Next Article in Journal
Thin Films of PNDI(2HD)2T and PCPDTBT Polymers Deposited Using the Spin Coater Technique for Use in Solar Cells
Next Article in Special Issue
Formation and Bioactivity of Composite Structure with Sr-HA Phase and H2Ti5O11·H2O Nanorods on Ti Surface via Ultrasonic-Assisted Micro-Arc Oxidation and Heat Treatment
Previous Article in Journal
Magnetoplasmonic Resonators Designed with Hexagonally Arrayed Au/BIG Bilayer Nanodisks on Au Thin Film Layers for Enhanced MOKE and Refractive Index Sensing
Previous Article in Special Issue
Shear Failure Analysis of 3D Seven-Directional Braided Composites
 
 
Font Type:
Arial Georgia Verdana
Font Size:
Aa Aa Aa
Line Spacing:
Column Width:
Background:
Article

Effect of Si on Mechanical Properties and Oxide Film Formation of AFA Alloy at Low Oxygen Pressure

1
Key Laboratory of Materials Surface Science and Technology, Jiangsu Province Higher Education Institutes, Changzhou University, Changzhou 213164, China
2
Jiangsu Collaborative Innovation Center of Photovoltaic Science and Engineering, Changzhou University, Changzhou 213164, China
*
Author to whom correspondence should be addressed.
Coatings 2025, 15(5), 602; https://doi.org/10.3390/coatings15050602
Submission received: 18 April 2025 / Revised: 16 May 2025 / Accepted: 16 May 2025 / Published: 18 May 2025

Abstract

The Cr2O3 film on the outer surface of traditional cracking furnace tubes is prone to spalling, which shortens the tube life. Fe-Ni-Cr-based austenitic stainless steel (AFA alloy) with added Al has attracted attention because it can form a more stable Al2O3 film on the surface. However, the alloy’s mechanical performance and the stability and oxidation resistance of the oxide film need to be improved simultaneously. This investigation examined silicon concentration variations (0–1.5 wt.%) on AFA alloy’s ambient-temperature tensile performance and oxidation response under reduced oxygen partial pressures (10−18–10−16 bar). The findings demonstrate that the alloy was composed of the FCC, B2-NiAl, and M23C6 phases. With Si addition, the B2-NiAl phase volume fraction increased. Mechanical testing demonstrated progressive elevation in tensile strength and hardness coupled with reduced elongation, attributable to combined solid-solution hardening and B2-NiAl precipitation strengthening. At low oxygen pressure, a continuous multi-layer oxide film developed on the alloy’s surface: the outermost layer was composed of a continuous Cr2O3 layer, with a fraction of MnCr2O4 spinel phase enriched on the outer surface. The middle layer was SiO2, which evolved from a particulate to a continuous layer with increasing Si content. The innermost layer was composed of Al2O3. Accelerated manganese diffusion through Cr2O3 facilitated MnCr2O4 spinel layer formation.

Graphical Abstract

1. Introduction

Ethylene is a crucial product in modern industry, with steam cracking being the most mature method for its production [1]. Traditional cracking furnace tubes made of Fe-Ni-Cr austenitic stainless steel rely on a Cr2O3 film for protection. However, this film easily converts to volatile hydroxides or peels off after prolonged exposure to high-temperature, low-oxygen environments with water vapor, shortening the tube’s life [2,3,4]. In contrast, Fe-Cr-Ni austenitic stainless steel with added Al (AFA alloy) forms a more stable Al2O3 film, garnering significant attention [5,6,7,8]. The ORNL group has studied three AFA grades based on nickel content: 12 Ni, 20–25 Ni, and 32 Ni. The “standard” 20–25 wt.% Ni AFA grade, strengthened by MC and/or M23C6 precipitates, is used at 750–950 °C [9,10,11]. However, the stability of oxide film and mechanical property can be further proved with alloying elements or pre-oxidation method.
According to the study of Jiang et al. [12], the oxygen pressure required for the formation of Al2O3 was the lowest, and the formation of other oxides could be inhibited by low oxygen pressure. Under such low-oxygen conditions, preferential oxidation occurs where alloy constituents with greater oxygen affinity undergo selective oxidation ahead of matrix elements. The “third element” effect has also led to a reduction in the quantity of alloying elements required for forming a complete oxide film.
Numerous studies have demonstrated that adding Si to Ni-Al-based and Ni-Cr-Al-based alloys can significantly promote the formation of alumina films [13,14,15,16,17,18]. Dunning et al. [19] investigated Si content’s influence on the cyclic oxidation characteristics of AFA alloy in the air at 800 °C, and the results proved that the weight increase in alloy containing 3 wt.% Si was four times less than that of alloy without Si. This substantial difference was attributed to the development of a SiO2 film on the matrix surface. Similarly, Kumar et al. [20] found that when Fe-14 Ni-14 Cr-4 Si alloy was subjected to isothermal oxidation in air at 900–1100 °C, the rate of oxidation was approximately 200 times slower than that of the Fe-14 Ni-14 Cr alloy without Si. The significant oxidation rate decreased results from SiO2 film formation on the surface. Furthermore, when Fe-14 Ni-14 Cr-4 Si steel was cooled to ambient temperature, almost no oxide film spalling was observed. However, Mahboubi et al. [21] reported a different outcome. After 500 h of isothermal oxidation of Fe-25 Ni-20 Cr-5.9 Si alloy in an 800 °C air atmosphere with 10% water vapor, although a SiO2 film was formed, severe oxide film spalling still occurred. This discrepancy may have stemmed from the different oxidation environments: one in pure air and the other in air with water vapor. Shen et al. [22] proved that the oxidation stability of the Fe-20 Ni-14 Cr-1 Nb-0.1 C alloy containing 3 wt.% Si at 750 °C and 800 °C was comparable to that of the alloy with 3 wt.% Al. However, the oxidation performance of the Si-containing alloy deteriorated at 850 °C. It is evident that the effect of adding Si to Ni-based alloys and Fe-Ni-Cr-Al alloys on elevated-temperature oxidation resistance and oxide film stability is closely related to the oxidation environment. Oxide film formation on the alloy surface can also be optimized by carefully controlling the oxidation conditions [23,24].
The presence of Si significantly impacts the mechanical characteristics of metallic alloys. Ohkubo et al. [25] proved that reducing the Si content softened austenitic stainless steel to some extent, whereas increasing the concentration of Si tended to improve the ultimate tensile strength and yield strength. However, the influence of trace Si additions on oxide scale formation, microstructural stability, and mechanical characteristics of 25 Ni-AFA model alloys remained unclear, particularly in steam cracking processes characterized by high temperatures and low oxygen pressure. This study investigated these effects by varying Si content under low oxygen pressure, providing valuable insights for AFA alloy composition design and the development of oxidation technologies.

