ribeiro, P.R.V.; Almeida-Bezerra, J.W.; Júnior, J.T.C.; et al. Phytochemical Profile of Anacardium occidentale L. (Cashew Tree) and the Cytotoxic and Toxicological Evaluation of Its Bark and Leaf Extracts. S. Afr. J. Bot. 2020, 135, 355–364. [Google Scholar] [CrossRef]
- Lu, Z.; Nie, G.; Belton, P.S.; Tang, H.; Zhao, B. Structure–Activity Relationship Analysis of Antioxidant Ability and Neuroprotective Effect of Gallic Acid Derivatives. Neurochem. Int. 2006, 48, 263–274. [Google Scholar] [CrossRef] [PubMed]
- Konan, N.A.; Bacchi, E.M. Antiulcerogenic Effect and Acute Toxicity of a Hydroethanolic Extract from the Cashew (Anacardium occidentale L.) Leaves. J. Ethnopharmacol. 2007, 112, 237–242. [Google Scholar] [CrossRef]
- Costa, A.R.; Almeida-Bezerra, J.W.; Gonçalves da Silva, T.; Pereira, P.S.; Fernanda de Oliveira Borba, E.; Braga, A.L.; Alencar Fonseca, V.J.; Almeida de Menezes, S.; Henrique da Silva, F.S.; Augusta de Sousa Fernandes, P.; et al. Phytochemical Profile and Anti-Candida and Cytotoxic Potential of Anacardium occidentale L. (Cashew Tree). Biocatal. Agric. Biotechnol. 2021, 37, 102192. [Google Scholar] [CrossRef]
- Pfaller, M.A.; Diekema, D.J. Epidemiology of invasive candidiasis: A persistent public health problem. Clin. Microbiol. Rev. 2007, 20, 133–163. [Google Scholar] [CrossRef]
- Antinori, S.; Milazzo, L.; Sollima, S.; Galli, M.; Corbellino, M. Candidemia and Invasive Candidiasis in Adults: A Narrative Review. Eur. J. Intern. Med. 2016, 34, 21–28. [Google Scholar] [CrossRef]
- Logan, C.; Martin-Loeches, I.; Bicanic, T. Invasive Candidiasis in Critical Care: Challenges and Future Directions. Intensive Care Med. 2020, 46, 2001–2014. [Google Scholar] [CrossRef]
- Oñate, J.M.; Rivas, P.; Pallares, C.; Saavedra, C.H.; Martínez, E.; Coronell, W.; López, E.; Berrio, I.; Álvarez-Moreno, C.A.; Roncancio, G.E.; et al. Colombian consensus on the diagnosis, treatment, and prevention of Candida spp. disease in children and adults. Infectio 2019, 23, 271–304. [Google Scholar] [CrossRef]
- Drgona, L.; Khachatryan, A.; Stephens, J.; Charbonneau, C.; Kantecki, M.; Haider, S.; Barnes, R. Clinical and Economic Burden of Invasive Fungal Diseases in Europe: Focus on Pre-Emptive and Empirical Treatment of Aspergillus and Candida species. Eur. J. Clin. Microbiol. Infect. Dis. 2014, 33, 7–21. [Google Scholar] [CrossRef] [PubMed]
- Wenisch, C.; Linnau, K.F.; Parschalk, B.; Zedtwitz-Liebenstein, K.; Georgopoulos, A. Rapid Susceptibility Testing of Fungi by Flow Cytometry Using Vital Staining. J. Clin. Microbiol. 1997, 35, 5–10. [Google Scholar] [CrossRef] [PubMed]
- Iyer, K.R.; Robbins, N.; Cowen, L.E. The Role of Candida albicans Stress Response Pathways in Antifungal Tolerance and Resistance. iScience 2022, 25, 103953. [Google Scholar] [CrossRef]
- Prasad, R.; Singh, A. Lipids of Candida albicans and Their Role in Multidrug Resistance. Curr. Genet. 2013, 59, 243–250. [Google Scholar] [CrossRef]
- Li, Y.; Chang, W.; Zhang, M.; Li, X.; Jiao, Y.; Lou, H. Diorcinol D Exerts Fungicidal Action against Candida albicans through Cytoplasm Membrane Destruction and ROS Accumulation. PLoS ONE 2015, 10, e0128693. [Google Scholar] [CrossRef] [PubMed]
