L2,1-Norm Regularized Double Non-Negative Matrix Factorization for Hyperspectral Change Detection
Abstract
1. Introduction
- (1)
- We propose a novel -DNMF model, which extracts shared features from bitemporal HSIs to capture the common and invariant structural information across bitemporal HSIs. Unlike existing models, this symmetric structure can equally and simultaneously analyze pre-change and post-change images and directly learn the difference between their feature weight matrices, rather than independently analyzing the images and calculating their difference afterward.
- (2)
- In the proposed model, the robust metric -norm is introduced to model the difference term, which can adaptively balance the sparsity and the convexity. By eliminating the interference of non-zero differential values in unchanged regions, the learned difference image matrix becomes more separable.
- (3)
- The proposed method is not only developed under an unsupervised manner but also can directly achieve the change detection via a simple binary classification on the obtained difference image matrix, which can significantly save the costs of labeling and training.
2. Methodology
2.1. Model Formulation
2.2. Optimization
| Algorithm 1 Proposed -DNMF Change Detection Algorithm |
| Input: Data matrix , , the number of dimension R, and the parameters , . |
| Initialize: , and by the NNDSVD, , and , . |
| Repeat |
| 1. Update by (10). |
| 2. Update by (15). |
| 3. Update by (16). |
| 4. Update by (18). |
| 5. Update Lagrange multipliers as follows: |
| 6. Update by . |
| until Stopping condition is satisfied. |
| Output: The difference image matrix . |
2.3. Creation of Binary Change Masks
3. Experimental Results and Discussion
3.1. Dataset Description
- (1)
- Farmland Dataset: The Farmland dataset depicts the changes that occurred in the farmland near Yancheng City, Jiangsu province, China. As shown in Figure 2a,b, two images were taken on 3 May 2006 and 23 April 2007. After removing noisy and water-absorption bands, this dataset includes 420 × 140 pixels, with 154 spectral bands used for analysis. The real changes in the farmland region are shown in Figure 2c.
- (2)
- River Dataset: The River dataset primarily captures the change in substance of a river in Jiangsu province, China. As presented in Figure 3a,b, the River dataset contains two HSIs taken on 3 May 2013 and 31 December 2013. The size of the image is 463 × 241 pixels, with 198 spectral bands available for analysis after noise removal. The reference changes that occurred in the two images are shown in Figure 3c.
- (3)
- Hermiston Dataset: The Hermiston dataset, presented in Figure 4a,b, was collected in Hermiston, Oregon, United States, on 1 May 2004, and 8 May 2007. Each image has a resolution of 390 × 200 pixels and comprises 242 spectral bands. We removed the uncalibrated bands and conducted experiments using only spectral bands 8 to 57 and 77 to 224. The primary changes in the scene are caused by seasonal variations in crop growth, as depicted in the ground truth images shown in Figure 4c.
3.2. Evaluation Metrics
3.3. Competing Methods and Parameters Setting
3.4. Experimental Results
- (1)
- Experiment on Farmland dataset: The experimental results for the Farmland dataset are presented in Figure 6. In the context of the detection results from the first two traditional methods, we observe a significant amount of red noise points, which are caused by false detections. CVA shows numerous green regions on the change map, indicating that it misses some of the altered areas. IR-MAD demonstrates a stronger ability to detect the changed areas but introduces more red noise points. While ISFA generates a cleaner background by suppressing invariant pixels, it results in many missed detections in the changed areas. The binary change maps obtained using some state-of-the-art modeling methods (e.g., PCA and k-means, SUnSAL-TV, PTCD, and MMPs) generally show superior performance. However, significant change information remains missing, particularly in the middle and lower parts of the change maps, as indicated by the green regions in Figure 7e–h. The DL-based method DSFA uses the CVA pre-detection technique to identify high-confidence unchanged pixels, which are then used as training samples. However, interference from erroneous CVA samples leads to the misdetection of many invariant backgrounds and overlooks some altered regions. The FGDANet method results in fewer green pixels, signifying the best performance in detecting changed areas, though many unchanged pixels marked in red are incorrectly identified as changed. Visually, the -DNMF method exhibits fewer red and green pixels overall, demonstrating its superior ability to accurately detect changes.
