Connexin Expression Is Altered in the Eye Development of Yotari Mice: A Preliminary Study
Abstract
1. Introduction
2. Materials and Methods
2.1. Ethics
2.2. Animal Handling and Sample Preparation
2.3. Immunofluorescence Staining
2.4. Data Acquisition and Statistical Analysis
3. Results
3.1. Morphological Characteristics of Yotari Mice Eye and Optic Nerve Development
3.2. Dab1 and Reelin Expression in the Eye of Wild-Type Mice
3.3. Expression Patterns of Different Connexins
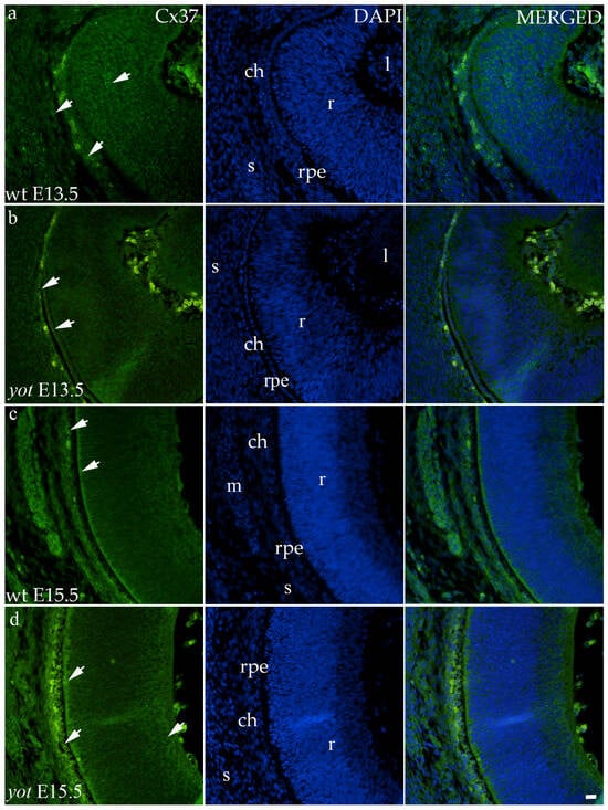
3.3.1. Connexin 37
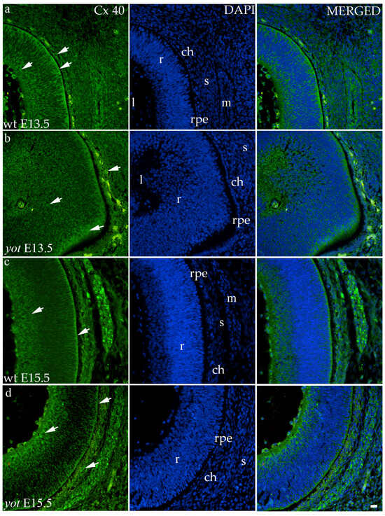
3.3.2. Connexin 40
3.3.3. Connexin 43
3.3.4. Connexin 45
4. Discussion
5. Conclusions
Author Contributions
Funding
Institutional Review Board Statement
Informed Consent Statement
Data Availability Statement
Conflicts of Interest
References
- Heavner, W.; Pevny, L. Eye development and retinogenesis. Cold Spring Harb. Perspect. Biol. 2012, 4, a008391. [Google Scholar] [CrossRef] [PubMed]
- Tkatchenko, T.V.; Shen, Y.; Tkatchenko, A.V. Analysis of postnatal eye development in the mouse with high-resolution small animal magnetic resonance imaging. Investig. Ophthalmol. Vis. Sci. 2010, 51, 21–27. [Google Scholar] [CrossRef] [PubMed]
- Kaplan, H.J. Anatomy and function of the eye. Chem Immunol. Allergy 2007, 92, 4–10. [Google Scholar] [CrossRef] [PubMed]
- Miesfeld, J.B.; Brown, N.L. Eye organogenesis: A hierarchical view of ocular development. Curr. Top. Dev. Biol. 2019, 132, 351–393. [Google Scholar] [CrossRef] [PubMed]
- Bozanic, D.; Saraga-Babic, M. Cell proliferation during the early stages of human eye development. Anat. Embryol. 2004, 208, 381–388. [Google Scholar] [CrossRef]
- Herrera, E.; Agudo-Barriuso, M.; Murcia-Belmonte, V. Cranial Pair II: The Optic Nerves. Anat. Rec. 2019, 302, 428–445. [Google Scholar] [CrossRef]
- Harding, P.; Moosajee, M. The Molecular Basis of Human Anophthalmia and Microphthalmia. J. Dev. Biol. 2019, 7, 16. [Google Scholar] [CrossRef]
- Zuzul, M.; Lozic, M.; Filipovic, N.; Canovic, S.; Didovic Pavicic, A.; Petricevic, J.; Kunac, N.; Soljic, V.; Saraga-Babic, M.; Konjevoda, S.; et al. The Expression of Connexin 37, 40, 43, 45 and Pannexin 1 in the Early Human Retina and Choroid Development and Tumorigenesis. Int. J. Mol. Sci. 2022, 23, 5918. [Google Scholar] [CrossRef]
- Yoneshima, H.; Nagata, E.; Matsumoto, M.; Yamada, M.; Nakajima, K.; Miyata, T.; Ogawa, M.; Mikoshiba, K. A novel neurological mutant mouse, yotari, which exhibits reeler-like phenotype but expresses CR-50 antigen/reelin. Neurosci. Res. 1997, 29, 217–223. [Google Scholar] [CrossRef]
