Neighborhood Singular Value Decomposition Filter and Application in Adaptive Beamforming for Coherent Plane-Wave Compounding
Abstract
1. Introduction
2. Method
2.1. Coherent Plane-Wave Compounding
2.2. Singular Value Decomposition Filter for Cpwc
2.3. Neighborhood Singular Value Decomposition Filter for Cpwc
2.4. Adaptive Weighting Methods Based on Nsvd
2.4.1. Coherence Factor and Generalized Coherence Factor Weighting Methods Based on Nsvd
2.4.2. Short-Lag Spatial Coherence Weighting Methods Based on Nsvd
3. Simulation and Experimental Setup
3.1. Data Description
3.2. Image Quality Metrics
4. Results
4.1. Simulations
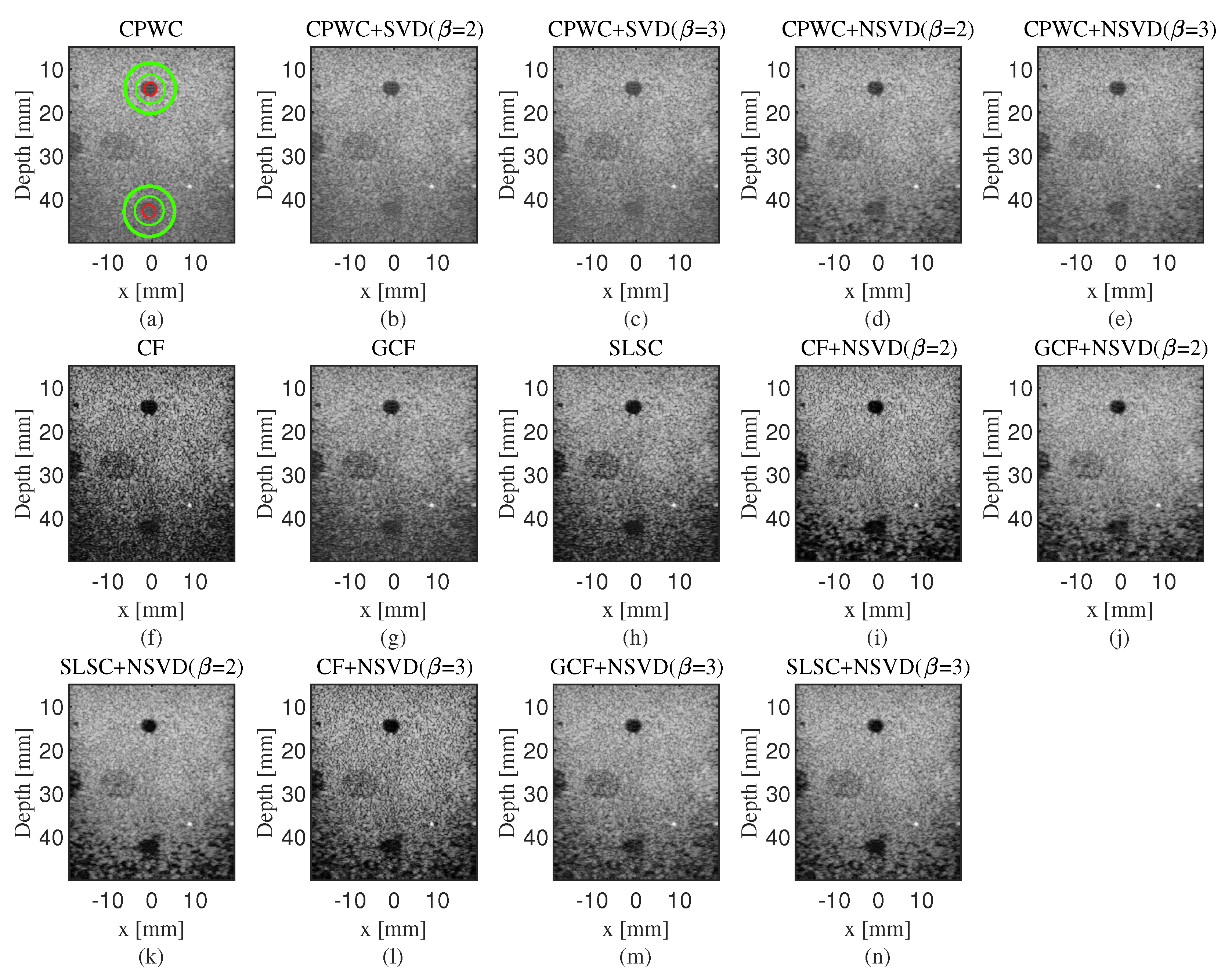
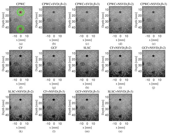
4.1.1. Simulated Phantom with Point Targets
4.1.2. Simulated Cyst Targets
4.2. Phantom Experiment
4.2.1. Experimental Phantom with Point Targets
4.2.2. Experimental Cyst Targets
4.3. In Vivo Experiment
4.4. Statistical Analysis of Results
5. Discussion
6. Conclusions
Author Contributions
Funding
Acknowledgments
Conflicts of Interest
References
- Kang, J.; Jang, W.S.; Yoo, Y. High PRF ultrafast sliding compound doppler imaging: Fully qualitative and quantitative analysis of blood flow. Phys. Med. Biol. 2018, 63, 045004. [Google Scholar] [CrossRef]
- Couture, O.; Fink, M.; Tanter, M. Ultrasound contrast plane wave imaging. IEEE Trans. Ultrason. Ferroelectr. Freq. Control. 2012, 59, 2676–2683. [Google Scholar] [CrossRef]
- Errico, C.; Pierre, J.; Pezet, S.; Desailly, Y.; Lenkei, Z.; Couture, O.; Tanter, M. Ultrafast ultrasound localization microscopy for deep super-resolution vascular imaging. Nature 2015, 527, 499–502. [Google Scholar] [CrossRef]
- Lu, J.Y. 2D and 3D high frame rate imaging with limited diffraction beams. IEEE Trans. Ultrason. Ferroelectr. Freq. Control 1997, 44, 839–856. [Google Scholar] [CrossRef]
- Lu, J.Y. Experimental study of high frame rate imaging with limited diffraction beams. IEEE Trans. Ultrason. Ferroelectr. Freq. Control 1998, 45, 84–97. [Google Scholar] [CrossRef]
- Schiffner, M.F.; Jansen, T.; Schmitz, G. Compressed Sensing for Fast Image Acquisition in Pulse-Echo Ultrasound. Biomed. Tech. 2012, 57, 192–195. [Google Scholar] [CrossRef]
