Evidences Suggesting that Distinct Immunological and Cellular Responses to Light Damage Distinguishes Juvenile and Adult Rat Retinas
Abstract
1. Introduction
2. Results
2.1. Effect of Bright Light Exposure on the Retinal Function
2.2. Effect of Bright Light Exposure on the Retinal Structure
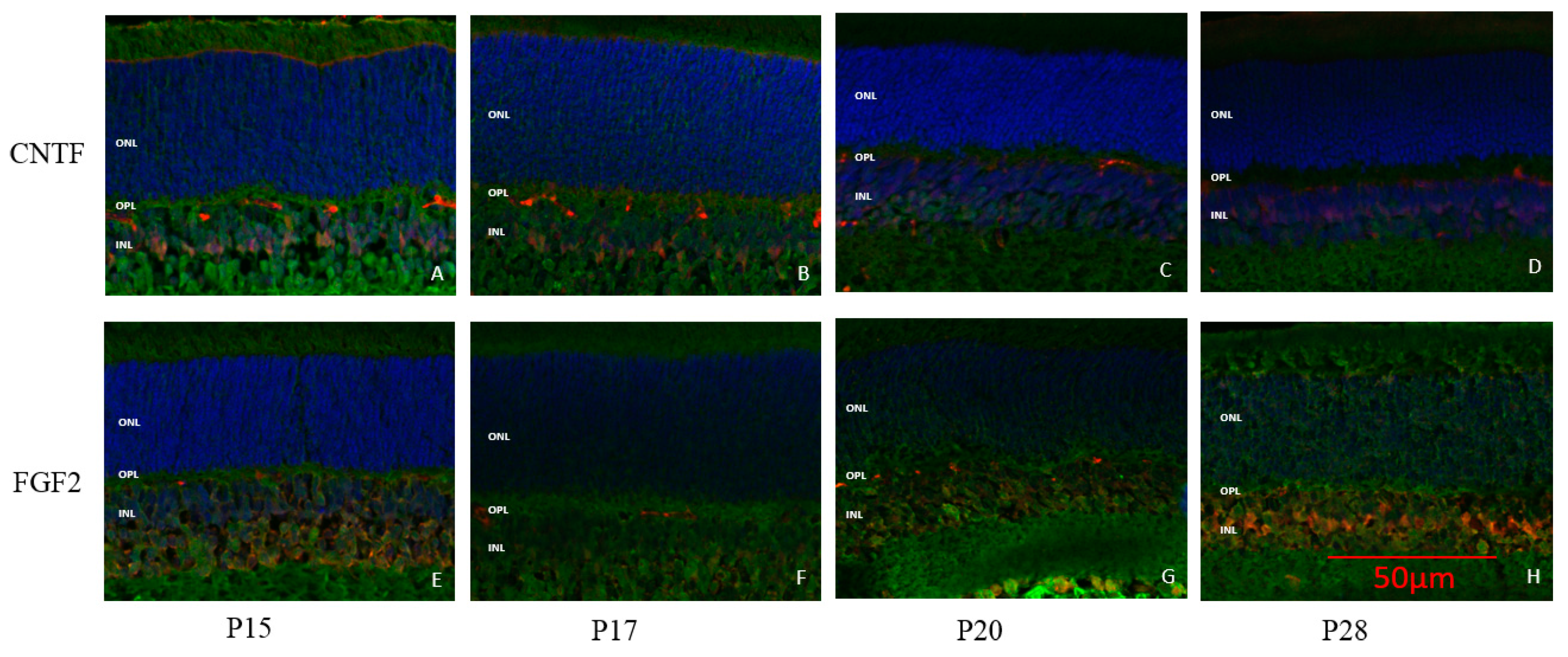
2.3. Immunohistochemistry: Juvenile vs. Adults
3. Discussion
3.1. Electrophysiological Findings
3.2. Histological Findings
3.3. Immunohistochemisty Findings
4. Materials and Methods
4.1. Light Exposure Procedure
4.2. ERG Recordings
4.3. Retinal Histology
4.4. Immunohistochemistry
4.5. Statistical Analysis
Author Contributions
Funding
Conflicts of Interest
Abbreviations
| LIR | Light-induced retinopathy |
| ERG | Electroretinogram |
| OPs | Oscillatory Potentials |
| IHC | Immunohistochemistry |
| GFAP | linear dichroism |
| CNTF | Cilliary neurotrophic factor |
| FGF2 | Fibroblast growth factor 2 |
| IBA1 | Ionized calcium binding adaptor molecule 1 |
| DAPI | 4′,6′-diamidino-2-phenylindole |
| ONL | Outer nuclear layer |
| OPL | Outer plexiform layer |
| INL | Inner nuclear layer |
| ONH | Optic nerve head |
| SR | Superior retina |
| IR | Inferior retina |
References
- Marc, R.E.; Jones, B.W.; Watt, C.B.; Vazquez-Chona, F.; Vaughan, D.K.; Organisciak, D.T. Extreme retinal remodeling triggered by light damage: Implications for age related macular degeneration. Mol. Vis. 2008, 14, 782–806. [Google Scholar] [PubMed]
- Rutar, M.; Provis, J.M.; Valter, K. Brief exposure to damaging light causes focal recruitment of macrophages, and long-term destabilization of photoreceptors in the albino rat retina. Curr. Eye Res. 2010, 35, 631–643. [Google Scholar] [CrossRef] [PubMed]
- Noell, W.K.; Walker, V.S.; Kang, B.S.; Berman, S. Retinal damage by light in rats. Invest. Ophthalmol. 1966, 5, 450–473. [Google Scholar] [PubMed]
- Joly, S.; Pernet, V.; Dorfman, A.L.; Chemtob, S.; Lachapelle, P. Light-induced retinopathy: Comparing adult and juvenile rats. Invest. Ophthalmol. Vis. Sci. 2006, 47, 3202–3212. [Google Scholar] [CrossRef] [PubMed][Green Version]
- Tanito, M.; Kaidzu, S.; Ohira, A.; Anderson, R.E. Topography of retinal damage in light-exposed albino rats. Exp. Eye Res. 2008, 87, 292–295. [Google Scholar] [CrossRef] [PubMed]
- Polosa, A.; Liu, W.; Lachapelle, P. Retinotopic distribution of structural and functional damages following bright light exposure of juvenile rats. PLoS ONE 2016, 11, e0146979. [Google Scholar] [CrossRef] [PubMed][Green Version]
