Degradation of 4-Tert-Butylphenol in Water Using Mono-Doped (M1: Mo, W) and Co-Doped (M2-M1: Cu, Co, Zn) Titania Catalysts
Abstract
:1. Introduction
2. Materials and Methods
2.1. Materials
2.2. Preparation of Photocatalysts
2.3. Characterization
2.4. Experimental Procedure
3. Results and Discussion
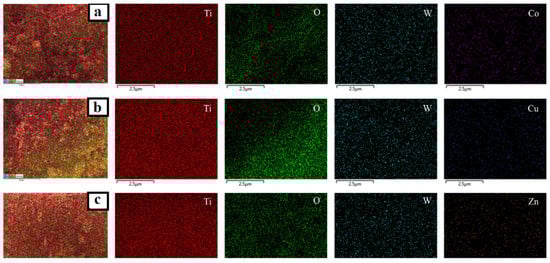
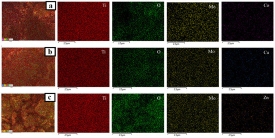
3.1. Characterization of Photocatalysts
3.2. Adsorption and Photocatalytic Degradation of 4-t-BP
4. Conclusions
Author Contributions
Funding
Informed Consent Statement
Data Availability Statement
Acknowledgments
Conflicts of Interest
References
- Saravanan, A.; Kumar, P.S.; Jeevanantham, S.; Anubha, M.; Jayashree, S. Degradation of Toxic Agrochemicals and Pharmaceutical Pollutants: Effective and Alternative Approaches toward Photocatalysis. Environ. Pollut. 2022, 298, 118844. [Google Scholar] [CrossRef] [PubMed]
- Su, C.; Cui, Y.; Liu, D.; Zhang, H.; Baninla, Y. Endocrine Disrupting Compounds, Pharmaceuticals and Personal Care Products in the Aquatic Environment of China: Which Chemicals Are the Prioritized Ones? Sci. Total Environ. 2020, 720, 137652. [Google Scholar] [CrossRef] [PubMed]
- Jinrong, L.I.; Ruixin, G.U.O.; Yanhua, L.I.U.; Jianqiu, C. Occurrence and risk assessment of five typical environmental endocrine disruptors. Environ. Chem. 2020, 10, 2637–2653. [Google Scholar] [CrossRef]
- Bilal, M.; Barceló, D.; Iqbal, H.M.N. Occurrence, Environmental Fate, Ecological Issues, and Redefining of Endocrine Disruptive Estrogens in Water Resources. Sci. Total Environ. 2021, 800, 149635. [Google Scholar] [CrossRef]
- Toyama, T.; Momotani, N.; Ogata, Y.; Miyamori, Y.; Inoue, D.; Sei, K.; Mori, K.; Kikuchi, S.; Ike, M. Isolation and Characterization of 4-Tert-Butylphenol-Utilizing Sphingobium Fuliginis Strains from Phragmites Australis Rhizosphere Sediment. Appl. Environ. Microbiol. 2010, 76, 6733–6740. [Google Scholar] [CrossRef] [Green Version]
- Villarreal-Morales, R.; Hinojosa-Reyes, L.; Hernández-Ramírez, A.; Ruíz-Ruíz, E.; Treviño, M.d.L.; Guzmán-Mar, J.L. Automated SPE-HPLC-UV Methodology for the on-Line Determination of Plasticisers in Wastewater Samples. Int. J. Environ. Anal. Chem. 2020, 102, 1683–1696. [Google Scholar] [CrossRef]
- Bell, A.M.; Keltsch, N.; Schweyen, P.; Reifferscheid, G.; Ternes, T.; Buchinger, S. UV Aged Epoxy Coatings–Ecotoxicological Effects and Released Compounds. Water Res. X 2021, 12, 100105. [Google Scholar] [CrossRef]
- Sun, H.; Xu, X.-L.; Qu, J.-H.; Hong, X.; Wang, Y.-B.; Xu, L.-C.; Wang, X.-R. 4-Alkylphenols and Related Chemicals Show Similar Effect on the Function of Human and Rat Estrogen Receptor α in Reporter Gene Assay. Chemosphere 2008, 71, 582–588. [Google Scholar] [CrossRef]
