Spatiotemporal Characteristics of Sea Level Changes in Hangzhou Bay over the Past 40 Years
Abstract
1. Introduction
2. Data Sources and Research Methods
2.1. Data Sources
2.2. Research Methods
3. Results and Discussion
3.1. Long-Term Changes in Sea Level in Hangzhou Bay
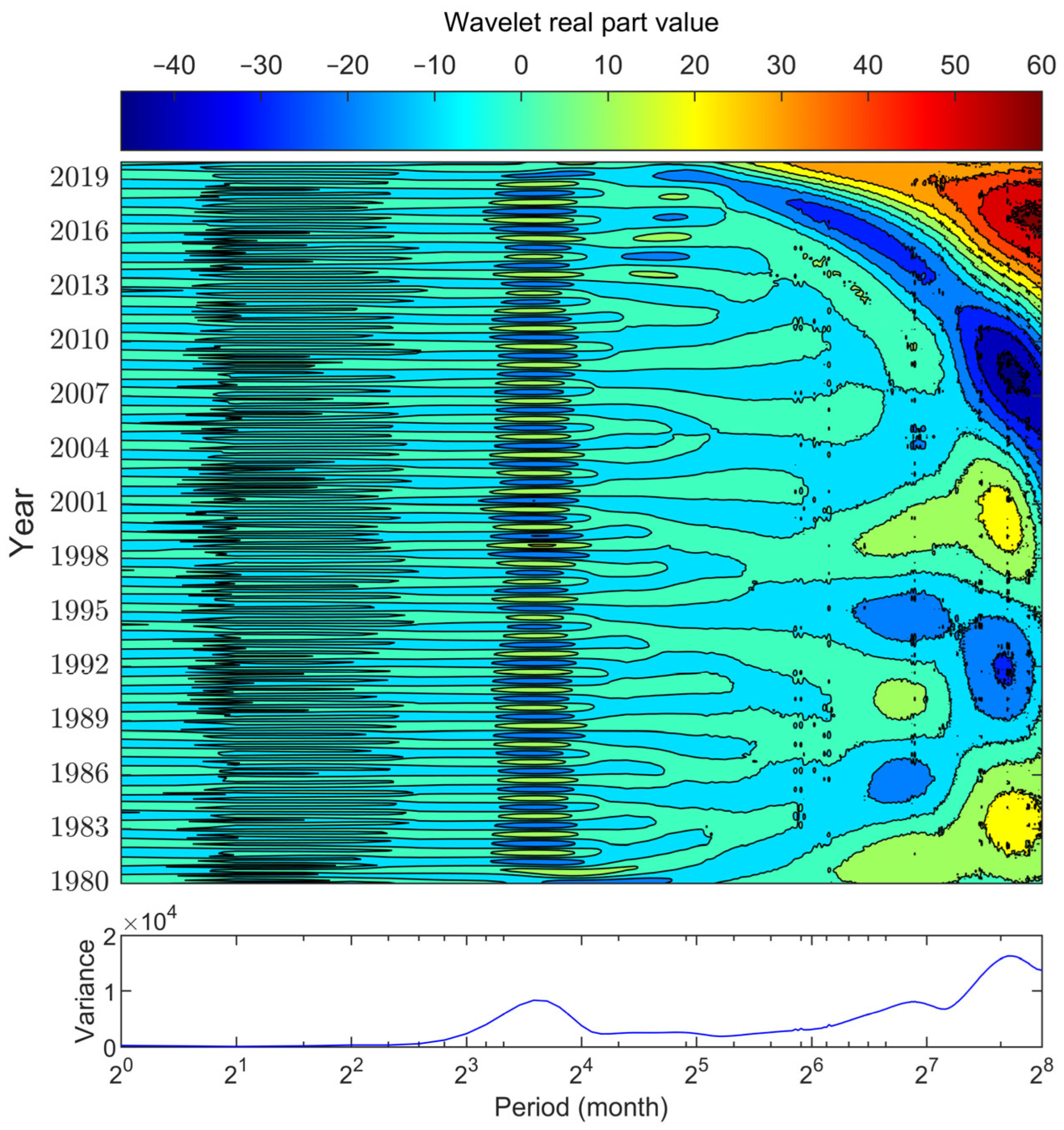
3.2. Hangzhou Bay’s Sea Level Change Cycle
3.3. Analysis of the Causes of the Rising Trend of Sea Level in Hangzhou Bay
3.3.1. Impact of Rising Sea Levels in Offshore Areas
3.3.2. Impact of River Channel Narrowing
3.4. EOF Mode Analysis of Sea Level in Hangzhou Bay
4. Conclusions
- The sea level in Hangzhou Bay gradually rises from the bay mouth towards the inner bay, with the northern side of the bay being higher than the southern side. Over the past 40 years, there has been a noticeable upward trend in sea level fluctuations. The fastest rise occurred at Ganpu Station in the upper bay, with a rate of 6.74 mm/year, which exceeded the 3.5 mm/year rise rate along the Zhejiang coastline during the same period. The rise rate is slower at the bay mouth, and even slower in the central bay. Seasonal variations in sea level are significant, with the highest values observed in the summer and autumn, and the lowest values in the spring and winter.
