Echo-Level SAR Imaging Simulation of Wakes Excited by a Submerged Body
Abstract
1. Introduction
2. Modeling Submerged Body Wakes in Complex Sea Surface Backgrounds
2.1. The Fluid Dynamics Model of Submerged Body Wakes
2.2. Modeling of Randomly Rough Sea Surfaces
3. Electromagnetic Modeling of Submerged Body Wakes
4. SAR Imaging Simulation of the Wake over the Sea Surface
4.1. SAR Imaging Processing of Wake over the Sea Surface Based on SAR Echo Signals
- Upon conducting the fast Fourier transform (FFT) along the range direction, the SAR raw echo signal in the frequency domain along the range dimension can be represented as:
- The SAR raw echo signal is multiplied by the range-matched filter in the range frequency domain to eliminate the second-order phase term related to fast time . The expression for the range-matched filter is:The echo signal after the range compression is expressed as:
- Changes in the instantaneous slant range lead to range cell migration, requiring correction. Range cell migration correction (RCMC) is implemented post-range compression and prior to azimuth compression. RCMC is commonly implemented within the Range-Doppler domain. The echo signal and the slant range formula in the Range-Doppler (RD) domain are obtained by azimuthal FFT and are given by:The amount of RCM to correct is given by:The Sinc interpolation operation can be used for the range cell migration correction (RCMC), Assuming the RCMC interpolation is applied accurately, the signal can be expressed as:In (19), the range envelope is now independent of azimuth frequency, indicating that the RCM has been corrected.
- An azimuth matched filter in the Range-Doppler domain is used to achieve azimuth compression and can be given byThe 2D time domain complex amplitude of compressed signal is obtained after inverse fast Fourier transform (IFFT) along the azimuth direction.The above is the process for the actual imaging for wakes over a sea surface.
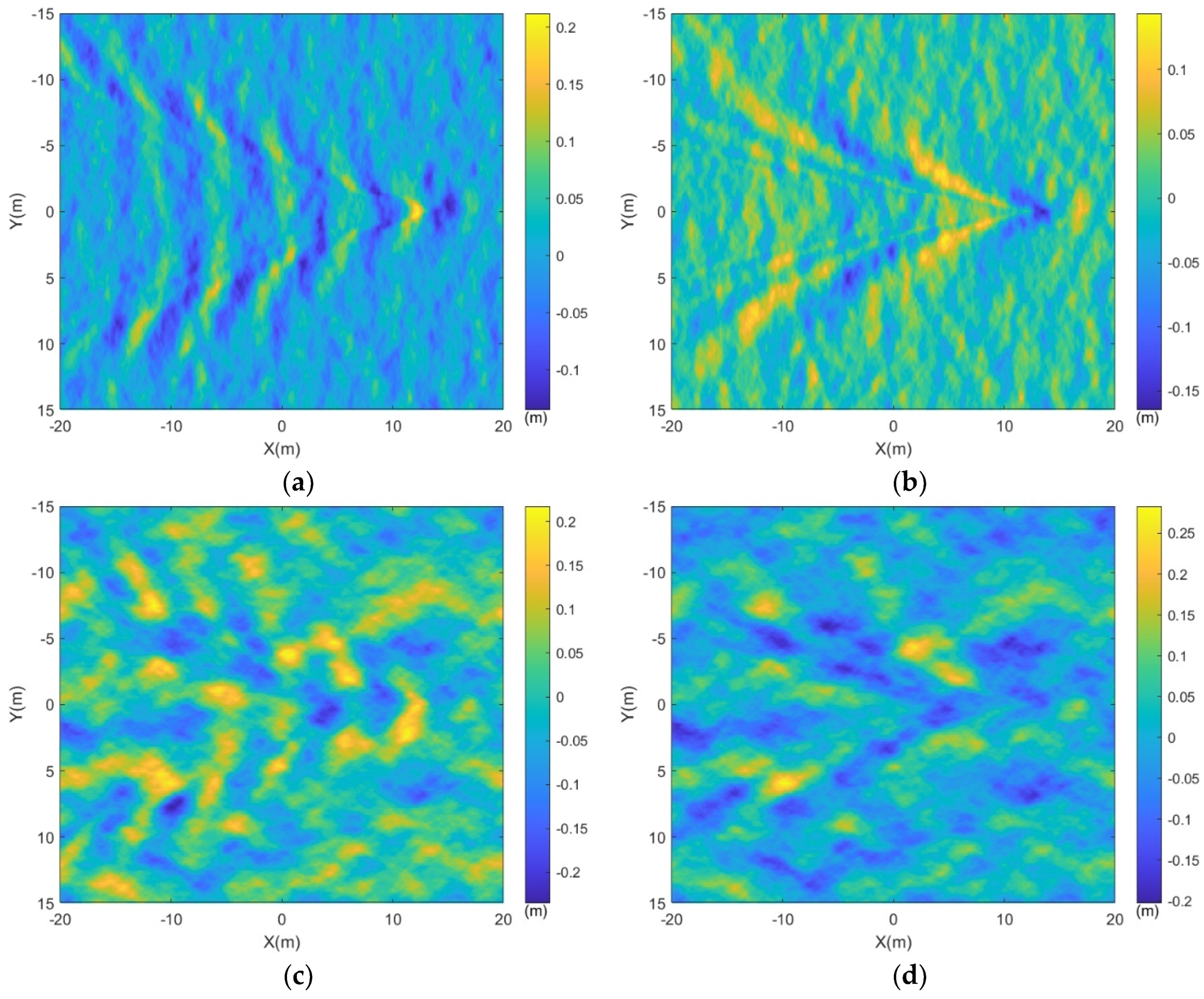
4.2. Results and Discussion
5. Conclusions
Author Contributions
Funding
Institutional Review Board Statement
Informed Consent Statement
Data Availability Statement
Conflicts of Interest
References
- Stefanick, T. Strategic Antisubmarine Warfare and Naval Strategy; Lexington Books: Lexington, MA, USA, 1987; ISBN 978-0-669-14015-6. [Google Scholar]
- May, D.; Wren, G.G. Detection of Submerged Vessels Using Remote Sensing Techniques. Aust. Def. Force J. 1997, 8–15. [Google Scholar]
