Dequalinium Chloride Effectively Disrupts Bacterial Vaginosis (BV) Gardnerella spp. Biofilms
Abstract
1. Introduction
2. Methods
2.1. Bacterial Strains and Growth Conditions
2.2. Test Substances
2.3. Culture Conditions for Gardnerella spp. Biofilm Formation
2.4. Evaluation of Gardnerella spp. Biofilm Metabolic Activity (MTT) and Biomass (CV)
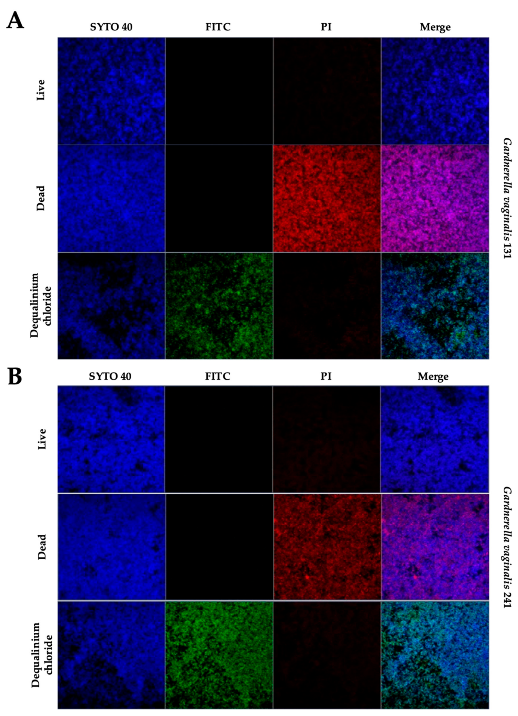
2.5. Visualization of the Effect of Dequalinium Chloride Against Formed Gardnerella spp. Biofilms
2.6. Study of the Ability of DQC to Penetrate Biofilms of Gardnerella spp.
2.7. Analysis of Results
3. Results and Discussion
3.1. Comparison of the Gardnerella spp. Ability to form Biofilms Using Two Culture Media
3.2. Comparison of Antibiofilm Activity of DQC and Clindamycin Against Gardnerella spp.
3.3. DQC Interferes with Gardnerella spp. Biofilms by a Nonspecific Mechanism
4. Conclusions
Supplementary Materials
Author Contributions
Funding
Data Availability Statement
Conflicts of Interest
References
- Machado, D.; Castro, J.; Palmeira-de-Oliveira, A.; Martinez-de-Oliveira, J.; Cerca, N. Bacterial Vaginosis Biofilms: Challenges to Current Therapies and Emerging Solutions. Front. Microbiol. 2015, 6, 1528. [Google Scholar] [CrossRef] [PubMed]
- Dongari-Bagtzoglou, A. Pathogenesis of mucosal biofilm infections: Challenges and progress. Expert Rev. Anti Infect.Ther. 2008, 6, 201–208. [Google Scholar] [CrossRef] [PubMed]
- Pelling, H.; Nzakizwanayo, J.; Milo, S.; Denham, E.L.; MacFarlane, W.M.; Bock, L.J.; Sutton, J.M.; Jones, B.V. Bacterial biofilm formation on indwelling urethral catheters. Lett. Appl. Microbiol. 2019, 68, 277–293. [Google Scholar] [CrossRef]
- Miquel, S.; Lagrafeuille, R.; Souweine, B.; Forestier, C. Anti-biofilm Activity as a Health Issue. Front. Microbiol. 2016, 7, 592. [Google Scholar] [CrossRef]
- Castro, J.; Jefferson, K.K.; Cerca, N. Genetic Heterogeneity and Taxonomic Diversity among Gardnerella Species. Trends Microbiol. 2020, 28, 202–211. [Google Scholar] [CrossRef]
- Rosca, A.S.; Castro, J.; Sousa, L.G.V.; Cerca, N. Gardnerella and vaginal health: The truth is out there. FEMS Microbiol. Rev. 2020, 44, 73–105. [Google Scholar] [CrossRef]
- Muzny, C.A.; Taylor, C.M.; Swords, W.E.; Tamhane, A.; Chattopadhyay, D.; Cerca, N.; Schwebke, J.R. An Updated Conceptual Model on the Pathogenesis of Bacterial Vaginosis. J. Infect. Dis. 2019, 220, 1399–1405. [Google Scholar] [CrossRef] [PubMed]
- Castro, J.; Alves, P.; Sousa, C.; Cereija, T.; França, A.; Jefferson, K.K.; Cerca, N. Using an in-vitro biofilm model to assess the virulence potential of bacterial vaginosis or non-bacterial vaginosis Gardnerella vaginalis isolates. Sci. Rep. 2015, 5, 1–10. [Google Scholar] [CrossRef]
