Fruit Vinegars as Natural and Bioactive Chitosan Solvents in the Production of Chitosan-Based Films
Abstract
1. Introduction
2. Materials and Methods
2.1. Preparation of Chitosan Solutions and Chitosan Films
2.2. Characteristics of Fruit Vinegars
2.3. Antioxidant Activity of Chitosan-Based Solutions
2.4. Antimicrobial Properties
2.4.1. Antimicrobial Activity of Fruit Vinegars and Chitosan Solutions
2.4.2. Antimicrobial Activity of Chitosan Films
2.5. Mechanical Properties of Chitosan Films
2.6. Infrared Spectroscopy
2.7. SEM Analysis
2.8. Statistical Analysis
3. Results and Discussion
3.1. Characteristics of Fruit Vinegars and Chitosan Solutions
3.1.1. pH and Organic Acid Content in the Fruit Vinegars
3.1.2. Total Phenolic and Flavonoid Content in Fruit Vinegars
3.1.3. Antioxidant Properties
3.1.4. Antimicrobial Properties
3.2. Characteristics of Film Samples
3.2.1. Antimicrobial Properties
3.2.2. Mechanical Properties
3.2.3. Attenuated Total Reflectance Fourier Transform Infrared Spectroscopy (ATR-FTIR)
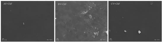
3.2.4. Scanning Electron Microscopy (SEM)
4. Conclusions
Supplementary Materials
Author Contributions
Funding
Institutional Review Board Statement
Data Availability Statement
Conflicts of Interest
References
- Srinivasa, P.; Baskaran, R.; Ramesh, M.; Harish Prashanth, K.; Tharanathan, R. Storage studies of mango packed using biodegradable chitosan film. Eur. Food Res. Technol. 2002, 215, 504–508. [Google Scholar] [CrossRef]
- Kahya, N.; Kestir, S.M.; Öztürk, S.; Yolaç, A.; Torlak, E.; Kalaycıoğlu, Z.; Akın-Evingür, G.; Erim, F.B. Antioxidant and antimicrobial chitosan films enriched with aqueous sage and rosemary extracts as food coating materials: Characterization of the films and detection of rosmarinic acid release. Int. J. Biol. Macromol. 2022, 217, 470–480. [Google Scholar] [CrossRef] [PubMed]
- Stefanowska, K.; Woźniak, M.; Majka, J.; Sip, A.; Mrówczyńska, L.; Waśkiewicz, A.; Kozak, W.; Dobrucka, R.; Ratajczak, I. A new approach to obtain chitosan films—Characteristics of films prepared with tea and coffee kombucha as natural chitosan solvents. Ind. Crops Prod. 2023, 197, 116634. [Google Scholar] [CrossRef]
- Zhang, X.; Ismail, B.B.; Cheng, H.; Jin, T.Z.; Qian, M.; Arabi, S.A.; Liu, D.; Guo, M. Emerging chitosan-essential oil films and coatings for food preservation—A review of advances and applications. Carbohydr. Polym. 2021, 273, 118616. [Google Scholar] [CrossRef] [PubMed]
- Bajić, M.; Ročnik, T.; Oberlintner, A.; Scognamiglio, F.; Novak, U.; Likozar, B. Natural plant extracts as active components in chitosan-based films: A comparative study. Food Packag. Shelf Life 2019, 21, 100365. [Google Scholar] [CrossRef]
- Adımcılar, V.; Kalaycıoğlu, Z.; Akın-Evingür, G.; Torlak, E.; Erim, F.B. Comparative physical, antioxidant, and antimicrobial properties of films prepared by dissolving chitosan in bioactive vinegar varieties. Int. J. Biol. Macromol. 2023, 242, 124735. [Google Scholar] [CrossRef]
- Luzón-Quintana, L.M.; Castro, R.; Durán-Guerrero, E. Biotechnological processes in fruit vinegar production. Foods 2021, 10, 945. [Google Scholar] [CrossRef] [PubMed]
- Chen, H.; Chen, T.; Giudici, P.; Chen, F. Vinegar functions on health: Constituents, sources, and formation mechanisms. Compr. Rev. Food Sci. Food Saf. 2016, 15, 1124–1138. [Google Scholar] [CrossRef]
- Perumpuli, B.; Dilrukshi, N. Vinegar: A functional ingredient for human health. Int. Food Res. J. 2022, 29, 959–974. [Google Scholar] [CrossRef]
