Low-Friction and Corrosion-Resistant Orthodontic Stainless Steel Archwires with Functional Carbon Films
Abstract
1. Introduction
2. Materials and Methods
3. Results
3.1. Characterization of the Carbon-Film-Coated Archwires
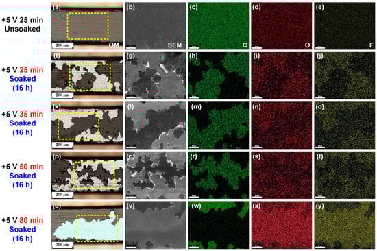
3.2. Immersion Test of the Carbon-Film-Coated Archwires
3.3. Friction Behavior of the Carbon-Film-Coated Archwires
4. Discussion
4.1. Electrochemical Corrosion of the Carbon-Film-Coated Archwires
4.2. Wear Rate of the Carbon-Film-Coated Archwires
4.3. Low Friction Mechanism of the Carbon-Film-Coated Archwires
5. Conclusions
Supplementary Materials
Author Contributions
Funding
Data Availability Statement
Acknowledgments
Conflicts of Interest
References
- Niu, Q.; Chen, S.; Bai, R.; Lu, Y.; Peng, L.; Han, B.; Yu, T. Dynamics of the oral microbiome during orthodontic treatment and antimicrobial advances for orthodontic appliances. Iscience 2024, 27, 111458. [Google Scholar] [CrossRef]
- Cenzato, N.; Nobili, A.; Maspero, C. Prevalence of dental malocclusions in different geographical areas: Scoping review. Dent. J. 2021, 9, 117. [Google Scholar] [CrossRef]
- Lombardo, G.; Vena, F.; Negri, P.; Pagano, S.; Barilotti, C.; Paglia, L.; Colombo, S.; Orso, M.; Cianetti, S. Worldwide prevalence of malocclusion in the different stages of dentition: A systematic review and meta-analysis. Eur. J. Paediatr. Dent. 2020, 21, 115–122. [Google Scholar] [CrossRef]
- Zou, J.; Meng, M.; Law, C.S.; Rao, Y.; Zhou, X. Common dental diseases in children and malocclusion. Int. J. Oral Sci. 2018, 10, 7. [Google Scholar] [CrossRef]
- Guo, L.; Feng, Y.; Guo, H.G.; Liu, B.W.; Zhang, Y. Consequences of orthodontic treatment in malocclusion patients: Clinical and microbial effects in adults and children. BMC Oral Health 2016, 16, 112. [Google Scholar] [CrossRef]
- Burrow, S.J. Friction and resistance to sliding in orthodontics: A critical review. Am. J. Orthod. Dentofac. Orthop. 2009, 135, 442–447. [Google Scholar] [CrossRef]
- Arici, N.; Akdeniz, B.S.; Oz, A.A.; Gencer, Y.; Tarakci, M.; Arici, S. Effectiveness of medical coating materials in decreasing friction between orthodontic brackets and archwires. Korean J. Orthod. 2021, 51, 270–281. [Google Scholar] [CrossRef]
- Espinoza-Montero, P.J.; Montero-Jiménez, M.; Fernández, L.; Paz, J.L.; Piñeiros, J.L.; Ceballos, S.M. In vitro wearing away of orthodontic brackets and wires in different conditions: A review. Heliyon 2022, 8, e10560. [Google Scholar] [CrossRef]
- Xie, Q.; Li, P.; Zhou, Z.; Bai, G.; Sun, K.; Li, X.; Tao, H.; Yang, H.; Zou, D.; Yang, C. Fabrication of three-dimensional orthodontic force detecting brackets and preliminary clinical test for tooth movement simulation. Heliyon 2023, 9, e19852. [Google Scholar] [CrossRef]
- He, L.; Zhang, W.; Liu, J.; Pan, Y.; Li, S.; Xie, Y. Applications of nanotechnology in orthodontics: A comprehensive review of tooth movement, antibacterial properties, friction reduction, and corrosion resistance. BioMed. Eng. OnLine 2024, 23, 72. [Google Scholar] [CrossRef]