- (2)
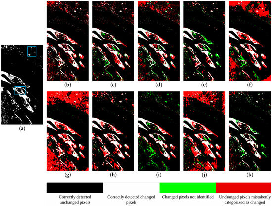
- Experiment on River dataset: The visualization results for the River dataset are shown in Figure 8. The River dataset features numerous small change areas, which are dispersed across the scene. The change maps of CVA, IR-MAD, and ISFA contain numerous redundant red dots, as can be observed. By transforming spatial blocks, the PCA and k-means achieve better performance and reduce the number of red pixels in the background. However, many false detection areas still remain along the change boundaries. SUnSAL-TV and PTCD exhibit severe error detection issues, particularly with a large number of red-marked blocks appearing in the upper and lower-left portions of the change map. MMPs incorrectly detect the margins of changed regions. In DSFA, CVA is used for pre-detection, and an SFA module is employed to suppress unchanged components. Compared to Figure 8b, DSFA performs better by effectively suppressing unchanged pixels. However, some sporadic isolated changed pixels remain overlooked. The change map of FGDANet shows a considerable number of red false detections. In contrast, -DNMF can detect scattered change blocks and effectively identify irregular changes, as shown in Figure 9b–k.
- (3)
- Experiment on Hermiston dataset: The change detection results for the Hermiston dataset are shown in Figure 10. This dataset contains simpler changed regions than the other two, primarily consisting of crop areas with simple circular shapes. Most traditional methods effectively detect the change regions but tend to misidentify some unchanged areas, as indicated by the red markings in Figure 10b,c,e,g,h. ISFA performs better at suppressing background changes, but misses many pixels at the edges of the changes, resulting in a high number of green misdetections. SUnSAL-TV, by incorporating sparse unmixing, effectively extracts change features, but the red unchanged pixels along the change boundaries are not sufficiently separated. Compared to traditional methods, DSFA utilizes pseudolabels obtained through CVA to train a deep network, which extracts deep change features from bitemporal images, achieving better detection results. However, some red noise remains in the background. FGDANet, while capable of identifying circular change areas, mislabels a large number of unchanged blocks. -DNMF can accurately delineate circular change areas with relatively few background misdetections, yielding results closest to the ground truth map.
3.5. Run-Time Cost Analysis
4. Conclusions
Author Contributions
Funding
Data Availability Statement
Conflicts of Interest
Abbreviations
| CD | Change detection |
| HSIs | Hyperspectral images |
| DL | Deep learning |
| CVA | Change vector analysis |
| Compressed CVA | |
| Sequential spectral CVA | |
| PCA | Principal component analysis |
| MAD | Multivariate alteration detection |
| IR-MAD | Iterative reweighted MAD |
| SFA | Slow feature analysis |
| HOSVD | Higher order singular value decomposition |
| PTCD | Patch tensor-based change detection |
| NMF | Non-negative matrix factorization |
| DSFA | Deep SFA |
| D2IAR | Distribution distance based on inconsistent adaptive region |
| FGDANet | Feature mutual representation-based graph domain adaptive network |
| CNNs | Convolutional neural networks |
| ADMM | Alternating direction method of multipliers |
| NNDSVD | Non-negative double singular value decomposition |
