The Influence of Plasma Treatment on the Corrosion and Biocompatibility of Magnesium
Abstract
1. Introduction
2. Materials and Methods
3. Results and Discussion
3.1. Surface Characterisation of Plasma-Modified Magnesium
3.1.1. X-ray Photoelectron Spectroscopy
3.1.2. Atomic Force and Scanning Electron Microscopy
3.1.3. Wettability
3.2. Electrochemical Evaluation
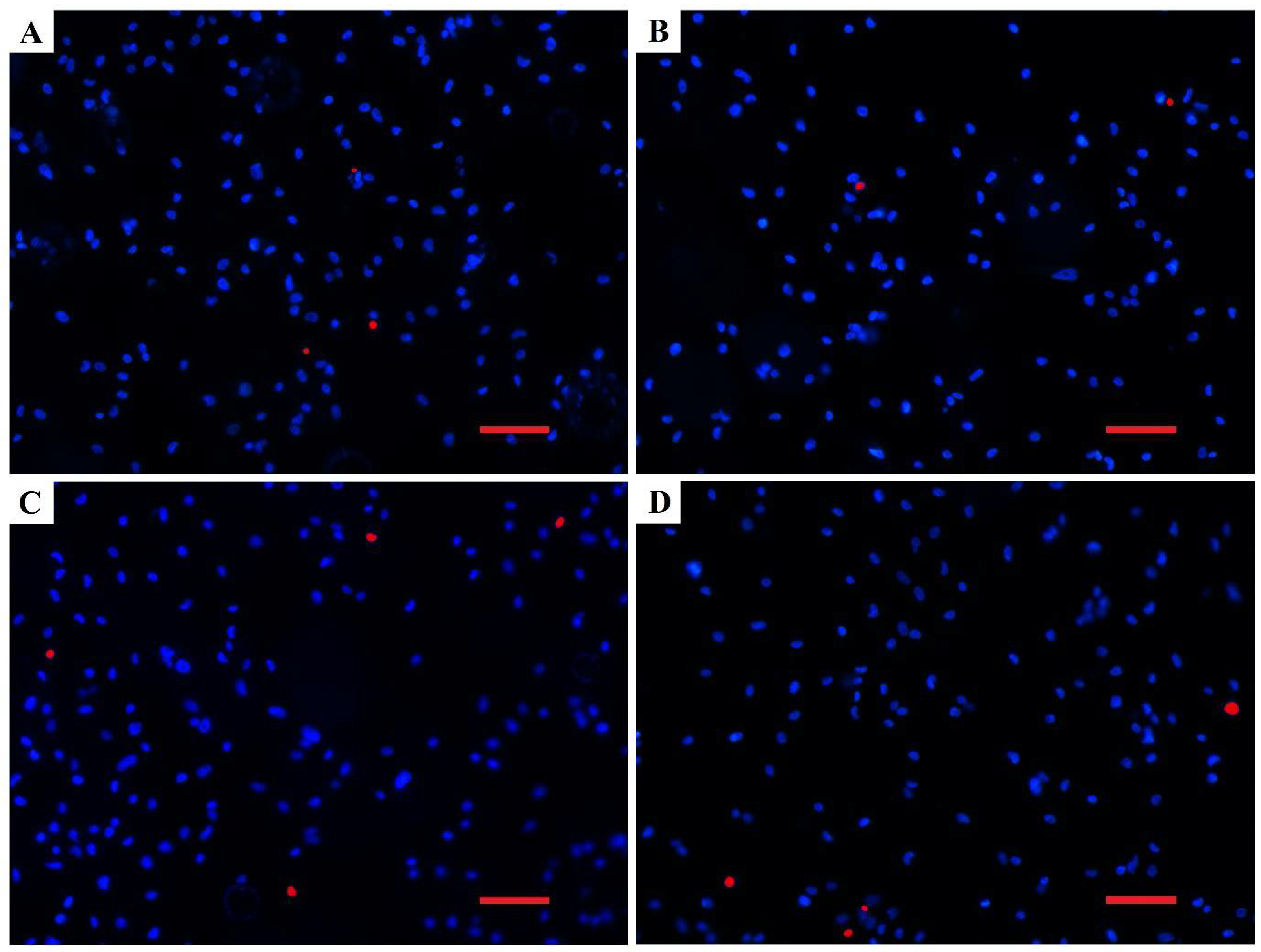
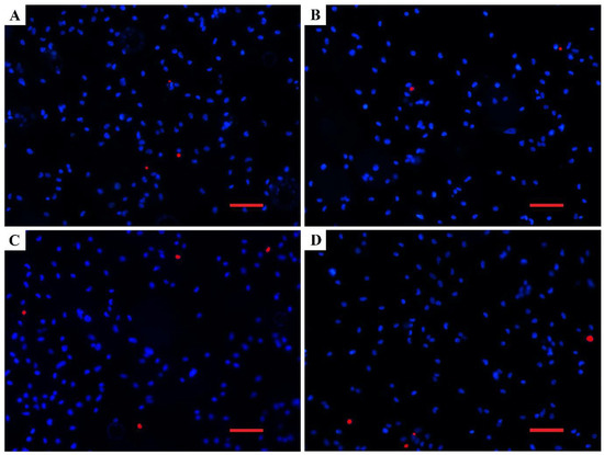
3.3. Biocompatibility Evaluation
4. Conclusions
Author Contributions
Funding
Data Availability Statement
Conflicts of Interest
References
- Virtanen, S.; Fabry, B. Corrosion, surface modification, and biocompatibility of mg and mg alloys. In Magnesium Technology 2011; Sillekens, W.H., Agnew, S.R., Neelameggham, N.R., Mathaudhu, S.N., Eds.; Springer: Cham, Switerland, 2011; pp. 409–412. [Google Scholar]
- Esmaily, M.; Svensson, J.E.; Fajardo, S.; Birbilis, N.; Frankel, G.S.; Virtanen, S.; Arrabal, R.; Thomas, S.; Johansson, L.G. Fundamentals and advances in magnesium alloy corrosion. Prog. Mater. Sci. 2017, 89, 92–193. [Google Scholar] [CrossRef]
- Wu, W.; Yu, X.; Zhao, Y.; Jiang, X.; Yang, H. Characterization and Biocompatibility of Insoluble Corrosion Products of AZ91 Mg Alloys. ACS Omega 2019, 4, 15139–15148. [Google Scholar] [CrossRef] [PubMed]
- Sabbaghian, M.; Mahmudi, R.; Shin, K.S. Microstructure, texture, mechanical properties and biodegradability of extruded Mg-4Zn-xMn alloys. Mater. Sci. Eng. A-Struct. Mater. Prop. Microstruct. Process. 2020, 792, 139828. [Google Scholar] [CrossRef]
- Wang, C.; Song, C.; Mei, D.; Wang, L.; Wang, W.; Wu, T.; Snihirova, D.; Zheludkevich, M.L.; Lamaka, S.V. Low interfacial pH discloses the favorable biodegradability of several Mg alloys. Corros. Sci. 2022, 197, 110059. [Google Scholar] [CrossRef]
- Comba, A.; Cicek, B.; Comba, B.; Sancak, T.; Akveran, G.A.; Sun, Y.; Elen, L.; Afshar, M.T. Investigation of in-vitro biocompatibility and in-vivo biodegradability of AM series Mg alloys. Mater. Technol. 2022, 1–13. [Google Scholar] [CrossRef]
