Dispersing and Sonoporating Biofilm-Associated Bacteria with Sonobactericide
Abstract
1. Introduction
2. Materials and Methods
2.1. Bacterial Isolate Handling and Characterization
2.2. Biofilm Formation
2.3. Biofilm Antibiotic Response Assay
2.4. Microbubble Preparation
2.5. Experimental Sonobactericide Set-Up
2.6. Experimental Sonobactericide Protocol
2.7. Fluorescence Image Analysis
2.8. Statistics
3. Results
3.1. Isolate Characterization and Biofilm Confirmation
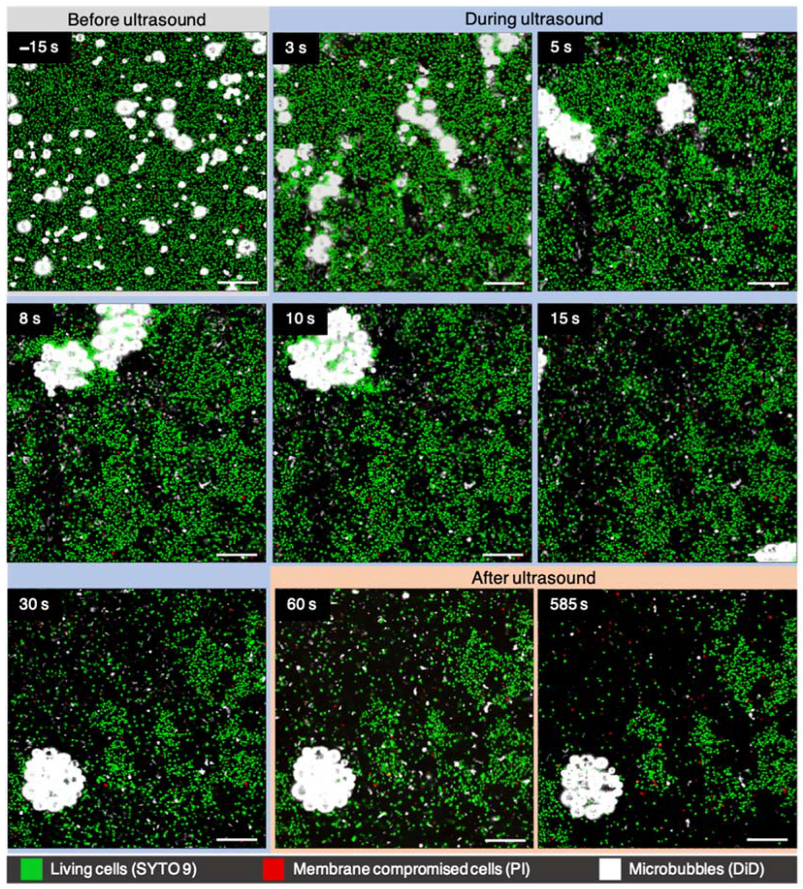
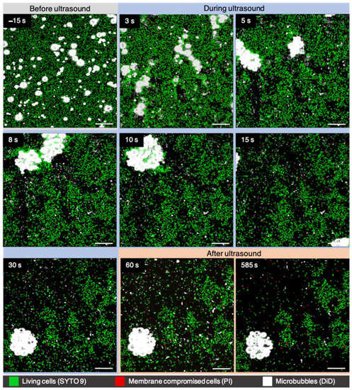
3.2. Sonobactericide
4. Discussion
5. Conclusions
Supplementary Materials
Author Contributions
Funding
Institutional Review Board Statement
Informed Consent Statement
Data Availability Statement
Acknowledgments
Conflicts of Interest
References
- Wenzel, R.P. Health Care–Associated Infections: Major Issues in the Early Years of the 21st Century. Clin. Infect. Dis. 2007, 45, S85–S88. [Google Scholar] [CrossRef] [PubMed]
- Pinto, H.; Simões, M.; Borges, A. Prevalence and Impact of Biofilms on Bloodstream and Urinary Tract Infections: A Systematic Review and Meta-Analysis. Antibiotics 2021, 10, 825. [Google Scholar] [CrossRef] [PubMed]
- Lewis, K. Persister Cells, Dormancy and Infectious Disease. Nat. Rev. Microbiol. 2007, 5, 48–56. [Google Scholar] [CrossRef] [PubMed]
- The National Institutes of Health. SBIR/STTR Study and Control of Biofilms Research; The National Institutes of Health: Bethesda, ML, USA, 1999. [Google Scholar]
- Ito, A.; Taniuchi, A.; May, T.; Kawata, K.; Okabe, S. Increased Antibiotic Resistance of Escherichia coli in Mature Biofilms. Appl. Environ. Microbiol. 2009, 75, 4093–4100. [Google Scholar] [CrossRef] [PubMed]
- Lebeaux, D.; Ghigo, J.-M.; Beloin, C. Biofilm-Related Infections: Bridging the Gap between Clinical Management and Fundamental Aspects of Recalcitrance toward Antibiotics. Microbiol. Mol. Biol. Rev. 2014, 78, 510. [Google Scholar] [CrossRef]
- Lattwein, K.R.; Shekhar, H.; Kouijzer, J.J.P.; van Wamel, W.J.B.; Holland, C.K.; Kooiman, K. Sonobactericide: An Emerging Treatment Strategy for Bacterial Infections. Ultrasound Med. Biol. 2020, 46, 193–215. [Google Scholar] [CrossRef]
- Fan, Z.; Kumon, R.E.; Deng, C.X. Mechanisms of Microbubble-facilitated Sonoporation for Drug and Gene Delivery. Ther. Deliv. 2014, 5, 467–486. [Google Scholar] [CrossRef]
- Kooiman, K.; Roovers, S.; Langeveld, S.A.G.; Kleven, R.T.; Dewitte, H.; O’Reilly, M.A.; Escoffre, J.-M.; Bouakaz, A.; Verweij, M.D.; Hynynen, K.; et al. Ultrasound-Responsive Cavitation Nuclei for Therapy and Drug Delivery. Ultrasound Med. Biol. 2020, 46, 1296–1325. [Google Scholar] [CrossRef]
