Next Article in Journal
A Fast Modeling Method for BOR–FDTD
Next Article in Special Issue
SESAME: Automated Security Assessment of Robots and Modern Multi-Robot Systems
Previous Article in Journal
Research on Distributed Secure Storage Framework of Industrial Internet of Things Data Based on Blockchain
Previous Article in Special Issue
Hybrid State Estimation: Integrating Physics-Informed Neural Networks with Adaptive UKF for Dynamic Systems
 
 
Font Type:
Arial Georgia Verdana
Font Size:
Aa Aa Aa
Line Spacing:
Column Width:
Background:
Article

A Maneuver Coordination Analysis Using Artery V2X Simulation Framework

1
Instituto de Telecomunicações, Universidade de Aveiro, Campus Universitário de Santiago, 3810-193 Aveiro, Portugal
2
Instituto de Telecomunicações, Departamento de Eletrónica, Telecomunicações e Informática, Universidade de Aveiro, Campus Universitário de Santiago, 3810-193 Aveiro, Portugal
3
Instituto de Telecomunicações, Escola Superior de Tecnologia e Gestão de Águeda, Universidade de Aveiro, Campus Universitário de Santiago, 3810-193 Aveiro, Portugal
*
Author to whom correspondence should be addressed.
Electronics 2024, 13(23), 4813; https://doi.org/10.3390/electronics13234813
Submission received: 31 October 2024 / Revised: 29 November 2024 / Accepted: 4 December 2024 / Published: 6 December 2024
(This article belongs to the Special Issue Cyber-Physical Systems: Recent Developments and Emerging Trends)

Abstract

This paper examines the impact of Vehicle-to-Everything (V2X) communications on vehicle cooperation, focusing on increasing the robustness and feasibility of Cooperative, Connected, and Automated Vehicles (CCAVs). V2X communications enable CCAVs to obtain a holistic environmental perception, facilitating informed decision making regarding their trajectory. This technological innovation is essential to mitigate accidents resulting from inadequate or absent communication on the roads. As the importance of vehicle cooperation grows, the European Telecommunications Standards Institute (ETSI) has been standardizing messages and services for V2X communications, in order to improve the synchronization of CCAVs actions. In this context, this preliminary work explores the use of Maneuver Coordination Messages (MCMs), under standardization by ETSI, for cooperative path planning. This work presents a novel approach by implementing these messages as well as the associated Maneuver Coordination Service (MCS) with a Cooperative Driving System to process maneuver coordination. Additionally, a trajectory approach is introduced along with a message generation mechanism and a process to dynamically handle collisions. This was implemented in an Artery V2X simulation framework combining both network communications and SUMO traffic simulations. The obtained results demonstrate the effectiveness of using V2X communications to ensure the safety and efficiency of Cooperative Intelligent Transportation Systems (C-ITS).

1. Introduction

The development of vehicular networks is an essential component of Cooperative Intelligent Transportation Systems (C-ITS), and many standards and applications are being introduced to facilitate vehicular communications and promote safety. Two main modes of communication are prevalent in vehicular networks: short-range, enabling direct wireless communication among Intelligent Transport Systems (ITS) stations, and cellular, where ITS-Stations (ITS-Ss) exchange information through network base stations. In this work, vehicles interact directly by broadcasting messages using short-range Vehicle-to-Everything (V2X) communications, eliminating the need for network infrastructure support. V2X communications enhance the collaboration among Cooperative, Connected, and Automated Vehicles (CCAVs) and empower them with a comprehensive perception of the surroundings, thus improving their decision-making abilities for trajectory planning.
Inadequate communication among drivers, often expressed through misunderstood signals or gestures, contributes to numerous accidents. Misinterpretations can lead to inconvenient maneuvers or, at worst, harmful collisions [1]. In this context, the main focus of V2X communications is, in addition to prioritizing safety, optimization of traffic efficiency. As vehicle collaboration becomes more significant, the need for effective communication grows, particularly in maneuver coordination [2]. Vehicles equipped with autonomous systems must cooperate to improve overall traffic conditions.
ITS messages, such as Cooperative Awareness Messages (CAMs) and Collective Perception Message (CPMs), provide real-time information for vehicle awareness but not for cooperative path planning. To improve the efficiency and safety of autonomous vehicles, a new message type has been introduced, the Maneuver Coordination Message (MCM) [3]. MCMs contain future trajectory information, specifically a predetermined list of the vehicle’s planned positions over time, enabling cooperative maneuvers among vehicles. The European Telecommunications Standards Institute (ETSI) is actively working on the definition of MCMs and the associated Maneuver Coordination Service (MCS). The MCS runs within the communication units and is responsible for handling the maneuver coordination processes through MCM generation and management [4]. These messages present a potential solution to improve road safety and enhance traffic flows. Nevertheless, several challenges associated with maneuver coordination should be considered, including the need to address more complex scenarios and the potential influence of non-CAVs on planned trajectories.
With the goal of providing a framework for the test and analysis of the MCS, both in terms of traffic safety and efficiency but also regarding V2X channel overhead, the main contributions of this paper are as follows:
  • Implementing MCMs according to the draft standard definition [4];
  • Developing the MCS with MCM integration, providing a basic cooperative driving system for vehicle collaboration and simple MCM generation rules;
  • Implementing the MCS in an Artery V2X simulation platform to coordinate CCAVs using V2X communications;
  • Assessing the effectiveness of the solution using the simulation platform.
As a result, this work presents a simulation analysis of cooperative maneuvers employing an MCS designed to support generic maneuvers. The simulations described in this paper are focused on a highway merging scenario.
The rest of the paper is organized as follows: Section 2 provides a review of projects and studies related to the development of MCMs, while Section 3 presents the proposed system architecture for V2X-based maneuver coordination within the Artery simulation framework. After that, Section 4 explains the implemented system in detail, while Section 5 describes the performed tests and summarizes the obtained results. Finally, Section 6 provides some conclusions on the work that was developed, as well as suggestions for future work.