- Urbanek, A.K.; Muraszko, J.; Derkacz, D.; Łukaszewicz, M.; Bernat, P.; Krasowska, A. The Role of Ergosterol and Sphingolipids in the Localization and Activity of Candida albicans’ Multidrug Transporter Cdr1p and Plasma Membrane ATPase Pma1p. Int. J. Mol. Sci. 2022, 23, 9975. [Google Scholar] [CrossRef] [PubMed]
- Mesa-Arango, A.C.; Trevijano-Contador, N.; Román, E.; Sánchez-Fresneda, R.; Casas, C.; Herrero, E.; Argüelles, J.C.; Pla, J.; Cuenca-Estrella, M.; Zaragoza, O. The Production of Reactive Oxygen Species Is a Universal Action Mechanism of Amphotericin B against Pathogenic Yeasts and Contributes to the Fungicidal Effect of This Drug. Antimicrob. Agents Chemother. 2014, 58, 6627–6638. [Google Scholar] [CrossRef]
- Kawazoe, N.; Kimata, Y.; Izawa, S. Acetic Acid Causes Endoplasmic Reticulum Stress and Induces the Unfolded Protein Response in Saccharomyces cerevisiae. Front. Microbiol. 2017, 8, 1192. [Google Scholar] [CrossRef]
- Zhang, Z.; Zhang, L.; Zhou, L.; Lei, Y.; Zhang, Y.; Huang, C. Redox Signaling and Unfolded Protein Response Coordinate Cell Fate Decisions under ER Stress. Redox Biol. 2018, 25, 101047. [Google Scholar] [CrossRef] [PubMed]
- Zeeshan, H.M.A.; Lee, G.H.; Kim, H.R.; Chae, H.J. Endoplasmic Reticulum Stress and Associated ROS. Int. J. Mol. Sci. 2016, 17, 327. [Google Scholar] [CrossRef]
- Wu, H.; Ng, B.S.H.; Thibault, G. Endoplasmic Reticulum Stress Response in Yeast and Humans. Biosci. Rep. 2014, 34, e00118. [Google Scholar] [CrossRef] [PubMed]
- Van den Broeck, W.M.M. Drug Targets, Target Identification, Validation, and Screening; Elsevier Ltd.: Amsterdam, The Netherlands, 2015; ISBN 9780124172050. [Google Scholar]
- Schenone, M.; Wagner, B.K.; Clemons, P.A.; Program, B. Target Identification and Mechanism of Action in Chemical Biology and Drug Discovery. Nat. Chem. Biol. 2017, 9, 232–240. [Google Scholar] [CrossRef]
- Sircaik, S.; Román, E.; Bapat, P.; Lee, K.K.; Andes, D.R.; Gow, N.A.R.; Nobile, C.J.; Pla, J.; Panwar, S.L. The Protein Kinase Ire1 Impacts Pathogenicity of Candida albicans by Regulating Homeostatic Adaptation to Endoplasmic Reticulum Stress. Cell Microbiol. 2021, 23, e13307. [Google Scholar] [CrossRef] [PubMed]
- Chawla, A.; Chakrabarti, S.; Ghosh, G.; Niwa, M. Attenuation of Yeast UPR Is Essential for Survival and Is Mediated by IRE1 Kinase. J. Cell Biol. 2011, 193, 41–50. [Google Scholar] [CrossRef] [PubMed]
- Adhikari, H.; Cullen, P.J. Metabolic Respiration Induces AMPK- and Ire1p-Dependent Activation of the P38-Type HOG MAPK Pathway. PLoS Genet. 2014, 10, e1004734. [Google Scholar] [CrossRef] [PubMed]
- Wirth, C.; Brandt, U.; Hunte, C.; Zickermann, V. Structure and Function of Mitochondrial Complex I. Biochim. Biophys. Acta (BBA)-Bioenerg. 2016, 1857, 902–914. [Google Scholar] [CrossRef] [PubMed]
- Yi, D.G.; Hong, S.; Huh, W.K. Mitochondrial Dysfunction Reduces Yeast Replicative Lifespan by Elevating RAS-Dependent ROS Production by the ER-Localized NADPH Oxidase Yno1. PLoS ONE 2018, 13, e0198619. [Google Scholar] [CrossRef]
- Helmerhorst, E.J.; Murphy, M.P.; Troxler, R.F.; Oppenheim, F.G. Characterization of the Mitochondrial Respiratory Pathways in Candida albicans. Biochim. Biophys. Acta (BBA)-Bioenerg. 2002, 1556, 73–80. [Google Scholar] [CrossRef]
- Galluzzi, L.; Vitale, I.; Aaronson, S.A.; Abrams, J.M.; Adam, D.; Agostinis, P.; Alnemri, E.S.; Altucci, L.; Amelio, I.; Andrews, D.W.; et al. Molecular Mechanisms of Cell Death: Recommendations of the Nomenclature Committee on Cell Death 2018. Cell Death Differ. 2018, 25, 486–541. [Google Scholar] [CrossRef]
