Abstract
An image is a visual representation that can be used to obtain information. A camera on a moving vector (e.g., on a rover, drone, quad, etc.) may acquire images along a controlled trajectory. The maximum visual information is captured during a fixed acquisition time when consecutive images do not overlap and have no space (or gap) between them. The images acquisition is said to be anomalous when two consecutive images overlap (overlap anomaly) or have a gap between them (gap anomaly). In this article, we report a new algorithm, named OVERGAP, that remove these two types of anomalies when consecutive images are obtained from an on-board camera on a moving vector. Anomaly detection and correction use here both the Dynamic Time Warping distance and Wasserstein distance. The proposed algorithm produces consecutive, anomaly-free images with the desired size that can conveniently be used in a machine learning process (mainly Deep Learning) to create a prediction model for a feature of interest.
1. Introduction
A camera installed on a mobile vector, such as a rover or a drone, may be used to acquire images along a controlled trajectory (see, e.g., [1,2,3,4]). More specifically, we can think of a camera on a rover that moves between the rows of a vineyard to capture images of the plants (see, e.g., [2]). These acquired images can be used to build models to predict diseases, yield, etc. [1,5].
In the illustration of Figure 1, the mobile vector is equipped with a camera to acquire sequences of images and a Global Positioning System (GPS) receiver [6] to estimate the corresponding camera positions over time. As the vector progresses along the furrows, the camera captures information through a set of consecutive frames.
Figure 1.
Context of the image acquisition system using an on-board camera on a moving vector (rover).
The vector may not follow during time a path which is strictly parallel to the scene, since the area could be non-uniform or/and the vector could be driven manually. As the distance between the camera and the row of plants is not fixed during the rover displacement, the acquired images overlap or have undesirable gaps between them. Moreover, from using an on-board GPS receiver, the position of the camera can be estimated with unavoidable uncertainties. A global navigation satellite system provides actually geolocation and time information to a GPS receiver anywhere on or near the Earth where there is an unobstructed line of sight to four or more GPS satellites [6]. The geolocation precision can be a few meters with a standard GPS and can reach a few cm using Differential GPS (DGPS) [7].
When consecutive images do not overlap and have no space (or gap) between them, the maximum visual information is captured by the image acquisition system during a fixed acquisition time. The images acquisition is said to be anomalous when two consecutive images overlap (overlap anomaly [4]) or have a gap between them (gap anomaly).
Image stitching is the process of combining multiple images with overlapping fields of view to produce a single larger image. In image stitching, multiple image pairs are successively registered relative to each other to form a panorama. In [4], the authors report an automated prediction of vineyard yield from image acquisition in which two consecutive images contain a repeated vine segment and, consequently, only the overlap anomaly is considered. Consecutive images were matched using the ‘Auto Blend’ tool provided by Adobe Photoshop (Adobe Systems Incorporated; San José, 179 CA, USA) [8] and the correction of the overlap anomaly is performed offline. However, ref. [4] does not explain how the overlap is kept between consecutive images, and additionally does not consider gap anomalies. A comparison of different stitching algorithms (SIFT, SURF, KAZE, AKAZE, ORB and BRISK) is presented in [9,10]. Ref. [11] explains a new method to solve the perspective deformation and misalignment in image stitching. Ref [12] presents an enhanced SIFT method designed for the stitching of underwater images characterized by smeared feature contours. Ref. [13] presents a method for automatic image stitching of agriculture areas based on utilizing an unmanned aerial vehicle using SURF.
In this article, we report a new real-time algorithm, named OVERGAP, to acquire consecutive images without overlap and gap anomalies. This algorithm offers a different solution from the stitching algorithms mentioned above. These stitching methods need to detect some matched features between consecutive images. However, when working with vineyard images, they have difficulties in detecting a sufficient number of matched features. OVERGAP works differently and detects anomalies that these stitching methods are not able to correct. We have worked here exclusively with images in which the anomalies have been simulated.
The algorithm allows for collecting all the visual information through a set of consecutive images sharing the same dimension. This set is useful for building prediction models of a feature of interest (e.g., the vineyard yield of a plot) based on supervised learning.
