Design and Fabrication of Microelectrodes for Dielectrophoresis and Electroosmosis in Microsystems for Bio-Applications
Abstract
1. Introduction
2. Microelectrodes for DEP
2.1. Rapid Fabricated Electrodes
2.2. Contactless Electrodes
2.3. 3D Electrodes
2.3.1. Materials of 3D Electrodes
2.3.2. Configuration of 3D Electrodes
2.4. Traditional Fabrication for 2D Electrodes
2.4.1. SidewallElectrodes Configuration
2.4.2. Bottom-Up Electrodes
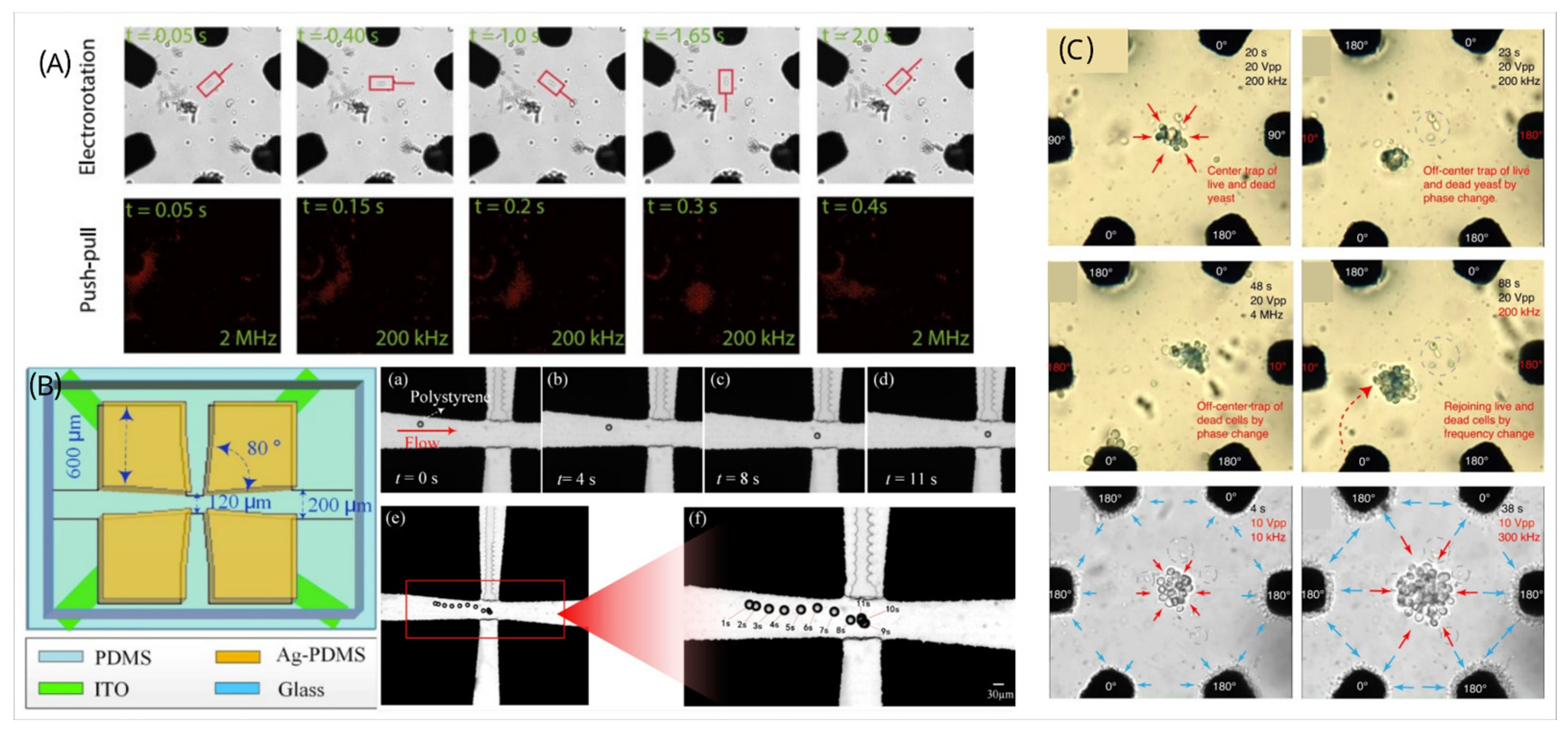
2.5. Fabrication of Microelectrode in Electrorotation
3. Microelectrodes for EOF
3.1. Photolithography Microelectrode Fraction
3.2. Alternative Microelectrode Fabrication for EOF
4. Conclusions
Author Contributions
Funding
Conflicts of Interest
References
- Whitesides, G.M. The origins and the future of microfluidics. Nature 2006, 442, 368–373. [Google Scholar] [CrossRef]
- Shrimal, P.; Jadeja, G.; Patel, S. A review on novel methodologies for drug nanoparticle preparation: Microfluidic approach. Chem. Eng. Res. Des. 2020, 153, 728–756. [Google Scholar] [CrossRef]
- Ren, K.; Zhou, J.; Wu, H. Materials for Microfluidic Chip Fabrication. Acc. Chem. Res. 2013, 46, 2396–2406. [Google Scholar] [CrossRef]
- Zhang, S.; Wang, Y.; Onck, P.; den Toonder, J. A concise review of microfluidic particle manipulation methods. Microfluid. Nanofluidics 2020, 24, 24. [Google Scholar] [CrossRef]
- Connacher, W.; Zhang, N.; Huang, A.; Mei, J.; Zhang, S.; Gopesh, T.; Friend, J. Micro/nano acoustofluidics: Materials, phenomena, design, devices, and applications. Lab. A Chip 2018, 18, 1952–1996. [Google Scholar] [CrossRef] [PubMed]
- Preetam, S.; Nahak, B.K.; Patra, S.; Toncu, D.C.; Park, S.; Syväjärvi, M.; Orive, G.; Tiwari, A. Emergence of microfluidics for next generation biomedical devices. Biosens. Bioelectron. X 2022, 10, 100106. [Google Scholar] [CrossRef]
- Yeo, L.Y.; Chang, H.-C.; Chan, P.P.Y.; Friend, J.R. Microfluidic Devices for Bioapplications. Small 2011, 7, 12–48. [Google Scholar] [CrossRef]
- Pethig, R.R. Dielectrophoresis: Theory, Methodology and Biological Applications; John Wiley & Sons: Hoboken, NJ, USA, 2017. [Google Scholar]
- Li, D. Electrokinetics in Microfluidics; Elsevier: Amsterdam, The Netherlands, 2004. [Google Scholar]
- Squires, T.M.; Quake, S.R. Microfluidics: Fluid physics at the nanoliter scale. Rev. Mod. Phys. 2005, 77, 977–1026. [Google Scholar] [CrossRef]
- Autebert, J.; Coudert, B.; Bidard, F.-C.; Pierga, J.-Y.; Descroix, S.; Malaquin, L.; Viovy, J.-L. Microfluidic: An innovative tool for efficient cell sorting. Methods 2012, 57, 297–307. [Google Scholar] [CrossRef]
- Chang, C.-C.; Yang, R.-J. Electrokinetic mixing in microfluidic systems. Microfluid. Nanofluidics 2007, 3, 501–525. [Google Scholar] [CrossRef]
- Wu, M.; Gao, Y.; Ghaznavi, A.; Zhao, W.; Xu, J. AC electroosmosis micromixing on a lab-on-a-foil electric microfluidic device. Sens. Actuators B Chem. 2022, 359, 131611. [Google Scholar] [CrossRef]
- Hossan, M.R.; Dutta, D.; Islam, N.; Dutta, P. Electric field driven pumping in microfluidic device. Electrophoresis 2018, 39, 702–731. [Google Scholar] [CrossRef] [PubMed]
- Shafiee, H.; Caldwell, J.L.; Davalos, R.V. A microfluidic system for biological particle enrichment using contactless dielectrophoresis. JALA J. Assoc. Lab. Autom. 2010, 15, 224–232. [Google Scholar] [CrossRef]