| SUnSAL-TV | Sparse unmixing via variable splitting augmented Lagrangian and total variation |
| MMPs | Multiple morphological profiles |
References
- Wang, D.; Ma, G.; Zhang, H.; Wang, X.; Zhang, Y. Refined change detection in heterogeneous low-resolution remote sensing images for disaster emergency response. ISPRS J. Photogramm. Remote Sens. 2025, 220, 139–155. [Google Scholar] [CrossRef]
- Liu, J.; Zhou, W.; Guan, H.; Zhao, W. Similarity learning for land use scene-level change detection. IEEE J. Sel. Top. Appl. Earth Obs. Remote Sens. 2024, 17, 6501–6513. [Google Scholar] [CrossRef]
- Huang, J.; Yuan, X.; Lam, C.T.; Ke, W.; Huang, G. Large kernel convolution application for land cover change detection of remote sensing images. Int. J. Appl. Earth Obs. Geoinf. 2024, 132, 104077. [Google Scholar] [CrossRef]
- Zheng, Z.; Ermon, S.; Kim, D.; Zhang, L.; Zhong, Y. Changen2: Multi-temporal remote sensing generative change foundation model. IEEE Trans. Pattern Anal. Mach. Intell. 2024, 47, 725–741. [Google Scholar] [CrossRef] [PubMed]
- Lv, Z.; Zhong, P.; Wang, W.; You, Z.; Falco, N. Multiscale attention network guided with change gradient image for land cover change detection using remote sensing images. IEEE Geosci. Remote Sens. Lett. 2023, 20, 2501805. [Google Scholar] [CrossRef]
- Song, S.; Zhang, Y.; Yuan, Y. Iterative edge enhancing framework for building change detection. IEEE Geosci. Remote Sens. Lett. 2024, 21, 6002605. [Google Scholar] [CrossRef]
- Wang, J.; Lin, T.; Zhang, C.; Peng, J. FIBTNet: Building change detection for remote sensing images using feature interactive bi-temporal network. Comput. Mater. Contin. 2024, 80, 4621–4641. [Google Scholar] [CrossRef]
- Chen, S.; Shi, W.; Zhou, M.; Zhang, M.; Yu, Y.; Sun, Y.; Guan, L.; Li, S. CDasXORNet: Change detection of buildings from bi-temporal remote sensing images as an XOR problem. Int. J. Appl. Earth Obs. Geoinf. 2024, 130, 103836. [Google Scholar] [CrossRef]
- Zheng, Z.; Zhong, Y.; Wang, J.; Ma, A.; Zhang, L. Building damage assessment for rapid disaster response with a deep object-based semantic change detection framework: From natural disasters to man-made disasters. Remote Sens. Environ. 2021, 265, 112636. [Google Scholar] [CrossRef]
- Zhu, S.; Jing, W.; Kang, P.; Emam, M.; Li, C. Data augmentation and few-shot change detection in forest remote sensing. IEEE J. Sel. Top. Appl. Earth Obs. Remote Sens. 2023, 16, 5919–5934. [Google Scholar] [CrossRef]
- Duan, P.H.; Xie, Z.J.; Kang, X.D.; Li, S.T. Self-supervised learning-based oil spill detection of hyperspectral images. Sci. China Technol. Sci. 2022, 65, 9. [Google Scholar] [CrossRef]
- Cardille, J.A.; Perez, E.; Crowley, M.A.; Wulder, M.A.; White, J.C.; Hermosilla, T. Multi-sensor change detection for within-year capture and labelling of forest disturbance. Remote Sens. Environ. 2022, 268, 112741. [Google Scholar] [CrossRef]
- Ye, Y.; Wang, M.; Zhou, L.; Lei, G.; Fan, J.; Qin, Y. Adjacent-level feature cross-fusion with 3-D CNN for remote sensing image change detection. IEEE Trans. Geosci. Remote Sens. 2023, 61, 5618214. [Google Scholar] [CrossRef]
- Qu, J.; Dong, W.; Yang, Y.; Zhang, T.; Li, Y.; Du, Q. Cycle-refined multidecision joint alignment network for unsupervised domain adaptive hyperspectral change detection. IEEE Trans. Neural Netw. Learn. Syst. 2025, 36, 2634–2647. [Google Scholar] [CrossRef] [PubMed]
- Wen, X.; Yang, X. Change detection from remote sensing imageries using spectral change vector analysis. In Proceedings of the 2009 Asia-Pacific Conference on Information Processing, Shenzhen, China, 18–19 July 2009; Volume 2, pp. 189–192. [Google Scholar]