- Beekers, I.; Vegter, M.; Lattwein, K.R.; Mastik, F.; Beurskens, R.; van der Steen, A.F.W.; de Jong, N.; Verweij, M.D.; Kooiman, K. Opening of Endothelial Cell–cell Contacts due to Sonoporation. J. Control. Release 2020, 322, 426–438. [Google Scholar] [CrossRef]
- Deprez, J.; Lajoinie, G.; Engelen, Y.; De Smedt, S.C.; Lentacker, I. Opening Doors with Ultrasound and Microbubbles: Beating Biological Barriers to Promote Drug Delivery. Adv. Drug Deliv. Rev. 2021, 172, 9–36. [Google Scholar] [CrossRef]
- Roovers, S.; Segers, T.; Lajoinie, G.; Deprez, J.; Versluis, M.; De Smedt, S.C.; Lentacker, I. The Role of Ultrasound-Driven Microbubble Dynamics in Drug Delivery: From Microbubble Fundamentals to Clinical Translation. Langmuir 2019, 35, 10173–10191. [Google Scholar] [CrossRef] [PubMed]
- Hu, Y.; Wan, J.M.F.; Yu, A.C.H. Membrane Perforation and Recovery Dynamics in Microbubble-Mediated Sonoporation. Ultrasound Med. Biol. 2013, 39, 2393–2405. [Google Scholar] [CrossRef] [PubMed]
- Van Rooij, T.; Skachkov, I.; Beekers, I.; Lattwein, K.R.; Voorneveld, J.D.; Kokhuis, T.J.A.; Bera, D.; Luan, Y.; van der Steen, A.F.W.; de Jong, N.; et al. Viability of Endothelial Cells after Ultrasound-mediated Sonoporation: Influence of Targeting, Oscillation, and Displacement of Microbubbles. J. Control. Release 2016, 238, 197–211. [Google Scholar] [CrossRef] [PubMed]
- Giesbrecht, P.; Kersten, T.; Maidhof, H.; Wecke, J. Staphylococcal Cell Wall: Morphogenesis and Fatal Variations in the Presence of Penicillin. Microbiol. Mol. Biol. Rev. 1998, 62, 1371–1414. [Google Scholar] [CrossRef]
- Koch, A.L.; Pinette, M.F. Nephelometric Determination of Turgor Pressure in Growing Gram-negative Bacteria. J. Bacteriol. 1987, 169, 3654–3663. [Google Scholar] [CrossRef]
- Kouijzer, J.J.P.; Lattwein, K.R.; Beekers, I.; Langeveld, S.A.G.; Leon-Grooters, M.; Strub, J.-M.; Oliva, E.; Mislin, G.L.A.; de Jong, N.; van der Steen, A.F.W.; et al. Vancomycin-decorated Microbubbles as a Theranostic Agent for Staphylococcus aureus Biofilms. Int. J. Pharm. 2021, 609, 121154. [Google Scholar] [CrossRef]
- Durham, P.G.; Sidders, A.E.; Beam, J.E.; Kedziora, K.M.; Dayton, P.A.; Conlon, B.P.; Papadopoulou, V.; Rowe, S.E. Harnessing Ultrasound-stimulated Phase Change Contrast Agents to Improve Antibiotic Efficacy against Methicillin-resistant Staphylococcus aureus Biofilms. Biofilm 2021, 3, 100049. [Google Scholar] [CrossRef]
- Forsberg, F.; Curry, D.; Machado, P.; Zhao, N.; Stanczak, M.; Eisenbrey, J.R.; Schaer, T.P.; Hickok, N.J. Ultrasound Triggered Microbubble Destruction for Disrupting Biofilms in Synovial Fluid. In Proceedings of the 2020 IEEE International Ultrasonics Symposium (IUS), Las Vegas, NV, USA, 7–11 September 2020; pp. 1–4. [Google Scholar]
