Determination and Characterization of Novel Papillomavirus and Parvovirus Associated with Mass Mortality of Chinese Tongue Sole (Cynoglossus semilaevis) in China
Abstract
1. Introduction
2. Materials and Methods
2.1. Fish Samples
2.2. Electron Microscopy
2.3. Histopathological Observation
2.4. Cell Culture and Virus Isolation
2.5. Viral Genome Sequencing and PCR Assays
2.6. RNA Extraction and L1 Gene Sequencing
2.7. Phylogenetic Analysis
2.8. Fluorescence In Situ Hybridization (FISH)
2.9. PCR Detection and TaqMan Probe-Based Quantitative PCR
2.10. Animal Infection Experiments
3. Results
3.1. Diseases and Pathological Features
3.2. Electron Microscopy
3.3. Virus Isolation
3.4. Genome Sequencing
3.5. Phylogenetic Analysis
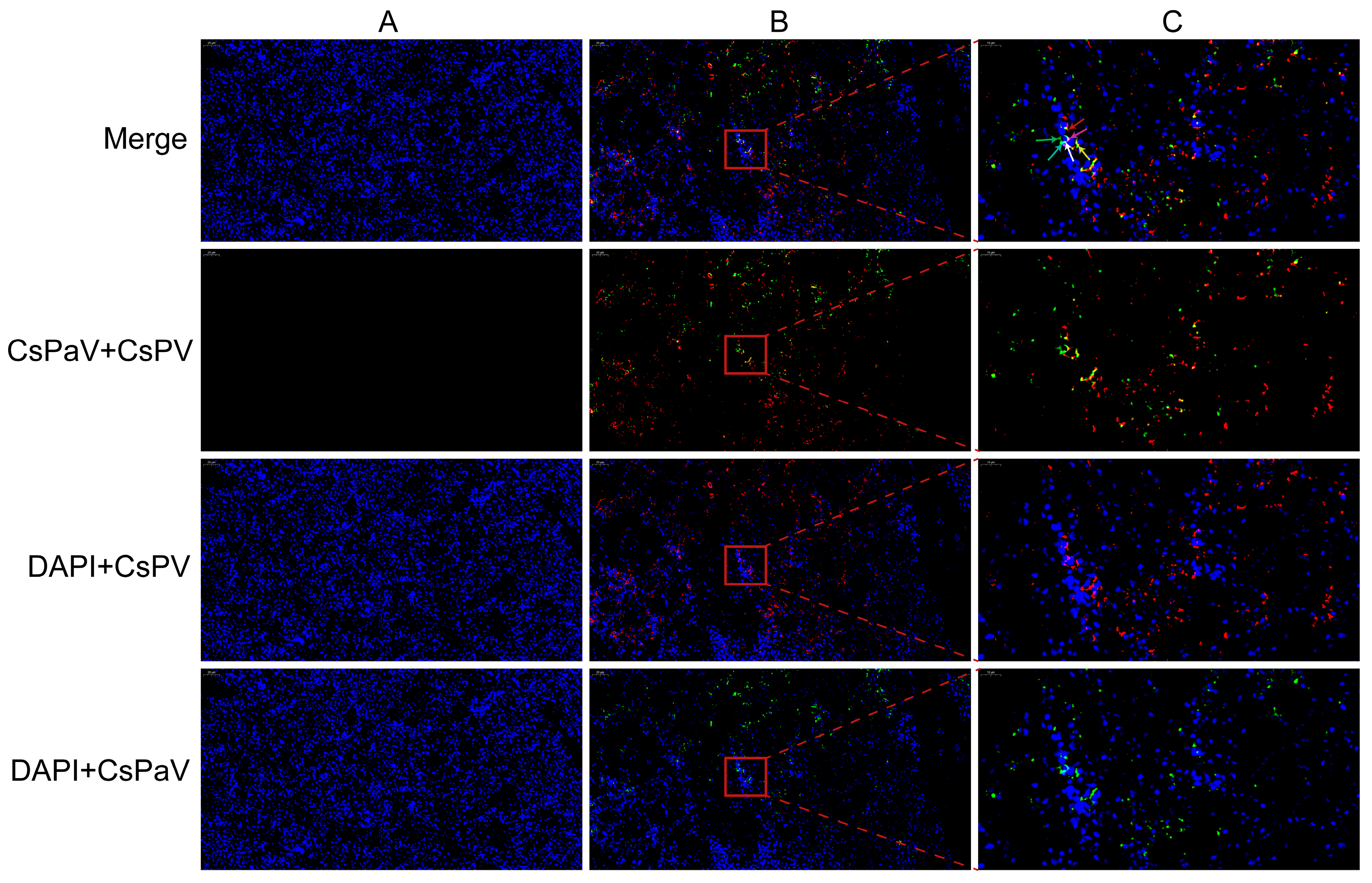
3.6. FISH Detection
3.7. Tissue Distribution of CsPaV and CsPV
3.8. Animal Experiments
4. Discussion
5. Conclusions
Author Contributions
Funding
Institutional Review Board Statement
Informed Consent Statement
Data Availability Statement
Acknowledgments
Conflicts of Interest
References
- Bureau MOAA. China Fishery Statistical Yearbook; China Agricultural Press: Beijing, China, 2022; pp. 26–29. [Google Scholar]
- Zhang, X.J.; Qin, G.M.; Bing, X.W.; Yan, B.L.; Liang, L.G. Molecular and phenotypic characterization of Vibrio aestuarianus, a pathogen of the cultured tongue sole, Cynoglossus semilaevis Günther. J. Fish Dis. 2011, 34, 57–64. [Google Scholar] [CrossRef] [PubMed]
- Zhang, X.; Hao, X.; Ma, W.; Zhu, T.; Zhang, Z.; Wang, Q.; Liu, K.; Shao, C.; Wang, H.-Y. Transcriptome Analysis Indicates Immune Responses against Vibrio harveyi in Chinese Tongue Sole (Cynoglossus semilaevis). Animals 2022, 12, 1144. [Google Scholar] [CrossRef] [PubMed]
- Li, J.; Shi, C.Y.; Huang, J.; Geng, W.G.; Wang, S.Q.; Su, Z.D. Complete Genome Sequence of a Betanodavirus Isolated from Half-Smooth Tongue Sole (Cynoglossus semilaevis). Genome Announc. 2014, 2, e01312-14. [Google Scholar] [CrossRef] [PubMed]
- Xiao, P.; Jiang, M.; Liu, Y.; Sun, M.; Zhang, L.; Jie, L.; Li, G.; Mo, Z. Splenic necrosis signs and pathogen detection in cultured half-smooth tongue sole, Cynoglossus semilaevis Gunther. J. Fish Dis. 2015, 38, 103–106. [Google Scholar] [CrossRef] [PubMed]
