A Study on the Mechanisms of Nanoparticle-Stabilized High Internal Phase Emulsions Constructed by Cross-Linking Egg White Protein Isolate with Different Transglutaminase Concentrations
Abstract
:1. Introduction
2. Materials and Methods
2.1. Materials
2.2. Preparation of Protein Suspensions
2.3. Preparation of the Emulsions
2.4. Dynamic Light Scattering (DLS)
2.5. Surface Hydrophobicity
2.6. Turbidity
2.7. Atomic Force Microscopy (AFM) Imaging and Analysis
2.8. Storage Stability of the Emulsions
2.9. Microstructure of the Emulsions
2.10. Physical Stability of Emulsions
2.11. Statistical Analysis
3. Results and Discussion
3.1. Particle Size and Zeta Potential
3.2. Surface Hydrophobicity
3.3. Turbidity
3.4. Changes in the Microstructure of EPI
3.5. Storage Stability of the Emulsions
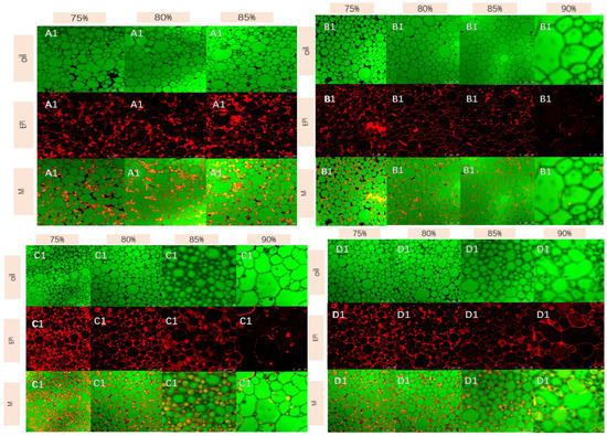
3.6. Analysis of the Microstructure of the Emulsions
3.7. Physical Stability of the Emulsions
4. Conclusions
Author Contributions
Funding
Data Availability Statement
Conflicts of Interest
References
- Berton-Carabin, C.C.; Schroën, K. Pickering Emulsions for Food Applications: Background, Trends, and Challenges. Annu. Rev. Food Sci. Technol. 2015, 6, 263–297. [Google Scholar] [CrossRef] [PubMed]
- Calderó, G.; Pattia, A.; Maria, M.L.; García-Celmab, J. Diffusion in highly concentrated emulsions. Curr. Opin. Colloid Interface Sci. 2012, 17, 255–260. [Google Scholar] [CrossRef]
- Cui, Q.; Wang, X.; Wang, G.; Li, R.; Wang, X.; Chen, S.; Liu, J.; Jiang, L. Effects of ultrasonic treatment on the gel properties of microbial transglutaminase crosslinked soy, whey and soy–whey proteins. Food Sci. Biotechnol. 2019, 28, 1455–1464. [Google Scholar] [CrossRef] [PubMed]
- de Folter, J.W.J.; van Ruijven, M.W.M.; Velikov, K.P. Oil-in-water Pickering emulsions stabilized by colloidal particles from the water-insoluble protein zein. Soft Matter 2012, 8, 6807. [Google Scholar] [CrossRef] [Green Version]
- Deshmukh, O.; Ende, D.V.D.; Stuart, M.C.; Mugele, F.; Duits, M.H. Hard and soft colloids at fluid interfaces: Adsorption, interactions, assembly & rheology. Adv. Colloid Interface Sci. 2015, 222, 215–227. [Google Scholar] [CrossRef] [PubMed]
- Destribats, M.; Wolfs, M.; Pinaud, F.; Lapeyre, V.; Sellier, E.; Schmitt, V.; Ravaine, V. Pickering emulsions stabilized by soft microgels: Influence of the emulsification process on particle inter-facial organization and emulsion properties. Langmuir 2013, 29, 12367–12374. [Google Scholar] [CrossRef]
- Zeeb, B.; Beicht, J.; Eisele, T.; Gibis, M.; Fischer, L.; Weiss, J. Transglutaminase-induced crosslinking of sodium caseinate stabilized oil droplets in oil-in-water emulsions. Food Res. Int. 2013, 54, 1712–1721. [Google Scholar] [CrossRef]
- Tzoumaki, M.V.; Moschakis, T.; Scholten, E.; Biliaderis, C.G. In vitro lipid digestion of chitin nanocrystal stabilized o/w emulsions. Food Funct. 2013, 4, 121–129. [Google Scholar] [CrossRef]
- Bai, L.; McClements, D.J. Formation and stabilization of nanoemulsions using biosurfactants: Rhamnolipids. J. Colloid Interface Sci. 2016, 479, 71–79. [Google Scholar] [CrossRef] [Green Version]
- Li, Z.; Ngai, T. Microgel particles at the fluid–fluid interfaces. Nanoscale 2012, 5, 1399–1410. [Google Scholar] [CrossRef]
- Tang, C.-H. Globular proteins as soft particles for stabilizing emulsions: Concepts and strategies. Food Hydrocoll. 2020, 103, 105664. [Google Scholar] [CrossRef]