- Anderson, S.J. HF Radar Signatures of Ship and Submarine Wakes. J. Eng. 2019, 2019, 7512–7520. [Google Scholar] [CrossRef]
- Michell, J.H. XI. The Wave-Resistance of a Ship. Lond. Edinb. Dublin Philos. Mag. J. Sci. 1898, 45, 106–123. [Google Scholar] [CrossRef]
- Wang, H. Spectral Comparisons of Ocean Waves and Kelvin Ship Waves. In Proceedings of the Seventh Offshore Mechanics and Arctic Engineering Symposium, New York, NY, USA, 7–12 February 1988; Volume 2, pp. 253–261. [Google Scholar]
- Eggers, K.W.H. An Assessment of Some Experimental Methods for Determining the Wavemaking Characteristics of a Ship Form. Sname Trans. 1967, 75, 112–157. [Google Scholar]
- Tuck, E.O.; Collins, J.I.; Wells, W.H. On Ship Wave Patterns and Their Spectra. J. Ship Res. 1971, 15, 11–21. [Google Scholar] [CrossRef]
- Yim, B. Waves Due to a Submerged Body; Hydronautics, Incorporated: Oceanside, CA, USA, 1963; Volume 231. [Google Scholar]
- Newman, J.N. Marine Hydrodynamics; The MIT Press: Cambridge, MA, USA, 2018. [Google Scholar]
- Amiri, M.M.; Esperança, P.T.; Vitola, M.A.; Sphaier, S.H. How Does the Free Surface Affect the Hydrodynamics of a Shallowly Submerged Submarine? Appl. Ocean Res. 2018, 76, 34–50. [Google Scholar] [CrossRef]
- Wang, L.; Zhang, M.; Wang, J. Synthetic Aperture Radar Image Simulation of the Internal Waves Excited by a Submerged body in a Stratified Ocean. Waves Random Complex Media 2020, 30, 177–191. [Google Scholar] [CrossRef]
- Zilman, G.; Zapolski, A.; Marom, M. On Detectability of a Ship’s Kelvin Wake in Simulated SAR Images of Rough Sea Surface. IEEE Trans. Geosci. Remote Sens. 2015, 53, 609–619. [Google Scholar] [CrossRef]
- Liu, P.; Jin, Y. Simulation of Synthetic Aperture Radar Imaging of Dynamic Wakes of Submerged Body. IET Radar Sonar Navig. 2017, 11, 481–489. [Google Scholar] [CrossRef]
- Zhang, Y.; Xiao, T.; Guo, L.; Li, H. Effect of Wind Speed on Internal Wave Imaging of Multi-Polarimetric Spaceborne SAR. In Proceedings of the 2020 IEEE Radar Conference (RadarConf20), Florence, Italy, 21–25 September 2020; pp. 1–6. [Google Scholar]
- Groves, N.C.; Huang, T.T.; Chang, M.S. Geometric Characteristics of DARPA (Defense Advanced Research Projects Agency) SUBOFF Models (DTRC Model Numbers 5470 and 5471); David Taylor Research Center: Bethesda, MD, USA, 1989.
- Liu, H.-L.; Huang, T.T. Summary of DARPA SUBOFF Experimental Program Data; Naval Surface Warfare Center, Carderock Division (NEWCCD): Potomac, MD, USA, 1998. [Google Scholar]
