Selective Binding and Elution of Aptamers for Pesticides Based on Sol-Gel-Coated Nanoporous Anodized Aluminum Oxide Membrane
Abstract
1. Introduction
2. Materials and Methods
2.1. Sol-Gel Coating on Nanoporous AAO Membrane
2.2. Characterization of Sol-Gel-Coated AAO Membranes
2.3. Pesticide-Specific Aptamer Binding Assay
2.4. Thermoresponsive Aptamer Elution from Sol-Gel Matrix
2.5. AAO Disc-Mounted Pipette Tip-Based Aptamer Binding and Elution
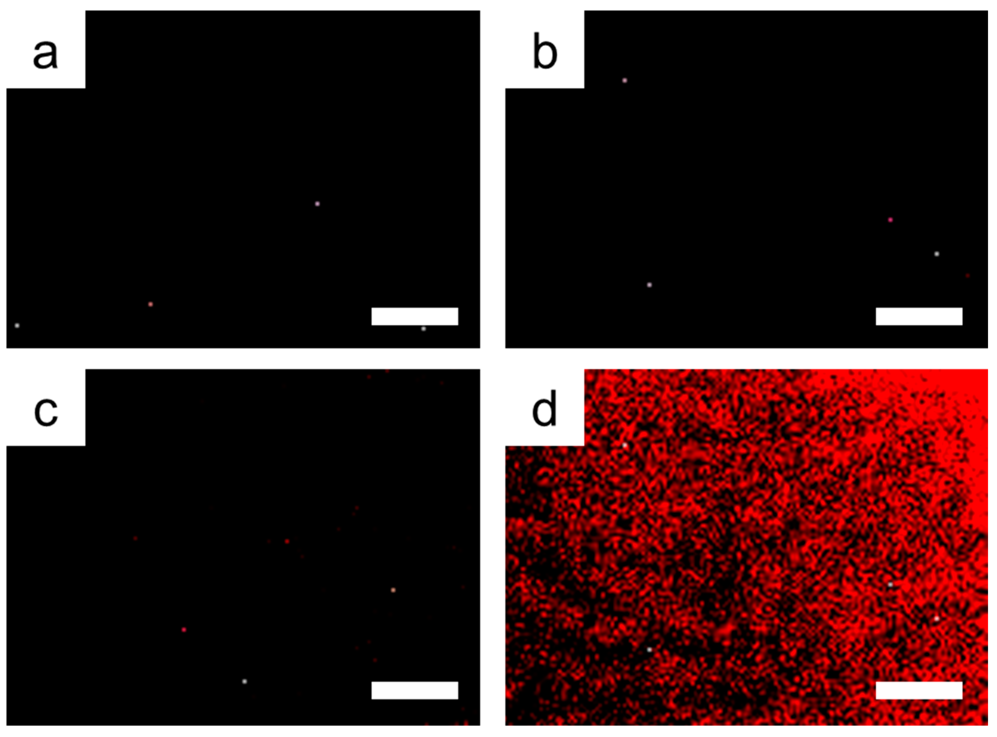
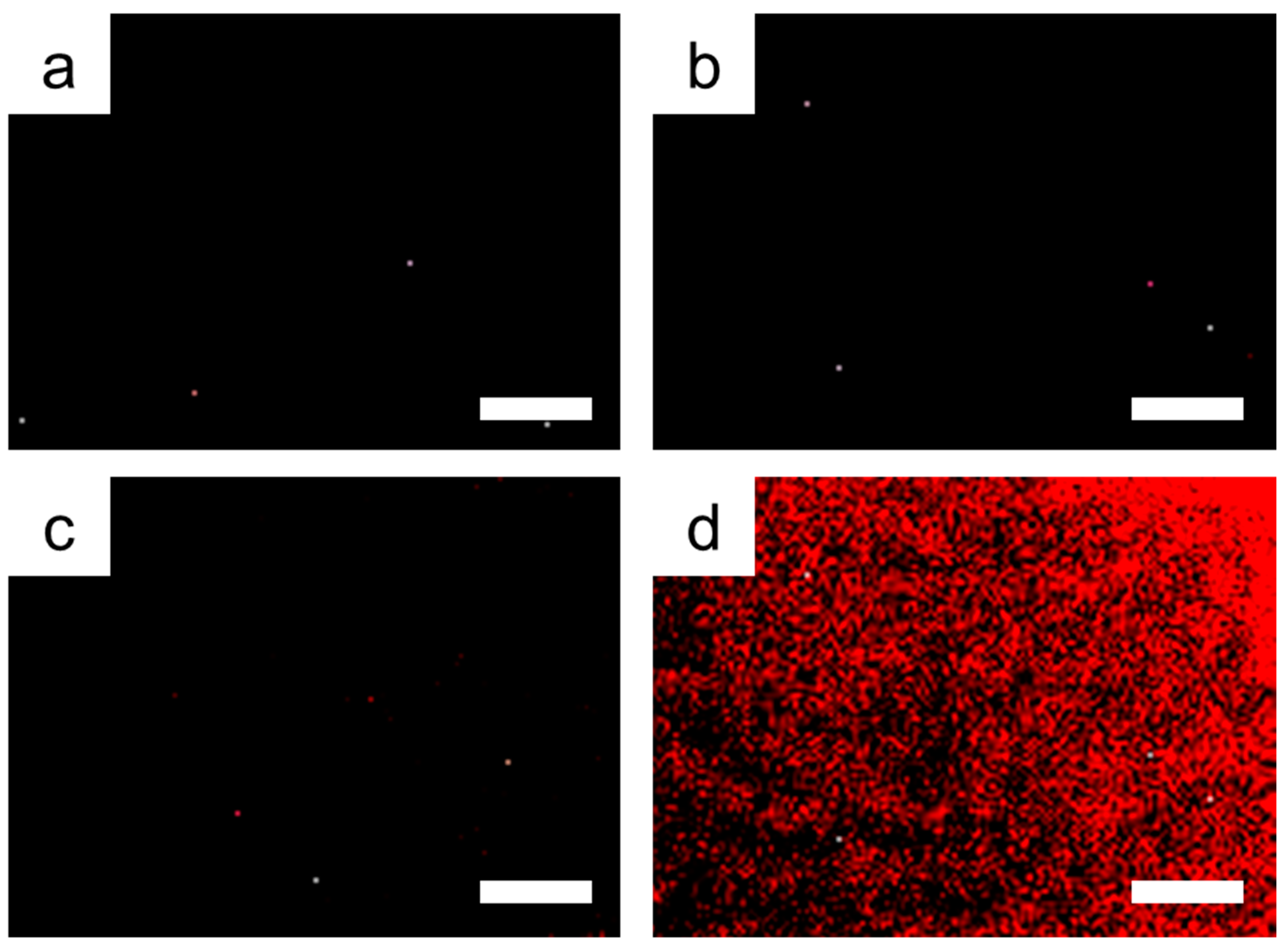
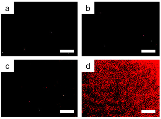
3. Results and Discussion
4. Conclusions
Author Contributions
Funding
Conflicts of Interest
References
- Zhang, W. Global pesticide use: Profile, trend, cost/benefit and more. Proc. Int. Acad. Ecol. Environ. Sci. 2018, 8, 1–27. [Google Scholar]
- Popp, J.; Pető, K.; Nagy, J. Pesticide productivity and food security. A review. Agron. Sustain. Dev. 2013, 33, 243–255. [Google Scholar] [CrossRef]
- Handford, C.E.; Elliott, C.T.; Campbell, K. A review of the global pesticide legislation and the scale of challenge in reaching the global harmonization of food safety standards. Integr. Environ. Asses. 2015, 11, 525–536. [Google Scholar] [CrossRef]
- Lee, H.-K.; Oh, M.-S.; Jeong, J.-A.; Kim, K.-Y.; Lee, S.-B.; Kim, H.-T.; Kang, H.-R.; Son, J.-H.; Lee, Y.-M.; Lee, M.-K. A safety survey on pesticide residues in dried agricultural products. J. Food Hyg. Saf. 2019, 34, 340–347. [Google Scholar] [CrossRef]
- Michel, M.; Buszewski, B. HPLC determination of pesticide residue isolated from food matrices. J. Liq. Chromatogr. Relat. 2002, 25, 2293–2306. [Google Scholar] [CrossRef]
- Aulakh, J.; Malik, A.K.; Kaur, V.; Schmitt-Kopplin, P. A Review on solid phase micro extraction—High performance liquid chromatography (SPME-HPLC) analysis of pesticides. Crit. Rev. Anal. Chem. 2005, 35, 71–85. [Google Scholar] [CrossRef]
- Poole, C.F. Matrix-Induced response enhancement in pesticide residue analysis by gas chromatography. J. Chromatogr. A 2007, 1158, 241–250. [Google Scholar] [CrossRef]