2. Related Work

This section provides an overview of the most relevant research projects and scientific literature on the topic of V2X communications for maneuver coordination, with a particular emphasis on proposals for the specification of the MCS and associated features (e.g., message generation rules).

2.1. Research Projects

Several independently developed research projects have focused on trajectory sharing using MCMs, leading to various message structure proposals. The PAC-V2X project [5] involved vehicles, roadside units (RSUs), and central systems for cooperation, utilizing ITS-G5 ad-hoc local area network for ITS-Stations and 4G cellular network as system servers. However, the proposed solution lacks generalized support for all types of maneuvers. The IMAGinE project [6] analyzed objective interactions among vehicles in various use cases through periodic MCM transmissions, including potential paths and cost values for trajectory prioritization. The TransAID project [7] addressed the coexistence of basic and automated vehicles during transitions between automation levels. It focused on developing traffic management techniques and protocols applied to diverse use cases.
ETSI’s draft standard TR 103 578 [4] relies on these projects for MCM definition and outlines two scenarios: agreement-seeking, where cooperative entities coordinate for a common goal, and prescriptive maneuvers, involving entities with special permissions. This standard covers both Vehicle-to-Vehicle (V2V) and Infrastructure-to-Vehicle (I2V) maneuver coordination mechanisms. This draft format incorporates sender details including the generation time, reference position, and heading. It comprises one of the two possible containers: the Vehicle Maneuver Container, containing data about the sender vehicle’s potential maneuvers (a list of potential trajectories) used for implementing V2V agreement-seeking cooperation; or the Maneuver Advice Container, containing a list of advised maneuvers for vehicles engaged in the traffic, used for implementing V2V prescriptive and I2V agreement-seeking and prescriptive cooperation.

2.2. Literature Review

Several studies have investigated maneuver coordination processes, exploring diverse strategies for trajectory-sharing, implicit and explicit, use cases, and support for mixed traffic. Lehmann et al. [3] present a generic implicit approach for maneuver coordination using MCMs to share future trajectories. It is considered an implicit approach as there are no explicit confirmation messages to approve the requested maneuver, being its acceptance verified by analyzing the adjustment of others’ future trajectories. Xu et al. [8] and Mertens et al. [9] also used MCMs for maneuver coordination, but with an explicit response to confirm cooperation. Similarly, AutoMCM by Mizutani et al. [10] presents a trajectory-sharing protocol for explicit maneuver coordination, encompassing seven different types of messages to exchange during maneuver execution. Through trajectory analysis, Häfner et al. proposed the Complex Vehicular Interactions Protocol (CVIP) [11], a protocol which does not require the continuous broadcasting of planned trajectories. Instead, vehicles initiate an explicit maneuver coordination protocol upon inferring the need for cooperation from vehicle dynamics and shared information (CAMs, BSMs). The protocol also allows monitoring of maneuver progress via status message updates. Eiermann et al. [12] and Sawade et al. [13] both employed a role-based approach through the proposed Collaborative Maneuver Protocol (CMP). Here, vehicles negotiate roles (e.g., platooning leader vs. followers, in a platooning maneuver), and employ a synchronization mechanism to maintain a sane session state across maneuver participants. Heß et al. [14] developed a real-world experiment in a lane change using the Space-Time Reservation Protocol (STRP), which is based on a reservation message to request cooperation. Here, a vehicle wanting to perform a specific maneuver, requests a road area to be allocated and reserved, corresponding to where the vehicle is planned to be positioned. Häfner et al. [15] assessed cooperative maneuver failure risks and suggested mitigation measures in several approaches, particularly in the previously proposed protocol CVIP.
In addition, other works have analyzed optimal rules for generating MCMs to increase maneuver safety and channel load efficiency. Molina-Masegosa et al. [16] proposed two reliable sets of generation rules. Each set establishes a minimum broadcasting rate and specifies conditions for rate escalation. The first set increases the rate when a vehicle senses risk with nearby vehicles, while the second set increases it upon detecting a significant deviation in its planned trajectory from the previous MCM. Xhoxhi et al. [17] present a trajectory-sharing MCS featuring an algorithm that generates MCMs based on the Value of Information (VoI) of planned trajectories. It prioritizes critical information for the CAV’s intended path, primarily focusing on the vehicle’s position and speed, while in [18] the MCS is extended to support specific use cases and introduce an on-demand approach for transmitting MCMs only during maneuvers or intent changes. However, to ensure compatibility with ETSI standards, MCM is also transmitted periodically at a minimum rate. Garlichs et al. [19] also evaluate the impact of introducing MCM in the V2X communications channel, in terms of channel busy ratio, communications stack delay, packet delivery ratio and age of information, for different generation intervals, message sizes, and market penetration rates.

2.3. Discussion

Table 1 compares the different projects and research works based on the most relevant characteristics. In trajectory-sharing approaches, vehicles periodically transmit MCMs with future trajectories, ensuring accurate perception of maneuver intentions. An approach is explicit if there is a response message to the proposed maneuver, and implicit when the requesting vehicle executes the target maneuver without confirmation. The proposals can be scenario specific, applicable to limited scenarios, or generic, suitable for various scenarios. Mixed traffic occurs when non-cooperative vehicles are involved in negotiations or are considered by cooperative vehicles in the environment.
Overall, the literature analysis indicates positive progress with respect to the development of maneuver coordination protocols. However, essential considerations are required for reliable and safe cooperation among ITS-Ss, in order to promote maneuver coordination on the roads. Existing works propose custom message formats or proprietary coordination mechanisms, which often lack compatibility with established communication frameworks. In contrast, this paper aims to employ current MCMs and MCS draft standards, which have not been applied in prior works. By complying with these standards, our work bridges the gap between conceptual designs and practical, interoperable implementations of maneuver coordination systems. Based on these efforts, we propose an MCM-based implicit coordination mechanism for executing cooperative maneuvers among CCAVs. The proposed mechanism is implemented and analyzed using a simulation tool.