- Wan, Y.; Li, J.; Liu, Q. Vinegar production and cancer risk. Europ. J. Cancer Prev. 2019, 28, 382. [Google Scholar] [CrossRef]
- Bakir, S.; Devecioglu, D.; Kayacan, S.; Toydemir, G.; Karbancioglu-Guler, F.; Capanoglu, E. Investigating the antioxidant and antimicrobial activities of different vinegars. Europ. Food Res. Technol. 2017, 243, 2083–2094. [Google Scholar] [CrossRef]
- Sengun, I.Y.; Kilic, G.; Ozturk, B. Screening physicochemical, microbiological and bioactive properties of fruit vinegars produced from various raw materials. Food Sci. Biotechnol. 2020, 29, 401–408. [Google Scholar] [CrossRef]
- Ousaaid, D.; Laaroussi, H.; Bakour, M.; Ennaji, H.; Lyoussi, B.; El Arabi, I. Antifungal and antibacterial activities of apple vinegar of different cultivars. Int. J. Microbiol. 2021, 2021, 6087671. [Google Scholar] [CrossRef] [PubMed]
- Zinn, M.K.; Bockmühl, D. Did granny know best? Evaluating the antibacterial, antifungal and antiviral efficacy of acetic acid for home care procedures. BMC Microbiol. 2020, 20, 265. [Google Scholar] [CrossRef]
- Stefanowska, K.; Woźniak, M.; Majka, J.; Sip, A.; Mrówczyńska, L.; Kozak, W.; Dobrucka, R.; Ratajczak, I. Chitosan films with caffeine and propolis as promising and ecofriendly packaging materials. Appl. Sci. 2023, 13, 12351. [Google Scholar] [CrossRef]
- D882 Standard Test Method for Tensile Properties of Thin Plastic Sheeting. Available online: https://www.astm.org/d0882-12.html (accessed on 7 October 2024).
- Pillai, C.K.S.; Paul, W.; Sharma, C.P. Chitin and chitosan polymers: Chemistry, solubility and fiber formation. Prog. Polym. Sci. 2009, 34, 641–678. [Google Scholar] [CrossRef]
- Ardean, C.; Davidescu, C.M.; Nemeş, N.S.; Negrea, A.; Ciopec, M.; Duteanu, N.; Negrea, P.; Duda-seiman, D.; Musta, V. Factors influencing the antibacterial activity of chitosan and chitosan modified by functionalization. Int. J. Mol. Sci. 2021, 22, 7449. [Google Scholar] [CrossRef] [PubMed]
- Qiao, C.; Ma, X.; Wang, X.; Liu, L. Structure and properties of chitosan films: Effect of the type of solvent acid. LWT 2021, 135, 109984. [Google Scholar] [CrossRef]
- Kara, M.; Assouguem, A.; Kamaly, O.M.A.; Benmessaoud, S.; Imtara, H.; Mechchate, H.; Hano, C.; Zerhouni, A.R.; Bahhou, J. The impact of apple variety and the production methods on the antibacterial activity of vinegar samples. Molecules 2021, 26, 5437. [Google Scholar] [CrossRef]
- Hasan, A.N.; Antony, U.; Bala, G.V.; Prabha, D.T.; Kavya, C.; Malik, A.F. Study on production vinegar from apple. Conf. Ser. Earth Environ. Sci. 2021, 761, 012125. [Google Scholar] [CrossRef]
- Özen, M.; Özdemir, N.; Ertekin Filiz, B.; Budak, N.H.; Kök-Taş, T. Sour cherry (Prunus cerasus L.) Vinegars produced from fresh fruit or juice concentrate: Bioactive compounds, volatile aroma compounds and antioxidant capacities. Food Chem. 2020, 309, 125664. [Google Scholar] [CrossRef]
- Yildiz, E. Characterization of fruit vinegars via bioactive and organic acid profile using chemometrics. Foods 2023, 12, 3769. [Google Scholar] [CrossRef] [PubMed]
- Ren, M.; Wang, X.; Tian, C.; Li, X.; Zhang, B.; Song, X.; Zhang, J. Characterization of organic acids and phenolic compounds of cereal vinegars and fruit vinegars in China. J. Food Process. Preserv. 2017, 41, e12937. [Google Scholar] [CrossRef]
- Sidi, M.K.; Ben, M.; Assouguem, A.; Sidi, R.Z.; Sidi, J.B.; Kara, M.; Zerhouni, A.R.; Bahhou, J. Phytochemical content and antioxidant activity of vinegar prepared from four apple varieties by different methods. Trop. J. Nat. Prod. Res. 2021, 5, 1578–1585. [Google Scholar] [CrossRef]
