Dynamic Regulation of HIF1α and Oxygen-Sensing Factors in Cyclic Bovine Corpus Luteum and During LPS Challenge
Simple Summary
Abstract
1. Introduction
2. Materials and Methods
2.1. Tissue Material
2.1.1. CL Samples Collected at Different Stages of Luteal Development
2.1.2. CL Biopsies from Control and LPS-Treated Cows
2.2. RNA Isolation, Reverse Transcription, and Semi-Quantitative Real-Time TaqMan PCR
2.3. In Situ Hybridization (ISH)
2.4. Statistical Analysis
3. Results
3.1. HIF1α and Its Regulatory Factors During the Bovine Luteal Lifespan
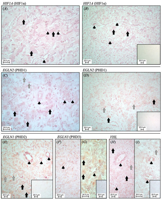
3.2. In Situ Localization of HIF1α and Its Regulatory Factors in the Bovine CL
3.3. HIF1α and Its Regulatory Factors Following LPS Treatment
3.4. The Expression of ICAM1 and NFΚB2 in the CL of LPS-Treated Cows
4. Discussion
5. Conclusions
Author Contributions
Funding
Institutional Review Board Statement
Informed Consent Statement
Data Availability Statement
Acknowledgments
Conflicts of Interest
References
- Schams, D.; Berisha, B. Regulation of Corpus Luteum Function in Cattle—An Overview. Reprod. Domest. Anim. 2004, 39, 241–251. [Google Scholar] [CrossRef]
 - Forde, N.; Beltman, M.E.; Lonergan, P.; Diskin, M.; Roche, J.F.; Crowe, M.A. Oestrous Cycles in Bos Taurus Cattle. Anim. Reprod. Sci. 2011, 124, 163–169. [Google Scholar] [CrossRef] [PubMed]
 - Semenza, G.L. HIF-1: Mediator of Physiological and Pathophysiological Responses to Hypoxia. J. Appl. Physiol. 2000, 88, 1153–1510. [Google Scholar] [CrossRef]
 - Semenza, G.L. Hypoxia-Inducible Factor 1: Master Regulator of O2 Homeostasis. Curr. Opin. Genet. Dev. 1998, 8, 588–594. [Google Scholar] [CrossRef]
 - Nishimura, R.; Okuda, K. Multiple Roles of Hypoxia in Bovine Corpus Luteum. J. Reprod. Dev. 2020, 66, 307–310. [Google Scholar] [CrossRef] [PubMed]
 - Kowalewski, M.P.; Gram, A.; Boos, A. The Role of Hypoxia and HIF1α in the Regulation of STAR-Mediated Steroidogenesis in Granulosa Cells. Mol. Cell. Endocrinol. 2015, 401, 35–44. [Google Scholar] [CrossRef] [PubMed]
 - Meidan, R.; Klipper, E.; Zalman, Y.; Yalu, R. The Role of Hypoxia-Induced Genes in Ovarian Angiogenesis. Reprod. Fertil. Dev. 2013, 25, 343–350. [Google Scholar] [CrossRef] [PubMed]
 - Juengel, J.L.; Garverick, A.; Johnson, A.L.; Youngquist, R.S.; Smith, M.F. Apoptosis during Luteal Regression. Endocrinology 1993, 132, 249–254. [Google Scholar] [CrossRef] [PubMed]
 - Nishimura, R.; Okuda, K. Multiple Roles of Hypoxia in Ovarian Function: Roles of Hypoxia-Inducible Factor-Related and-Unrelated Signals during the Luteal Phase. Reprod. Fertil. Dev. 2015, 28, 1479–1486. [Google Scholar] [CrossRef]
 - Wise, T.H.; Caton, D.; Thatcher, W.W.; Barron, D.H.; Fields, M.J. Ovarian Function during the Estrous Cycle of the Cow: Ovarian Blood Flow and Progesterone Release Rate. J. Anim. Sci. 1982, 55, 627–637. [Google Scholar] [CrossRef] [PubMed]
 - Nishimura, R.; Sakumoto, R.; Tatsukawa, Y.; Acosta, T.J.; Okuda, K. Oxygen Concentration Is an Important Factor for Modulating Progesterone Synthesis in Bovine Corpus Luteum. Endocrinology 2006, 147, 4273–4280. [Google Scholar] [CrossRef]
 - Guzy, R.D.; Schumacker, P.T. Oxygen Sensing by Mitochondria at Complex III: The Paradox of Increased Reactive Oxygen Species during Hypoxia. Exp. Physiol. 2006, 91, 807–819. [Google Scholar] [CrossRef]
