A Preliminary Investigation of Radiation-Sensitive Ultrasound Contrast Agents for Photon Dosimetry
Abstract
1. Introduction
2. Results
2.1. Radiation-Induced Nucleation of the Superheated Nanodroplet Core Is the Primary Mechanism of Ultrasound Contrast Generation by Photon Beams
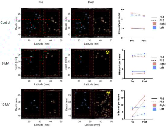
2.2. Online Ultrasound Imaging Allows Capturing the Dynamics of the Radiation Response by Detecting Individual Vaporization Events over Time
2.3. Use of the Suboptimal Carbopol Phantom Matrix Prevented Quantification of Reproducible Dose–Response Relationships
2.4. Phase-Change Ultrasound Contrast Agents Induce Concentration-Dependent Magnetic Resonance Contrast after Droplet Vaporization
3. Discussion
3.1. Mechanisms of Photon-Induced Nanodroplet-Mediated Contrast Generation
3.2. Towards an In Vivo Application of Nanodroplet-Mediated Dosimetry
3.3. Towards Nanodroplet-Mediated Gel Dosimetry
3.4. Future Applications of Nanodroplet-Mediated Dosimetry
4. Materials and Methods
4.1. Materials
4.2. Nanodroplet Preparation
4.3. Phantom Preparation
4.4. Irradiation Conditions
4.5. Ultrasound Acquisition
4.6. Image Processing
4.7. Magnetic Resonance Imaging Contrast
Supplementary Materials
Author Contributions
Funding
Institutional Review Board Statement
Informed Consent Statement
Data Availability Statement
Acknowledgments
Conflicts of Interest
Appendix A
| Quantity | PFB | HFP | OFP | ||
|---|---|---|---|---|---|
| Temperature (T, [K]) | 298 | 310 | 338 | 310 | 310 |
| Surface tension (σ, [N m−1]) | 7.19 × 10−3 | 6.04 × 10−3 | 3.48 × 10−3 | 5.85 × 10−3 | 2.39 × 10−3 |
| Differential surface tension (dσ, [N m−1]) | −9.90 × 10−4 | −1.91 × 10−3 | −8.80 × 10−4 | −1.01 × 10−3 | −6.10 × 10−4 |
| Differential temperature (dT, [K]) | 10.0 | 20.0 | 10.0 | 9.00 | 5.00 |
| Saturation pressure (ps, [Pa]) | 2.68 × 105 | 3.88 × 105 | 8.24 × 105 | 6.62 × 105 | 1.15 × 106 |
| Liquid pressure (pl, [Pa]) | 1.01 × 105 | 1.01 × 105 | 1.01 × 105 | 1.01 × 105 | 1.01 × 105 |
| Heat conductivity (k, [W m−1 K−1]) | 4.27 × 10−2 | 4.10 × 10−2 | 3.67 × 10−2 | 5.51 × 10−2 | 3.67 × 10−2 |
| Gas density (ρv, [kg m−3]) | 28.9 | 41.7 | 66.7 | 53.0 | 121 |
| Liquid density (ρl, [kg m−3]) | 1.50 × 103 | 1.45 × 103 | 1.34 × 103 | 1.34 × 103 | 1.26 × 103 |
| Specific heat capacity (cp, [J kg−1 K−1]) | 1.08 × 103 | 1.11 × 103 | 1.18 × 103 | 1.30 × 103 | 1.26 × 103 |
| Latent vaporization heat (ΔH, [J kg−1]) | 8.75 × 104 † | 1.04 × 105 | 6.22 × 104 | ||
| Boiling temperature (Tb, [K]) | 272 | 257 | 236 | ||
| Critical temperature (Tc, [K]) | 386 | 375 | 345 | ||
| Nucleation parameter (a, [-]) | 2.00 | 2.00 | 2.00 | 2.00 | 2.00 |
| Vaporization threshold (Vt, [keV/µm]) | 369 | 147 | 21.8 | 69.0 | 11.1 |
| Reduced superheat (s, [-]) | 0.232 | 0.336 | 0.580 | 0.452 | 0.679 |
References
- Lievens, Y.; Borras, J.M.; Grau, C. Provision and Use of Radiotherapy in Europe. Mol. Oncol. 2020, 14, 1461–1469. [Google Scholar] [CrossRef] [PubMed]
- Murshed, H. Intensity-Modulated and Image-Guided Radiation Therapy. In Fundamentals of Radiation Oncology; Elsevier Inc.: Amsterdam, The Netherlands, 2019; pp. 123–138. ISBN 9780128141281. [Google Scholar]