- Hagness, D.E.; Yang, Y.; Tilley, R.D.; Gooding, J.J. The application of an applied electrical potential to generate electrical fields and forces to enhance affinity biosensors. Biosens. Bioelectron. 2023, 238, 115577. [Google Scholar] [CrossRef] [PubMed]
- Gagnon, Z.R. Cellular dielectrophoresis: Applications to the characterization, manipulation, separation and patterning of cells. Electrophoresis 2011, 32, 2466–2487. [Google Scholar] [CrossRef]
- Xuan, X. Recent advances in direct current electrokinetic manipulation of particles for microfluidic applications. Electrophoresis 2019, 40, 2484–2513. [Google Scholar] [CrossRef]
- Xuan, X. Review of nonlinear electrokinetic flows in insulator-based dielectrophoresis: From induced charge to Joule heating effects. Electrophoresis 2022, 43, 167–189. [Google Scholar] [CrossRef]
- Yao, J.; Zhu, G.; Zhao, T.; Takei, M. Microfluidic device embedding electrodes for dielectrophoretic manipulation of cells-A review. Electrophoresis 2019, 40, 1166–1177. [Google Scholar] [CrossRef]
- Jones, T.B. Electromechanics of Particles; Cambridge University Press: Cambridge, UK, 1995. [Google Scholar]
- Kim, U.; Soh, H.T. Simultaneous sorting of multiple bacterial targets using integrated Dielectrophoretic–Magnetic Activated Cell Sorter. Lab. A Chip 2009, 9, 2313–2318. [Google Scholar] [CrossRef]
- Zhang, J.; Yuan, D.; Zhao, Q.; Yan, S.; Tang, S.-Y.; Tan, S.H.; Guo, J.; Xia, H.; Nguyen, N.-T.; Li, W. Tunable particle separation in a hybrid dielectrophoresis (DEP)-inertial microfluidic device. Sens. Actuators B Chem. 2018, 267, 14–25. [Google Scholar] [CrossRef]
- Lewis, J.; Alattar, A.A.; Akers, J.; Carter, B.S.; Heller, M.; Chen, C.C. A pilot proof-of-principle analysis demonstrating dielectrophoresis (DEP) as a glioblastoma biomarker platform. Sci. Rep. 2019, 9, 10279. [Google Scholar] [CrossRef] [PubMed]
- Yang, S.-M.; Lin, Q.; Zhang, H.; Yin, R.; Zhang, W.; Zhang, M.; Cui, Y. Dielectrophoresis assisted high-throughput detection system for multiplexed immunoassays. Biosens. Bioelectron. 2021, 180, 113148. [Google Scholar] [CrossRef] [PubMed]
- Huang, L.; Zhao, P.; Wang, W. 3D cell electrorotation and imaging for measuring multiple cellular biophysical properties. Lab. A Chip 2018, 18, 2359–2368. [Google Scholar] [CrossRef] [PubMed]
- Wu, Y.; Ren, Y.; Tao, Y.; Hou, L.; Jiang, H. Large-scale single particle and cell trapping based on rotating electric field induced-charge electroosmosis. Anal. Chem. 2016, 88, 11791–11798. [Google Scholar] [CrossRef] [PubMed]
- Wiley, D.; Weihs, G. Electro-osmosis, Overview of. In Encyclopedia of Membranes; Drioli, E., Giorno, L., Eds.; Springer: Berlin/Heidelberg, Germany, 2016. [Google Scholar] [CrossRef]
- Yang, R.-J.; Fu, L.-M.; Lin, Y.-C. Electroosmotic flow in microchannels. J. Colloid. Interface Sci. 2001, 239, 98–105. [Google Scholar] [CrossRef]
- Griffiths, S.K.; Nilson, R.H. Hydrodynamic dispersion of a neutral nonreacting solute in electroosmotic flow. Anal. Chem. 1999, 71, 5522–5529. [Google Scholar] [CrossRef]
- Culbertson, C.T.; Mickleburgh, T.G.; Stewart-James, S.A.; Sellens, K.A.; Pressnall, M. Micro total analysis systems: Fundamental advances and biological applications. Anal. Chem. 2014, 86, 95–118. [Google Scholar] [CrossRef] [PubMed]