3. System Overview

The Artery V2X simulation framework [20] serves as the basis for this project. It was developed to simulate vehicular networks using ITS-G5 communications, enabling vehicles to exchange standard C-ITS messages (e.g., CAMs and DENMs) in a simulation environment. The Artery integrates the OMNeT++ event simulator and the Simulation of Urban MObility (SUMO) traffic simulator, which communicate using the Traffic Control Interface (TraCI). Additionally, Vanetza, which is accessible within OMNeT++, is also included for network simulation based on the ITS-G5 protocol stack. Artery’s architecture serves as the foundation for this work, as illustrated in Figure 1. The newly added components (highlighted in blue) facilitate V2X communication via MCMs, while the modified component (highlighted in orange) facilitates data gathering and modifies vehicle behavior.
The Cooperative Driving System (highlighted in blue) is the primary component developed within the MCS. It is mainly used to store essential data and orchestrate the entire maneuver coordination process. By zooming into this subsystem, Figure 2 demonstrates how the Cooperative Driving System operates in alignment with the broader system architecture shown in Figure 1. This component is divided into the Vehicle Knowledge and Maneuver Execution modules. The Vehicle Knowledge module contains all relevant vehicle information for the MCS implementation. Here, each vehicle stores its path (obtained at the beginning of the simulation) and the most recently received and transmitted MCMs. The Maneuver Execution module comprises five states corresponding to each vehicle’s phase in maneuver execution: Cruising, Message Handling, Trajectory Calculation, Collision Detection, and Collision Avoidance. Cooperative maneuvers require vehicles to progress through these states before execution. Figure 2 illustrates the different states and transitions between them.
The vehicle begins in the Cruising state, following a predetermined route established before the simulation. It periodically transmits MCMs, which require the vehicle to calculate its future trajectory to be included in the message. As a result, the vehicle systematically alternates between the Cruising and Trajectory Calculation states. Upon receiving an MCM from another vehicle, the vehicle switches from Cruising to the Message Handling state. The objective of the receiving vehicle is to test its own trajectory against the trajectory received in the other vehicle’s MCM, in order to detect and avoid possible future collisions. Therefore, the vehicle proceeds to the Trajectory Calculation state with the intention of calculating its own trajectory. Once this calculation is complete, the vehicle has access to both trajectories (receiver and transmitter) and proceeds to the Collision Detection phase, where it checks for any possible collisions. If a potential collision is detected, the vehicle transitions to the Collision Avoidance state. For simplification purposes, it was defined that only the vehicle with the highest ID can enter this phase and adjust its trajectory. The vehicle in this state avoids the collision by reducing its speed and refraining from accelerating for a certain interval of time, thus, adjusting its future trajectory.
SUMO and OMNeT++ have limited visualizers, displaying only current vehicle positions. To overcome this impairment, a new tool called mapApp has been developed to provide a detailed analysis of future trajectories and overall vehicle behavior. This tool offers an interface that provides insights through a map and a graph illustrating speeds and distances since the beginning of the simulation. The map enables visualization of current vehicle positions, their future trajectories, and the potential future collisions between them highlighted in black. mapApp was developed within the modified Artery V2X project repository.

4. Maneuver Coordination Service

A MCS implementation called McService was designed to create, manage, and process MCMs. In this work, the service only transmits vehicle intentions (intent sharing), lacking the complete functionality of MCMs (e.g., maneuver negotiation) that is foreseen in the standard draft versions but not yet defined. Here, maneuver coordination is based on the exchanged information among vehicles without resorting to explicit requests. Before integrating MCMs into Artery, an analysis of the MCM draft standard was conducted. Subsequently, the Vanetza GitHub repository, which consists of a collection of libraries that implement ETSI C-ITS protocols used by the services in Artery for network simulation, was cloned for MCM integration.

4.1. Trajectory Approach

In order to define the future trajectory to be included in an MCM, various challenges related to SUMO were encountered, particularly in the acquisition of vehicles’ route data for the scenario, requiring extensive research. SUMO provides complete route information for all vehicles in the *.rou.xml file, which contains the predefined paths that each vehicle follows throughout the simulation. This eliminates the need for a custom path planning algorithm, as the vehicle routes are already available and ready to be used directly in the simulation. Firstly, it was defined that a trajectory is formed by ten intermediate points at intervals of 0.5 s, resulting in a total of 5 s of future trajectory. The primary challenges lay in acquiring information about the vehicles’ routes, particularly of (curved) road shapes, as well as future trajectories.
Following a thorough investigation, particularly of the SUMO code, a route-based trajectories computation approach was pursued. This method considers curved trajectories, allowing the vehicle’s direction and position to vary from one point to another. An intermediate point was calculated using the vehicle’s predecessor and its current speed that remains constant throughout the trajectory. The predecessor can be either the vehicle’s current position or the previous intermediate point. Furthermore, the SUMO vehicle path information obtained at the start of the simulation is utilized for this trajectory computation; thus, overcoming earlier challenges.
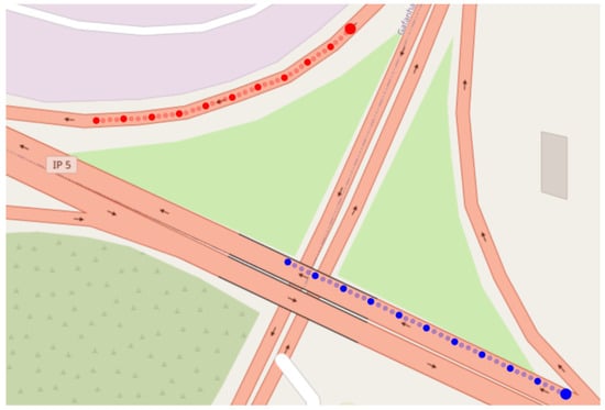
Notably, the simulation does not rely on vehicle-mounted sensors for perception. Instead, the vehicle’s perception is entirely achieved through V2X communications. Vehicles exchange V2X messages containing predefined route data extracted from SUMO’s *.rou.xml file. This approach provides vehicles with the necessary trajectory information for maneuver coordination.
Figure 3 illustrates the route-based trajectories of vehicles in the simulation.

