Dysferlin Protein–Protein Interaction Pathways in the Organ of Corti and Spiral Ganglion Intersect with Alzheimer’s Protein Pathways
Abstract
1. Introduction
2. Results
2.1. Hair Cell Proteins in Stereocilia Embedded in the Tectorial Membrane: Dysferlin, FKBP8, BCL2, RYRs, and Annexin A2 Form a Molecular Pathway to Regulate Ca2+


2.2. Wildtype Expression of Alzheimer’s Disease Proteins in the Organ of Corti


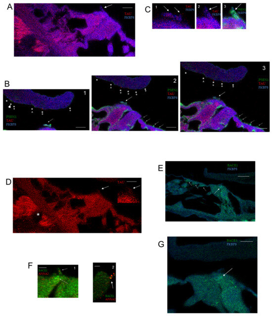
2.3. Molecular Targeting of Alzheimer’s Disease-Associated Proteins in the Spiral Ganglion and Cochlear Neural Components by Dysferlin Protein–Protein Interactions
2.4. Dysferlin Protein–Protein Interactions Altered in Dysferlinopathy, Potentially Ameliorative in Alzheimer’s Disease

3. Discussion
3.1. Implications of Dysferlin Expression in the Organ of Corti: Hair Cell Stereocilia and Inserts in the Tectorial Membrane
3.2. Expression of Wildtype Alzheimer’s Disease Proteins in the Organ of Corti
3.3. Ryanodine Receptors in Hair Cells and the Tectorial Membrane
3.4. Ryanodine Receptors in Neural Pathways of the Organ of Corti
3.5. Alzheimer’s Disease-Associated Proteins in the Spiral Ganglion and Cochlear Neural Components
3.6. Dysferlin and Ryanodine Receptor Function in Alzheimer’s Disease
4. Materials and Methods
4.1. Analysis of Dysferlin cDNA
4.2. Immunohistochemistry
4.3. Confocal Fluorescence Microscopy
4.4. Western Blot Analysis
5. Conclusions
Dysferlin Interaction Pathways Underlying Ryanodine Receptor Regulation of Calcium
Supplementary Materials
Author Contributions
Funding
Institutional Review Board Statement
Informed Consent Statement
Data Availability Statement
Acknowledgments
Conflicts of Interest
References
- Bansal, D.; Miyake, K.; Vogel, S.S.; Groh, S.; Chen, C.-C.; Williamson, R.; McNeil, P.L.; Campbell, K.P. Defective membrane repair in dysferlin-deficient muscular dystrophy. Nature 2003, 423, 168–172. [Google Scholar] [CrossRef]
- Drescher, D.G.; Drescher, M.J.; Selvakumar, D.; Annam, N.P. Analysis of dysferlin direct interactions with putative repair proteins links apoptotic signaling to Ca2+ elevation via PDCD6 and FKBP8. Int. J. Mol. Sci. 2023, 24, 4707–4730. [Google Scholar] [CrossRef] [PubMed]
- Heidrych, P. Novel Interaction Partners for Otoferlin, a Functional Member of Acoustic Transmission in the Inner Ear. Ph.D. Thesis, University of Tubingen, Tubingen, Germany, 2008. [Google Scholar]
- Labay, V.; Griffith, A. Identification of proteins that interact with TMC1 protein in the inner ear. In Proceedings of the Association for Research in Otolaryngology, Baltimore, MD, USA, 15 February 2009. [Google Scholar]
- Zak, M.; Bress, A.; Pfister, M.; Blin, N. Temporal expression pattern of FKBP8 in rodent cochlea. Cell Physiol. Biochem. 2011, 28, 1023–1030. [Google Scholar] [CrossRef] [PubMed]
- Shirane, M.; Nakayama, K.I. Inherent calcineurin inhibitor FKBP38 targets Bcl-2 to mitochondria and inhibits apoptosis. Nat. Cell Biol. 2003, 5, 28–37. [Google Scholar] [CrossRef] [PubMed]
