The Biological Impact of Some Phosphonic and Phosphinic Acid Derivatives on Human Osteosarcoma
Abstract
1. Introduction
2. Materials and Methods
2.1. Reagents
2.2. Preparation of 2-Carboxyethylphenylphosphinic Acid
2.3. Cell Culture
2.4. Cellular Viability Assessment
2.5. Cellular Morphology
2.6. Cytotoxicity Assay
2.7. Nuclear Staining
2.8. Real Time PCR Study
2.8.1. RNA Extraction and Quantification
2.8.2. cDNA Synthesis and RT-qPCR
2.8.3. Gene Targets and Analysis
2.9. Statistical Analysis
3. Results
3.1. Cellular Viability Assessment
3.2. Cellular Morphology
3.3. Cytotoxicity Assay
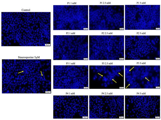
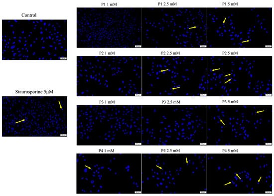
3.4. Hoechst Staining
3.5. Gene Expression
4. Discussion
5. Conclusions
Supplementary Materials
Author Contributions
Funding
Institutional Review Board Statement
Informed Consent Statement
Data Availability Statement
Conflicts of Interest
References
- Misaghi, A.; Goldin, A.; Awad, M.; Kulidjian, A.A. Osteosarcoma: A Comprehensive Review. SICOT J. 2018, 4, 12. [Google Scholar] [CrossRef] [PubMed]
- Zhao, X.; Wu, Q.; Gong, X.; Liu, J.; Ma, Y. Osteosarcoma: A Review of Current and Future Therapeutic Approaches. Biomed. Eng. Online 2021, 20, 24. [Google Scholar] [CrossRef] [PubMed]
- Mizerska-Kowalska, M.; Sowa, S.; Donarska, B.; Płazinski, W.; Sławinska-Brych, A.; Tomasik, A.; Ziarkowska, A.; Łaczkowski, K.Z.; Zdzisinska, B. New Borane-Protected Derivatives of Aminophosphonous Acid as Anti-Osteosarcoma Agents: ADME Analysis and Molecular Modeling, In Vitro Studies on Anti-Cancer Activities, and NEP Inhibition as a Possible Mechanism of Anti-Proliferative Activity. Int. J. Mol. Sci. 2022, 23, 6716. [Google Scholar] [CrossRef] [PubMed]
- Corbridge, D.E.C. Phosphorus: Chemistry, Biochemistry and Technology; CRC Press: Boca Raton, FL, USA, 2013; ISBN 9781439840887. [Google Scholar]
- Mustafa, D.; Overhulse, J.M.; Kashemirov, B.A.; McKenna, C.E. Microwave-Accelerated McKenna Synthesis of Phosphonic Acids: An Investigation. Molecules 2023, 28, 3497. [Google Scholar] [CrossRef] [PubMed]
- Sevrain, C.M.; Berchel, M.; Couthon, H.; Jaffrès, P.-A. Phosphonic Acid: Preparation and Applications. Beilstein J. Org. Chem. 2017, 13, 2186–2213. [Google Scholar] [CrossRef] [PubMed]
- Metcalf, W.W.; Van Der Donk, W.A. Biosynthesis of Phosphonic and Phosphinic Acid Natural Products. Annu. Rev. Biochem. 2009, 78, 65–94. [Google Scholar] [CrossRef] [PubMed]
- Godinot, C.; Gaysinski, M.; Thomas, O.P.; Ferrier-Pagès, C.; Grover, R. On the Use of 31P NMR for the Quantification of Hydrosoluble Phosphorus-Containing Compounds in Coral Host Tissues and Cultured Zooxanthellae. Sci. Rep. 2016, 6, 21760. [Google Scholar] [CrossRef] [PubMed]
- Quin, L.D. A Case for August Wilhelm Hofmann as the Originator of the Field of Organophosphorus Chemistry. Heteroat. Chem. 2013, 24, 243–251. [Google Scholar] [CrossRef]
- Collinsova, M.; Jiracek, J. Phosphinic Acid Compounds in Biochemistry, Biology and Medicine. Curr. Med. Chem. 2012, 7, 629–647. [Google Scholar] [CrossRef]