- Liu, Z.-H.; Yin, H.; Dang, Z. Do Estrogenic Compounds in Drinking Water Migrating from Plastic Pipe Distribution System Pose Adverse Effects to Human? An Analysis of Scientific Literature. Environ. Sci. Pollut. Res. Int. 2017, 24, 2126–2134. [Google Scholar] [CrossRef]
- Zheng, Q.; Wu, N.; Qu, R.; Albasher, G.; Cao, W.; Li, B.; Alsultan, N.; Wang, Z. Kinetics and Reaction Pathways for the Transformation of 4-Tert-Butylphenol by Ferrate(VI). J. Hazard. Mater. 2021, 401, 123405. [Google Scholar] [CrossRef]
- Ogata, Y.; Toyama, T.; Yu, N.; Wang, X.; Sei, K.; Ike, M. Occurrence of 4-Tert-Butylphenol (4-t-BP) Biodegradation in an Aquatic Sample Caused by the Presence of Spirodela Polyrrhiza and Isolation of a 4-t-BP-Utilizing Bacterium. Biodegradation 2013, 24, 191–202. [Google Scholar] [CrossRef] [PubMed]
- Barse, A.V.; Chakrabarti, T.; Ghosh, T.; Pal, A.; Jadhao, S. One-Tenth Dose of LC50 of 4-Tert-Butylphenol Causes Endocrine Disruption and Metabolic Changes in Cyprinus Carpio. Pestic. Biochem. Physiol. 2006, 86, 172–179. [Google Scholar] [CrossRef]
- He, G.; Xing, C.; Xiao, X.; Hu, R.; Zuo, X.; Nan, J. Facile Synthesis of Flower-like Bi12O17Cl2/β-Bi2O3 Composites with Enhanced Visible Light Photocatalytic Performance for the Degradation of 4-Tert-Butylphenol. Appl. Catal. B Environ. 2015, 170, 1–9. [Google Scholar] [CrossRef]
- Wu, Y.; Zhu, X.; Chen, H.; Dong, W.; Zhao, J. Photodegradation of 4-Tert-Butylphenol in Aqueous Solution by UV-C, UV/H2O2 and UV/S2O82− System. J. Environ. Sci. Health Part A 2016, 51, 440–445. [Google Scholar] [CrossRef]
- Makhatova, A.; Ulykbanova, G.; Sadyk, S.; Sarsenbay, K.; Atabaev, T.; Inglezakis, V.; Poulopoulos, S. Degradation and Mineralization of 4-Tert-Butylphenol in Water Using Fe-Doped TiO2 Catalysts. Sci. Rep. 2019, 9, 19284. [Google Scholar] [CrossRef]
- Kanafin, Y.N.; Makhatova, A.; Zarikas, V.; Arkhangelsky, E.; Poulopoulos, S.G. Photo-Fenton-Like Treatment of Municipal Wastewater. Catalysts 2021, 11, 1206. [Google Scholar] [CrossRef]
- Mergenbayeva, S.; Ashir, A.; Yergali, B.; Ulykbanova, G.; Poulopoulos, S. Modified TiO2 for Photocatalytic Removal of Organic Pollutants in Water. IOP Conf. Ser. Earth Environ. Sci. 2021, 899, 012068. [Google Scholar] [CrossRef]
- Kilic, M.Y.; Abdelraheem, W.H.; He, X.; Kestioglu, K.; Dionysiou, D.D. Photochemical Treatment of Tyrosol, a Model Phenolic Compound Present in Olive Mill Wastewater, by Hydroxyl and Sulfate Radical-Based Advanced Oxidation Processes (AOPs). J. Hazard. Mater. 2019, 367, 734–742. [Google Scholar] [CrossRef]
- Mei, Q.; Cao, H.; Han, D.; Li, M.; Yao, S.; Xie, J.; Zhan, J.; Zhang, Q.; Wang, W.; He, M. Theoretical Insight into the Degradation of P-Nitrophenol by OH Radicals Synergized with Other Active Oxidants in Aqueous Solution. J. Hazard. Mater. 2020, 389, 121901. [Google Scholar] [CrossRef]