- Snashall, K.; Constantinou, M.; Shkunov, M. Flow-assisted dielectrophoresis: A low cost method for the fabrication of high performance solution-processable nanowire devices. J. Vis. Exp. JoVE 2017, 130, 56408. [Google Scholar] [CrossRef]
- Zahoor, M.T.; Khan, G.A.; Nawaz, M.B.; Farouk, S.; Imran, Z.; Ahmed, W. Rapid dielectrophoresis-assisted deposition of highly concentrated ZnO nanowires for enhanced performance of humidity sensors. Sens. Actuators A: Phys. 2023, 362, 114651. [Google Scholar] [CrossRef]
- Fiorini, G.S.; Chiu, D.T. Disposable microfluidic devices: Fabrication, function, and application. Biotechniques 2005, 38, 429–446. [Google Scholar] [CrossRef] [PubMed]
- Pesch, G.R.; Du, F. A review of dielectrophoretic separation and classification of non-biological particles. Electrophoresis 2021, 42, 134–152. [Google Scholar] [CrossRef] [PubMed]
- Crews, N.; Darabi, J.; Voglewede, P.; Guo, F.; Bayoumi, A. An analysis of interdigitated electrode geometry for dielectrophoretic particle transport in micro-fluidics. Sens. Actuators B Chem. 2007, 125, 672–679. [Google Scholar] [CrossRef]
- `Jang, L.-S.; Huang, P.-H.; Lan, K.-C. Single-cell trapping utilizing negative dielectrophoretic quadrupole and microwell electrodes. Biosens. Bioelectron. 2009, 24, 3637–3644. [Google Scholar] [PubMed]
- Chen, N.-C.; Chen, C.-H.; Chen, M.-K.; Jang, L.-S.; Wang, M.-H. Single-cell trapping and impedance measurement utilizing dielectrophoresis in a parallel-plate microfluidic device. Sens. Actuators B Chem. 2014, 190, 570–577. [Google Scholar] [CrossRef]
- Han, C.-H.; Woo, S.Y.; Bhardwaj, J.; Sharma, A.; Jang, J. Rapid and selective concentration of bacteria, viruses, and proteins using alternating current signal superimposition on two coplanar electrodes. Sci. Rep. 2018, 8, 14942. [Google Scholar] [CrossRef]
- Wang, K.; Parekh, U.; Pailla, T.; Garudadri, H.; Gilja, V.; Ng, T.N. Stretchable dry electrodes with concentric ring geometry for enhancing spatial resolution in electrophysiology. Adv. Healthc. Mater. 2017, 6, 1700552. [Google Scholar] [CrossRef]
- Ling, S.H.; Lam, Y.C.; Chian, K.S. Continuous cell separation using dielectrophoresis through asymmetric and periodic microelectrode array. Anal. Chem. 2012, 84, 6463–6470. [Google Scholar] [CrossRef]
- Spanu, A.; Colistra, N.; Farisello, P.; Friz, A.; Arellano, N.; Rettner, C.T.; Bonfiglio, A.; Bozano, L.; Martinoia, S. A three-dimensional micro-electrode array for in-vitro neuronal interfacing. J. Neural Eng. 2020, 17, 036033. [Google Scholar] [CrossRef] [PubMed]
- Kaler, K.V.; Prakash, R.; Chugh, D. Liquid dielectrophoresis and surface microfluidics. Biomicrofluidics 2010, 4, 022805. [Google Scholar] [CrossRef]
- Choi, J.-W.; Rosset, S.; Niklaus, M.; Adleman, J.R.; Shea, H.; Psaltis, D. 3-dimensional electrode patterning within a microfluidic channel using metal ion implantation. Lab. A Chip 2010, 10, 783–788. [Google Scholar] [CrossRef] [PubMed]
- Kilchenmann, S.C.; Rollo, E.; Maoddi, P.; Guiducci, C. Metal-coated SU-8 structures for high-density 3-D microelectrode arrays. J. Microelectromech. Syst. 2016, 25, 425–431. [Google Scholar] [CrossRef]
- Jaramillo, M.d.C.; Torrents, E.; Martínez-Duarte, R.; Madou, M.J.; Juárez, A. On-line separation of bacterial cells by carbon-electrode dielectrophoresis. Electrophoresis 2010, 31, 2921–2928. [Google Scholar] [CrossRef] [PubMed]