- Gao, Q.; Song, Y.; Liang, Y.; Li, Y.; Chang, Y.; Ma, R.; Cao, X.; Wang, S. Dynamics of physicochemical properties, functional compounds and antioxidant capacity during spontaneous fermentation of Lycium ruthenicum murr. (qinghai–tibet plateau) natural vinegar. Foods 2022, 11, 1344. [Google Scholar] [CrossRef] [PubMed]
- Boonsupa, W. Chemical Properties, antioxidant activities and sensory evaluation of berry vinegar. WJST 2018, 16, 887–896. [Google Scholar] [CrossRef]
- Kara, M.; Assouguem, A.; El Fadili, M.; Benmessaoud, S.; Alshawwa, S.Z.; Al Kamaly, O.; Saghrouchni, H.; Zerhouni, A.R.; Bahhou, J. Contribution to the evaluation of physicochemical properties, total phenolic content, antioxidant potential, and antimicrobial activity of vinegar commercialized in Marocco. Molecules 2022, 27, 770. [Google Scholar] [CrossRef]
- Liu, Q.; Tang, G.Y.; Zhao, C.N.; Gan, R.Y.; Li, H. Bin. Antioxidant activities, phenolic profiles, and organic acid contents of fruit vinegars. Antioxidants 2019, 8, 78. [Google Scholar] [CrossRef]
- Kumar, H.; Deshmukh, R.K.; Gaikwad, K.K.; Negi, Y.S. Physicochemical characterization of antioxidant film based on ternary blend of chitosan and tulsi-ajwain essential oil for preserving walnut. Int. J. Biol. Macromol. 2024, 278, 134880. [Google Scholar] [CrossRef]
- Xia, T.; Zhang, B.; Duan, W.; Zhang, J.; Wang, M. Nutrients and bioactive components from vinegar: A fermented and functional food. J. Funct. Foods 2020, 64, 103681. [Google Scholar] [CrossRef]
- Sengun, I.Y.; Kilic, G.; Charoenyingcharoen, P.; Yukphan, P.; Yamada, Y. Investigation of the microbiota associated with traditionally produced fruit vinegars with focus on acetic acid bacteria and lactic acid bacteria. Food Biosci. 2022, 47, 101636. [Google Scholar] [CrossRef]
- Di Filippo, M.F.; Panzavolta, S.; Albertini, B.; Bonvicini, F.; Gentilomi, G.A.; Orlacchio, R.; Passerini, N.; Bigi, A.; Dolci, L.S. functional properties of chitosan films modified by snail mucus extract. Int. J. Biol. Macromol. 2020, 143, 126–135. [Google Scholar] [CrossRef] [PubMed]
- Punia Bangar, S.; Suri, S.; Trif, M.; Ozogul, F. Organic acids production from lactic acid bacteria: A preservation approach. Food Biosci. 2022, 46, 101615. [Google Scholar] [CrossRef]
- Park, S.Y.; Marsh, K.S.; Rhim, J.W. Characteristics of different molecular weight chitosan films affected by the type of organic solvents. J. Food Sci. 2002, 67, 194–197. [Google Scholar] [CrossRef]
- Lakehal, I.; Montembault, A.; David, L.; Perrier, A.; Vibert, R.; Duclaux, L.; Reinert, L. Prilling and characterization of hydrogels and derived porous spheres from chitosan solutions with various organic acids. Int. J. Biol. Macromol. 2019, 129, 68–77. [Google Scholar] [CrossRef]
- Shamov, M.V.; Bratskaya, S.Y.; Avramenko, V.A. Interaction of carboxylic acids with chitosan: Effect of pk and hydrocarbon chain length. J. Colloid Interface Sci. 2002, 249, 316–321. [Google Scholar] [CrossRef] [PubMed]
- Costa, S.M.; Ferreira, D.P.; Teixeira, P.; Ballesteros, L.F.; Teixeira, J.A.; Fangueiro, R. Active natural-based films for food packaging applications: The combined effect of chitosan and nanocellulose. Int. J. Biol. Macromol. 2021, 177, 241–251. [Google Scholar] [CrossRef] [PubMed]
- Annu; Ali, A.; Ahmed, S. Eco-friendly natural extract loaded antioxidative chitosan/polyvinyl alcohol based active films for food packaging. Heliyon 2021, 7, e06550. [Google Scholar] [CrossRef]