 - Gysin, T.; Kowalewski, M.P. The Involvement of Hypoxia-Inducible Factor 1α (HIF1α)-Stabilising Factors in Steroidogenic Acute Regulatory (STAR) Protein-Dependent Steroidogenesis in Murine KK1 Granulosa Cells in Vitro. Reprod. Fertil. Dev. 2021, 33, 865–880. [Google Scholar] [CrossRef] [PubMed]
 - Wiener, C.M.; Booth, G.; Semenza, G.L. In Vivo Expression of MRNAs Encoding Hypoxia-Inducible Factor 1. Biochem. Biophys. Res. Commun. 1996, 225, 485–488. [Google Scholar] [CrossRef]
 - Wang, G.L.; Jiang, B.H.; Rue, E.A.; Semenza, G.L. Hypoxia-Inducible Factor 1 Is a Basic-Helix-Loop-Helix-PAS Heterodimer Regulated by Cellular O2 Tension. Proc. Natl. Acad. Sci. USA 1995, 92, 5510–5514. [Google Scholar] [CrossRef] [PubMed]
 - Alam, H.; Maizels, E.T.; Park, Y.; Ghaey, S.; Feiger, Z.J.; Chandel, N.S.; Hunzicker-Dunn, M. Follicle-Stimulating Hormone Activation of Hypoxia-Inducible Factor-1 by the Phosphatidylinositol 3-Kinase/AKT/Ras Homolog Enriched in Brain (Rheb)/Mammalian Target of Rapamycin (MTOR) Pathway Is Necessary for Induction of Select Protein Markers of Follic. J. Biol. Chem. 2004, 279, 19431–19440. [Google Scholar] [CrossRef] [PubMed]
 - Fukuda, R.; Hirota, K.; Fan, F.; Jung, Y.D.; Ellis, L.M.; Semenza, G.L. Insulin-like Growth Factor 1 Induces Hypoxia-Inducible Factor 1-Mediated Vascular Endothelial Growth Factor Expression, Which Is Dependent on MAP Kinase and Phosphatidylinositol 3-Kinase Signaling in Colon Cancer Cells. J. Biol. Chem. 2002, 277, 38205–38211. [Google Scholar] [CrossRef]
 - Rico, C.; Dodelet-Devillers, A.; Paquet, M.; Tsoi, M.; Lapointe, E.; Carmeliet, P.; Boerboom, D. HIF1 Activity in Granulosa Cells Is Required for FSH-Regulated Vegfa Expression and Follicle Survival in Mice. Biol. Reprod. 2014, 90, 1–7. [Google Scholar] [CrossRef] [PubMed]
 - Huang, L.E.; Arany, Z.; Livingston, D.M.; Franklin Bunn, H. Activation of Hypoxia-Inducible Transcription Factor Depends Primarily upon Redox-Sensitive Stabilization of Its α Subunit. J. Biol. Chem. 1996, 271, 32253–32259. [Google Scholar] [CrossRef]
 - Bruick, R.K.; McKnight, S.L. A Conserved Family of Prolyl-4-Hydroxylases That Modify HIF. Science 2001, 294, 1337–1340. [Google Scholar] [CrossRef] [PubMed]
 - Epstein, A.C.R.; Gleadle, J.M.; McNeill, L.A.; Hewitson, K.S.; O’Rourke, J.; Mole, D.R.; Mukherji, M.; Metzen, E.; Wilson, M.I.; Dhanda, A.; et al. C. Elegans EGL-9 and Mammalian Homologs Define a Family of Dioxygenases That Regulate HIF by Prolyl Hydroxylation. Cell 2001, 107, 43–54. [Google Scholar] [CrossRef] [PubMed]
 - Elkins, J.M.; Hewitson, K.S.; McNeill, L.A.; Seibel, J.F.; Schlemminger, I.; Pugh, C.W.; Ratcliffe, P.J.; Schofield, C.J. Structure of Factor-Inhibiting Hypoxia-Inducible Factor (HIF) Reveals Mechanism of Oxidative Modification of HIF-1α. J. Biol. Chem. 2003, 278, 1802–1806. [Google Scholar] [CrossRef]
 - Hewitson, K.S.; McNeill, L.A.; Riordan, M.V.; Tian, Y.M.; Bullock, A.N.; Welford, R.W.; Elkins, J.M.; Oldham, N.J.; Bhattacharya, S.; Gleadle, J.M.; et al. Hypoxia-Inducible Factor (HIF) Asparagine Hydroxylase Is Identical to Factor Inhibiting HIF (FIH) and Is Related to the Cupin Structural Family. J. Biol. Chem. 2002, 277, 26351–26355. [Google Scholar] [CrossRef]