- Haupt, K.; Jahreis, G.; Linnert, M.; Maestre-Martínez, M.; Malesevic, M.; Pechstein, A.; Edlich, F.; Lücke, C. The FKBP38 catalytic domain binds to Bcl-2 via a charge-sensitive loop. J. Biol. Chem. 2012, 287, 19665–19673. [Google Scholar] [CrossRef] [PubMed]
- Vervliet, T.; Decrock, E.; Molgó, J.; Sorrentino, V.; Missiaen, L.; Leybaert, L. Bcl-2 binds to and inhibits ryanodine receptors. J. Cell Sci. 2014, 127, 2782–2792. [Google Scholar] [CrossRef]
- Jeng, J.Y.; Harasztosi, C.; Carlton, A.J.; Corns, L.F.; Marchetta, P.; Johnson, S.L.; Goodyear, R.J.; Legan, K.P.; Rüttiger, L.; Richardson, G.P.; et al. MET currents and otoacoustic emissions from mice with a detached tectorial membrane indicate the extracellular matrix regulates Ca2+ near stereocilia. Physiol. 2021, 599, 2015–2036. [Google Scholar] [CrossRef] [PubMed]
- Schade-Mann, T.; Münkner, S.; Eckrich, T.; Engel, J. Calcium signaling in interdental cells during the critical developmental period of the mouse cochlea. Hear. Res. 2020, 389, 107913. [Google Scholar] [CrossRef] [PubMed]
- Omata, Y.; Tharasegaran, S.; Lim, Y.-M.; Yamasaki, Y.; Ishigaki2, Y.; Tatsuno, T.; Maruyama, M.; Tsuda, L. Expression of amyloid-β in mouse cochlear hair cells causes an early onset auditory defect in high-frequency sound perception. Aging 2016, 8, 427–439. [Google Scholar] [CrossRef] [PubMed]
- O’Leary, T.P.; Shin, S.; Fertan, E.; Dingle, R.N.; Almuklass, A.; Gunn, R.K.; Yu, Z.; Wang, J.; Brown, R.E. Reduced acoustic startle response and peripheral hearing loss in the 5xFAD mouse model of Alzheimer’s disease. Genes Brain Behav. 2017, 16, 554–563. [Google Scholar] [CrossRef]
- Par, J.-H.; Sahbaz, B.D.; Pekhale, K.; Chu, X.; Okur, M.N.; Grati, M.; Isgrig, K.; Chien, W.; Chrysostomou, E.; Sullivan, L.; et al. Early-onset hearing loss in mouse models of Alzheimer’s disease and increased DNA damage in the cochlea. Aging Biol. 2024, 1, 2024–2025. [Google Scholar] [CrossRef]
- Chernyuk, D.; Callens, M.; Polozova, M.; Gordeev, A.; Chigriai, M.; Rakovskaya, A.; Ilina, A.; Pchitskaya, E.; Van den Haute, C.; Vervliet, T.; et al. Neuroprotective properties of anti-apoptotic BCL-2 proteins in 5xFAD mouse model of Alzheimer’s disease. IBRO Neurosci. Rep. 2023, 14, 273–283. [Google Scholar] [PubMed]
- Dierich, M.; Hartmann, S.; Dietrich, N.; Moeser, P.; Brede, F.; Chacko, L.J.; Tziridis, K.; Schilling, A.; Krauss, P.; Hessler, S.; et al. β-Secretase BACE1 is required for normal cochlear function. J. Neurosci. 2019, 39, 9013–9027. [Google Scholar] [CrossRef] [PubMed]
- Drescher, D.G.; Drescher, M.J. Noise-induced up-modulation of annexin A2 and dysferlin in stereocilia of cochlear outer hair cells. In Proceedings of the Association for Research in Otolaryngology, San Diego, CA, USA, 11 February 2018. [Google Scholar]
- Drescher, D.G.; Drescher, M.J.; Annan, P. Dysferlin direct protein-protein interactions support involvement of dysferlin in apoptotic pathways of hair cells as predicted by structurally similar otoferlin. In Proceedings of the Association for Research in Otolaryngology, Baltimore, MD, USA, 12 February 2019. [Google Scholar]