- Sheldon, M.; Rice, D.S.; D’Arcangelo, G.; Yoneshima, H.; Nakajima, K.; Mikoshiba, K.; Howell, B.W.; Cooper, J.A.; Goldowitz, D.; Curran, T. Scrambler and yotari disrupt the disabled gene and produce a reeler-like phenotype in mice. Nature 1997, 389, 730–733. [Google Scholar] [CrossRef]
- Balzamino, B.O.; Esposito, G.; Marino, R.; Calissano, P.; Latina, V.; Amadoro, G.; Keller, F.; Cacciamani, A.; Micera, A. Morphological and biomolecular targets in retina and vitreous from Reelin-deficient mice (Reeler): Potential implications for age-related macular degeneration in Alzheimer’s dementia. Front. Aging Neurosci. 2022, 14, 1015359. [Google Scholar] [CrossRef] [PubMed]
- O’Brien, J.; Bloomfield, S.A. Plasticity of Retinal Gap Junctions: Roles in Synaptic Physiology and Disease. Annu. Rev. Vis. Sci. 2018, 4, 79–100. [Google Scholar] [CrossRef]
- Hamard, L.; Santoro, T.; Allagnat, F.; Meda, P.; Nardelli-Haefliger, D.; Alonso, F.; Haefliger, J.A. Targeting connexin37 alters angiogenesis and arteriovenous differentiation in the developing mouse retina. FASEB J. 2020, 34, 8234–8249. [Google Scholar] [CrossRef] [PubMed]
- Kuo, C.; Green, C.R.; Rupenthal, I.D.; Mugisho, O.O. Connexin43 hemichannel block protects against retinal pigment epithelial cell barrier breakdown. Acta Diabetol. 2020, 57, 13–22. [Google Scholar] [CrossRef] [PubMed]
- Blankenship, A.G.; Hamby, A.M.; Firl, A.; Vyas, S.; Maxeiner, S.; Willecke, K.; Feller, M.B. The role of neuronal connexins 36 and 45 in shaping spontaneous firing patterns in the developing retina. J. Neurosci. Off. J. Soc. Neurosci. 2011, 31, 9998–10008. [Google Scholar] [CrossRef] [PubMed]
- Sohl, G.; Maxeiner, S.; Willecke, K. Expression and functions of neuronal gap junctions. Nature reviews. Neuroscience 2005, 6, 191–200. [Google Scholar] [CrossRef] [PubMed]
- Imai, H.; Shoji, H.; Ogata, M.; Kagawa, Y.; Owada, Y.; Miyakawa, T.; Sakimura, K.; Terashima, T.; Katsuyama, Y. Dorsal Forebrain-Specific Deficiency of Reelin-Dab1 Signal Causes Behavioral Abnormalities Related to Psychiatric Disorders. Cereb Cortex 2017, 27, 3485–3501. [Google Scholar] [CrossRef] [PubMed]
- Slaoui, M.; Fiette, L. Histopathology Procedures: From Tissue Sampling to Histopathological Evaluation. In Methods in Molecular Biology; Springer: Berlin/Heidelberg, Germany, 2011; Volume 691, pp. 69–82. [Google Scholar] [CrossRef]
- Im, K.; Mareninov, S.; Diaz, M.F.P.; Yong, W.H. An Introduction to Performing Immunofluorescence Staining. In Methods in Molecular Biology; Springer: Berlin/Heidelberg, Germany, 2019; Volume 1897, pp. 299–311. [Google Scholar] [CrossRef]