- Bovolo, F.; Marchesi, S.; Bruzzone, L. A framework for automatic and unsupervised detection of multiple changes in multitemporal images. IEEE Trans. Geosci. Remote Sens. 2012, 50, 2196–2212. [Google Scholar] [CrossRef]
- Liu, S.; Bruzzone, L.; Bovolo, F.; Zanetti, M.; Du, P. Sequential spectral change vector analysis for iteratively discovering and detecting multiple changes in hyperspectral images. IEEE Trans. Geosci. Remote Sens. 2015, 53, 4363–4378. [Google Scholar] [CrossRef]
- Deng, J.S.; Wang, K.; Deng, Y.H.; Qi, G.J. PCA-based land-use change detection and analysis using multitemporal and multisensor satellite data. Int. J. Remote. Sens. 2008, 29, 4823–4838. [Google Scholar] [CrossRef]
- Nielsen, A.A.; Conradsen, K.; Simpson, J.J. Multivariate alteration detection (MAD) and MAF postprocessing in multispectral, bitemporal Image data: New approaches to change detection studies. Remote Sens. Environ. 1998, 64, 1–19. [Google Scholar] [CrossRef]
- Nielsen, A.A. The regularized iteratively reweighted MAD method for change detection in multi- and hyperspectral data. IEEE Trans. Image Process. 2007, 16, 463–478. [Google Scholar] [CrossRef] [PubMed]
- Wu, C.; Du, B.; Zhang, L. Slow feature analysis for change detection in multispectral imagery. IEEE Trans. Geosci. Remote Sens. 2014, 52, 2858–2874. [Google Scholar] [CrossRef]
- Wu, C.; Du, B.; Cui, X.; Zhang, L. A post-classification change detection method based on iterative slow feature analysis and bayesian soft fusion. Remote Sens. Environ. 2017, 199, 241–255. [Google Scholar] [CrossRef]
- Çelik, T. Unsupervised change detection in satellite images using principal component analysis and k-means clustering. IEEE Geosci. Remote Sens. Lett. 2009, 6, 772–776. [Google Scholar] [CrossRef]
- Chen, Z.; Wang, B.; Niu, Y.; Xia, W.; Zhang, J.Q.; Hu, B. Change detection for hyperspectral images based on tensor analysis. In Proceedings of the 2015 IEEE International Geoscience and Remote Sensing Symposium (IGARSS), Milan, Italy, 26–31 July 2015; pp. 1662–1665. [Google Scholar]
- Hou, Z.; Li, W.; Du, Q. A patch tensor-cased change detection method for hyperspectral images. In Proceedings of the 2021 IEEE International Geoscience and Remote Sensing Symposium (IGARSS), Brussels, Belgium, 11–16 July 2021; pp. 4328–4331. [Google Scholar]
- Wu, C.; Du, B.; Zhang, L. Hyperspectral anomalous change detection based on joint sparse representation. ISPRS J. Photogramm. Remote Sens. 2018, 146, 137–150. [Google Scholar] [CrossRef]
- Du, Q.; Wasson, L.; King, R. Unsupervised linear unmixing for change detection in multitemporal airborne hyperspectral imagery. In Proceedings of the International Workshop on the Analysis of Multi-Temporal Remote Sensing Images, Biloxi, MS, USA, 16–18 May 2005; pp. 136–140. [Google Scholar]
- Ertürk, A.; Iordache, M.D.; Plaza, A. Sparse unmixing-based change detection for multitemporal hyperspectral images. IEEE J. Sel. Top. Appl. Earth Obs. Remote Sens. 2016, 9, 708–719. [Google Scholar] [CrossRef]
- Ertürk, A.; Iordache, M.D.; Plaza, A. Sparse unmixing with dictionary pruning for hyperspectral change detection. IEEE J. Sel. Top. Appl. Earth Obs. Remote Sens. 2017, 10, 321–330. [Google Scholar] [CrossRef]
- Ertürk, A. Constrained nonnegative matrix factorization for hyperspectral change detection. In Proceedings of the 2020 Mediterranean and Middle-East Geoscience and Remote Sensing Symposium (M2GARSS), Tunis, Tunisia, 9–11 March 2020; pp. 49–52. [Google Scholar]