- Abdou, M.M.; O’Neill, P.M.; Amigues, E.; Matziari, M. Phosphinic Acids: Current Status and Potential for Drug Discovery. Drug Discov. Today 2019, 24, 916–929. [Google Scholar] [CrossRef]
- Kloda, M.; Ondrušová, S.; Lang, K.; Demel, J. Phosphinic Acids as Building Units in Materials Chemistry. Coord. Chem. Rev. 2021, 433, 213748. [Google Scholar] [CrossRef]
- Levchik, S.V.; Weil, E.D. A Review of Recent Progress in Phosphorus-Based Flame Retardants. J. Fire Sci. 2006, 24, 345–364. [Google Scholar] [CrossRef]
- McCann, M.; Murphy, E.; Cardin, C.; Convery, M. Synthesis and Properties of Tetra-μ-Acetatodiruthenium(II,III) Phenylphosphinate and Phenylphosphonate Complexes: X-ray Crystal Structures of [Ru2(μ-O2CCH3)4(HPhPO2)2]H and [Ru2(μ-O2CCH3)4(PhPO3H)2]H·H2O. Polyhedron 1993, 12, 1725–1731. [Google Scholar] [CrossRef]
- Shearan, S.J.I.; Stock, N.; Emmerling, F.; Demel, J.; Wright, P.A.; Demadis, K.D.; Vassaki, M.; Costantino, F.; Vivani, R.; Sallard, S.; et al. New Directions in Metal Phosphonate and Phosphinate Chemistry. Crystals 2019, 9, 270. [Google Scholar] [CrossRef]
- Xu, Y.; Liu, L.; Yan, C.; Hong, Y.; Xu, M.; Qian, L.; Li, B. Eco-Friendly Phosphonic Acid Piperazine Salt toward High-Efficiency Smoke Suppression and Flame Retardancy for Epoxy Resins. J. Mater. Sci. 2021, 56, 16999–17010. [Google Scholar] [CrossRef]
- Wang, H.; Su, F.; Wang, Z.; Xin, Y.; Yao, D.; Zheng, Y. Using Phenylphosphinic Acid/Zinc Hydroxystannate Nanoparticle-Decorated Graphene to Enhance the Flame Retardancy and Smoke Suppressive Performance of Epoxy Resin. New J. Chem. 2023, 47, 1760–1766. [Google Scholar] [CrossRef]
- Honess, R.W.; Watson, D.H. Herpes Simplex Virus Resistance and Sensitivity to Phosphunoacetic Acid. J. Virol. 1977, 21, 584–600. [Google Scholar] [CrossRef]
- Klimek-Ochab, M. Phosphate-Independent Utilization of Phosphonoacetic Acid as Sole Phosphorus Source by a Psychrophilic Strain of Geomyces Pannorum P15. Folia Microbiol. 2014, 59, 375–380. [Google Scholar] [CrossRef] [PubMed][Green Version]
- Alsobrook, A.N.; Zhan, W.; Albrecht-Schmitt, T.E. Use of Bifunctional Phosphonates for the Preparation of Heterobimetallic 5f−3d Systems. Inorg. Chem. 2008, 47, 5177–5183. [Google Scholar] [CrossRef]
- Bazaga-García, M.; Vílchez-Cózar, Á.; Maranescu, B.; Olivera-Pastor, P.; Marganovici, M.; Ilia, G.; Cabeza Díaz, A.; Visa, A.; Colodrero, R.M.P. Synthesis and Electrochemical Properties of Metal(Ii)-Carboxyethylphenylphosphinates. Dalton Trans. 2021, 50, 6539–6548. [Google Scholar] [CrossRef]
- Wang, G.; Jiang, M.; Zhang, Q.; Wang, R.; Qu, X.; Zhou, G. Poly(Hexamethylene 2,5-Furandicarboxylate) Copolyesters Containing Phosphorus: Synthesis, Crystallization Behavior, Thermal, Mechanical and Flame Retardant Properties. Polym. Degrad. Stab. 2018, 153, 272–280. [Google Scholar] [CrossRef]
- Naviglio, S.; Spina, A.; Chiosi, E.; Fusco, A.; Illiano, F.; Pagano, M.; Romano, M.; Senatore, G.; Sorrentino, A.; Sorvillo, L.; et al. Inorganic phosphate inhibits growth of human osteosarcoma U2OS cells via adenylate cyclase/cAMP pathway. J. Cell Biochem. 2006, 98, 1584–1596. [Google Scholar] [CrossRef] [PubMed]