- Mijnheer, B.; Beddar, S.; Izewska, J.; Reft, C. In Vivo Dosimetry in External Beam Radiotherapy. Med. Phys. 2013, 40, 070903. [Google Scholar] [CrossRef] [PubMed]
- Olaciregui-Ruiz, I.; Beddar, S.; Greer, P.; Jornet, N.; McCurdy, B.; Paiva-Fonseca, G.; Mijnheer, B.; Verhaegen, F. In Vivo Dosimetry in External Beam Photon Radiotherapy: Requirements and Future Directions for Research, Development, and Clinical Practice. Phys. Imaging Radiat. Oncol. 2020, 15, 108–116. [Google Scholar] [CrossRef]
- van Elmpt, W.; Nijsten, S.; Petit, S.; Mijnheer, B.; Lambin, P.; Dekker, A. 3D In Vivo Dosimetry Using Megavoltage Cone-Beam CT and EPID Dosimetry. Int. J. Radiat. Oncol. Biol. Phys. 2009, 73, 1580–1587. [Google Scholar] [CrossRef] [PubMed]
- Aftabi, S.; Sasaki, D.; VanBeek, T.; Pistorius, S.; McCurdy, B. 4D in Vivo Dose Verification for Real-time Tumor Tracking Treatments Using EPID Dosimetry. Med. Dosim. 2021, 46, 29–38. [Google Scholar] [CrossRef] [PubMed]
- Bossuyt, E.; Weytjens, R.; Nevens, D.; De Vos, S.; Verellen, D. Evaluation of Automated Pre-Treatment and Transit in-Vivo Dosimetry in Radiotherapy Using Empirically Determined Parameters. Phys. Imaging Radiat. Oncol. 2020, 16, 113–129. [Google Scholar] [CrossRef] [PubMed]
- Verboven, E. Development of Ultrasound Contrast Agent Based Dosimetry for Radiotherapy; KU Leuven: Leuven, Belgium, 2017; p. 195. [Google Scholar]
- Collado-Lara, G.; Heymans, S.V.; Godart, J.; D’Agostino, E.; D’hooge, J.; Van Den Abeele, K.; Vos, H.J.; de Jong, N. Effect of a Radiotherapeutic Megavoltage Beam on Ultrasound Contrast Agents. Ultrasound Med. Biol. 2021, 47, 1857–1867. [Google Scholar] [CrossRef] [PubMed]
- Sheeran, P.S.; Luois, S.H.; Mullin, L.B.; Matsunaga, T.O.; Dayton, P.A. Design of Ultrasonically-Activatable Nanoparticles Using Low Boiling Point Perfluorocarbons. Biomaterials 2012, 33, 3262–3269. [Google Scholar] [CrossRef] [PubMed]
- Toumia, Y.; Miceli, R.; Domenici, F.; Heymans, S.V.; Carlier, B.; Cociorb, M.; Oddo, L.; Rossi, P.; D’Angellilo, R.M.; Sterpin, E.; et al. Ultrasound-Assisted Investigation of Photon Triggered Vaporization of Poly(Vinylalcohol) Phase-Change Nanodroplets: A Preliminary Concept Study with Dosimetry Perspective. Phys. Medica 2021, 89, 232–242. [Google Scholar] [CrossRef]
- Sheeran, P.S.; Matsuura, N.; Borden, M.A.; Williams, R.; Matsunaga, T.O.; Burns, P.N.; Dayton, P.A. Methods of Generating Submicrometer Phase-Shift Perfluorocarbon Droplets for Applications in Medical Ultrasonography. IEEE Trans. Ultrason. Ferroelectr. Freq. Control 2017, 64, 252–263. [Google Scholar] [CrossRef]
- Rapoport, N. Phase-Shift, Stimuli-Responsive Perfluorocarbon Nanodroplets for Drug Delivery to Cancer. Wiley Interdiscip. Rev. Nanomed. Nanobiotechnol. 2012, 4, 492–510. [Google Scholar] [CrossRef]
- Dove, J.D.; Mountford, P.A.; Murray, T.W.; Borden, M.A. Engineering Optically Triggered Droplets for Photoacoustic Imaging and Therapy. Biomed. Opt. Express 2014, 5, 4417. [Google Scholar] [CrossRef]
- Lin, C.-Y.; Pitt, W.G. Acoustic Droplet Vaporization in Biology and Medicine. Biomed Res. Int. 2013, 2013, 1–13. [Google Scholar] [CrossRef] [PubMed]