- Ahmadi, F.; Assadi, Y.; Hosseini, S.M.; Rezaee, M. Determination of organophosphorus pesticides in water samples by single drop microextraction and gas chromatography-flame photometric detector. J. Chromatogr. A 2006, 1101, 307–312. [Google Scholar] [CrossRef]
- Lacorte, S.; Fernandez-Alba, A.R. Time of flight mass spectrometry applied to the liquid chromatographic analysis of pesticides in water and food. Mass Spectrom. Rev. 2006, 25, 866–880. [Google Scholar] [CrossRef]
- Lambropoulou, D.A.; Albanis, T.A. Methods of sample preparation for determination of pesticide residues in food matrices by chromatography–mass spectrometry-based techniques: A review. Anal. Bioanal. Chem. 2007, 389, 1663–1683. [Google Scholar] [CrossRef]
- Montiel-León, J.M.; Duy, S.V.; Munoz, G.; Verner, M.-A.; Hendawi, M.Y.; Moya, H.; Amyot, M.; Sauvé, S. Occurrence of pesticides in fruits and vegetables from organic and conventional agriculture by QuEChERS extraction liquid chromatography tandem mass spectrometry. Food Control 2019, 104, 74–82. [Google Scholar] [CrossRef]
- Song, N.-E.; Lee, J.Y.; Mansur, A.R.; Jang, H.W.; Lim, M.-C.; Lee, Y.; Yoo, M.; Nam, T.G. Determination of 60 pesticides in hen eggs using the QuEChERS procedure followed by LC-MS/MS and GC-MS/MS. Food Chem. 2019, 298, 125050. [Google Scholar] [CrossRef] [PubMed]
- Li, H.; Yan, X.; Lu, G.; Su, X. Carbon dot-based bioplatform for dual colorimetric and fluorometric sensing of organophosphate pesticides. Sens. Actuators B Chem. 2018, 260, 563–570. [Google Scholar] [CrossRef]
- Sun, J.; Guo, L.; Bao, Y.; Xie, J. A simple, label-free AuNPs-based colorimetric ultrasensitive detection of nerve agents and highly toxic organophosphate pesticide. Biosens. Bioelectron. 2011, 28, 152–157. [Google Scholar] [CrossRef] [PubMed]
- Bala, R.; Dhingra, S.; Kumar, M.; Bansal, K.; Mittal, S.; Sharma, R.K.; Wangoo, N. Detection of organophosphorus pesticide–malathion in environmental samples using peptide and aptamer based nanoprobes. Chem. Eng. J. 2017, 311, 111–116. [Google Scholar] [CrossRef]
- Zhou, Y.; Huang, Z.; Yang, R.; Liu, J. Selection and screening of DNA aptamers for inorganic nanomaterials. Chem. Eur. J. 2018, 24, 2525–2532. [Google Scholar] [CrossRef]