- Sun, M.; Agarwal, P.; Zhao, S.; Zhao, Y.; Lu, X.; He, X. Continuous on-chip cell separation based on conductivity-induced dielectrophoresis with 3D self-assembled ionic liquid electrodes. Anal. Chem. 2016, 88, 8264–8271. [Google Scholar] [CrossRef]
- Folch, A. Introduction to bioMEMS; CRC Press: Boca Raton, FL, USA, 2016. [Google Scholar]
- Xia, Y.; Whitesides, G.M. Soft lithography. Angew. Chem. Int. Ed. 1998, 37, 550–575. [Google Scholar] [CrossRef]
- Zhao, K.; Larasati; Duncker, B.P.; Li, D. Continuous cell characterization and separation by microfluidic alternating current dielectrophoresis. Anal. Chem. 2019, 91, 6304–6314. [Google Scholar] [CrossRef] [PubMed]
- Wu, M.; Gao, Y.; Luan, Q.; Papautsky, I.; Chen, X.; Xu, J. Three-dimensional lab-on-a-foil device for dielectrophoretic separation of cancer cells. Electrophoresis 2023, 44, 1802–1809. [Google Scholar] [CrossRef] [PubMed]
- Martínez-Brenes, A.; Torres-Castro, K.; Marín-Benavides, R.; Acuña-Umaña, K.; Espinoza-Araya, C.; Ramírez-Carranza, R.; González-Espinoza, G.; Rojas-Campos, N.; Guzmán-Verri, C.; Sáenz-Arce, G. Combined electrokinetic manipulations of pathogenic bacterial samples in low-cost fabricated dielectrophoretic devices. Aip Adv. 2019, 9, 115303. [Google Scholar] [CrossRef]
- Alinezhadbalalami, N.; Douglas, T.A.; Balani, N.; Verbridge, S.S.; Davalos, R.V. The feasibility of using dielectrophoresis for isolation of glioblastoma subpopulations with increased stemness. Electrophoresis 2019, 40, 2592–2600. [Google Scholar] [CrossRef] [PubMed]
- Rane, A.; Jarmoshti, J.; Siddique, A.-B.; Adair, S.; Torres-Castro, K.; Honrado, C.; Bauer, T.W.; Swami, N.S. Dielectrophoretic enrichment of live chemo-resistant circulating-like pancreatic cancer cells from media of drug-treated adherent cultures of solid tumors. Lab. A Chip 2024, 24, 561–571. [Google Scholar] [CrossRef]
- Ho, C.M.B.; Sun, Q.; Teo, A.J.; Wibowo, D.; Gao, Y.; Zhou, J.; Huang, Y.; Tan, S.H.; Zhao, C.-X. Development of a microfluidic droplet-based microbioreactor for microbial cultivation. Acs Biomater. Sci. Eng. 2020, 6, 3630–3637. [Google Scholar] [CrossRef] [PubMed]
- Frenzel, D.; Merten, C.A. Microfluidic train station: Highly robust and multiplexable sorting of droplets on electric rails. Lab. A Chip 2017, 17, 1024–1030. [Google Scholar] [CrossRef]
- Zhang, Z.; Luo, Y.; Nie, X.; Yu, D.; Xing, X. A one-step molded microfluidic chip featuring a two-layer silver-PDMS microelectrode for dielectrophoretic cell separation. Analyst 2020, 145, 5603–5614. [Google Scholar] [CrossRef]
- Hyler, A.R.; Hong, D.; Davalos, R.V.; Swami, N.S.; Schmelz, E.M. A novel ultralow conductivity electromanipulation buffer improves cell viability and enhances dielectrophoretic consistency. Electrophoresis 2021, 42, 1366–1377. [Google Scholar] [CrossRef]
- Miyamukai, H.; Yagi, I.; Uchida, S.; Takano, M.; Wakizaka, Y.; Enjoji, T. Basic verification of cancer cell separation characteristics in a dielectrophoretic device using microcylindrical electrodes. Electr. Commun. Jpn. 2021, 104, e12328. [Google Scholar] [CrossRef]
- Yildizhan, Y.; Erdem, N.; Islam, M.; Martinez-Duarte, R.; Elitas, M. Dielectrophoretic separation of live and dead monocytes using 3D carbon-electrodes. Sensors 2017, 17, 2691. [Google Scholar] [CrossRef]