 - Freedman, S.J.; Sun, Z.Y.J.; Poy, F.; Kung, A.L.; Livingston, D.M.; Wagner, G.; Eck, M.J. Structural Basis for Recruitment of CBP/P300 by Hypoxia-Inducible Factor-1α. Proc. Natl. Acad. Sci. USA 2002, 99, 5367–5372. [Google Scholar] [CrossRef] [PubMed]
 - Jaakkola, P.; Mole, D.R.; Tian, Y.M.; Wilson, M.I.; Gielbert, J.; Gaskell, S.J.; Von Kriegsheim, A.; Hebestreit, H.F.; Mukherji, M.; Schofield, C.J.; et al. Targeting of HIF-α to the von Hippel-Lindau Ubiquitylation Complex by O2-Regulated Prolyl Hydroxylation. Science 2001, 292, 468–472. [Google Scholar] [CrossRef] [PubMed]
 - Huang, L.E.; Gu, J.; Schau, M.; Bunn, H.F. Regulation of Hypoxia-Inducible Factor 1α Is Mediated by an O2-Dependent Degradation Domain via the Ubiquitin-Proteasome Pathway. Proc. Natl. Acad. Sci. USA 1998, 95, 7987–7992. [Google Scholar] [CrossRef]
 - Hertl, J.A.; Gröhn, Y.T.; Leach, J.D.G.; Bar, D.; Bennett, G.J.; González, R.N.; Rauch, B.J.; Welcome, F.L.; Tauer, L.W.; Schukken, Y.H. Effects of Clinical Mastitis Caused by Gram-Positive and Gram-Negative Bacteria and Other Organisms on the Probability of Conception in New York State Holstein Dairy Cows. J. Dairy Sci. 2010, 93, 1551–1560. [Google Scholar] [CrossRef] [PubMed]
 - Sheldon, I.M.; Williams, E.J.; Miller, A.N.A.; Nash, D.M.; Herath, S. Uterine Diseases in Cattle after Parturition. Vet. J. 2008, 176, 115–121. [Google Scholar] [CrossRef] [PubMed]
 - Sheldon, I.M.; Rycroft, A.N.; Dogan, B.; Craven, M.; Bromfield, J.J.; Chandler, A.; Roberts, M.H.; Price, S.B.; Gilbert, R.O.; Simpson, K.W. Specific Strains of Escherichia Coli Are Pathogenic for the Endometrium of Cattle and Cause Pelvic Inflammatory Disease in Cattle and Mice. PLoS ONE 2010, 5, 9192. [Google Scholar] [CrossRef]
 - Barker, A.R.; Schrick, F.N.; Lewis, M.J.; Dowlen, H.H.; Oliver, S.P. Influence of Clinical Mastitis during Early Lactation on Reproductive Performance of Jersey Cows. J. Dairy Sci. 1998, 81, 1285–1290. [Google Scholar] [CrossRef]
 - Sheldon, I.M.; Cronin, J.; Goetze, L.; Donofrio, G.; Schuberth, H.J. Defining Postpartum Uterine Disease and the Mechanisms of Infection and Immunity in the Female Reproductive Tract in Cattle. Biol. Reprod. 2009, 81, 1025–1032. [Google Scholar] [CrossRef]
 - Lüttgenau, J.; Herzog, K.; Strüve, K.; Latter, S.; Boos, A.; Bruckmaier, R.M.; Bollwein, H.; Kowalewski, M.P. LPS-Mediated Effects and Spatio-Temporal Expression of TLR2 and TLR4 in the Bovine Corpus Luteum. Reproduction 2016, 151, 391–399. [Google Scholar] [CrossRef] [PubMed]
 - Herzog, K.; Strüve, K.; Kastelic, J.P.; Piechotta, M.; Ulbrich, S.E.; Pfarrer, C.; Shirasuna, K.; Shimizu, T.; Miyamoto, A.; Bollwein, H. Escherichia Coli Lipopolysaccharide Administration Transiently Suppresses Luteal Structure and Function in Diestrous Cows. Reproduction 2012, 144, 467–476. [Google Scholar] [CrossRef]
 - Qu, X.; Yan, L.; Guo, R.; Li, H.; Shi, Z. ROS-Induced GATA4 and GATA6 Downregulation Inhibits StAR Expression in LPS-Treated Porcine Granulosa-Lutein Cells. Oxid. Med. Cell. Longev. 2019, 2019, 2792. [Google Scholar] [CrossRef] [PubMed]