The OVERGAP algorithm constitutes a new approach to anomaly detection and correction. It allows for detecting anomalies during the acquisition of consecutive images and correcting them. The algorithm fills in missing information from a gap anomaly and removes redundant information from an overlap anomaly. It could act prior to the use of a prediction model. This approach contrasts with other works where learning techniques are used to create a model with the sole purpose of detecting and correcting anomalies. For example, in [14] anomalies are detected in an unsupervised manner and in [15] they are detected and corrected using a model obtained in a supervised manner. The anomalies in [14] and [15] are different from those detected and corrected by the proposed OVERGAP algorithm.
The article is organized as follows: in Section 2, we explain in detail the inputs used by the OVERGAP algorithm and in Section 3, the algorithm is described. Section 4 and Section 5 report the application of OVERGAP to detect and correct anomalies. Section 6 analyzes other image stitching methods. Section 7 discusses the methodology. Finally, Section 8 concludes the article.
2. Background
In this section, some concepts useful for the OVERGAP algorithm are reported.
2.1. Key Features of Cameras for the OVERGAP Algorithm
Figure 2 indicates the three characteristic parameters of a camera in the visible domain, namely the image resolution (IR) in pixels, the image ratio (A) and the field of view (FOV). The provided field of view can be horizontal (HFOV), vertical (VFOV) or diagonal (DFOV). From these parameters, a camera located at a distance D from the scene will produce an image where the dimensions of the captured surface appearing in the image can be estimated.
Figure 2.
Parameters of the camera and size of the captured surface appearing in the image.
The variable X = IW/2 is calculated from Equation (1) depending on the type of FOV:
The parameters IW and IH can be derived from Equation (1), as follows:
For example, a Microsoft LifeCamStudio camera [16] has a FullHD resolution of 1920 × 1080 px and a DFOV of 75°. If we consider that D = 1 m, we obtain IW = 1.33 m and IH = 0.75 m.
2.2. The Dynamic Time Warping Distance
In time series analysis, Dynamic Time Warping (DTW) is a standard algorithm used for estimating the degree of similarity between two temporal sequences, which may vary in speed (see, e.g., [17,18,19]). For example, similarities could be detected in the gait of two people walking at different speeds. The main idea of the DTW technique is to estimate the distance from the matching of similar elements between time series. This distance will be used in the OVERGAP algorithm to detect overlap and gap anomalies in consecutive images. This distance is effective for comparing columns of different information. As will be detailed in Section 3.2 and Section 3.3, the OVERGAP algorithm derives from this distance which column in the image is most similar to a specific column in another image.
2.3. The Wasserstein Distance
The Wasserstein Distance (WD) is a similarity metric between two probability distributions (see, e.g., [20,21]). This distance is used here by OVERGAP algorithm to correct eventual anomalies during the acquisition of consecutive images. As shown in Section 3.2 and Section 3.3, it is mainly used to correct the distortion of the image during the displacement of the moving vector. WD is effective for comparing columns of similar information where the columns have a different scaling. The OVERGAP algorithm detects with WD how different the scaling is in order to resize an image. For each column a histogram is obtained. This depends on the number of bins selected. The Freedman Diaconis Estimator [22] has been used here to obtain the number of bins. This estimator is robust with respect to outliers and considers the variability and size of the data.
3. OVERGAP Algorithm
The OVERGAP algorithm is composed of three steps: (1) image acquisition, (2) anomaly detection and (3) anomaly correction. This section describes how often an image should be acquired. Subsequently, the detection and correction of (overlap and gap) anomalies are explained. At the end, we show how OVERGAP can work in real time.
3.1. Image Acquisition
Figure 3 sketches the acquisition process of consecutive images when the distance D and the position PC of the camera are certain (i.e., not tainted by errors). As mentioned above, the width of the image content spans IW m. In this case, all the information can be acquired at a distance D without anomalies. It is sufficient to perform a first acquisition when the camera position is at a distance IW/2 from the start and, subsequently, every IW m.
Figure 3.
Acquisition process of consecutive images when the distance D and the position PC are certain (i.e., without errors).
When there are anomalies between consecutive images, image acquisition must be corrected, because more images are necessary in addition to the consecutive images to correct anomalies. For example, in Figure 4, there are six images that have been obtained each time the device progresses by the distance IW/2 m. The odd numbered images (IM1, IM3, IM6, …) in green are the main images (MI). The even images (IM2, IM4, IM6, …) in red are the secondary images (SI). The OVERGAP algorithm is applied between each pair of consecutive MIs. The even image between these images is used to detect and correct the anomaly.
Figure 4.
Acquisition of images every IW/2 m.