- Li, D.; Chen, H.; Florentino, A.; Alex, D.; Sikorski, P.; Fonzi, W.A.; Calderone, R. Enzymatic Dysfunction of Mitochondrial Complex I of the Candida albicans Goa1 Mutant Is Associated with Increased Reactive Oxidants and Cell Death. Eukaryot. Cell 2011, 10, 672–682. [Google Scholar] [CrossRef]
- Zhang, R.; Zhang, X.; Zhang, L.; Wu, Y.; Sun, X.; Li, L. Tetrahydroxystilbene Glucoside Protects against Sodium Azide-Induced Mitochondrial Dysfunction in Human Neuroblastoma Cells. Chin. Herb. Med. 2021, 13, 255–260. [Google Scholar] [CrossRef] [PubMed]
- Stasyk, O.G.; Stasyk, O.V. Glucose Sensing and Regulation in Yeasts. In Non-Conventional Yeasts: From Basic Research to Application; Sibirny, A., Ed.; Springer International Publishing: Cham, Switzerland, 2019; pp. 477–519. ISBN 978-3-030-21110-3. [Google Scholar]
- Bolard, J.; Legrand, P.; Heitz, F.; Cybulska, B. One-Sided Action of Amphotericin B on Cholesterol-Containing Membranes Is Determined by Its Self-Association in the Medium. Biochemistry 1991, 30, 5707–5715. [Google Scholar] [CrossRef] [PubMed]
- Sharma, S.; Alfatah; Bari, V.K.; Rawal, Y.; Paul, S.; Ganesan, K. Sphingolipid Biosynthetic Pathway Genes FEN1 and SUR4 Modulate Amphotericin B Resistance. Antimicrob. Agents Chemother. 2014, 58, 2409–2414. [Google Scholar] [CrossRef] [PubMed]
- de Araújo, J.S.C.; de Castilho, A.R.F.; Lira, A.B.; Pereira, A.V.; de Azevêdo, T.K.B.; de Brito Costa, E.M.D.M.; Pereira, M.D.S.V.; Pessôa, H.D.L.F.; Pereira, J.V. Antibacterial Activity against Cariogenic Bacteria and Cytotoxic and Genotoxic Potential of Anacardium occidentale L. and Anadenanthera macrocarpa (Benth.) Brenan Extracts. Arch. Oral. Biol. 2018, 85, 113–119. [Google Scholar] [CrossRef] [PubMed]
- Ashraf, S.M.; Rathinasamy, K. Antibacterial and Anticancer Activity of the Purified Cashew Nut Shell Liquid: Implications in Cancer Chemotherapy and Wound Healing. Nat. Prod. Res. 2018, 32, 2856–2860. [Google Scholar] [CrossRef] [PubMed]
- Kaneko, T.; Baba, N.; Matsuo, M. Structure-Activity Relationship of Antioxidants for Inhibitors of Linoleic Acid Hydroperoxide-Induced Toxicity in Cultured Human Umbilical Vein Endothelial Cells. Cytotechnology 2001, 35, 43–55. [Google Scholar] [CrossRef]
- Matsuo, M.; Sasaki, N.; Saga, K.; Kaneko, T. Cytotoxicity of Flavonoids toward Cultured Normal Human Cells. Biol. Pharm. Bull. 2005, 28, 253–259. [Google Scholar] [CrossRef]
- Ashmawy, N.S.; El-labbad, E.M.; Hamoda, A.M.; El-Keblawy, A.A.; El-Shorbagi, A.-N.A.; Mosa, K.A.; Soliman, S.S.M. The Anti-Candida Activity of Tephrosia apollinea is more superiorly Attributed to a Novel Steroidal Compound with Selective Targeting. Plants 2022, 11, 2120. [Google Scholar] [CrossRef]
- Briano, F.; Magnasco, L.; Sepulcri, C.; Dettori, S.; Dentone, C.; Mikulska, M.; Ball, L.; Vena, A.; Robba, C.; Patroniti, N.; et al. Candida auris Candidemia in Critically Ill, Colonized Patients: Cumulative Incidence and Risk Factors. Infect. Dis. Ther. 2022, 11, 1149–1160. [Google Scholar] [CrossRef]













| Strains * | Gene Ontology (GO) ** |
|---|---|
| C. albicans Δhog1/HOG1 | MAP kinase of osmotic-, heavy metal-, and core stress response; role in regulation of response to stress |