4.2. Collision Handling

After MCM exchange, it is crucial to assess the need for collaboration. Upon receiving an MCM, the subsequent steps involve detecting and, if necessary, avoiding potential collisions. When a vehicle receives an MCM, it calculates a new set of points called interpolated points for both trajectories (transmitter and receiver). The interpolated points are located between the intermediate points to increase the accuracy of the collision detection mechanism, making it more reliable. The distance between two consecutive interpolated points is at maximum 2 m for the faster vehicle, being less than that for the slower vehicle, thus ensuring consistent time intervals. Collision detection involves measuring the distance between corresponding intermediate and interpolated points in both trajectories at the same time instant. In other words, the distance between intermediate points with identical indices in both trajectories is measured, and the same applies to interpolated points. The trajectories of both vehicles are represented as follow:
  • Ramp vehicle (merging vehicle) trajectory ( T i ): At iteration i the trajectory of the ramp vehicle is defined as a set of n points, including both intermediate and interpolated points:
    T i = { P i , 1 , P i , 2 , , P i , n }
    Each point P i , j consists of latitude and longitude coordinates:
    P i , j = ( l a t i , j , l o n i , j ) f o r j { 1 , 2 , , n }
  • Highway vehicle trajectory T i : Similarly, the highway vehicle’s trajectory at iteration i is defined as follows:
    T i = { P i , 1 , P i , 2 , , P i , n }
    Each point P i , j consists of latitude and longitude coordinates, which is expressed as follows:
    P i , j = ( l a t i , j , l o n i , j )
A possible future collision is detected when the trajectory points of both vehicles conflict within the predefined minimum safety distance ( d safe ). The distance between two points P i , j and P i , j on a sphere is calculated using the Haversine Formula:
d ( P i , j , P i , j ) = 2 r arcsin sin 2 Δ ϕ 2 + cos ( ϕ 1 ) cos ( ϕ 2 ) sin 2 Δ λ 2
where:
  • r: radius of the Earth (default 6371 km).
  • ϕ 1 = lat i , j , ϕ 2 = lat i , j : latitude values in radians.
  • λ 1 = lon i , j , λ 2 = lon i , j : longitude values in radians.
  • Δ ϕ = ϕ 2 ϕ 1 , Δ λ = λ 2 λ 1 .
An intersection between trajectories is detected when
j { 1 , 2 , , n } , d ( P i , j , P i , j ) d safe
To prevent collisions, a basic V2X communications-based collision avoidance system was developed. Upon detecting potential future collisions, it is imperative to promptly adjust the speeds of the vehicles involved, namely the speed of the ramp vehicle ( v ramp ). TraCI, integrated through the Middleware Vehicle Control, facilitates speed adjustment upon collision detection. The vehicle initiates braking and only resumes acceleration after a specified time interval (for braking and maintaining a reduced speed). The proposed collision avoidance mechanism has a duration of 0.9 s ( t avoid , configurable). Initially, the vehicle brakes, lowering its velocity by 5 m/s ( v red , also configurable). Only after this avoidance braking time has elapsed can the vehicle accelerate again using the default acceleration rate from SUMO ( a default ) until it reaches the maximum speed allowed for the specific road ( v max ). So, the key parameters for this collision avoidance mechanism are as follows.
  • t avoid : Duration for braking and maintaining a reduced speed (default: 0.9 s, configurable).
  • v red : Reduction in velocity during braking (default: 5 m/s, configurable).
  • a default : Default acceleration rate (retrieved from SUMO).
  • v max : Maximum allowable speed for the ramp vehicle, determined by road limits.
The following rules govern the ramp vehicle’s speed adjustments to prevent collision during highway merging:
  • If an intersection between trajectories is detected, reset t avoid and reduce the speed by v red :
    v ramp i + 1 = max ( v ramp i v red , 0 )
  • If a potential future collision is no longer detected:
    During t avoid : Maintain the current reduced speed:
    v ramp i + 1 = v ramp i
    After t avoid : Accelerate until reaching the maximum speed:
    v ramp i + 1 = min ( v ramp i + a default · Δ t , v max )
The algorithm for detecting potential collisions and adjusting the ramp vehicle’s speed proceeds as follows:
  • Distance computation: For each pair of trajectory points ( P i , j , P i , j ) , compute the distance d ( P i , j , P i , j ) using the Haversine formula.
  • Intersection check: Determine whether any point pair violates the minimum safety distance: d ( P i , j , P i , j ) d safe .
  • Speed update: Adjust the ramp vehicle’s speed ( v ramp i ) based on the speed adjustment rules.
  • Iteration: Repeat the above steps until the merging process is completed or the scenario ends.

4.3. Generation Rules

Rules for MCM generation are essential to balance traffic efficiency and safety with channel load, especially in situations that require vehicle cooperation. Figure 4 presents the proposed rules for MCM generation where two approaches are considered. In the fixed transmission rate approach, MCMs are generated and transmitted at a consistent frequency of 10 Hz (configurable). In the dynamic transmission rate approach, the generation and transmission of MCMs varies depending on the vehicle’s operational state. A maximum (10 Hz, configurable) and a minimum (1 Hz, also configurable) transmission rate have been established.
The decision-making process for MCM generation operates in the following way. It first starts by checking which approach is configured. If the transmission rate is fixed, then a new MCM is generated after waiting for the predefined period between two consecutive transmissions. If the transmission rate is dynamic, the minimum rate is initially used. Whenever the vehicle detects a possible future collision, it automatically adjusts the rate to the maximum value. This maximum transmission rate is maintained as long as the generation condition is met, plus a time interval of 3 s (configurable) after that. When this interval expires, the vehicle resumes transmitting MCMs at the minimum rate. In simpler terms, a vehicle traveling without detecting any trajectory collision generates and conveys MCMs at a minimum rate of 1 Hz, leading to a maximum message interval of 1 s. When the vehicle detects a collision along its trajectory, it generates MCMs at a maximum rate of 10 Hz. This results in a minimum interval of 0.1 s between each message. The maximum rate of 10 Hz is maintained for a default time interval of 3 s since the last detected future collision, being this value configurable. Once the time interval for more frequent transmission expires (3 s), the vehicle resumes transmitting MCMs at a minimum rate.