- Wang, L.; Martin, J.E.; Felli, M.; Carrica, P.M. Experiments and CFD for the Propeller Wake of a Generic Submarine Operating near the Surface. Ocean Eng. 2020, 206, 107304. [Google Scholar] [CrossRef]
- Speziale, C.G.; Sarkar, S.; Gatski, T.B. Modelling the Pressure–Strain Correlation of Turbulence: An Invariant Dynamical Systems Approach. J. Fluid Mech. 1991, 227, 245–272. [Google Scholar] [CrossRef]
- Kostyukov, A.A. Theory of Ship Waves and Wave Resistance; ECI Iowa: Des Moines, IA, USA, 1968.
- Mansour, A.; Liu, D.; Paulling, J.R. The Principles of Naval Architecture Series; The Society of Naval Architects and Marine Engineers: Jersey City, NJ, USA, 2008.
- Elfouhaily, T.; Chapron, B.; Katsaros, K.; Vandemark, D. A Unified Directional Spectrum for Long and Short Wind-Driven Waves. J. Geophys. Res. Ocean. 1997, 102, 15781–15796. [Google Scholar] [CrossRef]
- Holthuijsen, L.H. Waves in Oceanic and Coastal Waters; Cambridge University Press: Cambridge, UK, 2010. [Google Scholar]
- Schwenger, F.; Repasi, E. Sea Surface Simulation for Testing of Multiband Imaging Sensors. In Proceedings of the Targets and Backgrounds IX: Characterization and Representation, Orlando, FL, USA, 5 September 2003; Volume 5075, pp. 72–84. [Google Scholar]
- Kudryavtsev, V.; Hauser, D.; Caudal, G.; Chapron, B. A Semiempirical Model of the Normalized Radar Cross-section of the Sea Surface 1. Background Model. J. Geophys. Res. 2003, 108, FET 2-1–FET 2-24. [Google Scholar] [CrossRef]
- Wright, J.W. A New Model for Sea Clutter. IEEE Trans. Antennas Propag. 1968, 16, 217–223. [Google Scholar] [CrossRef]
- Valenzuela, G.R. Theories for the Interaction of Electromagnetic and Oceanic Waves? A Review. Bound.-Layer Meteorol. 1978, 13, 61–85. [Google Scholar] [CrossRef]
- Valenzuela, G.R. Scattering of Electromagnetic Waves from a Tilted Slightly Rough Surface. Radio Sci. 1968, 3, 1057–1066. [Google Scholar] [CrossRef]
- Hasselmann, K.; Raney, R.K.; Plant, W.J.; Alpers, W.; Shuchman, R.A.; Lyzenga, D.R.; Rufenach, C.L.; Tucker, M.J. Theory of Synthetic Aperture Radar Ocean Imaging: A MARSEN View. J. Geophys. Res. 1985, 90, 4659–4686. [Google Scholar] [CrossRef]
- Romeiser, R.; Alpers, W.; Wismann, V. An Improved Composite Surface Model for the Radar Backscattering Cross Section of the Ocean Surface: 1. Theory of the Model and Optimization/Validation by Scatterometer Data. J. Geophys. Res. 1997, 102, 25237–25250. [Google Scholar] [CrossRef]
- Donelan, M.A.; Pierson, W.J. Radar Scattering and Equilibrium Ranges in Wind-Generated Waves with Application to Scatterometry. J. Geophys. Res. 1987, 92, 4971. [Google Scholar]