- Kanafin, Y.; Satayeva, A.; Arkhangelsky, E.; Poulopoulos, S. Treatment of a Biological Effluent Containing Metronidazole. Chem. Eng. Trans. 2021, 86, 595–600. [Google Scholar] [CrossRef]
- Cheng, Y.; He, L.; Xia, G.; Ren, C.; Wang, Z. Nanostructured G-C3N4/AgI Composites Assembled by AgI Nanoparticles-Decorated g-C3N4 Nanosheets for Effective and Mild Photooxidation Reaction. New J. Chem. 2019, 43, 14841–14852. [Google Scholar] [CrossRef]
- Muñoz-Batista, M.J.; Luque, R. Heterogeneous Photocatalysis. ChemEngineering 2021, 5, 26. [Google Scholar] [CrossRef]
- Shaban, M.; Ashraf, A.M.; Abukhadra, M.R. TiO2 Nanoribbons/Carbon Nanotubes Composite with Enhanced Photocatalytic Activity. Fabrication, Characterization, and Application. Sci. Rep. 2018, 8, 781. [Google Scholar] [CrossRef] [PubMed] [Green Version]
- Govardhana Reddy, P.V.; Rajendra Prasad Reddy, B.; Venkata Krishna Reddy, M.; Raghava Reddy, K.; Shetti, N.P.; Saleh, T.A.; Aminabhavi, T.M. A Review on Multicomponent Reactions Catalysed by Zero-Dimensional/One-Dimensional Titanium Dioxide (TiO2) Nanomaterials: Promising Green Methodologies in Organic Chemistry. J. Environ. Manag. 2021, 279, 111603. [Google Scholar] [CrossRef] [PubMed]
- Liu, H.; Wang, X.; Wu, D.; Ji, S. Morphology-Controlled Synthesis of Microencapsulated Phase Change Materials with TiO2 Shell for Thermal Energy Harvesting and Temperature Regulation. Energy 2019, 172, 599–617. [Google Scholar] [CrossRef]
- Singh, M.K.; Mehata, M.S. Phase-Dependent Optical and Photocatalytic Performance of Synthesized Titanium Dioxide (TiO2) Nanoparticles. Optik 2019, 193, 163011. [Google Scholar] [CrossRef]
- Ioannidou, E.; Frontistis, Z.; Antonopoulou, M.; Venieri, D.; Konstantinou, I.; Kondarides, D.I.; Mantzavinos, D. Solar Photocatalytic Degradation of Sulfamethoxazole over Tungsten–Modified TiO2. Chem. Eng. J. 2017, 318, 143–152. [Google Scholar] [CrossRef]
- Petala, A.; Frontistis, Z.; Antonopoulou, M.; Konstantinou, I.; Kondarides, D.I.; Mantzavinos, D. Kinetics of Ethyl Paraben Degradation by Simulated Solar Radiation in the Presence of N-Doped TiO2 Catalysts. Water Res. 2015, 81, 157–166. [Google Scholar] [CrossRef]
- Gomathi Devi, L.; Narasimha Murthy, B.; Girish Kumar, S. Heterogeneous Photo Catalytic Degradation of Anionic and Cationic Dyes over TiO2 and TiO2 Doped with Mo6+ Ions under Solar Light: Correlation of Dye Structure and Its Adsorptive Tendency on the Degradation Rate. Chemosphere 2009, 76, 1163–1166. [Google Scholar] [CrossRef]
