Evaluation of Anthocyanin Profile, Antioxidant, Cytoprotective, and Anti-Angiogenic Properties of Callistemon citrinus Flowers
Abstract
1. Introduction
2. Results
2.1. Identification and Quantification of Anthocyanins by Reverse Phase- High Performance Liquid Chromatography Coupled with Diode Array and Electrospray Mass Spectrometry Detection (RP-HPLC-DAD-ESI-MS/MS)
2.2. Antioxidant Activities
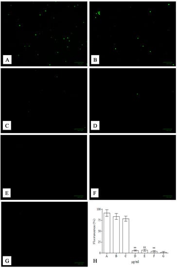
2.3. Cytoprotective Activity
2.4. Anti-Angiogenic Effect
3. Discussion
4. Materials and Methods
4.1. Chemicals
4.2. Preparation of Enriched Fraction of Acidified Methanolic Extract of Callistemon citrinus Flowers (EAC)
4.3. Anthocyanin Profile Characterization by RP-HPLC-DAD-ESI-MS/MS Analysis
4.4. 2,2-Diphenyl-1-picrylhydrazyl (DPPH) Assay
4.5. Trolox Equivalent Antioxidant Capacity (TEAC) Assay
4.6. Oxygen Radical Absorbance Capacity (ORAC) Assay
4.7. β-Carotene Bleaching Assay
4.8. Ferric Reducing Antioxidant Power (FRAP)
4.9. Chelating Capacity on Fe2+
4.10. Evaluation of Intracellular ROS Production by Fluorescence Microscopy
4.11. Chick Chorioallantoic Membrane (CAM) Assay
4.12. Statistical Analysis
5. Conclusions
Author Contributions
Funding
Conflicts of Interest
References
- Brophy, J.J.; Craven, L.A.; Doran, J.C. Melaleucas: Their Botany, Essential Oils and Uses; Australian Centre for International Agricultural Research: Canberra, Australian, 2013; p. 119. [Google Scholar]
- Dovicic, F.; Spencer, R. New combinations in Callistemon (Myrtaceae). Muelleria 2012, 30, 23–25. [Google Scholar]
- Bailey, L.H. Manual of Cultivated Plants, Revised Edition; The Macmillan Company: New York, NY, USA, 1958; pp. 724–726. [Google Scholar]
- Christenhusz, M.J.; Byng, J.W. The number of known plants species in the world and its annual increase. Phytotaxa 2016, 261, 201–217. [Google Scholar] [CrossRef]
- Rendle, A.B. Classification of Flowering Plants, 2nd ed.; Cambridge University Press: Cambridge, UK, 1973; p. 774. [Google Scholar]
- Sutar, N.; Sutar, R.; Kumar, M. Callistemon citrinus (Bottle brush), an important medicinal plant: A review of its traditional uses, phyto-constituents and pharmacological properties. Indian J. Pharm. Sci. 2014, 1, 70–77. [Google Scholar]
- Tabuti, J.R.S.; Kukunda, C.B.; Waako, P.J. Medicinal plants used by traditional medicine practitioners in the treatment of tuberculosis and related ailments in Uganda. J. Ethnopharm. 2010, 127, 130–136. [Google Scholar] [CrossRef]
- Goyal, P.K.; Jain, R.; Jain, S.; Sharma, A. A Review on biological and phytochemical investigation of plant genus Callistimon. Asian Pac. J. Trop. Biomed. 2012, 2, S1906–S1909. [Google Scholar] [CrossRef]
- Oyedeji, O.O.; Lawal, O.A.; Shode, F.O.; Oyedeji, A.O. Chemical Composition and Antibacterial Activity of the Essential Oils of Callistemon citrinus and Callistemon viminalis from South Africa. Molecules 2009, 14, 1990–1998. [Google Scholar] [CrossRef]
- Cowan, M.M. Plant products as antimicrobial agents. Clin. Microbiol. Rev. 1999, 12, 564–582. [Google Scholar] [CrossRef]
- Mohamed, I.A.; Hamdy, A.H. Antioxidant and antimicrobial activities of Callistemon comboynensis essential oil. J. Free Rad. Antiox. 2012, 2, 35–39. [Google Scholar]
- Sudhankar, M.; Rao, C.V.; Lakshman, A.R.; Raju, D.B. Antinociceptive Callistemon lanceolatus leaves in experimental animals. Acta Pharm. Turc. 2004, 46, 131–139. [Google Scholar]
