Next Article in Journal / Special Issue
Balancing the Scale: Data Augmentation Techniques for Improved Supervised Learning in Cyberattack Detection
Previous Article in Journal
Techno-Economic Analysis of Hybrid Renewable Energy Systems for Power Interruptions: A Systematic Review
Previous Article in Special Issue
Evaluating Field-Effect Separation on Rare Earth and Critical Metals
 
 
Font Type:
Arial Georgia Verdana
Font Size:
Aa Aa Aa
Line Spacing:
Column Width:
Background:
Article

Grading Evaluation of Marbling in Wagyu Beef Using Fractal Analysis

1
Department of Information Science and Technology, Graduate School of Science and Engineering, Tokyo City University, Setagaya Campus, Setagaya, Tokyo 158-8557, Japan
2
Department of Computer Science, Tokyo City University, Setagaya Campus, Setagaya, Tokyo 158-8557, Japan
*
Author to whom correspondence should be addressed.
Eng 2024, 5(3), 2157-2169; https://doi.org/10.3390/eng5030113
Submission received: 10 July 2024 / Revised: 16 August 2024 / Accepted: 27 August 2024 / Published: 2 September 2024
(This article belongs to the Special Issue Feature Papers in Eng 2024)

Abstract

Wagyu beef is gaining worldwide popularity, primarily due to the fineness of its marbling. Currently, the evaluation of this marbling is performed visually by graders. This method has several issues: varying evaluation standards among graders, reduced accuracy due to long working hours and external factors causing fatigue, and fluctuations in grading standards due to the grader’s mood at the time. This paper proposes the use of fractal analysis for the grading evaluation of beef marbling to achieve automatic grading without the inconsistencies caused by human factors. In the experiments, cross-sectional images of the parts used for visual judgment were taken, and fractal analysis was performed on these images to evaluate them using fractal dimensions. The results confirmed a correlation between the marbling evaluation and the fractal dimensions, demonstrating that quantitative evaluation can be achieved, moving away from qualitative visual assessments.

1. Introduction

The global popularity of Japanese cuisine has led to increased demand for Japanese Wagyu beef [1]. The most distinctive feature of Wagyu beef is its intricate marbling, which enhances the meat’s smooth texture, tenderness, and unique flavor by providing a melt-in-the-mouth experience.
Currently, the evaluation of Wagyu marbling is performed visually by graders. Beef is classified into two grades: meat quality grade and yield grade. The meat quality grade consists of four evaluation criteria, with marbling being one of these criteria. This marbling evaluation standard is known as the Beef Marbling Standard Number (BMSNo), which ranges from 1 to 12. The evaluation is based on the extent of marbling in the longissimus thoracis, as well as the spinalis dorsi and semispinalis capitis muscles, between the sixth and seventh ribs. Higher marbling levels correspond to higher BMSNo values. The grading is conducted according to the standards set by the Japan Meat Grading Association (JMGA) [2], as shown in Figure 1. Table 1 illustrates the relationship between the 12-level BMSNo and the five-level marbling evaluation.
However, visual evaluation by graders presents several challenges: differences in evaluation criteria among graders, reduced accuracy due to long working hours and external factors causing fatigue, and fluctuations in grading standards due to the grader’s mood. These factors introduce variability into the evaluation.
Hashimoto et al. [3] investigated a low-cost, objective method for estimating marbling using biopsy to measure moisture and crude fat content. However, this method is complex as it requires grinding the longissimus thoracis after cutting it at the slaughterhouse, and it necessitates specialized knowledge and equipment.
Kuchida et al. [4] proposed an image analysis method for estimating BMSNo from the fat area ratio using a dedicated imaging device. While this method can estimate BMSNo, it does not account for the complexity and fineness of marbling and requires specialized imaging equipment.
To address the complexity and fineness of marbling, Chen et al. [5] applied fractal analysis to the marbling images of beef from China and the United States. Fractal theory, proposed by Mandelbrot, uses the fractal dimension as a key indicator of the complexity of fractal patterns. In recent years, fractals have been utilized in various applications. Chen et al. used fractals for the evaluation of beef quality [5]. Additionally, our group has employed fractals in super-resolution processing [6], the analysis of plant growth [7], and the analysis of composite materials [8,9].
In the United States, beef quality grades are divided into eight levels, with the highest grade being “prime”. The marbling grade, unlike in Japan, is based on the cross section of the longissimus thoracis between the twelfth and thirteenth ribs, classified into ten levels. The top three levels are categorized as “prime” [10,11]. Figure 2 compares images of “moderately abundant”, the second-highest marbling grade in the U.S., with BMSNo. 11, the second-highest marbling grade in Japan. The complexity of Wagyu marbling is more pronounced than that of U.S. beef. Increased marbling complexity can result in coarse marbling or fine marbling, as shown in Figure 3. These characteristics are considered in Wagyu evaluation, necessitating a new method tailored to the detailed grading system used for Wagyu.
In contrast, Xiao et al. [13] adjusted the marbling grades of Chinese beef from four to seven classes. However, even the highest grade with a marbling area of 14% is less complex compared to Wagyu. This paper proposes a fractal analysis method that considers the unique marbling characteristics of Japanese Wagyu, such as coarse marbling and fine marbling, for accurate evaluation.

