Tower Configuration Impacts on the Thermal and Flow Performance of Steel-Truss Natural Draft Dry Cooling System
Abstract
1. Introduction
2. Numerical Modeling
2.1. Physical Model
2.2. Transportation Equations
2.3. Computational Domain, Boundaries and Numerical Procedure
2.4. Experimental Validation
3. Results and Discussion
3.1. Thermal and Flow Fields
3.1.1. Without Ambient Wind
3.1.2. At Design Crosswind of 4 m/s
3.2. Distributions of Local Thermal and Flow Behaviors
3.3. Comparisons of Overall Thermal and Flow Performances
4. Conclusions
- (1)
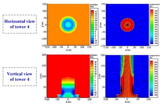
- In absence of wind, tower 2 presented slightly lower pressure difference in ACHE than tower 1. Tower 3 had similar pressure and temperature fields with tower 1, while tower 4 showed a much smaller pressure difference, and the big vortices also emerged adjacent to the turning corner of cooling tower.
- (2)
- At a design crosswind of 4 m/s, tower 2 displayed a smaller area of high pressure near the windward sectors, It also had a larger area of low pressure near the lateral sectors than tower 1. The vertical air flow fields of tower 3 showed some reverse flows with vortices near the tower outlet, which became fairly big inside tower 4.
- (3)
- Tower configuration did not change the trend of crosswind impacts on ACHE. Compared with tower 1, tower 4 had apparently lower air flow rate and heat transfer rate for nearly all local sectors.
- (4)
- The non-dimensional thermal and flow parameters of tower 2 were slightly negative, whereas, tower 3 presented better cooling performance under high crosswinds. Tower 4 had the worst overall thermo-flow performances compared with the other tower configurations.
Author Contributions
Funding
Acknowledgments
Conflicts of Interest
Nomenclature
| D | diameter (m) |
| H | height (m) |
| H | convective heat transfer coefficient (W m−2 K−1) |
| K | flow loss coefficient |
| L | tube length (m) |
| M | molecular weight (g mol−1) |
| M | mass flow rate (kg s−1) |
| N | Number |
| P | pressure (Pa) |
| R | universal gas constant (J mol−1 K−1) |
| S | source term in generic equation |
| t | temperature (K) |
| u | velocity (m s−1) |
| V | volume (m3) |
| x | coordinate axis |
| Greek symbols | |
| Γ | diffusion coefficient (m2 s−1) |
| Φ | heat rejection rate (W) |
| φ | scalar variable |
| ρ | density (kg m−3) |
| Subscripts | |
| a | Air |
| j | coordinate direction |
| ref | Reference |
| wind | Crosswind |
| wa | Water |
| 1 | Inlet |
| 2 | Outlet |
| Acronyms | |
| ACHE | air-cooled heat exchanger |
| NDDCS | natural draft dry cooling system |
References
- Li, X.X.; Gurgenci, H.; Guan, Z.Q.; Wang, X.R.; Xia, L. A review of the crosswind effect on the natural draft cooling towers. Appl. Therm. Eng. 2019, 150, 250–270. [Google Scholar] [CrossRef]
- Wang, W.J.; Yang, L.J.; Du, X.Z.; Yang, Y.P. Anti-freezing water flow rates of various sectors for natural draft dry cooling system under wind conditions. Int. J. Heat Mass Transf. 2016, 102, 186–200. [Google Scholar] [CrossRef]
- Yu, Q.Q.; Gu, X.L.; Li, Y.; Lin, F. Collapse-resistant performance of super-large cooling towers subjected to seismic actions. Eng. Struct. 2016, 102, 77–89. [Google Scholar] [CrossRef]