 - Gram, A.; Kowalewski, M.P. Molecular Mechanisms of Lipopolysaccharide (LPS) Induced Inflammation in an Immortalized Ovine Luteal Endothelial Cell Line (OLENDO). Vet. Sci. 2022, 9, 99. [Google Scholar] [CrossRef] [PubMed]
 - Gram, A.; Grazul-Bilska, A.T.; Boos, A.; Rahman, N.A.; Kowalewski, M.P. Lipopolysaccharide Disrupts Gap Junctional Intercellular Communication in an Immortalized Ovine Luteal Endothelial Cell Line. Toxicol. Vitr. 2019, 60, 437–449. [Google Scholar] [CrossRef] [PubMed]
 - Hortelano, S.; López-Fontal, R.; Través, P.G.; Villa, N.; Grashoff, C.; Boscá, L.; Luque, A. ILK Mediates LPS-Induced Vascular Adhesion Receptor Expression and Subsequent Leucocyte Trans-Endothelial Migration. Cardiovasc. Res. 2010, 86, 283–292. [Google Scholar] [CrossRef] [PubMed]
 - Takeuchi, S.; Kawashima, S.; Rikitake, Y.; Ueyama, T.; Inoue, N.; Hirata, K.I.; Yokoyama, M. Cerivastatin Suppresses Lipopolysaccharide-Induced ICAM-1 Expression through Inhibition of Rho GTPase in BAEC. Biochem. Biophys. Res. Commun. 2000, 269, 97–102. [Google Scholar] [CrossRef] [PubMed]
 - Dragoni, S.; Hudson, N.; Kenny, B.-A.; Burgoyne, T.; McKenzie, J.A.; Gill, Y.; Blaber, R.; Futter, C.E.; Adamson, P.; Greenwood, J.; et al. Endothelial MAPKs Direct ICAM-1 Signaling to Divergent Inflammatory Functions. J. Immunol. 2017, 198, 4074–4085. [Google Scholar] [CrossRef]
 - Vallabhapurapu, S.; Karin, M. Regulation and Function of NF-ΚB Transcription Factors in the Immune System. Annu. Rev. Immunol. 2009, 27, 693–733. [Google Scholar] [CrossRef]
 - Miyamoto, Y.; Skarzynski, D.J.; Okuda, K. Is Tumor Necrosis Factor a Trigger for the Initiation of Endometrial Prostaglandin F(2α) Release at Luteolysis in Cattle? Biol. Reprod. 2000, 62, 1109–1115. [Google Scholar] [CrossRef]
 - Xie, F.; Wang, J.; Zhang, B. RefFinder: A Web-Based Tool for Comprehensively Analyzing and Identifying Reference Genes. Funct. Integr. Genomics 2023, 23, 1–5. [Google Scholar] [CrossRef] [PubMed]
 - Kowalewski, M.P.; Mason, J.I.; Howie, A.F.; Morley, S.D.; Schuler, G.; Hoffmann, B. Characterization of the Canine 3β-Hydroxysteroid Dehydrogenase and Its Expression in the Corpus Luteum during Diestrus. J. Steroid Biochem. Mol. Biol. 2006, 101, 254–262. [Google Scholar] [CrossRef] [PubMed]
 - Berisha, B.; Schams, D.; Rodler, D.; Pfaffl, M.W. Angiogenesis in The Ovary—The Most Important Regulatory Event for Follicle and Corpus Luteum Development and Function in Cow—An Overview. J. Vet. Med. Ser. C Anat. Histol. Embryol. 2015, 45, 124–130. [Google Scholar] [CrossRef] [PubMed]
 - Nishimura, R.; Okuda, K. Hypoxia Is Important for Establishing Vascularization during Corpus Luteum Formation in Cattle. J. Reprod. Dev. 2010, 56, 110–116. [Google Scholar] [CrossRef]
 - Hasegawa, H.; Nishimura, R.; Yamashita, M.; Yamaguchi, T.; Hishinuma, M.; Okuda, K. Effect of Hypoxia on Progesterone Production by Cultured Bovine Early and Mid Luteal Cells. J. Reprod. Dev. 2019, 65, 67–72. [Google Scholar] [CrossRef]
 - Baddela, V.S.; Sharma, A.; Michaelis, M.; Vanselow, J. HIF1 Driven Transcriptional Activity Regulates Steroidogenesis and Proliferation of Bovine Granulosa Cells. Sci. Rep. 2020, 10, 3906. [Google Scholar] [CrossRef]