- Lőrincz, M.; Dán, A.; Láng, M.; Csaba, G.; Tóth, A.G.; Székely, C.; Cságola, A.; Tuboly, T. Novel circovirus in European catfish (Silurus glanis). Arch. Virol. 2012, 157, 1173–1176. [Google Scholar] [CrossRef] [PubMed][Green Version]
- Hahn, C.M.; Iwanowicz, L.R.; Cornman, R.S.; Conway, C.M.; Winton, J.R.; Blazer, V.S. Characterization of a novel Hepadnavirus in the white sucker (Catostomus commersonii) from the Great Lakes region of the United States. J. Virol. 2015, 89, 11801–11811. [Google Scholar] [CrossRef] [PubMed]
- Mikalsen, A.B.; Nilsen, P.; Frøystad-Saugen, M.; Lindmo, K.; Eliassen, T.M.; Rode, M.; Evensen, O. Characterization of a novel calicivirus causing systemic infection in Atlantic salmon (Salmo salar L.): Proposal for a new genus of Caliciviridae. PLoS ONE 2014, 9, e107132. [Google Scholar] [CrossRef] [PubMed]
- Batts, W.; Yun, S.; Hedrick, R.; Winton, J. A novel member of the family Hepeviridae from cutthroat trout (Oncorhynchus clarkii). Virus Res. 2011, 158, 116–123. [Google Scholar] [CrossRef] [PubMed]
- Gagné, N.; Johnson, S.C.; Cook-Versloot, M.; MacKinnon, A.M.; Olivier, G. Molecular detection and characterization of nodavirus in several marine fish species from the northeastern Atlantic. Dis. Aquat. Organ. 2004, 62, 181–189. [Google Scholar] [CrossRef] [PubMed]
- Chen, S.; Zhang, G.; Shao, C.; Huang, Q.; Liu, G.; Zhang, P.; Song, W.; An, N.; Chalopin, D.; Volff, J.N.; et al. Whole-genome sequence of a flatfish provides insights into ZW sex chromosome evolution and adaption to a benthic lifestyle. Nat. Genet. 2014, 46, 253–260. [Google Scholar] [CrossRef] [PubMed]
- Langmead, B.; Salzberg, S.L. Fast gapped-read alignment with Bowtie 2. Nat. Methods 2012, 9, 357–359. [Google Scholar] [CrossRef] [PubMed]
- Bankevich, A.; Nurk, S.; Antipov, D.; Gurevich, A.A.; Dvorkin, M.; Kulikov, A.S.; Lesin, V.M.; Nikolenko, S.I.; Pham, S.; Prjibelski, A.D.; et al. SPAdes: A new genome assembly algorithm and its applications to single-cell sequencing. J. Comput. Biol. 2012, 19, 455–477. [Google Scholar] [CrossRef] [PubMed]
- Walker, S.L.; Wonderling, R.S.; Owens, R.A. Mutational analysis of the adeno-associated virus type 2 Rep68 protein helicase motifs. J. Virol. 1997, 71, 6996–7004. [Google Scholar] [CrossRef] [PubMed]
- Van Doorslaer, K.; Chen, Z.; Bernard, H.U.; Chan, P.K.S.; DeSalle, R.; Dillner, J.; Forslund, O.; Haga, T.; McBride, A.A.; Villa, L.L.; et al. ICTV virus taxonomy profile: Papillomaviridae. J. Gen. Virol. 2018, 99, 989–990. [Google Scholar] [CrossRef]