- Ardila, C.M.; Arrubla-Escobar, D.E.; Vivares-Builes, A.M. Efficacy of microchips and 3D sensors for orthodontic force measurement: A systematic review of in vitro studies. Orthod. Craniofac. Res. 2024, 27, 88–102. [Google Scholar] [CrossRef]
- Ardila, C.M.; Jiménez-Arbeláez, G.A.; Vivares-Builes, A.M. Efficacy of wireless sensors in assessing occlusal and bite forces: A systematic review. J. Oral Rehabil. 2024, 51, 1337–1347. [Google Scholar] [CrossRef]
- Khoury, E.S.; Abboud, M.; Bassil-Nassif, N.; Bouserhal, J. Effect of a two-year fluoride decay protection protocol on titanium brackets. Int. Orthod. 2011, 9, 432–451. [Google Scholar] [CrossRef]
- Khoury, E.S.; Abboud, M.; Bassil-Nassif, N.; Bouserhal, J. Effect of eliminating the residual fluoride gel on titanium bracket corrosion. Int. Orthod. 2011, 9, 298–315. [Google Scholar] [CrossRef]
- Huang, H.H.; Lee, T.H.; Huang, T.K.; Lin, S.Y.; Chen, L.K.; Chou, M.Y. Corrosion resistance of different nickel-titanium archwires in acidic fluoride-containing artificial saliva. Angle Orthod. 2010, 80, 547–553. [Google Scholar] [CrossRef]
- Huang, H.H. Variation in surface topography of different NiTi orthodontic archwires in various commercial fluoride-containing environments. Dent. Mater. 2007, 23, 24–33. [Google Scholar] [CrossRef]
- Trolic, I.M.; Serdarevic, N.L.; Todoric, Z.; Budimir, A.; Spalj, S.; Curkovic, H.O. Corrosion of orthodontic archwires in artificial saliva in the presence of Lactobacillus reuteri. Surf. Coat. Technol. 2019, 370, 44–52. [Google Scholar] [CrossRef]
- Ique, M.M.A.; Ferreira, M.F.; Delbem, A.C.B.; de Mendonça, M.R. Corrosion-induced changes in surface properties and roughness of orthodontic wires. Am. J. Orthod. Dentofacial Orthop. 2024, 165, 565–575. [Google Scholar] [CrossRef]
- Mikulewicz, M.; Suski, P.; Tokarczuk, O.; Warzyńska-Maciejewska, M.; Pohl, P.; Tokarczuk, B. Metal ion release from orthodontic archwires: A comparative study of biocompatibility and corrosion resistance. Molecules 2024, 29, 5685. [Google Scholar] [CrossRef]
- Wijesinghe, D.M.L.; Gunathilake, W.S.S.; Weerasekera, W.B.M.C.R.D.; Jayasinghe, U.J.M.A.L. Corrosion analysis of orthodontic brackets and arch wires–An in vitro study. Ceylon J. Sci. 2024, 53, 75–85. [Google Scholar] [CrossRef]
- Stoyanova-Ivanova, A.; Georgiev, V.; Martins, J.N.R. Nickel ion release in nickel-containing orthodontics archwires: A narrative review of in vitro and in vivo studies. Dent. J. 2025, 13, 206. [Google Scholar] [CrossRef] [PubMed]
- Bącela, J.; Łabowska, M.B.; Detyna, J.; Zięty, A.; Michalak, I. Functional coatings for orthodontic archwires—A review. Materials 2020, 13, 3257. [Google Scholar] [CrossRef] [PubMed]
- Fróis, A.; Santos, A.C.; Louro, C.S. Corrosion of fixed orthodontic appliances: Causes, concerns, and mitigation strategies. Metals 2023, 13, 1955. [Google Scholar] [CrossRef]
- Zhang, R.; Han, B.; Liu, X. Functional surface coatings on orthodontic appliances: Reviews of friction reduction, antibacterial properties, and corrosion resistance. Int. J. Mol. Sci. 2023, 24, 6919. [Google Scholar] [CrossRef]