2. Materials and Methods

2.1. Beef Quality Grading Evaluation

The quality grading of Wagyu beef is currently conducted through qualitative visual assessment by certified graders based on the evaluation method established by the Japan Meat Grading Association (JMGA). This evaluation encompasses four criteria: “meat color and brightness”, “firmness and texture of the meat”, “marbling”, and “fat color and quality”. Each criterion is rated on a five-point scale, where higher numbers indicate better quality.
This study focuses specifically on the evaluation of “marbling”, a characteristic feature of Wagyu beef. The “marbling” criterion is assessed using the Beef Marbling Standard Number (BMSNo), which ranges from 1 to 12. This standard, developed by the Livestock Industry Technology Station of the Ministry of Agriculture, Forestry and Fisheries, measures the fineness and distribution of marbling within the beef [14].

2.2. Fractal Analysis

Fractal analysis is a technique that analyzes fractal patterns in images to calculate a parameter known as the fractal dimension, which is then used for various evaluations. While fractal analysis can include multifractal analysis—where additional concepts like the information dimension ( D 1 ) and correlation dimension ( D 2 ) are used—previous studies have shown that these dimensions have low correlation with the marbling in beef used in this study [3]. Therefore, this paper uses a monofractal method rather than multifractal analysis, focusing solely on the fractal dimension ( D 0 ). A higher D 0 value indicates a more complex pattern, which is similar to the evaluation methods used for assessing the marbling of beef.
There are several methods for performing fractal analysis to determine the fractal dimension. In this study, we use the box-counting method, the most commonly used technique in computer-based fractal analysis, to calculate the fractal dimension. The box-counting method involves covering the image with a grid of boxes of varying sizes and counting the number of boxes that contain part of the fractal pattern. The fractal dimension is then derived from the relationship between the size of the boxes and the number of boxes that contain part of the pattern.

2.3. Box-Counting Method

The box-counting method is one of the techniques used to calculate the fractal dimension. As shown in Figure 4, the box-counting method involves determining the presence probability for each box at a given box size ε, and then calculating the fractal dimension. The process involves repeatedly halving the box size ε.
The fractal dimension D q can be calculated using Equations (1) and (2).
D q = 1 q 1 lim ε 0 log Z q ε log ε
Z q ε = i = 1 P i ε q
In Equation (1), D q represents the generalized dimension, q is the moment order, and ε is the box size. In Equation (2), P i ( ε ) represents the probability of presence for each box. In this study, to use the monofractal method, the fractal dimension D 0 is employed by setting the moment order q to 0. Thus, setting q = 0 in Equation (1) leads to Equation (3).
D 0 = lim ε 0 log Z q   ε log ε
Similarly, setting q = 0 in Equation (2) implies that the presence probability, regardless of its value (however, 0 0 is treated as 0 as an exception when no pattern exists within the box), results in a value of 1.
To summarize, Z q ( ε ) in Equation (3) simply counts the number of boxes that cover the pattern. Since the smallest pixel size is 1, it is impossible to determine the limit precisely. Therefore, we plot log ε on the x-axis and log Z q ( ε ) on the y-axis, and then approximate the result by taking the slope of the best-fit line through these points.

2.4. Images Used for the Box-Counting Method

When using the box-counting method, it is preferable for the images to be of sizes that are powers of 2 (e.g., 2 n × 2 n ). This ensures that when the box size ε is repeatedly halved, the entire image can be referenced without any parts being excluded or falling outside the scan area. For this study, images were prepared to meet this criterion, ensuring they fit neatly within the boxes during the analysis process. An example of how the images were prepared for use in the box-counting method is provided below.