- Devi, L.G.; Kumar, S.G.; Murthy, B.N.; Kottam, N. Influence of Mn2+ and Mo6+ Dopants on the Phase Transformations of TiO2 Lattice and Its Photo Catalytic Activity under Solar Illumination. Catal. Commun. 2009, 10, 794–798. [Google Scholar] [CrossRef]
- Liu, X.; Shi, Y.; Dong, Y.; Li, H.; Xia, Y.; Wang, H. A Facile Solvothermal Approach for the Synthesis of Novel W-Doped TiO2 Nanoparticles/Reduced Graphene Oxide Composites with Enhanced Photodegradation Performance under Visible Light Irradiation. New J. Chem. 2017, 41, 13382–13390. [Google Scholar] [CrossRef]
- Khlyustova, A.; Sirotkin, N.; Kusova, T.; Kraev, A.; Titov, V.; Agafonov, A. Doped TiO2: Effect of Doping Element on the Photocatalytic Activity. Mater. Adv. 2020, 1, 1193–1201. [Google Scholar] [CrossRef]
- Du, Y.K.; Gan, Y.Q.; Yang, P.; Zhao, F.; Hua, N.P.; Jiang, L. Improvement in the Heat-Induced Hydrophilicity of TiO2 Thin Films by Doping Mo(VI) Ions. Thin Solid Film. 2005, 491, 133–136. [Google Scholar] [CrossRef]
- Grabowska, E.; Sobczak, J.W.; Gazda, M.; Zaleska, A. Surface Properties and Visible Light Activity of W-TiO2 Photocatalysts Prepared by Surface Impregnation and Sol–Gel Method. Appl. Catal. B Environ. 2012, 117–118, 351–359. [Google Scholar] [CrossRef]
- Avilés-García, O.; Espino-Valencia, J.; Romero-Romero, R.; Rico-Cerda, J.L.; Arroyo-Albiter, M.; Solís-Casados, D.A.; Natividad-Rangel, R. Enhanced Photocatalytic Activity of Titania by Co-Doping with Mo and W. Catalysts 2018, 8, 631. [Google Scholar] [CrossRef] [Green Version]
- Chen, Q.; Ji, F.; Liu, T.; Yan, P.; Guan, W.; Xu, X. Synergistic Effect of Bifunctional Co–TiO2 Catalyst on Degradation of Rhodamine B: Fenton-Photo Hybrid Process. Chem. Eng. J. 2013, 229, 57–65. [Google Scholar] [CrossRef]
- Xie, X.; Li, S.; Zhang, H.; Wang, Z.; Huang, H. Promoting Charge Separation of Biochar-Based Zn-TiO2/PBC in the Presence of ZnO for Efficient Sulfamethoxazole Photodegradation under Visible Light Irradiation. Sci. Total Environ. 2019, 659, 529–539. [Google Scholar] [CrossRef]
- Guan, H.; Zhou, X.; Wen, W.; Jin, B.; Li, J.; Zhang, S. Efficient and Robust Cu/TiO2 Nanorod Photocatalysts for Simultaneous Removal of Cr(VI) and Methylene Blue under Solar Light. J. Chin. Chem. Soc. 2018, 65, 706–713. [Google Scholar] [CrossRef]
- Patterson, A.L. The Scherrer Formula for X-Ray Particle Size Determination. Phys. Rev. 1939, 56, 978–982. [Google Scholar] [CrossRef]
- Panagiotou, G.D.; Petsi, T.; Bourikas, K.; Kalampounias, A.G.; Boghosian, S.; Kordulis, C.; Lycourghiotis, A. Interfacial Impregnation Chemistry in the Synthesis of Molybdenum Catalysts Supported on Titania. J. Phys. Chem. C 2010, 114, 11868–11879. [Google Scholar] [CrossRef]
- Panagiotou, G.D.; Petsi, T.; Bourikas, K.; Kordulis, C.; Lycourghiotis, A. The Interfacial Chemistry of the Impregnation Step Involved in the Preparation of Tungsten(VI) Supported Titania Catalysts. J. Catal. 2009, 262, 266–279. [Google Scholar] [CrossRef]