- Drescher, M.J.; Drescher, D.G. Hair cell proteins in stereocilia embedded in the tectorial membrane: Dysferlin, annexin A2, FKBP8, Bcl2, and RyR3, forming a molecular pathway to regulate Ca2+. In Proceedings of the Association for Research in Otolaryngology, Orlando, FL, USA, 23 February 2025. [Google Scholar]
- Drescher, D.G.; Drescher, M.J. Molecular targeting of Alzheimer’s disease-associated proteins in the spiral ganglion and cochlear neural components by dysferlin protein-protein interactions. In Proceedings of the Association for Research in Otolaryngology, Orlando, FL, USA, 23 February 2025. [Google Scholar]
- Selvakumar, D.; Drescher, M.J.; Deckard, N.; Ramakrishnan, N.A.; Drescher, D.G. Dopamine D1A directly interacts with otoferlin synaptic pathway proteins: Phosphorylation underlies a molecular switch from NSF to AP2mu1 interactions. Biochem. J. 2017, 474, 79–104. [Google Scholar] [CrossRef] [PubMed]
- Vaillant-Beuchot, L.; Mary, A.; Pardossi-Piquard, R.; Bourgeois, A.; Lauritzen, I.; Eysert, F.; Kinoshita, P.F.; Cazareth, J.; Badot, C.; Fragaki, K.; et al. Accumulation of amyloid precursor protein C-terminal fragments triggers mitochondrial structure, function, and mitophagy defects in Alzheimer’s disease models and human brains. Acta Neuropathol. 2021, 141, 39–65. [Google Scholar] [CrossRef] [PubMed]
- Isei, M.O.; Crockett, M.; Chen, E.; Rodwell-Bullock, J.; Carroll, T.; Girardi, P.A.; Nehrke, K.; Johnson, G.V.W. Tau phosphorylation suppresses oxidative stress-induced mitophagy via FKBP8 receptor modulation. PLoS ONE 2025, 20, e0307358. [Google Scholar] [CrossRef]
- Chan, S.L.; Mayne, M.; Holden, C.P.; Geiger, J.D.; Mattson, M.P. Presenilin-1 mutations increase levels of ryanodine receptors and calcium release in PC12 cells and cortical neurons. J. Biol. Chem. 2000, 275, 18195–18200. [Google Scholar] [CrossRef] [PubMed]
- Cornejo-Sanchez, D.M.; Li, G.; Fabiha, T.; Wang, R.; Acharya, A.; Everard, J.L.; Kadlubowska, M.K.; Huang, Y.; Schrauwen, I.; Wang, G.T.; et al. Rare-variant association analysis reveals known and new age-related hearing loss genes. Eur. J. Hum. Genet. 2023, 31, 638–647. [Google Scholar] [CrossRef]
- Wang, H.Q.; Nakaya, Y.; Du, Z.; Yamane, T.; Shirane, M.; Kudo, T.; Takeda, M.; Takebayashi, K.; Noda, Y.; Nakayama, K.I.; et al. Interaction of presenilins with FKBP38 promotes apoptosis by reducing mitochondrial Bcl-2. Hum. Mol. Genet. 2005, 14, 1889–1902. [Google Scholar] [CrossRef]
- Sun, Y.; Islam, S.; Gao, Y.; Nakamura, T.; Tomita, T.; Michikawa, M.; Zou, K. Presenilin deficiency enhances tau phosphorylation and its secretion. J. Neurochem. 2024, 168, 2956–2973. [Google Scholar] [CrossRef] [PubMed]
- Selvakumar, D.; Drescher, M.J.; Drescher, D.G. Cyclic nucleotide-gated channel α-3 (CNGA3) interacts with stereocilia tip-link cadherin 23 + exon 68 or alternatively with myosin VIIa, two proteins required for hair cell mechanotransduction. J. Biol. Chem. 2013, 288, 7215–7229. [Google Scholar] [CrossRef] [PubMed]