5. Simulation Results

To analyze the behavior and evaluate the performance of the implemented McService, a specific SUMO scenario was developed using OpenStreetMap, JOSM, and SUMO’s netedit. This use case focuses on a highway merge scenario with two vehicles, one originating from the ramp and the other already on the highway.

5.1. Metric Selection

In order to evaluate the proposed solution and explore the attained improvements, a broad range of maneuver coordination scenarios must be tested under different operational conditions. This work provides a first step in this direction by analyzing the challenging scenario of lane merging focusing on metrics that allow drawing meaningful conclusions about the feasibility and performance of employing MCMs for V2X-based maneuver coordination.
Table 2 documents the configurable simulation parameters, categorized into General and Dynamic Rate sections, supporting both fixed and dynamic transmission rate approaches. The general parameters apply to all simulations, regardless of the transmission rate type. The minimum safe distance defines the minimum distance between corresponding trajectories’ points that is considered for the detection of potential future collisions. The avoidance braking time determines the time interval during which a vehicle brakes and maintains a reduced speed after detecting a potential future collision. The avoidance speed reduction quantifies the decrease in speed that a vehicle undergoes when avoiding a collision. Table 2 also shows the minimum, maximum, and step values that were considered in the simulation tests.
When using a fixed transmission rate, the transmission rate parameter was alternatively set to 1 Hz, 5 Hz, or 10 Hz. The parameters exclusively applicable in the dynamic transmission rate approach are included in the Dynamic Rate category within Table 2 as well. The active collision prevention duration establishes the duration during which MCMs are transmitted at the maximum transmission rate after a potential collision has been detected. After that, MCMs are generated and sent at the minimum transmission rate in this dynamic approach.
The conservativeness of the proposed scheme primarily depends on the configuration of parameters present in Table 2, which allows for flexibility in adopting a more or less conservative approach depending on the driving scenario. For instance, increasing the minimum safe distance or extending the avoidance braking time could enhance safety but may result in reduced efficiency, such as unnecessary braking or prolonged avoidance maneuvers. In contrast, reducing conservativeness may involve fine-tuning these parameters to specific operational requirements. This flexibility underscores the importance of balancing safety and efficiency through careful parameter selection, as the developed service aims to establish safe and efficient cooperation between vehicles by sharing intentions, enabling a quick and secure execution of the designated routes. The evaluation metrics considered in this analysis focus on the maneuver operational performance and on the amount of messages required to support the designated behavior:
  • number of sent messages allows the evaluation of the MCM transmission impact on the channel load;
  • minimum distance between vehicles supports the maneuver safety analysis;
  • maximum vehicle speed of the merging vehicle enables the assessment of the maneuver efficiency;
  • total maneuver time until both vehicles complete their predefined routes, also allows to compare the maneuver efficiency between the different approaches.
The optimization of one metric may require compromising another, underscoring the need for a strategic trade-off among parameters to concurrently enhance traffic efficiency and safety. This should be achieved while minimizing the impact on the overall channel load.

5.2. Simulations

The simulation tests began by assessing the developed service in a non-cooperative driving scenario, i.e., normal traffic behavior without V2X communications, with both vehicles complying to all traffic rules including road speed limits. Two simulations were conducted in this non-cooperative scenario. The initial one was performed using the default SUMO collision avoidance system. This system was then deactivated with the goal of forcing a collision between the vehicles. Afterward, V2X communications were introduced in the simulation aiming to avoid this collision. In this regard, multiple simulations were carried out using two different approaches for the communications-based collision avoidance system: route-based trajectories with a fixed transmission rate and route-based trajectories with a dynamic transmission rate.
The default SUMO collision avoidance simulation represents the standard vehicle driving behavior that does not rely on V2X communications for collision avoidance. Figure 5 illustrates the behavior of the vehicles in this simulation by analyzing only the dashed lines. The blue dashed line corresponds to the speed of the highway vehicle, while the red dashed line represents the merging vehicle. The yellow dashed line depicts the measured distance between the two vehicles throughout the simulation. The graph shows the merging vehicle (red dashed line) braking on the ramp (simulation time ≈ 13 s) when it detects a possible future collision. In the simulation without collision avoidance, the default SUMO collision avoidance system was intentionally disabled to induce a collision between the vehicles in the scenario. SUMO generates a warning to indicate whether a collision has occurred. Figure 5 also shows the equivalent analysis for this situation by examining the dotted lines. In this case, the vehicle on the ramp (red dotted line) does not break to avoid the collision. However, SUMO automatically performs a small emergency brake at the collision moment (simulation time ≈ 16 s).
To test the MCM-based system in the different approaches, default values were initially set for all parameters. These values were chosen to ensure traffic safety in the specified simulation scenario. After that, each parameter was individually varied, while the others were kept at the default value. This made it possible to analyze the impact of each individual parameter on the selected metrics and draw conclusions about efficiency, safety, and channel load. For example, Figure 6 shows the impact of the minimum safe distance parameter on the selected metrics using route-based trajectories with dynamic transmission rate. The values were optimized for each approach through an experimental analysis (trial and error) in order to achieve improved parameter configuration. Table 3 presents the default and optimized values of all parameters for the two different approaches. In the example, Figure 6 shows that the optimal minimum safe distance is attained at 1.5 m (below that there is a collision), while all other parameters are kept at the default values. However, when trying to simultaneously optimize all parameters, the minimum safe distance was better set at 2.5 m in order to still guarantee traffic safety in the scenario.
Similarly to Figure 5, Figure 7 illustrates the behavior of both vehicles in two distinct simulation experiments. In this case, the dotted lines correspond to the simulation utilizing V2X communications, while the dashed lines represent the default driving behavior of SUMO. For the V2X-based collision avoidance simulation, the figure depicts the results of applying the dynamic transmission rate approach, by employing the optimized values presented in Table 3. As observed, the merging vehicle (dotted red line) detects the possible future collision earlier, due to the MCMs exchange, allowing it to start braking sooner. Consequently, it requires less braking distance, and after stopping detecting a future collision, it begins accelerating earlier, thus reaching a higher speed and a faster maneuver completion time. As a result, vehicles approach each other more closely at the merging area, but still maintain a safe distance.