- The sea level in Hangzhou Bay exhibits periodic variations at different time scales. These include a long-term scale of 202 to 212 months, a medium-long scale of 100 to 119 months, and a shorter scale of 12 months, each corresponding to distinct cyclical influences. The 202~212 month cycle corresponds to the astronomical tidal cycle, the 100~119 month cycle is linked to solar activity, and the 12 month cycle reflects seasonal changes. Among these, the astronomical tidal cycle is the most prominent. The quasi-periodic ENSO (El Niño Southern Oscillation) event, typically associated with a 2~7 year cycle, does not have a noticeable impact in the Hangzhou Bay region. Moreover, it is projected that the sea level will transition from a rising cycle to a declining cycle after 2026.
- The rise in sea level in the open ocean has led to an overall upward trend in the sea level of Hangzhou Bay. The narrowing of the river channel and the sedimentation trend in Hangzhou Bay have intensified tidal wave deformation, with the most significant impact observed at Ganpu Station in the upper bay, where the local sea level rise rate far exceeds that at other stations. The variance contribution rate of the first EOF mode is 86.8%, which primarily reflects the influence of changes in the open ocean sea level on the sea level variations in Hangzhou Bay, making it the main driving factor for sea level changes in the bay. The variance contribution rate of the second EOF mode is 9.0%, which mainly reflects the contribution of periodic sea level fluctuations to the changes in Hangzhou Bay’s sea level.