- Guangyin, Y.; Jialin, N. Research Progress of Biodegradable Magnesium Alloys for Orthopedic Applications. ACTA Metall. Sin. 2017, 53, 1168–1180. [Google Scholar]
- Makkar, P.; Sarkar, S.K.; Padalhin, A.R.; Moon, B.-G.; Lee, Y.S.; Lee, B.T. In vitro and in vivo assessment of biomedical Mg-Ca alloys for bone implant applications. J. Appl. Biomater. Funct. Mater. 2018, 16, 126–136. [Google Scholar] [CrossRef]
- Francis, A.; Yang, Y.; Boccaccini, A.R. A new strategy for developing chitosan conversion coating on magnesium substrates for orthopedic implants. Appl. Surf. Sci. 2019, 466, 854–862. [Google Scholar] [CrossRef]
- Luo, Y.; Sun, Y.; Lv, J.; Wang, X.; Li, J.; Wang, F. Transition of interface oxide layer from porous Mg(OH)(2) to dense MgO induced by polyaniline and corrosion resistance of Mg alloy therefrom. Appl. Surf. Sci. 2015, 328, 247–254. [Google Scholar] [CrossRef]
- Song, G.L.; Atrens, A.; Wu, X.L.; Zhang, B. Corrosion behaviour of AZ21, AZ501 and AZ91 in sodium chloride. Corros. Sci. 1998, 40, 1769–1791. [Google Scholar] [CrossRef]
- Kim, S.R.; Lee, K.M.; Kim, J.H.; Choi, Y.J.; Park, H.I.; Jung, H.C.; Roh, H.J.; Han, J.H.L.; Kim, J.R.; Lee, B.-K. Biocompatibility evaluation of peo-treated magnesium alloy implants placed in rabbit femur condyle notches and paravertebral muscles. Biomater. Res. 2022, 26, 29. [Google Scholar] [CrossRef] [PubMed]
- Lingling, S.; Yongjun, X.; Kang, L.; Zhongping, Y.; Songquan, W. Effect of additives on structure and corrosion resistance of ceramic coatings on Mg-Li alloy by micro-arc oxidation. Curr. Appl. Phys. 2010, 10, 719–723. [Google Scholar]
- Fattah-alhosseini, A.; Chaharmahali, R.; Babaei, K. Impressive strides in amelioration of corrosion and wear behaviors of Mg alloys using applied polymer coatings on PEO porous coatings: A review. J. Magnes. Alloy. 2022, 10, 1171–1190. [Google Scholar] [CrossRef]
- Chaharmahali, R.; Fattah-alhosseini, A.; Nouri, M.; Babaei, K. Improving surface characteristics of PEO coatings of Mg and its alloys with zirconia nanoparticles: A review. Appl. Surf. Sci. Adv. 2021, 6, 100131. [Google Scholar] [CrossRef]
