Abstract
Obtaining cellulose from forest residues develops sustainable processes in the biotechnology industry, especially in producing biopolymers, which could replace or add petroleum-derived polymers. This research seeks to optimize the ideal conditions of the mixing process to maximize the efficiency in obtaining cellulose through a process consisting of two treatment media for pine sawdust, specifically evaluating the impact of three types of impellers (propeller, flat blades, and 45° inclined flat blades) at speeds of (150, 250 and 350 rpm). DIN 28131 was used for the design of stirred tanks. Simulations were carried out with a volume of 50 L. CFD and FSI simulations of the agitation behavior of forest biomass in a stirred tank reactor were performed. The ALE method was applied, and the models were solved using the LS-DYNA computer program. The results indicate that agitation with propellers and flat blades inclined at 150 and 250 rpm was the most efficient, minimizing cell damage and optimizing energy consumption. The impeller with flat blades inclined at 45° proved to be the best option for cellulose extraction. The novelty of this research is that not only the flow fields and the agitation behavior were found, but also the stresses in the impellers were found, and the force, moment, and power required by the motor in each simulation were revealed at a different speed. The power curves shown help to understand how energy consumption varies under different conditions.
1. Introduction
Lignocellulose biomass, a resource that is present throughout the world, is an abundant and promising raw material for biopolymer production. It is mainly composed of cellulose, hemicellulose, lignin, pigments, and water, among other substances [1]. The percentage of cellulose in lignocellulose biomass is 35% to 55% [2]. This abundance of cellulose-rich biomass offers a hopeful prospect of producing biopolymers, which could significantly reduce our reliance on petroleum-derived products and their detrimental effects on the environment [3]. Plastics extracted from oil contribute to increased carbon emissions. The plastics industry is the world’s fastest-growing source of greenhouse gases. The United Nations Environment Program (UNEP) estimates that greenhouse gas emissions from the production, use, and disposal of plastics could account for 19% of the total global carbon budget by 2040 [4].
The growing demand for reusing plant-based raw material waste instead of plastic is increasing considerably. Authors Pandey et al. [5] report that in 2019, plastic production was 368 million cubic meters, and only 6% is recycled, so a smart way is to produce bioplastics as a new alternative that minimizes the environmental impact. According to an article by Samer et al. [6], the transformation of bioplastics is the key to reducing dependence on the use of petroleum and mitigating the environmental impact of plastic. It proposes reusing agricultural waste, and the solution is to generate polymers of biological origin. In addition, an article by Notaro et al. [7] states that the first advantage of producing bioplastics is to benefit the environment. The growth of the market to produce bioplastics had an annual production of 2.1 million tons in 2020 and foresees an increase of up to 2.9 tons by 2025. The cost of bioplastic is three times higher than that of plastic derived from petroleum, so these products are preferred by ecologically-minded consumers, who will seek to acquire environmentally friendly products. A good point will be to develop and improve the techniques for the production of biopolymers of natural origin.
However, the future of plastics could be different. The plastics industry is looking for technology and processes to produce plastics that come from natural resources, and reactors are at the forefront of this revolution [8]. Reactors, with their long history of over 500 years and continuous improvement [9], offer a promising solution. This equipment uses agitation, fermentation, and cell-growth techniques to obtain a product. Their design ensures homogeneous mixing, and they commonly work with matter in solid and liquid states, providing optimal conditions for carrying out desired reactions [10]. In-tank reactors are used for cell growth, biodiesel generation, and wastewater treatment. The potential of reactors in producing bioplastics is a beacon of hope in the fight against climate change and environmental degradation. The first step to which the raw material is subjected is the process, which consists of fractionating the biomass into its main components (e.g., cellulose, lignin, and hemicellulose). Polylactic Acid (PLA) is the biopolymer extracted from lignocellulose biomass. PLA fibers are used for pillow filling and continuous filament for carpets, clothing, hygiene products, and diapers [11]. Polyhydroxyalkanoates (PHAs) are polyesters from the thermoplastic family [12]. Starch is used in the plastic industry as a filler product and is mixed with other compounds to obtain a greater volume in the mixture with other plastics [13]. Cellulose is the most resident polymer in the world, and it can be said that it is almost inexhaustible, since it prevails in every photosynthetic organism and is used to create cellophane and rayon [14]. Research is leaning toward applying biopolymers in the industrial sector to increase the use of biopolymers, mitigating the reduction of 100% petroleum-derived polymers. There are different methods to carry out processing, the best known being physical, chemical, physicochemical, and biological methods; once carried out, the next step is to subject the biomass to the enzymatic hydrolysis process, which consists of the degradation of polysaccharides in an aqueous fluid catalyzed by an enzyme or an acid. The last step of this process is fermentation, where bioethanol is produced from lignocellulose biomass by the action of microorganisms such as fungi, bacteria, and yeast. The following authors report the types of reactors they used and what they obtained. Lawford et al. [15] studied the design of a reactor, changed the impeller of factory-made equipment, and replaced the flat-blade impeller with axial-flow impellers. Experimentation with three different impellers was carried out. It is concluded that the flat impellers have a negative effect due to cell shearing, and the quality of the product is relative and depends on the application of the final product. (Duman) et al. [16] designed two reactors. The reactor handles a volume of 800 mL, and the handling speed is 120 RPM. The primary material used is sterilized glass. The STR reactor uses Rushton turbine blades. This reactor used two U-shaped blades rotating in opposite directions to counteract the shear effects generated by the U-type blades. Baoquing et al. [17] conducted the experimental investigation of three coaxial mixers in co-rotation mode with an anchor and different internal impellers (six turbines with 45° inclined blades, a propeller, and a Rushton turbine). They used a transparent agitated tank. The lower blade is separated 20 mm from the tank bottom. The anchor, the six 45° bladed turbines (PBTs), the propeller (propeller), and the Rushton turbine (RT) were considered as external impellers, with mixed flow, axial flow, and radial flow. They handled Newtonian fluid, which was said to be the malt syrup solution, and the anchor speed was maintained between 10 RPM and 25 RPM. The internal and external impellers can be rotated at different speeds and directions, considering four rotation modes: co-rotation, counter-rotation, external anchor setting, and internal impeller setting. The purpose of the anchor is to scrape the wall to avoid the formation of dead zones, and the internal impeller serves to disperse solid particles at a high speed. In addition, the larger diameter of the internal impeller handles at a lower speed, and they found that coaxial mixers are more energy efficient than single impeller mixers. Pino et al. [18] developed the considerations for the design of a reactor.