Author Contributions
Funding
Institutional Review Board Statement
Informed Consent Statement
Data Availability Statement
Conflicts of Interest
References
- Church, J.A.; Woodworth, P.L.; Aarup, T.; Wilson, W.S. Paleoenvironmental Records, Geophysical Modeling, and Reconstruction of Sea-Level Trends and Variability on Centennial and Longer Timescales; Wiley-Blackwell: Hoboken, NJ, USA, 2010. [Google Scholar]
- Lin, F.Z.; Wang, H.; Zhang, J.L.; Fu, S.J. Exploration of Coastal Erosion and Sea Level Rise in China. Ocean Dev. Manag. 2015, 32, 16–21. [Google Scholar]
- Chen, W.; Kuang, C.P.; Gu, J.; He, L.L. Responses of saline water intrusion to sea level rise in the Yangtze Estuary. Hydro-Sci. Eng. 2018, 01, 58–65. [Google Scholar]
- Amoura, R.; Dahmani, K. Visualization of the spatial extent of flooding expected in the coastal area of algiers due to sea level rise. horizon 2030/2100. Ocean Coast. Manag. 2022, 219, 106041. [Google Scholar] [CrossRef]
- Wang, F.; Tan, Y.; Liu, S.C. Influence of sea level rise on storm surge water increase in the reach below Jiangyin of the Yangtze River. Hydro-Sci. Eng. 2023, 1, 43–52. [Google Scholar]
- Ren, M.E. Relativer sea leve rise in Huanghe Changjiang and Zhujiang (Yellow, Yangtze and Pearl River) delta over the last 30 years and Predication for the next 40 years (2030). Acta Geogr. Sin. 1993, 48, 385–393. [Google Scholar]
- Payandeh, A.R.; Justic, D.; Huang, H.; Mariotti, G.; Hagen, S.C. Tidal change in response to the relative sea level rise and marsh accretion in a tidally choked estuary. Cont. Shelf Res. 2022, 234, 104642. [Google Scholar] [CrossRef]
- Sun, Y.; Li, Y. Assessment of spatio-temporal distribution characteristic of sea level anomaly changes and its potential socio-economic risks in China’s coastal areas from 1993 to 2018. J. Nat. Resour. 2022, 37, 1073–1088. [Google Scholar] [CrossRef]
- He, L.; Li, G.S.; Li, K.; Cui, L.L.; Ren, H.R. Changes and trends of sea level in the Pearl River Delta in the last 50 years. Geogr. Res. 2014, 33, 988–1000. [Google Scholar]
- Yang, Y.; Sun, Q.; Yang, M.; Lv, W.J. Temporal and spatial variation of sea level of the east China sea. Ocean Limnol. Sin. 2018, 49, 481–489. [Google Scholar]
- Feng, J.L.; Li, W.S.; Wang, H.; Zhang, J.L.; Dong, J.X. Evaluation of sea level rise and associated responses in Hangzhou Bay from 1978 to 2017. Adv. Clim. Change Res. 2018, 9, 227–233. [Google Scholar] [CrossRef]
- Pan, C.H.; Zheng, J.; Chen, G.; He, C.Q.; Tang, Z.W. Spatial and temporal variations of tide characteristics in Hangzhou Bay and cause analysis. Ocean Eng. 2019, 37, 1–11. [Google Scholar]
- Pan, C.H.; Han, Z.C. Research on the Protection and Governance of Qiantang River Estuary; China Water & Power Press: Beijing, China, 2017; pp. 34–37. [Google Scholar]
- State Oceanic Administration. 2023 China Sea Level Bulletin; State Oceanic Administration: Beijing, China, 2024.
- Jiao, W.H.; Wei, Z.Q.; Guo, H.R.; Fu, Y. Determination of the Absolute Rate of Sea Level by Using GPS Reference Station and Tide Gauge Data. Geomat. Inf. Sci. Wuhan Univ. 2004, 10, 901–904. [Google Scholar]
- Moreira, L.; Cazenave, A.; Palanisamy, H. Influence of interannual variability in estimating the rate and acceleration of present-day global mean sea level. Glob. Planet. Change 2021, 199, 103450. [Google Scholar] [CrossRef]