- Guo, H.; Wang, Z.; Du, Q.; Li, P.; Wang, Z.; Wang, A. Stimulated Phase-shift Acoustic Manodroplets Enhance Vancomycin Efficacy against Methicillin-resistant Staphylococcus aureus Biofilms. Int. J. Nanomed. 2017, 12, 4679–4690. [Google Scholar] [CrossRef]
- Lattwein, K.R.; Shekhar, H.; van Wamel, W.J.B.; Gonzalez, T.; Herr, A.B.; Holland, C.K.; Kooiman, K. An In Vitro Proof-of-Principle Study of Sonobactericide. Sci. Rep. 2018, 8, 3411. [Google Scholar] [CrossRef]
- Zhou, H.; Fang, S.-y.; Kong, R.; Zhang, W.; Wu, K.; Xia, R.; Shang, X.; Zhu, C. Effect of Low Frequency Ultrasound Plus Fluorescent Composite Carrier in the Diagnosis and Treatment of Methicillin-resistant Staphylococcus aureus Biofilm Infection of Bone Joint Implant. Eur. Rev. Med. Pharmacol. Sci. 2017, 21, 4263–4269. [Google Scholar]
- Zhu, C.; He, N.; Cheng, T.; Tan, H.; Guo, Y.; Chen, D.; Cheng, M.; Yang, Z.; Zhang, X. Ultrasound-Targeted Microbubble Destruction Enhances Human β-Defensin 3 Activity Against Antibiotic-Resistant Staphylococcus Biofilms. Inflammation 2013, 36, 983–996. [Google Scholar] [CrossRef] [PubMed]
- Li, S.; Zhu, C.; Fang, S.; Zhang, W.; He, N.; Xu, W.; Kong, R.; Shang, X. Ultrasound Microbubbles Enhance Human β-Defensin 3 against Biofilms. J. Surg. Res. 2015, 199, 458–469. [Google Scholar] [CrossRef] [PubMed]
- Caudwell, J.A.; Tinkler, J.M.; Johnson, B.R.G.; McDowall, K.J.; Alsulaimani, F.; Tiede, C.; Tomlinson, D.C.; Freear, S.; Turnbull, W.B.; Evans, S.D.; et al. Protein-Conjugated Microbubbles for the Selective Targeting of S. aureus Biofilms. Biofilm 2022, 4, 100074. [Google Scholar] [CrossRef] [PubMed]
- Tong, S.Y.; Davis, J.S.; Eichenberger, E.; Holland, T.L.; Fowler, V.G., Jr. Staphylococcus aureus Infections: Epidemiology, Pathophysiology, Clinical Manifestations, and Management. Clin. Microbiol. Rev. 2015, 28, 603–661. [Google Scholar] [CrossRef] [PubMed]
- Slingerland, B.; Vos, M.C.; Bras, W.; Kornelisse, R.F.; De Coninck, D.; van Belkum, A.; Reiss, I.K.M.; Goessens, W.H.F.; Klaassen, C.H.W.; Verkaik, N.J. Whole-Genome Sequencing to Explore Nosocomial Transmission and Virulence in Neonatal Methicillin-Susceptible Staphylococcus aureus Bacteremia. Antimicrob. Resist. Infect. Control 2020, 9, 39. [Google Scholar] [CrossRef]
- Harmsen, D.; Claus, H.; Witte, W.; Rothgänger, J.; Claus, H.; Turnwald, D.; Vogel, U. Typing of Methicillin-Resistant Staphylococcus aureus in a University Hospital Setting by Using Novel Software for spa Repeat Determination and Database Management. J. Clin. Microbiol. 2003, 41, 5442. [Google Scholar] [CrossRef] [PubMed]