2.4.1. Photography

The BMSNo evaluation is based on the extent of marbling in the longissimus thoracis, as well as the spinalis dorsi and semispinalis capitis muscles, between the sixth and seventh ribs. The more extensive the marbling, the higher the evaluation. In this study, we focused on the longissimus thoracis, as it is the main component used in the JMGA’s Beef Marbling Standard model shown in Figure 1. Therefore, the subject of our photography was the cross section of the longissimus thoracis between the sixth and seventh ribs.
Figure 5 illustrates the photography setup. The distance of 14 cm between the camera and the meat in Figure 5 was set with the goal of capturing the entire longissimus thoracis in the image and ensuring that the actual size of one pixel is consistent across all images. The author took photographs of the longissimus thoracis at the sixth–seventh intercostal incision plane using an iPhone X in the freezer of a wholesaler with their permission. As shown in Figure 5, the camera was positioned parallel to the beef at a distance of 14 cm, with no zoom, flash, or filters used, and the focus was set to auto-adjust. The image size was 4032 × 3024 pixels, and an example of the actual photograph is shown in Figure 6.

2.4.2. Trimming

As mentioned in Section 2.4, it is preferable for the images used to be of size 2 n × 2 n pixels. Therefore, the images are trimmed to a size of 1024 × 1024 pixels. However, trimming to 1024 × 1024 pixels might limit the analyzable area of the longissimus thoracis and may introduce errors if only one analysis per piece of beef is conducted. To address this, the longissimus thoracis is approximated as an ellipse, and nine areas—one central and eight surrounding—are trimmed from a single photograph, ensuring the entire muscle is covered as much as possible. This trimming is performed manually. Each of the nine trimmed images remains 1024 × 1024 pixels in size. An example of this trimming process is shown in Figure 7.

2.4.3. Grayscale Conversion and Binarization

To analyze the marbling patterns using the box-counting method, the images are first converted to grayscale and then binarized. In this study, we use a standard grayscale with 256 shades, which is typical for grayscale images. This means that each pixel can represent 256 levels of brightness, ranging from 0 (black) to 255 (white). The grayscale values are linearly related to the RGB values, as each grayscale shade corresponds to an equal value in the RGB channels. Regarding binarization, since different beef samples require different threshold values, we use Otsu’s method [15] to automatically determine the optimal threshold for each image, rather than setting the threshold manually. An example of an image after these preprocessing steps is shown in Figure 8.

2.4.4. Box Size

Box-counting was performed on the binarized images. In this study, the box sizes ranged from 1 × 1 pixels to 1024 × 1024. Since the box size was doubled incrementally from 1 × 1 pixels, a total of 11 different box sizes were used.