- Park, J.; Lim, M.-C.; Ryu, H.; Shim, J.; Kim, S.M.; Kim, Y.-R.; Jeon, T.-J. Nanopore based detection of Bacillus thuringiensis HD-73 spores using aptamers and versatile DNA hairpins. Nanoscale 2018, 10, 11955–11961. [Google Scholar] [CrossRef]
- Jiang, Y.; Shi, M.; Liu, Y.; Wan, S.; Cui, C.; Zhang, L.; Tan, W. Aptamer/AuNP biosensor for colorimetric profiling of exosomal proteins. Angew. Chem. Int. Ed. 2017, 56, 11916–11920. [Google Scholar] [CrossRef]
- Ilgu, M.; Nilsen-Hamilton, M. Aptamers in analytics. Analyst 2016, 141, 1551–1568. [Google Scholar] [CrossRef]
- Wang, L.; Wang, R.; Wei, H.; Li, Y. Selection of aptamers against pathogenic bacteria and their diagnostics application. World J. Microb. Biot. 2018, 34, 149. [Google Scholar] [CrossRef]
- Kim, T.-Y.; Lim, J.W.; Lim, M.-C.; Song, N.-E.; Woo, M.-A. Aptamer-Based fluorescent assay for simple and sensitive detection of fipronil in liquid eggs. Biotechnol. Bioprocess Eng. 2020, 25, 246–254. [Google Scholar] [CrossRef]
- Qi, Y.; Chen, Y.; Xiu, F.-R.; Hou, J. An aptamer-based colorimetric sensing of acetamiprid in environmental samples: Convenience, sensitivity and practicability. Sens. Actuators B Chem. 2020, 304, 127359. [Google Scholar] [CrossRef]
- Liu, M.; Khan, A.; Wang, Z.; Liu, Y.; Yang, G.; Deng, Y.; He, N. Aptasensors for pesticide detection. Biosens. Bioelectron. 2019, 130, 174–184. [Google Scholar] [CrossRef] [PubMed]
- Tuerk, C.; Gold, L. Systematic evolution of ligands by exponential enrichment: RNA ligands to bacteriophage T4 DNA polymerase. Science 1990, 249, 505–510. [Google Scholar] [CrossRef] [PubMed]
- Zhu, G.; Ye, M.; Donovan, M.J.; Song, E.; Zhao, Z.; Tan, W. Nucleic acid aptamers: An emerging frontier in cancer therapy. Chem. Comm. 2012, 48, 10472–10480. [Google Scholar] [CrossRef]
- Hong, K.L.; Sooter, L.J. In vitro selection of a single-stranded DNA molecular recognition element against the pesticide Fipronil and sensitive detection in river water. Int. J. Mol. Sci. 2018, 19, 85. [Google Scholar] [CrossRef]
- Jo, M.; Ahn, J.-Y.; Lee, J.; Lee, S.; Hong, S.W.; Yoo, J.-W.; Kang, J.; Dua, P.; Lee, D.-K.; Hong, S. Development of single-stranded DNA aptamers for specific bisphenol A detection. Oligonucleotides 2011, 21, 85–91. [Google Scholar] [CrossRef]