2. Experimental Methods

2.1. Sample Preparation

The alloy compositions investigated within this research were Fe-25 Ni-20 Cr-4.5 Al-1 Mn-x Si-0.3 C, where x = 0, 0.5, 1, and 1.5 wt.%. The raw materials used were 99.99% pure metal particles, sourced from Lichengxin Material Technology Co., Ltd. (Beijing, China) was added in the form of an Fe5C alloy. These raw materials were precisely weighed according to the specified composition ratios and subsequently melted using a Vacuum Non-consumable Magnetic-controlled Arc Furnace (model WK-1) to produce button-shaped alloy samples. The resulting alloy was then bisected using a Wire Cutter (DK-7720, Wenjie CNC Equipment Co., Ltd., Taizhou, China). After removing the oil on the surface of the alloy with SiC sandpaper, the alloy was wrapped with Ta foil and placed in a quartz tube for vacuum preservation. Subsequently, the samples, which were sealed under vacuum conditions, were annealed in a constant-temperature tube furnace at 1000 °C for a period of one month to ensure compositional homogeneity of the samples.
After annealing, the sample was cut into slices of about 10 mm × 5 mm × 1.2 mm by wire cutting. Then, the specimens underwent sequential fine grinding and polishing using SiC sandpapers with grit sizes of 150, 400, 1000, and 2000 mesh. Subsequently, the final surface polishing was performed using a 0.25 μm diamond polishing suspension. The prepared samples underwent thorough cleansing through immersion in ethanol solution within glass containers subjected to ultrasonic agitation for 120 s, after which residual moisture was removed using ambient-temperature airflow drying.
The alloy chemical composition was analyzed using an energy dispersive spectrometer (EDS) equipped with OXFORD INCA (4.15) software, and the corresponding data are summarized in Table 1. Due to the restrictions of EDS characterization, although carbon was introduced into the samples in the form of Fe5C, its content was not determined in this research.

2.2. Mechanical Properties Test

(1)
Tensile test
The melted alloy ingot was cut by a wire cutter into the I-shaped tensile test sample as shown in Figure 1. Samples were placed in a container filled with ethanol or acetone, cleaned by ultrasonic vibration for 5 min, then taken out, dried, and set aside for later use. The Electronic Universal Testing Machine-10 KN (WDT-10, Kaiqiangli Testing Instrument Co., Ltd., Shenzhen, China) was used for tensile tests at an ambient temperature. The room-temperature tensile tests were conducted following GB/T228.1-2021. The tensile speed of the specimen was 1.5 mm per minute under the machine’s specified load capacity. The ambient-temperature tensile properties of the alloy were measured to determine tensile strength and elongation. Each sample was tested 3 times and the results were averaged.
(2)
Hardness test
A Micro-vickers Hardness Tester (HXD-1000TMC, Maitesi Precision Technology Co., Ltd., Wuxi, China) was used to measure the hardness of the samples after grinding and polishing. The applied load was 300 N and the pressure holding time was 15 s. To ensure the accuracy of the experimental results, each group was measured 5 times and the average value was taken.

2.3. Oxidation Experiment

Figure 2 presents the schematic of the self-made oxidation equipment. Initially, the polished samples were meticulously positioned on the stage at regular intervals and subsequently transferred into the furnace tube, and the furnace was securely closed. Prior to the heating process, high-purity 4% H2 + 96% Ar gas was employed to purge the furnace tube five times. The furnace tube was slowly heated up to 1100 °C, and the heating rate of the furnace tube was 8 °C per minute. During this process, the samples were placed on the stage and swiftly relocated to the heating zone within the furnace tube. The partial pressure of O2 was generated through the decomposition of water vapor at elevated temperatures. Water vapor content was regulated by a micro-pump and monitored continuously using a dew point meter. The experimental parameters for this study are detailed in Table 2, where the correlation between dew point, water content, and oxygen partial pressure were previously discussed by Jiang et al. [12]. Following testing, the samples were slowly cooled to ambient temperature within the furnace. All oxidation experiments were conducted a minimum of three times to ensure result repeatability.

2.4. Microstructure Examination and Analysis

In this study, Factsage 8.3 software was employed to predict the phase constituents of the alloy with varying silicon (Si) contents following annealing at 1000 °C. The phases presented in the annealed alloy underwent additional characterization through an X-ray diffractometer (XRD, D/MAX 2500PC, Tokyo, Japan) using Cu-Kα radiation at 40 kV and 40 mA. And the oxides in the film were detected by the same diffractometer in a grazing incidence mode with an incident angle of 5°. Both tests had a scanning range of 10–90° and a scanning increment of 0.02°. The morphology and composition of the alloy and oxide, both before and after oxidation, were characterized using a scanning electron microscope (SEM, JSM-6510, Tokyo, Japan) coupled with an energy dispersive spectrometer (EDS). The probe diameter of the scanning electron microscope was 1 mm and the acceleration voltage was 20 kV. Before observing the oxidation cross-section, the samples underwent gold spraying, nickel plating, and hot setting treatments.

3. Results and Discussion

3.1. Effect of Si Content on MicroStructure of Alloy After Annealing

3.1.1. Thermodynamic Analysis

The phase diagram provides valuable insights into how silicon influenced the microstructure of the alloy. The phase transformation process and the volume fraction of each phase in the AFA alloy with different Si contents at 1000 °C were thermodynamically calculated by using Factsgae 8.3 software, with the results presented in Figure 3. The alloy primarily consisted of the FCC, B2-NiAl, and M23C6 phases. According to the phase diagram in Figure 3a, the phase constituents remained unchanged when the Si content varied from 0 to 1.5 wt.% at 1000 °C. However, as shown in Figure 3b, increasing Si content led to a gradual reduction in the FCC matrix phase fraction. In contrast, the proportion of the B2-NiAl phase gradually increased, while the content of M23C6 carbides only increased slightly and remained basically unchanged.