The sawmill industry annually generates large tons of sawdust waste, particularly in Mexico, in the state of Durango, where there is a greater production of sawdust that amounts to approximately 1,741,212 m3. Pine is the forest species most used in the region, highlighting Pinus Durangensis, Pinus Arizonica, and Pinus Engelmannii. The raw materials that will be used as the main vector in this research are the three species described and a mixture of residues of different types of pine [19]. Using CFD and FSI simulations for agitation of pine sawdust biomass, where three types of impellers are implemented at three different speeds in two treatment processes, variations in the efforts of each impeller, different speed fields, and behaviors of the biomass inside the reactor can be obtained. These variations influence the force, torque, and power required of the motor, which will suggest which impeller design and speed are optimal for agitation and how the efficiency of the mixing process could be considerably improved.
The objective of this work is to design a reactor for the processing of forest biomass. The processing consists of two phases. The first is an alcohol wash and the second is the removal of lignin and hemicellulose using the chlorite–acetic acid method. In this study, three types of impellers are proposed: propeller, flat blades, and inclined flat blades. Using mathematical models and the LS-DYNA computer program, CFD and FSI simulations were solved to determine the velocity fields and behaviors of the mixture. In addition, the FSI method allowed to know the stresses that each type of impeller suffers when the speed varies. The forces, moments, and power required for each case study were found. This research, with practical implications for the field of bioenergy, is structured as follows: in Section 2, there are the materials and methods. In Section 3, there is the numerical simulation, and results are presented in Section 4. The discussion is shown in Section 5, and, finally, the conclusions are presented in Section 6.
2. Materials and Methods
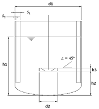
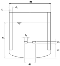
This section meticulously describes the methodology developed to carry out CFD simulations. All the study cases to be treated are presented, and the dimensions of the impellers and the tank are modeled, establishing the optimal volume to be treated. Table 1 shows the dimensions communicated by the DIN 28131 Standard for the design of agitated tanks. The components that make up the reactor are shown, and the reactor’s elements, the mechanical properties of the 316-L stainless steel, and the characteristics of the mixtures are described. The treatment process leading to the production of cellulose consists of two processing phases. The first treatment process involves washing with alcohol to extract waxes, pigments, and dirt present in the pine sawdust. The second treatment process is cellulose extraction, which is carried out using the chlorite–acetic acid method. This consists of adding pine sawdust and sodium chlorite–acetic acid dissolved in distilled water to the reactor [20].
Table 1.
Background data used for simulations by other researchers.
Agitation in reactors is used to homogenize the mixture by uniformly distributing temperature and concentration. Biomass is very susceptible to sheer damage, so if agitation is not considered, productivity decreases. This article presents the characterization of an agitated reactor, which uses the FSI coupling to find the interaction of the fluid and structure, to find the efforts, moment, and power necessary to be able to agitate forest biomass.
Figure 1, below, presents the methodology that was used in this work.
Figure 1.
Methodology.
The following table shows the background data of other research. The first column is the angular speed of the impeller; the minimum speed is 40 rpm, and the maximum is 300. The second column is the type of impeller. Typically, they use a Rushton impeller. All researchers used the computer program ANSYS FLUENT. The viscosity and density used water at different temperatures. The volume of the tank they used ranges from 16.5 L to 2350 L. Table 1 shows the background data used for simulations by six researchers working with agitation in stirred reactors.
For this research, speeds of 150, 250, and 350 rpm were used. Three types of impellers were used (propeller, flat blades, and inclined blades). The computer program used is LS-DYNA. The viscosity and density used are that of alcohol and water, and the useful volume is 50 L. Two block diagrams are made for the two processes. The diagrams show how many study cases are addressed. Figure 2 shows the block diagrams for each treatment. In the process with alcohol, the stirring speeds of three types of impellers (propeller, flat blades, and inclined blades) are analyzed at three different speeds: 150 rpm, 250 rpm, and 350 rpm. The same is used for the process with chlorite–acetic acid.
Figure 2.
Block diagram of each treatment.
The block diagram identified all the possible combinations of study cases that can be used in each treatment. Six case studies were obtained in total.
- Case studies:
- 1:
- A total of 10 kg of pine sawdust and 40 L of alcohol are stirred with a propeller-type impeller at 150 rpm, 250 rpm, and 350 rpm.
- 2:
- A total of 10 kg of pine sawdust and 40 L of alcohol are stirred with a flat-blade-type impeller at 150 rpm, 250 rpm, and 350 rpm.