- Bu, Y.; Wang, J.; Ni, S.; Guo, Y.; Yobas, L. Continuous-flow label-free size fractionation of extracellular vesicles through electrothermal fluid rolls and dielectrophoresis synergistically integrated in a microfluidic device. Lab. A Chip 2023, 23, 2421–2433. [Google Scholar] [CrossRef] [PubMed]
- Calero, V.; Garcia-Sanchez, P.; Ramos, A.; Morgan, H. Combining DC and AC electric fields with deterministic lateral displacement for micro-and nano-particle separation. Biomicrofluidics 2019, 13, 054110. [Google Scholar] [CrossRef]
- Ayala-Mar, S.; Perez-Gonzalez, V.H.; Mata-Gómez, M.A.; Gallo-Villanueva, R.C.; González-Valdez, J. Electrokinetically driven exosome separation and concentration using dielectrophoretic-enhanced PDMS-based microfluidics. Anal. Chem. 2019, 91, 14975–14982. [Google Scholar] [CrossRef]
- Wang, Y.; Wang, C.; Zhang, Y.; Han, M.; Li, Y.; Jin, S.; He, H. A two-stage separation of circulating tumor cells based on deterministic lateral displacement and dielectrophoresis techniques. IEEE Access 2021, 9, 143847–143859. [Google Scholar] [CrossRef]
- Farasat, M.; Chavoshi, S.M.; Bakhshi, A.; Valipour, A.; Badieirostami, M. A dielectrophoresis-based microfluidic chip for trapping circulating tumor cells using a porous membrane. J. Micromech. Microeng. 2021, 32, 015008. [Google Scholar] [CrossRef]
- Gao, W.; Zhang, C.; Cai, Y.; Su, F.; Han, C.; Yu, D.; Luo, Y.; Xing, X. Dielectrophoretic cell sorting with high velocity enabled by two-layer sidewall microelectrodes extending along the entire channel. Sens. Actuators B Chem. 2024, 410, 135669. [Google Scholar] [CrossRef]
- Jiang, L.; Liang, F.; Huo, M.; Ju, M.; Xu, J.; Ju, S.; Jin, L.; Shen, B. Study on three-dimensional dielectrophoresis microfluidic chip for separation and enrichment of circulating tumor cells. Microelectron. Eng. 2023, 282, 112100. [Google Scholar] [CrossRef]
- Lefevre, A.; Gauthier, M.; Bourgeois, P.; Frelet-Barrand, A.; Bolopion, A. Automatic trajectory control of single cells using dielectrophoresis based on visual feedback. Lab. A Chip 2023, 23, 3683–3693. [Google Scholar] [CrossRef] [PubMed]
- Lin, S.-H.; Su, T.-C.; Huang, S.J.; Jen, C.-P. Enhancing the efficiency of lung cancer cell capture using microfluidic dielectrophoresis and aptamer-based surface modification. Electrophoresis 2024, 45, 1088–1098. [Google Scholar] [CrossRef]
- Hughes, M.P.; Clarke, K.S.P.; Hoque, R.; Griffiths, O.V.; Kruchek, E.J.; Johnson, M.P.; Tariq, M.H.; Kohli, N.; Lewis, R.; Labeed, F.H. Label-free, non-contact determination of resting membrane potential using dielectrophoresis. Sci. Rep. 2024, 14, 18477. [Google Scholar] [CrossRef] [PubMed]
- Chen, H.; Osman, S.Y.; Moose, D.L.; Vanneste, M.; Anderson, J.L.; Henry, M.D.; Anand, R.K. Quantification of capture efficiency, purity, and single-cell isolation in the recovery of circulating melanoma cells from peripheral blood by dielectrophoresis. Lab. A Chip 2023, 23, 2586–2600. [Google Scholar] [CrossRef] [PubMed]
- Chen, X.; Liu, S.; Shen, M.; Shi, J.; Wu, C.; Song, Z.; Zhao, Y. Dielectrophoretic characterization and selection of non-spherical flagellate algae in parallel channels with right-angle bipolar electrodes. Lab. A Chip 2024, 24, 2506–2517. [Google Scholar] [CrossRef]
