Effects of Top Ceramic Layers with an Ultrathin Dense Layer on the Thermal–Physical Properties of Thermal Barrier Coatings
Abstract
:1. Introduction
2. Experimental Procedures
2.1. Specimen Preparation
2.2. Structure Characterization and Property Measurement
3. Results and Discussion
3.1. XRD Analysis of Powders and Coatings
3.2. Thermal Ablation Analysis
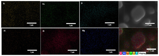
3.3. Corrosion Analysis
3.4. Thermal Shock Analysis
4. Conclusions
Author Contributions
Funding
Institutional Review Board Statement
Informed Consent Statement
Data Availability Statement
Conflicts of Interest
References
- Zhou, F.; Wang, Y.; Liu, M.; Deng, C.; Zhang, X. Thermo-physical and thermal insulation properties of multi-scale nanostructured thermal barrier coatings using as-prepared t′-8YSZ feedstocks. Ceram. Int. 2019, 45, 24096–24103. [Google Scholar] [CrossRef]
- Zhong, Y.; An, R.; Ma, H.; Wang, C. Low-temperature-solderable intermetallic nanoparticles for 3D printable flexible electronics. Acta Mater. 2019, 162, 163–175. [Google Scholar] [CrossRef]
- Zhao, C.; Luo, L.; Lu, J.; Zhao, X.; Wang, X.; Guo, F.; Xiao, P. Investigation on the performance of air plasma sprayed thermal barrier coating with Lu/Hf-doped NiAl bond coat. Surf. Coat. Technol. 2019, 360, 140–152. [Google Scholar] [CrossRef]
- Zhang, P.; Zhang, X.; Li, F.; Zhang, Z.; Wang, Y.; Li, H.; Ren, L.; Liu, M. Hot Corrosion Behavior of YSZ Thermal Barrier Coatings Modified by Laser Remelting and Al Deposition. J. Therm. Spray Technol. 2019, 28, 1225–1238. [Google Scholar] [CrossRef]
- Zhang, H.; Liu, Z.; Yang, X.; Xie, H. Interface failure behavior of YSZ thermal barrier coatings during thermal shock. J. Alloys Compd. 2019, 779, 686–697. [Google Scholar] [CrossRef]
- Yang, P.; Yang, D.; Hao, E.; An, Y.; Li, Y.; Wang, Z. Thermal shock resistance and failure analysis of La2(Zr0.75Ce0.25)2O7-based TBCs produced by atmospheric plasma spraying. Surf. Coat. Technol. 2021, 409, 126903. [Google Scholar] [CrossRef]
- Zhao, P.; Zhu, J.; Yang, K.; Li, M.; Shao, G.; Lu, H.; Ma, Z.; Wang, H.; He, J. Outstanding wear resistance of plasma sprayed high-entropy monoboride composite coating by inducing phase structural cooperative mechanism. Appl. Surf. Sci. 2023, 616, 156516. [Google Scholar] [CrossRef]
- Yu, C.-T.; Xie, H.-Q.; Li, S.; Jiang, C.-Y.; Bao, Z.-B.; Zhang, W.; Zhang, L.; Pu, W.-Q.; Zhu, S.-L.; Wang, F.-H. Thermal cycling and interface bonding performance of single phase (Ni,Pt)Al coating with and without pure metastable tetragonal phase 4YSZ. Appl. Surf. Sci. 2023, 615, 156326. [Google Scholar] [CrossRef]
- Yu, C.T.; Liu, H.; Zhang, J.; Ullah, A.; Bao, Z.B.; Jiang, C.Y.; Zhu, S.L.; Wang, F.H. Gradient thermal cycling behavior of a thermal barrier coating system constituted by NiCoCrAlY bond coat and pure metastable tetragonal nano-4YSZ top coat. Ceram. Int. 2019, 45, 15281–15289. [Google Scholar] [CrossRef]
- Yang, L.; Zou, Z.; Kou, Z.; Chen, Y.; Zhao, G.; Zhao, X.; Guo, F.; Xiao, P. High temperature stress and its influence on surface rumpling in NiCoCrAlY bond coat. Acta Mater. 2017, 139, 122–137. [Google Scholar] [CrossRef]
- Chen, L.; Wang, W.-J.; Li, J.-H.; Yang, G.-J. Suppressing the phase-transition-induced cracking of SiO2 TGOs by lattice solid solution. J. Eur. Ceram. Soc. 2023, 43, 3201–3215. [Google Scholar] [CrossRef]