- Cao, F.; Lu, X.; Hu, X.; Zhang, Y.; Zeng, L.; Chen, L.; Sun, M. In vitro selection of DNA aptamers binding pesticide fluoroacetamide. Biosci. Biotechnol. Biochem. 2016, 80, 823–832. [Google Scholar] [CrossRef]
- Jokar, M.; Safaralizadeh, M.H.; Hadizadeh, F.; Rahmani, F.; Kalani, M.R. Apta-Nanosensor preparation and in vitro assay for rapid Diazinon detection using a computational molecular approach. J. Biomol. Struct. Dyn. 2017, 35, 343–353. [Google Scholar] [CrossRef]
- Kim, S.; Kim, Y.; Kim, P.; Ha, J.; Kim, K.; Sohn, M.; Yoo, J.-S.; Lee, J.; Kwon, J.-A.; Lee, K.N. Improved sensitivity and physical properties of sol- gel protein chips using large-scale material screening and selection. Anal. Chem. 2006, 78, 7392–7396. [Google Scholar] [CrossRef]
- Kwon, J.-A.; Lee, H.; Lee, K.N.; Chae, K.; Lee, S.; Lee, D.-K.; Kim, S. High diagnostic accuracy of antigen microarray for sensitive detection of hepatitis C virus infection. Clin. Chem. 2008, 54, 424–428. [Google Scholar] [CrossRef] [PubMed][Green Version]
- Ahn, J.-Y.; Lee, S.; Jo, M.; Kang, J.; Kim, E.; Jeong, O.C.; Laurell, T.; Kim, S. Sol–Gel derived nanoporous compositions for entrapping small molecules and their outlook toward aptamer screening. Anal. Chem. 2012, 84, 2647–2653. [Google Scholar] [CrossRef] [PubMed]
- Bae, H.; Ren, S.; Kang, J.; Kim, M.; Jiang, Y.; Jin, M.M.; Min, I.M.; Kim, S. Sol-gel SELEX circumventing chemical conjugation of low molecular weight metabolites discovers aptamers selective to xanthine. Nucleic Acid Ther. 2013, 23, 443–449. [Google Scholar] [CrossRef] [PubMed]
- Vlassiouk, I.; Krasnoslobodtsev, A.; Smirnov, S.; Germann, M. “Direct” detection and separation of DNA using nanoporous alumina filters. Langmuir 2004, 20, 9913–9915. [Google Scholar] [CrossRef]
- Hassani, S.; Akmal, M.R.; Salek-Maghsoudi, A.; Rahmani, S.; Ganjali, M.R.; Norouzi, P.; Abdollahi, M. Novel label-free electrochemical aptasensor for determination of Diazinon using gold nanoparticles-modified screen-printed gold electrode. Biosens. Bioelectron. 2018, 120, 122–128. [Google Scholar] [CrossRef]