- Kim, S.; Song, J.; Roh, S.M.; Kim, H.J.; Kim, H.; Lee, S.; Yoshie, A.; Ha, T.; Kim, Y.; Lee, S.-H.; et al. Efficient exosome separation utilizing dielectrophoretic force in conductive spiral microfluidic chips and validation via a reduced graphene oxide (rGO)-based biosensor. Sens. Actuators B Chem. 2024, 404, 135207. [Google Scholar] [CrossRef]
- Wang, D.; Yang, S.; Wang, N.; Guo, H.; Feng, S.; Luo, Y.; Zhao, J. A Novel Microfluidic Strategy for Efficient Exosome Separation via Thermally Oxidized Non-Uniform Deterministic Lateral Displacement (DLD) Arrays and Dielectrophoresis (DEP) Synergy. Biosensors 2024, 14, 174. [Google Scholar] [CrossRef] [PubMed]
- Islam, M.N.; Jaiswal, B.; Gagnon, Z.R. High-Throughput Continuous Free-Flow Dielectrophoretic Trapping of Micron-Scale Particles and Cells in Paper Using Localized Nonuniform Pore-Scale-Generated Paper-Based Electric Field Gradients. Anal. Chem. 2024, 96, 1084–1092. [Google Scholar] [CrossRef]
- Chen, Y.-S.; Lai, C.P.-K.; Chen, C.; Lee, G.-B. Isolation and recovery of extracellular vesicles using optically-induced dielectrophoresis on an integrated microfluidic platform. Lab. A Chip 2021, 21, 1475–1483. [Google Scholar] [CrossRef]
- Keck, D.; Ravi, S.; Yadav, S.; Martinez-Duarte, R. The Effect of Different System Parameters on the Movement of Microbial Cells Using Light-Induced Dielectrophoresis. Micromachines 2024, 15, 342. [Google Scholar] [CrossRef] [PubMed]
- Soong, W.-J.; Wang, C.-H.; Chen, C.; Lee, G.-B. Nanoscale sorting of extracellular vesicles via optically-induced dielectrophoresis on an integrated microfluidic system. Lab. A Chip 2024, 24, 1965–1976. [Google Scholar] [CrossRef] [PubMed]
- Li, F.; Lakerveld, R. Influence of alternating electric fields on protein crystallization in microfluidic devices with patterned electrodes in a parallel-plate configuration. Cryst. Growth Des. 2017, 17, 3062–3070. [Google Scholar] [CrossRef]
- Kwak, T.J.; Son, T.; Hong, J.-S.; Winter, U.A.; Jeong, M.H.; McLean, C.; Weissleder, R.; Lee, H.; Castro, C.M.; Im, H. Electrokinetically enhanced label-free plasmonic sensing for rapid detection of tumor-derived extracellular vesicles. Biosens. Bioelectron. 2023, 237, 115422. [Google Scholar] [CrossRef]
- Weber, M.U.; Petkowski, J.J.; Weber, R.E.; Krajnik, B.; Stemplewski, S.; Panek, M.; Dziubak, T.; Mrozinska, P.; Piela, A.; Paluch, E. Chip for dielectrophoretic microbial capture, separation and detection II: Experimental study. Nanotechnology 2023, 34, 175502. [Google Scholar] [CrossRef] [PubMed]
- Yu, E.-S.; Lee, H.; Lee, S.-M.; Kim, J.; Kim, T.; Lee, J.; Kim, C.; Seo, M.; Kim, J.H.; Byun, Y.T. Precise capture and dynamic relocation of nanoparticulate biomolecules through dielectrophoretic enhancement by vertical nanogap architectures. Nat. Commun. 2020, 11, 2804. [Google Scholar] [CrossRef]
- Nakabayashi, R.; Koyama, R.; Inaba, M.; Nakano, M.; Suehiro, J. Quantitative evaluation of dielectrophoretic separation efficiency of cancer exosomes based on fluorescence imaging. Jpn. J. Appl. Phys. 2024, 63, 03SP68. [Google Scholar] [CrossRef]
- Tian, Z.; Yuan, Z.; Duarte, P.A.; Shaheen, M.; Wang, S.; Haddon, L.; Chen, J. Highly efficient cell-microbead encapsulation using dielectrophoresis-assisted dual-nanowell array. PNAS Nexus 2023, 2, pgad155. [Google Scholar] [CrossRef]