Acquiring an image every IW/2 m is one of the important points of the OVERGAP algorithm. The anomaly between consecutive images can be detected and corrected as long as the corresponding even image includes the overlap or gap.
Figure 5.
Acquisition of IM1 and IM3 together with IM2. In the case of an anomaly, the overlap or gap must be included in IM2.
- (1)
- there is no anomaly between IM1 and IM3;
- (2)
- there is overlap between IM1 and IM3 that is included in IM2;
- (3)
- there is a gap between IM1 and IM3 that is included in IM2.
3.2. Overlap Detection and Correction
Figure 6 shows two consecutive MIs (IM1, IM3) and their corresponding SI (IM2). There is an overlap between the MIs and, therefore, an overlap anomaly occurs.
Figure 6.
Two consecutive MIs (IM1, IM3) and their corresponding SI (IM2). Overlap anomaly occurs.
To detect anomalies, OVERGAP uses the DTW distance in order to find the column of IM2 that is the intersection with the last column of IM1. The position of the column with the minimum distance is q1. Likewise, OVERGAP looks for the column of IM2 that is the intersection with the first column of IM3. The position of the column with the minimum distance is q2. Since q1 > q2, an overlap anomaly has been detected and the region between q1 and q2 of IM2 is the Overlapping Portion (OP).
IM1 does not undergo any modification. IM3 will suffer from OP’s cropping. However, this cut will be made after analyzing whether it is necessary to resize the content of IM3 since in our model the distance D may vary.
The last column of IM1 (LC_IM1) is compared with the column q2 of IM3 (C2_IM3) to resize the content of IM3. To do this, the histogram of LC_IM1 is obtained. Subsequently, different C2_IM3 columns are obtained by scaling the content of C2_IM3 in different ways. For example, increasing or decreasing the dimension by n pixels with −N <= n <= N where, for example, N = 20. If the result of this scaling is a column with more pixels, then it is cropped to have the same dimension as LC_IM1; if the result is a column with fewer pixels, then pixels are added (with a value equal to the closest calculated) to have the same dimension as LC_IM1. The histogram is obtained for each of the new columns of C2_IM3. Subsequently, WD is calculated with the histogram of LC_IM1. IM3 is resized according to the y axis in the same way as the C2_IM3 column that has the minimum WD distance. In the end, we obtain IM1 and the new image IM3 resized without OP (N_IM3). If required, both can be concatenated and cut again to find the desired size according to the x axis. The new IM1 (N_IM1) will have the desired size. If the size of N_IM3 is different, then the algorithm will wait to obtain the next images IM4 and IM5 to obtain N_IM3 with the same size than N_IM1 following the same process as IM1, IM2 and IM3.
3.3. Gap Detection and Correction
Figure 7 shows two consecutive MIs (IM1, IM3) and their corresponding SI (IM2). There is a gap between the MIs and therefore a gap anomaly occurs.
Figure 7.
Two consecutive MIs (IM1, IM3) and their corresponding SI (IM2). Gap anomaly occurs.
The OVERGAP algorithm uses the DTW distance to detect q1 and q2 in a similar way as explained in Section 3.2. However, since q1 < q2, then a gap anomaly has been detected and the region between q1 and q2 of IM2 is the Gap Portion (GP).
Once the gap anomaly is detected, unlike the overlap anomaly, two corrections need to be made according to the y axis. The first correction is performed on GP. The procedure is similar to that explained in the previous section, although now LQ_IM1 is compared with several columns that are formed from the scaling of column q1 of IM2 (C1_IM2). The minimum WD allows us to select how much GP should be resized and, consequently, we derive a new portion N_GP where the first column is omitted.
The second correction according to the y axis uses the first column of IM3 (FQ_IM3) and the columns that are formed by scaling the last column of N_GP (LQ_N_GP). The IM3 is resized according to the y axis in the same way as the LQ_N_GP column that has the minimum WD distance. The result is the new image named N_IM3.
In the end, images IM1, N_GP and N_IM3 are concatenated. The new IM1 (N_IM1) will have the desired size, while the rest corresponds to N_IM3. If the dimension of N_IM3 according to the x axis is different from the dimension of N_IM1, then the algorithm will wait the acquisition of the next images IM4 and IM5. The new anomaly (if it occurs) is detected and corrected using the images N_IM3, IM4 and IM5. After concatenation, a first cut is made for N_IM3 of the same dimension as the dimension of N_IM1, while the rest corresponds to N_IM5.
