Effect of Electric Pulse Treatment on the Interfacial Properties of Copper/304 Stainless Steel Composite Thin Strips Fabricated by Roll Bonding
Abstract
1. Introduction
2. Experimental
2.1. Fabrication of the Composite Thin Strips
2.2. EPT and HT Experiments
2.3. Mechanical Test and Microscopic Characterization
3. Experimental Results
3.1. Bonding Properties of the Specimen
3.2. Interfacial Structures of the As-Rolled and HT Specimens
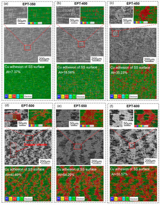
3.3. Interface Structure Analysis for EPT
4. Discussion
4.1. Effects of HT and EPT on Cu/SS Composite Interface Morphology
4.2. Mechanism of Action of EPT on Interfaces
4.3. Hardness Test
5. Conclusions
Author Contributions
Funding
Data Availability Statement
Conflicts of Interest
References
- Yu, C.; He, Z.; Lv, Q.; Yu, J.; Xiao, H. Preparation of Ti/Al Composite Plates by Differential Temperature Rolling with Induction Heating. Int. J. Adv. Manuf. Technol. 2021, 117, 383–394. [Google Scholar] [CrossRef]
- Huang, G.; Shen, Y. The Effects of Processing Environments on the Microstructure and Mechanical Properties of the Ti/5083Al Composites Produced by Friction Stir Processing. J. Manuf. Process. 2017, 30, 361–373. [Google Scholar] [CrossRef]
- Yang, M.; Chen, D.; Zhou, H.; Xu, J.; Ma, H.; Shen, Z.; Zhang, B.; Tian, J. Experimental and Numerical Investigation of Microstructure and Evolution of TiNi Alloy/Q235 Steel Interfaces Prepared by Explosive Welding. J. Mater. Res. Technol. 2021, 15, 5803–5813. [Google Scholar] [CrossRef]
- Yan, M.; Wang, M.-Y.; Cui, Z.-Y.; Xu, J.-B.; Huang, H.-G. The Effect of a Coating Sprayed Using Supersonic Flame Coating Technology on the Mechanical Properties and Interface Structure of a Thick Steel/Aluminum Composite Plate during Hot Rolling. Metals 2024, 14, 450. [Google Scholar] [CrossRef]
- Zhao, S.; Hu, Y.; Li, S.; Wang, T. Mechanical Properties and Bonding Mechanism of the Mg/Al Clad Sheet Manufactured by the Corrugated Roll. Metals 2023, 13, 503. [Google Scholar] [CrossRef]
- Zhang, Z.; Zhang, H.; Liu, X.; Wang, T.; Huang, Q.; Liao, X. Effect of Roll Surface Topography on Microstructure and Mechanical Properties of 304 Stainless Steel Ultra-Thin Strip. J. Manuf. Process. 2023, 108, 764–778. [Google Scholar] [CrossRef]
- Cestari, A.; De Araújo, M.; De Oliveira, D.C. Corrosion Behavior of Metallic Surfaces in Biodiesel Evaluated by Atomic Force Microscopy, Vickers Micro Hardness, and Copper Strip Test. Eng. Fail. Anal. 2021, 124, 105329. [Google Scholar] [CrossRef]
- Cui, C.; Gu, K.; Weng, Z.; Zhang, M.; Wang, J. Martensitic Transformation in Rolled 301 Stainless Steel Induced by Cryogenic Treatment. Mater. Today Commun. 2024, 38, 108531. [Google Scholar] [CrossRef]
- Liu, X.; Liao, W.; Yang, Y. Thermal Characteristics and Uniformity of Microstructures during Temperature Controlled Mold Continuous Casting Profiled Copper Alloy Strip. Int. Commun. Heat Mass Transf. 2020, 110, 104414. [Google Scholar] [CrossRef]
- Niu, X.; Ding, Q.; Zhang, H.; Liu, X.; Wang, T. Research on Fabricating Cu/Stainless Steel Composite Thin Strips by Two-Pass Cold Roll-Bonding with Intermediate Annealing. Int. J. Adv. Manuf. Technol. 2024, 130, 3323–3339. [Google Scholar] [CrossRef]
