Salecan-Clay Based Polymer Nanocomposites for Chemotherapeutic Drug Delivery Systems; Characterization and In Vitro Biocompatibility Studies
Abstract
1. Introduction
2. Material and Methods
2.1. Reagents
2.2. Hydrogel Nanocomposites Preparation
2.3. Physical–Chemical Analysis
2.4. Cell Culture
2.5. Sterilization
2.6. DOX Release
2.7. Cytotoxicity Assay
2.8. Immunofluorescence Microscopy
2.9. Flow Cytometry
2.10. Statistical Analysis
3. Results and Discussions
3.1. Nanocomposite Hydrogels Characterization
3.2. Dox Loading in Nanocomposite Systems
3.3. DOX Release from Nanocomposites Systems
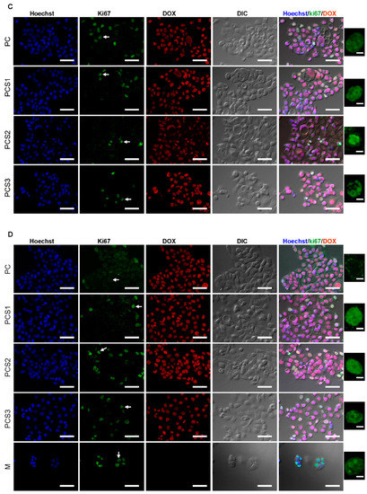
3.4. In Vitro Studies
4. Conclusions
Author Contributions
Funding
Acknowledgments
Conflicts of Interest
Patents
References
- Chen, H.; Ruckenstein, E. Nanoparticle aggregation in the presence of a block copolymer. J. Chem. Phys. 2009, 131, 244904. [Google Scholar] [CrossRef] [PubMed]
- Chen, H.; Ruckenstein, E. Aggregation of nanoparticles in a block copolymer bilayer. J. Colloid Interface Sci. 2011, 363, 573–578. [Google Scholar] [CrossRef] [PubMed]
- Wang, K.; Hao, Y.; Wang, Y.; Chen, J.; Mao, L.; Deng, Y.; Chen, J.; Yuan, S.; Zhang, T.; Ren, J.; et al. Functional hydrogels and their application in drug delivery, biosensors, and tissue engineering. Int. J. Polym. Sci. 2019, 2019, 3160732. [Google Scholar]
- Chyzy, A.; Tomczykowa, M.; Plonska-Brzezinska, M.E. Hydrogels as potential nano-, micro- and macro-scale systems for controlled drug delivery. Materials 2020, 13, 188. [Google Scholar] [CrossRef]
- Li, J.; Mooney, D.J. Designing hydrogels for controlled drug delivery. Nat. Rev. Mater. 2016, 1, 1–17. [Google Scholar] [CrossRef]
- Das, R.; Bhattacharjee, C. 23-Hydrogel nanocomposite for controlled drug release. In Applications of Nanocomposite Materials in Drug Delivery; Woodhead Publishing Series in Biomaterials; Inamuddin, A.M., Asiri, A.M., Eds.; Elsevier: Amsterdam, The Netherlands, 2018; pp. 575–588. [Google Scholar]
- Nakahama, K.; Kawano, D.; Oyama, N.; Takemoto, A.; Kumano, T.; Kawakami, J. Self-assembling polymer micelle/clay nanodisk/doxorubicin hybrid injectable gels for safe and efficient focal treatment of cancer. Biomacromolecules 2015, 16, 880–889. [Google Scholar] [CrossRef]
- Murugesan, S.; Scheibel, T. Copolymer/clay nanocomposites for biomedical applications. Adv. Funct. Mater. 2020, 30, 1–28. [Google Scholar] [CrossRef]
- Pereira, K.A.B.; Aguira, K.L.N.P.; Oliveira, P.F.; Vicente, B.M.; Pedroni, L.G.; Mansur, C.R.E. Synthesis of hydrogel nanocomposites based on partially hydrolyzed polyacrylamide, polyethyleneimine, and modified clay. ACS Omega 2020, 5, 4759–4769. [Google Scholar] [CrossRef]
- Ianchis, R.; Ninciuleanu, C.M.; Gifu, I.C.; Alexandrescu, E.; Nistor, C.L.; Nitu, S.; Petcu, C. Hydrogel-clay nanocomposites as carriers for controlled release. Curr. Med. Chem. 2020, 27, 919–954. [Google Scholar] [CrossRef]
- Liu, J.; Boo, W.-J.; Clearfield, A.; Sue, H.-J. Intercalation and exfoliation: A review on morphology of polymer nanocomposites reinforced by inorganic layer structures. Mater. Manuf. Process. 2007, 21, 143–151. [Google Scholar] [CrossRef]
- Zorrato, N.; Matricardi, P. Semi-IPN- and IPN-based hydrogels. Adv. Exp. Med. Biol. 2018, 1059, 155–188. [Google Scholar]
