Effects of Grinding Parameters on Galena Particle Size Distribution and Flotation Performance
Abstract
1. Introduction
2. Materials and Methods
2.1. Pure Minerals
2.2. Grinding Experiments
2.3. Laser Particle Size Analysis
2.4. Flotation Experiments
2.5. Discrete Element Simulation
2.6. Contact Angle Measurements
2.7. Observation of Hydrophobic Agglomerates
3. Results and Discussion
3.1. Particle Size Distribution of the Fine-Ground Galena Products
3.2. Flotation Experiments on the Fine-Ground Galena Products
3.3. Results of DEM
3.4. Contact Angle Analysis
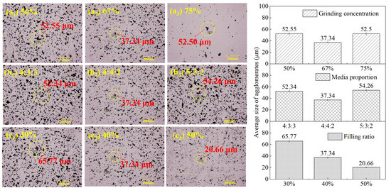
3.5. Hydrophobic Agglomeration
3.6. Effects of Grinding Parameters on Particle Size Distribution and Recovery of the Fine-Ground Galena Products
4. Conclusions
Author Contributions
Funding
Data Availability Statement
Conflicts of Interest
References
- Nayak, A.; Jena, M.S.; Mandre, N.R. Beneficiation of Lead-Zinc Ores—A Review. Miner. Process. Extr. Metall. Rev. 2022, 43, 564–583. [Google Scholar] [CrossRef]
- Zhang, X.W.; Yang, L.S.; Li, Y.H.; Li, H.R.; Wang, W.Y.; Ye, B.X. Impacts of lead/zinc mining and smelting on the environment and human health in China. Environ. Monit. Assess. 2012, 184, 2261–2273. [Google Scholar] [CrossRef] [PubMed]
- Zhang, Z.; Xie, F.; Wang, W. A Review on Lead Extraction from Ore and Spent Lead Paste by Hydrometallurgical Processes. Jom 2024, 76, 5569–5588. [Google Scholar] [CrossRef]
- Li, Q.K.; Du, S.Y.; Gu, G.H.; Wu, L.D.; Wang, Y.H. Utilizing the high intensity conditioning process with a multi-bladed impeller to enhance the flotation of fine-grained galena. Part. Sci. Technol. 2024, 42, 895–907. [Google Scholar] [CrossRef]
- Zhang, X.L.; Wei, H.Q.; Han, Y.X.; Zhou, Z.Y.; Li, W.B. Effect of different mills on the fine grinding characteristics and leaching behaviour of gold ore. Miner. Eng. 2024, 215, 108800. [Google Scholar] [CrossRef]
- Xiao, X.; Zhang, G.W.; Feng, Q.M.; Xiao, S.X.; Huang, L.L.; Zhao, X.; Li, Z.Q. The liberation effect of magnetite fine ground by vertical stirred mill and ball mill. Miner. Eng. 2012, 34, 63–69. [Google Scholar] [CrossRef]
- Kumar, A.; Sahu, R.; Tripathy, S.K. Energy-Efficient Advanced Ultrafine Grinding of Particles Using Stirred Mills—A Review. Energies 2023, 16, 5277. [Google Scholar] [CrossRef]
- Aleksandrova, T.N.; Orlova, A.V.; Taranov, V.A. Current Status of Copper-Ore Processing: A Review. Russ. J. Non-Ferr. Met. 2021, 62, 375–381. [Google Scholar] [CrossRef]
- Du, Y.; Tong, X.; Xie, X.; Lu, Y.; Hua, Z.; Zhang, W. Effects of pyrite on the flotation behavior and electrochemical interaction of different particle sizes of galena in the presence of diethyldithiocarbamate. Sep. Sci. Technol. 2021, 56, 2467–2474. [Google Scholar] [CrossRef]
- Peng, Y.; Grano, S. Dissolution of fine and intermediate sized galena particles and their interactions with iron hydroxide colloids. J. Colloid Interface Sci. 2010, 347, 127–131. [Google Scholar] [CrossRef]