- Luke, G.P.; Hannah, A.S.; Emelianov, S.Y. Super-Resolution Ultrasound Imaging in Vivo with Transient Laser-Activated Nanodroplets. Nano Lett. 2016, 16, 2556–2559. [Google Scholar] [CrossRef]
- Zhou, Y.; Wang, R.; Teng, Z.; Wang, Z.; Hu, B.; Kolios, M.; Chen, H.; Zhang, N.; Wang, Y.; Li, P.; et al. Magnetic Nanoparticle-Promoted Droplet Vaporization for in Vivo Stimuli-Responsive Cancer Theranostics. NPG Asia Mater. 2016, 8, e313. [Google Scholar] [CrossRef]
- Carlier, B.; Heymans, S.V.; Nooijens, S.; Toumia, Y.; Ingram, M.; Paradossi, G.; D’Agostino, E.; Himmelreich, U.; D’Hooge, J.; Van Den Abeele, K.; et al. Proton Range Verification with Ultrasound Imaging Using Injectable Radiation Sensitive Nanodroplets: A Feasibility Study. Phys. Med. Biol. 2020, 65, 065013. [Google Scholar] [CrossRef]
- D’Errico, F. Radiation Dosimetry and Spectrometry with Superheated Emulsions. Nucl. Instrum. Methods Phys. Res. Sect. B Beam Interact. Mater. Atoms 2001, 184, 229–254. [Google Scholar] [CrossRef]
- D’Errico, F. Fundamental Properties of Superheated Drop (Bubble) Detectors. Radiat. Prot. Dosimetry 1999, 84, 55–62. [Google Scholar] [CrossRef]
- Heymans, S.V.; Carlier, B.; Toumia, Y.; Nooijens, S.; Ingram, M.; Giammanco, A.; d’Agostino, E.; Crijns, W.; Bertrand, A.; Paradossi, G.; et al. Modulating Ultrasound Contrast Generation from Injectable Nanodroplets for Proton Range Verification by Varying the Degree of Superheat. Med. Phys. 2021, 48, 1983–1995. [Google Scholar] [CrossRef]
- Collado-Lara, G.; Heymans, S.V.; Rovituso, M.; Carlier, B.; Toumia, Y.; Verweij, M.; Paradossi, G.; Sterpin, E.; Vos, H.J.; D’hooge, J.; et al. Spatiotemporal Distribution of Nanodroplet Vaporization in a Proton Beam Using Real-Time Ultrasound Imaging for Range Verification. Ultrasound Med. Biol. 2022, 48, 149–156. [Google Scholar] [CrossRef]
- Brambila, C.J.; Lux, J.; Mattrey, R.F.; Boyd, D.; Borden, M.A.; De Gracia Lux, C. Bubble Inflation Using Phase-Change Perfluorocarbon Nanodroplets as a Strategy for Enhanced Ultrasound Imaging and Therapy. Langmuir 2020, 36, 2954–2965. [Google Scholar] [CrossRef]
- Naseri, A.; Mesbahi, A. A Review on Photoneutrons Characteristics in Radiation Therapy with High-Energy Photon Beams. Reports Pract. Oncol. Radiother. 2010, 15, 138–144. [Google Scholar] [CrossRef]
- Seitz, F. On the Theory of the Bubble Chamber. Phys. Fluids 1958, 1, 2–13. [Google Scholar] [CrossRef]
- Mountford, P.A.; Borden, M.A. On the Thermodynamics and Kinetics of Superheated Fluorocarbon Phase-Change Agents. Adv. Colloid Interface Sci. 2016, 237, 15–27. [Google Scholar] [CrossRef]
- Kassis, A.I. The Amazing World of Auger Electrons. Int. J. Radiat. Biol. 2004, 80, 789–803. [Google Scholar] [CrossRef] [PubMed]
- D’Errico, F.; Nath, R.; Nolte, R. A Model for Photon Detection and Dosimetry with Superheated Emulsions. Med. Phys. 2000, 27, 401–409. [Google Scholar] [CrossRef] [PubMed]
- Sheeran, P.S.; Matsunaga, T.O.; Dayton, P.A. Phase Change Events of Volatile Liquid Perfluorocarbon Contrast Agents Produce Unique Acoustic Signatures. Phys. Med. Biol. 2014, 59, 379–401. [Google Scholar] [CrossRef]