- Donders, G.G.; Zodzika, J.; Rezeberga, D. Treatment of bacterial vaginosis: What we have and what we miss. Expert Opin. Pharmacother. 2014, 15, 645–657. [Google Scholar] [CrossRef] [PubMed]
- Tomás, M.; Palmeira-de-Oliveira, A.; Simões, S.; Martinez-de-Oliveira, J.; Palmeira-de-Oliveira, R. Bacterial vaginosis: Standard treatments and alternative strategies. Int. J. Pharm. 2020, 587, 119659. [Google Scholar] [CrossRef]
- Mayer, B.T.; Srinivasan, S.; Fiedler, T.L.; Marrazzo, J.M.; Fredricks, D.N.; Schiffer, J.T. Rapid and Profound Shifts in the Vaginal Microbiota Following Antibiotic Treatment for Bacterial Vaginosis. J. Infect. Dis. 2015, 212, 793–802. [Google Scholar] [CrossRef]
- McBain, A.J.; Ledder, R.G.; Moore, L.E.; Catrenich, C.E.; Gilbert, P. Effects of Quaternary-Ammonium-Based Formulations on Bacterial Community Dynamics and Antimicrobial Susceptibility. Appl. Environ. Microbiol. 2004, 70, 3449–3456. [Google Scholar] [CrossRef] [PubMed]
- Mendling, W.; Weissenbacher, E.R.; Gerber, S.; Prasauskas, V.; Grob, P. Use of locally delivered dequalinium chloride in the treatment of vaginal infections: A review. Arch. Gynecol. Obstet. 2016, 293, 469–484. [Google Scholar] [CrossRef]
- Della-Casa, V.; Noll, H.; Gonser, S.; Grob, P.; Graf, F.; Pohlig, G. Antimicrobial activity of dequalinium chloride against leading germs of vaginal infections. Arzneim. Forsch. 2002, 52, 699–705. [Google Scholar]
- Babbs, M.; Collier, H.O.; Austin, W.C.; Potter, M.D.; Taylor, E.P. Salts of decamethylene-bis-4-aminoquinaldinium (dequadin); a new antimicrobial agent. J. Pharm. Pharmacol. 1956, 8, 110–119. [Google Scholar] [CrossRef] [PubMed]
- Weissenbacher, E.R.; Donders, G.; Unzeitig, V.; Tejada, B.M.; Gerber, S.; Halaška, M.; Špaček, J. Fluomizin Study Group, A comparison of dequalinium chloride vaginal tablets (Fluomizin®) and clindamycin vaginal cream in the treatment of bacterial vaginosis: A single-blind, randomized clinical trial of efficacy and safety. Gynecol. Obstet. Investig. 2012, 73, 8–15. [Google Scholar] [CrossRef] [PubMed]
- Castro, J.; Rosca, A.S.; Cools, P.; Vaneechoutte, M.; Cerca, N. Gardnerella vaginalis enhances Atopobium vaginae viability in an in vitro model. Front Cell Infect Microbiol. 2020, 10, 83. [Google Scholar] [CrossRef]
- Peeters, E.; Nelis, H.J.; Coenye, T. Comparison of multiple methods for quantification of microbial biofilms grown in microtiter plates. J. Microbiol. Methods 2008, 72, 157–165. [Google Scholar] [CrossRef] [PubMed]
- Machado, D.; Palmeira-de-Oliveira, A.; Cerca, N. Optimization of culture conditions for Gardnerella vaginalis biofilm formation. J. Microbiol. Methods 2015, 118, 143–146. [Google Scholar] [CrossRef] [PubMed]
- Wilson, D.N. Ribosome-targeting antibiotics and mechanisms of bacterial resistance. Nat. Rev. Microbiol. 2013, 12, 35–48. [Google Scholar] [CrossRef] [PubMed]