- Ryu, H.; Bae, I.; Lee, K.; Hwang, H.; Lee, K.; Koh, J.; Cho, J. Antibacterial effect of silver-platinum coating for orthodontic appliances. Angle Orthod. 2012, 82, 151–157. [Google Scholar] [CrossRef]
- Wu, H.; Yang, J.; Yan, Y.; Zheng, B.; Algahefi, A.L.; Ma, S.; Liu, Y. Study of Al–SiO2 aesthetic composite coating on orthodontic metal archwire. Coatings 2022, 12, 746. [Google Scholar] [CrossRef]
- Espinar, E.; Llamas, J.M.; Michiardi, A.; Ginebra, M.P.; Gil, F.J. Reduction of Ni release and improvement of the friction behaviour of NiTi orthodontic archwires by oxidation treatments. J. Mater. Sci Mater. Med. 2011, 22, 1119–1125. [Google Scholar] [CrossRef]
- Zhang, H.; Guo, S.; Wang, D.; Zhou, T.; Wang, L.; Ma, J. Effects of nanostructured, diamondlike, carbon coating and nitrocarburizing on the frictional properties and biocompatibility of orthodontic stainless steel wires. Angle Orthod. 2016, 86, 782–788. [Google Scholar] [CrossRef]
- Sui, J.H.; Cai, W. Formation of diamond-like carbon (DLC) film on the NiTi alloys via plasma immersion ion implantation and deposition (PIIID) for improving corrosion resistance. Appl. Surf. Sci. 2006, 253, 2050–2055. [Google Scholar] [CrossRef]
- Kobayashi, S.; Ohgoe, Y.; Ozeki, K.; Hirakuri, K.; Aoki, H. Dissolution effect and cytotoxicity of diamond-like carbon coatings on orthodontic archwires. J. Mater. Sci. Mater. Med. 2007, 18, 2263–2268. [Google Scholar] [CrossRef]
- Fróis, A.; Aleixo, A.S.; Evaristo, M.; Santos, A.C.; Louro, C.S. Can a-C:H-sputtered coatings be extended to orthodontics? Coatings 2021, 11, 832. [Google Scholar] [CrossRef]
- Pan, Z.; Zhou, Q.; Wang, P.; Diao, D. Robust low friction performance of graphene sheets embedded carbon films coated orthodontic stainless steel archwires. Friction 2022, 10, 142–158. [Google Scholar] [CrossRef]
- Wang, P.; Luo, X.; Qin, J.; Pan, Z.; Zhou, K. Effect of graphene sheets embedded carbon films on the fretting wear behaviors of orthodontic archwire–bracket contacts. Nanomaterials 2022, 12, 3430. [Google Scholar] [CrossRef] [PubMed]
- Zhang, W.Q.; Diao, D.F.; Sun, K.; Fan, X.; Wang, P. Study on friction-electrification coupling in sliding-mode triboelectric nanogenerator. Nano Energy 2018, 48, 456–463. [Google Scholar] [CrossRef]
- Wang, P.; Xue, P.; Chen, C.; Diao, D. Structural and tribological behaviors of graphene nanocrystallited carbon nitride films. Appl. Surf. Sci. 2019, 495, 143591. [Google Scholar] [CrossRef]
- Liu, C.; Chu, P.K.; Lin, G.; Yang, D. Effects of Ti/TiN multilayer on corrosion resistance of nickel-titanium orthodontic brackets in artificial saliva. Corrosion Sci. 2007, 49, 3783–3796. [Google Scholar] [CrossRef]
- Wang, C.; Zhang, X.; Diao, D. Nanosized graphene crystallite induced strong magnetism in pure carbon films. Nanoscale 2015, 7, 4475–4481. [Google Scholar] [CrossRef]
- Saleemi, A.S.; Singh, R.; Sun, W.; Luo, Z.; Zhang, X. Large magnetoresistance of amorphous carbon films. Carbon 2017, 122, 122–127. [Google Scholar] [CrossRef]
- Mirjalili, M.; Momeni, M.; Ebrahimi, N.; Moayed, M.H. Comparative study on corrosion behaviour of Nitinol and stainless steel orthodontic wires in simulated saliva solution in presence of fluoride ions. Mater. Sci. Eng. C 2013, 33, 2084–2093. [Google Scholar] [CrossRef]
