Dough Rheological Properties, Microstructure and Bread Quality of Wheat-Germinated Bean Composite Flour
Abstract
:1. Introduction
2. Materials and Methods
2.1. Materials
2.2. Dough Rheological Properties
2.2.1. Dough Rheological Properties during Mixing and Extension
2.2.2. Dough Rheological Properties during Fermentation and Falling Number Values
2.2.3. Dough Fundamental Rheological Properties
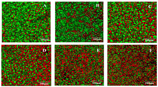
2.3. Dough Microstructure
2.4. Bread Making
2.5. Bread Quality Evaluation
2.5.1. Bread Physical Characteristics
2.5.2. Color Parameters
2.5.3. Texture Profile Analysis
2.5.4. Crumb Microstructure
2.5.5. Sensory Analysis
2.6. Statistical Analysis
3. Results
3.1. Flour Characteristics
3.2. Dough Rheological Properties during Mixing and Extension
3.2.1. Dough Rheological Properties during Mixing and Extension
3.2.2. Dough Rheological Properties during Fermentation and Falling Number Values
3.2.3. Dough Fundamental Rheological Properties
3.3. Dough Microstructure
3.4. Bread Quality Evaluation
3.4.1. Bread Physical Characteristics
3.4.2. Color Parameters of Breads Samples
3.4.3. Texture Profile Analysis of Breads Samples
3.4.4. Crumb Microstructure of Breads Samples
3.4.5. Sensory Analysis of Breads Samples
3.4.6. Effect of GBF Addition on Bread Compositional Analysis
4. Discussion
4.1. Dough Rheological Properties
4.1.1. Dough Rheological Properties during Mixing and Extension
4.1.2. Dough Rheological Properties during Fermentation and Falling Number Values
4.1.3. Dough Fundamental Rheological Properties
4.2. Dough Microstructure
4.3. Bread Quality Evaluation
4.3.1. Bread Physical Characteristics
4.3.2. Color Analysis of Breads Samples
4.3.3. Texture Profile Analysis of Breads Samples
4.3.4. Crumb Microstructure of Breads Samples
4.3.5. Sensory Analysis of the Bread Samples
4.3.6. Compositional Analysis of Bread Samples
5. Conclusions
Author Contributions
Funding
Institutional Review Board Statement
Informed Consent Statement
Data Availability Statement
Acknowledgments
Conflicts of Interest
References
- Kadam, S.U.; Prabhasankar, P. Marine foods as functional ingredients in bakery and pasta products. Food Res. Int. 2010, 43, 1975–1980. [Google Scholar] [CrossRef]
- Lachowicz, S.; Świeca, M.; Pejcz, E. Biological activity, phytochemical parameters, and potential bioaccessibility of wheat bread enriched with powder and microcapsules made from Saskatoon berry. Food Chem. 2021, 338, 128026. [Google Scholar] [CrossRef]
- Debonne, E.; De Leyn, I.; Verwaeren, J.; Moens, S.; Devlieghere, F.; Eeckhout, M.; Van Bockstaele, F. The influence of natural oils of blackcurrant, black cumin seed, thyme and wheat germ on dough and bread technological and microbiological quality. LWT Food Sci. Technol. 2018, 93, 212–219. [Google Scholar] [CrossRef]
- Ma, S.; Wang, X.; Zheng, X.; Tian, S.; Liu, C.; Li, L.; Ding, Y. Improvement of the quality of steamed bread by supplementation of wheat germ from milling process. J. Cereal Sci. 2014, 60, 589–594. [Google Scholar] [CrossRef]
- Siddiq, M.; Nasir, M.; Ravi, R.; Butt, M.S.; Dolan, K.D.; Harte, J.B. Effect of defatted maize germ flour addition on the physical and sensory quality of wheat bread. LWT Food Sci. Technol. 2009, 42, 464–470. [Google Scholar] [CrossRef]
- Millar, K.A.; Barry-Ryan, C.; Burke, R.; McCarthy, S.; Gallagher, E. Dough properties and baking characteristics of white bread, as affected by addition of raw, germinated and toasted pea flour. Innov. Food Sci. Emerg. Technol. 2019, 56, 102189. [Google Scholar] [CrossRef]
- Guardado-Félix, D.; Lazo-Vélez, M.A.; Pérez-Carrillo, E.; Panata-Saquicili, D.E.; Serna-Saldívar, S.O. Effect of partial replacement of wheat flour with sprouted chickpea flours with or without selenium on physicochemical, sensory, antioxidant and protein quality of yeast-leavened breads. LWT Food Sci. Technol. 2020, 129, 109517. [Google Scholar] [CrossRef]
- Boukid, F.; Folloni, S.; Ranieri, R.; Vittadini, E. A compendium of wheat germ: Separation, stabilization and food applications. Trends Food Sci. Technol. 2018, 78, 120–133. [Google Scholar] [CrossRef]
- Teslić, N.; Bojanić, N.; Rakić, D.; Takači, A.; Zeković, Z.; Fišteš, A.; Bodroža-Solarov, M.; Pavlić, B. Defatted wheat germ as source of polyphenols—Optimization of microwaveassisted extraction by RSM and ANN approach. Chem. Eng. Process. Process Intensif. 2019, 143, 107634. [Google Scholar] [CrossRef]