- Calafat, F.M.; Jorda, G. A Mediterranean sea level reconstruction (1950–2008) with error budget estimates. Glob. Planet. Change 2011, 79, 118–133. [Google Scholar] [CrossRef]
- Alshouny, A.; Elnabwy, M.T.; Kaloop, M.R.; Baik, A.; Miky, Y. An integrated framework for improving sea level variation prediction based on the integration Wavelet-Artificial Intelligence approaches. Environ. Model. Softw. 2022, 152, 105399. [Google Scholar] [CrossRef]
- Altunkaynak, A.; Kartal, E. Transfer sea level learning in the Bosphorus Strait by wavelet based machine learning methods. Ocean Eng. 2021, 233, 109116. [Google Scholar] [CrossRef]
- Cao, Y. Preliminary Analysis on the Downward Movement of Qiantang Estuary after the River Regulation and Reclamation. Zhejiang Hydrotech. 2019, 47, 1–4+15. [Google Scholar]
- Zakharchuk, E.A.; Sukhachev, V.N.; Tikhonova, N.A.; Kouraev, A.; Zakharova, E. Seasonal fluctuations in Baltic sea level determined from satellite altimetry. Cont. Shelf Res. 2022, 249, 104863. [Google Scholar] [CrossRef]
- Akhter, S.; Qiao, F.; Wu, K.; Yin, X.; Chowdhury, K.A.; Chowdhury, N.U.M.K. Seasonal and long-term sea level variations and their forcing factors in the northern Bay of Bengal: A statistical analysis of temperature, salinity, wind stress curl, and regional climate index data. Dyn. Atmos. Ocean 2021, 95, 101239. [Google Scholar] [CrossRef]
- Zuo, J.C.; Zuo, C.S.; Li, J.; Chen, M.X. Advances in research on sea level variations in China from 2006 to 2015. J. Hohai Univ. (Nat. Sci.) 2015, 43, 442–449. [Google Scholar]
- Li, Y.F. The Influence of Variability of the Subtropical Gyre in the North Pacific on Sea Level Change Around the East China Sea. Ph.D. Thesis, Ocean University of China, Qingdao, China, 2013. [Google Scholar]
- Wang, G.D.; Kang, J.C.; Han, Q.C.; Han, G.Q.; Yan, G.D. A review on sea-level change research in global and the China Sea in recent years. Mar. Sci. 2014, 38, 114–120. [Google Scholar]
- Chen, W. Correlation Analysis Between Sunspot Activity and Sea Surface Temperature. Master’s Thesis, Shanghai Normal University, Shanghai, China, 2022. [Google Scholar]
- Wang, G.D. Temporal and Spatial Differentiation, Impact Mechanism, and Risk Assessment of Sea Level Changes in the East China Sea. Ph.D. Thesis, Shanghai Normal University, Shanghai, China, 2013. [Google Scholar]
- Fotsi, Y.F.; Brenon, I.; Pouvreau, N.; Ferret, Y.; Latapy, A.; Onguene, R.; Jombe, D.; Etame, J. Exploring tidal dynamics in the Wouri estuary, Cameroon. Cont. Shelf Res. 2023, 259, 104982. [Google Scholar] [CrossRef]
- Lafta, A.A. Investigation of tidal asymmetry in the Shatt Al-Arab river estuary, Northwest of Arabian Gulf. Oceanologia 2022, 64, 376–386. [Google Scholar] [CrossRef]
- Khojasteh, D.; Hottinger, S.; Felder, S.; De Cesare, G.; Heimhuber, V.; Hanslow, D.J.; Glamore, W. Estuarine tidal response to sea level rise: The significance of entrance restriction. Estuar. Coast. Shelf Sci. 2020, 244, 106941. [Google Scholar] [CrossRef]
- Wang, X.; Zhang, W.; Tong, C.; Huang, R. Unraveling the control factors of long-term morphological evolution in the Yangtze Estuary: A synthesis of natural processes and human interventions. Estuar. Coast. Shelf Sci. 2024, 304, 108842. [Google Scholar] [CrossRef]