- Ma, H.H.; Li, Z.Y.; Li, S.Z.; San, B.B.; Fan, F. Stability analysis and performance comparison of large-scale hyperbolic steel cooling towers with different latticed shell systems. J. Constr. Steel Res. 2019, 160, 559–578. [Google Scholar] [CrossRef]
- Ma, H.H.; Zhao, Y.; Fan, F.; Yu, Z.W.; Zhi, X.D. Experimental and numerical study of new connection systems for a large-span hyperbolic steel cooling tower. Eng. Struct. 2019, 195, 452–468. [Google Scholar] [CrossRef]
- Ma, T.T.; Zhao, L.; Chen, N.Y.; Ge, Y.J.; Zhang, D. Wind-induced dynamic performance of a super-large hyperbolic steel-truss cooling tower. Thin-Walled Struct. 2020, 157, 107061. [Google Scholar] [CrossRef]
- Ma, H.H.; Li, S.Z.; Fan, F. Static performance analysis of single-layer steel cooling tower. Structures 2019, 19, 322–332. [Google Scholar] [CrossRef]
- Song, G.Q.; Zhi, X.D.; Fan, F.; Wang, W.; Wang, P. Cooling performance of cylinder-frustum natural draft dry cooling tower. Appl. Therm. Eng. 2020, 180, 115797. [Google Scholar] [CrossRef]
- Zhao, Y.B.; Long, G.Q.; Sun, F.Z.; Li, Y.; Zhang, C.J. Numerical study on the cooling performance of dry cooling tower with vertical two-pass column radiators under crosswind. Appl. Therm. Eng. 2015, 75, 1106–1117. [Google Scholar] [CrossRef]
- Zhao, Y.B.; Sun, F.Z.; Li, Y.; Long, G.Q.; Yang, Z. Numerical study on the cooling performance of natural draft dry cooling tower with vertical delta radiators under constant heat load. Appl. Energy 2015, 149, 225–237. [Google Scholar] [CrossRef]
- Ma, H.; Si, F.Q.; Kong, Y.; Zhu, K.P.; Yan, W.S. A new theoretical method for predicating the part-load performance of natural draft dry cooling towers. Appl. Therm. Eng. 2015, 78, 1106–1115. [Google Scholar] [CrossRef]
- Li, X.X.; Gurgenci, H.; Guan, Z.Q.; Sun, Y.B. Experimental study of cold inflow effect on a small natural draft dry cooling tower. Appl. Therm. Eng. 2018, 128, 762–771. [Google Scholar] [CrossRef]
- Goodarzi, M.; Amooie, H. Heat transfer enhancement in a natural draft dry cooling tower under crosswind operation with heterogeneous water distribution. Int. J. Nucl. Power 2016, 61, 252–259. [Google Scholar]
- Wang, X.B.; Yang, L.J.; Du, X.Z.; Yang, Y.P. Performance improvement of natural draft dry cooling system by water flow distribution under crosswinds. Int. J. Heat Mass Transf. 2017, 108, 1924–1940. [Google Scholar] [CrossRef]
- Li, X.X.; Xia, L.; Gurgenci, H.; Guan, Z.Q. Performance enhancement for the natural draft dry cooling tower under crosswind condition by optimizing the water distribution. Int. J. Heat Mass Transf. 2017, 107, 271–280. [Google Scholar] [CrossRef]
- Zhao, Y.B.; Long, G.Q.; Sun, F.Z.; Li, Y.; Zhang, C.J.; Liu, J.B. Effect mechanism of air deflectors on the cooling performance of dry cooling tower with vertical delta radiators under crosswind. Energy Convers. Manag. 2015, 93, 321–331. [Google Scholar] [CrossRef]
- Chen, L.; Yang, L.J.; Du, X.Z.; Yang, Y.P. Performance improvement of natural draft dry cooling system by interior and exterior windbreaker configurations. Int. J. Heat Mass Transf. 2016, 96, 42–63. [Google Scholar] [CrossRef]