- 3:
- A total of 10 kg of pine sawdust and 40 L of alcohol are stirred with an impeller-type of flat blade inclined at 45° at speeds of 150 rpm, 250 rpm, and 350 rpm.
- 4:
- A total of 10 kg of pine sawdust, sodium chloriteacetic acid, and 40 L of distilled water are mixed with a propeller-type impeller at speeds of 150 rpm, 250 rpm, and 350 rpm.
- 5:
- A total of 10 kg of pine sawdust, sodium chlorite–acetic acid, and 40 L of distilled water are mixed with a flat-blade-type impeller at speeds of 150 rpm, 250 rpm, and 350 rpm.
- 6:
- A total of 10 kg of pine sawdust, sodium chlorite-acetic acid, and 40 L of distilled water are mixed with an impeller-type of flat blade inclined at 45° at speeds of 150 rpm, 250 rpm, and 350 rpm.
2.1. Model
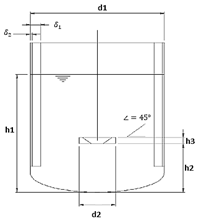
Three types of impellers were chosen to stir the mixture: propeller impellers, flat blades, and flat blades inclined at 45°. The impellers and the tank were designed using the DIN 28131 Standard, which indicates the sizing of the impellers based on the tank’s size. Table 2 shows the tank and agitator dimensions according to DIN 28131 [26]. The second row shows the representative figures for each value in the table.
Table 2.
Values for the design of stirred tanks.
2.2. Boundary Conditions
The reactor is filled with 100 L, but in the simulation it was filled up to 50 L, and the DIN 28131 Standard was applied. The parts that make it up are the tank, the impeller, and the top, which is made of 316L stainless steel, because it is resistant to chemical processes. The model was generated using the computer program SolidWorks® 2020.
The reactor is composed of 7 parts. Everything that encounters the biomass mixture, such as the impeller, tank, baffles, top, and axis, will be made of 316L stainless steel. The design and components can be seen in Table 3.
Table 3.
Design and components of the reactor.
As mentioned above, stainless steel is used, so it is important to know the properties of 316L stainless steel, which are mentioned in Table 4.
Table 4.
Mechanical properties of stainless steel 316L.
The raw material to be treated is granular pine sawdust with an average diameter of 0.5 mm. The treatment process is a ratio of 1:4, which means that when 10 kg of sawdust are used, 40 L of distilled water are poured. Table 5 describes the properties of the sawdust–alcohol and sawdust–sodium chlorite mixtures.
Table 5.
Mixture Properties.
3. Numerical Simulation
The geometry, the discretization technique, the boundary conditions, and the numerical method are the main factors that contribute to obtaining accurate results. These results from the FSI analysis are not just numbers, they provide crucial insight into the potential outcomes of the actual experiment [27]. Each case’s FSI analysis is conducted using computer software. The CFD method is applied to translate scientific knowledge into a mathematical expression, which is then fed into the LSDYNA R1 2023, LS-Prepost® 4.8 version and R14 MPP single solver. A workstation with an AMD Ryzen Threadripper 3990X 64-Core Processor 2.90 GHz made in Taiwán, in TSMC (Taiwán Semiconductor Manufacturing Company) and 128 GB RAM was used to model the biomass and predict the behavior of the agitation parameters in the interaction scenario between a liquid and a solid to carry out this study. The problems faced in performing CFD simulations are that, sometimes, much memory is required to solve millions of equations with millions of values. The processor and RAM are two essential parts for the simulation, so sometimes the simulations take a long time and increase the computational cost [28]. The simulation of biomass agitation was performed using the LS_DYNA pre-post software. Three different stirring speeds were set: 150 rpm, 250 rpm, and 350 rpm, and some stresses were exerted due to the rotation of the impeller. Applying the ALE method is an excellent computational challenge, since a simple one-second simulation can take over 10 h [29]. The difference between the Eulerian and Lagrangian methods is that this method does not apply a mesh. The ALE method models multiphase flows without applying an excellent mesh. However, greater precision requires a higher computational resource [30].
The Arbitrary Lagrangian Eulerian Method (ALE) is a widely used and reliable approach in the study of biomass mixtures during an FSI analysis. It is computationally demanding, but its role is crucial in research. The geometry of the sawdust biomass is designed in the shape of a cylinder, and the biomass material is a combination of sawdust particles and a liquid alcohol medium. This is because it is challenging to shape each sawdust particle numerically. Biomass is considered as the mixture of solid particles in a fluid. The Figure 3, shows the elements and mesh of each stirring model that were used for simulation in the LS_DYNA software. Figure 3a is a model of propeller impeller, Figure 3b is model of flat impeller and Figure 3c is a inclined flat-blade impeller. Each model has four elements, the element 1 is linked by the boundary layer of element 4, which represents the biomass mixture. Element 2 is the baffles that are attached to the tank and are fixed. Element 3 is the drive, which restricts displacements in X, Y and Z and rotations in X and Z. That is, it only rotates (w) on the Y axis.
Figure 3.
Three-dimensional modeling: (a) modeling with the propeller impeller; (b) modeling with the flat impeller; (c) modeling with the inclined flat-blade impeller.
Mesh configuration for simulation describes each component in Table 6.
Table 6.
Discretization of the model. Section and material of each part.