3.1.2. Microstructure Analysis

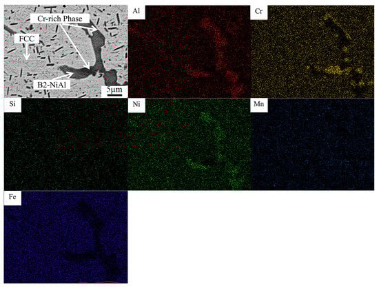
In combination with the EDS composition analysis shown in Table 3, all the annealed alloys provided in Figure 4 and Figure 5 exhibited a typical three-phase structure: the large gray area corresponded to the FCC matrix phase, the black gray bulk/long strip precipitates were B2-NiAl intermetallic compounds, and the dark phase around the B2-NiAl phase was confirmed as Cr23C6 carbide. Actually, given that the average atomic numbers for B2-NiAl (20.5) and Cr23C6 (20.3) are quite similar, it was challenging to distinguish between these phases using the BSE images shown in Figure 4. However, they can be distinguished using the mapping results shown in Figure 5. The maps reveal local regions that were rich in Ni and Al, as well as separate regions with Cr enrichment. In addition to the uniform distribution of Mn within the FCC matrix, the Mn element was significantly concentrated at the interfaces of the Cr23C6 phase. From the distribution positions and morphology, the B2-NiAl phase primarily appeared as needle-like and large block structures, whereas Cr23C6 was distributed around areas of the B2-NiAl phase. These observations were in agreement with the thermodynamic phase diagram prediction (Figure 3a), indicating that adjusting the 0–1.5 wt.% Si did not alter the phase constituents of the alloy. It is worth noting that EDS quantitative analysis revealed that the Si content in the FCC matrix increased linearly with the overall Si content of the alloy, confirming that the added Si element primarily dissolved in the FCC matrix phase and that no new phase containing Si was formed.
The phase constituents in the designed alloy were further analyzed using XRD (Figure 6), which clearly confirmed the coexistence of FCC (with the strongest peak), B2-NiAl, and M23C6. Notably, M23C6 exhibited the lowest diffraction peak intensity, which was consistent with the phase content observed in the BSE images and predicted by thermodynamic calculations.

3.2. Influence of Si Content on Mechanical Properties of Alloys

The stress–strain curves for the AFA-x Si alloys under tensile testing at room temperature are provided in Figure 7. Clearly, all four alloys displayed a distinct stage of plastic deformation prior to brittle fracture. As shown in Figure 7b, the tensile strength and hardness increased from 561.9 ± 8.7 MPa and 157.4 ± 1.0 HV to 736.8 ± 16.4 MPa and 202.8 ± 1.1 HV, respectively, with an increase in Si content from 0 to 1.5 wt.%. Meanwhile, the elongation decreased from 23.5 ± 0.4% to 9.7 ± 0.4%. Adding Si significantly improved the alloy’s strength while decreasing its ductility.
Figure 8 presents the secondary electron images (SEIs) of the tensile fracture morphologies of the AFA-x Si alloys at room temperature. When it does not contain Si, the fracture morphology of the alloy predominantly exhibited distinct cleavage step and intergranular fracture characteristics, indicative of brittle fracture behavior. As the Si content increased to 0.5–1 wt.%, the fracture morphology displayed more cleavage planes and tear ridges, suggesting an intensified degree of brittle fracture. When the Si content reached 1.5 wt.%, the fracture morphology was characterized mainly by cleavage planes and brittle fracture features, suggesting a notable decrease in material plasticity and an accompanying rise in brittleness These observations corroborated the changes in brittleness and toughness depicted in the stress–strain curves shown above.
The solid solution strengthening effect of Si in the alloy resulted in an increase in the room-temperature tensile strength of the alloy as the Si content increased. As shown in Table 3, with the increase in Si content, more Si elements were sole-dissolved in the FCC phase, and the atomic radius difference between Si and Fe resulted in lattice distortion, increasing the resistance of dislocation movement and thus increasing the strength. In addition, although the toughness-to-brittleness transition temperature of the B2-NiAl phase was between 500 and 800 °C, the strengthening effect might have been lost at 700 °C, but it had a significant strengthening effect at room temperature [26] and could significantly enhance the tensile strength [27]. As shown in the thermodynamic results of Figure 3, the precipitation amount of B2-NiAl phase after annealing significantly rose as Si content increased, which greatly promoted the tensile strength of the alloy.

3.3. Effect of Si Content on Oxidation in Low-Oxygen Environment

3.3.1. Surface and Cross-Sectional Microstructure Analysis

The GIXRD results of the AFA-x Si alloys with varying Si contents after oxidation at 1100 °C for 10 h under low oxygen pressure (10−18–10−16 bar) are shown in Figure 9. The increase in Si content did not alter the types of oxidation products, which were primarily composed of Cr2O3, Al2O3, and MnCr2O4. Additionally, the presence of the FCC phase of the substrate could still be detected, which was attributed to the thin oxide film. The incident X-rays were capable of penetrating the oxide layer and interacting with the substrate, thereby providing information on the FCC phase of the substrate. SiO2 was not detected for any of the different Si contents, which may be related to its low concentration. The formation of MnCr2O4 will be addressed in the next section.
The SEIs of the surface and BSE images of the cross-sectional microstructure of AFA-x Si alloy oxidized for 10 h at 1100 °C under low oxygen pressure are shown in Figure 10. From the surface images, it can be seen that most samples exhibited a typical coexistence of large-area oxide coatings and local depressions. From the EDS data in Table 4, it can be seen that the depressed areas were primarily composed of Al-rich phases, while the bulk oxide was enriched with Mn, Cr, and O elements. However, the atomic ratio of Mn to Cr reached 1 to 3 or above. The atomic ratios of these elements deviated significantly from the theoretical ratio of MnCr2O4, especially with fewer Mn and more Cr and O elements.
For further analysis, the transverse micrographs of the blocky areas are presented in Figure 10. After oxidation, a gray oxide film appeared on AFA alloy’s external surface. EDS elemental mappings and line scan analyses for the regions in (e–h) revealed two distinct phases within this gray layer: one enriched with Mn and Cr elements and the other being a single Cr-rich phase. Given that the average atomic number of MnCr2O4 (15) is close to that of Cr2O3 (14.4), these two phases behaved similarly in BSE imaging. This observation was consistent with the EDS results in Table 4, which show a higher concentration of Cr elements. Therefore, it can be inferred that the outermost layer was MnCr2O4, while the inner layer was Cr2O3.
With the increase in Si content, a significant difference was observed in the inner oxide layer, as evidenced by Figure 10 and its corresponding surface and line scanning results. In the 0 Si AFA alloy, the inner layer consisted of continuous linear and strip-like Al2O3. In contrast, granular SiO2 oxide appeared in the alloy with 0.5 wt.% Si. As the Si content further increased to 1 wt.% Si, the SiO2 oxide exhibited a continuous linear distribution. This observation aligned with the findings of Onishi et al. [28], who investigated the oxidation behavior of silicon-containing steel (Fe-Si alloy) at 850 °C at low O2 partial pressure. During selective oxidation, the SiO2 particles formed were spherical in shape. However, in alloys with higher silicon content, dendritic SiO2 particles began to emerge.