- Willemsen, A.; Bravo, I.G. Origin and evolution of papillomavirus oncogenes and genomes. Philos. Trans. R. Soc. Lond. B Biol. Sci. 2019, 374, 20180303. [Google Scholar] [CrossRef] [PubMed]
- Yang, L.; Mohr, I.; Fouts, E.; Lim, D.A.; Nohaile, M.; Botchan, M. The E1 protein of bovine papilloma virus 1 is an ATP-dependent DNA helicase. Proc. Natl. Acad. Sci. USA 1993, 90, 5086–5090. [Google Scholar] [CrossRef] [PubMed]
- Hegde, R.S. The papillomavirus E2 proteins: Structure, function, and biology. Annu. Rev. Biophys. Biomol. Struct. 2002, 31, 343–360. [Google Scholar] [CrossRef]
- Ganti, K.; Broniarczyk, J.; Manoubi, W.; Massimi, P.; Mittal, S.; Pim, D.; Szalmas, A.; Thatte, J.; Thomas, M.; Tomaic, V.; et al. The human papillomavirus E6 PDZ binding motif: From life cycle to malignancy. Viruses 2015, 7, 3530–3551. [Google Scholar] [CrossRef] [PubMed]
- Liu, W.; Zhang, Y.; Ma, J.; Jiang, N.; Fan, Y.; Zhou, Y.; Cain, K.; Yi, M.; Jia, K.; Wen, H.; et al. Determination of a novel parvovirus pathogen associated with massive mortality in adult tilapia. PLoS Pathog. 2020, 16, e1008765. [Google Scholar] [CrossRef]
- Du, J.; Wang, W.; Chan, J.F.-W.; Wang, G.; Huang, Y.; Yi, Y.; Zhu, Z.; Peng, R.; Hu, X.; Wu, Y.; et al. Identification of a Novel Ichthyic Parvovirus in Marine Species in Hainan Island, China. Front. Microbiol. 2019, 10, 2815. [Google Scholar] [CrossRef] [PubMed]
- Reuter, G.; Boros, Á.; Mátics, R.; Altan, E.; Delwart, E.; Pankovics, P. A novel parvovirus (family Parvoviridae) in a freshwater fish, zander (Sander lucioperca). Arch. Virol. 2022, 167, 1163–1167. [Google Scholar] [CrossRef] [PubMed]
- Zádori, Z.; Szelei, J.; Lacoste, M.C.; Li, Y.; Gariepy, S.; Raymond, P.; Allaire, M.; Nabi, I.R.; Tijssen, P. A viral phospholipase A2 is required for parvovirus infectivity. Dev. Cell 2001, 1, 291–302. [Google Scholar] [CrossRef]
- Xi, Y.; Jiang, X.; Xie, X.; Zhao, M.; Zhang, H.; Qin, K.; Wang, X.; Liu, Y.; Yang, S.; Shen, Q.; et al. Viromics reveals the high diversity of viruses from fishes of the Tibet highland. Microbiol. Spectr. 2023, 11, e0094623. [Google Scholar] [CrossRef] [PubMed]