- Shao, Y.; Zhu, Z. Squint Mode Airborne SAR Processing Using RD Algorithm. In Proceedings of the IEEE 1997 National Aerospace and Electronics Conference, NAECON 1997, Dayton, OH, USA, 14–17 July 1997; Volume 2, pp. 1025–1029. [Google Scholar]


















| Parameter | Units | I | II |
|---|---|---|---|
| Depth (h) | m | h = 1.1D | |
| SUBOFF velocity (U) | m/s | 3 | 5 |
| Wake scene size | m × m | 30 × 40 | |
| Velocity (m/s) | Trough (m) | Peak (m) | Theoretical Wavelength (m) | Actual Wavelength (m) |
|---|---|---|---|---|
| 3 | −0.11 | 0.138 | 5.764 | 5.75 |
| 5 | −0.161 | 0.077 | 16.01 | 17.80 |
| Parameter Name | Value | Parameter Name | Value |
|---|---|---|---|
| Radar center frequency | 5.3 GHz | Antenna aperture | 0.5 m |
| Transmitted pulse duration | 1.5 μs | Radar flight altitude | 1000 m |
| Effective radar velocity | 60 m/s | Theoretical range resolution | 0.25 m |
| Transmitted signal bandwidth | 600 MHz | Theoretical azimuth resolution | 0.25 m |
| Beam squint angle | 0° | Average transmitted power | 1 W |
| Radar incidence angle | 30° | Radar gain | 65 dB |
Disclaimer/Publisher’s Note: The statements, opinions and data contained in all publications are solely those of the individual author(s) and contributor(s) and not of MDPI and/or the editor(s). MDPI and/or the editor(s) disclaim responsibility for any injury to people or property resulting from any ideas, methods, instructions or products referred to in the content. |
© 2024 by the authors. Licensee MDPI, Basel, Switzerland. This article is an open access article distributed under the terms and conditions of the Creative Commons Attribution (CC BY) license (https://creativecommons.org/licenses/by/4.0/).
Share and Cite
Jia, Y.; Liu, S.; Liu, Y.; Zhai, L.; Gong, Y.; Zhang, X. Echo-Level SAR Imaging Simulation of Wakes Excited by a Submerged Body. Sensors 2024, 24, 1094. https://doi.org/10.3390/s24041094
Jia Y, Liu S, Liu Y, Zhai L, Gong Y, Zhang X. Echo-Level SAR Imaging Simulation of Wakes Excited by a Submerged Body. Sensors. 2024; 24(4):1094. https://doi.org/10.3390/s24041094
Chicago/Turabian StyleJia, Yan, Shuyi Liu, Yongqing Liu, Limin Zhai, Yifan Gong, and Xiangkun Zhang. 2024. "Echo-Level SAR Imaging Simulation of Wakes Excited by a Submerged Body" Sensors 24, no. 4: 1094. https://doi.org/10.3390/s24041094
APA StyleJia, Y., Liu, S., Liu, Y., Zhai, L., Gong, Y., & Zhang, X. (2024). Echo-Level SAR Imaging Simulation of Wakes Excited by a Submerged Body. Sensors, 24(4), 1094. https://doi.org/10.3390/s24041094