3.4. The OVERGAP Algorithm in Real-Time
The OVERGAP algorithm can work in real-time on the processor of a mobile vector. The mobile device places the camera in the PC0 position. When the device moves, the processor with the help of DGPS evaluates the position of the device (PCi with i > 0) every few milliseconds. Every time the vector travels IW/2 m, OVERGAP analyzes if there is an anomaly and, if so, corrects it:
| i = 1 |
| if PCi − PCi-1 >= IW/2, |
| IMi is measured |
| if i is odd and >1 (Two consecutive MIs), |
| OVERGAP using IMi-2, IMi-1 and IMi |
| i = i + 1 |
The algorithm can work in real time as long as OVERGAP ends before the time the vector needs to travel IW/2 m. The IW is obtained from the camera parameters. The maximum speed of the vector will be conditioned by IW and the processing speed of the processor. The processing speed can also be increased if OVERGAP works with images of smaller dimension than those acquired. In this case, the calculation of the DWT and WD distances is faster.
Suppose that OVERLAP works on a processor that performs an image acquisition every S = IW/2 (in meters). Once an image IMi is obtained, the OVERGAP algorithm is applied to IMi-2, IMi-1 and IMi. Suppose that the processor uses a time T (in seconds) to apply OVERGAP. If we consider that the device moves at a uniform speed, the processor will work in real time if the speed of the mobile V ≤ S/T (in meters/second). Therefore, the solution is not unique.
The OVERGAP algorithm using IMi-2, IMi-1 and IMi is summarized as follows:
| Given a set of three consecutive images IMi-2, IMi-1 and IMi: |
| 1. Calculate q1 using IMi-2, IMi-1 and DTW. |
| 2. Calculate q2 using IMi-1 and IMi and DTW. |
| 3. If q1 > q2: overlap anomaly between IMi-2 and IMi. |
| 3.1 Anomaly correction: Keep OP in IMi-2 and remove OP from IMi. |
| 3.2 Anomaly correction: Resize IMi content (N_IMi) with the help of WD. |
| 3.3 Concatenate IMi-2 and N_IMi and cut to find the desired size according to the x axis. |
| 4. If q1 < q2: gap anomaly between IMi-2 and IMi. |
| 4.1 Anomaly correction: Resize GP content (N_GP) with the help of WD. |
| 4.2 Anomaly correction: Add N_GP to IMi-2 (N_IMi-2). |
| 4.3 Anomaly correction: Resize IMi content (N_IMi) with the help of WD. |
| 4.4 Concatenate N_IMi-2 and N_IMi and cut to find the desired size according to the x axis. |
| 5. If q1 = q2: there is no anomaly. |
4. Illustrative Examples
This section shows some simulated examples to visually analyze the efficiency of the OVERGAP algorithm in detecting and correcting both overlap and gap anomalies.
4.1. Detection and Correction of Overlap Anomaly
Figure 8 presents an object that is photographed by a “camera” three times in positions PC1, PC2 and PC3 to obtain images IM1, IM2 and IM3, respectively. Each image has a resolution of 360 × 283 px. There is an overlap anomaly between IM1 and IM3. In addition, IM2 has been resized to simulate a decrease in D and IM3 has also been resized to simulate an increase in D. The OVERGAP algorithm detects the anomaly and corrects it. The result is the final image showing the concatenation of IM1 together with N_IM3. For the sake of simplicity, the algorithm works with gray images.
Figure 8.
Example of detection and correction of an overlap anomaly: A “camera” obtains images IM1, IM2 and IM3 in positions PC1, PC2 and PC3, respectively. The content of IM2 has also been resized in +10 px to simulate an increase in D. The content of IM3 has been resized by −25 px to simulate a decrease in D. The final image is the concatenation of IM1 together with N_IM3.
4.2. Detection and Correction of Gap Anomaly
Figure 9 presents an object that is photographed by a “camera” three times in positions PC1, PC2 and PC3 to obtain images IM1, IM2 and IM3, respectively. Each image has a resolution of 320 × 283 px. There is a gap anomaly between IM1 and IM3. In addition, IM2 has been resized to simulate an increase in D and IM3 has also been resized to simulate a decrease in D. The OVERGAP algorithm detects the anomaly and corrects it. The result is the final image showing the concatenation of IM1, N_GP and N_IM3. The final image has a slight crop in the top hole. This was expected, as IM3 already has a cut due to the decrease in D in PC3.