- Kozlovskaya, V.; Chen, J.; Zavgorodnya, O.; Hasan, M.B.; Kharlampieva, E. Multilayer hydrogel capsules of interpenetrated network for encapsulation of small molecules. Langmuir 2018, 34, 11832–11842. [Google Scholar] [CrossRef] [PubMed]
- Qi, X.; Wei, W.; Dong, W.; Shen, J. Salecan polysaccharide-based hydrogels and their applications. A review. J. Mater. Chem. 2019, 7, 2577–2587. [Google Scholar] [CrossRef] [PubMed]
- Munteanu, T.; Ninciuleanu, C.M.; Gifu, I.C.; Trica, B.; Alexandrescu, E.; Gabor, A.R.; Preda, S.; Petcu, C.; Nistor, C.L.; Nitu, S.G.; et al. The effect of clay type on the physicochemical properties of new hydrogel clay nanocomposites. In Current Topics in the Utilization of Clay in Industrial and Medical Applications; Zoveidavianpoor, M., Ed.; IntechOpen: London, UK, 2018; pp. 147–165. [Google Scholar]
- Ianchis, R.; Gifu, I.C.; Ninciuleanu, C.M.; Alexandrescu, E.; Petcu, C.; Nistor, L.C.; Niţu, S. Compositions and Synthesis Procedures of Hydrogel Clay Nanocomposites. Patent No. 12 133753-A2, 30 December 2019. [Google Scholar]
- Ianchis, R.; Ninciuleanu, C.M.; Gifu, I.C.; Alexandrescu, E.; Somoghi, R.; Gabor, A.R.; Preda, S.; Nistor, C.L.; Nitu, S.; Petcu, C.; et al. Novel hydrogel-advanced modified clay nanocomposites as possible vehicles for drug delivery and controlled release. Nanomaterials 2017, 7, 443. [Google Scholar] [CrossRef] [PubMed]
- Zhao, N.; Woodle, M.C.; Mixson, A.J. Advances in delivery systems for doxorubicin. J. Nanomed. Nanotechnol. 2018, 9, 1–12. [Google Scholar] [CrossRef] [PubMed]
- Calabrese, I.; Cavallaro, G.; Scialabba, C.; Licciardi, M.; Merli, M.; Sciascia, L.; Liveri, M.L.T. Montmorillonite nanodevices for the colon metronidazole delivery. Int. J. Pharm. 2013, 457, 224–236. [Google Scholar] [CrossRef]
- Shen, N.; Hu, J.; Zhang, L.; Zhang, L.; Sun, Y.; Xie, Y.; Wu, S.; Liu, L.; Gao, Z. Doxorubicin-loaded zein in situ gel for interstitial chemotherapy of colorectal cancer. Acta Pharm. Sin. B 2012, 2, 610–614. [Google Scholar] [CrossRef]
- Nishikawa, M.; Mizuno, Y.; Mohri, K.; Matsuoka, N.; Rattanakiat, S.; Takahashi, Y.; Funabashi, H.; Luo, D.; Takakur, Y. Biodegradable CpG DNA hydrogels for sustained delivery of doxorubicin and immunostimulatory signals in tumor-bearing mice. Biomaterials 2011, 32, 488–494. [Google Scholar] [CrossRef]
- Gholamali, I.; Yadollahi, M. Doxorubicin-loaded carboxymethyl cellulose/Starch/ZnO. Int. J. Biol. Macromol. 2020, 160, 724–735. [Google Scholar] [CrossRef]
- Liang, Y.; Zhiao, X.; Ma, P.X.; Guo, B.; Du, Y.; Han, X. pH-responsive injectable hydrogels with mucosal adhesiveness based on chitosan-grafted-dihydrocaffeic acid and oxidized pullulan for localized drug delivery. J. Colloid Interface Sci. 2019, 536, 224–234. [Google Scholar] [CrossRef]
- Zheng, Y.; Wang, W.; Zhao, J.; Wu, C.; Ye, C.; Huang, M.; Wang, S. Preparation of injectable temperature-sensitive chitosan-based hydrogel for combined tumor therapy. Carbohydr. Polym. 2019, 222, 1–11. [Google Scholar] [CrossRef] [PubMed]
- Seth, A.; Brown, J.E.; Dave, V.S. Colon-targeted oral drug delivery systems: Design trends and approaches. AAPS Pharm. Sci. Tech. 2015, 16, 731–741. [Google Scholar]
- Kotecha, N.; Krutzik, P.O.; Irish, J.M. Web-based analysis and publication of flow cytometry experiments. Curr. Protoc. Cytom. 2010, 53, 10.17.1–10.17.24. [Google Scholar] [CrossRef] [PubMed]