 - Klipper, E.; Levit, A.; Mastich, Y.; Berisha, B.; Schams, D.; Meidan, R. Induction of Endothelin-2 Expression by Luteinizing Hormone and Hypoxia: Possible Role in Bovine Corpus Luteum Formation. Endocrinology 2010, 151, 1914–1922. [Google Scholar] [CrossRef]
 - Sousa, L.M.M.D.C.; Silva, R.d.S.; da Fonseca, V.U.; Leandro, R.M.; Di Vincenzo, T.S.; Alves-Wagner, A.B.; Machado, U.F.; De Papa, P.C. Is the Canine Corpus Luteum an Insulin-Sensitive Tissue? J. Endocrinol. 2016, 231, 223–233. [Google Scholar] [CrossRef] [PubMed]
 - Kumar, A.; Rani, L.; Dhole, B. Role of Oxygen in the Regulation of Leydig Tumor Derived MA-10 Cell Steroid Production: The Effect of Cobalt Chloride. Syst. Biol. Reprod. Med. 2014, 60, 112–118. [Google Scholar] [CrossRef] [PubMed][Green Version]
 - Fadhillah; Yoshioka, S.; Nishimura, R.; Yamamoto, Y.; Kimura, K.; Okuda, K. Hypoxia-Inducible Factor 1 Mediates Hypoxia-Enhanced Synthesis of Progesterone during Luteinization of Granulosa Cells. J. Reprod. Dev. 2017, 63, 75–85. [Google Scholar] [CrossRef]
 - Miikkulainen, P.; Högel, H.; Rantanen, K.; Suomi, T.; Kouvonen, P.; Elo, L.L.; Jaakkola, P.M. HIF Prolyl Hydroxylase PHD3 Regulates Translational Machinery and Glucose Metabolism in Clear Cell Renal Cell Carcinoma. Cancer Metab. 2017, 5, 5. [Google Scholar] [CrossRef]
 - Yano, H.; Sakai, M.; Matsukawa, T.; Yagi, T.; Naganuma, T.; Mitsushima, M.; Iida, S.; Inaba, Y.; Inoue, H.; Unoki-Kubota, H.; et al. PHD3 Regulates Glucose Metabolism by Suppressing Stress-Induced Signalling and Optimising Gluconeogenesis and Insulin Signalling in Hepatocytes. Sci. Rep. 2018, 8, 14290. [Google Scholar] [CrossRef] [PubMed]
 - Dupont, J.; Scaramuzzi, R.J. Insulin Signalling and Glucose Transport in the Ovary and Ovarian Function during the Ovarian Cycle. Biochem. J. 2016, 473, 1483–1501. [Google Scholar] [CrossRef] [PubMed]
 - Nishimoto, H.; Matsutani, R.; Yamamoto, S.; Takahashi, T.; Hayashi, K.G.; Miyamoto, A.; Hamano, S.; Tetsuka, M. Gene Expression of Glucose Transporter (GLUT) 1, 3 and 4 in Bovine Follicle and Corpus Luteum. J. Endocrinol. 2006, 188, 111–119. [Google Scholar] [CrossRef]
 - Chen, C.; Pore, N.; Behrooz, A.; Ismail-Beigi, F.; Maity, A. Regulation of Glut1 MRNA by Hypoxia-Inducible Factor-1: Interaction between H-Ras and Hypoxia. J. Biol. Chem. 2001, 276, 9519–9525. [Google Scholar] [CrossRef] [PubMed]
 - Nishimura, R.; Hasegawa, H.; Yamashita, M.; Ito, N.; Okamoto, Y.; Takeuchi, T.; Kubo, T.; Iga, K.; Kimura, K.; Hishinuma, M.; et al. Hypoxia Increases Glucose Transporter 1 Expression in Bovine Corpus Luteum at the Early Luteal Stage. J. Vet. Med. Sci. 2017, 79, 1878–1883. [Google Scholar] [CrossRef] [PubMed]
 - Chase, C.C.; Del Vecchio, R.P.; Smith, S.B.; Randel, R.D. In Vitro Metabolism of Glucose by Bovine Reproductive Tissues Obtained during the Estrous Cycle and after Calving. J. Anim. Sci. 1992, 70, 1496–1508. [Google Scholar] [CrossRef][Green Version]
 - Wang, X.; Zou, Z.; Yang, Z.; Jiang, S.; Lu, Y.; Wang, D.; Dong, Z.; Xu, S.; Zhu, L. HIF 1 Inhibits STAR Transcription and Testosterone Synthesis in Murine Leydig Cells. J. Mol. Endocrinol. 2019, 62, 1–13. [Google Scholar] [CrossRef] [PubMed]
 - Berisha, B.; Schams, D.; Rodler, D.; Sinowatz, F.; Pfaffl, M.W. Expression Pattern of HIF1alpha and Vasohibins during Follicle Maturation and Corpus Luteum Function in the Bovine Ovary. Reprod. Domest. Anim. 2017, 52, 130–139. [Google Scholar] [CrossRef]