3.3.2. Thermodynamic Analysis of Oxidation Products

Oxidation experiments with the samples showed that Al and Cr oxides formed on the alloy’s surface. Thus, thermodynamic analysis of oxidation was crucial for understanding the oxidation characteristics of the AFA alloy at elevated temperatures. To begin with, the oxidation reactions of metals, which give rise to the generation of binary oxide products, are as follows [29]:
2 x y M + O 2 = 2 y M x O y ,
The relationship between the formation of Gibbs free energy per mole of oxide and the partial pressure of O2 is described below:
Δ G θ = R T l n a M x O y 2 / y a M 2 x / y P O 2 e q ,
where M stands for Fe, Cr, Ni, Mn, Al, or Si. In the formula M x O y , both subscripts x and y assume values from 1 to 5, Δ G θ denotes Gibbs free energy, R is the universal gas constant, and T signifies the temperature. The order of the calculated Gibbs free energies is Cr2O3 > SiO2 > Al2O3 [30,31]. To further elucidate the oxidation products, Factsage 8.3 was employed to construct the equilibrium diagram of the oxidation products of the alloy as dependent on both the partial pressure of O2 and Si content, with the results depicted in Figure 11. As the oxygen partial pressure decreased, the Mullite phase gradually vanished, while the SiO2 phase emerged. The Spinel, M2O3, Fe3C, γ-Fe, and γ-Ni phases persisted throughout. The Mullite was primarily composed of Al2SiO5 (which was not observed experimentally), the Spinel phase mainly consisted of FeCr2O4 and MnCr2O4, and the M2O3 phase was predominantly made up of Al2O3 and Cr2O3. With decreasing oxygen partial pressure, the relative content of FeCr2O4 in the Spinel phase diminished, whereas the relative content of MnCr2O4 increased. As the Si content was limited, the alloy was capable of forming SiO2 at higher oxygen pressures. When the Si content reached 1 wt.%, SiO2 could form at an oxygen pressure of approximately 10−16 bar. As illustrated in Figure 10, SiO2 was located inside the Cr2O3 layer. The presence of MnCr2O4 and Cr2O3 on the exterior hindered the oxygen diffusing inward, thereby reducing the local partial pressure of O2 and leading to the formation of SiO2 on the interior.
In the early oxidation stage, SiO2 and MnO could be preferentially formed on the alloy surface. Zhang et al. [32] confirmed that SiO2 was distributed at the middle interface between the oxide layer and the matrix during the initial growth stage. These SiO2 distributions served as nucleation points for the formation of continuous Cr2O3 films and accelerated the development of continuous and complete Cr2O3 films on the surface [33]. When the Si content was greater than 1 wt.%, most Fe-Cr alloys would form a SiO2 film along with Cr2O3 film on the surface [32,34]. Combined with the experimental results of Li et al. [35], it was determined that AFA alloys containing Si exhibited superior oxidation resistance. Consequently, the oxide films formed on Si-containing alloys demonstrated better oxidation resistance compared to those formed on alloys devoid of Si.
Next, consider the formation of the spinel phase (MnCr2O4); Cr and O can form Cr2O3, and Mn and O can form MnO. As the thermodynamic stability of MnCr2O4 is higher than that of Cr2O3 and MnO, metastable MnO would react with Cr2O3 to form a stable spinel phase MnCr2O4, as shown in Equation (3) [36]:
C r 2 O 3 + M n O = M n C r 2 O 4
In addition, as shown in Equation (4), trace amounts of Mn can also directly react with Cr2O3 to form MnCr2O4 [37]:
M n + 4 / 3 C r 2 O 3 = 2 / 3 C r + M n C r 2 O 4
Thus, the spinel phase (MnCr2O4) appeared on the out-most of the oxide film.