- David, G.; Robert, J.; Zhang, B.; Laine, A.F. Time domain compressive beam forming of ultrasound signals. J. Acoust. Soc. Am. 2015, 137, 2773–2784. [Google Scholar] [CrossRef]
- Gasse, M.; Millioz, F.; Roux, E.; Garcia, D.; Liebgott, H.; Friboulet, D. High-Quality Plane Wave Compounding Using Convolutional Neural Networks. IEEE Trans. Ultrason. Ferroelectr. Freq. Control 2017, 64, 1637–1639. [Google Scholar] [CrossRef]
- Montaldo, G.; Tanter, M.; Bercoff, J.; Benech, N.; Fink, M. Coherent plane wave compounding for very high frame rate ultrasonography and transient elastography. IEEE Trans. Ultrason. Ferroelectr. Freq. Control 2009, 56, 489–506. [Google Scholar] [CrossRef]
- Nguyen, N.Q.; Prager, R.W. A Spatial Coherence Approach to Minimum Variance Beamforming for Plane-Wave Compounding. IEEE Trans. Ultrason. Ferroelectr. Freq. Control 2018, 65, 522–534. [Google Scholar] [CrossRef]
- Chernyakova, T.; Cohen, D.; Shoham, M.; Eldar, Y.C. iMAP Beamforming for High Quality High Frame Rate Imaging. IEEE Trans. Ultrason. Ferroelectr. Freq. Control 2019, 66, 1525–8955. [Google Scholar] [CrossRef] [PubMed]
- Mallart, R.; Fink, M. Adaptive focusing in scattering media through sound-speed inhomogeneities: The van cittert zernike approach and focusing criterion. J. Acoust. Soc. Am. 1994, 96, 3721–3732. [Google Scholar] [CrossRef]
- Hollman, K.W.; Rigby, K.W.; O’Donnell, M. Coherence factor of speckle from a multi-row probe. In Proceedings of the 1999 IEEE Ultrasonics Symposium. International Symposium (Cat. No.99CH37027), Caesars Tahoe, NV, USA, 17–20 October 1999; Volume 2, pp. 1257–1260. [Google Scholar]
- Li, P.-C.; Li, M.-L. Adaptive imaging using the generalized coherence factor. IEEE Trans. Ultrason. Ferroelectr. Freq. Control 2003, 50, 128–141. [Google Scholar] [PubMed]
- Loupas, T.; McDicken, N.W.; Allan, L.P. An adaptive weighted median filter for speckle suppression in medical ultrasonic images. IEEE Trans. Circuits Syst. 1989, 36, 129–135. [Google Scholar] [CrossRef]
- Ferraiuoli, P.; Fixsen, S.L.; Kappler, B.; Lopata, G.P.R.; Fenner, W.J.; Narracott, J.A. Measurement of in vitro cardiac deformation by means of 3D digital image correlation and ultrasound 2D speckle-tracking echocardiography. Med Eng. Phys. 2019, 74, 146–152. [Google Scholar] [CrossRef]