- Järås, K.; Ressine, A.; Nilsson, E.; Malm, J.; Marko-Varga, G.; Lilja, H.; Laurell, T. Reverse-Phase versus sandwich antibody microarray, technical comparison from a clinical perspective. Anal. Chem. 2007, 79, 5817–5825. [Google Scholar] [CrossRef]
- Sevilimedu, A.; Shi, H.; Lis, J.T. TFIIB aptamers inhibit transcription by perturbing PIC formation at distinct stages. Nucleic Acids Res. 2008, 36, 3118–3127. [Google Scholar] [CrossRef]
- Park, S.-M.; Ahn, J.-Y.; Jo, M.; Lee, D.-K.; Lis, J.T.; Craighead, H.G.; Kim, S. Selection and elution of aptamers using nanoporous sol-gel arrays with integrated microheaters. Lab Chip 2009, 9, 1206–1212. [Google Scholar] [CrossRef] [PubMed]





© 2020 by the authors. Licensee MDPI, Basel, Switzerland. This article is an open access article distributed under the terms and conditions of the Creative Commons Attribution (CC BY) license (http://creativecommons.org/licenses/by/4.0/).
Share and Cite
Lim, E.S.; Lim, M.-C.; Park, K.; Lee, G.; Lim, J.-A.; Woo, M.-A.; Lee, N.; Choi, S.-W.; Chang, H.-J. Selective Binding and Elution of Aptamers for Pesticides Based on Sol-Gel-Coated Nanoporous Anodized Aluminum Oxide Membrane. Nanomaterials 2020, 10, 1533. https://doi.org/10.3390/nano10081533
Lim ES, Lim M-C, Park K, Lee G, Lim J-A, Woo M-A, Lee N, Choi S-W, Chang H-J. Selective Binding and Elution of Aptamers for Pesticides Based on Sol-Gel-Coated Nanoporous Anodized Aluminum Oxide Membrane. Nanomaterials. 2020; 10(8):1533. https://doi.org/10.3390/nano10081533
Chicago/Turabian StyleLim, Eun Seob, Min-Cheol Lim, Kisang Park, Gaeul Lee, Jeong-A Lim, Min-Ah Woo, Nari Lee, Sung-Wook Choi, and Hyun-Joo Chang. 2020. "Selective Binding and Elution of Aptamers for Pesticides Based on Sol-Gel-Coated Nanoporous Anodized Aluminum Oxide Membrane" Nanomaterials 10, no. 8: 1533. https://doi.org/10.3390/nano10081533
APA StyleLim, E. S., Lim, M.-C., Park, K., Lee, G., Lim, J.-A., Woo, M.-A., Lee, N., Choi, S.-W., & Chang, H.-J. (2020). Selective Binding and Elution of Aptamers for Pesticides Based on Sol-Gel-Coated Nanoporous Anodized Aluminum Oxide Membrane. Nanomaterials, 10(8), 1533. https://doi.org/10.3390/nano10081533