3.3.3. Oxidation Mechanism

As shown in Figure 10, the oxidized samples exhibited two distinctly different surface morphologies, consistently with the results reported by Wang et al. [38], who found that the oxidation morphology was related to the characteristics of the matrix. Additionally, according to the analysis by Jiang et al. [12], when the alloy surface was smooth, the second phase in the alloy significantly influenced the oxidation products on the surface. Comparing the matrix in Figure 4 with the surface oxidation morphology in Figure 10, it could be seen that the FCC, as a region with low aluminum content, overlapped within the regions containing Mn and Cr oxides, while the aluminum-rich oxide regions corresponded to the regions of the B2. The presence of the spinel oxide layer as the outermost layer might be related to the role of Mn. This finding is in agreement with the observations of Cao et al. [39], who reported that 1.6 Mn steel no longer formed a continuous Cr2O3 oxide layer as seen in 0 Mn steel. Instead, a Mn-Cr spinel oxide layer developed, replacing the Cr2O3 layer.
The reason for the absence of an outer oxide layer of Si can be considered in terms of the relationship between Si oxidation and oxygen pressure. According to the computations by Onishi et al. [28] regarding the criteria governing the shift from the internal to the external oxidation of SiO2 in Fe-Si alloys, 1 wt.% silicon content suffices to form an outer oxide film at oxygen pressures below 1 × 10−14 Pa. Moreover, the Si concentration necessary to enable the internal-to-external oxidation transition of Si decreased with decreasing oxygen partial pressure. However, in this alloy system, there was no addition of Cr and Al elements in the Fe-Si alloys, thus it is necessary to further analyze the effect of Cr and Al regarding the selective oxidation of Si-containing alloys. The initial oxidation stage was primarily governed by alloying element diffusion in the metallic matrix and oxygen permeation. Assuming M2O3 scale diffusion was the rate-limiting step for external oxide film formation, Wagner’s critical content for the internal-to-external oxidation transition can be expressed as follows [40]:
N M m i n = π g * 3 N O S D O V M D M V M O 3 / 2 ,
where N O S represents the solubility of oxygen, g* represents the threshold volume fraction for the transition, V M and V M O 3 / 2 are the molar volume of the alloy and Cr2O3/Al2O3, and D O and D M are the diffusion coefficients of dissolved O, Cr and Al. According to the calculation results of Jiang et al. [12], the minimum concentrations of Cr and Al necessary to initiate external oxidation were 1.6 at.% and 6.52 at.%, respectively. As shown in Figure 4 and Table 3, in AFA alloys with different Si content, the average Al content in the FCC region was about 6.1 at.%, which was still lower than the threshold value, while the minimum Cr was also 20.8 at.%, which substantially surpassed the threshold value; this directly promoted the preferential growth of a seamless Cr2O3 layer. In the B2-NiAl-phase region, an Al2O3 layer formed on the surface because the Al content was as high as 29.4 at.%. As oxidation progressed, surface diffusion of chromium facilitated the lateral expansion of isolated Cr2O3 domains across phase interfaces, enabling the continuous formation of a coherent Cr2O3 protective layer. In the region beneath this layer, oxygen partial pressure was reduced in the near-surface matrix facilitated formation of SiO2 and Al2O3 layers within the alloy substrate.
After the formation of Cr2O3, Mn element reacted with Cr2O3 to form MnCr2O4 spinel at the outermost layer. Further analysis was performed from the perspective of diffusion. Kinetic analysis showed that the diffusion kinetics of Mn in Cr2O3 exceeded those of Fe, Cr, O, and other elements, with their diffusion coefficients in Cr2O3 are listed below [39]:
D C r 2 O 3 M n = 6 × 10 1 exp 234,000 R T ,
D C r 2 O 3 C r = 1.37 × 10 1 exp 255,642 R T ,
D C r 2 O 3 F e = 7 × 10 1 exp 245,000 R T ,
D C r 2 O 3 O = 1.59 × 10 1 exp 421,747 R T ,
In the equations, R represents the ideal gas constant, and T denotes the thermodynamic temperature. When the temperature was set at 1000 °C (1273 K), the diffusion coefficients DMn, DCr, DAl, and DSi were 1.5 × 10−10, 4.4 × 10−12, 6.2 × 10−14, and 7.9 × 10−17 cm2/s, respectively. The diffusion coefficient of Mn in Cr2O3 exceeded that of Cr by two orders of magnitude. Despite the extremely low Mn concentration, Mn-rich oxides formed in the outer layer could be attributed to the rapid diffusion of Mn within Cr2O3 [41]. Additionally, the diffusion rate of Mn in austenite was sufficiently fast to supply Mn atoms at the reaction interface and thereby promoted the oxidation reaction of Mn.
Figure 12 presents a schematic diagram illustrating the oxidation mechanism of the oxide layer formed at the alloy/air interface of AFA-x Si. In the AFA alloy devoid of Si, the surface was characterized by a typical three-layer structure: the outermost layer consisted of a MnCr2O4 spinel layer, the middle layer was a continuous Cr2O3 layer, and the innermost layer featured an oxidation zone of Al2O3. When 0.5 wt.% Si was introduced into the alloy, discrete SiO2 particles began to form at the interface between the Cr2O3 and Al2O3 layers. As the Si content was increased to 1.0–1.5 wt.%, these SiO2 particles underwent a morphological transformation, resulting in a continuous strip-like distribution along the metal/oxide interface. Additionally, some matrix phases were observed between the strip-like SiO2 and the Cr2O3 films. The incorporation of Si led to the development of additional SiO2 oxide film between the outer and inner oxide layers. This extra SiO2 layer further enhanced the oxidation resistance of the alloy.

4. Conclusions

(1) AFA-x Si alloys with varying Si contents were predominantly composed of the FCC, B2-NiAl, and M23C6 phases. An increase in the silicon content promoted the formation and growth of the B2-NiAl phase. As the silicon content rose, both the tensile strength and hardness of the alloys showed a progressive increase. Conversely, the tensile elongation at fracture of the alloys decreased accordingly.
(2) Under low-oxygen conditions, AFA alloys with varying Si contents developed a multilayer oxide film structure: MnCr spinel on the outermost layer, followed by Cr2O3 and SiO2 inwardly, and then an internal Al2O3 layer. In contrast, the Si-free AFA alloy formed a three-layer oxide structure lacking SiO2. As the Si content increased, discrete SiO2 particles precipitated at the interface between Cr2O3 and Al2O3. When the Si content reached 1.5 wt.%, SiO2 evolved into a continuous strip-like distribution.
(3) The formation of the spinel oxide layer outside the Cr2O3 layer resulted from the high diffusion coefficient of Mn within Cr2O3, which led to the preferential nucleation and growth of MnCr2O4.

Author Contributions

Q.J.: Investigation, Writing—review and editing. X.J.: Writing—review and editing. C.W.: Investigation. X.Z.: Investigation. J.C.: Investigation. Y.L.: Conceptualization, Methodology, Investigation, Writing—original draft, Writing—review and editing. X.S.: Supervision, Validation. All authors have read and agreed to the published version of the manuscript.

Funding

This research was funded by the National Natural Science Foundation of China (Grant Nos. 52271005 and 52171003) and funding from the Priority Academic Program Development of Jiangsu Higher Education Institutions and the CNPC-CZU Innovation Alliance are greatly acknowledged.

Institutional Review Board Statement

Not applicable.

Informed Consent Statement

Not applicable.

Data Availability Statement

The raw/processed data required to reproduce these findings will be available upon request.

Conflicts of Interest

The authors declare no conflict of interest.