- Dong, W.; Zhao, J.; Qu, J.; Xiao, S.; Li, N.; Hou, S.; Li, Y. Abundance matrix correlation analysis network based on hierarchical multihead self-cross-hybrid attention for hyperspectral change detection. IEEE Trans. Geosci. Remote Sens. 2023, 61, 5501513. [Google Scholar] [CrossRef]
- Du, B.; Ru, L.; Wu, C.; Zhang, L. Unsupervised deep slow feature analysis for change detection in multi-temporal remote sensing images. IEEE Trans. Geosci. Remote Sens. 2019, 57, 9976–9992. [Google Scholar] [CrossRef]
- Lv, Z.; Lei, Z.; Xie, L.; Falco, N.; Shi, C.; You, Z. Novel distribution distance based on inconsistent adaptive region for change detection using hyperspectral remote sensing images. IEEE Trans. Geosci. Remote Sens. 2024, 62, 4404912. [Google Scholar] [CrossRef]
- Qu, J.; Zhao, J.; Dong, W.; Xiao, S.; Li, Y.; Du, Q. Feature mutual representation-based graph domain adaptive network for unsupervised hyperspectral change detection. IEEE Trans. Geosci. Remote Sens. 2024, 62, 5501214. [Google Scholar] [CrossRef]
- Li, Q.; Mu, T.; Tuniyazi, A.; Yang, Q.; Dai, H. Progressive pseudo-label framework for unsupervised hyperspectral change detection. Int. J. Appl. Earth Obs. Geoinf. 2024, 127, 103663. [Google Scholar] [CrossRef]
- Li, W.; Shi, X. A Gradient-Based Algorithm with Nonmonotone Line Search for Nonnegative Matrix Factorization. Symmetry 2024, 16, 154. [Google Scholar] [CrossRef]
- Lee, D.D.; Seung, H.S. Algorithms for non-negative matrix factorization. In Proceedings of the 14th International Conference on Neural Information Processing Systems, Denver, CO, USA, 1 January 2000; pp. 535–541. [Google Scholar]
- Deng, Y.J.; Yang, M.L.; Li, H.C.; Long, C.F.; Fang, K.; Du, Q. Feature Dimensionality Reduction with L2,p-Norm-Based Robust Embedding Regression for Classification of Hyperspectral Images. IEEE Trans. Geosci. Remote Sens. 2024, 62, 5509314. [Google Scholar] [CrossRef]
- Boyd, S.; Parikh, N.; Chu, E.; Peleato, B.; Eckstein, J. Distributed optimization and statistical learning via the alternating direction method of multipliers. Found. Trends Mach. Learn. 2011, 3, 1–122. [Google Scholar] [CrossRef]
- Boyd, S.; Vandenberghe, L. Convex Optimization; Cambridge University Press: Cambridge, UK, 2004. [Google Scholar]
- Yang, J.; Yin, W.; Zhang, Y.; Wang, Y. A fast algorithm for edge-preserving variational multichannel image restoration. SIAM J. Imaging Sci. 2009, 2, 569–592. [Google Scholar] [CrossRef]
- Boutsidis, C.; Gallopoulos, E. SVD based initialization: A head start for nonnegative matrix factorization. Pattern Recognit. 2008, 41, 1350–1362. [Google Scholar] [CrossRef]
- Henry, P.; Chander, G.; Fougnie, B.; Thomas, C.; Xiong, X. Assessment of spectral band impact on intercalibration over desert sites using simulation based on EO-1 hyperion data. IEEE Trans. Geosci. Remote Sens. 2013, 51, 1297–1308. [Google Scholar] [CrossRef]
- Hou, Z.; Li, W.; Li, L.; Tao, R.; Du, Q. Hyperspectral change detection based on multiple morphological profiles. IEEE Trans. Geosci. Remote Sens. 2022, 60, 5507312. [Google Scholar] [CrossRef]











| Metrics | CVA | IR-MAD | ISFA | PCA and k-Means | SUnSAL-TV | PTCD | MMPs | DSFA | FGDANet | -DNMF |
|---|---|---|---|---|---|---|---|---|---|---|
| OA | 0.8748 | 0.8899 | 0.8408 | 0.8825 | 0.9202 | 0.8997 | 0.8902 | 0.7049 | 0.9008 | 0.9255 |