The agitator blades propel the biomass, generating plastic deformation in the impeller shaft. This article considers the stresses produced in the impeller caused by the biomass load. When the motor exerts a moment to drive the agitator, it generates a shear stress in the mixture. The motor torque is transmitted through the shaft to the impeller, and the loads on the agitators are generated by the movement of the driving fluid, and are then transmitted. Figure 4 illustrates the boundary conditions of the impellers (a) propeller, (b) flat blade and (c) inclined flat blade.
Figure 4.
Boundary conditions of the impellers: (a) propeller; (b) flat blade; (c) inclined flat blade.
The stirring speed is essential during the stirring phase, since a higher stirring speed also requires greater motor power. That is why, in this work, three different stirring speeds are proposed to determine the power needed for each situation. The speed at which the start is considered is not zero, because since it is not such a great speed, the period at which it reaches the speed is very short (see Figure 5). The simulation completion time was set at 10 s because, from the beginning of the study, the biomass was in contact with the impeller.
Figure 5.
Mix—biomass–alcohol: (a) power-vs.-RPM graph; (b) speed-stirring-vs.-RPM graph.
4. Results
This section shows the results of the biomass’s fluid-dynamic behavior obtained from the simulations. For each case study, tables are shown divided into four sections: the first section is the efforts calculated for the impeller, the second section is the speeds of the mixture, the third section is the actual type of representation of how the mixture would behave and the last section shows the results of force, unitary deformations and the power required to stir the biomass. The simulations were conducted using the LS-DYNA software with version V971_R10. This work differs from others by using CFD to model the behavior of the stresses to which the impeller is subjected through fluid–structure interaction (FSI). The following tables show how the shape of the impeller can influence the power and torque necessary for motor selection.
Table 7 illustrates the agitation results of the FSI. Table S1 shows simulation results of the agitation speeds and stresses present in the propeller impeller for seconds 3, 6, and 10 in the Supplementary Materials.
Table 7.
Case study 1 results.
Table 8 illustrates the agitation results of FSI. Table S2 shows simulation results of the agitation speeds and the stresses present in the flat-blade impeller for seconds 3, 6, and 10 in the Supplementary Materials.
Table 8.
Case study 2 results.
Table 9 illustrates the agitation results of FSI. Table S3 shows simulation results of the agitation speeds and the stresses present in the inclined flat-blade impeller for seconds 3, 6, and 10 in the Supplementary Materials.
Table 9.
Case study 3 results.
Table 10 illustrates the results for stirring speeds and stresses present in the propeller impeller of case 4 at second 10. Table S4 shows simulation results for seconds 3 and 6 in the Supplementary Materials.
Table 10.
Case study 4 results.
Table 11 illustrates the results of the agitation speeds and the stresses present in the flat-blade impeller of case 5 at second 10. Table S5 shows simulation results for seconds 3 and 6 in the Supplementary Materials.
Table 11.
Case study 5 results.
Table 12 illustrates the results of the agitation speeds and the stresses present in the inclined flat-blade impeller of case 6 at second 10. Table S6 shows simulation results for seconds 3 and 6 in the Supplementary Materials.
Table 12.
Case study 6 results.
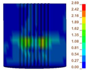
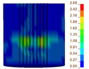
The results of the simulations predict that the areas close to the impeller are where turbulence and vortices were observed, predicting the risk of mechanical damage to the impeller and the biomass because cavitation can be created. These velocity fields and agitation behaviors that were obtained indicate the propeller impeller. The inclined design of the blades facilitates the generation of a combined flow, but also creates vortices that affect the efficiency of the mixing by creating areas of recirculating flow. These areas can trap particles and affect the homogeneity of the mixing. flat-blade impeller: this type of impeller generates both radial and axial flow, combining the advantages of both mixing patterns. A defect of this type of impeller is that it consumes more energy and presents a noticeably turbulent agitation. Inclined-blade impeller: stirring with the inclined-blade impeller generates axial and radial mixing within the reactor, i.e., a flow that moves from bottom to top and around the central axis. This type of impeller disintegrates the accumulations of solid particles in the aqueous medium and improves the homogeneity of the system. In this study, this type of impeller presented the best efficiency because it enhances the quality of the mixture. This study’s color patterns indicate the areas where the most significant stress is concentrated, as seen in the figures representing the von Mises stress. The axis is where green predominates, which means it is the area with the most significant effort.
The numerical simulations produced in the LS-DYNA computer program estimated the velocity field, the behavior of the mix, and the stresses present in the impellers. The stresses obtained in the three impellers at the three different speeds are different; this is because the propeller impeller creates more significant axial stress, while in the flat impeller, the radial stress predominates, and in the flat-blade impeller at 45 degrees, it is a 50–50 combination of axial and radial stresses. As the rotation speed increased, the impeller required more effort to move the mixture, and the stirring speed also increased.
Figure 5a illustrates the “power vs. rpm” graph for case studies 1, 2, and 3. The propeller design had a lower power curve than the flat-blade and inclined-flat-blade impellers, due to its design and the angle of the propellers. The flat-blade-impeller design required more power to move the mixture, because the highest value in the Ppwer curve is observed at 350 rpm, which is 1 Hp. Finally, the inclined-flat-blade-impeller design had an intermediate curve compared to the other impellers. Figure 5b illustrates the “Speed stirring vs. rpm” graph. The graph shows that the inclined impeller is the one that reaches the highest stirring speed of 3.23 m/s, with the flat-blade impeller at the bottom and the propeller impeller at the bottom.
The power curves of the three different impellers describe different behaviors. The curve of the flat impeller seems to be exponential and increases as the speed of the impeller increases. The inclined impeller also presents the same condition up to 0.6 HP, after which the power does not increase as considerably. And the propeller impeller presents a power curve that increases gradually.