References

  1. Towfighi, J.; Sadrameli, M.; Niaei, A. Coke formation mechanisms and coke inhibiting methods in pyrolysis furnaces. J. Chem. Eng. Jpn. 2002, 35, 923–937. [Google Scholar] [CrossRef]
  2. Kofstad, P. High Temperature Corrosion; Elsevier Applied Science: London, UK, 1988. [Google Scholar]
  3. Opila, E.J. Volatility of common protective oxides in high-temperature water vapor: Current understanding and unanswered questions. Mater. Sci. Forum 2004, 461–464, 765–774. [Google Scholar] [CrossRef]
  4. Pint, B.A.; Peraldi, R.; Maziasz, P.J. The use of model alloys to develop corrosion-resistant stainless steels. Mater. Sci. Forum 2004, 461–464, 815–822. [Google Scholar] [CrossRef]
  5. Ortiz, L.; Yang, K.Z.; Church, B. Performance of alumina-forming alloys under coking–decoking cycles. Ind. Eng. Chem. Fundam. 2020, 59, 11485–11493. [Google Scholar] [CrossRef]
  6. Ortiz, L.; Church, B. Rate of coke formation of centrifugally cast austenitic chromia-forming and alumina-forming alloys in coking conditions. Corros. Sci. 2021, 190, 109637. [Google Scholar] [CrossRef]
  7. Yin, F.; Wu, C.; Li, Z.; Zhao, M.; Liu, Y. Phase equilibrium of the Fe-Cr-Ni-Al quaternary system at 900 °C. J. Phase Equilib. Diff. 2013, 34, 181–187. [Google Scholar] [CrossRef]
  8. Kitano, M.; Ishii, H.; Shirai, Y.; Ohmi, T. High-corrosion-resistant Al2O3 passivation-film formation by selective oxidation on austenitic stainless steel containing Al. J. Vac. Sci. Technol. A 2011, 29, 021002. [Google Scholar] [CrossRef]
  9. Liu, L.; Fan, C.; Sun, H.; Chen, F.; Guo, J.; Huang, T. Research progress of alumina-forming austenitic stainless steels: A review. Materials 2022, 15, 3515. [Google Scholar] [CrossRef] [PubMed]
  10. Yamamoto, Y.; Brady, M.P.; Santella, M.L.; Bei, H.; Maziasz, P.J.; Pint, B.A. Overview of strategies for high-temperature creep and oxidation resistance of alumina-forming austenitic stainless steels. Metall. Mater. Trans. A 2011, 42, 922–931. [Google Scholar] [CrossRef]
  11. Gwalani, B.; Escobar, J.; Song, M.; Thomas, J.; Silverstein, J.; Chuang, A.C.; Singh, D.; Brady, M.P.; Yamamoto, Y.; Watkins, T.R.; et al. Mechanisms for high creep resistance in alumina forming austenitic (AFA) alloys. Acta Mater. 2024, 263, 119494. [Google Scholar] [CrossRef]
  12. Jiang, X.; Liu, Y.; Wu, C.; Peng, H.; Chen, J.; Zhu, X.; Tu, H.; Wang, J.; Su, X. Effect of surface finishing on the early-stage oxidation of alumina forming austenitic (AFA) alloys under low oxygen pressure. Corros. Sci. 2025, 247, 112774. [Google Scholar] [CrossRef]
  13. Niu, Y.; Wu, Y.; Gesmundo, F. The oxidation of three Ni–6Si–xAl alloys in 1atm O2 at 1000 °C. Corros. Sci. 2006, 48, 1–22. [Google Scholar] [CrossRef]
  14. Wu, Y.; Niu, Y. High temperature scaling of Ni–xSi–10 at.% Al alloys in 1atm of pure O2. Corros. Sci. 2007, 49, 1656–1672. [Google Scholar] [CrossRef]
  15. Wu, Y.; Niu, Y. Effect of silicon additions on the oxidation of a Ni–6at.%Al alloy at 1273K. Scr. Mater. 2005, 53, 1247–1252. [Google Scholar] [CrossRef]
  16. Wang, S.; Wu, Y.; Ni, C.S.; Niu, Y. The effect of Si additions on the high temperature oxidation of a ternary Ni–10Cr–4Al alloy in 1atm O2 at 1100 °C. Corros. Sci. 2009, 51, 511–517. [Google Scholar] [CrossRef]
  17. Niu, Y.; Zhang, X.J.; Wu, Y.; Gesmundo, F. The third-element effect in the oxidation of Ni–xCr–7Al (x=0, 5, 10, 15at.%) alloys in 1atm O2 at 900–1000 °C. Corros. Sci. 2006, 48, 4020–4036. [Google Scholar] [CrossRef]
  18. Wang, S.Y.; Wu, Y.; Gesmundo, F.; Niu, Y. The effect of Si additions on the high-temperature oxidation of a ternary Ni–10Cr–4Al alloy in 1 atm O2 at 900–1000 °C. Oxid. Met. 2008, 69, 299–315. [Google Scholar] [CrossRef]
  19. Dunning, J.S.; Alman, D.E.; Rawers, J.C. Influence of silicon and aluminum additions on the oxidation resistance of a lean-chromium stainless steel. Oxid. Met. 2002, 57, 409–425. [Google Scholar] [CrossRef]
  20. Kumar, A.; Douglass, D.L. Modification of the oxidation behavior of high-purity austenitic Fe-14Cr-14Ni by the addition of silicon. Oxid. Met. 1976, 10, 1–22. [Google Scholar] [CrossRef]
  21. Mahboubi, S.; Zurob, H.S.; Botton, G.A.; Kish, J.R. Silicon effects on the wet oxidation of type 310 stainless steel. Corros. Sci. 2018, 143, 376–389. [Google Scholar] [CrossRef]
  22. Shen, L.; Wang, Y.; Jing, T.; Peng, H.; Wen, Y. Oxidation resistance and mechanical properties of Al2O3-forming and SiO2-forming austenitic stainless steels between 1023 K and 1173 K. Corros. Sci. 2023, 211, 110914. [Google Scholar] [CrossRef]
  23. Joeris, J.; Scheld, W.S.; Uhlenbruck, S.; Sohn, Y.J.; Sebold, D.; Guillon, O.; Vaßen, R. Preparation of highly durable columnar suspension plasma spray (sps) coatings by pre-oxidation of the conicraly bondcoat. Coatings 2023, 13, 1575. [Google Scholar] [CrossRef]
  24. Yu, D.; Gong, J.; Sun, J.; Qian, Y. Behaviour and mechanisms of alkali metal sulphate-induced cyclic hot corrosion in relation to gradients and preoxidised mcraly-type coatings. Coatings 2022, 12, 912. [Google Scholar] [CrossRef]
  25. Ohkubo, N.; Miyakusu, K.; Uematsu, Y.; Kimura, H. Effect of alloying elements on the mechanical properties of the stable austenitic stainless steel. ISIJ Int. 1994, 34, 764–772. [Google Scholar] [CrossRef]
  26. Yamamoto, Y.; Santella, M.L.; Liu, C.T.; Evans, N.D.; Maziasz, P.J.; Brady, M.P. Evaluation of Mn substitution for Ni in alumina-forming austenitic stainless steels. Mater. Sci. Eng. A 2009, 524, 176–185. [Google Scholar] [CrossRef]
  27. Chen, L.; Wang, M.; Wang, Q.; Gao, Y.; Dong, H.; Che, H.; Zhou, Z. Microstructure and mechanical property evolution of an AFA alloy with simple composition design during ageing at 700 °C. Mater. Sci. Eng. A 2020, 779, 139157. [Google Scholar] [CrossRef]
  28. Onishi, T.; Nakakubo, S.; Takeda, M. Calculations of internal oxidation rate equations and boundary conditions between internal and external oxidation in silicon containing steels. Mater. Trans. 2010, 51, 482–487. [Google Scholar] [CrossRef]
  29. Wang, B.; Wang, S.; Liu, B.; Zhu, Q.; Li, X. Oxide film prepared by selective oxidation of stainless steel and anti-coking behavior during n-hexane thermal cracking. Surf. Coat. Technol. 2019, 378, 1249522. [Google Scholar] [CrossRef]
  30. Tunthawiroon, P.; Li, Y.; Chiba, A. Influences of alloyed Si on the corrosion resistance of Co–Cr–Mo alloy to molten Al by iso-thermal oxidation in air. Corros. Sci. 2015, 100, 428–434. [Google Scholar] [CrossRef]
  31. Feng, S.; Dai, H.; Sun, X.; Jiang, K.; Qiu, Z.; Chen, X.; Chen, G. New insight of the enhanced oxidation resistance of T91 steel in 450 °C liquid lead-bismuth eutectic by adding Al and Si element. J. Mater. Sci. Technol. 2025, 204, 29–46. [Google Scholar] [CrossRef]