| KC | 0.6996 | 0.7521 | 0.5825 | 0.7129 | 0.8133 | 0.7573 | 0.7452 | 0.4091 | 0.7781 | 0.8277 |
| Acc-chg | 0.7435 | 0.8845 | 0.5388 | 0.7252 | 0.8633 | 0.7695 | 0.8286 | 0.8249 | 0.9146 | 0.8919 |
| Acc-un | 0.9345 | 0.8924 | 0.9781 | 0.9540 | 0.9460 | 0.9589 | 0.9183 | 0.6503 | 0.8945 | 0.9408 |
| Metrics | CVA | IR-MAD | ISFA | PCA and k-Means | SUnSAL-TV | PTCD | MMPs | DSFA | FGDANet | -DNMF |
|---|---|---|---|---|---|---|---|---|---|---|
| OA | 0.9264 | 0.9368 | 0.9078 | 0.9508 | 0.8312 | 0.7287 | 0.9250 | 0.9438 | 0.7998 | 0.9584 |
| KC | 0.6563 | 0.6590 | 0.5622 | 0.6901 | 0.3743 | 0.2800 | 0.6475 | 0.6414 | 0.3441 | 0.7340 |
| Acc-chg | 0.9627 | 0.8219 | 0.8303 | 0.7176 | 0.8021 | 0.9575 | 0.9449 | 0.6623 | 0.8685 | 0.7441 |
| Acc-un | 0.9229 | 0.9477 | 0.9152 | 0.9730 | 0.8340 | 0.7070 | 0.9231 | 0.9706 | 0.7933 | 0.9788 |
| Metrics | CVA | IR-MAD | ISFA | PCA and k-Means | SUnSAL-TV | PTCD | MMPs | DSFA | FGDANet | -DNMF |
|---|---|---|---|---|---|---|---|---|---|---|
| OA | 0.9774 | 0.9798 | 0.9855 | 0.9681 | 0.9846 | 0.9785 | 0.9595 | 0.9858 | 0.8677 | 0.9874 |
| KC | 0.9010 | 0.9115 | 0.9328 | 0.8653 | 0.9324 | 0.9054 | 0.8349 | 0.9369 | 0.5763 | 0.9434 |
| Acc-chg | 0.9354 | 0.9448 | 0.9056 | 0.9481 | 0.9643 | 0.9393 | 0.9565 | 0.9567 | 0.9499 | 0.9457 |
| Acc-un | 0.9836 | 0.9850 | 0.9972 | 0.9710 | 0.9876 | 0.9842 | 0.9600 | 0.9900 | 0.8557 | 0.9935 |
| Datasets | Methods | |||||||||
|---|---|---|---|---|---|---|---|---|---|---|
| CVA | IR-MAD | ISFA | PCA and -Means | SUnSAL-TV | PTCD | MMPs | DSFA | FGDANet | -DNMF | |
| Farmland | 0.0490 | 0.5040 | 0.6600 | 2.1708 | 1195.0104 | 18.5293 | 16.7570 | 25.5424 | 890.4466 | 2.1667 |
| River | 0.1230 | 0.9350 | 1.4727 | 14.5648 | 3788.9690 | 15.0423 | 30.8500 | 16.9339 | 918.5325 | 9.0348 |
| Hermiston | 0.1350 | 0.9201 | 1.0861 | 4.5966 | 1974.8775 | 154.1014 | 11.5560 | 19.5438 | 898.6820 | 4.1523 |
Disclaimer/Publisher’s Note: The statements, opinions and data contained in all publications are solely those of the individual author(s) and contributor(s) and not of MDPI and/or the editor(s). MDPI and/or the editor(s) disclaim responsibility for any injury to people or property resulting from any ideas, methods, instructions or products referred to in the content. |
© 2025 by the authors. Licensee MDPI, Basel, Switzerland. This article is an open access article distributed under the terms and conditions of the Creative Commons Attribution (CC BY) license (https://creativecommons.org/licenses/by/4.0/).
Share and Cite
Zhu, X.-H.; Li, M.-T.; Deng, Y.-J.; Luo, X.; Shen, L.-M.; Long, C.-F. L2,1-Norm Regularized Double Non-Negative Matrix Factorization for Hyperspectral Change Detection. Symmetry 2025, 17, 304. https://doi.org/10.3390/sym17020304
Zhu X-H, Li M-T, Deng Y-J, Luo X, Shen L-M, Long C-F. L2,1-Norm Regularized Double Non-Negative Matrix Factorization for Hyperspectral Change Detection. Symmetry. 2025; 17(2):304. https://doi.org/10.3390/sym17020304
Chicago/Turabian StyleZhu, Xing-Hui, Meng-Ting Li, Yang-Jun Deng, Xu Luo, Lu-Ming Shen, and Chen-Feng Long. 2025. "L2,1-Norm Regularized Double Non-Negative Matrix Factorization for Hyperspectral Change Detection" Symmetry 17, no. 2: 304. https://doi.org/10.3390/sym17020304
APA StyleZhu, X.-H., Li, M.-T., Deng, Y.-J., Luo, X., Shen, L.-M., & Long, C.-F. (2025). L2,1-Norm Regularized Double Non-Negative Matrix Factorization for Hyperspectral Change Detection. Symmetry, 17(2), 304. https://doi.org/10.3390/sym17020304