Figure 9.
Example of detection and correction of a gap anomaly: A “camera” obtains images IM1, IM2 and IM3 in positions PC1, PC2 and PC3, respectively. The content of IM2 has been resized by −25 px to simulate a decrease in D. The content of IM3 has also been resized in +10 px to simulate an increase in D. The final image is the concatenation of IM1, N_GP and N_IM3.
5. The OVERGAP Algorithm in the Context of Precision Agriculture
The OVERGAP algorithm uses a camera placed on a mobile vector. In precision agriculture, this camera acquires images of a row of plants.
The main problem for OVERGAP is that two images taken from different positions of the same plant can present significant differences. Mainly, the leaves are displayed differently. Figure 10 shows two images where the same plant is observed from two different points of view as the mobile vector advances. The leaves look different.
Figure 10.
The same plant is observed from two different points of view as the mobile vector advances.
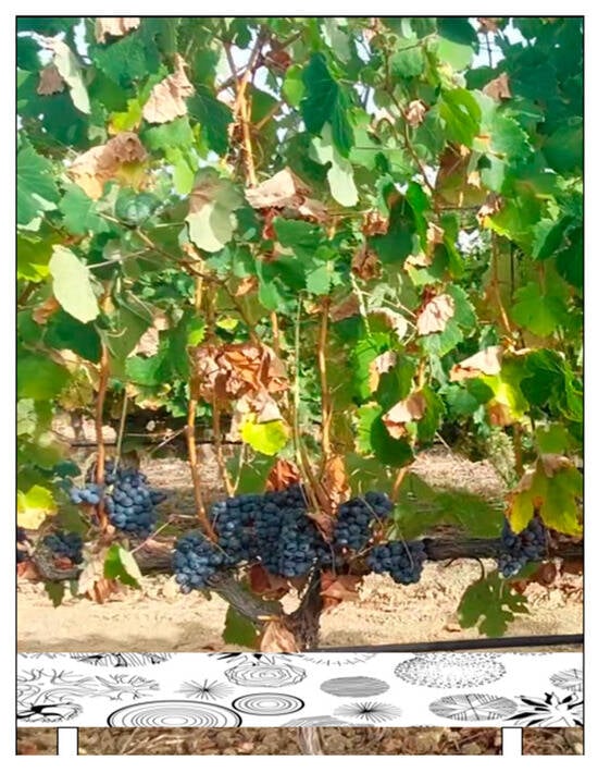
Solution 1: One solution for OVERGAP to be successfully applied in precision agriculture is to place a strip with different drawings at the base of the row of plants. Figure 11 shows the image of a vine plant with a band of drawings. The camera captures the image of the plant and the strip simultaneously. OVERGAP works only with the lower part of the images containing the strip with drawings. The result is applied to the rest of the content of the corresponding images. This solution gives the best results in anomaly correction, since the behavior of the algorithm on the strip image is similar to the scissors example of Section 4.
Figure 11.
A vine plant with a band of drawings.
Solution 2: Another less efficient solution than the previous one would be to work with an area of the image with fewer leaves. In Figure 12, the lower part of the image is highlighted with a red rectangle. The advantage of this approach is that it does not require a strip with drawings.
Figure 12.
The lower part of the image has hardly any leaves.
An overlap anomaly has been simulated using a sequence of three consecutive images of vineyard plants. Figure 13 shows the images and the result of correcting this anomaly using the lower area of the images.
Figure 13.
Example of detection and correction of an overlap anomaly using images from a vineyard.
A gap anomaly has been simulated using a sequence of three consecutive images of vineyard plants. Figure 14 shows the images and the result of correcting this anomaly using the lower area of the images.
Figure 14.
Example of detection and correction of a gap anomaly using images from a vineyard.
Depending on the development of the plant, the lower part of the image may have more or less leaves. Instead of using a single sub-image, three or more different sub-images can be selected. For each sub-image, the corresponding q1 and q2 are obtained. An average is then taken to determine the corresponding OP or GP. An average can also be used to determine the scaling obtained with WD.
Scaling corrects images when the mobile vector does not respect the distance to the plant during the trajectory. This is effective with solution 1, since the strip of drawings does not have leaves and is always flat with respect to the camera. On the contrary, with solution 2, scaling is no longer as effective since it is performed from the image without the strip.