- Joly, S.; Pernet, V.; Chemtob, S.; Di Polo, A.; Lachapelle, P. Neuroprotection in the juvenile rat model of light-induced retinopathy: Evidence suggesting a role for fgf-2 and cntf. Invest. Ophthalmol. Vis. Sci. 2007, 48, 2311–2320. [Google Scholar] [CrossRef] [PubMed]
- Cayouette, M.; Behn, D.; Sendtner, M.; Lachapelle, P.; Gravel, C. Intraocular gene transfer of ciliary neurotrophic factor prevents death and increases responsiveness of rod photoreceptors in the retinal degeneration slow mouse. J. Neurosci. 1998, 18, 9282–9293. [Google Scholar] [CrossRef] [PubMed]
- Harada, T.; Harada, C.; Kohsaka, S.; Wada, E.; Yoshida, K.; Ohno, S.; Mamada, H.; Tanaka, K.; Parada, L.F.; Wada, K. Microglia-muller glia cell interactions control neurotrophic factor production during light-induced retinal degeneration. J. Neurosci. 2002, 22, 9228–9236. [Google Scholar] [CrossRef]
- Gupta, N.; Brown, K.E.; Milam, A.H. Activated microglia in human retinitis pigmentosa, late-onset retinal degeneration, and age-related macular degeneration. Exp. Eye Res. 2003, 76, 463–471. [Google Scholar] [CrossRef]
- Cruz-Guilloty, F.; Saeed, A.M.; Echegaray, J.J.; Duffort, S.; Ballmick, A.; Tan, Y.; Betancourt, M.; Viteri, E.; Ramkhellawan, G.C.; Ewald, E.; et al. Infiltration of proinflammatory m1 macrophages into the outer retina precedes damage in a mouse model of age-related macular degeneration. Int. J. Inflam. 2013, 2013, 503725. [Google Scholar] [CrossRef] [PubMed]
- Bejarano-Escobar, R.; Blasco, M.; Martin-Partido, G.; Francisco-Morcillo, J. Light-induced degeneration and microglial response in the retina of an epibenthonic pigmented teleost: Age-dependent photoreceptor susceptibility to cell death. J. Exp. Biol. 2012, 215, 3799–3812. [Google Scholar] [CrossRef] [PubMed]
- Lee, Y.B.; Nagai, A.; Kim, S.U. Cytokines, chemokines, and cytokine receptors in human microglia. J. Neurosci. Res. 2002, 69, 94–103. [Google Scholar] [CrossRef] [PubMed]
- Cicerone, C.M. Cones survive rods in the light-damaged eye of the albino rat. Science 1976, 194, 1183–1185. [Google Scholar] [CrossRef] [PubMed]
- Braekevelt, C.R.; Hollenberg, M.J. The development of the retina of the albino rat. Am. J. Anat. 1970, 127, 281–301. [Google Scholar] [CrossRef] [PubMed]
- Dorfman, A.; Dembinska, O.; Chemtob, S.; Lachapelle, P. Early manifestations of postnatal hyperoxia on the retinal structure and function of the neonatal rat. Invest. Ophthalmol. Vis. Sci. 2008, 49, 458–466. [Google Scholar] [CrossRef] [PubMed]
- Polosa, A.; Bessaklia, H.; Lachapelle, P. Light-induced retinopathy: Young age protects more than ocular pigmentation. Curr. Eye Res. 2017, 42, 924–935. [Google Scholar] [CrossRef]