- Loan, T.T.; Long, N.N. Effect of Co2+ Doping on Raman Spectra and the Phase Transformation of TiO2:Co2+ Nanowires. J. Phys. Chem. Solids 2019, 124, 336–342. [Google Scholar] [CrossRef]
- Loan, T.T.; Huong, V.H.; Tham, V.T.; Long, N.N. Effect of Zinc Doping on the Bandgap and Photoluminescence of Zn2+-Doped TiO2 Nanowires. Phys. B Condens. Matter 2018, 532, 210–215. [Google Scholar] [CrossRef]
- De Los Santos, D.M.; Chahid, S.; Alcántara, R.; Navas, J.; Aguilar, T.; Gallardo, J.J.; Gómez-Villarejo, R.; Carrillo-Berdugo, I.; Fernández-Lorenzo, C. MoS2/Cu/TiO2 Nanoparticles: Synthesis, Characterization and Effect on Photocatalytic Decomposition of Methylene Blue in Water under Visible Light. Water Sci. Technol. 2017, 2017, 184–193. [Google Scholar] [CrossRef] [PubMed]
- Chahid, S.; Alcantara, R.; los Santos, D.M. Isotherm Analysis for Removal of Organic Pollutants Using Synthesized Mo/Cu/Co-Doped TiO2 Nanostrucrured. In Proceedings of the 2019 5th International Conference on Optimization and Applications (ICOA), Kenitra, Morocco, 25–26 April 2019; pp. 1–9. [Google Scholar] [CrossRef]
- Kumaravel, V.; Rhatigan, S.; Mathew, S.; Michel, M.C.; Bartlett, J.; Nolan, M.; Hinder, S.J.; Gascó, A.; Ruiz-Palomar, C.; Hermosilla, D.; et al. Mo Doped TiO2: Impact on Oxygen Vacancies, Anatase Phase Stability and Photocatalytic Activity. J. Phys. Mater. 2020, 3, 025008. [Google Scholar] [CrossRef]
- Bashiri, R.; Mohamed, N.M.; Kait, C.F.; Sufian, S. Hydrogen Production from Water Photosplitting Using Cu/TiO2 Nanoparticles: Effect of Hydrolysis Rate and Reaction Medium. Int. J. Hydrog. Energy 2015, 40, 6021–6037. [Google Scholar] [CrossRef]
- Popovic, Z.; Dohčević-Mitrović, Z.; Scepanovic, M.; Grujić-Brojčin, M.; Aškrabić, S. Raman Scattering on Nanomaterials and Nanostructures. Ann. Phys. 2011, 523, 62–74. [Google Scholar] [CrossRef]
- Bhattacharyya, K.; Majeed, J.; Dey, K.K.; Ayyub, P.; Tyagi, A.K.; Bharadwaj, S.R. Effect of Mo-Incorporation in the TiO2 Lattice: A Mechanistic Basis for Photocatalytic Dye Degradation. J. Phys. Chem. C 2014, 118, 15946–15962. [Google Scholar] [CrossRef]
- Esposito, S.; Ditaranto, N.; Dell’Agli, G.; Nasi, R.; Rivolo, P.; Bonelli, B. Effective Inclusion of Sizable Amounts of Mo within TiO2 Nanoparticles Can Be Obtained by Reverse Micelle Sol–Gel Synthesis. ACS Omega 2021, 6, 5379–5388. [Google Scholar] [CrossRef]
- Cui, M.; Pan, S.; Tang, Z.; Chen, X.; Qiao, X.; Xu, Q. Physiochemical Properties of N-n Heterostructured TiO2/Mo-TiO2 Composites and Their Photocatalytic Degradation of Gaseous Toluene. Chem. Speciat. Bioavailab. 2017, 29, 60–69. [Google Scholar] [CrossRef] [Green Version]