2.5. Characteristics of Beef Marbling

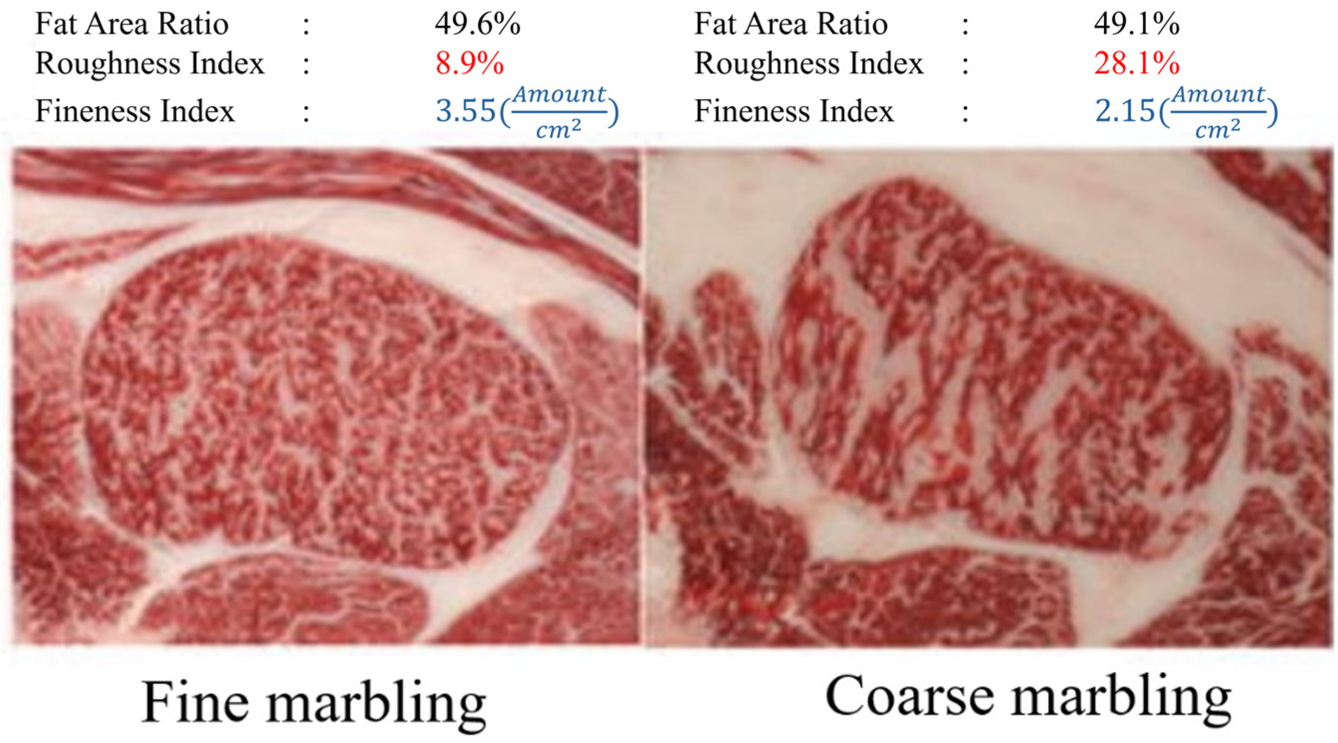
The grading of beef marbling in Wagyu tends to be higher for more complex marbling patterns, as finer and more intricate marbling indicates higher quality. Within these marbling patterns, coarse marbling refers to coarser marbling, and fine marbling refers to finer marbling. Obama et al. [12,16] established roughness and fineness indices to evaluate coarse marbling and fine marbling. These indices are calculated using Equations (4) and (5).
R ( % ) = M a ( c m 2 ) M b ( c m 2 )
S ( A m o u n t / c m ² ) = G ( A m o u n t ) A ( c m 2 )
In Equation (4), R represents the roughness index, M a is the area of fat after thin lines are removed, and M b is the total fat area. In Equation (5), S is the fineness index, G is the number of fine marbling particles, and A is the area of the ribeye muscle. Examples of coarse marbling and fine marbling calculated using these indices are shown in Figure 9.

3. Results and Discussion

To demonstrate the effectiveness of the proposed method, three experiments were conducted: verifying the fractality of beef marbling, examining the correlation between BMSNo and the fractal dimension of beef marbling, and considering the characteristics of beef marbling in the experiments.

3.1. Verification of Fractality in Beef Marbling

For BC-FDA (box counting fractal dimension analysis) to be applied to a target pattern, the target must exhibit fractal properties. Although Chen et al. [5] utilized BC-FDA on beef marbling, they did not explicitly demonstrate its fractal nature. Therefore, an experiment was conducted to determine whether beef marbling exhibits fractality. Fractal patterns follow power laws, so if a log–log plot yields a coefficient of determination ( r 2 ) close to 1, it indicates that the pattern has fractal properties [17].
After capturing the images, BC-FDA was performed according to the methods described in Section 2 (Materials and Methods).
Figure 10 shows a graph summarizing the results of applying the box-counting method to nine preprocessed images of a single piece of beef. The coefficient of determination r 2 (which indicates the degree of linearity, where a value closer to 1 suggests stronger linearity) was calculated for each of the nine images, with the results shown in Table 2. The r 2 values were obtained using the RSQ function in Excel as RSQ( log ε , log Z q ε ) to determine the linearity of the graphs. From the values in Table 2, the trimmed mean was calculated by excluding the highest and lowest values, resulting in approximately 0.9996. This value is sufficiently close to 1, indicating that the log–log graph plotted in Figure 10 has strong linearity, as can be seen from the correspondence between the plotted points and the approximate straight line. This demonstrates that fractality exists in the marbling of the beef. The same process was applied to all 33 pieces of beef used in this study. The number of beef samples used in the experiment is shown in the table. For each piece of beef, the trimmed mean of the nine results was calculated by excluding the highest and lowest values, and the r 2 for each piece of beef was determined, followed by the overall result for all beef samples. For all the beef samples, the trimmed mean excluding the top and bottom 5% resulted in an r 2 of approximately 0.9994. From these results, it can be concluded that fractality exists similarly in the marbling of all the beef samples.