| C. albicans Δmkc1/MKC1 | MAP kinase; role in membrane perturbation, or cell wall stress |
| C. albicans Δirei1/IREI1 | Protein kinase involved in regulation of unfolded protein response |
| C. albicans Δkar2/KAR2 | Chaperone with role in translocation of proteins into the endoplasmic reticulum |
| C. albicans Δhac1/HAC1 | bZIP transcription factor with role in unfolded protein response |
| C. albicans Δero1/ERO1 | Role in formation of disulfide bonds in the endoplasmic reticulum |
| Peak No. | Compounds | Rt (min) | [M–H]- (m/z) | λmax (nm) | References |
|---|---|---|---|---|---|
| 1 | 5-Methylcyanidin-3-O-hexoside | 10.7 | 463.0762 | 282.1–514.2 | [43] |
| 2 | Quercetin 3-O-α-L-rhamnoside | 11.5 | 447.0922 | 255.9–349.5 | [44] |
| 3 | Quercetin galloyl-O-deoxy-hexoside | 12.0 | 599.1026 | 257.1–349.5 | [45] |
| 4 | Quercetin 3-O-xylopyranoside | 13.5 | 431.0954 | 257.1–349.5 | [40] |
| 5 | Unknown flavonoid * | 14.3 | Nd | 263.0–349.5 | |
| 6 | Unknown flavonoid * | 16.4 | Nd | 258.2–347.2 | |
| 7 | Kaempferol 3-O-α-glucoside | 18.5 | 433.0925 | 266.6–348.3 | [40] |
| 10 | Agathisflavone | 30.8 | 537.0823 | 271.3–334.5 | [39,45] |
| Treatment (μg/mL) | Doubling Time (Hours) | |
|---|---|---|
| C. albicans ATCC SC5314 | C. albicans PUJ/HUSI 256 | |
| 0 | 2.78 | 3.43 |
| 250 | 84.05 | 153.4 |
| 125 | 22.58 | 55.61 |
| 62.5 | 7.61 | 17.40 |
| 31.25 | 3.16 | 4.31 |
Disclaimer/Publisher’s Note: The statements, opinions and data contained in all publications are solely those of the individual author(s) and contributor(s) and not of MDPI and/or the editor(s). MDPI and/or the editor(s) disclaim responsibility for any injury to people or property resulting from any ideas, methods, instructions or products referred to in the content. |
© 2024 by the authors. Licensee MDPI, Basel, Switzerland. This article is an open access article distributed under the terms and conditions of the Creative Commons Attribution (CC BY) license (https://creativecommons.org/licenses/by/4.0/).
Share and Cite
Quejada, L.F.; Hernandez, A.X.; Chitiva, L.C.; Bravo-Chaucanés, C.P.; Vargas-Casanova, Y.; Faria, R.X.; Costa, G.M.; Parra-Giraldo, C.M. Unmasking the Antifungal Activity of Anacardium occidentale Leaf Extract against Candida albicans. J. Fungi 2024, 10, 464. https://doi.org/10.3390/jof10070464
Quejada LF, Hernandez AX, Chitiva LC, Bravo-Chaucanés CP, Vargas-Casanova Y, Faria RX, Costa GM, Parra-Giraldo CM. Unmasking the Antifungal Activity of Anacardium occidentale Leaf Extract against Candida albicans. Journal of Fungi. 2024; 10(7):464. https://doi.org/10.3390/jof10070464
Chicago/Turabian StyleQuejada, Luis F., Andrea X. Hernandez, Luis C. Chitiva, Claudia P. Bravo-Chaucanés, Yerly Vargas-Casanova, Robson X. Faria, Geison M. Costa, and Claudia M. Parra-Giraldo. 2024. "Unmasking the Antifungal Activity of Anacardium occidentale Leaf Extract against Candida albicans" Journal of Fungi 10, no. 7: 464. https://doi.org/10.3390/jof10070464
APA StyleQuejada, L. F., Hernandez, A. X., Chitiva, L. C., Bravo-Chaucanés, C. P., Vargas-Casanova, Y., Faria, R. X., Costa, G. M., & Parra-Giraldo, C. M. (2024). Unmasking the Antifungal Activity of Anacardium occidentale Leaf Extract against Candida albicans. Journal of Fungi, 10(7), 464. https://doi.org/10.3390/jof10070464