- Ali, D.S.; Sofela, S.O.; Deliorman, M.; Sukumar, P.; Abdulhamid, M.-s.; Yakubu, S.; Rooney, C.; Garrod, R.; Menachery, A.; Hijazi, R.; et al. OMEF biochip for evaluating red blood cell deformability using dielectrophoresis as a diagnostic tool for type 2 diabetes mellitus. Lab. A Chip 2024, 24, 2906–2919. [Google Scholar] [CrossRef]
- Nomura, M.; Miyake, Y.; Inoue, A.; Yokoyama, Y.; Noda, N.; Kouda, S.; Hata, T.; Ogino, T.; Miyoshi, N.; Takahashi, H. Single-Cell Analysis of Circulating Tumor Cells from Patients with Colorectal Cancer Captured with a Dielectrophoresis-Based Micropore System. Biomedicines 2023, 11, 203. [Google Scholar] [CrossRef]
- Arzhang, B.; Lee, J.; Kovacs, E.; Butler, M.; Salimi, E.; Thomson, D.J.; Bridges, G.E. Combined Dielectric-Optical Characterization of Single Cells Using Dielectrophoresis-Imaging Flow Cytometry. Biosensors 2024, 14, 577. [Google Scholar] [CrossRef]
- Ko, K.; Yoo, H.; Han, S.; Chang, W.S.; Kim, D. Surface-enhanced Raman spectroscopy with single cell manipulation by microfluidic dielectrophoresis. Analyst 2024, 149, 5649–5656. [Google Scholar] [CrossRef] [PubMed]
- Chen, Y.-L.; Jiang, H.-R. Particle concentrating and sorting under a rotating electric field by direct optical-liquid heating in a microfluidics chip. Biomicrofluidics 2017, 11, 034102. [Google Scholar] [CrossRef] [PubMed]
- Wang, Y.; Tong, N.; Li, F.; Zhao, K.; Wang, D.; Niu, Y.; Xu, F.; Cheng, J.; Wang, J. Trapping of a Single Microparticle Using AC Dielectrophoresis Forces in a Microfluidic Chip. Micromachines 2023, 14, 159. [Google Scholar] [CrossRef]
- Julius, L.A.N.; Akgül, D.; Krishnan, G.; Falk, F.; Korvink, J.; Badilita, V. Portable dielectrophoresis for biology: ADEPT facilitates cell trapping, separation, and interactions. Microsyst. Nanoeng. 2024, 10, 29. [Google Scholar] [CrossRef]
- Julius, L.A.N.; Scheidt, H.; Krishnan, G.; Becker, M.; Nassar, O.; Torres-Delgado, S.M.; Mager, D.; Badilita, V.; Korvink, J.G. Dynamic dielectrophoretic cell manipulation is enabled by an innovative electronics platform. Biosens. Bioelectron. X 2023, 14, 100333. [Google Scholar] [CrossRef]
- Guo, W.; Tao, Y.; Liu, W.; Song, C.; Zhou, J.; Jiang, H.; Ren, Y. A visual portable microfluidic experimental device with multiple electric field regulation functions. Lab. A Chip 2022, 22, 1556–1564. [Google Scholar] [CrossRef]
- Chen, X.; Shen, M.; Liu, S.; Liu, T.; Chen, D.; Zhao, Y. A simple device for protein detection actuated by induced-charge electro-osmotic streaming. Microsyst. Technol. 2024, 30, 243–251. [Google Scholar] [CrossRef]
- Modarres, P.; Tabrizian, M. Phase-controlled field-effect micromixing using AC electroosmosis. Microsyst. Nanoeng. 2020, 6, 60. [Google Scholar] [CrossRef] [PubMed]
- Xiong, H.; Zhu, C.; Dai, C.; Ye, X.; Li, Y.; Li, P.; Yang, S.; Ashraf, G.; Wei, D.; Chen, H.; et al. An Alternating Current Electroosmotic Flow-Based Ultrasensitive Electrochemiluminescence Microfluidic System for Ultrafast Monitoring, Detection of Proteins/miRNAs in Unprocessed Samples. Adv. Sci. 2024, 11, 2307840. [Google Scholar] [CrossRef] [PubMed]
- Li, H.; Teal, D.; Liang, Z.; Kwon, H.; Huo, D.; Jin, A.; Fischer, P.; Fan, D.E. Precise electrokinetic position and three-dimensional orientation control of a nanowire bioprobe in solution. Nat. Nanotechnol. 2023, 18, 1213–1221. [Google Scholar] [CrossRef] [PubMed]