- Spina, A.; Sorvillo, L.; Di Maiolo, F.; Esposito, A.; D’Auria, R.; Di Gesto, D.; Chiosi, E.; Naviglio, S. Inorganic phosphate enhances sensitivity of human osteosarcoma U2OS cells to doxorubicin via a p53-dependent pathway. J. Cell Physiol. 2013, 228, 198–206. [Google Scholar] [CrossRef] [PubMed]
- Spina, A.; Sorvillo, L.; Chiosi, E.; Esposito, A.; Di Maiolo, F.; Sapio, L.; Caraglia, M.; Naviglio, S. Synergistic cytotoxic effects of inorganic phosphate and chemotherapeutic drugs on human osteosarcoma cells. Oncol. Rep. 2013, 29, 1689–1696. [Google Scholar] [CrossRef]
- Marques da Costa, M.E.; Marchais, A.; Gomez-Brouchet, A.; Job, B.; Assoun, N.; Daudigeos-Dubus, E.; Fromigué, O.; Santos, C.; Geoerger, B.; Gaspar, N. In-Vitro and In-Vivo Establishment and Characterization of Bioluminescent Orthotopic Chemotherapy-Resistant Human Osteosarcoma Models in NSG Mice. Cancers 2019, 11, 997. [Google Scholar] [CrossRef] [PubMed]
- Ganesan, K.; Raza, S.K.; Vijayaraghavan, R. Chemical Warfare Agents. J. Pharm. Bioallied Sci. 2010, 2, 166. [Google Scholar] [CrossRef] [PubMed]
- Birum, G.H.; Jansen, R.F. Production of 2-Carboxyethyl(phenyl)phosphinic Acid. U.S. Patent 4081463, 28 March 1978. [Google Scholar]
- Ghițu, A.; Schwiebs, A.; Radeke, H.H.; Avram, S.; Zupko, I.; Bor, A.; Pavel, I.Z.; Dehelean, C.A.; Oprean, C.; Bojin, F.A. Comprehensive Assessment of Apigenin as an Antiproliferative, Proapoptotic, Antiangiogenic and Immunomodulatory. Phytocompound. Nutrients 2019, 11, 858. [Google Scholar] [CrossRef]
- Szuhanek, C.A.; Watz, C.G.; Avram, S.; Moaca, E.-A.; Mihali, C.V.; Popa, A.; Campan, A.A.; Nicolov, M.; Dehelean, C.A. Comparative Toxicological In Vitro and In Ovo Screening of Different Orthodontic Implants Currently Used in Dentistry. Materials 2020, 13, 5690. [Google Scholar] [CrossRef] [PubMed]
- Farcas, C.G.; Dehelean, C.; Pinzaru, I.A.; Mioc, M.; Socoliuc, V.; Moaca, E.A.; Avram, S.; Ghiulai, R.; Coricovac, D.; Pavel, I.; et al. Thermosensitive betulinic acid-loaded magnetoliposomes: A promising antitumor potential for highly aggressive human breast adenocarcinoma cells under hyperthermic conditions. Int. J. Nanomed. 2020, 15, 8175–8200. [Google Scholar] [CrossRef]
- Popa, A.; Dehelean, C.; Calniceanu, H.; Watz, C.; Brad, S.; Sinescu, C.; Marcu, O.A.; Popa, C.S.; Avram, S.; Nicolov, M.; et al. A Custom-Made Orthodontic Mini-Implant—E_ect of Insertion Angle and Cortical Bone Thickness on Stress Distribution with a Complex In Vitro and In Vivo Biosafety Profile. Materials 2020, 13, 4789. [Google Scholar] [CrossRef]
- Hill, E.L.; Hunter, G.A.; Ellis, M.N. In vitro and in vivo characterization of herpes simplex virus clinical isolates recovered from patients infected with human immunodeficiency virus. Antimicrob. Agents Chemother. 1991, 35, 2322–2328. [Google Scholar] [CrossRef] [PubMed]
- Mao, J.C.; Otis, E.R.; von Esch, A.M.; Herrin, T.R.; Fairgrieve, J.S.; Shipkowitz, N.L.; Duff, R.G. Structure-activity studies on phosphonoacetate. Antimicrob. Agents Chemother. 1985, 27, 197–202. [Google Scholar] [CrossRef] [PubMed]