- Qian, Z.; Wang, S.; Ye, X.; Liu, Z.; Wu, Z. Corrosion resistance and wetting properties of silica-based superhydrophobic coatings on AZ31B Mg alloy surfaces. Appl. Surf. Sci. 2018, 453, 1–10. [Google Scholar] [CrossRef]
- Tan, J.K.E.; Balan, P.; Birbilis, N. Advances in LDH coatings on Mg alloys for biomedical applications: A corrosion perspective. Appl. Clay Sci. 2021, 202, 105948. [Google Scholar] [CrossRef]
- Zhang, L.; Zhang, J.; Chen, C.; Gu, Y. Advances in microarc oxidation coated AZ31 Mg alloys for biomedical applications. Corros. Sci. 2015, 91, 7–28. [Google Scholar] [CrossRef]
- Rahman, M.; Li, Y.; Wen, C. HA coating on Mg alloys for biomedical applications: A review. J. Magnes. Alloy. 2020, 8, 929–943. [Google Scholar] [CrossRef]
- Li, H.F.; Xie, X.H.; Zheng, Y.F.; Cong, Y.; Zhou, F.Y.; Qiu, K.J.; Wang, X.; Chen, S.H.; Huang, L.; Tian, L.; et al. Development of biodegradable Zn-1X binary alloys with nutrient alloying elements Mg, Ca and Sr. Sci. Rep. 2015, 5, srep10719. [Google Scholar] [CrossRef]
- Cha, P.-R.; Han, H.-S.; Yang, G.-F.; Kim, Y.-C.; Hong, K.-H.; Lee, S.-C.; Jung, J.-Y.; Ahn, J.-P.; Kim, Y.-Y.; Cho, S.-Y.; et al. Biodegradability engineering of biodegradable Mg alloys: Tailoring the electrochemical properties and microstructure of constituent phases. Sci. Rep. 2013, 3, srep02367. [Google Scholar] [CrossRef]
- Mohedano, M.; Luthringer, B.J.C.; Mingo, B.; Feyerabend, F.; Arrabal, R.; Sanchez-Egido, P.J.; Blawert, C.; Willumeit-Roemer, R.; Zheludkevich, M.L.; Matykina, E. Bioactive plasma electrolytic oxidation coatings on Mg-Ca alloy to control degradation behaviour. Surf. Coat. Technol. 2017, 315, 454–467. [Google Scholar] [CrossRef]
- Jamesh, M.I.; Wu, G.; Zhao, Y.; McKenzie, D.R.; Bilek, M.M.M.; Chu, P.K. Effects of zirconium and oxygen plasma ion implantation on the corrosion behavior of ZK60 Mg alloy in simulated body fluids. Corros. Sci. 2014, 82, 7–26. [Google Scholar] [CrossRef]