- Ghavidel, R.A.; Prakash, J. The impact of germination and dehulling on nutrients, antinutrients, in vitro iron and calcium bioavailability and in vitro starch and protein digestibility of some legume seeds. LWT Food Sci. Technol. 2007, 40, 1292–1299. [Google Scholar] [CrossRef]
- Coffigniez, F.; Rychlik, M.; Mestres, C.; Striegel, L.; Bohuon, P.; Briffaz, A. Modelling folates reaction kinetics during cowpea seed gerination in comparison with soaking. Food Chem. 2021, 340, 127960. [Google Scholar] [CrossRef]
- Chinma, C.E.; Adedeji, O.E.; Etim, I.I.; Aniaka, G.I.; Mathew, E.O.; Ekeh, U.B.; Anumba, N.L. Physicochemical, nutritional, and sensory properties of chips produces from germinated African yam bean (Sphenostylis stenocarpa). LWT Food Sci. Technol. 2021, 136, 110330. [Google Scholar] [CrossRef]
- Bhinder, S.; Kumari, S.; Singh, B.; Kaur, A.; Singh, N. Impact of germination on phenolic composition, antioxidant properties, antinutritonal factors, mineral content and Maillard reaction products of malted quinoa flour. Food Chem. 2021, 346, 128915. [Google Scholar] [CrossRef]
- Alkalthem, M.S.; Salamatullah, A.M.; Özcan, M.M.; Uslu, N.; Hayat, K. The effects of germination and heation on bioactive properties, phenolic compunds and mineral contents of green gram seeds. LWT Food Sci. Technol. 2020, 134, 110106. [Google Scholar] [CrossRef]
- Jan, R.; Saxena, D.C.; Singh, S. Comparative study of raw and germinated Chenopodium (Chenopodium album) four on the basis of thermal, rheological, minerals, fatty acid profile and phytocomponents. Food Chem. 2018, 269, 173–180. [Google Scholar] [CrossRef] [PubMed]
- Pająk, P.; Socha, R.; Broniek, J.; Królikowska, K.; Fortuna, T. Antioxidant properties, phenolic and mineral composition of germinated chia, golden flax, evening primrose, phacelia and fenugreek. Food Chem. 2019, 275, 69–76. [Google Scholar] [CrossRef] [PubMed]
- Sharma, S.; Saxena, D.C.; Riar, C.S. Using combined optimization, GC–MS and analytical technique to analyze the germination effect on phenolics, dietary fibers, minerals and GABA contents of Kodo millet (Paspalum scrobiculatum). Food Chem. 2017, 233, 20–28. [Google Scholar] [CrossRef]
- Sokrab, A.M.; Ahmed, I.A.M.; Babiker, E.E. Effect of germination on antinutritional factors, total, and extractable minerals of high and low phytate corn (Zea mays L.) genotypes. J. Saudi Soc. Agric. Sci. 2012, 11, 123–128. [Google Scholar] [CrossRef] [Green Version]
- Liang, J.; Han, B.Z.; Nout, M.J.R.; Hamer, R.J. Effects of soaking, germination and fermentation on phytic acid, total and in vitro soluble zinc in brown rice. Food Chem. 2008, 110, 821–828. [Google Scholar] [CrossRef]
- Badau, M.H.; Nkama, I.; Judeani, I.A. Phytic acid content and hydrochloric acid extractability of minerals in pearl millet as affected by germination time and cultivar. Food Chem. 2005, 92, 425–435. [Google Scholar] [CrossRef]
- Kumar, A.; Singh, B.; Raigond, P.; Sahu, C.; Mishra, U.N.; Sharma, S.; Lal, M.K. Phytic acid: Blessing in disguise, a prime compound required for both plant and human nutrition. Food Res. Int. 2021, 142, 110193. [Google Scholar] [CrossRef]
- Chinma, C.E.; Abu, J.O.; Asikwe, B.N.; Sunday, T.; Adebo, O.A. Effect of germination on the physicochemical, nutritional, functional, thermal properties and in vitro digestibility of Bambara groundnut flours. LWT Food Sci. Technol. 2021, 140, 110749. [Google Scholar] [CrossRef]
- Codină, G.G.; Dabija, A.; Oroian, M. Prediction of Pasting Properties of Dough from Mixolab Measurements Using Artificial Neuronal Networks. Foods 2019, 8, 447. [Google Scholar] [CrossRef] [PubMed] [Green Version]
- Codină, G.G.; Mironeasa, S.; Mironeasa, C. Variability and relationship among Mixolab and Falling Number evaluation based on influence of fungal α-amylase addition. J. Sci. Food Agric. 2012, 92, 2162–2170. [Google Scholar] [CrossRef]
- Corzo-Ríos, L.; Sánchez-Chino, X.M.; Cardador-Martínez, A.; Martínez-Herrera, J.; Jiménez-Martínez, C. Effect of cooking on nutritional and non-nutritional compounds in two species of Phaseolus (P. vulgaris and P. coccineus) cultivated in Mexico. Int. J. Gastron. Food Sci. 2020, 20, 100206. [Google Scholar] [CrossRef]