The graph of “power vs. rpm” shows how the required power varies with the operating speed, allowing the energy efficiency of the system to be assessed. In this case, to work with the pine sawdust mixture in the sodium chlorite solution, if a flat impeller is chosen at a speed of 350 RPM, a 1.2 HP motor is required to overcome the viscous resistance and inertia of the medium. On the other hand, to operate at 150 RPM, a 0.5 HP motor will be sufficient. This behavior is because, at higher speeds, the increase in power is necessary to overcome both friction and the force to move biomass. The power required for agitation with a propeller impeller is the lowest to break the inertia of the biomass, making it an optimal choice for applications where energy efficiency is key.
Figure 6a illustrates the power-vs.-rpm graph for study cases 4, 5 and 6. Compared to the previous graph, stirring the sawdust mixture in a sodium chlorite solution requires increasing the power by 0.2 Hp more in the case of the flat-blade impeller. Figure 6b illustrates the “stirring speed vs. rpm”. The graph shows the speeds of the mixture with a linear trend. The inclined impeller is the one that reaches the highest speed of stirring the mixture, and it is noted that the flat impeller tends to go down. Compared to the previous graph, the difference presented by the propeller impeller at 150 rpm is due to the density of the mixture.
Figure 6.
Mix—biomass–sodium chlorite solution: (a) power-vs.-RPM graph; (b) speed-stirring-vs.- RPM graph.
This work studied the speed of stirring of the reactor with two mixtures: sawdust–alcohol for study cases 1, 2, and 3, and sawdust and a solution with sodium chlorite–water for study cases 4, 5, and 6. Through numerical simulation, velocity profiles (speed of stirring) of three types of impellers at three different speeds were found. The velocity profiles of the biomass inside the reactor change, depending on impeller speed and the impeller type. In the first case study, it was a propeller impeller. It obtained a speed of stirring of 0.16 m/s at 150 rpm, 1.66 m/s at 250 rpm, and 2.34 m/s at 350 rpm. For the second case study, with a flat-blade impeller, the speed of stirring was obtained at 1.37 m/s at 150 rpm, 2.07 m/s at 250 rpm, and 2.98 m/s at 350 rpm, respectively. In the third case study, the impeller with inclined flat blades, the speed stirring was obtained at 1.34 m/s at 150 rpm, 2.30 m/s at 250 rpm, and 3.23 m/s at 350 rpm. In the fourth case study for a propeller impeller, in a simulation time of 10 s, the speed of stirring of 0.99 m/s at 150 rpm (impeller speed), 1.65 m/s at 250 rpm, and 2.69 m/s at 350 rpm were reached. For the fifth case study, with a flat-blade impeller, the maximum speed of stirring was 1.27 m/s at 150 rpm (impeller speed), 2.26 m/s at 250 rpm, and 2.94 m/s at 350 rpm. Moreover, in the sixth case study, it was an impeller with inclined flat blades. Maximum speed stirring was 1.32 m/s at 150 rpm (impeller speed), 2.30 m/s at 250 rpm, and 3.28 m/s at 350 rpm.
5. Discussion
In the scientific works consulted, they mainly mention the presence of different phenomena such as turbulence, vortices, and cavitation [31,32,33,34]. In this work, the numerical results present turbulence problems after 250 RPM (impeller speed). It is confirmed that the greater the reactor volume, the more the impeller speed is an essential factor that directly influences the generation of turbulence and the quality of the mixture. This study confirms that the greater the reactor volume, the more the agitation speed, depending on the type of impeller and its speed. It is important to note that CFD studies must be carried out based on the scaling of a particular reactor, as this confirms that there are different factors that must be considered, such as type of impeller, reactor geometry, type of fluid, type of mixture, impeller speed, agitation speed, and agitation time, among others. Comparing our findings with the study by Nadal et al. [31] and Ebrahimi et al. [32], they only report velocity fields. They obtained velocities between 1 and 5 m/s, with different impeller arrangements, mainly a Rushton impeller. What differentiates their work from this research is the visual representation of the mixture behavior. The visual aid that is presented can predict the time and where vortices and turbulence occur within the reactor. For future work, it will be proposed to manufacture the reactor and stir it with an inclined flat-blade impeller, because this type of impeller presents, at 350 rpm, lower energy consumption and better stirring. Figures in Table 10, Table 11 and Table 12 clearly illustrate the impact of the impeller type and how it influences the velocity distribution within the reactor, especially when looking at the behavior of biomass. It was found that the inclined-blade agitator has a von Mises stress of 0.60 MPa at 350 rpm. Hoseini et al. [33] report a von Mises stress of 0.41 MPa through FSI simulations for a Rushton impeller. Compared to the results obtained, the simulations that were worked on in this research are consistent, and reflect a similar behavior in agitation with flat impellers. In future work, a more complex method could be studied, such as the VOF-DEM presented by Hu et al. [34], in which the simulation of the interaction between particles and the fluid is performed, which would further improve the understanding of the dynamic agitation between a fluid and a solid.