- Fayemi, P.O.; Ozturk, I.; Kaan, D.; Özcan, S.; Yerer, M.B.; Dokumaci, A.H.; Özcan, C.; Uwaya, G.E.; Fayemi, O.E.; Yetim, H. Bioactivities of phytochemicals in Callistemon citrinus against multi-resistant foodborne pathogens, alpha glucosidase inhibition and MCF-7 cancer cell line. Biotechnol. Biotechnol. Equip. 2019, 33, 764–778. [Google Scholar] [CrossRef]
- Fayemi, P.; Ozturk, I.; Özcan, C.; Yetim, H.; Muguruma, M.; Sakata, R.; Ahhmed, A. Antimicrobial activity of extracts from Callistemon citrinus flowers and leaves against Listeria monocytogenes in beef burgers. Food Meas. 2017, 11, 924–929. [Google Scholar] [CrossRef]
- Sumitra, S.S. Genus callistemon: An update review. World J. Pharm. Pharmaceut. Sci. 2014, 3, 291–307. [Google Scholar]
- Mahmoud, I.I.; Marzouk, M.S.A.; Moharram, F.A.J.; Nolte, J.; Fobbe, R.; Saleh, M.I. Chemical composition of the Egyptian Callistemon lanceolatus DC. and Callistemon viminalis (Gaertnerloudan) oils. Bull. Fac. Pharm. 2002, 40, 112–119. [Google Scholar]
- Hassan, H.A.; Kamal, A.M.; Abdelhady, M.I.; Ibrahim, M. Investigation of polyphenolic compounds, cytotoxic and antimicrobial activities of Callistemon comboynensis leaves. J. Nat. Prod. 2014, 10, 13–16. [Google Scholar]
- Chane-Ming, J.; Vera, R.R.; Fraissed, J. Chemical composition of essential oil of Callistemon citrinus (Curtis) Skeel from Reunion. J. Esent. Oil Res. 1998, 10, 429–431. [Google Scholar] [CrossRef]
- Srivastava, S.K.; Ahmad, A.; Jain, N.; Aggarwal, K.K.; Syamasunder, K.V. Essential oil composition of Callistemon viminalis leaves from India. Flavour Fragr. J. 2003, 13, 361–363. [Google Scholar] [CrossRef]
- Varma, R.S.; Parthasarathy, M.R. Triterpniods of Callistemon lanceolatus. Phytochemistry 1975, 14, 1676. [Google Scholar] [CrossRef]
- Younes, M.E. Triterpenoids from the leaves of Callistemon lanceolatus. Phytochemistry 1975, 14, 592. [Google Scholar] [CrossRef]
- Mahmoud, I.I.; Marzouk, M.S.A.; Moharram, F.A.; Nolte, J.; Fobbe, R.; Saleh, M.I. Polyphenolic constituents of Callistemon lanceolatus leaves. Pharmazie 2002, 57, 494–496. [Google Scholar]
- Wollenweber, E.; Wehde, R.; Dorr, M.; Lang, G.; Stevens, J.F. C-methyl-flavonoids from the leaf waxes of some Myrtaceae. Phytochemistry 2000, 55, 965–970. [Google Scholar] [CrossRef]
- Huq, F.; Misra, L.N. An alkenol and C-methylated flavones from Callistemon lanceolatus leaves. Planta Med. 1997, 63, 369–370. [Google Scholar] [CrossRef] [PubMed]
- Smeriglio, A.; Barreca, D.; Bellocco, E.; Trombetta, D. Chemistry, pharmacology and health benefits of Anthocyanins. Phytoth. Res. 2016, 30, 1265–1286. [Google Scholar] [CrossRef] [PubMed]
- Khoo, H.E.; Azlan, A.; Tang, S.T.; Lim, S.M. Anthocyanidins and anthocyanins: Colored pigments as food, pharmaceutical ingredients, and the potential health benefits. Food Nutr. Res. 2017, 61, 1361779. [Google Scholar] [CrossRef] [PubMed]
- Bellocco, E.; Barreca, D.; Laganà, G.; Calderaro, A.; El Lekhlifi, Z.; Chebaibi, S.; Smeriglio, A.; Trombetta, D. Cyanidin-3-O-galactoside in ripe pistachio (Pistachia vera L. variety Bronte) hulls: Identification and evaluation of its antioxidant and cytoprotective activities. J. Funct. Foods 2016, 27, 376–385. [Google Scholar] [CrossRef]
- Yeung, A.W.K.; Aggarwal, B.B.; Barreca, D.; Battino, M.; Belwal, T.; Horbańczuk, O.K.; Berindan-Neagoe, I.; Bishayee, A.; Daglia, M.; Devkota, H.P.; et al. Dietary natural products and their potential to influence health and disease including animal model studies. Anim. Sci. Pap. Rep. 2018, 36, 345–358. [Google Scholar]