- Madrera, R.R.; Negrillo, A.C.; Valles, B.S.; Fernández, J.J.F. Characterization of extractable phenolic profile of common bean seeds (Phaseolus vulgaris L.) in a Spanish diversity panel. Food Res. Int. 2020, 128, 109713. [Google Scholar] [CrossRef] [PubMed]
- Sánchez-Chino, X.; Jiménez-Martínez, C.; Dávila-Ortiz, G.; Álvarez-González, I.; Madrigal-Bujaidar, E. Nutrient and Nonnutrient Components of Legumes, and Its Chemopreventive Activity: A Review. Nutr. Cancer 2015, 67, 401–410. [Google Scholar] [CrossRef]
- Santos, E.; Marques, G.; Lino-Neto, T. Chapter 29—Phaseolus vulgaris L. as a functional food for aging protection. Aging 2020, 2, 289–295. [Google Scholar]
- De Oliveira, A.P.; Mateó, B.O.; Fioroto, A.M.; de Oliveira, P.V.; Naozuka, J. Effect of cooking on the bioaccessibility of essential elements in different varieties of beans (Phaseolus vulgaris L.). J. Food Compos. Anal. 2018, 67, 135–140. [Google Scholar] [CrossRef]
- Los, F.G.B.; Zielinski, A.A.F.; Wojeicchowski, J.P.; Nogueira, A.; Demiate, I.M. Beans (Phaseolus vulgaris L.): Whole seeds with complex chemical composition. Curr. Opin. Food Sci. 2018, 19, 63–71. [Google Scholar] [CrossRef]
- Kibar, H.; Kibar, B. Changes in some nutritional, bioactive and morpho-physiological properties of common bean depending on cold storage and seed moisture contents. J. Stored Prod. Res. 2019, 84, 101531. [Google Scholar] [CrossRef]
- Messina, V. Nutritional and health benefits of dried beans. Am. J. Clin. Nutr. 2014, 100, 437S–442S. [Google Scholar] [CrossRef] [Green Version]
- Celmeli, T.; Sari, H.; Canci, H.; Sari, D.; Adak, A.; Eker, T.; Toker, C. The Nutritional Content of Common Bean (Phaseolus vulgaris L.) Landraces in Comparison to Modern Varieties. Agronomy 2018, 8, 166. [Google Scholar] [CrossRef] [Green Version]
- Deb-Choudhury, S.; Cooney, J.; Brewster, D.; Clerens, S.; Knowles, S.O.; Farouk, M.M.; Grosvenor, A.; Dyer, J.M. The effects of blanching on composition and modification of proteins in navy beans (Phaseolus vulgaris). Food Chem. 2021, 346, 128950. [Google Scholar] [CrossRef] [PubMed]
- Pedrosa, M.M.; Cuadrado, C.; Burbano, C.; Muzquiz, M.; Cabellos, B.; Olmedilla-Alonso, B.; Asensio-Vegas, C. Effects of industrial canning on the proximate composition, bioactive compounds contents and nutritional profile of two Spanish common dry beans (Phaseolus vulgaris L.). Food Chem. 2015, 166, 68–75. [Google Scholar] [CrossRef] [PubMed] [Green Version]
- Chávez-Mendoza, C.; Sánchez, E. Bioactive Compounds from Mexican Varieties of the Common Bean (Phaseolus vulgaris): Implications for Health. Molecules 2017, 22, 1360. [Google Scholar] [CrossRef] [PubMed] [Green Version]
- Sangronis, E.; Rodríguez, M.; Cava, R.; Torres, A. Protein quality of germinated Phaseolus vulgaris. Eur. Food Res. Technol. 2006, 222, 144–148. [Google Scholar] [CrossRef]
- EL-Suhaibani, M.; Ahmed, M.A.; Osman, M.A. Study of germination, soaking and cooking effects on the nutritional quality of goat pea (Securigera securidaca L.). J. King Saud Univ. Sci. 2020, 32, 2029–2033. [Google Scholar] [CrossRef]
- Sangronis, E.; Machado, C.J. Influence of germination on the nutritional quality of Phaseolus vulgaris and Cajanus cajan. LWT Food Sci. Technol. 2007, 40, 116–120. [Google Scholar] [CrossRef]
- Han, A.; Arijaje, E.O.; Jinn, J.R.; Mauromoustakos, A.; Wang, Y.J. Effects of germination duration on milling, physicochemical, and textural properties of medium- and long-grain rice. Cereal Chem. 2016, 93, 39–46. [Google Scholar] [CrossRef] [Green Version]
- Atudorei, D.; Codină, G.G. Perspectives on the Use of Germinated Legumes in the Bread Making Process, A Review. Appl. Sci. 2020, 10, 6244. [Google Scholar] [CrossRef]
- Atudorei, D.; Stroe, S.G.; Codină, G.G. Physical, Physiological and Minerals Changes of Different Legumes Types during the Germination Process. Ukr. Food J. 2020, 9, 844–863. [Google Scholar] [CrossRef]
- Sarkar, T.; Salauddin, M.; Hazra, S.K.; Chakraborty, R. The impact of raw and differently dried pineapple (Ananas comosus) fortification on the vitamins, organic acid and carotene profile of dairy rasgulla (sweetened cheese ball). Heliyon 2020, 6, e05233. [Google Scholar] [CrossRef] [PubMed]
- Deeth, H. Heat-induced inactivation of enzymes in milk and dairy products. A review. Int. Dairy J. 2021, 105104. [Google Scholar] [CrossRef]
