Spatial-Light-Modulator-Based Multichannel Data Transmission by Vortex Beams of Various Orders
Abstract
1. Introduction
2. Development of Multichannel Filters and Modelling of the Sorting Process
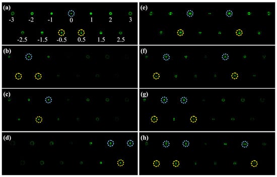
3. Experimental Results
4. Conclusions
Author Contributions
Funding
Institutional Review Board Statement
Informed Consent Statement
Data Availability Statement
Conflicts of Interest
References
- Gibson, G.; Courtial, J.; Padgett, M.J.; Vasnetsov, M.; Pas’ko, V.; Barnett, S.M.; Franke-Arnold, S. Free-space information transfer using light beams carrying orbital angular momentum. Opt. Express 2004, 12, 5448–5456. [Google Scholar] [CrossRef]
- Wang, T.; Pu, J.; Chen, Z. Beam-spreading and topological charge of vortex beams propagating in a turbulent atmosphere. Opt. Commun. 2009, 282, 1255–1259. [Google Scholar] [CrossRef]
- Wang, Z.; Zhang, N.; Yuan, X.-C. High-volume optical vortex multiplexing and de-multiplexing for free-space optical communication. Opt. Express 2011, 19, 482–492. [Google Scholar] [CrossRef]
- Aksenov, V.P.; Pogutsa, C.E. Increase in laser beam resistance to random inhomogeneities of atmospheric permittivity with an optical vortex included in the beam structure. Appl. Opt. 2012, 51, 7262–7267. [Google Scholar] [CrossRef]
- Soifer, V.A.; Korotkova, O.; Khonina, S.N.; Shchepakina, E.A. Vortex beams in turbulent media: Review. Comput Opt 2016, 40, 605–624. [Google Scholar] [CrossRef]
- Dubois, F.; Emplit, P.; Hugon, O. Selective mode excitation in graded-index multimode fiber by a computer-generated optical mask. Opt. Lett. 1994, 19, 433–435. [Google Scholar] [CrossRef]
- Karpeev, S.V.; Khonina, S.N. Experimental excitation and detection of angular harmonics in a step-index optical fiber. Opt. Mem. Neural Netw. (Inf. Opt.) 2007, 16, 295–300. [Google Scholar] [CrossRef]
- Khonina, S.N.; Striletz, A.S.; Kovalev, A.A.; Kotlyar, V.V. Propagation of laser vortex beams in a parabolic optical fiber. Proc. SPIE 2010, 7523, 75230B. [Google Scholar]
- Ye, J.; Li, Y.; Han, Y.; Deng, D.; Guo, Z.; Gao, J.; Sun, Q.; Liu, Y.; Qu, S. Excitation and separation of vortex modes in twisted air-core fiber. Opt. Express 2016, 24, 8310–8316. [Google Scholar] [CrossRef] [PubMed]
- Wen, Y.; Chremmos, I.; Chen, Y.; Zhu, G.; Zhang, J.; Zhu, J.; Zhang, Y.; Liu, J.; Yu, S. Compact and high-performance vortex mode sorter for multi-dimensional multiplexed fiber communication systems. Optica 2020, 7, 254–262. [Google Scholar] [CrossRef]
- Wang, J.; Yang, J.-Y.; Fazal, I.M.; Ahmed, N.; Yan, Y.; Huang, H.; Ren, Y.; Yue, Y.; Dolinar, S.; Tur, M.; et al. Terabit free-space data transmission employing orbital angular momentum multiplexing. Nat. Photonics 2012, 6, 488–496. [Google Scholar] [CrossRef]
- Bozinovic, N.; Yue, Y.; Ren, Y.; Tur, M.; Kristensen, P.; Huang, H.; Willer, A.E.; Ramachandran, S. Terabit-scale orbital angular momentum mode division multiplexing in fibers. Science 2013, 340, 1545–1548. [Google Scholar] [CrossRef]
- Berkhout, G.C.G.; Lavery, M.P.J.; Courtial, J.; Beijersbergen, M.W.; Padgett, M.J. Efficient sorting of orbital angular momentum states of light. Phys. Rev. Lett. 2010, 105, 153601. [Google Scholar] [CrossRef]
- Mirhosseini, M.; Malik, M.; Shi, Z.; Boyd, R.W. Efficient separation of the orbital angular momentum eigenstates of light. Nat. Commun. 2013, 4, 2781. [Google Scholar] [CrossRef]