- Zhang, T.; Zhai, H.; Li, W.; Hong, H.; Li, Y. XRD and EBSD Evaluation on Deposition Behavior and Microstructure Characteristic of HVOF Sprayed 304SS Coating on Aluminum Substrate. Surf. Coat. Technol. 2025, 496, 131614. [Google Scholar] [CrossRef]
- Lablali, Y.; Oubaki, R.; Ghailane, A.; Alami, J.; Makha, M. Correlation between Sputtering Method, Microstructure and Properties of TiOx Thin Films Deposited by Reactive Direct-Current and High-Power Impulse Magnetron Sputtering. Thin Solid Film. 2024, 808, 140573. [Google Scholar] [CrossRef]
- Wang, C.; Zhou, T.; Xu, X.; Wu, T.; Zhang, M.; Wu, J.; Zhan, L.; Wang, G. Evolution of Microstructure and Mechanical Properties in TiBw/Ti65 Composites during Vacuum Solid-Phase Diffusion Bonding. Mater. Today Commun. 2024, 41, 110961. [Google Scholar] [CrossRef]
- Ren, M.; Xie, H.; Lin, F.; Jia, F.; Huo, M.; Wu, H.; Yang, M.; Jiang, Z. Effect of Heat Treatment on the Microstructure and Mechanical Properties of Copper/SS304L Composite Sheets. Vacuum 2022, 204, 111370. [Google Scholar] [CrossRef]
- Chen, D.; Zhang, H.; Li, H.; Zhu, R.; Zhu, Y.; Jiang, Z. Study on Microstructure and Properties of Ultra-Thin Cu/Al Composite Sheets Using the Cold-Rolled Composite Method at the Microscale. Metals 2023, 13, 780. [Google Scholar] [CrossRef]
- Krechkovska, H.; Tsybailo, I.; Dzioba, I.; Student, O.; Pała, R. Restoration of Properties of Heat-Resistant Steel After Long-Term Operation in Steam Pipeline Bends of TPP by Heat Treatment. Metals 2024, 15, 21. [Google Scholar] [CrossRef]
- Qi, Y.; Ma, X.; Ma, L.; Zhou, C.; Jiang, Z.; Zhao, J. A Study on the Microstructural Evolution, Interfacial Diffusion and Mechanical Properties of Ultra-Thin Stainless Steel–Copper Composites Fabricated by Roll Bonding. Met. Mater. Int. 2024, 30, 2925–2941. [Google Scholar] [CrossRef]
- Wang, C.; Ma, L.; Ma, X.; Wang, T.; Jiang, Z.; Hasan, M.; Zhao, J. Effect of Annealing Temperature on Microstructure and Tensile Properties of Copper/Aluminum Composite Thin Strip. Trans. Nonferrous Met. Soc. China 2023, 33, 701–713. [Google Scholar] [CrossRef]
- Zhao, Z.; Hou, H.; Zhang, N.; Zhang, Y.; Wang, Y.; Wang, G. Effect of High-Energy Electro-Pulses on the Compression Deformation Behavior of Ti-6Al-4V Alloy. Met. Mater. Int. 2016, 22, 585–593. [Google Scholar] [CrossRef]
- Wang, H.; Song, G.; Tang, G. Effect of Electropulsing on Surface Mechanical Properties and Microstructure of AISI 304 Stainless Steel during Ultrasonic Surface Rolling Process. Mater. Sci. Eng. A 2016, 662, 456–467. [Google Scholar] [CrossRef]
- Zhang, T.; Wang, Y.; Xu, Z.; Zhu, K.; Bian, G.; Wang, T.; Fu, X. A New Method for Fabricating Mg/Al Alloy Composites by Pulse Current-Assisted Rolled Welding. Mater. Lett. 2023, 330, 133247. [Google Scholar] [CrossRef]
- Guo, X.; Ren, Z.; Zhang, P.; Zhang, C.; Jiang, S.; Zhang, Q.; Wang, T.; Huang, Q. Effect of Pulse Current on Interface Microstructure and Bonding Properties of TA1/304 Double-Layer Clad Plates. Chin. J. Mech. Eng. 2024, 37, 116. [Google Scholar] [CrossRef]
- E8/E8M-24; Standard Test Methods for Tension Testing of Metallic Materials. ASTM International: West Conshohocken, PA, USA, 2024.