- Sheeran, P.S.; Rojas, J.D.; Puett, C.; Hjelmquist, J.; Arena, C.B.; Dayton, P.A. Contrast-Enhanced Ultrasound Imaging and in Vivo Circulatory Kinetics with Low-Boiling-Point Nanoscale Phase-Change Perfluorocarbon Agents. Ultrasound Med. Biol. 2015, 41, 814–831. [Google Scholar] [CrossRef]
- Li, D.S.; Schneewind, S.; Bruce, M.; Khaing, Z.; O’Donnell, M.; Pozzo, L. Spontaneous Nucleation of Stable Perfluorocarbon Emulsions for Ultrasound Contrast Agents. Nano Lett. 2019, 19, 173–181. [Google Scholar] [CrossRef] [PubMed]
- Kawabata, K.; Sugita, N.; Yoshikawa, H.; Azuma, T.; Umemura, S. Nanoparticles with Multiple Perfluorocarbons for Controllable Ultrasonically Induced Phase Shifting. Jpn. J. Appl. Phys. 2005, 44, 4548–4552. [Google Scholar] [CrossRef]
- Riemer, K.; Tan, Q.; Morse, S.; Bau, L.; Toulemonde, M.; Yan, J.; Zhu, J.; Wang, B.; Taylor, L.; Lerendegui, M.; et al. 3D Acoustic Wave Sparsely Activated Localization Microscopy With Phase Change Contrast Agents. Investig. Radiol. 2023, 59, 379–390. [Google Scholar] [CrossRef]
- Mountford, P.A.; Smith, W.S.; Borden, M.A. Fluorocarbon Nanodrops as Acoustic Temperature Probes. Langmuir 2015, 31, 10656–10663. [Google Scholar] [CrossRef]
- Heymans, S.V.; Collado-Lara, G.; Rovituso, M.; Vos, H.J.; D’hooge, J.; De Jong, N.; Van Abeele, K. Den Acoustic Modulation Enables Proton Detection With Nanodroplets at Body Temperature. IEEE Trans. Ultrason. Ferroelectr. Freq. Control 2022, 69, 2028–2038. [Google Scholar] [CrossRef]
- Carlier, B.; Collado-Lara, G.; Heymans, S.; Toumia, Y.; Musetta, L.; Paradossi, G.; Vos, H.; Van Den Abeele, K.; D’hooge, J.; Himmelreich, U.; et al. First in Vivo Proof-of-Concept of Nanodroplet-Mediated Ultrasound-Based Proton Range Verification. Radiother. Oncol. 2023, 182, S562–S563. [Google Scholar] [CrossRef]
- Livshts, M.A.; Khomyakova, E.; Evtushenko, E.G.; Lazarev, V.N.; Kulemin, N.A.; Semina, S.E.; Generozov, E.V.; Govorun, V.M. Isolation of Exosomes by Differential Centrifugation: Theoretical Analysis of a Commonly Used Protocol. Sci. Rep. 2015, 5, 17319. [Google Scholar] [CrossRef]
- Baldock, C.; De Deene, Y.; Doran, S.; Ibbott, G.; Jirasek, A.; Lepage, M.; McAuley, K.B.; Oldham, M.; Schreiner, L.J. Polymer Gel Dosimetry. Phys. Med. Biol. 2010, 55, R1. [Google Scholar] [CrossRef]
- Farhood, B.; Geraily, G.; Abtahi, S.M.M. A Systematic Review of Clinical Applications of Polymer Gel Dosimeters in Radiotherapy. Appl. Radiat. Isot. 2019, 143, 47–59. [Google Scholar] [CrossRef]
- Couture, O.; Hingot, V.; Heiles, B.; Muleki-Seya, P.; Tanter, M. Ultrasound Localization Microscopy and Super-Resolution: A State of the Art. IEEE Trans. Ultrason. Ferroelectr. Freq. Control 2018, 65, 1304–1320. [Google Scholar] [CrossRef]
- Errico, C.; Pierre, J.; Pezet, S.; Desailly, Y.; Lenkei, Z.; Couture, O.; Tanter, M. Ultrafast Ultrasound Localization Microscopy for Deep Super-Resolution Vascular Imaging. Nature 2015, 527, 499–502. [Google Scholar] [CrossRef]
- Desailly, Y.; Pierre, J.; Couture, O.; Tanter, M. Resolution Limits of Ultrafast Ultrasound Localization Microscopy. Phys. Med. Biol. 2015, 60, 8723–8740. [Google Scholar] [CrossRef]
- Bubble Technology Industries BD-PND—Personal Neutron Dosimeter. Available online: https://bubbletech.ca/product/bd-pnd-personal-neutron-dosimeter/ (accessed on 29 December 2023).