 - Weber, D.M.; Fields, P.A.; Romrell, L.J.; Tumwasorn, S.; Ball, B.A.; Drost, M.; Fields, M.J. Functional Differences between Small and Large Luteal of the Late-Pregnant vs. Nonpregnant Cow. Biol. Reprod. 1987, 37, 685–697. [Google Scholar] [CrossRef] [PubMed]
 - Soilleux, E.J.; Turley, H.; Tian, Y.M.; Pugh, C.W.; Gatter, K.C.; Harris, A.L. Use of Novel Monoclonal Antibodies to Determine the Expression and Distribution of the Hypoxia Regulatory Factors PHD-1, PHD-2, PHD-3 and FIH in Normal and Neoplastic Human Tissues. Histopathology 2005, 47, 602–610. [Google Scholar] [CrossRef]
 - Fong, G.H.; Takeda, K. Role and Regulation of Prolyl Hydroxylase Domain Proteins. Cell Death Differ. 2008, 15, 635–641. [Google Scholar] [CrossRef] [PubMed]
 - Semenza, G.L. Targeting HIF-1 for Cancer Therapy. Nat. Rev. Cancer 2003, 3, 721–732. [Google Scholar] [CrossRef] [PubMed]
 - Zhang, Z.; Tang, Z.; Wang, Z.; Pang, X.; Yin, D. Effects of HIF Prolyl Hydoxylase-2 Silencing on Hypoxia-Induced Vascular Endothelial Growth Factor Expression in Luteal Cells. In Proceedings of the International Conference on Engineering Technologies, Engineering Education and Engineering Management (ETEEEM 2014), Hong Kong, China, 15–16 November 2014; Volume 14, pp. 991–997. [Google Scholar] [CrossRef]
 - de Rojas-P, I.; Albiñana, V.; Taranets, L.; Recio-Poveda, L.; Cuesta, A.M.; Popov, N.; Kronenberger, T.; Botella, L.M. The Endothelial Landscape and Its Role in von Hippel–Lindau Disease. Cells 2021, 10, 2313. [Google Scholar] [CrossRef] [PubMed]
 - Singh, A.D.; Shields, C.L.; Shields, J.A. Von Hippel-Lindau Disease. Surv. Ophthalmol. 2001, 46, 117–142. [Google Scholar] [CrossRef]
 - Blouin, C.C.; Pagé, E.L.; Soucy, G.M.; Richard, D.E. Hypoxic Gene Activation by Lipopolysaccharide in Macrophages: Implication of Hypoxia-Inducible Factor 1α. Blood 2004, 103, 1124–1130. [Google Scholar] [CrossRef] [PubMed]
 - Chen, Q.; Cui, K.; Zhao, Z.; Xu, X.; Liu, Y.; Shen, Y.; Chen, F.; Mai, K.; Ai, Q. LPS Stimulation Stabilizes HIF-1α by Enhancing HIF-1α Acetylation via the PARP1-SIRT1 and ACLY-Tip60 Pathways in Macrophages. FASEB J. 2022, 36, e22418. [Google Scholar] [CrossRef]
 - Nishi, K.; Oda, T.; Takabuchi, S.; Oda, S.; Fukuda, K.; Adachi, T.; Semenza, G.L.; Shingu, K.; Hirota, K. LPS Induces Hypoxia-Inducible Factor 1 Activation in Macrophage- Differentiated Cells in a Reactive Oxygen Species-Dependent Manner. Antioxidants Redox Signal. 2008, 10, 983–995. [Google Scholar] [CrossRef]
 - Zhao, B.; Niu, X.; Huang, S.; Yang, J.; Wei, Y.; Wang, X.; Wang, J.; Wang, Y.; Guo, X. TLR4 Agonist and Hypoxia Synergistically Promote the Formation of TLR4/NF- κ B/HIF-1 α Loop in Human Epithelial Ovarian Cancer. Anal. Cell. Pathol. 2022, 2022, 1262. [Google Scholar] [CrossRef] [PubMed]
 - Kowalik, M.K.; Dobrzyn, K.; Mlynarczuk, J.; Rekawiecki, R. Effect of Steroid Hormones, Prostaglandins (E2 and F2α), Oxytocin, and Tumor Necrosis Factor Alpha on Membrane Progesterone (P4) Receptors Gene Expression in Bovine Myometrial Cells. Animals 2022, 12, 519. [Google Scholar] [CrossRef] [PubMed]