- Sultan, A.R.; Swierstra, J.W.; Lemmens-den Toom, N.A.; Snijders, S.V.; Hansenová Maňásková, S.; Verbon, A.; van Wamel, W.J.B. Production of Staphylococcal Complement Inhibitor (SCIN) and Other Immune Modulators during the Early Stages of Staphylococcus aureus Biofilm Formation in a Mammalian Cell Culture Medium. Infect. Immun. 2018, 86, e00352-18. [Google Scholar] [CrossRef]
- Shukla, S.K.; Rao, T.S. An Improved Crystal Violet Assay for Biofilm Quantification in 96-Well Microtitre Plate. bioRxiv 2017, 100214. [Google Scholar] [CrossRef]
- Boulos, L.; Prévost, M.; Barbeau, B.; Coallier, J.; Desjardins, R. LIVE/DEAD® BacLight™: Application of a New Rapid Staining Method for Direct Enumeration of Viable and Total Bacteria in Drinking Water. J. Microbiol. Methods 1999, 37, 77–86. [Google Scholar] [CrossRef]
- Cornett, J.B.; Shockman, G.D. Cellular Lysis of Streptococcus faecalis Induced with Triton X-100. J. Bacteriol. 1978, 135, 153–160. [Google Scholar] [CrossRef]
- Klibanov, A.L.; Rasche, P.T.; Hughes, M.S.; Wojdyla, J.K.; Galen, K.P.; Wible, J.H., Jr.; Brandenburger, G.H. Detection of Individual Microbubbles of Ultrasound Contrast Agents: Imaging of Free-Floating and Targeted Bubbles. Investig. Radiol. 2004, 39, 187–195. [Google Scholar] [CrossRef] [PubMed]
- Beekers, I.; Lattwein, K.R.; Kouijzer, J.J.P.; Langeveld, S.A.G.; Vegter, M.; Beurskens, R.; Mastik, F.; Verduyn Lunel, R.; Verver, E.; van der Steen, A.F.W.; et al. Combined Confocal Microscope and Brandaris 128 Ultra-High-Speed Camera. Ultrasound Med. Biol. 2019, 45, 2575–2582. [Google Scholar] [CrossRef] [PubMed]
- Kremkau, F.W. General Principles of Echhocardiography. In ASE’s Comprehensive Echocardiography; Elsevier: Amsterdam, The Netherlands, 2015. [Google Scholar]
- Carovac, A.; Smajlovic, F.; Junuzovic, D. Application of ultrasound in medicine. Acta Inform. Med. 2011, 19, 168–171. [Google Scholar] [CrossRef] [PubMed]
- Baxter Healthcare Corporation. Oxacillin Injection, USP, Data Safety Label; Baxter Healthcare Corporation: Deerfield, IL, USA, 2015. [Google Scholar]
- Kashif, A.; McClure, J.-A.; Lakhundi, S.; Pham, M.; Chen, S.; Conly, J.M.; Zhang, K. Staphylococcus aureus ST398 Virulence Is Associated With Factors Carried on Prophage ϕSa3. Front. Microbiol. 2019, 10, 2219. [Google Scholar] [CrossRef] [PubMed]
- Bouiller, K.; Gbaguidi-Haore, H.; Hocquet, D.; Cholley, P.; Bertrand, X.; Chirouze, C. Clonal Complex 398 Methicillin-Susceptible Staphylococcus aureus Bloodstream Infections are Associated with High Mortality. Clin. Microbiol. Infect. 2016, 22, 451–455. [Google Scholar] [CrossRef] [PubMed]