- Cotmore, S.F.; Agbandje-McKenna, M.; Canuti, M.; Chiorini, J.A.; Eis-Huvinger, A.M.; Hughes, J.; Mietzsch, M.; Modha, S.; Ogliastro, M.; Penzes, J.J.; et al. ICTV Virus Taxonomy Profile: Parvoviridae. J. Gen. Virol. 2019, 100, 367–368. [Google Scholar] [CrossRef] [PubMed]
- Lopez-Bueno, A.; Mavian, C.; Labella, A.M.; Castro, D.; Borrego, J.J.; Alcami, A.; Algjo, A. Concurrence of iridovirus, polyomavirus, and a unique member of a new group of fish papillomaviruses in lymphocystis disease-affected gilthead sea bream. J. Virol. 2016, 90, 8768–8779. [Google Scholar] [CrossRef] [PubMed]
- Surján, A.; Fónagy, E.; Eszterbauer, E.; Harrach, B.; Doszpoly, A. Complete genome sequence of a novel fish papillomavirus detected in farmed wels catfish (Silurus glanis). Arch. Virol. 2021, 166, 2603–2606. [Google Scholar] [CrossRef] [PubMed]
- Kraberger, S.; Austin, C.; Farkas, K.; Desvignes, T.; Postlethwait, J.H.; Fontenele, R.S.; Schmidlin, K.; Bradley, R.W.; Warzybok, P.; Doorslaer, K.V.; et al. Discovery of novel fish papillomaviruses: From the antarctic to the commercial fish market. Virology 2022, 565, 65–72. [Google Scholar] [CrossRef] [PubMed]
- Tisza, M.J.; Pastrana, D.V.; Welch, N.L.; Stewart, B.; Peretti, A.; Starrett, G.J.; Pang, Y.-Y.S.; Krishnamurthy, S.R.; Pesavento, P.A.; McDermott, D.H.; et al. Discovery of several thousand highly diverse circular DNA viruses. eLife 2020, 9, e51971. [Google Scholar] [CrossRef] [PubMed]
- Van-Doorslaer, K. Evolution of the Papillomaviridae. Virology 2013, 445, 11–20. [Google Scholar] [CrossRef] [PubMed]
- Raff, A.B.; Woodham, A.W.; Raff, L.M.; Skeate, J.G.; Yan, L.; Da Silva, D.M.; Schelhaas, M.; Kast, W.M. The Evolving Field of Human Papillomavirus Receptor Research: A Review of Binding and Entry. J. Virol. 2013, 87, 6062–6072. [Google Scholar] [CrossRef] [PubMed]
- Horvath, C.A.J.; Boulet, G.A.V.; Renoux, V.M.; Delvenne, P.O.; Bogers, J.P.J. Mechanism of cell entry by human papillomaviruses: An overview. Virol. J. 2010, 7, 11. [Google Scholar] [CrossRef] [PubMed]
- Yoshizato, K. Molecular mechanism and evolutional significance of epithelial-mesenchymal interactions in the body-and tail-dependent metamorphic transformation of anuran larval skin. Int. Rev. Cytol. 2007, 260, 213–260. [Google Scholar]
- Azza, S.; Cambillau, C.; Raoult, D.; Suzan-Monti, M. Revised Mimivirus major capsid protein sequence reveals intron-containing gene structure and extra domain. BMC Mol. Biol. 2009, 10, 39. [Google Scholar] [CrossRef]