5.3. Results Discussion

Table 4 shows the results obtained for the different approaches employing the optimized parameters’ values. The first simulation with the SUMO collision avoidance system represents the typical behavior of vehicles, as per SUMO’s implementation, characterized by a total maneuver time of 23.3 s. Therefore, the objective is to reduce this maneuver time in a safe manner by using V2X communications. On the other hand, the total time obtained in the collision simulation, i.e., with SUMO’s collision avoidance deactivated, was 20.2 s. This value is close to the minimum possible to achieve in this scenario, given that there is only a short emergency braking after the collision occurs. This value serves as a meaningful term of comparison for the maneuver time to be accomplished in a collision-free and safe simulation based on V2X communications.
The goal of the implemented V2X service is to obtain the shortest possible maneuver time while maintaining a minimum distance between the vehicles, so that the maneuver can be performed quickly and safely. From the results documented in Table 4, it can be concluded that the use of V2X communications with MCMs to coordinate maneuvers provides benefits both in terms of efficiency and road safety, regardless of the approach employed. Upon examining the results of different approaches, it becomes evident that they possess comparable values in nearly all metrics, except for the number of transmitted messages. The dynamic transmission rate can effectively reduce the number of exchanged MCMs, without compromising safety and maneuver efficiency. On average, it is expected that this approach produces slightly degraded results in terms of safety and efficiency metrics, since the fixed transmission rate at high-frequency exchanges more information between the vehicles. However, in this particular setup, those results were practically the same (with a small advantage to the dynamic transmission rate approach). As a result, the appropriate V2X-based strategy involves sharing the route-based trajectory with a dynamically adjusting transmission rate. This aims to avoid overloading the channel and minimize the effects on communication quality while prioritizing both efficiency and road safety.

6. Conclusions and Future Work

In conclusion, this study analyzes the performance of a basic Cooperative Driving System that relies on V2X communications for vehicle collaboration. The corresponding Maneuver Coordination Service, implemented according to the current draft ETSI standard, was developed in the Artery V2X simulation framework. The primary goal was to enhance communications among vehicles in a highway merge scenario by sharing future trajectories based on current speeds and routes. The integration of the MCM intent sharing feature within Artery V2X facilitated a thorough analysis of coordinated maneuvers. The research demonstrated that the use of V2X communications represents an efficient and safe strategy for vehicle collaboration, particularly in highway merging scenarios. Furthermore, the application of simple message generation rules in the MCS suggest that it is possible to mitigate the impact of MCM transmission on the channel load. Specifically, these rules increase the transmission rate of MCMs only upon identification of potential collisions by a vehicle. This adaptive approach prevents excessive messaging under normal conditions, helping to reduce channel congestion and maintain the performance of MCM sharing across the network.
As future work, it is important to test the developed system in other cooperative maneuver scenarios (e.g., overtaking, urban intersection, etc.), knowing that some adjustments are required to better generalize the proposed architecture. For instance, speed adaptation should take into account right-of-way rules, vehicle orientation must be considered in the collision detection mechanism and a higher number of vehicles with different dimensions could be included for more realistic simulation. Moreover, the implemented MCMs must be extended to contemplate the agreement-seeking feature as soon as it is included in the standard message specifications, in order to support explicit maneuver negotiations. The presence of non-CCAVs in the traffic environment must also be addressed, since V2X-based cooperative systems will have to deal with legacy vehicles on the road for a long period. Finally, this research can be expanded by exploring more complex simulation environments including dynamic traffic scenarios and noisy data inputs to further assess the robustness and scalability of the proposed system. Environmental noise, such as errors in localization, sensor measurements, or communication latency, could be intentionally introduced to evaluate the system’s reliability under real-world conditions. This would enable the identification of critical parameters that may require recalibration for improved performance in diverse environments, as well as adaptations to mitigate potential failures in challenging scenarios.

Author Contributions

Conceptualization, J.O., J.A., J.F. and P.C.B.; methodology, J.O., E.V. and J.A.; software, J.O.; validation, J.O., E.V. and J.A.; formal analysis, J.A. and P.C.B.; investigation, J.O. and J.A.; resources, E.V. and J.A.; data curation, J.O.; writing—original draft preparation, J.O. and J.A.; writing—review and editing, E.V., J.A., J.F. and P.C.B.; visualization, J.O. and J.A.; supervision, E.V., J.A., J.F. and P.C.B.; project administration, J.A., J.F. and P.C.B.; funding acquisition, J.F. All authors have read and agreed to the published version of the manuscript.

Funding

This work is supported by the European Union/Next Generation EU, through Programa de Recuperação e Resiliência (PRR) [Project Nr. 29: Route 25 (02/C05-i01.01/2022.PC645463824-00000063)].

Data Availability Statement

The data presented in this study are available on request from the corresponding author. The data are not publicly available due to the highly repetitive structure of the data fields, which requires an organized description for proper interpretation.

Conflicts of Interest

The authors declare no conflicts of interest. The funders had no role in the design of the study; in the collection, analyses, or interpretation of data; in the writing of the manuscript; or in the decision to publish the results.