- Murray, B.S.; Durga, K.; Yusoff, A.; Stoyanov, S. Stabilization of foams and emulsions by mixtures of surface active food-grade particles and proteins. Food Hydrocoll. 2011, 25, 627–638. [Google Scholar] [CrossRef]
- Jiao, B.; Shi, A.; Wang, Q.; Binks, B.P. High-Internal-Phase Pickering Emulsions Stabilized Solely by Peanut-Protein-Isolate Microgel Particles with Multiple Potential Applications. Angew. Chem. Int. Ed. 2018, 57, 9274–9278. [Google Scholar] [CrossRef] [PubMed]
- Li, J.; Wang, C.; Li, X.; Su, Y.; Yang, Y.; Yu, X. Effects of pH and NaCl on the physicochemical and interfacial properties of egg white/yolk. Food Biosci. 2018, 23, 115–120. [Google Scholar] [CrossRef]
- Guo, J.; Zhou, Q.; Liu, Y.-C.; Yang, X.-Q.; Wang, J.-M.; Yin, S.-W.; Qi, J.-R. Preparation of soy protein-based microgel particles using a hydrogel homogenizing strategy and their interfacial properties. Food Hydrocoll. 2016, 58, 324–334. [Google Scholar] [CrossRef]
- Hu, Y.-Q.; Yin, S.-W.; Zhu, J.-H.; Qi, J.-R.; Guo, J.; Wu, L.-Y.; Tang, C.-H.; Yang, X.-Q. Fabrication and characterization of novel Pickering emulsions and Pickering high internal emulsions stabilized by gliadin colloidal particles. Food Hydrocoll. 2016, 61, 300–310. [Google Scholar] [CrossRef]
- Schmitt, C.; Moitzi, C.; Bovay, C.; Rouvet, M.; Bovetto, L.; Donato, L.; Leser, M.E.; Schurtenberger, P.; Stradner, A. Internal structure and colloidal behaviour of covalent whey protein microgels obtained by heat treatment. Soft Matter 2010, 6, 4876–4884. [Google Scholar] [CrossRef] [Green Version]
- Shao, Q. Important roles of hydrophobic interactions in folding and charge interactions in misfolding of α-helix bundle protein. RSC Adv. 2014, 5, 4191–4199. [Google Scholar] [CrossRef]
- Sponton, O.E.; Perez, A.; Ramel, J.V.; Santiago, L.G. Protein nanovehicles produced from egg white. Part 1: Effect of pH and heat treatment time on particle size and binding capacity. Food Hydrocoll. 2017, 73, 67–73. [Google Scholar] [CrossRef]
- Klassen, D.R.; Elmer, C.M.; Nickerson, M.T. Associative phase separation involving canola protein isolate with both sulphated and carboxylated polysaccharides. Food Chem. 2011, 126, 1094–1101. [Google Scholar] [CrossRef]
- Paunov, V.; Cayre, O.; Noble, P.F.; Stoyanov, S.; Velikov, K.P.; Golding, M. Emulsions stabilised by food colloid particles: Role of particle adsorption and wettability at the liquid interface. J. Colloid Interface Sci. 2007, 312, 381–389. [Google Scholar] [CrossRef] [PubMed]
- Bahri, A.; Martin, M.; Gergely, C.; Pugnière, M.; Chevalier-Lucia, D.; Marchesseau, S. Atomic Force Microscopy Study of the Topography and Nanomechanics of Casein Micelles Captured by an Antibody. Langmuir 2017, 33, 4720–4728. [Google Scholar] [CrossRef] [PubMed]
- Qiu, C.; Hu, X.; Li, L.; Yang, X.; Zhao, M.; Ren, J. Effect of transglutaminase cross-linking on the conformational and emulsifying properties of peanut arachin and conarachin fractions. Eur. Food Res. Technol. 2016, 243, 913–920. [Google Scholar] [CrossRef]
- McClements, D.J.; Jafari, S.M. Improving emulsion formation, stability and performance using mixed emulsifiers: A review. Adv. Colloid Interface Sci. 2017, 251, 55–79. [Google Scholar] [CrossRef]