- Van Der Heyden, B.; Heymans, S.V.; Carlier, B.; Collado-Lara, G.; Sterpin, E.; Dhooge, J. Deep Learning for Dose Assessment in Radiotherapy by the Super-Localization of Vaporized Nanodroplets in High Frame Rate Ultrasound Imaging. Phys. Med. Biol. 2022, 67, 115015. [Google Scholar] [CrossRef]
- Hewener, H.; Risser, C.; Barry-Hummel, S.; Fonfara, H.; Fournelle, M.; Tretbar, S. Integrated 1024 Channel Ultrasound Beamformer for Ultrasound Research. In Proceedings of the 2020 IEEE International Ultrasonics Symposium (IUS), Las Vegas, NV, USA, 7–11 September 2020; pp. 17–20. [Google Scholar] [CrossRef]
- Wei, L.; Wahyulaksana, G.; Meijlink, B.; Ramalli, A.; Noothout, E.; Verweij, M.; Boni, E.; Kooiman, K.; Van der Steen, A.F.W.; Tortoli, P.; et al. High Frame Rate Volumetric Imaging of Microbubbles Using a Sparse Array and Spatial Coherence Beamforming. IEEE Trans. Ultrason. Ferroelectr. Freq. Control 2021, 68, 3069–3081. [Google Scholar] [CrossRef] [PubMed]
- Ashraf, M.R.; Rahman, M.; Zhang, R.; Williams, B.B.; Gladstone, D.J.; Pogue, B.W.; Bruza, P. Dosimetry for FLASH Radiotherapy: A Review of Tools and the Role of Radioluminescence and Cherenkov Emission. Front. Phys. 2020, 8, 328. [Google Scholar] [CrossRef]
- Biglin, E.R.; Price, G.J.; Chadwick, A.L.; Aitkenhead, A.H.; Williams, K.J.; Kirkby, K.J. Preclinical Dosimetry: Exploring the Use of Small Animal Phantoms. Radiat. Oncol. 2019, 14, 134. [Google Scholar] [CrossRef]
- Verhaegen, F.; Dubois, L.; Gianolini, S.; Hill, M.A.; Karger, C.P.; Lauber, K.; Prise, K.M.; Sarrut, D.; Thorwarth, D.; Vanhove, C.; et al. ESTRO ACROP: Technology for Precision Small Animal Radiotherapy Research: Optimal Use and Challenges. Radiother. Oncol. 2018, 126, 471–478. [Google Scholar] [CrossRef] [PubMed]
- Toumia, Y.; Cerroni, B.; Domenici, F.; Lange, H.; Bianchi, L.; Cociorb, M.; Brasili, F.; Chiessi, E.; D’Agostino, E.; Van Den Abeele, K.; et al. Phase Change Ultrasound Contrast Agents with a Photopolymerized Diacetylene Shell. Langmuir 2019, 35, 10116–10127. [Google Scholar] [CrossRef]
- Putz, A.M.V.; Burghelea, T.I. The Solid-Fluid Transition in a Yield Stress Shear Thinning Physical Gel. Rheol. Acta 2009, 48, 673–689. [Google Scholar] [CrossRef]
- Brunet, T.; Raffy, S.; Mascaro, B.; Leng, J.; Wunenburger, R.; Mondain-Monval, O.; Poncelet, O.; Aristégui, C. Sharp Acoustic Multipolar-Resonances in Highly Monodisperse Emulsions. Appl. Phys. Lett. 2012, 101, 011913. [Google Scholar] [CrossRef]
- Viessmann, O.M.; Eckersley, R.J.; Christensen-Jeffries, K.; Tang, M.X.; Dunsby, C. Acoustic Super-Resolution with Ultrasound and Microbubbles. Phys. Med. Biol. 2013, 58, 6447–6458. [Google Scholar] [CrossRef]
- Duan, Y.Y.; Shi, L.; Zhu, M.S.; Han, L.Z.; Lei, X. Surface Tension of Pentafluoroethane and 1,1,1,2,3,3,3-Heptafluoropropane. Fluid Phase Equilib. 2000, 172, 237–244. [Google Scholar] [CrossRef]
- Eckl, B.; Huang, Y.L.; Vrabec, J.; Hans, H. Vapor Pressure of R227ea + Ethanol at 343.13 K by Molecular Simulation. Fluid Phase Equilib. 2007, 260, 177–182. [Google Scholar] [CrossRef]