- Wang, J.; Lu, X.; Hu, M.; Chen, M.; Wang, Y.; Shu, C.; Zhang, H.; Liu, B.; Sun, J.; Jing, Q. Phase stability, thermophysical properties, thermal shock behavior and CMAS resistance of Sc2O3-CeO2 co-stabilized ZrO2 TBCs. Surf. Coat. Technol. 2023, 467, 129679. [Google Scholar] [CrossRef]
- Wu, J.; Gao, Y.; Guo, C.; Guo, L. Laser surface modification to improve the resistance of CMAS + molten salt coupling corrosion to thermal barrier coatings. Ceram. Int. 2023, 49, 32282–32291. [Google Scholar] [CrossRef]
- Krause, A.R.; Garces, H.F.; Dwivedi, G.; Ortiz, A.L.; Sampath, S.; Padture, N.P. Calcia-magnesia-alumino-silicate (CMAS)-induced degradation and failure of air plasma sprayed yttria-stabilized zirconia thermal barrier coatings. Acta Mater. 2016, 105, 355–366. [Google Scholar] [CrossRef]
- Yao, Y.M.; Cai, J.; Gao, J.; Guan, Q.F.; Lyu, P.; Hua, Y.Q.; Ye, Y.X.; Xue, W. Thermal cycling behavior and stress distribution in TGO layer of MCrAlYX-type coatings via high-current pulsed electron beam modification. Appl. Surf. Sci. 2022, 605, 154674. [Google Scholar] [CrossRef]
- Wei, Z.-Y.; Liu, Y.; Cheng, B.; Tahir, A. Influence of non-uniform feature of thermally grown oxide thickness on the local stress state and cracking behavior in TBC. Surf. Coat. Technol. 2022, 443, 128607. [Google Scholar] [CrossRef]
- Li, B.; Chen, Z.; Zheng, H.; Li, G.; Li, H.; Peng, P. Wetting mechanism of CMAS melt on YSZ surface at high temperature: First-principles calculation. Appl. Surf. Sci. 2019, 483, 811–818. [Google Scholar] [CrossRef]
- Vakilifard, H.; Ghasemi, R.; Rahimipour, M. Hot corrosion behaviour of plasma-sprayed functionally graded thermal barrier coatings in the presence of Na2SO4+V2O5 molten salt. Surf. Coat. Technol. 2017, 326, 238–246. [Google Scholar] [CrossRef]
- Shen, Z.; Liu, Z.; Huang, Z.; Mu, R.; He, L.; Liu, G. Thermal shock life and failure behaviors of La2Zr2O7/YSZ, La2Ce2O7/YSZ and Gd2Zr2O7/YSZ DCL TBCs by EB-PVD. Mater. Charact. 2021, 173, 110923. [Google Scholar] [CrossRef]
- Wang, K.L.; Zhu, J.P.; Wang, H.L.; Yang, K.J.; Zhu, Y.M.; Qing, Y.B.; Ma, Z.; Gao, L.H.; Liu, Y.B.; Wei, S.H.; et al. Air plasma-sprayed high-entropy (Y0.2Yb0.2Lu0.2Eu0.2Er0.2)3Al5O12 coating with high thermal protection performance. J. Adv. Ceram. 2022, 11, 1571–1582. [Google Scholar] [CrossRef]
- Tounsi, A.; Bousahla, A.A.; Tahir, S.I.; Mostefa, A.H.; Bourada, F.; Al-Osta, M.A.; Tounsi, A. Influences of different boundary conditions and Hygro-thermal environment on the free vibration responses of FGM sandwich plates resting on viscoelastic foundation. Int. J. Struct. Stab. Dyn. 2023, 2450117. [Google Scholar] [CrossRef]
- Naim Katea, S.; Riekehr, L.; Westin, G. Synthesis of nano-phase ZrC by carbothermal reduction using a ZrO2–carbon nano-composite. J. Eur. Ceram. Soc. 2021, 41, 62–72. [Google Scholar] [CrossRef]
- Doleker, K.M.; Ozgurluk, Y.; Karaoglanli, A.C. TGO growth and kinetic study of single and double layered TBC systems. Surf. Coat. Technol. 2021, 415, 127135. [Google Scholar] [CrossRef]
- Jung, S.-H.; Lu, Z.; Jung, Y.-G.; Song, D.; Paik, U.; Choi, B.; Kim, I.; Guo, X.; Zhang, J. Thermal durability and fracture behavior of layered Yb-Gd-Y-based thermal barrier coatings in thermal cyclic exposure. Surf. Coat. Technol. 2017, 323, 39–48. [Google Scholar] [CrossRef]