- Klose, T.; Reteno, D.G.; Benamar, S.; Hollerbach, A.; Colson, P.; La Scola, B.; Rossmann, M.G. Structure of faustovirus, a large dsDNA virus. Proc. Natl. Acad. Sci. USA 2016, 113, 6206–6211. [Google Scholar] [CrossRef] [PubMed]
- Chang, W.; Hao, M.; Qiu, J.; Sherman, B.T.; Imamichi, T. Discovery of a Novel Intron in US10/US11/US12 of HSV-1 Strain 17. Viruses 2023, 15, 2144. [Google Scholar] [CrossRef]
- Du, Y.; Wang, C.; Zhang, Y. Viral Coinfections. Viruses 2022, 14, 2645. [Google Scholar] [CrossRef]
- Kotob, M.H.; Menanteau-Ledouble, S.; Kumar, G.; Abdelzaher, M.; El-Matbouli, M. The impact of co-infections on fish: A review. Vet. Res. 2016, 47, 98. [Google Scholar] [CrossRef]
- Meier, A.F.; Fraefel, C.; Seyffert, M. The Interplay between Adeno-Associated Virus and its Helper Viruses. Viruses 2020, 12, 662. [Google Scholar] [CrossRef] [PubMed]
- Walz, C.; Deprez, A.; Dupressoir, T.; Dürst, M.; Rabreau, M.; Schlehofer, J.R. Interaction of human papillomavirus type 16 and adeno-associated virus type 2 co-infecting human cervical epithelium. J. Gen. Virol. 1997, 78, 1441–1452. [Google Scholar] [CrossRef][Green Version]
- Cao, M.; Zhu, H.; Bandyopadhyay, S.; You, H.; Hermonat, P.L. HPV-16 E1, E2 and E6 each complement the Ad5 helper gene set, increasing rAAV2 and wt AAV2 production. Gene Ther. 2012, 19, 418–424. [Google Scholar] [CrossRef] [PubMed]
- You, H.; Liu, Y.; Prasad, C.K.; Agrawal, N.; Zhang, D.; Bandyopadhyay, S.; Liu, H.M.; Kay, H.H.; Mehta, J.L.; Hermonat, P.L. Multiple human papillomavirus genes affect the adeno-associated virus life cycle. Virology 2006, 344, 532–540. [Google Scholar] [CrossRef]






| Primer or Probe | Sequence (5′-3′) | PCR Product (bp) | Purpose |
|---|---|---|---|
| PaV-F2 | ATTAGAGCACGCCATTCA | 1147 | Overlap PCR to amplify the genome of CsPaV |
| PaV-R2 | TCAGTAAGATATATAATAGC | ||
| PaV-F3 | GCTATTATATATCTTACTGA | 661 | |
| PaV-R3 | CCCTTCTTCTAAATCCCT | ||
| PaV-F4 | AGGGATTTAGAAGAAGGG | 2159 | |
| PaV-R4 | GTCATCCTTACTATATCGCC | ||
| PV-F1 | AAATCTTCGCCAGGTA | 231 | Overlap PCR to amplify the genome of CsPV |
| PV-R1 | CCAAGAGATGATACCC | ||
| PV-F2 | CAAAAAACCCTCCTCCA | 452 | |
| PV-R2 | GTTTCGTTTGCC | ||
| PV-F3 | AGAACAGGCAAACGAAAC | 601 | |
| PV-R3 | CCTGTGTGCAGACGAGCT | ||