- Yu, D.; Han, G.; Wang, X.; Zhang, B.; Zhao, M. The impact of runoff flux and reclamation on the spatiotemporal evolution of the Yellow River estuarine wetlands. Ocean Coast. Manag. 2021, 212, 105804. [Google Scholar] [CrossRef]












| Station | Data Time Series | Time Resolution | Data Source |
|---|---|---|---|
| Ganpu | 1980~2020 | hourly | Zhejiang Provincial Hydrological Center |
| Zhapu | 1980~2020 | hourly | Zhejiang Provincial Hydrological Center |
| Jinshan | 1980~2015 | hourly | Shanghai Hydrological Station |
| Luchaogang | 1980~1991, 1995~2017 | hourly | Shanghai Hydrological Station |
| Daishan | 1980~2020 | hourly | Zhejiang Provincial Hydrological Center |
| Dinghai | 1980~2020 | hourly | Zhejiang Provincial Hydrological Center |
| Station | 1980~1989 | 1990~1999 | 2000~2009 | 2010~2020 | 1980~2020 |
|---|---|---|---|---|---|
| Ganpu | 5.88 (26.85) | 7.54 (40.47) | 4.24 (33.69) | 24.32 (89.64) | 6.74 (92.25) |
| Zhapu | −0.48 (18.86) | 6.67 (36.14) | −8.92 (35.77) | 4.04 (43.65) | 3.59 (56.35) |
| Jinshan | 5.17 (20.00) | 5.39 (41.91) | −1.52 (15.67) | −0.86 (23.02) | 2.75 (55.56) |
| Luchaogang | / | 5.54 (26.28) | −4.97 (31.20) | 2.74 (34.50) | 2.72 (49.97) |
| Daishan | 3.00 (17.24) | 5.75 (39.56) | −2.42 (22.15) | 8.39 (38.46) | 4.86 (64.85) |
| Dinghai | 12.30 (42.73) | 6.49 (40.35) | −7.60 (28.51) | 3.50 (57.47) | 3.49 (58.35) |
| Station | The First Main Period | The Second Main Period | The Third Main Period |
|---|---|---|---|
| Ganpu | 206 | 12 | 100 |
| Zhapu | 212 | 12 | 118 |
| Daishan | 212 | 12 | 118 |
| Dinghai | 202 | 12 | 119 |
| Spatial Modes | Ganpu | Zhapu | Daishan | Dinghai | Variance Contribution (%) |
|---|---|---|---|---|---|
| The first mode | 4.34 | 2.54 | 2.50 | 3.08 | 86.8 |
| The second mode | −4.28 | 2.68 | 3.88 | 0.66 | 9.0 |
Disclaimer/Publisher’s Note: The statements, opinions and data contained in all publications are solely those of the individual author(s) and contributor(s) and not of MDPI and/or the editor(s). MDPI and/or the editor(s) disclaim responsibility for any injury to people or property resulting from any ideas, methods, instructions or products referred to in the content. |
© 2025 by the authors. Licensee MDPI, Basel, Switzerland. This article is an open access article distributed under the terms and conditions of the Creative Commons Attribution (CC BY) license (https://creativecommons.org/licenses/by/4.0/).
Share and Cite
Liu, Y.; Hu, C.; Fan, L.; Shi, Y.; Pan, C.; He, K. Spatiotemporal Characteristics of Sea Level Changes in Hangzhou Bay over the Past 40 Years. J. Mar. Sci. Eng. 2025, 13, 203. https://doi.org/10.3390/jmse13020203
Liu Y, Hu C, Fan L, Shi Y, Pan C, He K. Spatiotemporal Characteristics of Sea Level Changes in Hangzhou Bay over the Past 40 Years. Journal of Marine Science and Engineering. 2025; 13(2):203. https://doi.org/10.3390/jmse13020203
Chicago/Turabian StyleLiu, Ye, Chengfei Hu, Lidong Fan, Yingbiao Shi, Cunhong Pan, and Kun He. 2025. "Spatiotemporal Characteristics of Sea Level Changes in Hangzhou Bay over the Past 40 Years" Journal of Marine Science and Engineering 13, no. 2: 203. https://doi.org/10.3390/jmse13020203
APA StyleLiu, Y., Hu, C., Fan, L., Shi, Y., Pan, C., & He, K. (2025). Spatiotemporal Characteristics of Sea Level Changes in Hangzhou Bay over the Past 40 Years. Journal of Marine Science and Engineering, 13(2), 203. https://doi.org/10.3390/jmse13020203