- Brunel, A.-S.; Bañuls, A.-L.; Marchandin, H.; Bouzinbi, N.; Morquin, D.; Jumas-Bilak, E.; Corne, P. Methicillin-sensitive Staphylococcus aureus CC398 in Intensive Care Unit, France. Emerg. Infect. Dis. 2014, 20, 1511–1515. [Google Scholar] [CrossRef] [PubMed]
- Bonnet, I.; Millon, B.; Meugnier, H.; Vandenesch, F.; Maurin, M.; Pavese, P.; Boisset, S. High Prevalence of Spa Type t571 among Methicillin-Susceptible Staphylococcus aureus from Bacteremic Patients in a French University Hospital. PLoS ONE 2018, 13, e0204977. [Google Scholar] [CrossRef] [PubMed]
- Price, L.B.; Stegger, M.; Hasman, H.; Aziz, M.; Larsen, J.; Andersen, P.S.; Pearson, T.; Waters, A.E.; Foster, J.T.; Schupp, J.; et al. Staphylococcus aureus CC398: Host Adaptation and Emergence of Methicillin Resistance in Livestock. mBio 2012, 3, e00305-11. [Google Scholar] [CrossRef]
- Uhlemann, A.C.; Porcella, S.F.; Trivedi, S.; Sullivan, S.B.; Hafer, C.; Kennedy, A.D.; Barbian, K.D.; McCarthy, A.J.; Street, C.; Hirschberg, D.L.; et al. Identification of a Highly Transmissible Animal-Independent Staphylococcus aureus ST398 clone with Distinct Genomic and cell Adhesion Properties. mBio 2012, 3, e00027-12. [Google Scholar] [CrossRef]
- Valentin-Domelier, A.-S.; Girard, M.; Bertrand, X.; Violette, J.; François, P.; Donnio, P.-Y.; Talon, D.; Quentin, R.; Schrenzel, J.; van der Mee-Marquet, N.; et al. Methicillin-susceptible ST398 Staphylococcus aureus Responsible for Bloodstream Infections: An Emerging Human-Adapted Subclone? PLoS ONE 2011, 6, e28369. [Google Scholar] [CrossRef]
- Van der Mee-Marquet, N.; Francois, P.; Domelier-Valentin, A.S.; Coulomb, F.; Decreux, C.; Hombrock-Allet, C.; Lehiani, O.; Neveu, C.; Ratovohery, D.; Schrenzel, J.; et al. Emergence of Unusual Bloodstream Infections Associated with Pig-Borne-Like Staphylococcus aureus ST398 in France. Clin. Infect. Dis. 2011, 52, 152–153. [Google Scholar] [CrossRef] [PubMed][Green Version]
- Schermelleh, L.; Heintzmann, R.; Leonhardt, H. A Guide to Super-Resolution Fluorescence Microscopy. J. Cell Biol. 2010, 190, 165–175. [Google Scholar] [CrossRef] [PubMed]
- Yang, F.; Gu, N.; Chen, D.; Xi, X.; Zhang, D.; Li, Y.; Wu, J. Experimental Study on Cell Self-Sealing During Sonoporation. J. Control. Release 2008, 131, 205–210. [Google Scholar] [CrossRef] [PubMed]
- Cheng, P.; Ingrid, W.; Robert, E.P. Femtosecond Near-Infrared Opto-Injection of Single Living Cells: Pore Size in Dependence of Laser Intensity. In Proceedings of the International Society for Optics and Photonics, Optical Interactions with Tissue and Cells XVII, San Jose, CA, USA, 23–25 January 2006; p. 608413. [Google Scholar] [CrossRef]