- Nyrnes, A.S.; Fadnes, S.; Wigen, S.M.; Mertens, L.; Lovstakken, L. Blood Speckle-Tracking Based on High–Frame Rate Ultrasound Imaging in Pediatric Cardiology. J. Am. Soc. Echocardiogr. 2020, 33, 493–503. [Google Scholar] [CrossRef]
- Lediju, M.A.; Trahey, G.E.; Byram, B.C.; Dahl, J. Short-lag spatial coherence of backscattered echoes: Imaging characteristics. IEEE Trans. Ultrason. Ferroelectr. Freq. Control 2011, 58, 1377–1388. [Google Scholar] [CrossRef]
- Zimbico, A.J.; Granado, D.W.; Schneider, F.K.; Maia, J.M.; Assef, A.A.; Schiefler, N.; Costa, E.T. Eigenspace generalized sidelobe canceller combined with SNR dependent coherence factor for plane wave imaging. Biomed. Eng. Online 2018, 17, 109. [Google Scholar] [CrossRef]
- Wang, Y.; Zheng, C.; Zhao, X.; Peng, H. Adaptive scaling Wiener postflter using generalized coherence factor for coherent plane-wave compounding. Comput. Biol. Med. 2020, 116, 103564. [Google Scholar] [CrossRef]
- Wang, Y.; Zheng, C.; Peng, H. Dynamic coherence factor based on the standard deviation for coherent plane-wave compounding. Comput. Biol. Med. 2019, 108, 249–262. [Google Scholar]
- Yang, C.; Jiao, Y.; Jiang, T.; Xu, Y.; Cui, Y. A United Sign Coherence Factor Beamformer for Coherent Plane-Wave Compounding with Improved Contrast. Appl. Sci. 2020, 10, 2250. [Google Scholar] [CrossRef]
- Chau, G.; Lavarello, R.; Dahl, J. Short-lag spatial coherence weighted minimum variance beamformer for plane-wave images. In Proceedings of the 2016 IEEE International Ultrasonics Symposium (IUS), Tours, France, 18–21 September 2016; pp. 1–3. [Google Scholar]
- Pozo, E.; Castañeda, B.; Dahl, J.; Lavarello, R. A comparison between generalized coherence factor and short-LAG spatial coherence methods. In Proceedings of the 2015 IEEE 12th International Symposium on Biomedical Imaging (ISBI), New York, NY, USA, 16–19 April 2015; pp. 231–234. [Google Scholar]
- Wang, Y.; Zheng, C.; Peng, H.; Zhang, C. Coherent plane-wave compounding based on normalized autocorrelation factor. IEEE Access 2018, 6, 36927–36938. [Google Scholar] [CrossRef]
- Zheng, C.; Wang, H.; Xu, X.; Peng, H.; Chen, Q. An adaptive imaging method for ultrasound coherent plane-wave compounding based on the subarray zero-cross factor. Ultrasonics 2020, 100, 105978. [Google Scholar] [CrossRef] [PubMed]