- Begum, A.A.; Vahith, R.M.; Mohamed, M.K.; Kotra, V.; Shaik, B.; Al-Kahtani, A. Corrosion mitigation on orthodontic wire made of SS 18/8 alloy using esomeprazole tablet (Esiloc-40 mg) in artificial saliva. J. Saudi Chem. Soc. 2023, 27, 101681. [Google Scholar] [CrossRef]
- Rajendran, S.; Raja, U.T.; Majellah, L. Corrosion resistance of orthodontic wire made of SS 316L alloy in artificial saliva in the presence of amlodipine tablet by electrochemical studies. Zast. Mater. 2020, 61, 251–258. [Google Scholar] [CrossRef]
- Huang, T.H.; Guo, J.U.; Kao, C.T. A comparison of the friction associated with diamond-like carbon (DLC) or titanium nitride (TiN) plating metal brackets. Surf. Coat. Technol. 2010, 205, 1917–1921. [Google Scholar] [CrossRef]
- Dridi, A.; Bensalah, W.; Mezlini, S.; Tobji, S.; Zidi, M. Influence of bio-lubricants on the orthodontic friction. J. Mech. Behav. Biomed. Mater. 2016, 60, 1–7. [Google Scholar] [CrossRef]
- Yakubov, G.E.; Macakova, L.; Wilson, S.; Windust, J.H.; Stokes, J.R. Aqueous lubrication by fractionated salivary proteins: Synergistic interaction of mucin polymer brush with low molecular weight macromolecules. Tribol. Int. 2015, 89, 34–45. [Google Scholar] [CrossRef]










| Substrate Bias Voltage (V) | Potential (mV/SCE) | Current Density (μA/cm2) | Corrosion Rate (mpy) |
|---|---|---|---|
| None | −303.1 | 0.336 | 62.81 × 10−3 |
| +5 | −226.3 | 0.229 | 34.40 × 10−3 |
| +10 | −200.8 | 0.253 | 37.97 × 10−3 |
| +20 | −159.5 | 0.084 | 12.63 × 10−3 |
| +50 | −135.1 | 0.072 | 10.74 × 10−3 |
Disclaimer/Publisher’s Note: The statements, opinions and data contained in all publications are solely those of the individual author(s) and contributor(s) and not of MDPI and/or the editor(s). MDPI and/or the editor(s) disclaim responsibility for any injury to people or property resulting from any ideas, methods, instructions or products referred to in the content. |
© 2025 by the authors. Licensee MDPI, Basel, Switzerland. This article is an open access article distributed under the terms and conditions of the Creative Commons Attribution (CC BY) license (https://creativecommons.org/licenses/by/4.0/).
Share and Cite
Wang, P.; Hao, M.; Cheng, S. Low-Friction and Corrosion-Resistant Orthodontic Stainless Steel Archwires with Functional Carbon Films. Nanomaterials 2025, 15, 1615. https://doi.org/10.3390/nano15211615
Wang P, Hao M, Cheng S. Low-Friction and Corrosion-Resistant Orthodontic Stainless Steel Archwires with Functional Carbon Films. Nanomaterials. 2025; 15(21):1615. https://doi.org/10.3390/nano15211615
Chicago/Turabian StyleWang, Pengfei, Minghui Hao, and Shiqi Cheng. 2025. "Low-Friction and Corrosion-Resistant Orthodontic Stainless Steel Archwires with Functional Carbon Films" Nanomaterials 15, no. 21: 1615. https://doi.org/10.3390/nano15211615
APA StyleWang, P., Hao, M., & Cheng, S. (2025). Low-Friction and Corrosion-Resistant Orthodontic Stainless Steel Archwires with Functional Carbon Films. Nanomaterials, 15(21), 1615. https://doi.org/10.3390/nano15211615