- Wen, Y.; Chremmos, I.; Chen, Y.; Zhu, J.; Zhang, Y.; Yu, S. Spiral transformation for high-resolution and efficient sorting of optical vortex modes. Phys. Rev. Lett. 2018, 120, 193904. [Google Scholar] [CrossRef]
- Golub, M.A.; Karpeev, S.V.; Kazanskiĭ, N.L.; Mirzov, A.V.; Sisakyan, I.N.; Soĭfer, V.A.; Uvarov, G.V. Spatial phase filters matched to transverse modes. Sov. J. Quantum. Electron. 1988, 18, 392–393. [Google Scholar] [CrossRef]
- Porfirev, A.P.; Kirilenko, M.S.; Khonina, S.N.; Skidanov, R.V.; Soifer, V.A. Study of propagation of vortex beams in aerosol optical medium. Appl. Opt. 2017, 56, E8–E15. [Google Scholar] [CrossRef] [PubMed]
- Khonina, S.N.; Karpeev, S.V.; Paranin, V.D. A technique for simultaneous detection of individual vortex states of Laguerre–Gaussian beams transmitted through an aqueous suspension of microparticles. Opt. Las. Eng. 2018, 105, 68–74. [Google Scholar] [CrossRef]
- Moreno, I.; Davis, J.A.; Ruiz, I.; Cottrell, D.M. Decomposition of radially and azimuthally polarized beams using a circular-polarization and vortex-sensing diffraction grating. Opt. Express 2010, 18, 7173–7183. [Google Scholar] [CrossRef]
- Fu, S.; Zhang, S.; Wang, T.; Gao, C. Rectilinear lattices of polarization vortices with various spatial polarization distributions. Opt. Express 2016, 24, 18486–18491. [Google Scholar] [CrossRef] [PubMed]
- Khonina, S.N.; Porfirev, A.P.; Karpeev, S.V. Recognition of polarization and phase states of light based on the interaction of nonuniformly polarized laser beams with singular phase structures. Opt. Express 2019, 27, 18484–18492. [Google Scholar] [CrossRef]
- Khonina, S.N.; Kotlyar, V.V.; Soifer, V.A.; Paakkonen, P.; Turunen, J. Measuring the light field orbital angular momentum using DOE. Opt. Mem. Neural Netw. (Inf. Opt.) 2001, 10, 241–255. [Google Scholar]
- Khonina, S.N.; Kotlyar, V.V.; Soifer, V.A.; Pääkkönen, P.; Simonen, J.; Turunen, J. An analysis of the angular momentum of a light field in terms of angular harmonics. J. Mod. Opt. 2001, 48, 1543–1557. [Google Scholar] [CrossRef]
- Khonina, S.N.; Skidanov, R.V.; Kotlyar, V.V.; Jefimovs, K.; Turunen, J. Phase diffractive filter to analyze an output step-index fiber beam. Proc. SPIE Int. Soc. Opt. Eng. 2004, 5182, 251–259. [Google Scholar]
- Lyubopytov, V.S.; Tlyavlin, A.Z.; Sultanov, A.K.; Bagmanov, V.K.; Khonina, S.N.; Karpeev, S.V.; Kazanskiy, N.L. Mathematical model of completely optical system for detection of mode propagation parameters in an optical fiber with few-mode operation for adaptive compensation of mode coupling. Comput. Opt. 2013, 37, 352–359. [Google Scholar] [CrossRef]
- Lei, T.; Zhang, M.; Li, Y.; Jia, P.; Liu, G.N.; Xu, X.; Li, Z.; Min, C.; Lin, J.; Yu, C.; et al. Massive individual orbital angularmomentum channels for multiplexing enabled by Dammann gratings. Light Sci. Appl. 2015, 4, e257. [Google Scholar] [CrossRef]
- Fu, S.; Zhang, S.; Wang, T.; Gao, C. Measurement of orbital angular momentum spectra of multiplexing optical vortices. Opt. Express 2016, 24, 6240–6248. [Google Scholar] [CrossRef]
- Zhao, P.; Li, S.; Feng, X.; Cui, K.; Liu, F.; Zhang, W.; Huang, Y. Measuring the complex orbital angular momentum spectrum oflight with a mode-matching method. Opt. Lett. 2017, 42, 1080–1083. [Google Scholar] [CrossRef]