- Peng, Y.J.; Grano, S.; Fornasiero, D.; Ralston, J. Control of grinding conditions in the flotation of galena and its separation from pyrite. Int. J. Miner. Process. 2003, 70, 67–82. [Google Scholar] [CrossRef]
- Lu, Y.L.; Tong, X.; Xie, X.; Yang, B.; Hua, Z.B. Effect of particle size on the oxidation and flotation behavior of galena particles. Physicochem. Probl. Miner. Process. 2019, 55, 208–216. [Google Scholar] [CrossRef]
- Peng, Y.J.; Grano, S. Effect of iron contamination from grinding media on the flotation of sulphide minerals of different particle size. Int. J. Miner. Process. 2010, 97, 1–6. [Google Scholar] [CrossRef]
- Guo, W.; Guo, K.Q.; Xing, Y.W.; Gui, X.H. A Comprehensive Review on Evolution Behavior of Particle Size Distribution During Fine Grinding Process for Optimized Separation Purposes. Miner. Process. Extr. Metall. Rev. 2024. [Google Scholar] [CrossRef]
- Miettinen, T.; Ralston, J.; Fornasiero, D. The limits of fine particle flotation. Miner. Eng. 2010, 23, 420–437. [Google Scholar] [CrossRef]
- Tong, J.Q.; Wu, C.B.; Wang, Y.H.; Tian, J.K.; Li, Z.Y.; Xie, F.; Yao, X.; Zeng, G.S. Effect on Fine Particles Output Characteristics of Ceramic Ball Grinding. Minerals 2023, 13, 1416. [Google Scholar] [CrossRef]
- Wu, C.B.; Chen, Z.L.; Liao, N.N.; Zeng, C.; Wang, Y.H.; Tian, J.K. Enhancing the Grinding Efficiency of a Magnetite Second-Stage Mill through Ceramic Ball Optimization: From Laboratory to Industrial Applications. Minerals 2024, 14, 160. [Google Scholar] [CrossRef]
- Matsanga, N.; Nheta, W.; Chimwani, N. A Review of the Grinding Media in Ball Mills for Mineral Processing. Minerals 2023, 13, 1373. [Google Scholar] [CrossRef]
- Shahbazi, B.; Jafari, M.; Parian, M.; Rosenkranz, J.; Chelgani, S.C. Study on the impacts of media shapes on the performance of tumbling mills—A review. Miner. Eng. 2020, 157, 106490. [Google Scholar] [CrossRef]
- Kutuk, S. Influence of milling parameters on particle size of ulexite material. Powder Technol. 2016, 301, 421–428. [Google Scholar] [CrossRef]
- Chen, X.M.; Peng, Y.J. The effect of regrind mills on the separation of chalcopyrite from pyrite in cleaner flotation. Miner. Eng. 2015, 83, 33–43. [Google Scholar] [CrossRef]
- Hacifazlioglu, H.; Korkmaz, A.V. Performance comparison of stirred media mill and ball (BOND) mill in bauxite grinding. Part. Sci. Technol. 2020, 38, 404–408. [Google Scholar] [CrossRef]
- Samanli, S.; Cuhadaroglu, D.; Kizgut, S. A Simulation Study of Laboratory Scale Ball and Vertical Stirred Mills. Part. Part. Syst. Charact. 2010, 26, 256–264. [Google Scholar] [CrossRef]
- Ma, S.J.; Li, H.J.; Shuai, Z.C.; Yang, J.L.; Deng, X.J.; Xu, W.Z. Research on Grinding Law and Grinding Parameters Optimization of Polymetallic Complex Ores. Minerals 2022, 12, 1283. [Google Scholar] [CrossRef]
- Yuan, C.F.; Wu, C.B.; Fang, X.; Liao, N.N.; Tong, J.Q.; Yu, C. Effect of Slurry Concentration on the Ceramic Ball Grinding Characteristics of Magnetite. Minerals 2022, 12, 1569. [Google Scholar] [CrossRef]