The distance from the mobile vector to the plant can be constant and still find differences in the continuity of the images. The ground is not perfectly flat. In our example, it is easy to see that there is no continuity of the irrigation hose even if the distance from the vector to the plant is constant. And this cannot be adequately corrected by scaling. Although scaling is not always useful, the images obtained are still valid for use in a learning algorithm.
6. Correction of Anomalies Using Other Image Stitching Methods
In this section, we have tried other image stitching methods (SIFT, SURF, KAZE, AKAZE, ORB and BRISK) to correct the anomalies in Figure 13 and Figure 14.
To create the panorama, those algorithms register successive image pairs IM(n) and IM(n − 1) using the following procedure:
|
Stitching methods differ mainly in how they determine the matched features between IM(n) and IM(n − 1). The effectiveness of image stitching heavily depends on the image quality and the number of matched features.
We have used a Python package [23] to test these methods.
Regarding the consecutive images in Figure 13 (overlap anomaly), only BRISK, ORB and SURF yielded results. The other detectors could not find matched features between consecutive images. BRISK provided the best result. Unlike OVERGAP, it left IM3 intact and cut IM1. The ORB result is less accurate and the SURF result is worse. Figure 15 shows the BRISK and ORB panorama.

Figure 15.
Example of application of the BRISK (left) and ORB (right) algorithms for the detection and correction of an overlap anomaly using images of a vineyard.
Regarding the images of Figure 14 (gap anomaly), none of the stitching methods were able to obtain a panorama and, therefore, the gap anomaly has not been corrected.
These methods usually fail when they are unable to detect matched features between consecutive images. To find matched features, these algorithms compare the images using all available information. The vineyard images used are difficult to process because the leaf orientation changes rapidly between consecutive images.
7. Discussion
As detailed above, the OVERGAP algorithm detects and corrects anomalies during the acquisition of consecutive images. The OVERGAP algorithm is also useful to evaluate the performance of the acquisition system over time.
The acquisition of an image every IW/2 m as well as the use of DTW and WD distances to detect and correct anomalies are the most original aspects of the algorithm. DTW distance has been found to be useful here for obtaining distances between columns of different images. OVERGAP detects anomalies using DTW. The WD determines the difference in scale between columns with the same information. OVERGAP uses WD to correct anomalies by resizing an image.
The examples of anomalies have been simulated. The good performance of OVERGAP in detecting and correcting anomalies does not depend on whether the camera position have been simulated or measured with a real device. For this reason and for the sake of simplicity, a DGPS have not been used.
An object like the image of scissors has been positive for presenting the results. With this image, it can be observed that there are no significant differences between the image of the initial object and the final image.
We have considered using a metric that can quantify the quality of the image of the scissors (or others) once the anomaly has been corrected. For example, comparing the result with the initial synthetic image with the help of a metric such as Mean Square Error or another similar one. The problem is that the image without anomaly can be cropped, as shown in Figure 9. This result is due to the position of the camera and not OVERGAP. Therefore, in this case, a metric could not quantitatively correctly assess the detection and correction of the anomaly. Therefore, we only show images such as those in Figure 8 and Figure 9 to visually evaluate the result.
Multiple identical columns scattered in an image can make it difficult for OVERGAP to perform. Indeed, OVERGAP searches with DTW distance for the column in an image which is most similar to a specific column in another image. The algorithm may fail to detect a potential anomaly if several columns are identical. However, in the context of precision agriculture, images of a row of plants are mainly composed of leaves, branches and fruits and, therefore, it is very difficult to find identical columns. In a similar way, the columns are similar within the area in the scissors image where anomalies are detected, but are not 100% identical. This image allows us to emphasize how DTW is able to detect anomalies in the presence of multiple similar, but non-identical, columns.
In addition, OVERGAP always requires that the anomaly area is included in the corresponding even image.
The OVERGAP algorithm has also been tested to detect and correct simulated anomalies using images of a vineyard. Two solutions have been explained. The first uses a strip with drawings. The behavior of OVERGAP is the same as that with the image of the scissors, since it works with the part of the image that contains the strip. The second solution works with sub-images that present a small number of leaves. The images without anomalies for either of the two solutions cannot present perfect continuity, mainly due to the different orientation of the leaves and the irregularity of the ground where the mobile vector moves. However, these images are perfectly valid to be used in a learning algorithm.