  32. Zhang, L.; Yan, W.; Shi, Q.; Li, Y.; Shan, Y.; Yang, K. Silicon enhances high temperature oxidation resistance of SIMP steel at 700 °C. Corros. Sci. 2020, 167, 108519. [Google Scholar] [CrossRef]
  33. Geng, D.; Yu, H.; Yuan, X.; Kondo, S.; Miyazawa, J.; Kasada, R. Effects of Cr and Si addition on the high-temperature oxidation resistance in high-Mn alumina-forming oxide dispersion strengthened austenitic steels. Nucl. Mater. Energy 2024, 38, 101572. [Google Scholar] [CrossRef]
  34. Huntz, A.M.; Bague, V.; Beauplé, G.; Haut, C.; Sévérac, C.; Lecour, P.; Longaygue, X.; Ropital, F. Effect of silicon on the oxidation resistance of 9% Cr steels. Appl. Surf. Sci. 2003, 207, 255–275. [Google Scholar] [CrossRef]
  35. Li, Z.; Wang, L.; Wang, Z.; Wang, J.; Xu, W. Role of Si in optimizing the oxidation behavior of Cr-Si alloyed press-hardened steels during hot stamping. Mater. Charact. 2025, 222, 114842. [Google Scholar] [CrossRef]
  36. Jian, P.; Jian, L.; Bing, H.; Xie, G. Oxidation kinetics and phase evolution of a Fe–16Cr alloy in simulated SOFC cathode atmosphere. J. Power Sources 2006, 158, 354–360. [Google Scholar] [CrossRef]
  37. Wang, J.; Qiao, Y.; Dong, N.; Fang, X.; Quan, X.; Cui, Y.; Han, P. The influence of temperature on the oxidation mechanism in air of hr3c and aluminum-containing 22Cr–25Ni austenitic stainless steels. Oxid. Met. 2018, 89, 713–730. [Google Scholar] [CrossRef]
  38. Wang, Y.-F.; Li, J.-S.; Xu, W.; Wang, X.-Z. Oxidation and dissolution behavior of FeCrNiAl based high entropy alloy and alumina-forming austenitic steel exposed to lead-bismuth eutectic (LBE). Corros. Sci. 2024, 227, 111693. [Google Scholar] [CrossRef]
  39. Cao, X.; Zhang, Y.; Rong, L.; Yan, D. Effect of mn on the growth behavior of pre-oxidized film on the heat-resistant steel surface. High Temp. Corr. Mater. 2024, 101, 729–754. [Google Scholar] [CrossRef]
  40. Wagner, C. Reaktionstypen bei der oxydation von legierungen. Z. Elektrochem. 1959, 63, 772–782. [Google Scholar] [CrossRef]
  41. Lobnig, R.; Schmidt, H.; Hennesen, K.; Grabke, H. Diffusion of cations in chromia layers grown on iron-base alloys. Oxid. Met. 1992, 37, 81–93. [Google Scholar] [CrossRef]
Figure 1. Size of tensile specimen at room temperature.
Figure 1. Size of tensile specimen at room temperature.
Coatings 15 00602 g001
Figure 2. Schematic of pre-oxidation test device.
Figure 2. Schematic of pre-oxidation test device.
Coatings 15 00602 g002
Figure 3. Thermodynamic calculation of Fe-Ni-Cr-Al-Si-Mn-C system at 1000 °C: (a) phase diagram and (b) volume fraction of each phase.
Figure 3. Thermodynamic calculation of Fe-Ni-Cr-Al-Si-Mn-C system at 1000 °C: (a) phase diagram and (b) volume fraction of each phase.
Coatings 15 00602 g003
Figure 4. BSE images of the annealed AFA-x Si alloy: (a) 0 Si; (b) 0.5 Si; (c) 1 Si; (d) 1.5 Si.
Figure 4. BSE images of the annealed AFA-x Si alloy: (a) 0 Si; (b) 0.5 Si; (c) 1 Si; (d) 1.5 Si.
Coatings 15 00602 g004
Figure 5. Compositional mapping of AFA-1 Si alloy.
Figure 5. Compositional mapping of AFA-1 Si alloy.
Coatings 15 00602 g005
Figure 6. XRD patterns of AFA-x Si alloys after annealing at 1000 °C.
Figure 6. XRD patterns of AFA-x Si alloys after annealing at 1000 °C.
Coatings 15 00602 g006
Figure 7. Mechanical properties of AFA-x Si alloys: (a) stress–strain curve at room temperature and (b) relationships between tensile strength, elongation, and hardness and Si content.
Figure 7. Mechanical properties of AFA-x Si alloys: (a) stress–strain curve at room temperature and (b) relationships between tensile strength, elongation, and hardness and Si content.
Coatings 15 00602 g007
Figure 8. The secondary electron images (SEI) of the tensile fracture morphology of the AFA-x Si alloys at room temperature: (a) 0 Si; (b) 0.5 Si; (c) 1 S; (d) 1.5 Si.
Figure 8. The secondary electron images (SEI) of the tensile fracture morphology of the AFA-x Si alloys at room temperature: (a) 0 Si; (b) 0.5 Si; (c) 1 S; (d) 1.5 Si.
Coatings 15 00602 g008
Figure 9. GIXRD patterns of AFA-x Si alloy oxidized for 10 h at 1100 °C under low-oxygen environment.
Figure 9. GIXRD patterns of AFA-x Si alloy oxidized for 10 h at 1100 °C under low-oxygen environment.
Coatings 15 00602 g009
Figure 10. Microstructure of AFA-x Si alloy oxidized at 1100 °C and low O2 partial pressure for 10 h: (ad) SEIs of surface and (eh) cross-sectional images of typical areas, as well as EDS elemental mappings and line scan analyses for the regions in (eh).
Figure 10. Microstructure of AFA-x Si alloy oxidized at 1100 °C and low O2 partial pressure for 10 h: (ad) SEIs of surface and (eh) cross-sectional images of typical areas, as well as EDS elemental mappings and line scan analyses for the regions in (eh).
Coatings 15 00602 g010
Figure 11. Oxidation phase diagram of AFA-x Si alloys at 1100 °C.
Figure 11. Oxidation phase diagram of AFA-x Si alloys at 1100 °C.
Coatings 15 00602 g011
Figure 12. Schematic diagram of oxidation mechanism of AFA-x Si alloys.
Figure 12. Schematic diagram of oxidation mechanism of AFA-x Si alloys.
Coatings 15 00602 g012
Table 1. Determined composition of designed alloys (wt.%).
Table 1. Determined composition of designed alloys (wt.%).
SampleFeNiCrAlMnSiC
AFA-0 Si48.625.120.84.51-*
AFA-0.5 Si48.825.420.14.40.80.5*
AFA-1 Si48.525.219.84.50.91.1*
AFA-1.5 Si46.925.620.44.511.6*
* No data available.
Table 2. Oxidation experimental parameters.
Table 2. Oxidation experimental parameters.
Parameter NameParameter Value
Temperature1100 °C
Time10 h
Atmosphere(0.15%~0.25%) H2O + 96% Ar + 4% H2
Dew point−13 °C~−17 °C
Oxygen pressure10−18~10−16 bar
Table 3. The compositional makeup of each phase in Figure 4 (at.%).
Table 3. The compositional makeup of each phase in Figure 4 (at.%).
SamplePhaseFeCrNiAlMnSi
AFA-0 SiFCC48.621.3236.20.90
B2-NiAl17.68.138.935.30.10
Cr-rich Phase14.162.515.76.710
AFA-0.5 SiFCC48.621.122.76.110.5
B2-NiAl22.611.433.631.20.50.7
Cr-rich Phase15.868.210.64.11.10.2
AFA-1 SiFCC48.421.122.26.11.11.1
B2-NiAl22.313.135.528.70.10.3
Cr-rich Phase10.767.417.13.51.10.2
AFA-1.5 SiFCC48.620.82261.11.5
B2-NiAl22.81235.828.90.10.4
Cr-rich Phase15.564.910.27.91.20.3
Table 4. The compositional makeup of typical points in Figure 10 (at.%).
Table 4. The compositional makeup of typical points in Figure 10 (at.%).
NumberOAlSiCrMnFeNi
159.50.10.230.16.33.30.5
256.931.90.23.90.24.62.3
356.50.20.227.79.83.91.7
451.134.60.14.70.26.72.6
557.20.30.227.29.53.91.7
646.831.90.25.60.310.64.6
758.20.10.127.38.34.91.1
849.333.60.34.10.18.64.0
Disclaimer/Publisher’s Note: The statements, opinions and data contained in all publications are solely those of the individual author(s) and contributor(s) and not of MDPI and/or the editor(s). MDPI and/or the editor(s) disclaim responsibility for any injury to people or property resulting from any ideas, methods, instructions or products referred to in the content.