3.2. Experiment on the Correlation between BMSNo and the Fractal Dimentsion of Beef Marbling

BC-FDA was performed on all beef samples according to the methods described in Section 2 (Materials and Methods). Figure 11 shows the original images of all the beef samples used in the experiment. The vertical axis represents BMSNo, and the horizontal axis represents BeefNo.
Table 3 shows the fractal dimensions calculated for each piece of beef, and Figure 12 illustrates the correlation between the fractal dimension and BMSNo. The fractal dimensions in these tables and graphs were calculated as the trimmed mean of the nine images, excluding the maximum and minimum values. The dashed line in Figure 12 represents the trendline of the data, with a correlation coefficient of 0.7579, indicating a positive correlation. This suggests that the fractal dimension can be used to estimate BMSNo, a key indicator of Wagyu beef quality. However, some points were distant from the regression line, likely due to characteristics of marbling such as coarse marbling and fine marbling.

3.3. Experiment Considering the Characteristics of Beef Marbling

In the experiment conducted in Section 3.2, points distant from the regression line were observed due to the influence of marbling characteristics such as coarse marbling and fine marbling. Coarse marbling tends to receive a lower evaluation due to its rough appearance, but the D 0 value tends to be higher. On the other hand, fine marbling, which is finely distributed, tends to receive a higher evaluation, but the D 0 value tends to be lower. Therefore, it is necessary to consider these characteristics when performing BC-FDA. The roughness index and fineness index explained in Section 2.5 were used to account for these characteristics. In this experiment, the roughness index was calculated using Equation (4) and the fineness index using Equation (5). The area M a and total fat area M b in Equation (4) were determined by counting the white pixels in the binarized images and calculating the area per pixel. The area per pixel was approximately 0.000018716 cm2, based on the measured maximum width of the longissimus thoracis.
For the number of fine marbling particles G in Equation (5), ten reduction and dilation operations were performed to isolate the fine marbling particles, and connected white pixel regions were labeled using an 8-neighbor connectivity algorithm. The number of labeled regions was treated as G. The area A of the ribeye muscle was fixed at 19.625 cm2, calculated from the known size of the analysis region (1024 × 1024 pixels).
To verify if the results from Section 3.2 could be improved, the same beef samples were analyzed using the roughness and fineness indices. Table 4 shows the calculated roughness and fineness indices for each sample. The average roughness index was approximately 30.5, and the average fineness index was approximately 25.8. Beef samples with a roughness index of 34.3 or higher or a fineness index of 22 or lower were classified as coarse marbling, while those with a roughness index of 26.7 or lower or a fineness index of 29.6 or higher were classified as fine marbling. The remaining samples were plotted in Figure 13.
The dashed line in Figure 13 represents the trendline of the data. The correlation coefficient is approximately 0.8019, which is higher than that in Section 3.2, indicating an improvement in accuracy. This suggests that considering the characteristics of coarse marbling and fine marbling can enhance the accuracy of BMSNo estimation. However, since BMSNo is determined by human graders, there is inherent variability, which likely increased the scatter in the results. Nonetheless, the average BMSNo values for each group in Figure 13 show correct grading, confirming that accounting for marbling characteristics such as coarse marbling and fine marbling improves BMSNo estimation accuracy.

4. Conclusions

In this study, we proposed quantifying the grading evaluation of Wagyu beef, which is traditionally performed visually, by using image processing. Three experiments were conducted to achieve this goal.
The first experiment aimed to verify the fractality of beef marbling. Through BC-FDA of beef marbling patterns, it was suggested that beef marbling indeed possesses fractal properties. This implies that BC-FDA is applicable to beef marbling.
The second experiment investigated the correlation between BMSNo and the fractal dimension of beef marbling. BC-FDA was performed on all prepared beef samples, and it was suggested that there is a positive correlation between BMSNo and the fractal dimension of beef marbling. This indicates that BMSNo can be estimated using the fractal dimension. However, the results showed some outlier points, which were suggested to be influenced by specific characteristics of beef marbling.
The third experiment considered these characteristics by incorporating the concepts of the roughness index and fineness index into the analysis. By classifying and excluding beef samples estimated to have coarse or fine marbling, the correlation coefficient between BMSNo and the fractal dimension of beef marbling improved compared to the second experiment. This suggests that classification of marbling characteristics can enhance accuracy.
In the future, it will be necessary to establish thresholds for defining coarse and fine marbling characteristics, considering their impact on BMSNo. By adjusting the BMSNo value based on these characteristics, we can improve the precision of grading evaluations.