- Kurokawa, M.; Hozumi, T.; Tsurita, M.; Kadota, S.; Namba, T.; Shiraki, K. Biological characterization of eugeniin as an anti-herpes simplex virus type 1 compound in vitro and in vivo. J. Pharmacol. Exp. Ther. 2001, 297, 372–379. [Google Scholar] [PubMed]
- Mikalkėnas, A.; Ravoitytė, B.; Tauraitė, D.; Servienė, E.; Meškys, R.; Serva, S. Conjugation of phosphonoacetic acid to nucleobase promotes a mechanism-based inhibition. J. Enzyme Inhib. Med. Chem. 2018, 33, 384–389. [Google Scholar] [CrossRef] [PubMed]
- Nicolov, M.; Cocora, M.; Buda, V.; Danciu, C.; Duse, A.O.; Watz, C.; Borcan, F. Hydrosoluble and Liposoluble Vitamins: New Perspectives through ADMET Analysis. Medicina 2021, 57, 1204. [Google Scholar] [CrossRef] [PubMed]
- Lauvrak, S.U.; Munthe, E.; Kresse, S.H.; Stratford, E.W.; Namløs, H.M.; Meza-Zepeda, L.A.; Myklebost, O. Functional characterisation of osteosarcoma cell lines and identification of mRNAs and miRNAs associated with aggressive cancer phenotypes. Br. J. Cancer 2013, 109, 2228–2236. [Google Scholar] [CrossRef]
- Spina, A.; Sorvillo, L.; Di Maiolo, F.; Sapio, L.; Naviglio, S. Chapter 5: Inorganic phosphate as a novel signaling molecule: Its potential use in the osteosarcoma therapy. In Osteosarcoma; Choy, E., Ed.; Nova Science Publishers, Inc.: New York, NY, USA, 2014; pp. 157–164. ISBN 978-1-63321-052-3. [Google Scholar]
- Pązik, R.; Lewińska, A.; Adamczyk-Grochala, J.; Kulpa-Greszta, M.; Kłoda, P.; Tomaszewska, A.; Dziedzic, A.; Litwienienko, G.; Noga, M.; Sikora, D.; et al. Energy Conversion and Biocompatibility of Surface Functionalized Magnetite Nanoparticles with Phosphonic Moieties. J. Phys. Chem. B. 2020, 124, 4931–4948, Erratum in J. Phys. Chem. B. 2020, 124, 8200. [Google Scholar] [CrossRef] [PubMed]
- Tan, L.; Li, M.; Luo, Z.; Cai, K.; Hu, Y. Black phosphorus biomaterials for photo-controlled bone tissue engineering. Compos. B Eng. 2022, 246, 110245. [Google Scholar] [CrossRef]
- Raucci, M.G.; Fasolino, I.; Caporali, M.; Serrano-Ruiz, M.; Soriente, A.; Peruzzini, M.; Ambrosio, L. Exfoliated black phosphorus promotes in vitro bone regeneration and suppresses osteosarcoma progression through cancer-related inflammation inhibition. ACS Appl. Mater. Interfaces 2019, 11, 9333–9342. [Google Scholar] [CrossRef]
- Peng, L.; Abbasi, N.; Xiao, Y.; Xie, Z. Black phosphorus: Degradation mechanism, passivation method, and application for in situ tissue regeneration. Adv. Mater. Interfaces 2020, 7, 2001538. [Google Scholar] [CrossRef]
- Yang, B.; Yin, J.; Chen, Y.; Pan, S.; Yao, H.; Gao, Y.; Shi, J. 2D-black-phosphorus-reinforced 3D-printed scaffolds: A stepwise countermeasure for osteosarcoma. Adv. Mater. 2018, 30, 1705611. [Google Scholar] [CrossRef] [PubMed]
- Xu, Y.; Du, L.; Han, B.; Wang, Y.; Fei, J.; Xia, K.; Zhai, Y.; Yu, Z. Black phosphorus quantum dots camouflaged with platelet-osteosarcoma hybrid membrane and doxorubicin for combined therapy of osteosarcoma. J. Nanobiotechnology 2023, 21, 243. [Google Scholar] [CrossRef] [PubMed]