- Gu, H.F.; Wang, H.J.; Gu, Y.Q.; Yao, J.N. A numerical study on the mechanism and optimization of wind-break structures for indirect air-cooling towers. Energy Convers. Manag. 2016, 108, 43–49. [Google Scholar] [CrossRef]
- Wang, W.L.; Zhang, H.; Li, Z.; Lv, J.F.; Ni, W.D.; Li, Y.S. Adoption of enclosure and windbreaks to prevent the degradation of the cooling performance for a natural draft dry cooling tower under crosswind conditions. Energy 2016, 116, 1360–1369. [Google Scholar] [CrossRef]
- Wang, W.L.; Zhang, H.; Liu, P.; Li, Z.; Lv, J.F.; Ni, W.D. The cooling performance of a natural draft dry cooling tower under crosswind and an enclosure approach to cooling efficiency enhancement. Appl. Energy 2017, 186, 336–346. [Google Scholar] [CrossRef]
- Ma, H.; Si, F.Q.; Kong, Y.; Zhu, K.P.; Yan, W.S. Wind-break walls with optimized setting angles for natural draft dry cooling tower with vertical radiators. Appl. Therm. Eng. 2017, 112, 326–329. [Google Scholar] [CrossRef]
- Ma, H.; Si, F.Q.; Zhu, K.P.; Wang, J.S. The adoption of windbreak wall partially rotating to improve thermo-flow performance of natural draft dry cooling tower under crosswind. Int. J. Therm. Sci. 2018, 134, 66–88. [Google Scholar] [CrossRef]
- Wu, T.; Ge, Z.H.; Yang, L.J.; Du, X.Z. Flow deflectors to release the negative defect of natural wind on large scale dry cooling tower. Int. J. Heat Mass Transf. 2019, 128, 248–269. [Google Scholar] [CrossRef]
- Xia, L.; Gurgenci, H.; Liu, D.Y.; Guan, Z.Q.; Zhou, L.; Wang, P. CFD analysis of pre-cooling water spray system in natural draft dry cooling towers. Appl. Therm. Eng. 2016, 105, 1051–1060. [Google Scholar] [CrossRef]
- Chen, L.; Huang, X.W.; Yang, L.J.; Du, X.Z.; Yang, Y.P. Evaluation of natural draft dry cooling system incorporating water spray air precooling. Appl. Therm. Eng. 2019, 151, 294–307. [Google Scholar] [CrossRef]
- Huang, X.W.; Chen, L.; Yang, L.J.; Du, X.Z.; Yang, Y.P. Evaporation aided improvement for cooling performance of large scale natural draft dry cooling system. Appl. Therm. Eng. 2019, 163, 114350. [Google Scholar] [CrossRef]
- Dong, P.X.; Li, X.X.; Sun, Y.B.; Hooman, K.; Guan, Z.Q.; Dai, Y.C.; Gurgenci, H. Numerical investigation of the influence of local effects on the transient start-up process of natural draft dry cooling towers in dispatchable power plants. Int. J. Heat Mass Transf. 2019, 133, 166–178. [Google Scholar] [CrossRef]
- Dong, P.X.; Li, X.X.; Hooman, K.; Sun, Y.B.; Li, J.S.; Guan, Z.Q.; Gurgenci, H. The crosswind effects on the start-up process of natural draft dry cooling towers in dispatchable power plants. Int. J. Heat Mass Transf. 2019, 135, 950–961. [Google Scholar] [CrossRef]
- Dai, Y.C.; Kaiser, A.S.; Lu, Y.S.; Klimenko, A.Y.; Dong, P.X.; Hooman, K. Addressing the adverse cold air inflow effects for a short natural draft dry cooling tower through swirl generation. Int. J. Heat Mass Transf. 2019, 145, 118738. [Google Scholar] [CrossRef]
- Kong, Y.Q.; Wang, W.J.; Yang, L.J.; Du, X.Z.; Yang, Y.P. Water redistribution among various sectors to avoid freezing of air-cooled heat exchanger. Int. J. Heat Mass Transf. 2019, 141, 294–309. [Google Scholar] [CrossRef]