Author Contributions

Conceptualization, Y.S. and B.Y.; methodology, Y.S.; software, Y.S.; validation, Y.S. and B.Y.; formal analysis, Y.S.; investigation, Y.S.; resources, Y.S.; data curation, Y.S.; writing—original draft preparation, Y.S.; writing—review and editing, Y.S. and B.Y.; visualization, Y.S.; supervision, B.Y.; project administration, B.Y.; funding acquisition, B.Y. All authors have read and agreed to the published version of the manuscript.

Funding

This research received no external funding.

Institutional Review Board Statement

Not applicable.

Informed Consent Statement

Not applicable.

Data Availability Statement

The datasets used or analyzed during the current study are available from the corresponding author upon reasonable request.

Conflicts of Interest

We declare that there is no conflict of interest.

References

  1. Inagaki, S.; Amano, Y.; Kumazawa, K. Identification and Characterization of Volatile Components Causing the Characteristic Flavor of Wagyu Beef (Japanese Black Cattle). Agric. Food Chem. 2017, 65, 8691–8695. [Google Scholar] [CrossRef] [PubMed]
  2. Japan Meat Grading Asociation. Available online: http://www.jmga.or.jp/standard/beef/ (accessed on 29 June 2022).
  3. Hashimoto, D.; Iwamoto, T.; Hayata, G.; Nakanishi, Y. The Relationship Between Moisture or Crude Fat Content in Biopsy Muscle Samples and Carcass Fat Marbling in Fattening Cattle. Warm Reg. Soc. Anim. Sci. 2014, 57, 141–145. [Google Scholar] [CrossRef]
  4. Kuchita, K.; Osawa, T.; Hori, T.; Kotaka, H.; Maruyama, S. Evaluation and genetics of carcass cross section of beef carcass by computer image analysis. Anim. Genet. 2006, 34, 45–52. [Google Scholar] [CrossRef] [PubMed]
  5. Chen, J.; Liu, M.; Zong, L. The Fractal Dimension Research of Chinese and American Beef Marbling Standards Images. In Proceedings of the Computer and Computing Technologies in Agriculture VI: 6th IFIP WG 5.14 International Conference, CCTA 2012, Zhangjiajie, China, 19–21 October 2012; Springer: Berlin/Heidelberg, Germany, 2013; pp. 199–209. [Google Scholar] [CrossRef]
  6. Mizukami, Y.; Matsuda, Y.; Bao, Y. Super-resolution processing using luminance dispersion in local area. OSA Contin. 2020, 3, 2893–2901. [Google Scholar] [CrossRef]
  7. Mizukami, Y.; Sato, Y.; Bao, Y. Extraction of Leaf Features by Multifractal Analysis of Leaf Veins. In Proceedings of the International Conference on Advanced Imaging 2020, Chiba, Japan, 2–6 November 2020. [Google Scholar]
  8. Munakata, F.; Takeda, M.; Nemoto, K.; Ookubo, K.; Sato, Y.; Mizukami, Y.; Koga, M.; Abe, S.; Bao, Y.; Kobayashi, R. Multifractal characteristics of the self-assembly material texture of β-Si3N4/SUS316L austenitic stainless steel composites. J. Alloys Compd. 2021, 853, 156570. [Google Scholar] [CrossRef]
  9. Munakata, F.; Ookubo, K.; Takeda, M.; Sato, Y.; Mizukami, Y.; Nemoto, K.; Abe, S.; Bao, Y.; Kobayashi, R. Self-assembly process under a solid-state reaction of β-Si3N4/austenitic stainless-steel composites: Stirring conditions and material texture. J. Compos. Mater. 2021, 56, 455–466. [Google Scholar] [CrossRef]
  10. Agricultural Marketing Service. U.S. Department of Agriculture. Available online: https://www.ams.usda.gov/ (accessed on 9 July 2024).
  11. U.S. Meat Export Federation. Available online: https://www.americanmeat.jp/trd/database/rank/r_001.html (accessed on 9 July 2024).
  12. Hyogo Prefectural Technology Center for Agriculture. Forestry and Fisheries. Available online: http://hyogo-nourinsuisangc.jp/archive/19-kenkyu/article/kenkyu_2709.html (accessed on 9 July 2024).
  13. Xiao, T.; Xing, X.U.; Yong, Q.; Yuan, J.; Min, W.; Guang, Z. Improvement of marbling grade in Chinese beef grading standard. Sci. Agric. Sin. 2006, 39, 2101–2106. Available online: https://www.chinaagrisci.com/EN/Y2006/V39/I10/2101 (accessed on 13 August 2024).