- Liu, Z.; Liu, P.; Zhou, L.; Wang, L. Effects of Pulsed Current on the Microstructure and Properties of Laser Cladded TC17 Titanium Alloy. Materials 2023, 17, 91. [Google Scholar] [CrossRef] [PubMed]
- Cooper, D.R.; Allwood, J.M. Influence of Diffusion Mechanisms in Aluminium Solid-State Welding Processes. Procedia Eng. 2014, 81, 2147–2152. [Google Scholar] [CrossRef]
- Sabetghadam, H.; Hanzaki, A.Z.; Araee, A.; Hadian, A. Microstructural Evaluation of 410 SS/Cu Diffusion-Bonded Joint. J. Mater. Sci. Technol. 2010, 26, 163–169. [Google Scholar] [CrossRef]
- Chen, Z.; Wang, D.; Cao, X.; Yang, W.; Wang, W. Influence of Multi-Pass Rolling and Subsequent Annealing on the Interface Microstructure and Mechanical Properties of the Explosive Welding Mg/Al Composite Plates. Mater. Sci. Eng. A 2018, 723, 97–108. [Google Scholar] [CrossRef]
- Gondcharton, P.; Imbert, B.; Benaissa, L.; Verdier, M. Voiding Phenomena in Copper-Copper Bonded Structures: Role of Creep. ECS J. Solid State Sci. Technol. 2015, 4, P77–P82. [Google Scholar] [CrossRef]
- Lin, J.; Li, X.; Wang, C.; Xu, R.; Zhang, X.; Lu, F.; Lin, P.; Mei, H.; Liu, Y.; Zhuang, Y.; et al. Interfacial Behaviors and Mechanism of ZrC-SiC Composite and Ti System under Pulsed Electric Current. Compos. Part B Eng. 2023, 260, 110771. [Google Scholar] [CrossRef]
- Ran, M.; Bian, G.; Zhang, H.; Yan, J.; Wang, W. Electropulsing-Enhanced Atomic Diffusion and Recrystallization to Optimize Mechanical Properties of Al/Cu Laminated Metal Composites. J. Manuf. Process. 2024, 119, 224–234. [Google Scholar] [CrossRef]
- Tian, N.; Ji, X.; Zhang, C.; Lv, P.; Guan, J.; Cai, J.; Guan, Q. Influence of High-Current Pulsed Electron Beam Irradiation on Elemental Diffusion and Mechanical Properties of Copper/316L Stainless-Steel Bonded Joints. Nucl. Instrum. Methods Phys. Res. Sect. B Beam Interact. Mater. At. 2022, 531, 115–122. [Google Scholar] [CrossRef]
- Song, H.; Hao, W.; Mu, X.; Han, T.; Che, C.; Geng, G. Effect of Pulse Current-Assisted Rolling on the Interface Bonding Strength and Microstructure of Cu/Al Laminated Composite. Metals 2020, 10, 1555. [Google Scholar] [CrossRef]
- Wang, K.; Tan, T.; Fu, Z.; Zhang, J.; Wang, Y.; Wang, W.; Zhang, Q. Study on Atom Diffusion under the Treatment by Pulse Current Heating. Mater. Sci. Eng. B 2006, 135, 154–161. [Google Scholar] [CrossRef]
- Ji, R.; Wang, H.; Wang, B.; Jin, H.; Liu, Y.; Cheng, W.; Cai, B.; Li, X. Removing Loose Oxide Layer and Producing Dense α-Phase Layer Simultaneously to Improve Corrosion Resistance of Ti-6Al-4V Titanium Alloy by Coupling Electrical Pulse and Ultrasonic Treatment. Surf. Coat. Technol. 2020, 384, 125329. [Google Scholar] [CrossRef]
- Huang, T.; Xing, B.; Song, K.; Xiang, N.; Xu, L.; Huang, L.; Guo, J.; Yang, X. Dislocation Motion Induced by Pulse Current in Ti/Al Bimetal Composite Observed by in-Situ TEM. Mater. Charact. 2024, 214, 114096. [Google Scholar] [CrossRef]
- Wu, Y.; Wang, T.; Ren, Z.; Liu, Y.; Huang, Q. Evolution Mechanism of Microstructure and Bond Strength Based on Interface Diffusion and IMCs of Ti/Steel Clad Plates Fabricated by Double-Layered Hot Rolling. J. Mater. Process. Technol. 2022, 310, 117780. [Google Scholar] [CrossRef]
- Cao, J.; Zhang, J.; Tang, H.; Shen, X.; Song, K.; Zhou, Y.; Cui, C. Investigation on the Microstructure Evolution and Strengthening Behavior of Rolled Bonding Cu Strip. J. Sci. Adv. Mater. Devices 2024, 100835. [Google Scholar] [CrossRef]