- Gao, Y.L.; Liu, Y.; Song, X.Y. Plasma-Sprayed Hydroxyapatite Coating for Improved Corrosion Resistance and Bioactivity of Magnesium Alloy. J. Therm. Spray Technol. 2018, 27, 1381–1387. [Google Scholar] [CrossRef]
- Lusquinos, F.; De Carlos, A.; Pou, J.; Arias, J.L.; Boutinguiza, M.; Leon, B.; Perez-Amor, M.; Driessens, F.C.M.; Hing, K.; Gibson, I.; et al. Calcium phosphate coatings obtained by Nd: YAG laser cladding: Physicochemical and biologic properties. J. Biomed. Mater. Res. Part A 2003, 64A, 630–637. [Google Scholar] [CrossRef] [PubMed]
- Rodriguez, I.A.; Saxena, G.; Hixon, K.R.; Sell, S.A.; Bowlin, G.L. In vitro characterization of MG-63 osteoblast-like cells cultured on organic-inorganic lyophilized gelatin sponges for early bone healing. J. Biomed. Mater. Res. Part A 2016, 104, 2011–2019. [Google Scholar] [CrossRef] [PubMed]
- Chen, Y.; Xu, Z.; Smith, C.; Sankar, J. Recent advances on the development of magnesium alloys for biodegradable implants. Acta Biomater. 2014, 10, 4561–4573. [Google Scholar] [CrossRef]
- Hocevar, M.; Batic, B.S.; Godec, M.; Kononenko, V.; Drobne, D.; Gregorcic, P. The interaction between the osteosarcoma cell and stainless steel surface, modified by high-fluence, nanosecond laser pulses. Surf. Coat. Technol. 2020, 394, 125878. [Google Scholar] [CrossRef]
- Fournier, V.; Marcus, P.; Olefjord, I. Oxidation of magnesium. Surf. Interface Anal. 2002, 34, 494–497. [Google Scholar] [CrossRef]
- Yang, Z.; Liu, X.; Tian, Y. Insights into the wettability transition of nanosecond laser ablated surface under ambient air exposure. J. Colloid Interface Sci. 2019, 533, 268–277. [Google Scholar] [CrossRef]
- Long, J.Y.; Zhong, M.L.; Fan, P.X.; Gong, D.W.; Zhang, H.J. Wettability conversion of ultrafast laser structured copper surface. J. Laser Appl. 2015, 27, S29107. [Google Scholar] [CrossRef]
- ASTM G102-89(2015)e1; Standard Practice for Calculation of Corrosion Rates and Related Information from Electrochemical Measurements. ASTM International: West Conshohocken, PA, USA, 2015.