- Slepecky, N.B.; Ulfendahl, M. Actin-binding and microtubule-associated proteins in the organ of Corti. Hear. Res. 1992, 51, 201–215. [Google Scholar] [PubMed]
- McInturff, S.; Burns, J.C.; Kelley, M.W. Characterization of spatial and temporal development of Type I and Type II hair cells in the mouse utricle using new cell-type-specific markers. Biol. Open. 2018, 7, bio038083. [Google Scholar] [CrossRef]
- Maphis, N.; Xu, G.; Kokiko-Cochran, O.N.; Cardona, A.E.; Ransohoff, R.M.; Lamb, B.T.; Bhaskar, K. Loss of tau rescues inflammation-mediated neurodegeneration. Front. Neurosci. 2015, 9, 196. [Google Scholar] [CrossRef] [PubMed]
- Chang, Y.-J.; Linh, N.H.; Shih, Y.H.; Yu, H.-M.; Li, M.S.; Chen, Y.-R. Alzheimer’s Amyloid-β sequesters caspase-3 in vitro via its C-terminal tail. ACS Chem. Neurosci. 2016, 7, 1097–1106. [Google Scholar] [CrossRef] [PubMed]
- Choi, B.-H.; Feng, L.; Yoon, H.S. FKBP38 protects Bcl-2 from caspase-dependent degradation. J. Biol. Chem. 2010, 285, 9770–9779. [Google Scholar] [CrossRef] [PubMed] [PubMed Central]
- Strimbu, C.E.; Prasad, S.; Hakizimana, P.; Fridberger, A. Control of hearing sensitivity by tectorial membrane calcium. Proc. Natl. Acad. Sci. USA 2019, 116, 5756–5764. [Google Scholar] [PubMed]
- Hakizimana, P.; Fridberger, A. Inner hair cell stereocilia are embedded in the tectorial membrane. Nat. Commun. 2021, 12, 2604. [Google Scholar] [CrossRef] [PubMed]
- Lazar, C.H.; Kimchi, A.; Namburi, P.; Mutsuddi, M.; Zelinger, L.; Beryozkin, A.; Ben-Simhon, S.; Obolensky, A.; Ben-Neriah, Z.; Argov, Z.; et al. Nonsyndromic early-onset cone-rod dystrophy and limb-girdle muscular dystrophy in a consanguineous Israeli family are caused by two independent yet linked mutations in ALMS1 and DYSF. Hum. Mutat. 2015, 36, 836–841. [Google Scholar] [PubMed]
- Galvin, J.E.; Palamand, D.; Strider, J.; Milone, M.; Pestronk, A. The muscle protein dysferlin accumulates in the Alzheimer brain. Acta Neuropathol. 2006, 112, 665–671. [Google Scholar] [CrossRef] [PubMed]
- Wu, B.; Yamaguchi, H.; Lai, F.A.; Shen, J. Presenilins regulate calcium homeostasis and presynaptic function via ryanodine receptors in hippocampal neurons. Proc. Natl. Acad. Sci. USA 2013, 110, 15091–15096. [Google Scholar] [CrossRef] [PubMed] [PubMed Central]
- Antonicka, H.; Lin, Z.Y.; Janer, A.; Aaltonen, M.J.; Weraarpachai, W.; Gingras, A.C.; Shoubridge, E.A. A high-density human mitochondrial proximity interaction network. Cell Metab. 2020, 32, 479–497.e9. [Google Scholar] [CrossRef] [PubMed]
- Vaillant-Beuchot, L.; Eysert, F.; Duval, B.; Kinoshita, P.F.; Pardossi-Piquard, R.; Bauer, C.; Eddarkaoui, S.; Buée, L.; Checler, F.; Chami, M. The amyloid precursor protein and its derived fragments concomitantly contribute to the alterations of mitochondrial transport machinery in Alzheimer’s disease. Cell Death Dis. 2024, 15, 367. [Google Scholar] [CrossRef] [PubMed]