- Li, S.; Qing, Y.; Lou, Y.; Li, R.; Wang, H.; Wang, X.; Ying, B.; Tang, X.; Qin, Y. Injectable thermosensitive black phosphorus nanosheet- and doxorubicin-loaded hydrogel for synergistic bone tumor photothermal-chemotherapy and osteogenesis enhancement. Int. J. Biol. Macromol. 2023, 239, 124209. [Google Scholar] [CrossRef]
- Cai, B.; Huang, L.; Zhou, X.; Zhou, X.; Lei, K.; Han, M.; Zhang, Z.; Li, X.; Li, G. Black phosphorus-incorporated novel Ti-12Mo-10Zr implant for multimodal treatment of osteosarcoma. BioMetals 2024, 37, 131–142. [Google Scholar] [CrossRef] [PubMed]









| Genes | Forward Sequence | Reverse Sequence |
|---|---|---|
| GAPDH | AAGGTGAAGGTCGGAGTCAAC | GGGGTCATTGATGGCAACAATA |
| Bid | CCTTGCTCCGTGATGTCTTTC | GTAGGTGCCTAGGTTCTGGT |
| Bax | GCCGGGTTGTCGCCCTTTT | CCGCTCCCGGAGGAAGTCCA |
| Bcl-2 | CGGGAGATGTCGCCCCTGGT | GCATGCTGGGGCCGTACAGT |
| Bak | ATGGTCACCTTACCTCTGCAA | TCATAGCGTCGGTTGATGTCG |
| Bcl-xL | ATCCCCATGGCAGCAGTAAAGCAAG | CCCCATCCCGGAAGAGTTCATTCACT |
| Bad | CCCAGAGTTTGAGCCGAGTG | CCCATCCCTTCGTCCT |
Disclaimer/Publisher’s Note: The statements, opinions and data contained in all publications are solely those of the individual author(s) and contributor(s) and not of MDPI and/or the editor(s). MDPI and/or the editor(s) disclaim responsibility for any injury to people or property resulting from any ideas, methods, instructions or products referred to in the content. |
© 2024 by the authors. Licensee MDPI, Basel, Switzerland. This article is an open access article distributed under the terms and conditions of the Creative Commons Attribution (CC BY) license (https://creativecommons.org/licenses/by/4.0/).
Share and Cite
Khaled, Z.; Ilia, G.; Watz, C.; Macașoi, I.; Drăghici, G.; Simulescu, V.; Merghes, P.E.; Varan, N.I.; Dehelean, C.A.; Vlaia, L.; et al. The Biological Impact of Some Phosphonic and Phosphinic Acid Derivatives on Human Osteosarcoma. Curr. Issues Mol. Biol. 2024, 46, 4815-4831. https://doi.org/10.3390/cimb46050290
Khaled Z, Ilia G, Watz C, Macașoi I, Drăghici G, Simulescu V, Merghes PE, Varan NI, Dehelean CA, Vlaia L, et al. The Biological Impact of Some Phosphonic and Phosphinic Acid Derivatives on Human Osteosarcoma. Current Issues in Molecular Biology. 2024; 46(5):4815-4831. https://doi.org/10.3390/cimb46050290
Chicago/Turabian StyleKhaled, Zakzak, Gheorghe Ilia, Claudia Watz, Ioana Macașoi, George Drăghici, Vasile Simulescu, Petru Eugen Merghes, Narcis Ion Varan, Cristina Adriana Dehelean, Lavinia Vlaia, and et al. 2024. "The Biological Impact of Some Phosphonic and Phosphinic Acid Derivatives on Human Osteosarcoma" Current Issues in Molecular Biology 46, no. 5: 4815-4831. https://doi.org/10.3390/cimb46050290
APA StyleKhaled, Z., Ilia, G., Watz, C., Macașoi, I., Drăghici, G., Simulescu, V., Merghes, P. E., Varan, N. I., Dehelean, C. A., Vlaia, L., & Sima, L. (2024). The Biological Impact of Some Phosphonic and Phosphinic Acid Derivatives on Human Osteosarcoma. Current Issues in Molecular Biology, 46(5), 4815-4831. https://doi.org/10.3390/cimb46050290