- Polosa, A.; Bessaklia, H.; Lachapelle, P. Strain differences in light-induced retinopathy. PLoS ONE 2016, 11, e0158082. [Google Scholar] [CrossRef]
- Lachapelle, P.; Little, J.M.; Polomeno, R.C. The photopic electroretinogram in congenital stationary night blindness with myopia. Invest. Ophthalmol. Vis. Sci. 1983, 24, 442–450. [Google Scholar]
- Wachtmeister, L. Oscillatory potentials in the retina: What do they reveal. Prog. Retin. Eye Res. 1998, 17, 485–521. [Google Scholar] [CrossRef]
- Lachapelle, P. The oscillatory potentials of the electroretinogram. In Principles and Practice of Clinical Electrophysiology of Vision; Heckenlively, J.R., Arden, G.B., Eds.; The MIT Press: London, UK, 2006; Chapter 43; pp. 565–580. [Google Scholar]
- Horsburgh, G.M.; Sefton, A.J.J.J.o.C.N. Cellular degeneration and synaptogenesis in the developing retina of the rat. J. Comp. Neurol. 1987, 263, 553–566. [Google Scholar] [CrossRef] [PubMed]
- Rapp, L.; Williams, T. A parametric study of retinal light damage in albino and pigmented rats. In The Effects of Constant Light on Visual Processes; Springer: Boston, MA, USA, 1980; pp. 135–159. [Google Scholar]
- Gordon, W.C.; Casey, D.M.; Lukiw, W.J.; Bazan, N.G. DNA damage and repair in light-induced photoreceptor degeneration. Invest. Ophthalmol. Vis. Sci. 2002, 43, 3511–3521. [Google Scholar] [PubMed]
- Feng, C.; Wang, X.; Liu, T.; Zhang, M.; Xu, G.; Ni, Y. Expression of ccl2 and its receptor in activation and migration of microglia and monocytes induced by photoreceptor apoptosis. Mol. Vis. 2017, 23, 765–777. [Google Scholar] [PubMed]
- Jiao, H.; Natoli, R.; Valter, K.; Provis, J.M.; Rutar, M. Spatiotemporal cadence of macrophage polarisation in a model of light-induced retinal degeneration. PLoS ONE 2015, 10, e0143952. [Google Scholar] [CrossRef] [PubMed]
- Sudharsan, R.; Beiting, D.P.; Aguirre, G.D.; Beltran, W.A. Involvement of innate immune system in late stages of inherited photoreceptor degeneration. Sci. Rep. 2017, 7, 17897. [Google Scholar] [CrossRef] [PubMed]
- Zhang, Y.; Zhao, L.; Wang, X.; Ma, W.; Lazere, A.; Qian, H.H.; Zhang, J.; Abu-Asab, M.; Fariss, R.N.; Roger, J.E.; et al. Repopulating retinal microglia restore endogenous organization and function under cx3cl1-cx3cr1 regulation. Sci. Adv. 2018, 4, eaap8492. [Google Scholar] [CrossRef]
- Behn, D.; Doke, A.; Racine, J.; Casanova, C.; Chemtob, S.; Lachapelle, P. Dark adaptation is faster in pigmented than albino rats. Doc. Ophthalmol. 2003, 106, 153–159. [Google Scholar] [CrossRef]