- Mironeasa, S.; Codină, G.G. Dough Rheological Behavior and Microstructure Characterization of Composite Dough with Wheat and Tomato Seed Flours. Foods 2019, 8, 626. [Google Scholar] [CrossRef] [Green Version]
- Dabija, A.; Codină, G.G.; Fradinho, P. Effect of yellow pea flour addition on wheat flour dough and bread quality. Rom. Biotech. Lett. 2017, 22, 12888–12897. [Google Scholar]
- Kassegn, H.H.; Atsbha, T.W.; Weldeabezgi, L.T.; Yildiz, F. Effect of Germination Process on Nutrients and Phytochemicals Contents of Faba Bean (Viciafaba L.) for Weaning Food Preparation. Cogent Food Agric. 2018, 4, 1–13. [Google Scholar]
- Poblete, T.; Rebolledo, K.; Barrera, C.; Ulloa, D.; Valenzuela, M.; Valenzuela, C.; Pavez, E.; Mendoza, R.; Narbona, C.; González, J.; et al. Effect of germination and cooking on iron content, phytic acid and lectins of four varieties of chilean beans (Phaseolus vulgaris). J. Chil. Chem. Soc. 2020, 65, 4937–4942. [Google Scholar] [CrossRef]
- European Commission. Commission Recommendation (EC) 2006/576; Official Journal of the European Union: Brussels, Belgium, 2006; Volume L285, p. 33. [Google Scholar]
- European Commission. Commission Regulation (EC) No. 1881/2006 of 19 December 2006. Off. J. Eur. Union 2006, 364, 5. [Google Scholar]
- Peighambardoust, S.H.; Dadpour, M.R.; Dokouhaki, M. Application of epifluorescence light microscopy (EFLM) to study the microstructure of wheat dough: A comparison with confocal scanning laser microscopy (CSLM) technique. J. Cereal Sci. 2010, 51, 21–27. [Google Scholar] [CrossRef]
- Cauvain, S. Technology of Breadmaking, 3rd ed.; Springer: Basel, Switzerland, 2015. [Google Scholar]
- Sagar, N.A.; Pareek, S. Fortification of multigrain flour with onion skin powder as a natural preservative: Effect on quality and shelf life of the bread. Food Biosci. 2021, 41, 100992. [Google Scholar] [CrossRef]
- Ibidapo, O.P.; Henshaw, F.O.; Shittu, T.A.; Afolabi, W.O. Quality evaluation of functional bread developed from wheat, malted millet (Pennisetum Glaucum) and ‘Okara’ flour blends. Sci. Afr. 2020, 10, e00622. [Google Scholar] [CrossRef]
- Parmigiani Monteiro, A.B.; Moral Gil Prados, C.R.; De Lourdes Rodrigues Silva, M.; Silva, E.P.; Damiani, C. Production of Monascus pigments by solid-state cultivation of wheat grains and application in bread formulations. Int. J. Gastron. Food Sci. 2021, 24, 100313. [Google Scholar] [CrossRef]
- Messia, M.C.; Reale, A.; Maiuro, L.; Candigliota, T.; Sorrentino, E.; Maconi, E. Effects of pre-fermented wheat bran on dough and bread characteristics. J. Cereal Sci. 2016, 69, 138–144. [Google Scholar] [CrossRef]
- Protonotariou, S.; Stergiou, P.; Christaki, M.; Mandala, I.G. Physical properties and sensory evaluation of bread containing micronized whole wheat flour. Food Chem. 2020, 318, 126497. [Google Scholar] [CrossRef]
- Protonotariou, S.; Mandala, I.; Rosell, C.M. Jet milling effect on functionality, quality and in vitro digestibility of whole wheat flour and bread. Food Bioprocess Technol. 2015, 8, 1319–1329. [Google Scholar] [CrossRef] [Green Version]
- Singh, K.P.; Mishra, A.; Mishra, H.N. Fuzzy analysis of sensory attributes of bread prepared from millet-based composite flours. LWT Food Sci. Technol. 2012, 48, 176–282. [Google Scholar] [CrossRef]
- Szczerba, A.; Płażek, A.; Pastuszak, J.; Kopeć, P.; Hornyák, M.; Dubert, F. Effect of Low Temperature on Germination, Growth, and Seed Yield of Four Soybean (Glycine max L.) Cultivars. Agronomy 2021, 11, 800. [Google Scholar] [CrossRef]
- Sadowska, J.; Błaszczak, W.; Fornal, J.; Vidal-Valverde, C.; Frias, J. Changes of wheat dough and bread quality and structure as a result of germinated pea flour addition. Eur. Food Res. Technol. 2003, 216, 46–50. [Google Scholar] [CrossRef]
- Rosales-Juárez, M.; González-Mendoza, B.; López-Guel, E.C.; Lorenzo-Bautista, F.; Chanona-Pérez, J.; Gutiérrez-López, G.; Farrera-Rebollo, R.; Calderón-Domínguez, G. Changes on Dough Rheological Characteristics and Bread Quality as a Result of the Addition of Germinated and Non-Germinated Soybean Flour. Food Bioprocess Technol. 2008, 1, 152–160. [Google Scholar] [CrossRef]
- Razavi, S.N.; Hojjatoleslamy, M.; Molavi, H.; Boroujeni, L.S. The Effect of Germinated Lentil Flour on the Physicochemical and Organoleptic Characteristics of Sangak Bread. J. Culin. Sci. Technol. 2020. [Google Scholar] [CrossRef]