Petroleum-derived polymers seriously affect the environment, so there is a growing demand to reduce the use of this material, and biomaterials have been chosen as the implementation method. The scientific community is developing polymers from different types of residual biomass. The production of cellulose involves the construction of reactors, the acquisition of raw materials, and the carrying out of treatments to obtain the product [35]. Experimental tests have been carried out on a pilot scale where, for each kilo of pine sawdust, 40% of cellulose is obtained [36]. However, the average cost of a kilo of cellulose is USD 10 [37]. Note: it is not intended to sell cellulose directly. It is intended to mix it with other polymers to improve its properties and create innovative products with higher added value. This research aims to use forest residues to obtain cellulose for possible use in industry. Cellulose is intended to be mixed with petroleum-derived products to obtain composites. For example, research carried out by Chacón et al. [38] describes the benefits of mixing cellulose at 5% and 20% with polypropylene, discovering that the mechanical properties of polypropylene improve, and concluding that agro-industrial waste can be recycled and transformed into new mixtures of materials that help reduce waste. The results obtained in this research provide a broader perspective on the agitation behavior of two types of biomass mixture within a reactor, using three different mixing systems. Essential elements were found, such as the stresses on the impeller, velocity fields, agitation behavior, and the force, moment, and power that the engine will require for each operating condition that was exposed in each of the case studies.
6. Conclusions
In cutting-edge scientific articles, the use of CFD simulation to determine the agitation speed of biomass is mentioned. As described in Section 2, nine simulations were carried out for the three proposed case studies, and with the help of the LS-DYNA software, it was determined which impeller requires the most significant force, moment, and power. As mentioned in the Discussion, impeller types have a relevant influence on mixing efficiency for biomass processing. It can be concluded that the inclined-blade impeller generates axial and radial mixing within the reactor, which helps to disintegrate solid-particle accumulations in the aqueous medium and to improve the homogeneity of the system. Propeller impeller: the inclined design of the blades facilitates the generation of a combined flow. However, it generate vortices that affect mixing efficiency by creating areas of recirculating flow. Flat-blade impeller: this type of impeller generates both radial and axial flow, combining the advantages of both mixing patterns; however, agitation is frequent. If the mixtures are stirred at 350 rpm, turbulence is generated in the propeller impeller and the flat-blade impeller; otherwise, it is generated in the inclined flat-blade impeller.
The novelty of this work is that a CFD simulation and an FSI analysis were carried out to determine the load supported by the impellers due to the agitation speed. Another contribution of this work was to determine the efforts, moments, and powers necessary for the correct selection of a motor that would help the agitation of forest biomass for each case study. This research considered the treatment of pine sawdust waste. The design of the inclined-blade reactor will be manufactured and used to produce cellulose on a larger scale than the laboratory one, and thus take advantage of this abundant raw material.
With these results, a reactor with these dimensions and volumetric capacity can be built to treat forest biomass, considering that if it is intended to use a flat impeller at a speed of 350 rpm to stir biomass, a more powerful 1.2 Hp motor will be required, but if it is required to stir at 150 rpm, a 0.5 HP motor will suffice. Finally, considering the power requirement for each agitation, it can be concluded that the power required to carry out agitation with a propeller impeller is the one that requires the least energy to break the inertia. Figure 5 shows the graphs of power vs. rpm, where it is concluded that the design of the propeller-shaped impeller presented a lower power curve than the flat-blade and inclined flat-blade impellers, due to its design and orientation of the propellers. The design of the flat-blade impeller required greater power to move the mixture because, in the power curve, the highest value is observed at 350 rpm, which is greater than one Hp.
Finally, the inclined-flat-blade-impeller design presented an intermediate curve compared to the other impellers.
Supplementary Materials
The following supporting information can be downloaded at: https://www.mdpi.com/article/10.3390/pr12102250/s1, The following tables show how the shape of the impeller can influence the power and torque necessary for motor selection. Table S1 shows the results of the simulation of the stirring of the treatment with alcohol at 150 rpm, Table S2 shows the results of the simulation of the stirring at 250 rpm, Table S3 shows the results of the simulation of the stirring at 150 rpm, Table S4 shows the results of the simulation of the stirring of the treatment with chlorite at 150 rpm, Table S5 shows the results of the simulation of the stirring at 250 rpm and Table S6 shows the results of the simulation of the stirring at 350 rpm.
Author Contributions
Conceptualization, C.R.T.-S.M. and S.R.M.-G.; methodology, A.A.C.-D.; software, F.E.O.-H.; validation, C.R.T.-S.M. and G.M.U.C.; formal analysis A.A.C.-D.; investigation, J.C.P.-R. resources, C.R.T.-S.M.; data curation, S.R.M.-G.; writing—original draft preparation, F.E.O.-H.; writing—review and editing C.R.T.-S.M.; visualization G.M.U.C.; supervision, C.R.T.-S.M.; project administration, J.C.P.-R.; funding acquisition, J.C.P.-R. All authors have read and agreed to the published version of the manuscript.
Funding
This research was funded by the Instituto Politecnico Nacional of México, proyects: SIP20241110, SIP20240701, SIP20242785, SIP20240628.
Data Availability Statement
The data used to support the findings of this study are available from the corresponding author upon request.
Acknowledgments
The authors thank the Consejo Nacional de Humanidades, Ciencia y Tecnología (CONAHCyT) and the Instituto Politecnico Nacional. The authors acknowledge partial support EDI grant provided by SIP/IPN.
Conflicts of Interest
The authors declare that there are no conflict of interest regarding the publication of this paper.