- Hu, P.; Chen, Z.; Cheng, W. Vapor Pressure Measurements of 1,1,1,2,3,3,3-Heptafluoropropane from 233.15 to 375.15 K. J. Chem. Eng. Data 2002, 47, 20–22. [Google Scholar] [CrossRef]







| Exp. | Matrix | Amount of Phantoms | ND Shell | ND Conc. [µM 19F] | Temp. [°C] | Dose [Gy] | Dose Rate [Gy/min] | Energy [MV] | US Imaging |
|---|---|---|---|---|---|---|---|---|---|
| 1 | Gelatine | 1 | - | - | 25 | 10 | 2 | 10 | Offline |
| 2 | PCDA | 25 | 25 | - | - | - | |||
| 3 | PCDA | 25 | 25 | 10 | 2 | 10 | |||
| 2 | PVA | 25 | 25 | - | - | - | |||
| 3 | PVA | 25 | 25 | 10 | 2 | 10 | |||
| 2 | poly(acryl-amide) gel | 2 | PVA | 50 | 37 | - | - | - | Offline |
| 2 | PVA | 50 | 37 | 10 | 4 | 6 | |||
| 2 | PVA | 50 | 37 | 10 | 4 | 15 | |||
| 1 | - | - | 65 | 4 | 4 | 6 | |||
| 3 | PVA | 25 | 65 | - | - | - | |||
| 5 | PVA | 25 | 65 | 10 | 4 | 6 | |||
| 3 | Carbopol | 1 | - | - | 65 | 4 | 4 | 6 | Online |
| 1 | PVA | 40 | 65 | 2 | 0.8 | 6 | |||
| 6 | PVA | 20 | 65 | 6 | 2.4 | 6 |
| Parameter | Quantity | Parameter | Quantity |
|---|---|---|---|
| Echo time | 27.41 ms | Matrix size | 256 × 256 |
| Repetition time | 2 s | Field of view | 45 × 35 mm |
| Number of averages | 4 | Scan time | 4 min 16 s |
| RARE factor | 8 |
Disclaimer/Publisher’s Note: The statements, opinions and data contained in all publications are solely those of the individual author(s) and contributor(s) and not of MDPI and/or the editor(s). MDPI and/or the editor(s) disclaim responsibility for any injury to people or property resulting from any ideas, methods, instructions or products referred to in the content. |
© 2024 by the authors. Licensee MDPI, Basel, Switzerland. This article is an open access article distributed under the terms and conditions of the Creative Commons Attribution (CC BY) license (https://creativecommons.org/licenses/by/4.0/).
Share and Cite
Carlier, B.; Heymans, S.V.; Nooijens, S.; Collado-Lara, G.; Toumia, Y.; Delombaerde, L.; Paradossi, G.; D’hooge, J.; Van Den Abeele, K.; Sterpin, E.; et al. A Preliminary Investigation of Radiation-Sensitive Ultrasound Contrast Agents for Photon Dosimetry. Pharmaceuticals 2024, 17, 629. https://doi.org/10.3390/ph17050629
Carlier B, Heymans SV, Nooijens S, Collado-Lara G, Toumia Y, Delombaerde L, Paradossi G, D’hooge J, Van Den Abeele K, Sterpin E, et al. A Preliminary Investigation of Radiation-Sensitive Ultrasound Contrast Agents for Photon Dosimetry. Pharmaceuticals. 2024; 17(5):629. https://doi.org/10.3390/ph17050629
Chicago/Turabian StyleCarlier, Bram, Sophie V. Heymans, Sjoerd Nooijens, Gonzalo Collado-Lara, Yosra Toumia, Laurence Delombaerde, Gaio Paradossi, Jan D’hooge, Koen Van Den Abeele, Edmond Sterpin, and et al. 2024. "A Preliminary Investigation of Radiation-Sensitive Ultrasound Contrast Agents for Photon Dosimetry" Pharmaceuticals 17, no. 5: 629. https://doi.org/10.3390/ph17050629
APA StyleCarlier, B., Heymans, S. V., Nooijens, S., Collado-Lara, G., Toumia, Y., Delombaerde, L., Paradossi, G., D’hooge, J., Van Den Abeele, K., Sterpin, E., & Himmelreich, U. (2024). A Preliminary Investigation of Radiation-Sensitive Ultrasound Contrast Agents for Photon Dosimetry. Pharmaceuticals, 17(5), 629. https://doi.org/10.3390/ph17050629