- Wang, W.J.; Kong, Y.Q.; Huang, X.W.; Yang, L.J.; Du, X.Z.; Yang, Y.P. Anti-freezing of air-cooled heat exchanger by switching off sectors. Appl. Therm. Eng. 2017, 120, 327–339. [Google Scholar] [CrossRef]
- Wang, W.J.; Huang, X.W.; Yang, L.J.; Du, X.Z.; Yang, Y.P. Anti-freezing operation strategies of natural draft dry cooling system. Int. J. Heat Mass Transf. 2018, 118, 165–170. [Google Scholar] [CrossRef]
- Li, W.D.; Wang, H.T.; Wang, J.; Duan, C.P.; Zhao, Y.B. Effect mechanism of exit-water temperature distribution characteristics on the anti-freezing of natural draft dry cooling tower. Appl. Therm. Eng. 2019, 161, 114078. [Google Scholar] [CrossRef]
- Ma, H.; Si, F.Q.; Zhu, K.P.; Wang, J.S. Utilization of partial through-flow tower shell to cope with the excess cooling capacity of dry cooling tower in extremely cold days with crosswind. Int. J. Therm. Sci. 2019, 136, 70–85. [Google Scholar] [CrossRef]
- Zhou, J.X.; Ma, H.; Si, F.Q.; Zhu, K.P.; Wang, J.S. To broaden safe operation range of the indirect dry cooling system with internal annular windbreak cloth in extremely cold days. Appl. Therm. Eng. 2019, 152, 420–429. [Google Scholar] [CrossRef]
- Hong, G.; Kim, C.; Hong, J. Energy conservation potential of economizer controls using optimal outdoor air fraction based on field study. Energies 2020, 13, 5038. [Google Scholar] [CrossRef]
- Shumaev, V.V.; Kuzenov, V.V. Development of the numerical model for evaluating the temperature field and thermal stresses in structural elements of aircrafts. J. Phys. Conf. Ser. 2017, 891, 012311. [Google Scholar] [CrossRef]
- Ryzhkov, S.V.; Kuzenov, V.V. Analysis of the ideal gas flow over body of basic geometrical shape. Int. J. Heat Mass Transf. 2019, 132, 587–592. [Google Scholar] [CrossRef]















Publisher’s Note: MDPI stays neutral with regard to jurisdictional claims in published maps and institutional affiliations. |
© 2021 by the authors. Licensee MDPI, Basel, Switzerland. This article is an open access article distributed under the terms and conditions of the Creative Commons Attribution (CC BY) license (https://creativecommons.org/licenses/by/4.0/).
Share and Cite
Guo, H.; Yang, Y.; Cheng, T.; Zhou, H.; Wang, W.; Du, X. Tower Configuration Impacts on the Thermal and Flow Performance of Steel-Truss Natural Draft Dry Cooling System. Energies 2021, 14, 2002. https://doi.org/10.3390/en14072002
Guo H, Yang Y, Cheng T, Zhou H, Wang W, Du X. Tower Configuration Impacts on the Thermal and Flow Performance of Steel-Truss Natural Draft Dry Cooling System. Energies. 2021; 14(7):2002. https://doi.org/10.3390/en14072002
Chicago/Turabian StyleGuo, Huiqian, Yue Yang, Tongrui Cheng, Hanyu Zhou, Weijia Wang, and Xiaoze Du. 2021. "Tower Configuration Impacts on the Thermal and Flow Performance of Steel-Truss Natural Draft Dry Cooling System" Energies 14, no. 7: 2002. https://doi.org/10.3390/en14072002
APA StyleGuo, H., Yang, Y., Cheng, T., Zhou, H., Wang, W., & Du, X. (2021). Tower Configuration Impacts on the Thermal and Flow Performance of Steel-Truss Natural Draft Dry Cooling System. Energies, 14(7), 2002. https://doi.org/10.3390/en14072002