- Vollmer, A.C.; Kwakye, S.; Halpern, M.; Everbach, E.C. Bacterial Stress Responses to 1-Megahertz Pulsed Ultrasound in the Presence of Microbubbles. Appl. Environ. Microbiol. 1998, 64, 3927–3931. [Google Scholar] [CrossRef]
- Dong, Y.; Chen, S.; Wang, Z.; Peng, N.; Yu, J. Synergy of Ultrasound Microbubbles and Vancomycin against Staphylococcus epidermidis Biofilm. J. Antimicrob. Chemother. 2013, 68, 816–826. [Google Scholar] [CrossRef]
- Dong, Y.; Xu, Y.; Li, P.; Wang, C.; Cao, Y.; Yu, J. Antibiofilm Effect of Ultrasound Combined with Microbubbles against Staphylococcus epidermidis Biofilm. Int. J. Med. Microbiol. 2017, 307, 321–328. [Google Scholar] [CrossRef]
- Marks, L.R.; Davidson, B.A.; Knight, P.R.; Hakansson, A.P. Interkingdom Signaling Induces Streptococcus pneumoniae Biofilm Dispersion and Transition from Asymptomatic Colonization to Disease. mBio 2013, 4, e00438-13. [Google Scholar] [CrossRef]
- Chua, S.L.; Liu, Y.; Yam, J.K.H.; Chen, Y.; Vejborg, R.M.; Tan, B.G.C.; Kjelleberg, S.; Tolker-Nielsen, T.; Givskov, M.; Yang, L. Dispersed Cells Represent a Distinct Stage in the Transition from Bacterial Biofilm to Planktonic Lifestyles. Nat. Commun. 2014, 5, 4462. [Google Scholar] [CrossRef]
- Connolly, K.L.; Roberts, A.L.; Holder, R.C.; Reid, S.D. Dispersal of Group A Streptococcal Biofilms by the Cysteine Protease SpeB Leads to Increased Disease Severity in a Murine Model. PLoS ONE 2011, 6, e18984. [Google Scholar] [CrossRef]
- Wille, J.; Coenye, T. Biofilm Dispersion: The Key to Biofilm Eradication or Opening Pandora’s Box? Biofilm 2020, 2, 100027. [Google Scholar] [CrossRef]
- Alzaraa, A.; Gravante, G.; Chung, W.Y.; Al-Leswas, D.; Bruno, M.; Dennison, A.R.; Lloyd, D.M. Targeted Microbubbles in the Experimental and Clinical Setting. Am. J. Surg. 2012, 204, 355–366. [Google Scholar] [CrossRef] [PubMed]
- Dong, Y.; Li, J.; Li, P.; Yu, J. Ultrasound Microbubbles Enhance the Activity of Vancomycin against Staphylococcus epidermidis Biofilms In Vivo. J. Ultrasound Med. 2018, 37, 1379–1387. [Google Scholar] [CrossRef] [PubMed]
- Van Rooij, T.; Beekers, I.; Lattwein, K.R.; van der Steen, A.F.; de Jong, N.; Kooiman, K. Vibrational Responses of Bound and Nonbound Targeted Lipid-Coated Single Microbubbles. IEEE Trans. Ultrason. Ferroelectr. Freq. Control 2017, 64, 785–797. [Google Scholar] [CrossRef] [PubMed]
- Tung, Y.-S.; Vlachos, F.; Feshitan, J.A.; Borden, M.A.; Konofagou, E.E. The Mechanism of Interaction between Focused Ultrasound and Microbubbles in Blood-brain Barrier Opening in Mice. J. Acoust. Soc. Am. 2011, 130, 3059–3067. [Google Scholar] [CrossRef]
- Michelin, S.; Guérin, E.; Lauga, E. Collective Dissolution of Microbubbles. Phys. Rev. Fluids 2018, 3, 043601. [Google Scholar] [CrossRef]