- Dickinson, E. Emulsion gels: The structuring of soft solids with protein-stabilized oil droplets. Food Hydrocoll. 2012, 28, 224–241. [Google Scholar] [CrossRef]
- Dickinson, E. Use of nanoparticles and microparticles in the formation and stabilization of food emulsions. Trends Food Sci. Technol. 2012, 24, 4–12. [Google Scholar] [CrossRef]
- Dickinson, E. Microgels—An alternative colloidal ingredient for stabilization of food emulsions. Trends Food Sci. Technol. 2015, 43, 178–188. [Google Scholar] [CrossRef]
- Gumerov, R.; Rumyantsev, A.; Rudov, A.A.; Pich, A.; Richtering, W.; Möller, M.; Potemkin, I.I. Mixing of Two Immiscible Liquids within the Polymer Microgel Adsorbed at Their Interface. ACS Macro Lett. 2016, 5, 612–616. [Google Scholar] [CrossRef]
- Torres, O.; Murray, B.; Sarkar, A. Design of novel emulsion microgel particles of tuneable size. Food Hydrocoll. 2017, 71, 47–59. [Google Scholar] [CrossRef]
- Yang, Z.; Sun, J.; Li, Z.; Qi, Y.; Wang, P.; Xu, X. Robustness of protein: Using pH shifting and low speed shearing to partially recover conformation and dis-persibility of myosin from pale, soft, exudative (PSE)-like chicken breast. LWT Food Sci. Technol. 2021, 138, 110786. [Google Scholar] [CrossRef]
- Yang, T.; Zheng, J.; Zheng, B.; Liu, F.; Wang, S.; Tang, C.-H. High internal phase emulsions stabilized by starch nanocrystals. Food Hydrocoll. 2018, 82, 230–238. [Google Scholar] [CrossRef]






| Enzyme Concentration | Particle Size (nm) | PDI | Zeta Potential (mV) |
|---|---|---|---|
| S0 | 463.10 ± 0.50 c | 0.174 ± 0.000 c | −16.10 ± 4.24 b |
| S1 | 608.40 ± 6.54 b | 0.598 ± 0.000 a | −18.00 ± 0.40 b |
| S2 | 856.30 ± 4.14 a | 0.403 ± 0.000 b | −21.30 ± 0.54 a |
| S3 | 793.80 ± 5.24 a | 0.326 ± 0.000 b | −22.60 ± 0.94 a |
Publisher’s Note: MDPI stays neutral with regard to jurisdictional claims in published maps and institutional affiliations. |
© 2022 by the authors. Licensee MDPI, Basel, Switzerland. This article is an open access article distributed under the terms and conditions of the Creative Commons Attribution (CC BY) license (https://creativecommons.org/licenses/by/4.0/).
Share and Cite
Zhao, Y.; Wang, P.; Xu, Y.; Zeng, X.; Xu, X. A Study on the Mechanisms of Nanoparticle-Stabilized High Internal Phase Emulsions Constructed by Cross-Linking Egg White Protein Isolate with Different Transglutaminase Concentrations. Foods 2022, 11, 1765. https://doi.org/10.3390/foods11121765
Zhao Y, Wang P, Xu Y, Zeng X, Xu X. A Study on the Mechanisms of Nanoparticle-Stabilized High Internal Phase Emulsions Constructed by Cross-Linking Egg White Protein Isolate with Different Transglutaminase Concentrations. Foods. 2022; 11(12):1765. https://doi.org/10.3390/foods11121765
Chicago/Turabian StyleZhao, Yanjie, Peng Wang, Yujuan Xu, Xianming Zeng, and Xinglian Xu. 2022. "A Study on the Mechanisms of Nanoparticle-Stabilized High Internal Phase Emulsions Constructed by Cross-Linking Egg White Protein Isolate with Different Transglutaminase Concentrations" Foods 11, no. 12: 1765. https://doi.org/10.3390/foods11121765
APA StyleZhao, Y., Wang, P., Xu, Y., Zeng, X., & Xu, X. (2022). A Study on the Mechanisms of Nanoparticle-Stabilized High Internal Phase Emulsions Constructed by Cross-Linking Egg White Protein Isolate with Different Transglutaminase Concentrations. Foods, 11(12), 1765. https://doi.org/10.3390/foods11121765