For simplicity, gray images have been used. However, OVERGAP can also work with color images. From a color image, a gray image can be derived. Using this gray image, the type of anomaly can be detected and corrected. This result is then applied to each of the R, G and B components of the color image. The anomaly can also be detected and corrected using one of the three components. In this case, the result is applied to the other two components.
The most important part of a machine learning project is preparing the data. The data must be of quality and representative of the whole. The main result of OVERGAP is to obtain quality images where there is no repeated information or lack of information between consecutive images.
Regarding image acquisition in the precision agriculture domain, several methods have been tested to detect and correct anomalies using vineyard images. The best way to detect and correct anomalies is to use OVERGAP in conjunction with a drawing strip. Without the strip, the best results have been obtained with OVERGAP and BRISK for the overlap anomaly and only OVERGAP for the gap anomaly. With or without the strip, OVERGAP has the advantage of being able to work with a part of the image. When OVERGAP works with a strip, the scale is used to correct possible changes in the camera position. Without the strip, it may not be advisable to use scaling (e.g., when the ground is uneven). Unlike OVERGAP, the other stitching methods work with all the information in each image and need to detect a minimum number of matched features.
In the future, OVERGAP will be integrated into the processor embedded on a mobile vector that is also capable of obtaining radar images [24]. In this way, radar images and images in the visible domain will be obtained simultaneously and data fusion algorithms could be advangeously applied [25]. The information from both types of images may be complementary and their fusion would be positive to derive an efficient prediction model using Machine Learning techniques. With this integration, it will also be possible to determine the maximum speed at which the mobile vector can move to obtain consecutive images in real-time. If the mobile vector is required to move at a higher speed, the OVERGAP algorithm can also be used offline.
8. Conclusions
OVERGAP is a new algorithm for the detection and correction of anomalies during consecutive image acquisition. These images can mainly be used to build a prediction model.
OVERGAP is especially useful in the field of precision agriculture. Future work will consider applying OVERGAP to vineyard yield prediction.
Author Contributions
Conceptualization, A.M.; methodology, A.M.; software, A.M.; validation, A.M.; formal analysis, A.M.; investigation, A.M.; resources, A.M., D.H., E.D. and H.A.; data curation, A.M. and P.G.; writing—original draft preparation, A.M., E.D., D.H., P.G. and H.A.; writing—review and editing, A.M., E.D., D.H., P.G. and H.A.; project administration, P.G. and H.A.; funding acquisition, P.G. and H.A. All authors have read and agreed to the published version of the manuscript.
Funding
This research was funded by Ovalie Innovation and CNRS.
Data Availability Statement
Dataset available on request from the authors.
Conflicts of Interest
The authors declare no conflicts of interest.
References
- Thakur, A.; Venu, S.; Gurusamy, M. An extensive review on agricultural robots with a focus on their perception systems. Comput. Electron. Agric. 2023, 212, 108146. [Google Scholar] [CrossRef]
- Palacios, F.; Diago, M.P.; Melo-Pinto, P.; Tardaguila, J. Early yield prediction in different grapevine varieties using computer vision and machine learning. Precis. Agric. 2023, 24, 407–435. [Google Scholar] [CrossRef]
- Keizer, R.; Dubay, R.; Waugh, L.; Bradley, C. Architecture for a Mobile Robotic Camera Positioning System for Photogrammetric Data Acquisition in Hydroelectric Tunnels. Sensors 2023, 23, 7079. [Google Scholar] [CrossRef] [PubMed]
- Aquino, A.; Millan, B.; Diago, M.-P.; Tardaguila, J. Automated early yield prediction in vineyards from on-the-go image acquisition. Comput. Electron. Agric. 2018, 144, 26–36. [Google Scholar] [CrossRef]
- Benos, L.; Tagarakis, A.C.; Dolias, G.; Berruto, R.; Kateris, D.; Bochtis, D. Machine Learning in Agriculture: A Comprehensive Updated Review. Sensors 2021, 21, 3758. [Google Scholar] [CrossRef] [PubMed]
- Global Positioning System. Available online: https://en.wikipedia.org/wiki/Global_Positioning_System (accessed on 1 October 2024).
- Differential GPS. Available online: https://en.wikipedia.org/wiki/Differential_GPS (accessed on 1 October 2024).
- Adobe Photoshop. Available online: https://www.adobe.com/ (accessed on 1 October 2024).