 - Rekawiecki, R.; Kowalik, M.K.; Kotwica, J. The Expression of Progesterone Receptor Coregulators MRNA and Protein in Corpus Luteum and Endometrium of Cows during the Estrous Cycle. Anim. Reprod. Sci. 2017, 183, 102–109. [Google Scholar] [CrossRef] [PubMed]
 - Kiss, J.; Mollenhauer, M.; Walmsley, S.R.; Kirchberg, J.; Radhakrishnan, P.; Niemietz, T.; Dudda, J.; Steinert, G.; Whyte, M.K.B.; Carmeliet, P.; et al. Loss of the Oxygen Sensor PHD3 Enhances the Innate Immune Response to Abdominal Sepsis. J. Immunol. 2012, 189, 1955–1965. [Google Scholar] [CrossRef] [PubMed]
 - Winning, S.; Splettstoesser, F.; Fandrey, J.; Frede, S. Acute Hypoxia Induces HIF-Independent Monocyte Adhesion to Endothelial Cells through Increased Intercellular Adhesion Molecule-1 Expression: The Role of Hypoxic Inhibition of Prolyl Hydroxylase Activity for the Induction of NF-ΚB. J. Immunol. 2010, 185, 1786–1793. [Google Scholar] [CrossRef]
 - Takeda, K.; Ichiki, T.; Narabayashi, E.; Inanaga, K.; Miyazaki, R.; Hashimoto, T.; Matsuura, H.; Ikeda, J.; Miyata, T.; Sunagawa, K. Inhibition of Prolyl Hydroxylase Domain-Containing Protein Suppressed Lipopolysaccharide-Induced TNF-α Expression. Arterioscler. Thromb. Vasc. Biol. 2009, 29, 2132–2137. [Google Scholar] [CrossRef]
 - Cummins, E.P.; Seeballuck, F.; Keely, S.J.; Mangan, N.E.; Callanan, J.J.; Fallon, P.G.; Taylor, C.T. The Hydroxylase Inhibitor Dimethyloxalylglycine Is Protective in a Murine Model of Colitis. Gastroenterology 2008, 134, 156–165. [Google Scholar] [CrossRef] [PubMed]
 - Morise, Z.; Eppihimer, M.; Granger, D.N.; Anderson, D.C.; Grisham, M.B. Effects of Lipopolysaccharide on Endothelial Cell Adhesion Molecule Expression in Interleukin-10 Deficient Mice. Inflammation 1999, 23, 99–110. [Google Scholar] [CrossRef]
 - Fitzpatrick, S.F.; Fábián, Z.; Schaible, B.; Lenihan, C.R.; Schwarzl, T.; Rodriguez, J.; Zheng, X.; Li, Z.; Tambuwala, M.M.; Higgins, D.G.; et al. Prolyl Hydroxylase-1 Regulates Hepatocyte Apoptosis in an NF-ΚB-Dependent Manner. Biochem. Biophys. Res. Commun. 2016, 474, 579–586. [Google Scholar] [CrossRef]
 - Adluri, R.S.; Thirunavukkarasu, M.; Dunna, N.R.; Zhan, L.; Oriowo, B.; Takeda, K.; Sanchez, J.A.; Otani, H.; Maulik, G.; Fong, G.H.; et al. Disruption of Hypoxia-Inducible Transcription Factor-Prolyl Hydroxylase Domain-1 (PHD-1 -/-) Attenuates Ex Vivo Myocardial Ischemia/Reperfusion Injury through Hypoxia-Inducible Factor-1α Transcription Factor and Its Target Genes in Mice. Antioxidants Redox Signal. 2011, 15, 1789–1797. [Google Scholar] [CrossRef]
 - Sawa, Y.; Ueki, T.; Hata, M.; Iwasawa, K.; Tsuruga, E.; Kojima, H.; Ishikawa, H.; Yoshida, S. LPS-Induced IL-6, IL-8, VCAM-1, and ICAM-1 Expression in Human Lymphatic Endothelium. J. Histochem. Cytochem. 2008, 56, 97–109. [Google Scholar] [CrossRef]
 - Wong, D.; Dorovini-Zis, K. Upregulation of Intercellular Adhesion Molecule-1 (ICAM-1) Expression in Primary Cultures of Human Brain Microvessel Endothelial Cells by Cytokines and Lipopolysaccharide. J. Neuroimmunol. 1992, 39, 11–21. [Google Scholar] [CrossRef] [PubMed]
 - Yan, W.; Zhao, K.; Jiang, Y.; Huang, Q.; Wang, J.; Kan, W.; Wang, S. Role of P38 MAPK in ICAM-1 Expression of Vascular Endothelial Cells Induced by Lipopolysaccharide. Shock 2002, 17, 433–438. [Google Scholar] [CrossRef] [PubMed]
 