- Jankovic, A. Variables affecting the fine grinding of minerals using stirred mills. Miner. Eng. 2003, 16, 337–345. [Google Scholar] [CrossRef]
- Wang, C.; Deng, J.; Tao, L.M.; Sun, W.; Xiao, Q.F.; Gao, Z.Y. Enhanced flotation of chalcopyrite particles by grinding with short cylinder media. Miner. Eng. 2022, 188, 107827. [Google Scholar] [CrossRef]
- Partyka, T.; Yan, D. Fine grinding in a horizontal ball mill. Miner. Eng. 2007, 20, 320–326. [Google Scholar] [CrossRef]
- Zhao, S.; Evans, T.M.; Zhou, X. Effects of curvature-related DEM contact model on the macro- and micro-mechanical behaviours of granular soils. Geotechnique 2018, 68, 1085–1098. [Google Scholar] [CrossRef]
- Li, Q.; Zhou, J.; Wu, Y.; Yang, Y.; Wang, Y.; Gu, G.; Liu, B. Influence of the impeller structure and operating parameters of a high intensity conditioning system on the flotation of fine-grained pyrite. Miner. Eng. 2025, 228, 109363. [Google Scholar] [CrossRef]
- Yang, J.L.; Shuai, Z.C.; Zhou, W.T.; Ma, S.J. Grinding Optimization of Cassiterite-Polymetallic Sulfide Ore. Minerals 2019, 9, 134. [Google Scholar] [CrossRef]
- Yang, J.L.; Deng, X.J.; Xu, W.Z.; Li, H.J.; Ma, S.J. Study on the Grinding Law of Ball Media for Cassiterite-Polymetallic Sulfide Ore. Minerals 2022, 12, 270. [Google Scholar] [CrossRef]
- He, K.; Jia, M.P.; Sun, F.; Yang, Q.; Wu, B.; Li, X.B.; Meng, C. Simulation of Grinding Media Motion and Collisions in Wet-Operated Accelerator-Mill Using DEM Coupled with CFD. Minerals 2022, 12, 341. [Google Scholar] [CrossRef]
- Puga, A.M.; Govender, N.; Rajamani, R.K. Verification of Polyhedral DEM with Laboratory Grinding Mill Experiments. Kona Powder Part. J. 2022, 39, 208–218. [Google Scholar] [CrossRef]
- Cleary, P.W.; Owen, P. Effect of operating condition changes on the collisional environment in a SAG mill. Miner. Eng. 2019, 132, 297–315. [Google Scholar] [CrossRef]
- Fang, X.; Wu, C.B.; Liao, N.N.; Zhong, J.X.; Duan, X.Q.; Zhu, S.L.; Liu, A.J.; Xiao, K. Investigating the Influence of Medium Size and Ratio on Grinding Characteristics. Minerals 2024, 14, 875. [Google Scholar] [CrossRef]
- Xiaojing, Y.; Jinlin, Y.; Shaojian, M.; Runnan, G. Research on the characteristics of particles size for grinding products with a ball mill at low speed. J. Phys. Conf. Ser. 2021, 2044, 012040. [Google Scholar]
- Xiaojing, Y.; Shaojian, M.; Jinlin, Y.; Pengyan, Z. Crushing characteristics of different minerals by cylindrical ball mill in cascading motion state. J. Phys. Conf. Ser. 2021, 2044, 012142. [Google Scholar]
- Xiaojing, Y.; Shaojian, M.; Linling, J.; Runnan, G. Approach of establishing the grinding population balance kinetic model for cassiterite-polymetallic sulfide ore. Ferroelectrics 2021, 578, 66–80. [Google Scholar]
- Li, Q.; Wu, L.; Yang, Y.; Gu, G.; Wang, Y. The relationship among pyrite fine grinding by stirred ball mill and tumbling ball mill, the properties of the product and the flotation behavior. Miner. Eng. 2025, 229, 109401. [Google Scholar] [CrossRef]