- Pavic, B.; Ogorevc, M.; Boric, K.; Vukovic, D.; Saraga-Babic, M.; Mardesic, S. Connexin 37, 40, 43 and Pannexin 1 Expression in the Gastric Mucosa of Patients with Systemic Sclerosis. Biomedicines 2023, 11, 2487. [Google Scholar] [CrossRef] [PubMed]
- Rice, D.S.; Nusinowitz, S.; Azimi, A.M.; Martinez, A.; Soriano, E.; Curran, T. The reelin pathway modulates the structure and function of retinal synaptic circuitry. Neuron 2001, 31, 929–941. [Google Scholar] [CrossRef]
- Gao, Z.; Godbout, R. Reelin-Disabled-1 signaling in neuronal migration: Splicing takes the stage. Cellular and molecular life sciences: Cell. Mol. Life Sci. 2013, 70, 2319–2329. [Google Scholar] [CrossRef]
- Borrell, V.; Del Rio, J.A.; Alcantara, S.; Derer, M.; Martinez, A.; D’Arcangelo, G.; Nakajima, K.; Mikoshiba, K.; Derer, P.; Curran, T.; et al. Reelin regulates the development and synaptogenesis of the layer-specific entorhino-hippocampal connections. J. Neurosci. Off. J. Soc. Neurosci. 1999, 19, 1345–1358. [Google Scholar] [CrossRef] [PubMed]
- Tissir, F.; Goffinet, A.M. Reelin and brain development. Nature reviews. Neuroscience 2003, 4, 496–505. [Google Scholar] [CrossRef] [PubMed]
- Rice, D.S.; Curran, T. Role of the reelin signaling pathway in central nervous system development. Annu. Rev. Neurosci. 2001, 24, 1005–1039. [Google Scholar] [CrossRef] [PubMed]
- D’Arcangelo, G. The role of the Reelin pathway in cortical development. Symp. Soc. Exp. Biol. 2001, 126, S29–S73. [Google Scholar] [CrossRef]
- Pulido, J.S.; Sugaya, I.; Comstock, J.; Sugaya, K. Reelin expression is upregulated following ocular tissue injury. Graefe’s archive for clinical and experimental ophthalmology. Albrecht Von Graefes Arch. Fur Klin. Und Exp. Ophthalmol. 2007, 245, 889–893. [Google Scholar] [CrossRef]
- Rice, D.S.; Curran, T. Disabled-1 is expressed in type AII amacrine cells in the mouse retina. J. Comp. Neurol. 2000, 424, 327–338. [Google Scholar] [CrossRef]
- Amini, R.; Rocha-Martins, M.; Norden, C. Neuronal Migration and Lamination in the Vertebrate Retina. Front. Neurosci. 2017, 11, 742. [Google Scholar] [CrossRef]
- Bloomfield, S.A.; Volgyi, B. The diverse functional roles and regulation of neuronal gap junctions in the retina. Nat. Rev. Neurosci. 2009, 10, 495–506. [Google Scholar] [CrossRef]
- Lesko, J.; Rastovic, P.; Miskovic, J.; Soljic, V.; Pastar, V.; Zovko, Z.; Filipovic, N.; Katsuyama, Y.; Saraga-Babic, M.; Vukojevic, K. The Interplay of Cx26, Cx32, Cx37, Cx40, Cx43, Cx45, and Panx1 in Inner-Ear Development of Yotari (dab1−/−) Mice and Humans. Biomedicines 2022, 10, 589. [Google Scholar] [CrossRef]