- Hverven, S.M.; Rindal, O.M.H.; Rodriguez-Molares, A.; Austeng, A. The influence of speckle statistics on contrast metrics in ultrasound imaging. In Proceedings of the 2017 IEEE International. Ultrasonics Symposium (IUS), Washington, DC, USA, 6–9 September 2017; pp. 1–4. [Google Scholar]
- Yu, A.C.H.; Lovstakken, L. Eigen-based clutter filter design for ultrasound color flow imaging: A review. IEEE Trans. Ultrason. Ferroelectr. Freq. Control 2010, 57, 1096–1111. [Google Scholar] [CrossRef] [PubMed]
- Demené, C.; Deffieux, T.; Pernot, M.; Osmanski, B.; Biran, V.; Gennisson, J.; Sieu, L.; Bergel, A.; Franqui, S.; Correas, J.; et al. Spatiotemporal clutter filtering of ultrafast ultrasound data highly increases Doppler and fUltrasound sensitivity. IEEE Trans. Ultrason. Ferroelectr. Freq. Control 2015, 34, 2271–2285. [Google Scholar] [CrossRef] [PubMed]
- Nayak, R.; Kumar, V.; Webb, J.; Gregory, A.; Fatemi, M.; Alizad, A. Non-contrast agent based small vessel imaging of human thyroid using motion corrected power Doppler imaging. Sci. Rep. 2018, 8, 15318. [Google Scholar] [CrossRef]
- Hasegawa, H.; Nagaoka, R. Singular value decomposition filter for speckle reduction in adaptive ultrasound imaging. Jpn. J. Appl. Phys. 2019, 58, SGGE06. [Google Scholar] [CrossRef]
- Guo, W.; Wang, Y.; Yu, J. A Sibelobe Suppressing Beamformer for Coherent plane wave compounding. Appl. Sci. 2016, 6, 359. [Google Scholar] [CrossRef]
- Schrier, J.M.M.V.; Evers, S.; Bosch, G.J.; Selles, W.R.; Amadio, C.P. Reliability of ultrasound speckle tracking with singular value decomposition for quantifying displacement in the carpal tunnel. J. Biomech. 2019, 85, 141–147. [Google Scholar] [CrossRef]
- Liebgott, H.; Rodriguez-Molares, A.; Cervenansky, F.; Jensen, J.A.; Bernard, O. Plane-Wave Imaging Challenge in Medical Ultrasound. In Proceedings of the 2016 IEEE International Ultrasonics Symposium (IUS), Tours, France, 18–21 September 2016; pp. 1–4. [Google Scholar]
- Plane-wave Imaging Challenge in Medical UltraSound (PICMUS). In Proceedings of the IEEE IUS 2016, Tours, France, 18–21 September 2016; Available online: https://www.creatis.insa-lyon.fr/Challenge/IEEE_IUS_2016/ (accessed on 28 March 2016).