- Wilkins, H.M.; Troutwine, B.R.; Menta, B.W.; Manley, S.J.; Strope, T.A.; Lysaker, C.R.; Swerdlow, R.H. Mitochondrial membrane potential influences amyloid precursor protein localization and Aβsecretion. J. Alzheimer’s Dis. 2022, 85, 381–394. [Google Scholar] [PubMed]
- Cunningham, L.L.; Matsui, J.I.; Warchol, M.E.; Rubel, E.W. Overexpression of Bcl-2 prevents neomycin-induced hair cell death and caspase-9 activation in the adult mouse utricle in vitro. J. Neurobiol. 2004, 60, 89–100. [Google Scholar] [CrossRef] [PubMed]
- Lioudyno, M.; Hiel, H.; Kong, J.-H.; Katz, E.; Waldman, E.; Parameshwaran-Iyer, S.; Glowatzki, E.; Fuch, P.A. A “synaptoplasmic cistern” mediates rapid inhibition of cochlear hair cells. J. Neurosci. 2004, 24, 11160–11164. [Google Scholar] [CrossRef]
- Beurg, M.; Hafidi, A.; Skinner, L.J.; Ruel, J.; Nouvian, R.; Henaff, M.; Puel, J.-L.; Aran, J.-M.; Dulon, D. Ryanodine receptors and BK channels act as a presynaptic depressor of neurotransmission in cochlear inner hair cells. Eur. J. Neurosci. 2005, 22, 1109–1119. [Google Scholar] [CrossRef]
- Zorrilla de SanMartin, J.; Ballestero, J.; Katz, E.; Elgoyhen, A.B.; Fuch, P.A. Ryanodine is a positive modulator of acetylcholine receptor gating in cochlear hair cells. JARO 2007, 8, 474–483. [Google Scholar] [PubMed]
- Zhang, Y.; Glowatzki, E.; Roux, I.; Fuch, P.A. Nicotine evoked efferent transmitter release onto immature cochlea inner hair cells. J. Neurophysiol. 2020, 124, 1377–1387. [Google Scholar] [PubMed]
- Zachary, S.; Nowak, N.; Vyas, P.; Bonanni, L.; Fuch, P.A. Voltage-gated calcium influx modifies cholinergic inhibition of inner hair cells in the immature rat cochlea. J. Neurosci. 2018, 38, 5677–5687. [Google Scholar] [CrossRef]
- Grant, L.; Slapnick, S.; Kennedy, H.; Hackney, C. Ryanodine receptor localization in the mammalian cochlea; An ultrastructural study. Hear. Res. 2006, 219, 101–109. [Google Scholar] [CrossRef] [PubMed]
- Liang, Y.; Huang, L.; Yang, J. Differential expression of ryanodine receptor in the developing rat cochlea. Eur. J. Histochem. 2009, 53, e30. [Google Scholar] [CrossRef] [PubMed][Green Version]
- Chirasani, V.R.; Elferdink, M.; Kral, M.; Carter, J.S.; Savannah, H.; Meissner, G.; Yamaguchi, N. Structural and functional interactions between the EF hand domain and S2–S3 loop in the type-1 ryanodine receptor ion channel. J. Biol. Chem. 2023, 300, 10506–10518. [Google Scholar] [CrossRef] [PubMed]
- Yang, F.; Ma, H.; Butler, M.R.; Ding, X.Q. Potential contribution of ryanodine receptor 2 upregulation to cGMP/PKG signaling-induced cone degeneration in cyclic nucleotide-gated channel deficiency. FASEB J. 2020, 34, 6335–6350. [Google Scholar] [CrossRef] [PubMed]
- Paulke, N.J.; Fleischhacker, C.; Wegener, J.B.; Riedemann, G.C.; Cretu, C.; Mushtaq, M.; Zaremba, N.; Möbius, W.; Zühlke, Y.; Wedemeyer, J.; et al. Dysferlin enables tubular membrane proliferation in cardiac hypertrophy. Circ. Res. 2024, 135, 554–574. [Google Scholar] [CrossRef] [PubMed]