- Dorfman, A.L.; Cuenca, N.; Pinilla, I.; Chemtob, S.; Lachapelle, P. Immunohistochemical evidence of synaptic retraction, cytoarchitectural remodeling, and cell death in the inner retina of the rat model of oygen-induced retinopathy (oir). Invest. Ophthalmol. Vis. Sci. 2011, 52, 1693–1708. [Google Scholar] [CrossRef]













| Molecular Markers | Source | RRID | Dilution | Antibody | |
|---|---|---|---|---|---|
| Primary | IBA1 | Wako Chemicals 019-19741 | AB_839504 | 1:500 | Rabbit Polyclonal |
| GFAP | Millipore sigma G3893 | AB_477010 | 1:100 | Mouse Monoclonal | |
| FGF2 | Millipore sigma 05-118 | AB_309633 | 1:100 | Mouse Monoclonal | |
| CNTF | Millipore sigma MAB338 | AB_2083064 | 1:100 | Mouse Monoclonal | |
| Secondary | Alexa Fluor® 488 | Abcam ab150077 | AB_2630356 | 1:1000 | Goat anti rabbit IgG |
| Alexa Fluor® 594 | Abcam ab150116 | AB_2650601 | 1:1000 | Goat anti mouse IgG | |
| Mount medium | ProLong®Gold Antifade Mountant with DAPI | Thermo fisher scientific P36935 | N/A | N/A | N/A |
© 2019 by the authors. Licensee MDPI, Basel, Switzerland. This article is an open access article distributed under the terms and conditions of the Creative Commons Attribution (CC BY) license (http://creativecommons.org/licenses/by/4.0/).
Share and Cite
Polosa, A.; Lv, S.; Ait Igrine, W.; Chevrolat, L.-A.; Bessaklia, H.; Lachapelle, P. Evidences Suggesting that Distinct Immunological and Cellular Responses to Light Damage Distinguishes Juvenile and Adult Rat Retinas. Int. J. Mol. Sci. 2019, 20, 2744. https://doi.org/10.3390/ijms20112744
Polosa A, Lv S, Ait Igrine W, Chevrolat L-A, Bessaklia H, Lachapelle P. Evidences Suggesting that Distinct Immunological and Cellular Responses to Light Damage Distinguishes Juvenile and Adult Rat Retinas. International Journal of Molecular Sciences. 2019; 20(11):2744. https://doi.org/10.3390/ijms20112744
Chicago/Turabian StylePolosa, Anna, Shasha Lv, Wassila Ait Igrine, Laura-Alexie Chevrolat, Hyba Bessaklia, and Pierre Lachapelle. 2019. "Evidences Suggesting that Distinct Immunological and Cellular Responses to Light Damage Distinguishes Juvenile and Adult Rat Retinas" International Journal of Molecular Sciences 20, no. 11: 2744. https://doi.org/10.3390/ijms20112744
APA StylePolosa, A., Lv, S., Ait Igrine, W., Chevrolat, L.-A., Bessaklia, H., & Lachapelle, P. (2019). Evidences Suggesting that Distinct Immunological and Cellular Responses to Light Damage Distinguishes Juvenile and Adult Rat Retinas. International Journal of Molecular Sciences, 20(11), 2744. https://doi.org/10.3390/ijms20112744