- Ejaz, N.; Ali, L.; Ahmed, F.; Awan, G.; Ghauri, K.M.; Nusair, A. Hot corrosion behavior of double ceramic layered CaZrO3/Yttria-stabilized zirconia coatings. Int. J. Appl. Ceram. Technol. 2018, 15, 53–62. [Google Scholar] [CrossRef]
- Guo, L.; Yan, Z.; Yu, J.; Zhang, C.; Li, M.; Ye, F.; Ji, V. Hot corrosion behavior of TiO2 doped, Yb2O3 stabilized zirconia exposed to V2O5+ Na2SO4 molten salt at 700–1000 °C. Ceram. Int. 2018, 44, 261–268. [Google Scholar] [CrossRef]
- Cui, J.-J.; Ouyang, J.-H.; Liu, Z.-G. Hot corrosion behavior of LaMgAl11O19 ceramic coated with molten CMAS deposits at temperature of 1250 °C in air. J. Alloys Compd. 2016, 685, 316–321. [Google Scholar] [CrossRef]
- Yang, M.; Zhu, Y.; Wang, X.; Wang, Q.; Ai, L.; Zhao, L.; Chu, Y. A novel low thermal conductivity thermal barrier coating at super high temperature. Appl. Surf. Sci. 2019, 497, 143774. [Google Scholar] [CrossRef]
- Guo, L.; Zhang, Y.; Ye, F.; White, M.A. Phase Structure Evolution and Thermo-Physical Properties of Nonstoichiometry Nd2−xZr2+xO7+x/2 Pyrochlore Ceramics. J. Am. Ceram. Soc. 2015, 98, 1013–1018. [Google Scholar] [CrossRef]
- Loghman-Estarki, M.R.; Shoja Razavi, R.; Edris, H.; Bakhshi, S.R.; Nejati, M.; Jamali, H. Comparison of hot corrosion behavior of nanostructured ScYSZ and YSZ thermal barrier coatings. Ceram. Int. 2016, 42, 7432–7439. [Google Scholar] [CrossRef]
- Li, M.; Cheng, Y.; Guo, L.; Zhang, C.; Zhang, Y.; He, S.; Ye, F. Preparation of plasma sprayed nanostructured GdPO4 thermal barrier coating and its hot corrosion behavior in molten salts. Ceram. Int. 2017, 43, 7797–7803. [Google Scholar] [CrossRef]
- Lughi, V.; Clarke, D.R. Transformation of Electron-Beam Physical Vapor-Deposited 8 wt% Yttria-Stabilized Zirconia Thermal Barrier Coatings. J. Am. Ceram. Soc. 2005, 88, 2552–2558. [Google Scholar] [CrossRef]
- Bouvier, P.; Gupta, H.C.; Lucazeau, G. Zone center phonon frequencies in tetragonal zirconia: Lattice dynamical study and new assignment proposition. J. Phys. Chem. Solids 2001, 62, 873–879. [Google Scholar] [CrossRef]
- Han, M.; Huang, J.; Chen, S. A parametric study of the Double-Ceramic-Layer Thermal Barrier Coating Part II: Optimization selection of mechanical parameters of the inside ceramic layer based on the effect on the stress distribution. Surf. Coat. Technol. 2014, 238, 93–117. [Google Scholar] [CrossRef]
- Han, M.; Zhou, G.; Huang, J.; Chen, S. A parametric study of the double-ceramic-layer thermal barrier coatings part I: Optimization design of the ceramic layer thickness ratio based on the finite element analysis of thermal insulation (take LZ7C3/8YSZ/NiCoAlY DCL-TBC for an example). Surf. Coat. Technol. 2013, 236, 500–509. [Google Scholar] [CrossRef]
- Chen, X.; Sun, Y.; Hu, J.; Li, J.; Deng, C.; Wu, D.; Zeng, D.; Li, W.; Liu, Y.; Zou, B.; et al. Thermal cycling failure of the multilayer thermal barrier coatings based on LaMgAl11O19/YSZ. J. Eur. Ceram. Soc. 2020, 40, 1424–1432. [Google Scholar] [CrossRef]
- Tabeshfar, M.; Salehi, M.; Dini, G.; Dahl, P.I.; Einarsrud, M.-A.; Wiik, K. Hot corrosion of Gd2Zr2O7, Gd2Zr2O7/YbSZ, YSZ + Gd2Zr2O7/YbSZ, and YSZ thermal barrier coatings exposed to Na2SO4 + V2O5. Surf. Coat. Technol. 2021, 409, 126718. [Google Scholar] [CrossRef]