- Blandin, G.; Marchand, A.; Charton, K.; Danièle, N.; Gicquel, E.; Boucheteil, J.-B.; Azéddine Bentaib, A.; Barrault, L.; Stockholm, D.; Bartoli, M.; et al. A human skeletal muscle interactome centered on proteins involved in muscular dystrophies: LGMD interactome. Skelet. Muscle 2013, 3, 3. [Google Scholar] [CrossRef] [PubMed]
- Morton-Jones, R.T.; Cannell, M.B.; Jeyakumar, L.H.; Fleischer, S.; Housley, G.D. Differential expression of ryanodine receptors in the rat cochlea. Neurosci. 2006, 137, 275–286. [Google Scholar] [CrossRef] [PubMed]
- Bulgart, H.R.; Perez, M.I.L.; Tucker, A.; Giarrano, G.N.; Banford, K.; Miller, O.; Bonser, S.W.G.; Wold, L.E.; Scharre, D.; Weisleder, N. Plasma membrane repair defect in Alzheimer’s disease neurons is driven by the reduced dysferlin expression. FASEB J. 2024, 38, e70099. [Google Scholar] [CrossRef]
- Oulès, B.; Del Prete, D.; Greco, B.; Zhang, X.; Lauritzen, I.; Sevalle, J.; Moreno, S.; Paterlini-Brechot, P.; Trebak, M.; Checler, F.; et al. Ryanodine receptor blockade reduces amyloid-load and memory impairments in Tg2576 mouse model of Alzheimer disease. J. Neurosci. 2012, 201232, 11820–11834. [Google Scholar] [CrossRef] [PubMed]
- Del Prete, D.; Checler, F.; Chami, M. Ryanodine receptors: Physiological function and deregulation in Alzheimer disease. Mol. Neurodegener. 2014, 9, 21. [Google Scholar] [CrossRef] [PubMed]
- Marks, A.R. Targeting ryanodine receptors to treat human diseases. Review. J. Clin. Investig. 2023, 133, e162891. [Google Scholar] [CrossRef] [PubMed]
- Mustaly-Kalimi, S.; Gallegos, W.; Steinbrenner, D.; Gupta, S.; Houcek, A.J.; Bennett, D.A.; Marr, R.A.; Peterson, D.A.; Sekler, I.; Stutzmann, G.E. Mitochondrial dysfunction mediated by ER-calcium dysregulation in neurons derived from Alzheimer’s disease patients. Acta Neuropathol. Commun. 2025, 13, 165. [Google Scholar] [CrossRef]
- Liu, K.; Yin, Y.; Le, Y.; Ouyang, W.; Pan, A.; Huang, H.; Xie, Z.; Zhu, Q.; Tong, J. Age-related loss of miR-124 causes cognitive deficits via derepressing RyR3 expression. Aging Dis. 2022, 13, 1460–1475. [Google Scholar] [CrossRef] [PubMed]
- Usefi, F.; Rustamzadeh, A.; Zhobadi, Z.; Sadigh, N.; Mohebi, N.; Ariaei, A.; Moradi, F. Rosuvastatin attenuates total-tau serum levels and increases expression of miR-124-3p in dyslipidemic Alzheimer’s patients: A historic cohort study. Metab. Brain Dis. 2024, 39, 1201–1211. [Google Scholar] [CrossRef] [PubMed]
- Payne, A.J.; Gerdes, B.C.; Naumchuk, Y.; McCalley, A.E.; Kaja, S.; Koulen, P. Presenilins regulate the cellular activity of ryanodine receptors differentially through isotype-specific N-terminal cysteines. Exp. Neurol. 2013, 250, 143–150. [Google Scholar] [CrossRef] [PubMed]
- Cacciottolo, M.; Nogalska, A.; D’Agostino, C.; Engel, W.K.; Askanas, V. Dysferlin is a newly identified binding partner of AβPP and it co-aggregates with amyloid-β42 within sporadic inclusion-bodymyositis (s-IBM) muscle fibers. Acta Neuropathol. 2013, 126, 781–783. [Google Scholar] [CrossRef]