- Calderaro, A.; Barreca, D.; Bellocco, E.; Smeriglio, A.; Trombetta, D.; Lagana, G. Colored phytonutrients: Role and applications in the functional foods of anthocyanins. In Phytonutrients in Food-From Traditional to Rational Usage; Elsevier: Amsterdam, The Netherlands, 2019; Chapter 8; pp. 177–195. [Google Scholar]
- Yang, M.; Koo, S.I.; Song, W.O.; Chun, O.K. Food matrix affecting anthocyanin bioavailability: Review. Curr. Med. Chem. 2011, 18, 291–300. [Google Scholar] [CrossRef]
- Li, D.; Wang, O.; Luo, Y.; Zhao, M.; Chen, F. Health benefits of anthocyanins and molecular mechanisms: Update from recent decade. Crit. Rev. Food. Sci. 2017, 57, 1729–1741. [Google Scholar] [CrossRef]
- De Pascual-Teresa, S. Molecular mechanisms involved in the cardiovascular and neuroprotective effects of anthocyanins. Arch. Biochem. Biophys. 2014, 559, 68–74. [Google Scholar] [CrossRef]
- Ghosh, D.; Konishi, T. Anthocyanins and anthocyanin-rich extracts: Role in diabetes and eye function. Asia. Pac. J. Clin. Nutr. 2007, 16, 200–208. [Google Scholar]
- Wallace, T.C. Anthocyanins in Cardiovascular Disease. Adv. Nutr. 2011, 2, 1–7. [Google Scholar] [CrossRef]
- He, J.; Giusti, M.M. Anthocyanins: Natural colorants with health-promoting properties. Annu. Rev. Food Sci. Technol. 2010, 1, 163–187. [Google Scholar] [CrossRef] [PubMed]
- Krga, I.; Milenkovic, D. Anthocyanins: From Sources and Bioavailability to Cardiovascular-Health Benefits and Molecular Mechanisms of Action. J. Agric. Food Chem. 2019, 67, 1771–1783. [Google Scholar] [CrossRef] [PubMed]
- Afaq, F.; Katiyar, S.K. Polyphenols: Skin Photoprotection and Inhibition of Photocarcinogenesis. Mini Rev. Med. Chem. 2011, 11, 1200–1215. [Google Scholar] [PubMed]
- Iwashina, T. Contribution to flower colors of flavonoids including anthocyanins: A review. Nat. Prod. Commun. 2015, 10, 529–544. [Google Scholar] [CrossRef]
- Salem, M.Z.M.; El-Hefny, M.; Nasser, R.A.; Ali, H.M.; El-Shanhorey, N.A.; Elansary, H.O. Medicinal and biological values of Callistemon viminalis extracts: History, current situation and prospects. Asian Pac. J. Trop. Med. 2017, 10, 229–237. [Google Scholar] [CrossRef]
- Eghbaliferiz, S.; Iranshahi, M. Prooxidant Activity of Polyphenols, Flavonoids, Anthocyanins and Carotenoids: Updated Review of Mechanisms and Catalyzing Metals. Phytother. Res. 2016, 30, 1379–1391. [Google Scholar] [CrossRef]
- Cao, G.; Sofic, E.; Prior, R.L. Antioxidant and prooxidant behavior of flavonoids: Structure-activity relationships. Free Radic. Biol. Med. 1997, 22, 749–760. [Google Scholar] [CrossRef]
- Scheit, K.; Bauer, G. Direct and indirect inactivation of tumor cell protective catalase by salicylic acid and anthocyanidins reactivates intercellular ROS signaling and allows for synergistic effects. Carcinogenesis 2015, 36, 400–411. [Google Scholar] [CrossRef]
- Barreca, D.; Laganà, G.; Tellone, E.; Ficarra, S.; Leuzzi, U.; Galtieri, A.; Bellocco, E. Influences of flavonoids on erythrocyte membrane and metabolic implication through anionic exchange modulation. J. Memb. Biol. 2009, 230, 163–171. [Google Scholar] [CrossRef]
- Bellocco, E.; Barreca, D.; Laganà, G.; Leuzzi, U.; Tellone, E.; Kotyk, A.; Galtieri, A. Influence of L-rhamnosyl-D-glucosyl derivatives on properties and biological interaction of flavonoids. Mol. Cell. Biochem. 2009, 321, 165–171. [Google Scholar] [CrossRef]