  14. Ministry of Agriculture, Forestry and Fisheries. Available online: https://www.maff.go.jp/index.html (accessed on 9 July 2024).
  15. Otsu, N. A Threshold Selection Method from Gray-Level Histograms. IEEE Trans. SMC 1979, 9, 62–66. Available online: https://dspace.tul.cz/server/api/core/bitstreams/36abcc1c-cd72-4569-90ed-607017063124/content (accessed on 13 August 2024). [CrossRef]
  16. Obama, N. Establishment of a New Meat Quality Evaluation Method (Estimation of Genetic Parameters for ‘Fine Marbling’ and ‘Fat Quality’). Livest. Technol. Hyogo 2013, 112, 15–17. Available online: https://hyotiku.ecweb.jp/wp/wp-content/uploads/2024/03/gizyutuhyougo112.pdf (accessed on 13 August 2024).
  17. Chonabayashi, H.; Negoro, H.; Ouchi, H. Study on the Correlation Between Fractal Dimension and Environmental Cognition Using GIS and 3D Image Analysis: Considerations in Coastal Fishing Villages of the Izu and Boso Peninsulas; College of Industrial Engineering, Nihon University Abstracts of Academic Lectures: Tokyo, Japan, 2004; Available online: https://www.cit.nihon-u.ac.jp/kouendata/No.37/4_kenchiku/4-040.pdf (accessed on 13 August 2024).
Figure 1. Beef Marbling Standards defined by the Japan Meat Grading Association (JMGA) [2]. The Japanese text within the green frame in the diagram explains that, for BMS No. 1 and 2, it does not meet the standards of BMS No. 3, and therefore, a standard based on photographs has not been created.
Figure 1. Beef Marbling Standards defined by the Japan Meat Grading Association (JMGA) [2]. The Japanese text within the green frame in the diagram explains that, for BMS No. 1 and 2, it does not meet the standards of BMS No. 3, and therefore, a standard based on photographs has not been created.
Eng 05 00113 g001
Figure 2. Comparison of marbling between U.S. and Japanese beef: (a) moderately abundant (U.S., 2nd from top) [10]; (b) BMSNo.11 (JP, 2nd from top).
Figure 2. Comparison of marbling between U.S. and Japanese beef: (a) moderately abundant (U.S., 2nd from top) [10]; (b) BMSNo.11 (JP, 2nd from top).
Eng 05 00113 g002
Figure 3. Examples of coarse marbling and fine marbling [12]: (a) fine marbling; (b) coarse marbling.
Figure 3. Examples of coarse marbling and fine marbling [12]: (a) fine marbling; (b) coarse marbling.
Eng 05 00113 g003
Figure 4. Schematic illustration of the box-counting method (the patterns in the figure are modeled after fractal shapes).
Figure 4. Schematic illustration of the box-counting method (the patterns in the figure are modeled after fractal shapes).
Eng 05 00113 g004
Figure 5. Schematic diagram of the photography setup (LT is longissimus thoracis).
Figure 5. Schematic diagram of the photography setup (LT is longissimus thoracis).
Eng 05 00113 g005
Figure 6. Actual photographs of the cross section of the longissimus thoracis between the sixth and seventh ribs (4032 × 3024 pixels).
Figure 6. Actual photographs of the cross section of the longissimus thoracis between the sixth and seventh ribs (4032 × 3024 pixels).
Eng 05 00113 g006
Figure 7. Example of trimming images to 1024 × 1024 pixels.
Figure 7. Example of trimming images to 1024 × 1024 pixels.
Eng 05 00113 g007
Figure 8. Example of a preprocessed image after grayscale conversion and binarization.
Figure 8. Example of a preprocessed image after grayscale conversion and binarization.
Eng 05 00113 g008
Figure 9. Examples of coarse marbling and fine marbling using roughness and fineness indices [12].
Figure 9. Examples of coarse marbling and fine marbling using roughness and fineness indices [12].
Eng 05 00113 g009
Figure 10. Results for 9 images for which the box-counting method was applied (the graphs, each with a different color, almost overlap).
Figure 10. Results for 9 images for which the box-counting method was applied (the graphs, each with a different color, almost overlap).