References
- Sindhu, R.; Binod, P.; Pandey, A. Biological pretreatment of lignocellulosic biomass—An overview. Bioresour. Technol. 2016, 199, 76–82. [Google Scholar] [CrossRef] [PubMed]
- Chávez Sifontes, M. La biomasa: Fuente alternativa de combustibles y compuestos químicos. An. De Química 2020, 115, 399–407. [Google Scholar]
- Yang, J.; Ching, Y.; Chuah, C. Applications of Lignocellulosic Fibers and Lignin in Bioplastics: A Review. Polymers 2019, 11, 751. [Google Scholar] [CrossRef] [PubMed]
- Danso, D.; Chow, J.; Streit, W.R. Plastics: Environmental and Biotechnological Perspectives on Microbial Degradation. Appl. Environ. Microbiol. 2019, 85, 19. [Google Scholar] [CrossRef]
- Pandey, P.; Dhiman, M.; Kansal, A.; Subudhi, S.P. Plastic waste management for sustainable environment: Techniques and approaches. Waste Dispos. Sustain. Energy 2023, 5, 205–222. [Google Scholar] [CrossRef]
- Samer, M.; Hijazi, O.; Mohamed, B.A.; Abdelsalam, E.M.; Amer, M.A.; Yacoub, I.H.; Attia, Y.A.; Bernhardt, H. Environmental impact assessment of bioplastics production from agricultural crop residues. Clean. Technol. Environ. Policy 2022, 24, 815–827. [Google Scholar] [CrossRef]
- Notaro, S.; Lovera, E.; Paletto, A. Consumers’ preferences for bioplastic products: A discrete choice experiment with a focus on purchase drivers. J. Clean. Prod. 2022, 330, 129870. [Google Scholar] [CrossRef]
- Akhtar, N.; Gupta, K.; Goyal, D.; Goyal, A. Recent advances in pretreatment technologies for efficient hydrolysis of lignocellulosic biomass. Environ. Prog. Sustain. Energy 2016, 35, 489–511. [Google Scholar] [CrossRef]
- Bai, X.; Wang, G.; Yu, Y.; Wang, D.; Wang, Z. Changes in the physicochemical structure and pyrolysis characteristics of wheat straw after rod-milling Pretreatment. Bioresour. Technol. 2018, 250, 770–776. [Google Scholar] [CrossRef] [PubMed]
- Reactor para Obtención de gas a Partir de Biomasa o Residuos Orgánicos y Procedimiento para la Obtención de gas en Dicho Reactor. ES WO 2014/023854 A, 2014.
- Sreekumar, K.; Bindhu, B.; Veluraja, K. Perspectives of polylactic acid from structure to applications. Polym. Renew. Resour. 2021, 12, 60–74. [Google Scholar] [CrossRef]
- McAdam, B.; Brennan Fournet, M.; McDonald, P.; Mojicevic, M. Production of Polyhydroxybutyrate (PHB) and Factors Impacting Its Chemical and Mechanical Characteristics. Polymers 2020, 12, 2908. [Google Scholar] [CrossRef] [PubMed]
- Gamage, A.; Liyanapathiranage, A.; Manamperi, A.; Gunathilake, C.; Mani, S.; Merah, O.; Madhujith, T. Applications of Starch Biopolymers for a Sustainable Modern Agriculture. Sustainability 2022, 14, 6085. [Google Scholar] [CrossRef]
- Liu, Y.; Xie, J.; Wu, N.; Ma, Y.; Menon, C.; Tong, J. Characterization of natural cellulose fiber from corn stalk waste subjected to different surface treatments. Cellulose 2019, 26, 4707–4719. [Google Scholar] [CrossRef]
- Lawford, H.G.; Rousseau, J.D. Bioreactor design considerations in the production of high-quality microbial exopolysaccharide. Appl. Biochem. Biotechnol. 1991, 28–29, 667–684. [Google Scholar] [CrossRef]
- Duman, E.T.; Kose, A.; Celik, Y.; Oncel, S.S. Design of a horizontal-dual bladed bioreactor for low shear stress to improve hydrodynamic responses in cell cultures: A pilot study in Chlamydomonas reinhardtii. Biochem. Eng. J. 2021, 169, 107970. [Google Scholar] [CrossRef]
- Liu, B.; Xu, Z.; Fan, F.; Huang, B. Experimental study on the solid suspension characteristics of coaxial mixers. Chem. Eng. Res. Des. 2018, 133, 335–346. [Google Scholar] [CrossRef]
- Pino, M.S.; Rodríguez-Jasso, R.M.; Michelin, M.; Flores-Gallegos, A.C.; Morales-Rodriguez, R.; Teixeira, J.A.; Ruiz, H.A. Bioreactor design for enzymatic hydrolysis of biomass under the biorefinery concept. Chem. Eng. J. 2018, 347, 119–136. [Google Scholar] [CrossRef]
- Fregoso-Madueño, J.N.; Goche-Télles, J.R.; Rutiaga-Quiñones, J.G.; González-Laredo, R.F.; Bocanegra-Salazar, M.; Chávez-Simental, J.A. Usos alternativos de los desechos de la industria del aserrío. Rev. Chapingo Ser. Cienc. For. Ambiente 2017, 23, 243–260. [Google Scholar] [CrossRef]
- Núñez, C.E.; Pavlik, C.A. Disgregado de tejidos leñosos por el método clorito-ácido acético-carbonato. Evaluación del daño producido a las fibras. Rev. De. Cienc. Y Tecnol. 1999, 2, 33–37. [Google Scholar]
- Bach, C.; Yang, J.; Larsson, H.; Stocks, S.M.; Gernaey, K.V.; Albaek, M.O.; Krühne, U. Evaluation of mixing and mass transfer in a stirred pilot scale bioreactor utilizing CFD. Chem. Eng. Sci. 2017, 171, 19–26. [Google Scholar] [CrossRef]
- Delafosse, A.; Collignon, M.-L.; Calvo, S.; Delvigne, F.; Crine, M.; Thonart, P.; Toye, D. CFD-based compartment model for description of mixing in bioreactors. Chem. Eng. Sci. 2014, 106, 76–85. [Google Scholar] [CrossRef]
- Delafosse, A.; Loubière, C.; Calvo, S.; Toye, D.; Olmos, E. Solid-liquid suspension of microcarriers in stirred tank bioreactor—Experimental and numerical analysis. Chem. Eng. Sci. 2018, 180, 52–63. [Google Scholar] [CrossRef]
- Azargoshasb, H.; Mousavi, S.M.; Jamialahmadi, O.; Shojaosadati, S.A.; Mousavi, S.B. Experiments and a three-phase computational fluid dynamics (CFD) simulation coupled with population balance equations of a stirred tank bioreactor for high cell density cultivation. Can. J. Chem. Eng. 2016, 94, 20–32. [Google Scholar] [CrossRef]
- Cappello, V.; Plais, C.; Vial, C.; Augier, F. Scale-up of aerated bioreactors: CFD validation and application to the enzyme production by Trichoderma reesei. Chem. Eng. Sci. 2021, 229, 116033. [Google Scholar] [CrossRef]
- Agitators and Baffles for Agitator Vessels. Available online: https://www.dinmedia.de/en/standard/din-28131/1924296 (accessed on 18 June 2024).