- D’Errico, A.; D’Amelio, R.; Piccirillo, B.; Cardano, F.; Marrucci, L. Measuring the complex orbital angular momentum spectrum and spatial mode decomposition of structured light beams. Optica 2017, 4, 1350–1357. [Google Scholar] [CrossRef]
- Podlipnov, V.V.; Karpeev, S.V.; Paranin, V.D. Recognition of vortex beams with a wavelength of 1530 nm in aerosol and turbulent media. Proc. SPIE 2019, 11516, 115161U. [Google Scholar] [CrossRef]
- Karpeev, S.V.; Podlipnov, V.V.; Ivliev, N.A.; Paranin, V.D. Transmission and detection of informationally loaded beams of wavelength 1530 nm in a random fluctuating medium. Comput. Opt. 2019, 43, 368–375. [Google Scholar] [CrossRef]
- Karpeev, S.V.; Podlipnov, V.V.; Ivliev, N.A.; Khonina, S.N. High-speed format 1000BASESX/LX transmission through the atmosphere by vortex beams near IR range with help modified SFP-transivers DEM-310GT. Comput. Opt. 2020, 44, 578–581. [Google Scholar] [CrossRef]
- Karpeev, S.V.; Pavelyev, V.S.; Soifer, V.A.; Khonina, S.N.; Duparre, M.; Leudge, B.; Turunen, J. Transverse mode multiplexing by diffractive optical elements. Proc. SPIE 2005, 5854, 1–12. [Google Scholar]
- Uematsu, T.; Ishizaka, Y.; Kawaguchi, Y.; Saitoh, K.; Koshiba, M. Design of a compact two-mode multi/demultiplexer consisting of multimode interference waveguides and a wavelength-insensitive phase shifter for mode-division multiplexing transmission. J. Lightw. Technol. 2012, 30, 2421. [Google Scholar] [CrossRef]
- Qiu, H.; Yu, H.; Hu, T.; Jiang, G.; Shao, H.; Yu, P.; Yang, J.; Jiang, X. Silicon mode multi/demultiplexer based on multimode grating-assisted coupler. Opt. Express 2013, 21, 17904. [Google Scholar] [CrossRef] [PubMed]
- Amphawan, A.; Fazea, Y. Multidiameter optical ring and Hermite-Guassian vortices for wavelength division multiplexing-mode division multiplexing. Opt. Eng. 2016, 55, 106109. [Google Scholar] [CrossRef][Green Version]
- Shalaby, H.M. Bi-directional coupler as a mode-division multiplexer/demultiplexer. J. Lightw. Technol. 2016, 34, 3633–3640. [Google Scholar] [CrossRef]
- Wu, X.; Huang, C.; Xu, K.; Shu, C.; Tsang, H.K. Mode-division multiplexing for silicon photonic network-on-chip. J. Lightw. Technol. 2017, 35, 3223–3228. [Google Scholar] [CrossRef]
- Fazea, Y.; Mezhuyev, V. Selective mode excitation techniques for mode-division multiplexing: A critical review. Opt. Fiber Technol. 2018, 45, 280–288. [Google Scholar] [CrossRef]
- Almazov, A.A.; Khonina, S.N.; Kotlyar, V.V. Using phase diffraction optical elements to shape and select laser beams consisting of a superposition of an arbitrary number of angular harmonics. J. Opt. Technol. 2005, 72, 391–399. [Google Scholar] [CrossRef]
- Pachava, S.; Dharmavarapu, R.; Vijayakumar, A.; Jayakumar, S.; Manthalkar, A.; Dixit, A.; Viswanathan, N.K.; Srinivasan, B.; Bhattacharya, S. Generation and decomposition of scalar and vector modes carrying orbital angular momentum: A review. Opt. Eng. 2019, 59, 1. [Google Scholar] [CrossRef]
- Fu, S.; Zhai, Y.; Zhang, J.; Liu, X.; Song, R.; Zhou, H.; Gao, C. Universal orbital angular momentum spectrum analyzer for beams. PhotoniX 2020, 1, 19. [Google Scholar] [CrossRef]
- Berry, M.V. Optical vortices evolving from helicoidal integer and fractional phase steps. J. Opt. A Pure Appl. Opt. 2004, 6, 259–268. [Google Scholar] [CrossRef]
- Basistiy, V.; Pas’ko, V.A.; Slyusa, V.V.; Soskin, M.S.; Vasnetsov, M.V. Synthesis and analysis of optical vortices with fractional topological charges. J. Opt. A 2004, 6, S166–S169. [Google Scholar] [CrossRef]