- Cheng, I.-F.; Chang, H.-C.; Chen, T.-Y.; Hu, C.; Yang, F.-L. Rapid (<5 min) identification of pathogen in human blood by electrokinetic concentration and surface-enhanced Raman spectroscopy. Sci. Rep. 2013, 3, 2365. [Google Scholar]
- Kusama, S.; Sato, K.; Matsui, Y.; Kimura, N.; Abe, H.; Yoshida, S.; Nishizawa, M. Transdermal electroosmotic flow generated by a porous microneedle array patch. Nat. Commun. 2021, 12, 658. [Google Scholar] [CrossRef] [PubMed]






| Electrodes Type | Functionality | Application | Electrode Material | Key Matrix | Reference |
|---|---|---|---|---|---|
| Contactless liquid electrode | Cell enrichment | Glioblastoma stem cells | 10× PBS | [53] | |
| Droplet trap and oscillation functions | Microbial cultivation for E. coli | Liquid indium alloy | [55] | ||
| Cell enrichment | Pancreatic cancer cells | Field’s metal | Enrich from ~3% to ~44% | [54] | |
| Low-cost electrode | Cell separation | Yeast cells | Copper sheet | [50] | |
| Cell separation | CTCs A549 | Inkjet printing Ag-based conductive ink | [51] | ||
| 3D electrode | Cell separation | Silver-PDMS | Capture efficiency of 95.4% | [57] | |
| Cell separation | Jurkat cells | Nickel metal | Efficiency exceeding 95% | [59] | |
| Cell enrichment | U937 monocytes | Carbon PDMS | 90% removal efficiency | [60] | |
| Particle purification | EVs | Silicon | 80% purity | [61] | |
| DLD combination | Cell separation | H322 lung cancer cells | Ag-PDMS electrodes | 80.7% purity | [64] |
| Cell trapping | PC3 prostate cancer cell | SU-8 micropillars | [65] | ||
| Multilayer microfluidic devices | Cell isolation | Hepatoma cells (SMMC-7721) | Indium tin oxide (ITO) conductive glass | 94.3% isolation efficiency | [67] |
Disclaimer/Publisher’s Note: The statements, opinions and data contained in all publications are solely those of the individual author(s) and contributor(s) and not of MDPI and/or the editor(s). MDPI and/or the editor(s) disclaim responsibility for any injury to people or property resulting from any ideas, methods, instructions or products referred to in the content. |
© 2025 by the authors. Licensee MDPI, Basel, Switzerland. This article is an open access article distributed under the terms and conditions of the Creative Commons Attribution (CC BY) license (https://creativecommons.org/licenses/by/4.0/).
Share and Cite
Wu, M.; Liu, Z.; Gao, Y. Design and Fabrication of Microelectrodes for Dielectrophoresis and Electroosmosis in Microsystems for Bio-Applications. Micromachines 2025, 16, 190. https://doi.org/10.3390/mi16020190
Wu M, Liu Z, Gao Y. Design and Fabrication of Microelectrodes for Dielectrophoresis and Electroosmosis in Microsystems for Bio-Applications. Micromachines. 2025; 16(2):190. https://doi.org/10.3390/mi16020190
Chicago/Turabian StyleWu, Mengren, Zijian Liu, and Yuan Gao. 2025. "Design and Fabrication of Microelectrodes for Dielectrophoresis and Electroosmosis in Microsystems for Bio-Applications" Micromachines 16, no. 2: 190. https://doi.org/10.3390/mi16020190
APA StyleWu, M., Liu, Z., & Gao, Y. (2025). Design and Fabrication of Microelectrodes for Dielectrophoresis and Electroosmosis in Microsystems for Bio-Applications. Micromachines, 16(2), 190. https://doi.org/10.3390/mi16020190