- Gao, Z.Y.; Sun, W.; Hu, Y.H. Mineral cleavage nature and surface energy: Anisotropic surface broken bonds consideration. Trans. Nonferrous Met. Soc. China 2014, 24, 2930–2937. [Google Scholar] [CrossRef]
- Gao, Z.Y.; Sun, W.; Hu, Y.H.; Liu, X.W. Surface energies and appearances of commonly exposed surfaces of scheelite crystal. Trans. Nonferrous Met. Soc. China 2013, 23, 2147–2152. [Google Scholar] [CrossRef]
- Moon, K.S.; Fuerstenau, D.W. Surface crystal chemistry in selective flotation of spodumene (LiAl[SiO3]2) from other aluminosilicates. Int. J. Miner. Process. 2003, 72, 11–24. [Google Scholar] [CrossRef]
- Alvarez, A.; Gutierrez, L.; Laskowski, J.S. Use of polyethylene oxide to improve flotation of fine molybdenite. Miner. Eng. 2018, 127, 232–237. [Google Scholar] [CrossRef]
- Wan, H.; Qu, J.P.; Zhao, L.F.; Bu, X.Z. Improving the flotation performance of fine molybdenite using superhydrophobic magnetic carriers. Miner. Eng. 2025, 224, 109212. [Google Scholar] [CrossRef]















| Title | Value | ||
|---|---|---|---|
| Grinding concentration | 50% | 67% | 75% |
| Media proportion | 5 mm:3 mm:2 mm = 4:3:3 | 5 mm:3 mm:2 mm = 4:4:2 | 5 mm:3 mm:2 mm = 5:3:2 |
| Filling ratio | 30% | 40% | 50% |
| Type of Contact | Steel-Steel | Steel Ball-Cylinder |
|---|---|---|
| Rolling friction coefficient | 0.3 | 0.2 |
| Static friction coefficient | 0.5 | 0.5 |
| Restitution coefficient | 0.15 | 0.15 |
Disclaimer/Publisher’s Note: The statements, opinions and data contained in all publications are solely those of the individual author(s) and contributor(s) and not of MDPI and/or the editor(s). MDPI and/or the editor(s) disclaim responsibility for any injury to people or property resulting from any ideas, methods, instructions or products referred to in the content. |
© 2025 by the authors. Licensee MDPI, Basel, Switzerland. This article is an open access article distributed under the terms and conditions of the Creative Commons Attribution (CC BY) license (https://creativecommons.org/licenses/by/4.0/).
Share and Cite
Guo, M.; Yang, Y.; Yu, S.; Wu, Y.; Gu, G.; Wang, Y.; Li, Q.; Chen, J. Effects of Grinding Parameters on Galena Particle Size Distribution and Flotation Performance. Minerals 2025, 15, 618. https://doi.org/10.3390/min15060618
Guo M, Yang Y, Yu S, Wu Y, Gu G, Wang Y, Li Q, Chen J. Effects of Grinding Parameters on Galena Particle Size Distribution and Flotation Performance. Minerals. 2025; 15(6):618. https://doi.org/10.3390/min15060618
Chicago/Turabian StyleGuo, Mengchi, Yuankun Yang, Shengli Yu, Yanming Wu, Guohua Gu, Yanhong Wang, Qingke Li, and Jianyu Chen. 2025. "Effects of Grinding Parameters on Galena Particle Size Distribution and Flotation Performance" Minerals 15, no. 6: 618. https://doi.org/10.3390/min15060618
APA StyleGuo, M., Yang, Y., Yu, S., Wu, Y., Gu, G., Wang, Y., Li, Q., & Chen, J. (2025). Effects of Grinding Parameters on Galena Particle Size Distribution and Flotation Performance. Minerals, 15(6), 618. https://doi.org/10.3390/min15060618