References

  1. Fu, Y.; Li, C.; Yu, F.R.; Luan, T.H.; Zhang, Y. A Survey of Driving Safety With Sensing, Vehicular Communications, and Artificial Intelligence-Based Collision Avoidance. IEEE Trans. Intell. Transp. Syst. 2022, 23, 6142–6163. [Google Scholar] [CrossRef]
  2. Maksimovski, D.; Festag, A.; Facchi, C. A Survey on Decentralized Cooperative Maneuver Coordination for Connected and Automated Vehicles. In Proceedings of the 7th International Conference on Vehicle Technology and Intelligent Transport Systems—VEHITS, Online, 28–30 April 2021; INSTICC, SciTePress: Setúbal, Portugal, 2021; pp. 100–111. [Google Scholar] [CrossRef]
  3. Lehmann, B.; Günther, H.J.; Wolf, L. A Generic Approach towards Maneuver Coordination for Automated Vehicles. In Proceedings of the 2018 21st International Conference on Intelligent Transportation Systems (ITSC), Maui, HI, USA, 4–7 November 2018; pp. 3333–3339. [Google Scholar] [CrossRef]
  4. TR 103 578 V0.0.13; Technical Report. ETSI; Intelligent Transport Systems (ITS); Vehicular Communication; Manoeuvre Coordination Service (MCS); Pre-Standardisation Study. European Telecommunications Standards Institute (ETSI): Sophia Antipolis, France, 2023.
  5. Shagdar, O.; Merdrignac, P.; Segarra, G. Vehicle Perception Augmented by Cooperation V2X—PAC V2X Project. In Proceedings of the 24th ITS World Congress, Montreal, QC, Canada, 29 October–2 November 2017. [Google Scholar]
  6. IMAGinE (Intelligent Maneuver Automation—Cooperative Hazard Avoidance in Realtime) Project. 2022. Available online: https://imagine-online.de/en/home/ (accessed on 1 February 2024).
  7. Lu, M.; Blokpoel, R.; Schindler, J.; Maerivoet, S.; Mintsis, E. ICT Infrastructure for Cooperative, Connected and Automated Transport in Transition Areas. In Proceedings of the Transport Research Arena (TRA) 2018, Vienna, Austria, 16–19 April 2018. [Google Scholar] [CrossRef]
  8. Xu, W.; Willecke, A.; Wegner, M.; Wolf, L.; Kapitza, R. Autonomous Maneuver Coordination Via Vehicular Communication. In Proceedings of the 2019 49th Annual IEEE/IFIP International Conference on Dependable Systems and Networks Workshops (DSN-W), Portland, OR, USA, 24–27 June 2019; pp. 70–77. [Google Scholar] [CrossRef]
  9. Mertens, M.B.; Müller, J.; Dehler, R.; Klimke, M.; Maier, M.; Gherekhloo, S.; Völz, B.; Henn, R.W.; Buchholz, M. An Extended Maneuver Coordination Protocol with Support for Urban Scenarios and Mixed Traffic. In Proceedings of the 2021 IEEE Vehicular Networking Conference (VNC), Ulm, Germany, 10–12 November 2021; pp. 32–35. [Google Scholar] [CrossRef]
  10. Mizutani, M.; Tsukada, M.; Esaki, H. AutoMCM: Maneuver Coordination Service with Abstracted Functions for Autonomous Driving. In Proceedings of the 2021 IEEE International Intelligent Transportation Systems Conference (ITSC), Indianapolis, IN, USA, 19–22 September 2021. [Google Scholar]
  11. Häfner, B.; Jiru, J.; Roscher, K.; Ott, J.; Schmitt, G.A.; Sevilmis, Y. CVIP: A Protocol for Complex Interactions Among Connected Vehicles. In Proceedings of the 2020 IEEE Intelligent Vehicles Symposium (IV), Las Vegas, NV, USA, 19 October–13 November 2020; pp. 510–515. [Google Scholar] [CrossRef]
  12. Eiermann, L.; Sawade, O.; Bunk, S.; Breuel, G.; Radusch, I. Cooperative automated lane merge with role-based negotiation. In Proceedings of the 2020 IEEE Intelligent Vehicles Symposium (IV), Las Vegas, NV, USA, 19 October–13 November 2020; pp. 495–501. [Google Scholar] [CrossRef]
  13. Sawade, O.; Schulze, M.; Radusch, I. Robust Communication for Cooperative Driving Maneuvers. IEEE Intell. Transp. Syst. Mag. 2018, 10, 159–169. [Google Scholar] [CrossRef]
  14. Heß, D.; Lattarulo, R.; Pérez, J.; Hesse, T.; Köster, F. Negotiation of Cooperative Maneuvers for Automated Vehicles: Experimental Results. In Proceedings of the 2019 IEEE Intelligent Transportation Systems Conference (ITSC), Auckland, New Zealand, 27–30 October 2019; pp. 1545–1551. [Google Scholar] [CrossRef]
  15. Häfner, B.; Jiru, J.; Schepker, H.; Schmitt, G.A.; Ott, J. Preventing failures of cooperative maneuvers among connected and automated vehicles. Comput. Commun. 2022, 193, 234–245. [Google Scholar] [CrossRef]
  16. Molina-Masegosa, R.; Avedisov, S.S.; Sepulcre, M.; Farid, Y.Z.; Gozalvez, J.; Altintas, O. V2X Communications for Maneuver Coordination in Connected Automated Driving: Message Generation Rules. IEEE Veh. Technol. Mag. 2023, 18, 91–100. [Google Scholar] [CrossRef]
  17. Xhoxhi, E.; Li, S.; Schiegg, F.A. Message Generation Algorithm for Maneuver Coordination Based on Value of Information. In Proceedings of the IEEE 97th Vehicular Technology Conference (VTC2023-Spring), Florence, Italy, 20–23 June 2023; pp. 1–7. [Google Scholar] [CrossRef]
  18. Xhoxhi, E.; Li, S. On the Coexistence of Maneuver Coordination Service with Use-Case Specific Applications. In Proceedings of the 2023 IEEE Vehicular Networking Conference (VNC), Istanbul, Turkey, 26–28 April 2023; pp. 136–142. [Google Scholar] [CrossRef]
  19. Garlichs, K.; Willecke, A.; Hagau, A.C.; Wolf, L.C. Maneuver Coordination for CAVs: ITS-G5 Channel and Service Performance Evaluation. IEEE Trans. Intell. Transp. Syst. 2023, 25, 6741–6755. [Google Scholar] [CrossRef]
  20. Riebl, R.; Günther, H.J.; Facchi, C.; Wolf, L. Artery: Extending Veins for VANET applications. In Proceedings of the 2015 International Conference on Models and Technologies for Intelligent Transportation Systems (MT-ITS), Budapest, Hungary, 3–5 June 2015; pp. 450–456. [Google Scholar] [CrossRef]
Figure 1. System architecture in the Artery V2X simulation framework.
Figure 1. System architecture in the Artery V2X simulation framework.
Electronics 13 04813 g001
Figure 2. Cooperative Driving System for MCS implementation.
Figure 2. Cooperative Driving System for MCS implementation.
Electronics 13 04813 g002
Figure 3. Route-based trajectories computation approach. The red dots represent the ramp vehicle’s intermediate and interpolated points forming its future trajectory and the same applies for the blue dots representing the trajectory of the highway vehicle.
Figure 3. Route-based trajectories computation approach. The red dots represent the ramp vehicle’s intermediate and interpolated points forming its future trajectory and the same applies for the blue dots representing the trajectory of the highway vehicle.
Electronics 13 04813 g003
Figure 4. Implemented MCM generation rules.
Figure 4. Implemented MCM generation rules.
Electronics 13 04813 g004
Figure 5. Vehicles’ speeds and distance between them in the default SUMO collision avoidance simulations (enabled vs. disabled).
Figure 5. Vehicles’ speeds and distance between them in the default SUMO collision avoidance simulations (enabled vs. disabled).
Electronics 13 04813 g005
Figure 6. Minimum safe distance variation impact using route-based trajectories with dynamic transmission rate.
Figure 6. Minimum safe distance variation impact using route-based trajectories with dynamic transmission rate.
Electronics 13 04813 g006
Figure 7. Vehicles’ speeds and distance between them in the default SUMO collision avoidance vs. V2X-based collision avoidance (optimized values for dynamic transmission rate) simulations.
Figure 7. Vehicles’ speeds and distance between them in the default SUMO collision avoidance vs. V2X-based collision avoidance (optimized values for dynamic transmission rate) simulations.
Electronics 13 04813 g007
Table 1. Research studies and projects comparison.
Table 1. Research studies and projects comparison.
Trajectory SharingExplicitMultiple ScenariosMixed Traffic
PAC-V2X [5]🗸 🗸
IMAGinE [6]🗸 🗸
TransAID [7]🗸 🗸
Lehmann et al. [3]🗸 🗸
Xu et al. [8]🗸🗸🗸
Mertens et al. [9]🗸🗸🗸🗸
AutoMCM [10]🗸🗸🗸
CVIP [11]🗸🗸🗸
Eiermann et al. [12]🗸🗸 🗸
Sawade et al. [13] 🗸🗸
Heß et al. [14] 🗸🗸
Table 2. Parameter configurations.
Table 2. Parameter configurations.
ParameterUnitMin.Max.Intervals
Generalminimum safe distancemeters0.550.5
avoidance braking timeseconds0.12.00.1
avoidance speed reductionmeters per second1101
Dynamic Rateactive collision prevention durationmeters1101
minimum transmission rateHertz155
maximum transmission rateHertz5105
Table 3. Default and optimized parameter values for the two different approaches.
Table 3. Default and optimized parameter values for the two different approaches.
ParametersDefault ValuesOptimized Values
Fixed RateDynamic Rate
minimum safe distance2.5 m2.5 m2.5 m
avoidance braking time0.9 s0.8 s0.8 s
avoidance speed reduction5 m/s3 m/s3 m/s
transmission rate10 Hz5 Hz-
active collision prevention duration3 s-3 s
minimum transmission rate1 Hz-1 Hz
maximum transmission rate10 Hz-10 Hz
Table 4. Results comparison for the different implemented approaches.
Table 4. Results comparison for the different implemented approaches.
Collision AvoidanceManeuver TimeMinimum DistanceMaximum SpeedNumber of Sent MCMs
Default23.3 s4.75 m21.04 m/s0
None20.2 s0.75 m23.19 m/s0
Fixed rate20.3 s2.93 m24.51 m/s191
Dynamic rate20.2 s2.65 m24.73 m/s95
Disclaimer/Publisher’s Note: The statements, opinions and data contained in all publications are solely those of the individual author(s) and contributor(s) and not of MDPI and/or the editor(s). MDPI and/or the editor(s) disclaim responsibility for any injury to people or property resulting from any ideas, methods, instructions or products referred to in the content.