Eng 05 00113 g010
Figure 11. Original images of the beef samples used in the experiment. The vertical axis represents BMSNo., and the horizontal axis represents BeefNo.
Figure 11. Original images of the beef samples used in the experiment. The vertical axis represents BMSNo., and the horizontal axis represents BeefNo.
Eng 05 00113 g011
Figure 12. Graph showing the correlation between fractal dimension and BMSNo.
Figure 12. Graph showing the correlation between fractal dimension and BMSNo.
Eng 05 00113 g012
Figure 13. Graph showing correlation between fractal dimension and BMSNo excluding coarse and fine marbling.
Figure 13. Graph showing correlation between fractal dimension and BMSNo excluding coarse and fine marbling.
Eng 05 00113 g013
Table 1. Relationship between BMSNo and grading as defined by JMGA.
Table 1. Relationship between BMSNo and grading as defined by JMGA.
BMSNoGrading
11
22
3–43
5–74
8–125
Table 2. The coefficient of determination r 2 in Figure 10. Image No. refers to the number assigned to the images after they were trimmed, as shown in Figure 7. Since the order in which they are processed does not affect the results, there is no strict distinction such as ‘this number corresponds to this specific trimming area’.
Table 2. The coefficient of determination r 2 in Figure 10. Image No. refers to the number assigned to the images after they were trimmed, as shown in Figure 7. Since the order in which they are processed does not affect the results, there is no strict distinction such as ‘this number corresponds to this specific trimming area’.
Image No. r 2
a0.9997
b0.9997
c0.9997
d0.9995
e0.9997
f0.9996
g0.9995
h0.9995
i0.9997
Table 3. Fractal dimension calculation results.
Table 3. Fractal dimension calculation results.
BMSNo-BeefNo.Fractal Dimension
6-11.8658
6-21.8550
7-11.8680
7-21.8704
8-11.8919
8-21.9019
8-31.8620
8-41.8665
8-51.8743
8-61.8896
8-71.8840
8-81.8892
8-91.8899
8-101.8830
9-11.8946
9-21.8731
9-31.8973
9-41.8769
9-51.8891
9-61.8830
10-11.8961
10-21.9132
10-31.9012
10-41.8883
11-11.9055
11-21.8880
11-31.8947
11-41.9083
11-51.8931
11-61.8924
11-71.8963
11-91.9011
12-11.9205
Table 4. Calculation results for roughness index and fineness index.
Table 4. Calculation results for roughness index and fineness index.
BMSNo-Beef No.Roughness Index [%] Fineness   Index   [ A m o u n t c m 2 ]
6-126.628.5
6-228.824.0
7-131.425.8
7-232.122.6
8-132.024.8
8-229.728.0
8-326.826.8
8-429.126.7
8-531.225.7
8-630.225.9
8-733.022.7
8-831.226.4
8-931.225.3
8-1030.528.5
9-131.524.9
9-226.225.4
9-327.028.2
9-429.828.2
9-532.424.2
9-624.033.7
10-133.422.6
10-234.423.2
10-329.225.4
10-430.527.1
11-132.027.5
11-224.739.0
11-333.614.5
11-435.620.8
11-532.622.8
11-631.421.9
11-729.830.3
11-831.024.3
12-133.324.6
Disclaimer/Publisher’s Note: The statements, opinions and data contained in all publications are solely those of the individual author(s) and contributor(s) and not of MDPI and/or the editor(s). MDPI and/or the editor(s) disclaim responsibility for any injury to people or property resulting from any ideas, methods, instructions or products referred to in the content.

Share and Cite

MDPI and ACS Style

Suzuki, Y.; Yue, B. Grading Evaluation of Marbling in Wagyu Beef Using Fractal Analysis. Eng 2024, 5, 2157-2169. https://doi.org/10.3390/eng5030113

AMA Style

Suzuki Y, Yue B. Grading Evaluation of Marbling in Wagyu Beef Using Fractal Analysis. Eng. 2024; 5(3):2157-2169. https://doi.org/10.3390/eng5030113

Chicago/Turabian Style

Suzuki, Yuya, and Bao Yue. 2024. "Grading Evaluation of Marbling in Wagyu Beef Using Fractal Analysis" Eng 5, no. 3: 2157-2169. https://doi.org/10.3390/eng5030113

APA Style

Suzuki, Y., & Yue, B. (2024). Grading Evaluation of Marbling in Wagyu Beef Using Fractal Analysis. Eng, 5(3), 2157-2169. https://doi.org/10.3390/eng5030113

Article Metrics

Back to TopTop