- Junkar, I.; Kulkarni, M.; Drasler, B.; Rugelj, N.; Recek, N.; Drobne, D.; Kovac, J.; Humpolicek, P.; Iglic, A.; Mozetic, M. Enhanced biocompatibility of TiO2 surfaces by highly reactive plasma. J. Phys. D-Appl. Phys. 2016, 49, 244002. [Google Scholar] [CrossRef]









| Step 1 | Step 2 | |||||||
|---|---|---|---|---|---|---|---|---|
| Sample | Gas | Pressure (Pa) | Power (W) | Time (s) | Gas | Pressure (Pa) | Power (W) | Time (s) |
| E-mode O2, 200 W | / | / | / | / | O2 | 40 | 200 | 300 |
| E mode H2/O2, 200 W | H2 | 25 | 600 | 10 | O2 | 40 | 200 | 300 |
| H mode H2/O2, 600 W | H2 | 25 | 600 | 10 | O2 | 25 | 600 | 10 |
| Sample | Chemical Composition (at%) | ||||
|---|---|---|---|---|---|
| C | O | Mg | C/O | O/Mg | |
| Mg | 48.6 | 37.5 | 14.0 | 1.30 | 2.68 |
| E-mode O2, 200 W | 14.6 | 45.9 | 39.5 | 0.32 | 1.16 |
| E mode H2/O2, 200 W | 21.3 | 49.9 | 28.8 | 0.43 | 1.73 |
| H-mode H2/O2, 600 W | 23.4 | 44.7 | 31.9 | 0.52 | 1.40 |
| Sample | ƟW (°) |
|---|---|
| Mg | 65 ± 3 |
| E-mode O2, 200 W | 25 ± 1 |
| E-mode H2/O2, 200 W | 28 ± 1 |
| H-mode H2/O2, 600 W | 43 ± 2 |
| Sample | Ecorr (V) | icorr (µA/cm2) | vcorr (mm/year) |
|---|---|---|---|
| Mg | −1640 ± 2 | 35.4 ± 0.5 | 1.62 ± 0.05 |
| H mode H2/O2, 600 W | −1712 ± 3 | 13.3 ± 0.2 | 0.61 ± 0.2 |
| E-mode H2/O2, 200 W | −1634 ± 2 | 4.1 ± 0.1 | 0.18 ± 0.1 |
| E-mode O2, 200 W | −1641 ± 2 | 6.1 ± 0.1 | 0.28 ± 0.1 |
| Evaluation | Prior the Plasma Treatment | After the Plasma Treatment |
|---|---|---|
| XPS | Increased C/O and O/Mg ratio | Decreased C/O and O/Mg ratio |
| Wettability | Hydrophilic | More hydrophilic |
| Corrosion | Higher vcorr | Decreased vcorr |
| Biocompatibility | good | good |
Publisher’s Note: MDPI stays neutral with regard to jurisdictional claims in published maps and institutional affiliations. |
© 2022 by the authors. Licensee MDPI, Basel, Switzerland. This article is an open access article distributed under the terms and conditions of the Creative Commons Attribution (CC BY) license (https://creativecommons.org/licenses/by/4.0/).
Share and Cite
Kocijan, A.; Kovač, J.; Junkar, I.; Resnik, M.; Kononenko, V.; Conradi, M. The Influence of Plasma Treatment on the Corrosion and Biocompatibility of Magnesium. Materials 2022, 15, 7405. https://doi.org/10.3390/ma15207405
Kocijan A, Kovač J, Junkar I, Resnik M, Kononenko V, Conradi M. The Influence of Plasma Treatment on the Corrosion and Biocompatibility of Magnesium. Materials. 2022; 15(20):7405. https://doi.org/10.3390/ma15207405
Chicago/Turabian StyleKocijan, Aleksandra, Janez Kovač, Ita Junkar, Matic Resnik, Veno Kononenko, and Marjetka Conradi. 2022. "The Influence of Plasma Treatment on the Corrosion and Biocompatibility of Magnesium" Materials 15, no. 20: 7405. https://doi.org/10.3390/ma15207405
APA StyleKocijan, A., Kovač, J., Junkar, I., Resnik, M., Kononenko, V., & Conradi, M. (2022). The Influence of Plasma Treatment on the Corrosion and Biocompatibility of Magnesium. Materials, 15(20), 7405. https://doi.org/10.3390/ma15207405