- Kohajdová, Z.; Karovičová, J.; Magala, M. Effect of lentil and bean flours on rheological and baking properties of wheat dough. Chem. Pap. 2013, 67, 398–407. [Google Scholar] [CrossRef]
- Fendri, L.B.; Chaari, F.; Maaloul, M.; Kallel, F.; Abdelkafi, L.; Chaabouni, S.E.; Ghribi-Aydi, D. Wheat bread enrichment by pea and broad bean pods fibers: Effect on dough rheology and bread quality. LWT 2016, 73, 584–591. [Google Scholar] [CrossRef]
- Mohammed, I.; Ahmed, A.R.; Senge, B. Dough rheology and bread quality of wheat–chickpea flour blends. Ind. Crop. Prod. 2012, 36, 196–202. [Google Scholar] [CrossRef]
- Hallén, E.; İbanoğlu, S.; Ainsworth, P. Effect of fermented/germinated cowpea flour addition on the rheological and baking properties of wheat flour. J. Food Eng. 2004, 63, 177–184. [Google Scholar] [CrossRef]
- Codină, G.G.; Mironeasa, S.; Voica, D.V.; Mironeasa, C. Multivariate Analysis of Wheat Flour Dough Sugars, Gas Production, and Dough Development at Different Fermentation Times. Czech J. Food Sci. 2013, 31, 222–229. [Google Scholar] [CrossRef] [Green Version]
- Codină, G.G.; Voica, D. The influence of different forms of backery yeast Saccharomyces cerevisie type strain on the concentration of individual sugars and their utilization during fermentation. Rom. Biotechnol. Lett. 2010, 15, 5417–5422. [Google Scholar]
- Varghese, C.; Wolodko, J.; Chen, L.; Doschak, M.; Srivastav, P.P.; Roopesh, M.S. Influence of Selected Product and Process Parameters on Microstructure, Rheological, and Textural Properties of 3D Printed Cookies. Foods 2020, 9, 907. [Google Scholar] [CrossRef] [PubMed]
- Banu, I.; Patraşcu, L.; Vasilean, I.; Horincar, G.; Aprodu, I. Impact of Germination and Fermentation on Rheological and Thermo-Mechanical Properties of Wheat and Triticale Flours. Appl. Sci. 2020, 10, 7635. [Google Scholar] [CrossRef]
- Ouazib, M.; Garzon, R.; Zaidi, F.; Rosell, C.M. Germinated, toasted and cooked chickpea as ingredients for breadmaking. J. Food Sci. Technol. 2016, 53, 2664–2672. [Google Scholar] [CrossRef] [Green Version]
- Shin, D.J.; Kim, W.; Kim, Y. Physicochemical and sensory properties of soy bread made with germinated, steamed, and roasted soy flour. Food Chem. 2013, 141, 517–523. [Google Scholar] [CrossRef]
- Marti, A.; Cardone, G.; Pagani, M.A.; Casiraghi, M.C. Flour from sprouted wheat as a new ingredient in bread-making. LWT 2018, 89, 237–243. [Google Scholar] [CrossRef] [Green Version]
- Marti, A.; Cardone, G.; Nicolodi, A.; Quaglia, L.; Pagani, M.A. Sprouted wheat as an alternative to conventional flour improvers in bread-making. LWT 2017, 80, 230–236. [Google Scholar] [CrossRef]
- Benítez, V.; Cantera, S.; Aguilera, Y.; Mollá, E.; Esteban, R.M.; Díaz, M.F.; Martín-Cabrejas, M.A. Impact of germination on starch, dietary fiber and physicochemical properties in non-conventional legumes. Food Res. Int. 2013, 50, 64–69. [Google Scholar] [CrossRef]
- Bresciani, A.; Și Marti, A. Using pulses in baked products: Lights, shadows, and potential solutions. Foods 2019, 8, 451. [Google Scholar] [CrossRef] [Green Version]
- Cardone, G.; Grasii, S.; Scipioni, A.; Marti, A. Bread-making performance of durum wheat as affected by sprouting. LWT 2020, 134, 110021. [Google Scholar] [CrossRef]
- Mondor, M.; Guévremont, E.; Villeneuve, S. Processing, characterization and bread-making potential of malted yellow peas. Food Biosci. 2014, 7, 11–18. [Google Scholar] [CrossRef]
- Wang, S.; Karrech, A.; Regenauer-Lieb, K.; Chakrabati-Bell, S. Digital bread crumb: Creation and application. J. Food Eng. 2013, 116, 852–861. [Google Scholar] [CrossRef]
- Ghodki, B.M.; Dadlani, G.; Ghodki, D.M.; Chakroborty, S. Functional whole wheat breads: Compelling internal architecture. LWT 2019, 108, 301–309. [Google Scholar] [CrossRef]
- Rostamian, M.; Milani, J.M.; Maleki, G. Physical Properties of Gluten-Free Bread Made of Corn and Chickpea Flour. Int. J. Food Eng. 2014, 10, 467–472. [Google Scholar] [CrossRef]
- Motahar, S.F.S.; Ariaeenejad, S.; Salami, M.; Emam-Djomeh, Z.; Mamaghani, A.S.A. Improving the quality of gluten-free bread by a novel acidic thermostable α-amylase from metagenomics data. Food Chem. 2021, 352, 129307. [Google Scholar] [CrossRef] [PubMed]
- Jagelaviciute, J.; Cizeikiene, D. The influence of non-traditional sourdough made with quinoa, hemp and chia flour on the characteristics of gluten-free maize/rice bread. LWT 2021, 137, 110457. [Google Scholar] [CrossRef]