Share and Cite

MDPI and ACS Style

Jia, Q.; Jiang, X.; Wu, C.; Chen, J.; Zhu, X.; Liu, Y.; Su, X. Effect of Si on Mechanical Properties and Oxide Film Formation of AFA Alloy at Low Oxygen Pressure. Coatings 2025, 15, 602. https://doi.org/10.3390/coatings15050602

AMA Style

Jia Q, Jiang X, Wu C, Chen J, Zhu X, Liu Y, Su X. Effect of Si on Mechanical Properties and Oxide Film Formation of AFA Alloy at Low Oxygen Pressure. Coatings. 2025; 15(5):602. https://doi.org/10.3390/coatings15050602

Chicago/Turabian Style

Jia, Qijun, Xiaoqiang Jiang, Changjun Wu, Junxiu Chen, Xiangying Zhu, Ya Liu, and Xuping Su. 2025. "Effect of Si on Mechanical Properties and Oxide Film Formation of AFA Alloy at Low Oxygen Pressure" Coatings 15, no. 5: 602. https://doi.org/10.3390/coatings15050602

APA Style

Jia, Q., Jiang, X., Wu, C., Chen, J., Zhu, X., Liu, Y., & Su, X. (2025). Effect of Si on Mechanical Properties and Oxide Film Formation of AFA Alloy at Low Oxygen Pressure. Coatings, 15(5), 602. https://doi.org/10.3390/coatings15050602

Note that from the first issue of 2016, this journal uses article numbers instead of page numbers. See further details here.

Article Metrics

Back to TopTop