- Lloyd, E.M.; Pinniger, G.J.; Grounds, M.D.; Murphy, R.M. Dysferlin deficiency results in myofiber-type specific differences in abundances of calcium-handling and glycogen metabolism proteins. Int. J. Mol. Sci. 2022, 24, 76. [Google Scholar] [CrossRef] [PubMed]
- Nadhimi, Y.; Liano, D.A. Does hearing loss lead to dementia? A review of the literature. Hear. Res. 2021, 402, 18038. [Google Scholar] [CrossRef]
- Wang, S.-E.; Wu, C.-H. Tau phosphorylation and cochlear apoptosis cause hearing loss in 3xTg-AD mouse model of Alzheimer’s disease. Chin. J. Physiol. 2021, 64, 61–71. [Google Scholar] [CrossRef]
- Lanner, J.T.; Georgiou, D.K.; Joshi, A.D.; Hamilton, S.L. Ryanodine receptors: Structure, expression, molecular details, and function in calcium release. Cold Spring Harb. Perspect. Biol. 2010, 2, a003996. [Google Scholar] [CrossRef]
- Chami, M.; Checler, F. Targeting post-translational remodeling of ryanodine receptor: A new track for Alzheimer’s disease therapy? Curr. Alzheimer Res. 2020, 17, 313–323. [Google Scholar] [CrossRef]




Disclaimer/Publisher’s Note: The statements, opinions and data contained in all publications are solely those of the individual author(s) and contributor(s) and not of MDPI and/or the editor(s). MDPI and/or the editor(s) disclaim responsibility for any injury to people or property resulting from any ideas, methods, instructions or products referred to in the content. |
© 2025 by the authors. Licensee MDPI, Basel, Switzerland. This article is an open access article distributed under the terms and conditions of the Creative Commons Attribution (CC BY) license (https://creativecommons.org/licenses/by/4.0/).
Share and Cite
Drescher, M.J.; Drescher, D.G.; Khan, K.M.; Hatfield, J.S.; Hemani, D. Dysferlin Protein–Protein Interaction Pathways in the Organ of Corti and Spiral Ganglion Intersect with Alzheimer’s Protein Pathways. Int. J. Mol. Sci. 2025, 26, 9559. https://doi.org/10.3390/ijms26199559
Drescher MJ, Drescher DG, Khan KM, Hatfield JS, Hemani D. Dysferlin Protein–Protein Interaction Pathways in the Organ of Corti and Spiral Ganglion Intersect with Alzheimer’s Protein Pathways. International Journal of Molecular Sciences. 2025; 26(19):9559. https://doi.org/10.3390/ijms26199559
Chicago/Turabian StyleDrescher, Marian J., Dennis G. Drescher, Khalid M. Khan, James S. Hatfield, and Darshi Hemani. 2025. "Dysferlin Protein–Protein Interaction Pathways in the Organ of Corti and Spiral Ganglion Intersect with Alzheimer’s Protein Pathways" International Journal of Molecular Sciences 26, no. 19: 9559. https://doi.org/10.3390/ijms26199559
APA StyleDrescher, M. J., Drescher, D. G., Khan, K. M., Hatfield, J. S., & Hemani, D. (2025). Dysferlin Protein–Protein Interaction Pathways in the Organ of Corti and Spiral Ganglion Intersect with Alzheimer’s Protein Pathways. International Journal of Molecular Sciences, 26(19), 9559. https://doi.org/10.3390/ijms26199559