- Yang, J.; Vedantam, S.; Spanjers, H.; Nopens, I.; van Lier, J.B. Analysis of mass transfer characteristics in a tubular membrane using CFD modeling. Water Res. 2012, 46, 4705–4712. [Google Scholar] [CrossRef] [PubMed]
- Zárate, L.G.; Uribe, S.; Cordero, M.E. Applications of CFD for Process Safety. Comput. Fluid. Dyn. Basic. Instrum. Appl. Sci. 2018, 1, 139–161. [Google Scholar] [CrossRef]
- Galves, R.; Benavides, A.; Quintero, J.C. CFD prediction of hydrodynamic behavior in the scale up of a stirred tank reactor for aerobic processes. Ingeniare 2013, 21, 201. [Google Scholar]
- Argyropoulos, C.D.; Markatos, N.C. Recent advances on the numerical modelling of turbulent flows. Appl. Math. Model. 2015, 39, 693–732. [Google Scholar] [CrossRef]
- Nadal-Rey, G.; McClure, D.D.; Kavanagh, J.M.; Cassells, B.; Cornelissen, S.; Fletcher, D.F.; Gernaey, K.V. Computational fluid dynamics modelling of hydrodynamics, mixing and oxygen transfer in industrial bioreactors with Newtonian broths. Biochem. Eng. J. 2022, 177, 108265. [Google Scholar] [CrossRef]
- Ebrahimi, M.; Tamer, M.; Villegas, R.M.; Chiappetta, A.; Ein-Mozaffari, F. Application of CFD to Analyze the Hydrodynamic Behaviour of a Bioreactor with a Double Impeller. Processes 2019, 7, 694. [Google Scholar] [CrossRef]
- Hoseini, S.S.; Najafi, G.; Ghobadian, B.; Akbarzadeh, A.H. Impeller shape-optimization of stirred-tank reactor: CFD and fluid structure interaction analyses. Chem. Eng. J. 2021, 413, 127497. [Google Scholar] [CrossRef]
- Hu, Y.; Zhang, Y.; Xue, N.; Zheng, Q. Influence of Impeller and Mixing Tank Shapes on the Solid–Liquid Mixing Characteristics of Vanadium-Bearing Shale Based on the DEM-VOF Method. Processes 2023, 11, 1207. [Google Scholar] [CrossRef]
- Gurjar, R.; Behera, M. Biopolymer: Production from Biomass. In Clean Energy Production Technologies; Springer: Singapore, 2020; pp. 371–390. [Google Scholar] [CrossRef]
- Cárdenas-Zapata, R.; Palma-Ramírez, D.; Flores-Vela, A.; Domínguez-Crespo, M.A.; Torres-Huerta, A.; Dorantes-Rosales, H.; Brachetti, B. Valorization of sawdust biomass for biopolymer extraction via green method: Comparison with conventional process. Int. J. Energy Res. 2022, 46, 20279–20302. [Google Scholar] [CrossRef]
- QUIMINET. Available online: https://www.quiminet.com/productos/fibra-de-celulosa-10578451665/precios.htm (accessed on 20 September 2024).
- Chacón, R.B.; Hernández, D.A.; Gallardo, S.G.F.; Escobar, C.A.H.; Contreras, E.A.Z. Uso de Celulosa Recuperada para el Mejoramiento de las Propiedades Mecánicas del Polipropileno. MEMORIAS ICM 17 9° CONGRESO INTERNACIONAL (2017). Available online: http://cimav.repositorioinstitucional.mx/jspui/handle/1004/2499 (accessed on 20 September 2024).
Disclaimer/Publisher’s Note: The statements, opinions and data contained in all publications are solely those of the individual author(s) and contributor(s) and not of MDPI and/or the editor(s). MDPI and/or the editor(s) disclaim responsibility for any injury to people or property resulting from any ideas, methods, instructions or products referred to in the content. |
© 2024 by the authors. Licensee MDPI, Basel, Switzerland. This article is an open access article distributed under the terms and conditions of the Creative Commons Attribution (CC BY) license (https://creativecommons.org/licenses/by/4.0/).






