- Leach, J.; Yao, E.; Padgett, M.J. Observation of the vortex structure of a non-integer vortex beam. New J. Phys. 2004, 6, 71. [Google Scholar] [CrossRef]
- Zhang, N.; Davis, J.A.; Moreno, I.; Lin, J.; Moh, K.-J.; Cottrell, D.M.; Yuan, X. Analysis of fractional vortex beams using a vortex grating spectrum analyzer. Appl. Opt. 2010, 49, 2456–2462. [Google Scholar] [CrossRef]
- Kotlyar, V.V.; Kovalev, A.A.; Volyar, A.V. Topological charge of a linear combination of optical vortices: Topological competition. Opt. Express 2020, 28, 8266–8281. [Google Scholar] [CrossRef]
- Shen, Y.; Wang, X.; Xie, Z.; Min, C.; Fu, X.; Liu, Q.; Gong, M.; Yuan, X. Optical vortices 30 years on: OAM manipulation from topological charge to multiple singularities. Light Sci. Appl. 2019, 8, 90. [Google Scholar] [CrossRef]
- Ni, B.; Guo, L.; Yue, C.; Tang, Z. A novel measuring method for arbitrary optical vortex by three spiral spectra. Phys. Lett. A 2017, 381, 817–820. [Google Scholar] [CrossRef]
- Khonina, S.N.; Podlipnov, V.V.; Karpeev, S.V.; Ustinov, A.V.; Volotovsky, S.G.; Ganchevskaya, S.V. Spectral control of the orbital angular momentum of a laser beam based on 3D properties of spiral phase plates fabricated for an infrared wavelength. Opt. Express 2020, 28, 18407–18417. [Google Scholar] [CrossRef]
- Qin, C.; Proietti, R.; Scott, R.P. Polarization diversified integrated circuits for orbital angular momentum multiplexing. IEEE Photon. Technol. Lett. 2015, 27, 1056–1059. [Google Scholar]
- Chen, Z.; Li, C.; Ding, P.; Pu, J.; Zhao, D. Experimental investigation of the scintillation index of vortex beams propagating in simulated atmospheric turbulence. Appl. Phys. B 2012, 107, 469–472. [Google Scholar] [CrossRef]





| Characteristics of the Input Light Field | Intensity Distributions in the Focal Plane |
|---|---|
| , , | ![]() |
| , , | |
| , , , , | ![]() |
| , , , ![]() | ![]() |
, , | ![]() |
| Characteristics of the Input Light Field | Intensity Distributions in the Focal Plane |
| , , , , | ![]() |
| , , , , | ![]() |
| , , , , | ![]() |
, , , | ![]() |
Publisher’s Note: MDPI stays neutral with regard to jurisdictional claims in published maps and institutional affiliations. |
© 2021 by the authors. Licensee MDPI, Basel, Switzerland. This article is an open access article distributed under the terms and conditions of the Creative Commons Attribution (CC BY) license (https://creativecommons.org/licenses/by/4.0/).
Share and Cite
Khonina, S.N.; Karpeev, S.V.; Butt, M.A. Spatial-Light-Modulator-Based Multichannel Data Transmission by Vortex Beams of Various Orders. Sensors 2021, 21, 2988. https://doi.org/10.3390/s21092988
Khonina SN, Karpeev SV, Butt MA. Spatial-Light-Modulator-Based Multichannel Data Transmission by Vortex Beams of Various Orders. Sensors. 2021; 21(9):2988. https://doi.org/10.3390/s21092988
Chicago/Turabian StyleKhonina, Svetlana N., Sergey V. Karpeev, and Muhammad A. Butt. 2021. "Spatial-Light-Modulator-Based Multichannel Data Transmission by Vortex Beams of Various Orders" Sensors 21, no. 9: 2988. https://doi.org/10.3390/s21092988
APA StyleKhonina, S. N., Karpeev, S. V., & Butt, M. A. (2021). Spatial-Light-Modulator-Based Multichannel Data Transmission by Vortex Beams of Various Orders. Sensors, 21(9), 2988. https://doi.org/10.3390/s21092988