- Pastar, V.; Lozic, M.; Kelam, N.; Filipovic, N.; Bernard, B.; Katsuyama, Y.; Vukojevic, K. Connexin Expression Is Altered in Liver Development of Yotari (dab1-/-) Mice. Int. J. Mol. Sci. 2021, 22, 10712. [Google Scholar] [CrossRef]
- Roy, S.; Jiang, J.X.; Li, A.F.; Kim, D. Connexin channel and its role in diabetic retinopathy. Prog. Retin. Eye Res. 2017, 61, 35–59. [Google Scholar] [CrossRef] [PubMed]
- Cai, J.; Cheng, A.; Luo, Y.; Lu, C.; Mattson, M.P.; Rao, M.S.; Furukawa, K. Membrane properties of rat embryonic multipotent neural stem cells. J. Neurochem. 2004, 88, 212–226. [Google Scholar] [CrossRef] [PubMed]
- Cheng, A.; Tang, H.; Cai, J.; Zhu, M.; Zhang, X.; Rao, M.; Mattson, M.P. Gap junctional communication is required to maintain mouse cortical neural progenitor cells in a proliferative state. Dev. Biol. 2004, 272, 203–216. [Google Scholar] [CrossRef] [PubMed]
- Mat Nor, M.N.; Rupenthal, I.D.; Green, C.R.; Acosta, M.L. Connexin Hemichannel Block Using Orally Delivered Tonabersat Improves Outcomes in Animal Models of Retinal Disease. Neurotherapeutics 2020, 17, 371–387. [Google Scholar] [CrossRef] [PubMed]
- Cheng, L.; Cring, M.R.; Wadkins, D.A.; Kuehn, M.H. Absence of Connexin 43 Results in Smaller Retinas and Arrested, Depolarized Retinal Progenitor Cells in Human Retinal Organoids. Stem Cells 2022, 40, 592–604. [Google Scholar] [CrossRef]
- Kihara, A.H.; Mantovani de Castro, L.; Belmonte, M.A.; Yan, C.Y.; Moriscot, A.S.; Hamassaki, D.E. Expression of connexins 36, 43, and 45 during postnatal development of the mouse retina. J. Neurobiol. 2006, 66, 1397–1410. [Google Scholar] [CrossRef]
- Maxeiner, S.; Dedek, K.; Janssen-Bienhold, U.; Ammermuller, J.; Brune, H.; Kirsch, T.; Pieper, M.; Degen, J.; Kruger, O.; Willecke, K.; et al. Deletion of connexin45 in mouse retinal neurons disrupts the rod/cone signaling pathway between AII amacrine and ON cone bipolar cells and leads to impaired visual transmission. J. Neurosci. 2005, 25, 566–576. [Google Scholar] [CrossRef][Green Version]
- Guldenagel, M.; Sohl, G.; Plum, A.; Traub, O.; Teubner, B.; Weiler, R.; Willecke, K. Expression patterns of connexin genes in mouse retina. J. Comp. Neurol. 2000, 425, 193–201. [Google Scholar] [CrossRef]







| Antibodies | Host | Dilution | Source | |
|---|---|---|---|---|
| Primary | Anti-Cx37/GJA4 | Rabbit | 1:300 | ab181701; Abcam, Cambridge, UK |
| Anti-Cx40/GJA5 | Rabbit | 1:50 | ab213688; Abcam, Cambridge, UK | |
| Anti-Cx43/GJA1 | Goat | 1:100 | ab87645; Abcam, Cambridge, UK | |