- Jensen, J.A.; Svendsen, N.B. Calculation of pressure fields from arbitrarily shaped, apodized, and excited ultrasound transducers. IEEE Trans. Ultrason. Ferroelectr. Freq. Control 1992, 39, 262–267. [Google Scholar] [CrossRef]
- Jensen, J.A. Field: A program for simulating ultrasound systems. Med Biol. Eng. Comput. 1996, 34, 351–353. [Google Scholar]
- Wang, Y.; Peng, H.; Zheng, C.; Han, Z.; Qiao, H. A dynamic generalized coherence factor for side lobe suppression in ultrasound imaging. Comput. Biol. Med. 2020, 116, 103522. [Google Scholar] [CrossRef] [PubMed]
- Zhao, J.; Wang, Y.; Yu, J.; Guo, W.; Zhang, S.; Aliabadi, S. Short-lag spatial coherence ultrasound imaging with adaptive synthetic transmit aperture focusing. Ultrason. Imaging 2017, 39, 224–239. [Google Scholar] [CrossRef] [PubMed]
- Zeng, X.; Chen, C.; Wang, Y. Eigenspace-based minimum variance beamformer combined with wiener postfilter for medical ultrasound imaging. Ultrasonics 2012, 52, 996–1004. [Google Scholar] [CrossRef] [PubMed]
- Rodriguez-Molares, A.; Rindal, O.M.; Drhooge, J.; Måsøy, S.E.; Austeng, A.; Bell, M.A.L.; Torp, H. The generalized contrast-to-noise ratio: A formal definition for lesion detectability. IEEE Trans. Ultrason. Ferroelectr. Freq. Control 2019, 67, 745–759. [Google Scholar] [CrossRef]
- Zhao, J.; Wang, Y.; Yu, J.; Guo, W.; Li, T.; Zheng, Y.-P. Subarray coherence based postfilter for eigenspace based minimum variance beamformer in ultrasound plane-wave imaging. Ultrasonics 2016, 65, 23–33. [Google Scholar] [CrossRef]
- Pinton, F.G.; Trahey, E.G.; Dahl, J.J. Spatial coherence in human tissue: Implications for imaging and measurement. IEEE Trans. Ultrason. Ferroelectr. Freq. Control 2014, 61, 1976–1987. [Google Scholar] [CrossRef][Green Version]





















© 2020 by the authors. Licensee MDPI, Basel, Switzerland. This article is an open access article distributed under the terms and conditions of the Creative Commons Attribution (CC BY) license (http://creativecommons.org/licenses/by/4.0/).
Share and Cite
Feng, S.; Wang, Y.; Zheng, C.; Han, Z.; Peng, H. Neighborhood Singular Value Decomposition Filter and Application in Adaptive Beamforming for Coherent Plane-Wave Compounding. Appl. Sci. 2020, 10, 5595. https://doi.org/10.3390/app10165595
Feng S, Wang Y, Zheng C, Han Z, Peng H. Neighborhood Singular Value Decomposition Filter and Application in Adaptive Beamforming for Coherent Plane-Wave Compounding. Applied Sciences. 2020; 10(16):5595. https://doi.org/10.3390/app10165595
Chicago/Turabian StyleFeng, Shuai, Yadan Wang, Chichao Zheng, Zhihui Han, and Hu Peng. 2020. "Neighborhood Singular Value Decomposition Filter and Application in Adaptive Beamforming for Coherent Plane-Wave Compounding" Applied Sciences 10, no. 16: 5595. https://doi.org/10.3390/app10165595
APA StyleFeng, S., Wang, Y., Zheng, C., Han, Z., & Peng, H. (2020). Neighborhood Singular Value Decomposition Filter and Application in Adaptive Beamforming for Coherent Plane-Wave Compounding. Applied Sciences, 10(16), 5595. https://doi.org/10.3390/app10165595