| FISH-L1 | GGACTGCCACTGGTATCTTCCTTGA, GTTCACTGAGATTTCCCCCTTCTG, TGCGGTTTCAGTAACATATTCATCG, CCTTGGAGAGGTGGCAAGTAGAATT, GGATCTGTTTATGTTCAATTCCCCA | Probes used in FISH for detection of CsPaV | |
| FISH-VP | GATTGGCCGCTAGTATCAGGTTTTC, AGGGTTACCCATTTCGGTTTTGTAA, GGGCGCCATTTTTCATAGTGATTTA, CAATGGCAAGAGCAGCAGTTAAATC, GTGTATCTTGCAGCGCTTGTCTTTT | Probes used in FISH for detection of CsPV |
Disclaimer/Publisher’s Note: The statements, opinions and data contained in all publications are solely those of the individual author(s) and contributor(s) and not of MDPI and/or the editor(s). MDPI and/or the editor(s) disclaim responsibility for any injury to people or property resulting from any ideas, methods, instructions or products referred to in the content. |
© 2024 by the authors. Licensee MDPI, Basel, Switzerland. This article is an open access article distributed under the terms and conditions of the Creative Commons Attribution (CC BY) license (https://creativecommons.org/licenses/by/4.0/).
Share and Cite
Xue, S.; Liu, X.; Liu, Y.; Lu, C.; Jia, L.; Yu, Y.; Liu, H.; Yang, S.; Zeng, Z.; Li, H.; et al. Determination and Characterization of Novel Papillomavirus and Parvovirus Associated with Mass Mortality of Chinese Tongue Sole (Cynoglossus semilaevis) in China. Viruses 2024, 16, 705. https://doi.org/10.3390/v16050705
Xue S, Liu X, Liu Y, Lu C, Jia L, Yu Y, Liu H, Yang S, Zeng Z, Li H, et al. Determination and Characterization of Novel Papillomavirus and Parvovirus Associated with Mass Mortality of Chinese Tongue Sole (Cynoglossus semilaevis) in China. Viruses. 2024; 16(5):705. https://doi.org/10.3390/v16050705
Chicago/Turabian StyleXue, Shuxia, Xinrui Liu, Yuru Liu, Chang Lu, Lei Jia, Yanguang Yu, Houfu Liu, Siyu Yang, Zhu Zeng, Hui Li, and et al. 2024. "Determination and Characterization of Novel Papillomavirus and Parvovirus Associated with Mass Mortality of Chinese Tongue Sole (Cynoglossus semilaevis) in China" Viruses 16, no. 5: 705. https://doi.org/10.3390/v16050705
APA StyleXue, S., Liu, X., Liu, Y., Lu, C., Jia, L., Yu, Y., Liu, H., Yang, S., Zeng, Z., Li, H., Qin, J., Wang, Y., & Sun, J. (2024). Determination and Characterization of Novel Papillomavirus and Parvovirus Associated with Mass Mortality of Chinese Tongue Sole (Cynoglossus semilaevis) in China. Viruses, 16(5), 705. https://doi.org/10.3390/v16050705