| Anti-Cx45/GJA7 | Rabbit | 1:500 | ab135474; Abcam, Cambridge, UK | |
| Reelin (E-5) | Mouse | 1:50 | sc-25346, Santa Cruz Biotechnology, Dallas, TX, USA | |
| Dab1 (phospho-Y232) | Rabbit | 1:100 | ab78200; Abcam, Cambridge, UK | |
| Secondary | Alexa Fluor® 488 Affini-Pure Donkey Anti-Rabbit IgG (H + L) 711-545-152 | Donkey | 1:300 | Jackson Immuno Research Laboratories, Inc., Baltimore, PA, USA |
| Alexa Fluor® 488 Affini-Pure Donkey Anti-Sheep IgG (H + L) 713-545-003 | Donkey | 1:300 | Jackson Immuno Research Laboratories, Inc., Baltimore, PA, USA | |
| Alexa Fluor® 488 Affini-Pure Donkey Anti-Mouse IgG (H + L) 711-545-154 | Donkey | 1:300 | Jackson Immuno Research Laboratories, Inc., Baltimore, PA, USA |
Disclaimer/Publisher’s Note: The statements, opinions and data contained in all publications are solely those of the individual author(s) and contributor(s) and not of MDPI and/or the editor(s). MDPI and/or the editor(s) disclaim responsibility for any injury to people or property resulting from any ideas, methods, instructions or products referred to in the content. |
© 2024 by the authors. Licensee MDPI, Basel, Switzerland. This article is an open access article distributed under the terms and conditions of the Creative Commons Attribution (CC BY) license (https://creativecommons.org/licenses/by/4.0/).
Share and Cite
Skelin, L.; Racetin, A.; Kelam, N.; Ogorevc, M.; Znaor, L.; Saraga-Babić, M.; Filipović, N.; Katsuyama, Y.; Pogorelić, Z.; Vukojević, K. Connexin Expression Is Altered in the Eye Development of Yotari Mice: A Preliminary Study. Biomolecules 2024, 14, 1174. https://doi.org/10.3390/biom14091174
Skelin L, Racetin A, Kelam N, Ogorevc M, Znaor L, Saraga-Babić M, Filipović N, Katsuyama Y, Pogorelić Z, Vukojević K. Connexin Expression Is Altered in the Eye Development of Yotari Mice: A Preliminary Study. Biomolecules. 2024; 14(9):1174. https://doi.org/10.3390/biom14091174
Chicago/Turabian StyleSkelin, Ljubica, Anita Racetin, Nela Kelam, Marin Ogorevc, Ljubo Znaor, Mirna Saraga-Babić, Natalija Filipović, Yu Katsuyama, Zenon Pogorelić, and Katarina Vukojević. 2024. "Connexin Expression Is Altered in the Eye Development of Yotari Mice: A Preliminary Study" Biomolecules 14, no. 9: 1174. https://doi.org/10.3390/biom14091174
APA StyleSkelin, L., Racetin, A., Kelam, N., Ogorevc, M., Znaor, L., Saraga-Babić, M., Filipović, N., Katsuyama, Y., Pogorelić, Z., & Vukojević, K. (2024). Connexin Expression Is Altered in the Eye Development of Yotari Mice: A Preliminary Study. Biomolecules, 14(9), 1174. https://doi.org/10.3390/biom14091174