- Guo, L.; Zhang, C.; He, Q.; Yu, J.; Yan, Z.; Ye, F.; Dan, C.; Ji, V. Microstructure evolution and hot corrosion mechanisms of Ba2REAlO5(RE = Yb, Er, Dy) exposed to V2O5+ Na2SO4 molten salt. J. Eur. Ceram. Soc. 2018, 38, 3555–3563. [Google Scholar] [CrossRef]
- Chang, J.X.; Wang, D.; Zhang, G.; Lou, L.H.; Zhang, J. Interaction of Ta and Cr on Type-I hot corrosion resistance of single crystal Ni-base superalloys. Corros. Sci. 2017, 117, 35–42. [Google Scholar] [CrossRef]
- Kang, Y.X.; Bai, Y.; Fan, W.; Yuan, T.; Gao, Y.; Bao, C.G.; Li, B.Q. Thermal cycling performance of La2Ce2O7/50 vol.% YSZ composite thermal barrier coating with CMAS corrosion. J. Eur. Ceram. Soc. 2018, 38, 2851–2862. [Google Scholar] [CrossRef]
- Wang, Z.; Liu, T.; Wang, E.; Hu, S.; Xie, Z.; Gong, X. Effect of Al plating on growth behavior of TGO layer in CoCrNiAlY–YSZ–RSZ dual-ceramic coating. Surf. Coat. Technol. 2022, 432, 128060. [Google Scholar] [CrossRef]











| Plasma Spray Parameters | Bond Layer | Ceramic Layer |
|---|---|---|
| Argon flow (NLPM) | 45 | 45 |
| Hydrogen flow (NLPM) | 4.5 | 4.5 |
| Amps (A)/volts (V) | 420/50 | 620/62 |
| Carrier gas flow (SCFH) | 5 | 3 |
| Powder feed rate (g/min) | 26 | 26 |
| Cooling air pressure (bar) | 2.6 | 2.6 |
| Spray distance (cm) | 12 | 10.5 |
| Gun speed (mm/s) | 500 | 600 |
| Elements | O | Na | S | V |
|---|---|---|---|---|
| Mass ratio wt% | 46.45 | 29.01 | 11.44 | 13.11 |
| Atomic percentage | 60.75 | 26.4 | 7.46 | 5.38 |
| Elements | O | Mg | Al | Si | Ca | Zr |
|---|---|---|---|---|---|---|
| Mass ratio wt% | 34.02 | 0.94 | 1.88 | 5.73 | 6.73 | 50.7 |
| Atomic percentage | 67.24 | 1.22 | 2.2 | 6.45 | 5.31 | 17.58 |
| 50 μm | 100 μm | 300 μm | 600 μm | 900 μm | |
|---|---|---|---|---|---|
| Air cooling cycles | 6 | 6 | 6 | 6 | 2 |
| Water cooling cycles | 6 | 5 | 3 | 1 | - |
Disclaimer/Publisher’s Note: The statements, opinions and data contained in all publications are solely those of the individual author(s) and contributor(s) and not of MDPI and/or the editor(s). MDPI and/or the editor(s) disclaim responsibility for any injury to people or property resulting from any ideas, methods, instructions or products referred to in the content. |
© 2023 by the authors. Licensee MDPI, Basel, Switzerland. This article is an open access article distributed under the terms and conditions of the Creative Commons Attribution (CC BY) license (https://creativecommons.org/licenses/by/4.0/).
Share and Cite
Ai, L.; Wang, X.; Yang, M.; Lei, Y.; Zhu, Y. Effects of Top Ceramic Layers with an Ultrathin Dense Layer on the Thermal–Physical Properties of Thermal Barrier Coatings. Coatings 2023, 13, 1929. https://doi.org/10.3390/coatings13111929
Ai L, Wang X, Yang M, Lei Y, Zhu Y. Effects of Top Ceramic Layers with an Ultrathin Dense Layer on the Thermal–Physical Properties of Thermal Barrier Coatings. Coatings. 2023; 13(11):1929. https://doi.org/10.3390/coatings13111929
Chicago/Turabian StyleAi, Li, Xueying Wang, Ming Yang, Yuntao Lei, and Yongping Zhu. 2023. "Effects of Top Ceramic Layers with an Ultrathin Dense Layer on the Thermal–Physical Properties of Thermal Barrier Coatings" Coatings 13, no. 11: 1929. https://doi.org/10.3390/coatings13111929
APA StyleAi, L., Wang, X., Yang, M., Lei, Y., & Zhu, Y. (2023). Effects of Top Ceramic Layers with an Ultrathin Dense Layer on the Thermal–Physical Properties of Thermal Barrier Coatings. Coatings, 13(11), 1929. https://doi.org/10.3390/coatings13111929