- Koc, B.; Akyuz, L.; Cakmak, Y.S.; Sargin, I.; Salaberria, A.M.; Labidi, J.; Ilk, S.; Cekic, F.O.; Akata, I.; Kaya, M. Production and characterization of chitosan-fungal extract films. Food Biosci. 2020, 35, 100545. [Google Scholar] [CrossRef]





| Solvent | Abbreviation | |
|---|---|---|
| Chitosan Solution | Chitosan Film | |
| Apple vinegar (AV) | AV + Ch | AV + ChF |
| Blackcurrant vinegar (BV) | BV + Ch | BV + ChF |
| Cherry vinegar (CV) | CV + Ch | CV + ChF |
| Symbol | TPC (µg GAeq/mL) | TFC (µg Qeq/mL) |
|---|---|---|
| AV | 360 a ± 28 | 6.31 c ± 0.14 |
| BV | 260 b ± 18 | 11.03 b ± 0.11 |
| CV | 210 c ± 13 | 14.38 a ± 0.08 |
| Indicator Strain | ||||||||||
|---|---|---|---|---|---|---|---|---|---|---|
| B. subtilis | E. faecalis | L. monocytogenes | L. innocua | E. coli | P. aeruginosa | S. enteritidis | L. rhamnosus | L. plantarum | C. albicans | |
| Sample | Inhibition zone [mm] | |||||||||
| AV | 20 | 22 | 14 | 15 | 24 | >28 | >28 | 0 | 0 | 13 |
| BV | 18 | 23 | 15 | 18 | 24 | >28 | 28 | 0 | 0 | 11 |
| CV | 18 | 18 | 15 | 16 | 20 | >28 | 18 | 0 | 0 | 11 |
| AV + Ch | 14 | 0 | 16 | 18 | 14 | >28 | 23 | 0 | 0 | 11 |
| BV + Ch | 14 | 0 | 16 | 16 | 14 | >28 | 18 | 0 | 0 | 12 |
| CV + Ch | 14 | 0 | 16 | 16 | 14 | >28 | 22 | 0 | 0 | 12 |
| Indicator Strain | ||||||||||
|---|---|---|---|---|---|---|---|---|---|---|
| B. subtilis | E. faecalis | L. monocytogenes | L. innocua | E. coli | P. aeruginosa | S. enteritidis | C. albicans | L. rhamnosus | L. plantarum | |
| Sample | Inhibition zone [mm] | |||||||||
| AV + ChF | 0 | 0 | 0 | 0 | 0 | 19 | 0 | 0 | 0 | 0 |
| BV + ChF | 0 | 0 | 0 | 0 | 11.5 | 19 | 11 | 0 | 0 | 0 |
| CV + ChF | 20 | 0 | 19 | 20 | 24 | 28 | 11 | 0 | 0 | 0 |
| Symbol | TS (MPa) | EB (%) |
|---|---|---|
| AV + ChF | 3.97 b ± 0.18 | 48.48 c ± 1.06 |
| BV + ChF | 3.82 b ± 0.33 | 70.58 a ± 1.19 |
| CV + ChF | 4.93 a ± 0.63 | 51.07 b ± 0.54 |
Disclaimer/Publisher’s Note: The statements, opinions and data contained in all publications are solely those of the individual author(s) and contributor(s) and not of MDPI and/or the editor(s). MDPI and/or the editor(s) disclaim responsibility for any injury to people or property resulting from any ideas, methods, instructions or products referred to in the content. |
© 2024 by the authors. Licensee MDPI, Basel, Switzerland. This article is an open access article distributed under the terms and conditions of the Creative Commons Attribution (CC BY) license (https://creativecommons.org/licenses/by/4.0/).
Share and Cite
Stefanowska, K.; Woźniak, M.; Dobrucka, R.; Sip, A.; Mrówczyńska, L.; Waśkiewicz, A.; Ratajczak, I. Fruit Vinegars as Natural and Bioactive Chitosan Solvents in the Production of Chitosan-Based Films. Polymers 2025, 17, 11. https://doi.org/10.3390/polym17010011
Stefanowska K, Woźniak M, Dobrucka R, Sip A, Mrówczyńska L, Waśkiewicz A, Ratajczak I. Fruit Vinegars as Natural and Bioactive Chitosan Solvents in the Production of Chitosan-Based Films. Polymers. 2025; 17(1):11. https://doi.org/10.3390/polym17010011
Chicago/Turabian StyleStefanowska, Karolina, Magdalena Woźniak, Renata Dobrucka, Anna Sip, Lucyna Mrówczyńska, Agnieszka Waśkiewicz, and Izabela Ratajczak. 2025. "Fruit Vinegars as Natural and Bioactive Chitosan Solvents in the Production of Chitosan-Based Films" Polymers 17, no. 1: 11. https://doi.org/10.3390/polym17010011
APA StyleStefanowska, K., Woźniak, M., Dobrucka, R., Sip, A., Mrówczyńska, L., Waśkiewicz, A., & Ratajczak, I. (2025). Fruit Vinegars as Natural and Bioactive Chitosan Solvents in the Production of Chitosan-Based Films. Polymers, 17(1), 11. https://doi.org/10.3390/polym17010011