- Tareen, S.A.K.; Saleem, Z. A Comparative Analysis of SIFT, SURF, KAZE, AKAZE, ORB, and BRISK. In Proceedings of the International Conference on Computing, Mathematics and Engineering Technologies—iCoMET 2018, Sukkur, Pakistan, 3–4 March 2018. [Google Scholar] [CrossRef]
- Sharma, S.K.; Jain, K.; Shukla, A.K. A Comparative Analysis of Feature Detectors and Descriptors for Image Stitching. Appl. Sci. 2023, 13, 6015. [Google Scholar] [CrossRef]
- Chang, J.; Li, Q.; Liang, Y.; Zhou, L. SC-AOF: A Sliding Camera and Asymmetric Optical-Flow-Based Blending Method for Image Stitching. Sensors 2024, 24, 4035. [Google Scholar] [CrossRef] [PubMed]
- Zhang, H.; Zheng, R.; Zhang, W.; Shao, J.; Miao, J. An Improved SIFT Underwater Image Stitching Method. Appl. Sci. 2023, 13, 12251. [Google Scholar] [CrossRef]
- Widiastuti, I.; Muna, N.; Purnomo, F.E.; Lutfi, F.; Soelaksini, L.D. Automatic Image Stitching of Agriculture Areas based on Unmanned Aerial Vehicle using SURF. In Proceedings of the First International Conference of Food and Agriculture, Bali, Indonesia, 20–21 October 2018. [Google Scholar]
- Mur, A.; Dormido, R.; Vega, J.; Duro, N.; Dormido-Canto, S. Unsupervised Event Characterization and Detection in Multichannel Signals: An EEG application. Sensors 2016, 16, 590. [Google Scholar] [CrossRef] [PubMed]
- Mur, A.; Travé-Massuyès, L.; Chanthery, E.; Pons, R.; Ribot, P. A Neural Algorithm for the Detection and Correction of Anomalies: Application to the Landing of an Airplane. Sensors 2022, 22, 2334. [Google Scholar] [CrossRef] [PubMed]
- LifeCamStudio. Available online: www.microsoft.com/en-us/search/explore?q=TDS_LifeCamStudio.pdf (accessed on 15 June 2024).
- Dynamic Time Warping. Available online: http://en.wikipedia.org/wiki/Dynamic_time_warping (accessed on 1 October 2024).
- Paliwal, K.; Agarwal, A.; Sinha, S.S. A Modification over Sakoe and Chiba’s Dynamic Time Warping Algorithm for Isolated Word Recognition. Signal Process. 1982, 4, 329–333. [Google Scholar] [CrossRef]
- Sakoe, H.; Chiba, S. Dynamic Programming Algorithm Optimization for Spoken Word Recognition. IEEE Trans. Acoust. Speech Signal Process. 1978, ASSP–26, 43–49. [Google Scholar] [CrossRef]
- Wasserstein Metric. Available online: https://en.wikipedia.org/wiki/Wasserstein_metric (accessed on 1 October 2024).
- What Is Wasserstein Distance? Available online: https://lilianweng.github.io/posts/2017-08-20-gan/#what-is-wasserstein-distance (accessed on 15 June 2024).
- Freedman Diaconis Estimator. Available online: https://en.wikipedia.org/wiki/Freedman–Diaconis_rule (accessed on 15 June 2024).
- Python Package. Available online: https://github.com/OpenStitching/stitching (accessed on 1 October 2024).
- Henry, D.; Aubert, H.; Veronese, T. Proximal Radar Sensors for Precision Viticulture. IEEE Trans. Geosci. Remote Sens. 2019, 57, 4624–4635. [Google Scholar] [CrossRef]
- Djilani, A.H.; Henry, D.; Pons, P.; Aubert, H. On-the-Fly Interrogation of Mobile Passive Sensors from the Fusion of Optical and Radar Data. European Microwave Week, Paris, 22–27 September 2024. Available online: www.eumweek.com (accessed on 1 October 2024).
Disclaimer/Publisher’s Note: The statements, opinions and data contained in all publications are solely those of the individual author(s) and contributor(s) and not of MDPI and/or the editor(s). MDPI and/or the editor(s) disclaim responsibility for any injury to people or property resulting from any ideas, methods, instructions or products referred to in the content. |
© 2024 by the authors. Licensee MDPI, Basel, Switzerland. This article is an open access article distributed under the terms and conditions of the Creative Commons Attribution (CC BY) license (https://creativecommons.org/licenses/by/4.0/).