- Aly, A.A.; El-Deeb, F.E.; Abdelazeem, A.A.; Hameed, A.M.; Alfi, A.A.; Alessa, H.; Alrefaei, A.F. Addition of Whole Barley Flour as a Partial Substitute of Wheat Flour to Enhance the Nutritional Value of Biscuits. Arab. J. Chem. 2021, 14, 103112. [Google Scholar] [CrossRef]
- Rizzello, C.G.; Calasso, M.; Campanella, D.; De Angelis, M.; Gobbetti, M. Use of sourdough fermentation and mixture of wheat, chickpea, lentil and bean flours for enhancing the nutritional, texture and sensory characteristics of white bread. Int. J. Food Microbiol. 2014, 180, 78–87. [Google Scholar] [CrossRef] [PubMed]
- Xing, Q.; Kyriakopoulou, K.; Zhang, L.; Boom, R.M.; Schutyser, M.A.I. Protein fortification of wheat bread using dry fractionated chickpea protein-enriched fraction or its sourdough. LWT Food Sci. Technol. 2021, 130, 110931. [Google Scholar] [CrossRef]
- Amigo, J.M.; del Olmo, A.; Engelsen, M.M.; Lundkvist, H.; Engelsen, S.B. Staling of white wheat bread crumb and effect of maltogenic α-amylases. Part 3: Spatial evolution of bread staling with time by near infrared hyperspectral imaging. Food Chem. 2021, 353, 129478. [Google Scholar] [CrossRef] [PubMed]
- Benayad, A.; Taghouti, M.; Benali, A.; Aboussaleh, Y.; Benbrahim, N. Nutritional and technological assessment of durum wheat-faba bean enriched flours, and sensory quality of developed composite bread. Saudi J. Biol. Sci. 2021, 28, 635–642. [Google Scholar] [CrossRef]
- Saka, I.; Topcam, H.; Son, E.; Ozkaya, B.; Erdogdu, F. Effect of Radio Frequency Processing on Physical, Chemical, Rheological and Bread Baking Properties of White and Whole Wheat Flour. LWT 2021, 147, 111563. [Google Scholar] [CrossRef]
- Atudorei, D.; Stroe, S.G.; Codină, G.G. Impact of Germination on the Microstructural and Physicochemical Properties of Different Legume Types. Plants 2021, 10, 592. [Google Scholar] [CrossRef]
- Mounjouenpou, P.; Ponka, R.; Ngono Eyenga, S.N.N.; Tchuisseu, A.; Ehabe, E.E.; Ndjouenkeu, R. Physico-chemical and nutritional characterization of cereals brans enriched breads. S. Afr. J. Sci. 2020, 7, e00251. [Google Scholar]
- Zaddem, M. Application de la méthode des surfaces de réponse pour l’optimisation du blanchiment du son de blé par du peroxyde d’hydrogène et son incorporation dans une farine de pain. Ph.D. Thesis, Université Laval, Quebec, QC, Canada, 2014. [Google Scholar]
- Gökmen, V.; Mogol, B.A.; Lumaga, R.B.; Fogliano, V.; Kaplun, Z.; Shimoni, E. Development of functional bread containing nanoencapsulated omega-3 fatty acids. J. Food Eng. 2011, 105, 585–591. [Google Scholar] [CrossRef]
- Indriani, S.; Ab Karim, M.S.B.; Nalinanon, S.; Karnjanapratum, S. Quality characteristics of protein-enriched brown rice flour and cake affected by Bombay locust (Patanga succincta L.) powder fortification. LWT 2020, 119, 108876. [Google Scholar] [CrossRef]
- Gülcan, Ü.; Uslu, C.C.; Mutlu, C.; Arslan-Tontul, S.; Erbaş, M. Impact of inert and inhibitor baking atmosphere on HMF and acrylamide formation in bread. Food Chem. 2020, 332, 127434. [Google Scholar] [CrossRef] [PubMed]
- Iuga, M.; Boestean, O.; Ghendov-Mosanu, A.; Mironeasa, S. Impact of Dairy Ingredients on Wheat Flour Dough Rheology and Bread Properties. Foods 2020, 9, 828. [Google Scholar] [CrossRef] [PubMed]
- Jekle, M.; Becker, T. Wheat dough microstructure: The relation between visual structure and mechanical behavior. Crit. Rev. Food Sci. Nutr. 2015, 55, 369–382. [Google Scholar] [CrossRef]
- Chandra, M.V.; Shamasundar, B.A. Texture Profile Analysis and Functional Properties of Gelatin from the Skin of Three Species of Fresh Water Fish. Int. J. Food Prop. 2015, 18, 572–584. [Google Scholar] [CrossRef]
- Ding, S.; Peng, B.; Li, Y.; Yang, J. Evaluation of specific volume, texture, thermal features, water mobility, and inhibitory effect of staling in wheat bread affected by maltitol. Food Chem. 2019, 283, 123–130. [Google Scholar] [CrossRef]
- Carocho, M.; Morales, P.; Ciudad-Mulero, M.; Fernández-Ruiz, V.; Ferreira, E.; Heleno, S.; Rodrigues, P.; Barros, L.; Ferreira, I.C. Comparison of different bread types: Chemical and physical parameters. Food Chem. 2020, 310, 125954. [Google Scholar] [CrossRef]
- Kihlberg, I.; Johansson, L.; Kohler, A.; Risvik, E. Sensory qualities of whole wheat pan bread—influence of farming system, milling and baking technique. J. Cereal Sci. 2004, 39, 67–84. [Google Scholar] [CrossRef]