- Ataloglou, T.; Bourikas, K.; Vakros, J.; Kordulis, C.; Lycourghiotis, A. Kinetics of Adsorption of the Cobalt Ions on the “Electrolytic Solution/γ-Alumina” Interface. J. Phys. Chem. B 2005, 109, 4599–4607. [Google Scholar] [CrossRef] [PubMed]
- Stamatis, N.; Goundani, K.; Vakros, J.; Bourikas, K.; Kordulis, C. Influence of Composition and Preparation Method on the Activity of MnOx/Al2O3 Catalysts for the Reduction of Benzaldehyde with Ethanol. Appl. Catal. A Gen. 2007, 325, 322–327. [Google Scholar] [CrossRef]
- Vakros, J. The Influence of Preparation Method on the Physicochemical Characteristics and Catalytic Activity of Co/TiO2 Catalysts. Catalysts 2020, 10, 88. [Google Scholar] [CrossRef] [Green Version]
- Palanivel, M.; Lokeshkumar, E.; Amruthaluru, S.K.; Govardhanan, B.; Mahalingam, A.; Rameshbabu, N. Visible Light Photocatalytic Activity of Metal (Mo/V/W) Doped Porous TiO2 Coating Fabricated on Cp-Ti by Plasma Electrolytic Oxidation. J. Alloy. Compd. 2020, 825, 154092. [Google Scholar] [CrossRef]
- Tsatsos, S.; Vakros, J.; Ladas, S.; Verykios, X.E.; Kyriakou, G. The Interplay between Acid-Base Properties and Fermi Level Pinning of a Nano Dispersed Tungsten Oxide-Titania Catalytic System. J. Colloid Interface Sci. 2022, 614, 666–676. [Google Scholar] [CrossRef]
- Jada, N.; Jothiramalingam, S.; Sakthivel, R.; Sethi, D.; Mohapatra, P. Synergistic Effect of MoO3/TiO2 towards Discrete and Simultaneous Photocatalytic Degradation of E. Coli and Methylene Blue in Water. Bull. Mater. Sci. 2021, 44, 167. [Google Scholar] [CrossRef]
- Di Paola, A.; Marcì, G.; Palmisano, L.; Schiavello, M.; Uosaki, K.; Ikeda, S.; Ohtani, B. Preparation of Polycrystalline TiO2 Photocatalysts Impregnated with Various Transition Metal Ions: Characterization and Photocatalytic Activity for the Degradation of 4-Nitrophenol. J. Phys. Chem. B 2002, 106, 637–645. [Google Scholar] [CrossRef] [Green Version]
- Yang, Y.; Li, X.; Chen, J.; Wang, L. Effect of Doping Mode on the Photocatalytic Activities of Mo/TiO2. J. Photochem. Photobiol. A Chem. 2004, 163, 517–522. [Google Scholar] [CrossRef]
- Mergenbayeva, S.; Sh. Atabaev, T.; Poulopoulos, S.G. Ti2O3/TiO2-Assisted Solar Photocatalytic Degradation of 4-Tert-Butylphenol in Water. Catalysts 2021, 11, 1379. [Google Scholar] [CrossRef]
- Xiao, X.; Xing, C.; He, G.; Zuo, X.; Nan, J.; Wang, L. Solvothermal Synthesis of Novel Hierarchical Bi4O5I2 Nanoflakes with Highly Visible Light Photocatalytic Performance for the Degradation of 4-Tert-Butylphenol. Appl. Catal. B Environ. 2014, 148–149, 154–163. [Google Scholar] [CrossRef]
- Mergenbayeva, S.; Poulopoulos, S.G. Comparative Study on UV-AOPs for Efficient Continuous Flow Removal of 4-Tert-Butylphenol. Processes 2022, 10, 8. [Google Scholar] [CrossRef]
