- Abuja, P.M.; Murkovic, M.; Pfannhauser, W. Antioxidant and prooxidant activities of elderberry (Sambucus nigra) extract in low-density lipoprotein oxidation. J. Agric. Food Chem. 1998, 46, 4091–4096. [Google Scholar] [CrossRef]
- Smeriglio, A.; Monteleone, D.; Trombetta, D. Health effects of Vaccinium myrtillus L.: Evaluation of efficacy and technological strategies for preservation of active ingredients. Mini Rev. Med. Chem. 2014, 14, 567–584. [Google Scholar] [CrossRef] [PubMed]
- Smeriglio, A.; Denaro, M.; Barreca, D.; D’Angelo, V.; Germanò, M.P.; Trombetta, D. Polyphenolic profile and biological activities of black carrot crude extract (Daucus carota L. ssp. sativus var. atrorubens Alef.). Fitoterapia 2018, 124, 49–57. [Google Scholar] [CrossRef]
- Smeriglio, A.; Barreca, D.; Bellocco, E.; Trombetta, D. Proanthocyanidins and hydrolysable tannins: Occurrence, dietary intake and pharmacological effects. Br. J. Pharmacol. 2017, 174, 1244–1262. [Google Scholar] [CrossRef] [PubMed]
- Monforte, M.T.; Smeriglio, A.; Germanò, M.P.; Pergolizzi, S.; Circosta, C.; Galati, E.M. Evaluation of antioxidant, antiinflammatory, and gastroprotective properties of Rubus fruticosus L. fruit juice. Phytother. Res. 2018, 32, 1404–1414. [Google Scholar] [CrossRef] [PubMed]
- Pesca, M.S.; Dal Piaz, F.; Sanogo, R.; Vassallo, A.; Bruzual de Abreu, M.; Rapisarda, A.; Germanò, M.P.; Certo, G.; De Falco, S.; De Tommasi, N.; et al. Bioassay-guided isolation of proanthocyanidins with antiangiogenic activities. J. Nat. Prod. 2013, 76, 29–35. [Google Scholar] [CrossRef] [PubMed]
- Barreca, D.; Mandalari, G.; Calderaro, A.; Smeriglio, A.; Trombetta, D.; Felice, M.R.; Gattuso, G. Citrus Flavones: An Update on Sources, Biological Functions, and Health Promoting Properties. Plants 2020, 9, 288. [Google Scholar] [CrossRef]
- Kähkönen, M.P.; Heinonen, M. Antioxidant Activity of Anthocyanins and Their Aglycons. J. Agric. Food Chem. 2003, 51, 628–633. [Google Scholar] [CrossRef]
- Wang, H.; Cao, G.; Prior, R.P. Oxygen radical absorbing capacity of anthocyanins. J. Agric. Food Chem. 1997, 45, 304–309. [Google Scholar] [CrossRef]
- Rice-Evans, C.A.; Miller, N.J.; Paganga, G. Structure-antioxidant activity relationships of flavonoids and phenolic acids. Free Radical Biol. Med. 1996, 20, 933–956. [Google Scholar] [CrossRef]
- Fukumoto, L.R.; Mazza, G. Assessing antioxidant and prooxidant activities of phenolic compounds. J. Agric. Food Chem. 2000, 48, 3597–3604. [Google Scholar] [CrossRef]
- Barreca, D.; Gattuso, G.; Laganà, G.; Leuzzi, U.; Bellocco, E. C- and O-glycosyl flavonoids in Sanguinello and Tarocco blood orange (Citrus sinensis (L.) Osbeck) juice: Identification and influence on antioxidant properties and acetylcholinesterase activity. Food Chemistry 2016, 196, 619–627. [Google Scholar] [CrossRef] [PubMed]
- Barreca, D.; Bellocco, E.; Leuzzi, U.; Gattuso, G. First evidence of C- and O-glycosyl flavone in blood orange (Citrus sinensis (L.) Osbeck) juice and their influence on antioxidant properties. Food Chem. 2014, 149C, 244–252. [Google Scholar] [CrossRef] [PubMed]
- Matsunaga, N.; Tsuruma, K.; Shimazawa, M.; Yokota, S.; Hara, H. Inhibitory actions of bilberry anthocyanidins on angiogenesis. Phytother. Res. 2010, 24 (Suppl. 1), S42–S47. [Google Scholar] [CrossRef]