- Pacelli, S.; Paolicelli, P.; Moretti, G.; Petralito, S.; Di Giacomo, S.; Vitalone, A.; Casadei, M.A. Gellan gum methacrylate and laponite as an innovative nanocomposite hydrogel for biomedical applications. Eur. Polym. J. 2016, 77, 114–123. [Google Scholar] [CrossRef]
- Ravve, A. Physical properties and physical chemistry of polymers. In Principles of Polymer Chemistry; Springer: New York, NY, USA, 2012; pp. 17–67. [Google Scholar]
- Sahakaro, K. Mechanism of reinforcement using nanofillers in rubber nanocomposites, progress in rubber nanocomposites. In Composites Science and Engineering; Woodhead Publishing Series: Cambridge, UK, 2017; pp. 81–113. [Google Scholar]
- Sirousazar, M.; Kokabi, M.; Hassan, Z.M.; Bahramian, A.R. Dehydration kinetics of polyvinyl alcohol nanocomposite hydrogels containing Na-montmorillonite nanoclay. Sci. Iran. 2011, 18, 780–784. [Google Scholar] [CrossRef]
- Hu, X.; Feng, L.; Xie, A.; Wei, W.; Wang, S.; Zhang, J.; Dong, W. Synthesis and characterization of a novel hydrogel: Salecan/polyacrylamide semi-IPN hydrogel with a desirable pore structure. J. Mater. Chem. B 2014, 2, 3646–3658. [Google Scholar] [CrossRef]
- Wei, W.; Qi, X.; Li, J.; Zuo, G.; Sheng, W.; Zhang, J.; Don, W. Smart Macroporous salecan/poly(N,N-diethylacrylamide) semi-IPN hydrogel for anti-inflammatory drug delivery. ACS Biomater. Sci. Eng. 2016, 2, 1386–1394. [Google Scholar] [CrossRef]
- Wei, W.; Hu, X.; Qi, X.; Yu, H.; Liu, Y.; Li, J.; Zhang, J.; Dong, W. A novel thermo-responsive hydrogel based on Salecan andpoly(N-isopropylacrylamide): Synthesis and characterization. Colloid Surf. B Biointerface 2015, 125, 1–11. [Google Scholar] [CrossRef]
- Hu, X.; Zhang, J.; Zhang, L.; Xu, M.; Dong, W.; Zhang, J. Redox/pH dual stimuli-responsive degradable Salecan-g-SS-poly(IA-co-HEMA) hydrogel for release of doxorubicin. Carbohydr. Polym. 2017, 155, 242–251. [Google Scholar] [CrossRef]
- Bao, Y.; Ma, J. Polymethacrylic acid/Na-montmorillonite/SiO2 nanoparticle composites structures and thermal properties. Polym. Bull. 2011, 66, 541–549. [Google Scholar] [CrossRef]
- Lv, X.; Liu, C.; Song, S.; Qiao, Y.; Hu, Y.; Li, P.; Li, Z.; Sun, S. Construction of a quaternary ammonium salt platform with different alkyl groups for antibacterial and biosensor applications. RSC Adv. 2018, 8, 2941–2949. [Google Scholar] [CrossRef]
- Ray, L.; Frost, L.; Vassallo, A.M. The dehydroxylation of the kaolinite clay minerals using Infrared Emission Spectroscopy. Clays Clay Miner. 1996, 40, 635–651. [Google Scholar]
- Mohd, S.S.; Abdullah, M.A.A.; Amin, K.A.M. Gellan gum/clay hydrogels for tissue engineering application: Mechanical, thermal behavior, cell viability and antibacterial properties. J. Bioact. Compatib. Polym. 2016, 31, 648–666. [Google Scholar] [CrossRef]
- Hua, X.; Wang, Y.; Zhang, L.; Xu, M. Formation of self-assembled polyelectrolyte complex hydrogel derived from Salecan and chitosan for sustained release of Vitamin C. Carbohydr. Polym. 2020, 234, 115920–115931. [Google Scholar] [CrossRef] [PubMed]
- Jinnai, H.; Spontak, R.J. Transmission electron microtomography in polymer research. Polymer 2009, 50, 1067–1087. [Google Scholar] [CrossRef]
- Qi, X.; Wei, W.; Li, J.; Zuo, G.; Pan, X.; Su, T.; Zhang, J.; Dong, W. Salecan-based pH-sensitive hydrogels for insulin delivery. Mol. Pharm. 2017, 14, 441–470. [Google Scholar] [CrossRef]