- Lazarus, C.; Pouliopoulos, A.N.; Tinguely, M.; Garbin, V.; Choi, J.J. Clustering Dynamics of Microbubbles Exposed to Low-Pressure 1-MHz Ultrasound. J. Acoust. Soc. Am. 2017, 142, 3135–3146. [Google Scholar] [CrossRef]
- Doinikov, A.A.; Haac, J.F.; Dayton, P.A. Resonance Frequencies of Lipid-shelled Microbubbles in the Regime of Nonlinear Oscillations. Ultrasonics 2009, 49, 263–268. [Google Scholar] [CrossRef]
- Ronan, E.; Edjiu, N.; Kroukamp, O.; Wolfaardt, G.; Karshafian, R. USMB-induced Synergistic Enhancement of Aminoglycoside Antibiotics in Biofilms. Ultrasonics 2016, 69, 182–190. [Google Scholar] [CrossRef]
- Ohl, C.; Arora, M.; Ikink, R.; de Jong, N.; Versluis, M.; Delius, M.; Lohse, D. Sonoporation from Jetting Cavitation Bubbles. Biophys. J. 2006, 91, 4285–4295. [Google Scholar] [CrossRef]








| Publisher’s Note: MDPI stays neutral with regard to jurisdictional claims in published maps and institutional affiliations. | 
© 2022 by the authors. Licensee MDPI, Basel, Switzerland. This article is an open access article distributed under the terms and conditions of the Creative Commons Attribution (CC BY) license (https://creativecommons.org/licenses/by/4.0/).
Share and Cite
Lattwein, K.R.; Beekers, I.; Kouijzer, J.J.P.; Leon-Grooters, M.; Langeveld, S.A.G.; van Rooij, T.; van der Steen, A.F.W.; de Jong, N.; van Wamel, W.J.B.; Kooiman, K. Dispersing and Sonoporating Biofilm-Associated Bacteria with Sonobactericide. Pharmaceutics 2022, 14, 1164. https://doi.org/10.3390/pharmaceutics14061164
Lattwein KR, Beekers I, Kouijzer JJP, Leon-Grooters M, Langeveld SAG, van Rooij T, van der Steen AFW, de Jong N, van Wamel WJB, Kooiman K. Dispersing and Sonoporating Biofilm-Associated Bacteria with Sonobactericide. Pharmaceutics. 2022; 14(6):1164. https://doi.org/10.3390/pharmaceutics14061164
Chicago/Turabian StyleLattwein, Kirby R., Inés Beekers, Joop J. P. Kouijzer, Mariël Leon-Grooters, Simone A. G. Langeveld, Tom van Rooij, Antonius F. W. van der Steen, Nico de Jong, Willem J. B. van Wamel, and Klazina Kooiman. 2022. "Dispersing and Sonoporating Biofilm-Associated Bacteria with Sonobactericide" Pharmaceutics 14, no. 6: 1164. https://doi.org/10.3390/pharmaceutics14061164
APA StyleLattwein, K. R., Beekers, I., Kouijzer, J. J. P., Leon-Grooters, M., Langeveld, S. A. G., van Rooij, T., van der Steen, A. F. W., de Jong, N., van Wamel, W. J. B., & Kooiman, K. (2022). Dispersing and Sonoporating Biofilm-Associated Bacteria with Sonobactericide. Pharmaceutics, 14(6), 1164. https://doi.org/10.3390/pharmaceutics14061164
 
         
                                                