- Matsunaga, N.; Chikaraishi, Y.; Shimazawa, M.; Yokota, S.; Hara, H. Vaccinium myrtillus (Bilberry) Extracts Reduce Angiogenesis In Vitro and In Vivo. Evid. Based Complement. Altern. Med. 2010, 7, 47–56. [Google Scholar] [CrossRef] [PubMed]
- Barreca, D.; Laganà, G.; Ficarra, S.; Tellone, E.; Leuzzi, U.; Galtieri, A.; Bellocco, E. Evaluation of the antioxidant and cytoprotective properties of the exotic fruit Annona cherimola Mill. (Annonaceae). Food Res. Int. 2011, 44, 2302–2310. [Google Scholar] [CrossRef]
- Smeriglio, A.; Mandalari, G.; Bisignano, C.; Filocamo, A.; Barreca, D.; Bellocco, E.; Trombetta, D. Polyphenolic content and biological properties of Avola almond (Prunus dulcis Mill. D.A. Webb) skin and its industrial byproducts. Ind. Crops Prod. 2016, 83, 283–293. [Google Scholar] [CrossRef]
- Smeriglio, A.; Bonasera, S.; Germanò, M.P.; D’Angelo, V.; Barreca, D.; Denaro, M.; Monforte, M.T.; Galati, E.M.; Trombetta, D. Opuntia ficus-indica (L.) Mill. fruit as source of betalains with antioxidant, cytoprotective, and anti-angiogenic properties. Phytother. Res. 2019, 33, 1526–1537. [Google Scholar] [CrossRef]
- Certo, G.; Costa, R.; D’Angelo, V.; Russo, M.; Albergamo, A.; Dugo, G.; Germanò, M.P. Anti-angiogenic activity and phytochemical screening of fruit fractions from Vitex agnus castus. Nat. Prod. Res. 2017, 31, 2850–2856. [Google Scholar] [CrossRef]




| Peak | Compound | Rt (min) | Λmax (nm) | MS (m/z) [M + H]+ | MS/MS (m/z) [M + H]+ | mg CyG/100 g DE |
|---|---|---|---|---|---|---|
| 1 | Cyanidin 3,5-O-diglucoside | 17.76 | 512 | 611 | 449, 287 | 295.58 ± 2.23 |
| 2 | Peonidin-3,5-O-diglucoside | 20.28 | 514 | 625 | 463, 301 | 182.03 ± 1.90 |
| 3 | Cyanidin-3-O-glucoside | 22.52 | 512 | 449 | 287 | 38.07 ± 0.54 |
| 4 | Cyanidin-coumaroylglucoside-pyruvic acid | 25.21 | 506 | 661, 595 | 482 | 13.94 ± 0.27 |
© 2020 by the authors. Licensee MDPI, Basel, Switzerland. This article is an open access article distributed under the terms and conditions of the Creative Commons Attribution (CC BY) license (http://creativecommons.org/licenses/by/4.0/).
Share and Cite
Laganà, G.; Barreca, D.; Smeriglio, A.; Germanò, M.P.; D'Angelo, V.; Calderaro, A.; Bellocco, E.; Trombetta, D. Evaluation of Anthocyanin Profile, Antioxidant, Cytoprotective, and Anti-Angiogenic Properties of Callistemon citrinus Flowers. Plants 2020, 9, 1045. https://doi.org/10.3390/plants9081045
Laganà G, Barreca D, Smeriglio A, Germanò MP, D'Angelo V, Calderaro A, Bellocco E, Trombetta D. Evaluation of Anthocyanin Profile, Antioxidant, Cytoprotective, and Anti-Angiogenic Properties of Callistemon citrinus Flowers. Plants. 2020; 9(8):1045. https://doi.org/10.3390/plants9081045
Chicago/Turabian StyleLaganà, Giuseppina, Davide Barreca, Antonella Smeriglio, Maria Paola Germanò, Valeria D'Angelo, Antonella Calderaro, Ersilia Bellocco, and Domenico Trombetta. 2020. "Evaluation of Anthocyanin Profile, Antioxidant, Cytoprotective, and Anti-Angiogenic Properties of Callistemon citrinus Flowers" Plants 9, no. 8: 1045. https://doi.org/10.3390/plants9081045
APA StyleLaganà, G., Barreca, D., Smeriglio, A., Germanò, M. P., D'Angelo, V., Calderaro, A., Bellocco, E., & Trombetta, D. (2020). Evaluation of Anthocyanin Profile, Antioxidant, Cytoprotective, and Anti-Angiogenic Properties of Callistemon citrinus Flowers. Plants, 9(8), 1045. https://doi.org/10.3390/plants9081045