- Hedayati, A.; Najafizadeh, A.; Kermanpur, A.; Forouzan, F. The Effect of Cold Rolling Regime on Microstructure and Mechanical Properties of AISI 304L Stainless Steel. J. Mater. Process. Technol. 2010, 210, 1017–1022. [Google Scholar] [CrossRef]
- Wang, T.; Wei, X.; Zhang, H.; Ren, Z.; Gao, B.; Han, J.; Bian, L. Plastic Deformation Mechanism Transition with Solute Segregation and Precipitation of 304 Stainless Steel Foil Induced by Pulse Current. Mater. Sci. Eng. A 2022, 840, 142899. [Google Scholar] [CrossRef]
- Gu, S.; Liu, C.; Kimura, Y.; Yoon, S.; Cui, Y.; Yan, X.; Ju, Y.; Toku, Y. Realizing Strength–Ductility Synergy in a Lean Duplex Stainless Steel through Enhanced TRIP Effect via Pulsed Electric Current Treatment. Mater. Sci. Eng. A 2023, 883, 145534. [Google Scholar] [CrossRef]
- Chen, X.; Jiang, F.; Jiang, J.; Xu, P.; Tong, M.; Tang, Z. Precipitation, Recrystallization, and Evolution of Annealing Twins in a Cu-Cr-Zr Alloy. Metals 2018, 8, 227. [Google Scholar] [CrossRef]












| Materials | Cr | Ni | C | O | Mn | Si | P | S | Fe | Cu |
|---|---|---|---|---|---|---|---|---|---|---|
| SS304 | 18.16 | 7.97 | 0.06 | — | 1.20 | 0.58 | 0.43 | 0.02 | Bal. | — |
| T2 Copper | — | ≤0.004 | — | ≤0.005 | — | — | — | ≤0.005 | — | Bal. |
| No. | Reduction Rate | Peak Temperature (°C) | Effective Current (A) | Processing Time (s) |
|---|---|---|---|---|
| As-rolled | 50% | — | — | — |
| HT-450 HT-600 | 450 600 | — | 100 | |
| EPT-350 EPT-400 EPT-450 EPT-500 EPT-550 EPT-600 | 350 400 450 500 550 600 | 45 50 55 59 62 65 | 5 |
Disclaimer/Publisher’s Note: The statements, opinions and data contained in all publications are solely those of the individual author(s) and contributor(s) and not of MDPI and/or the editor(s). MDPI and/or the editor(s) disclaim responsibility for any injury to people or property resulting from any ideas, methods, instructions or products referred to in the content. |
© 2025 by the authors. Licensee MDPI, Basel, Switzerland. This article is an open access article distributed under the terms and conditions of the Creative Commons Attribution (CC BY) license (https://creativecommons.org/licenses/by/4.0/).
Share and Cite
Wang, Z.; Niu, X.; Wang, M.; Yang, Y.; He, D.; Du, W. Effect of Electric Pulse Treatment on the Interfacial Properties of Copper/304 Stainless Steel Composite Thin Strips Fabricated by Roll Bonding. Metals 2025, 15, 112. https://doi.org/10.3390/met15020112
Wang Z, Niu X, Wang M, Yang Y, He D, Du W. Effect of Electric Pulse Treatment on the Interfacial Properties of Copper/304 Stainless Steel Composite Thin Strips Fabricated by Roll Bonding. Metals. 2025; 15(2):112. https://doi.org/10.3390/met15020112
Chicago/Turabian StyleWang, Zefeng, Xiaomiao Niu, Ming Wang, Yu Yang, Dongping He, and Wangzhe Du. 2025. "Effect of Electric Pulse Treatment on the Interfacial Properties of Copper/304 Stainless Steel Composite Thin Strips Fabricated by Roll Bonding" Metals 15, no. 2: 112. https://doi.org/10.3390/met15020112
APA StyleWang, Z., Niu, X., Wang, M., Yang, Y., He, D., & Du, W. (2025). Effect of Electric Pulse Treatment on the Interfacial Properties of Copper/304 Stainless Steel Composite Thin Strips Fabricated by Roll Bonding. Metals, 15(2), 112. https://doi.org/10.3390/met15020112