- Austin, M.N.; Beigi, R.H.; Meyn, L.A.; Hillier, S.L. Microbiologic response to treatment of bacterial vaginosis with topical clindamycin or metronidazole. J. Clin. Microbiol. 2005, 43, 4492–4497. [Google Scholar] [CrossRef] [PubMed]
- Hugo, W.B.; Frier, M. Mode of action of the antibacterial compound dequalinium acetate. Appl. Microbiol. 1969, 17, 118–127. [Google Scholar] [CrossRef] [PubMed]
- Belosludtsev, K.N.; Belosludtseva, N.V.; Tenkov, K.S.; Sharapov, V.A.; Kosareva, E.A.; Dubinin, M.V. Effect of Dequalinium on Respiration and the Inner Membrane Permeability of Rat Liver Mitochondria. Biochem. (Mosc.) Suppl. Ser. A Membr. Cell Biol. 2018, 12, 121–127. [Google Scholar] [CrossRef]
- Santiago, G.L.S.; Grob, P.; Verstraelen, H.; Waser, F.; Vaneechoutte, M. Susceptibility testing of Atopobium vaginae for dequalinium chloride. BMC Res. Notes 2012, 5, 1–4. [Google Scholar]




| Strain | BV Status | Biomass EC50 | Metabolic EC50 |
|---|---|---|---|
| 085 | Non-BV | >256 µg/mL | 81.01 µg/mL |
| 131 | Non-BV | >256 µg/mL | 81.01 µg/mL |
| 246 | Non-BV | >256 µg/mL | 81.01 µg/mL |
| 137 | BV | 2.57 µg/mL | 2.57 µg/mL |
| 241 | BV | 8.11 µg/mL | 8.11 µg/mL |
Publisher’s Note: MDPI stays neutral with regard to jurisdictional claims in published maps and institutional affiliations. |
© 2021 by the authors. Licensee MDPI, Basel, Switzerland. This article is an open access article distributed under the terms and conditions of the Creative Commons Attribution (CC BY) license (http://creativecommons.org/licenses/by/4.0/).
Share and Cite
Gaspar, C.; Rolo, J.; Cerca, N.; Palmeira-de-Oliveira, R.; Martinez-de-Oliveira, J.; Palmeira-de-Oliveira, A. Dequalinium Chloride Effectively Disrupts Bacterial Vaginosis (BV) Gardnerella spp. Biofilms. Pathogens 2021, 10, 261. https://doi.org/10.3390/pathogens10030261
Gaspar C, Rolo J, Cerca N, Palmeira-de-Oliveira R, Martinez-de-Oliveira J, Palmeira-de-Oliveira A. Dequalinium Chloride Effectively Disrupts Bacterial Vaginosis (BV) Gardnerella spp. Biofilms. Pathogens. 2021; 10(3):261. https://doi.org/10.3390/pathogens10030261
Chicago/Turabian StyleGaspar, Carlos, Joana Rolo, Nuno Cerca, Rita Palmeira-de-Oliveira, José Martinez-de-Oliveira, and Ana Palmeira-de-Oliveira. 2021. "Dequalinium Chloride Effectively Disrupts Bacterial Vaginosis (BV) Gardnerella spp. Biofilms" Pathogens 10, no. 3: 261. https://doi.org/10.3390/pathogens10030261
APA StyleGaspar, C., Rolo, J., Cerca, N., Palmeira-de-Oliveira, R., Martinez-de-Oliveira, J., & Palmeira-de-Oliveira, A. (2021). Dequalinium Chloride Effectively Disrupts Bacterial Vaginosis (BV) Gardnerella spp. Biofilms. Pathogens, 10(3), 261. https://doi.org/10.3390/pathogens10030261