| Gene | Accession Numbers | Primer Sequence | Product Length (bp) | |
|---|---|---|---|---|
| HIF1A | NM_174339.3 | * Prod. Nr. Bt03259341_m1 | 109 | |
| EGLN1 (PHD2) | NM_001206046.2 | * Prod. Nr. Bt00991948_m1 | 105 | |
| EGLN2 (PHD1) | NM_001102193.1 | * Prod. Nr. Bt03273704_m1 | 87 | |
| EGLN3 (PHD3) | NM_001101164.2 | * Prod. Nr. Bt03272110_m1 | 67 | |
| HIF1AN (FIH) | NM_001083443.2 | * Prod. Nr. Bt03256248_m1 | 75 | |
| VHL | NM_001110019.1 | * Prod. Nr. Bt03276144_m1 | 103 | |
| ICAM1 | NM_174348.2 | * Prod. Nr. Bt03213906_m1 | 101 | |
| NFKB2 | NM_001102101.1 | * Prod. Nr. Bt03272792_g1 | 101 | |
| ACTINB | NM_173979.3 | * Prod. Nr. Bt03279175_g1 | 144 | |
| GAPDH | NM_001034034 | Forward | 5′-GCGATACTCACTCTTCTACCTTCGA-3′ | 82 | 
| Reverse | 5′-TCGTACCAGGAAATGAGCTTGAC-3′ | |||
| TaqMan probe | 5′-CTGGCATTGCCCTCAACGACCACT-3′ | |||
| Gene | Accession Numbers | Primer Sequences for ISH | Product Length (bp) | |
|---|---|---|---|---|
| EGLN1 | NM_001206046 | Forward | 5′-CTGGCGCTGGAGTACATC-3′ | 261 | 
| (PHD2) | Reverse | 5′-CAGGTCGTCCATGTTGTTC-3′ | ||
| EGLN2 | NM_001102193 | Forward | 5′-ACGGGCGCTGCATCACTTGT-3′ | 275 | 
| (PHD1) | Reverse | 5′-CCCTTTCTGTCCTGATGCTA-3′ | ||
| EGLN3 | NM_001101164 | Forward | 5′-GCTTGCTACCCAGGAAATG-3′ | 346 | 
| (PHD3) | Reverse | 5′-CAGTAAGGGCAGGTTCAGTC-3′ | ||
| VHL | NM_001110019 | Forward | 5′-CCAGGTCATCTTCTGCAAC-3′ | 340 | 
| Reverse | 5′-GTAGAGGGATCGCACAATG-3′ | |||
| HIF1A | NM_174339.3 | Forward | 5′-CTCACCATCAGCTATTTGCG-3′ | 314 | 
| Reverse | 5′-CTCCGCTGTGTATTTTGCTC-3′ | |||
Disclaimer/Publisher’s Note: The statements, opinions and data contained in all publications are solely those of the individual author(s) and contributor(s) and not of MDPI and/or the editor(s). MDPI and/or the editor(s) disclaim responsibility for any injury to people or property resulting from any ideas, methods, instructions or products referred to in the content.  | 
© 2025 by the authors. Licensee MDPI, Basel, Switzerland. This article is an open access article distributed under the terms and conditions of the Creative Commons Attribution (CC BY) license (https://creativecommons.org/licenses/by/4.0/).
Share and Cite
Berto Gomes, L.A.; Smith, O.E.; Bollwein, H.; Kowalewski, M.P. Dynamic Regulation of HIF1α and Oxygen-Sensing Factors in Cyclic Bovine Corpus Luteum and During LPS Challenge. Animals 2025, 15, 595. https://doi.org/10.3390/ani15040595
Berto Gomes LA, Smith OE, Bollwein H, Kowalewski MP. Dynamic Regulation of HIF1α and Oxygen-Sensing Factors in Cyclic Bovine Corpus Luteum and During LPS Challenge. Animals. 2025; 15(4):595. https://doi.org/10.3390/ani15040595
Chicago/Turabian StyleBerto Gomes, Luiz Antonio, Olivia Eilers Smith, Heinrich Bollwein, and Mariusz Pawel Kowalewski. 2025. "Dynamic Regulation of HIF1α and Oxygen-Sensing Factors in Cyclic Bovine Corpus Luteum and During LPS Challenge" Animals 15, no. 4: 595. https://doi.org/10.3390/ani15040595
APA StyleBerto Gomes, L. A., Smith, O. E., Bollwein, H., & Kowalewski, M. P. (2025). Dynamic Regulation of HIF1α and Oxygen-Sensing Factors in Cyclic Bovine Corpus Luteum and During LPS Challenge. Animals, 15(4), 595. https://doi.org/10.3390/ani15040595
        