- Hu, X.; Wang, Y.; Zhang, L.; Xu, M.; Zhang, J.; Dong, W. Design of a pH-sensitive magnetic composite hydrogel based on Salecan graft copolymer and Fe3O4@SiO2 nanoparticles as drug carrier. Int. J. Biol. Macromol. 2018, 107, 1811–1820. [Google Scholar] [CrossRef]
- Trif, M.; Florian, P.E.; Roseanu, A.; Moisei, M.; Craciunescu, O.; Astete, C.E.; Sabliov, C.M. Cytotoxicity and intracellular fate of PLGA and chitosan-coated PLGA nanoparticles in Madin–Darby bovine kidney (MDBK) and human colorectal adenocarcinoma (Colo 205) cells. J. Biomed. Mater. Res. Part A 2015, 10311, 3599–3611. [Google Scholar] [CrossRef]
- Riganti, C.; Miraglia, E.; Viarisio, D.; Costamagna, C.; Pescarmona, G.; Ghigo, D.; Bosia, A. Nitric oxide reverts the resistance to doxorubicin in human colon cancer cells by inhibiting the drug efflux. Cancer Res. 2005, 65, 516–525. [Google Scholar]
- Geng, Y.; Chandrasekaran, S.; Agastin, S.; Li, J.; King, M.R. Dynamic switch between two adhesion phenotypes in colorectal cancer cells. Cell. Mol. Bioeng. 2014, 7, 35–44. [Google Scholar] [CrossRef][Green Version]
- Scholzen, T.; Gerdes, J. The Ki-67 protein: From the known and the unknown. J. Cell. Phys. 2000, 182, 311–322. [Google Scholar] [CrossRef]
- Kang, T.; Cho, Y.; Park, C.; Soo-Dong, K.; Euichaul, O.; Jing-Hao, C.; Qing-Ri, C.; Beom-Jin, L. Effect of biomimetic shear stress on intracellular uptake and cell-killing efficiency of doxorubicin in a free and liposomal formulation. Int. J. Pharm. 2016, 510, 42–47. [Google Scholar] [CrossRef] [PubMed]












| Sample Name | Salecan (g) | Cloisite 93A (g) * |
|---|---|---|
| PC | - | 0.6 |
| PCS1 | 0.06 | 0.6 |
| PCS2 | 0.24 | 0.6 |
| PCS3 | 0.48 | 0.6 |
Publisher’s Note: MDPI stays neutral with regard to jurisdictional claims in published maps and institutional affiliations. |
© 2020 by the authors. Licensee MDPI, Basel, Switzerland. This article is an open access article distributed under the terms and conditions of the Creative Commons Attribution (CC BY) license (http://creativecommons.org/licenses/by/4.0/).
Share and Cite
Florian, P.E.; Icriverzi, M.; Ninciuleanu, C.M.; Alexandrescu, E.; Trica, B.; Preda, S.; Ianchis, R.; Roseanu, A. Salecan-Clay Based Polymer Nanocomposites for Chemotherapeutic Drug Delivery Systems; Characterization and In Vitro Biocompatibility Studies. Materials 2020, 13, 5389. https://doi.org/10.3390/ma13235389
Florian PE, Icriverzi M, Ninciuleanu CM, Alexandrescu E, Trica B, Preda S, Ianchis R, Roseanu A. Salecan-Clay Based Polymer Nanocomposites for Chemotherapeutic Drug Delivery Systems; Characterization and In Vitro Biocompatibility Studies. Materials. 2020; 13(23):5389. https://doi.org/10.3390/ma13235389
Chicago/Turabian StyleFlorian, Paula Ecaterina, Madalina Icriverzi, Claudia Mihaela Ninciuleanu, Elvira Alexandrescu, Bogdan Trica, Silviu Preda, Raluca Ianchis, and Anca Roseanu. 2020. "Salecan-Clay Based Polymer Nanocomposites for Chemotherapeutic Drug Delivery Systems; Characterization and In Vitro Biocompatibility Studies" Materials 13, no. 23: 5389. https://doi.org/10.3390/ma13235389
APA StyleFlorian, P. E., Icriverzi, M., Ninciuleanu, C. M., Alexandrescu, E., Trica, B., Preda, S., Ianchis, R., & Roseanu, A. (2020). Salecan-Clay Based Polymer Nanocomposites for Chemotherapeutic Drug Delivery Systems; Characterization and In Vitro Biocompatibility Studies. Materials, 13(23), 5389. https://doi.org/10.3390/ma13235389