- Alzuwaid, N.T.; Pleming, D.; Fellows, C.M.; Sissons, M. Fortification of durum wheat spaghetti and common wheat bread with wheat bran protein concentrate-impacts on nutrition and technological properties. Food Chem. 2021, 334, 127497. [Google Scholar] [CrossRef]
- Ohanenye, I.C.; Tsopmo, A.; Ejike, C.E.; Udenigwe, C.C. Germination as a bioprocess for enhancing the quality and nutritional prospects of legume proteins. Trends Food Sci. Technol. 2020, 1010, 213–222. [Google Scholar] [CrossRef]
- Sarabhai, S.; Tamilselvan, T.; Prabhasankar, P. Role of enzymes for improvement in gluten-free foxtail millet bread: It’s effect on quality, textural, rheological and pasting properties. LWT 2021, 137, 110365. [Google Scholar] [CrossRef]
- Dahiya, S.; Bajaj, B.K.; Kumar, A.; Tiwari, S.K.; Singh, B. A review on biotechnological potential of multifarious enzymes in bread making. Process Biochem. 2020, 99, 290–306. [Google Scholar] [CrossRef]
- Perri, G.; Coda, R.; Rizzello, C.G.; Celano, G.; Ampollini, M.; Gobbetti, M.; De Angelis, M.; Calasso, M. Sourdough fermentation of whole and sprouted lentil flours: In situ formation of dextran and effects on the nutritional, texture and sensory characteristics of white bread. Food Chem. 2021, 355, 129638. [Google Scholar] [CrossRef] [PubMed]
- Heiniö, R.-L.; Katina, K.; Wilhelmson, A.; Myllymäki, O.; Rajamäki, T.; Latva-Kala, K.; Liukkonen, K.-H.; Poutanen, K. Relationship between sensory perception and flavour-active volatile compounds of germinated, sourdough fermented and native rye following the extrusion process. LWT 2003, 36, 533–545. [Google Scholar] [CrossRef]
- Ugwuona, F.U.; Suwaba, S. Effects of Defatted Jack Bean Flour and Jack Bean Protein Concentrate on Physicochemical and Sensory Properties of Bread. Niger. Food J. 2013, 31, 25–32. [Google Scholar] [CrossRef] [Green Version]
- Boukid, F.; Zannini, E.; Carini, E.; Vittadini, E. Pulses for bread fortification: A necessity or a choice? Trends Food Sci. Technol. 2019, 88, 416–428. [Google Scholar] [CrossRef]




| Dough Samples | WA (%) | Tol (s) | D250 (mb) | D450 (mb) |
|---|---|---|---|---|
| Control | 54.3 ± 0.10 c | 214 ± 1.00 a | 394 ± 2.00 f | 943 ± 1.00 f |
| GBF_5 | 53.7 ± 0.15 c | 229 ± 1.52 a | 270 ± 0.57 e | 821 ± 3.05 e |
| GBF_10 | 53.0 ± 0.10 b | 246 ± 2.51 c | 231 ± 1.00 d | 808 ± 2.00 d |
| GBF_15 | 52.7 ± 0.05 b | 254 ± 1.52 d | 216 ± 1.52 c | 776 ± 2.51 c |
| GBF_20 | 52.0 ± 0.05 a | 238 ± 1.00 c | 183 ± 1.52 b | 760 ± 2.08 b |
| BGF_25 | 51.5 ± 0.15 a | 226 ± 1.52 b | 150 ± 2.00 a | 617 ± 2.08 a |
| Dough Samples | P (mm) | L (mm) | G (mm) | W (10−4 J) | P/L |
|---|---|---|---|---|---|
| Control | 104 ± 2.51 a | 72 ± 1.15 c | 19.4±0.28 d | 301 ± 5.13 d | 1.43 ± 0.05 a |
| GBF_5 | 119 ± 1.15 b | 63 ± 4.72 bc | 18.1 ± 0.30 cd | 276 ± 6.42 d | 1.88 ± 0.15 b |
| GBF_10 | 114 ± 1.15 b | 51 ± 2.08 ab | 16.2 ± 0.60 bc | 220 ± 5.85 c | 2.35 ± 0.25 c |
| GBF_15 | 118 ± 1.15 b | 48 ± 2.08 ab | 15.4 ± 0.37 ab | 203 ± 5.13 bc | 2.43 ± 0.12 c |
| GBF_20 | 121 ± 1.52 b | 41 ± 2.88 a | 14.3 ± 0.46 ab | 187 ± 6.24 ab | 2.84 ± 0.15 d |
| GBF_25 | 123 ± 2.08 b | 33 ± 1.73 a | 13.6 ± 0.40 a | 159 ± 4.04 a | 3.74 ± 0.24 e |
| Dough Samples | H’m (mm) | VT (mL) | VR (mL) | CR (%) | FN (s) |
|---|---|---|---|---|---|
| Control | 65.9 ± 0.30 a | 1532 ± 2.51 b | 1228 ± 2.51 b | 80.1 ± 0.50 b | 350 ± 3.29 d |
| GBF_5 | 70.9 ± 0.85 ab | 1644 ± 5.85 c | 1289 ± 2.00 d | 78.4 ± 0.42 ab | 331 ± 2.51 c |
| GBF_10 | 80.4 ± 1.21 b | 1951 ± 2.51 f | 1363 ± 3.6 e | 69.8 ± 0.75 a | 282 ± 2.04 b |
| GBF_15 | 72.6 ± 1.00 ab | 1679 ± 2.51 e | 1259 ± 2.64 c | 74.9 ± 0.37 ab | 278 ± 2.00 ab |
| GBF_20 | 69.6 ± 1.56 a | 1650 ± 2.51 d | 1238 ± 2.51 bc | 75.0 ± 1.01 ab | 270 ± 1.52 ab |
| GBF_25 | 64.8 ± 3.81 a | 1392 ± 3.05 a | 1146 ± 1.00 a | 82.3 ± 0.62 b | 262 ± 3.05 a |
| Bread Samples | Specific Volume (cm3/100 g) | Porosity (%) | Elasticity (%) |
|---|---|---|---|
| Control | 331.5 ± 0.74 c | 67.4 ± 0.86 b | 91.3 ± 0.57 c |
| GBF_5 | 352.4 ± 0.75 d | 70.6 ± 0.36 c | 91.3 ± 1.00 c |
| GBF_10 | 359.2 ± 0.75 de | 73.7 ± 0.50 d | 92.3 ± 0.57 c |
| GBF_15 | 367.2 ± 2.15 e | 72.4 ± 0.77 cd | 91.66 ± 1.15 c |
| GBF_20 | 312.9 ± 2.27 b | 68.4 ± 0.80 b | 83.66 ± 1.15 b |
| GBF_25 | 292.4 ± 7.94 a | 59.1 ± 0.70 a | 75.3 ± 0.57 a |
| Bread Samples | Crust Color | Crumb Color | ||||