Share and Cite

MDPI and ACS Style

Oliveira, J.; Vieira, E.; Almeida, J.; Ferreira, J.; Bartolomeu, P.C. A Maneuver Coordination Analysis Using Artery V2X Simulation Framework. Electronics 2024, 13, 4813. https://doi.org/10.3390/electronics13234813

AMA Style

Oliveira J, Vieira E, Almeida J, Ferreira J, Bartolomeu PC. A Maneuver Coordination Analysis Using Artery V2X Simulation Framework. Electronics. 2024; 13(23):4813. https://doi.org/10.3390/electronics13234813

Chicago/Turabian Style

Oliveira, João, Emanuel Vieira, João Almeida, Joaquim Ferreira, and Paulo C. Bartolomeu. 2024. "A Maneuver Coordination Analysis Using Artery V2X Simulation Framework" Electronics 13, no. 23: 4813. https://doi.org/10.3390/electronics13234813

APA Style

Oliveira, J., Vieira, E., Almeida, J., Ferreira, J., & Bartolomeu, P. C. (2024). A Maneuver Coordination Analysis Using Artery V2X Simulation Framework. Electronics, 13(23), 4813. https://doi.org/10.3390/electronics13234813

Note that from the first issue of 2016, this journal uses article numbers instead of page numbers. See further details here.

Article Metrics

Back to TopTop