| No | Photocatalyst | Mean (Å) | % Crystallinity |
|---|---|---|---|
| 1 | TiO2 | 210 | 77.2 |
| 2 | Mo-TiO2 | 199 | 81.2 |
| 3 | Co-Mo-TiO2 | 243 | 82.1 |
| 4 | Cu-Mo-TiO2 | 251 | 77.4 |
| 5 | Zn-Mo-TiO2 | 240 | 77.7 |
| 6 | W-TiO2 | 251 | 77.4 |
| 7 | Co-W-TiO2 | 250 | 72.2 |
| 8 | Cu-W-TiO2 | 241 | 73.1 |
| 9 | Zn-W-TiO2 | 224 | 68.2 |
| Photocatalysts | Catalyst Concentration (mg/L) | 4-t-BP Concentration (mg/L) | Degradation Efficiency (%) | Treatment Time (min) | Light Source and Operation Mode | Reference |
|---|---|---|---|---|---|---|
| Cu-Mo-TiO2 | 100 | 15 | 70 | 150 | Solar, batch | Present work |
| Cu-Mo-TiO2 | 100 | 15 | 100 | 60 | UV (365 nm), batch | Present work |
| Ti2O3/TiO2-650 | 200 | 5 | 89.8 | 150 | Solar, batch | [60] |
| Bi4O5I2 | 1000 | 60 | 100 | 90 | Visible, batch | [61] |
| Bi12O17Cl2/β-Bi2O3 | 1000 | 60 | 100 | 120 | Visible, batch | [13] |
| 0.5% Fe/TiO2 | 1000 | 30 | 93 | 60 | UV (254 nm) | [15] |
| 4% Fe/TiO2 | 200 | 30 | 87 | 60 | UV (254 nm), continuous flow | [62] |
Publisher’s Note: MDPI stays neutral with regard to jurisdictional claims in published maps and institutional affiliations. |
© 2022 by the authors. Licensee MDPI, Basel, Switzerland. This article is an open access article distributed under the terms and conditions of the Creative Commons Attribution (CC BY) license (https://creativecommons.org/licenses/by/4.0/).
Share and Cite
Mergenbayeva, S.; Kumarov, A.; Atabaev, T.S.; Hapeshi, E.; Vakros, J.; Mantzavinos, D.; Poulopoulos, S.G. Degradation of 4-Tert-Butylphenol in Water Using Mono-Doped (M1: Mo, W) and Co-Doped (M2-M1: Cu, Co, Zn) Titania Catalysts. Nanomaterials 2022, 12, 2326. https://doi.org/10.3390/nano12142326
Mergenbayeva S, Kumarov A, Atabaev TS, Hapeshi E, Vakros J, Mantzavinos D, Poulopoulos SG. Degradation of 4-Tert-Butylphenol in Water Using Mono-Doped (M1: Mo, W) and Co-Doped (M2-M1: Cu, Co, Zn) Titania Catalysts. Nanomaterials. 2022; 12(14):2326. https://doi.org/10.3390/nano12142326
Chicago/Turabian StyleMergenbayeva, Saule, Alisher Kumarov, Timur Sh. Atabaev, Evroula Hapeshi, John Vakros, Dionissios Mantzavinos, and Stavros G. Poulopoulos. 2022. "Degradation of 4-Tert-Butylphenol in Water Using Mono-Doped (M1: Mo, W) and Co-Doped (M2-M1: Cu, Co, Zn) Titania Catalysts" Nanomaterials 12, no. 14: 2326. https://doi.org/10.3390/nano12142326
APA StyleMergenbayeva, S., Kumarov, A., Atabaev, T. S., Hapeshi, E., Vakros, J., Mantzavinos, D., & Poulopoulos, S. G. (2022). Degradation of 4-Tert-Butylphenol in Water Using Mono-Doped (M1: Mo, W) and Co-Doped (M2-M1: Cu, Co, Zn) Titania Catalysts. Nanomaterials, 12(14), 2326. https://doi.org/10.3390/nano12142326