|---|---|---|---|---|---|---|
| L* | a* | b* | L* | a* | b* | |
| Control | 76.25 ± 0.94 e | 3.44 ± 0.27 a | 3.14 ± 0.43 a | 66.37 ± 0.88 d | −4.62 ± 0.32 a | 1.69 ± 0.22 a |
| GBF_5 | 67.48 ± 1.11 d | 6.22 ± 0.64 b | 4.81 ± 0.44 b | 64.66 ± 0.54 cd | −3.70 ± 0.51 a | 2.49 ± 0.36 ab |
| GBF_10 | 58.49 ± 1.65 c | 7.90 ± 0.41 b | 5.21 ± 0.43 b | 62.03 ± 0.50 bc | −2.63 ± 0.48 b | 3.31 ± 0.34 bc |
| GBF_15 | 53.23 ± 1.02 b | 13.21 ± 0.90 c | 5.57 ± 0.36 bc | 60.11 ± 0.23 ab | −1.86 ± 0.25 b | 3.82 ± 0.41 cd |
| GBF_20 | 44.47 ± 1.77 a | 14.15 ± 0.33 c | 6.56 ± 0.33 c | 59.37 ± 0.76 ab | −0.61 ± 0.12 c | 4.37 ± 0.42 de |
| GBF_25 | 43.80 ± 0.37 a | 15.71 ± 0.95 d | 8.83 ± 0.53 d | 57.54 ± 0.39 a | 0.38 ± 0.08 d | 4.51 ± 0.62 e |
| Bread Samples | Firmness (N) | Gumminess (N) | Chewiness (J) | Cohesiveness (Adimensional) | Resilience (Adimensional) |
|---|---|---|---|---|---|
| Control | 9.01 ± 3.06 a | 7.23 ± 1.73 c | 7.23 ± 1.73 d | 0.82 ± 0.03 d | 1.72 ± 0.04 d |
| GBF_5 | 8.75 ± 4.04 a | 7.05 ± 1.57 c | 7.05 ± 1.57 c | 0.80 ± 0.02 cd | 1.46 ± 0.06 c |
| GBF_10 | 8.63 ± 1.72 a | 6.22 ± 3.05 b | 6.22 ± 2.05 b | 0.72 ± 0.02 bc | 1.40 ± 0.05 bc |
| GBF_15 | 8.46 ± 3.88 a | 5.86 ± 4.10 a | 5.86 ± 3.10 a | 0.71 ± 0.02 bc | 1.26 ± 0.11 b |
| GBF_20 | 10.26 ± 4.72 b | 7.93 ± 3.73 d | 7.93 ± 3.73 e | 0.65 ± 0.05 b | 1.06 ± 0.04 a |
| GBF_25 | 17.72 ± 3.71 c | 8.25 ± 2.47 e | 8.25 ± 4.47 f | 0.52 ± 0.05 a | 1.02 ± 0.03 a |
| Bread Samples | Appearance | Color | Taste | Smell | Texture | Flavor | Global Acceptability |
|---|---|---|---|---|---|---|---|
| Control | 7.4 ± 0.15 c | 8.0 ± 0.15 b | 7.8 ± 0.21 b | 7.7 ± 0.91 ab | 7.7 ± 0.21 bc | 7.3 ± 0.61 b | 7.7 ± 0.21 b |
| GBF_5 | 8.6 ± 0.32 d | 8.4 ± 0.31 b | 8.4 ± 0.26 b | 8.4 ± 0.45 b | 8.6 ± 0.65 c | 8.3 ± 0.61 b | 8.5 ± 0.32 c |
| GBF_10 | 8.7 ± 0.36 d | 8.2 ± 0.71 b | 8.1 ± 0.15 b | 8.2 ± 0.31 b | 8.3 ± 0.31 bc | 8.2 ± 0.76 b | 8.4 ± 0.23 c |
| GBF_15 | 7.9 ± 0.25 c | 8.0 ± 0.21 b | 8.0 ± 0.40 b | 7.4 ± 0.25 ab | 7.2 ± 0.35 b | 7.4 ± 0.10 b | 7.5 ± 0.40 b |
| GBF_20 | 6.7 ± 0.15 b | 6.5 ± 0.2 a | 5.8 ± 0.10 a | 8.0 ± 0.5 b | 5.8 ± 0.50 a | 6.0 ± 0.25 a | 6.1 ± 0.31 a |
| GBF_25 | 5.2 ± 0.25 a | 5.7 ± 0.21 a | 5.2 ± 0.15 a | 6.5 ± 0.26 a | 5.1 ± 0.10 a | 5.7 ± 0.11 a | 5.7 ± 0.21 a |
| Bread Samples | Moisture (%) | Protein (%) | Fat (%) | Ash (%) | Carbohydrates (%) | Energy (kcal/100 g) |
|---|---|---|---|---|---|---|
| Control | 44.72 ± 0.02 b | 8.80 ± 0.01 a | 0.81 ± 0.01 a | 0.51 ± 0.01 a | 45.14 ± 0.04 f | 223.13 ± 0.14 e |
| GBF_5 | 44.90 ± 0.30 e | 9.22 ± 0.01 b | 0.86 ± 0.01 b | 0.56 ± 0.01 b | 44.45 ± 0.01 e | 222.41 ± 0.08 bc |
| GBF_10 | 44.79 ± 0.01 c | 10.41 ± 0.01 c | 0.89 ± 0.00 c | 0.67 ± 0.01 c | 43.21 ± 0.04 d | 222.59 ± 0.07 cd |
| GBF_15 | 44.83 ± 0.01 cd | 11.23 ± 0.01 d | 0.91 ± 0.00 c | 0.76 ± 0.00 d | 42.24 ± 0.02 c | 222.20 ± 0.13 ab |
| GBF_20 | 44.88 ± 0.02 de | 11.91 ± 0.01 e | 0.97 ± 0.01 d | 0.83 ± 0.01 e | 41.40 ± 0.05 b | 222.04 ± 0.07 a |
| GBF_25 | 44.65 ± 0.02 a | 12.69 ± 0.01 f | 1.00 ± 0.00 e | 0.92 ± 0.01 f | 40.73 ± 0.02 a | 222.75 ± 0.08 d |
Publisher’s Note: MDPI stays neutral with regard to jurisdictional claims in published maps and institutional affiliations. |
© 2021 by the authors. Licensee MDPI, Basel, Switzerland. This article is an open access article distributed under the terms and conditions of the Creative Commons Attribution (CC BY) license (https://creativecommons.org/licenses/by/4.0/).
Share and Cite
Atudorei, D.; Atudorei, O.; Codină, G.G. Dough Rheological Properties, Microstructure and Bread Quality of Wheat-Germinated Bean Composite Flour. Foods 2021, 10, 1542. https://doi.org/10.3390/foods10071542
Atudorei D, Atudorei O, Codină GG. Dough Rheological Properties, Microstructure and Bread Quality of Wheat-Germinated Bean Composite Flour. Foods. 2021; 10(7):1542. https://doi.org/10.3390/foods10071542
Chicago/Turabian StyleAtudorei, Denisa, Olivia Atudorei, and Georgiana Gabriela Codină. 2021. "Dough Rheological Properties, Microstructure and Bread Quality of Wheat-Germinated Bean Composite Flour" Foods 10, no. 7: 1542. https://doi.org/10.3390/foods10071542
APA StyleAtudorei, D., Atudorei, O., & Codină, G. G. (2021). Dough Rheological Properties, Microstructure and Bread Quality of Wheat-Germinated Bean Composite Flour. Foods, 10(7), 1542. https://doi.org/10.3390/foods10071542

