A Novel Drug Modulator Diarylheptanoid (trans-1,7-Diphenyl-5-hydroxy-1-heptene) from Curcuma comosa Rhizomes for P-glycoprotein Function and Apoptosis Induction in K652/ADR Leukemic Cells
Abstract
1. Introduction
2. Results
2.1. Cytotoxicity of DHH against Drug-Resistant K562/ADR and Drug-Sensitive K562 Cells Using MTT Assay
2.2. Effect of DHH on P-gp Protein Expression in K562/ADR Cells
2.3. Effects of DHH on MDR Phenotype in K562/ADR Cells
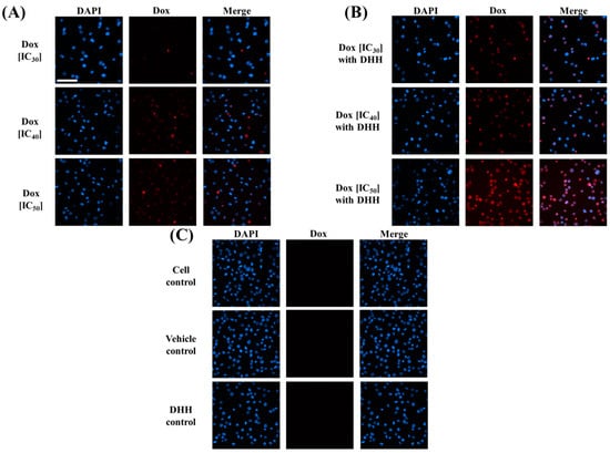
2.4. Effect of DHH on Dox Accumulation in K562/ADR Cells under Fluorescence Microscope
2.5. Effects of DHH on P-gp Function in K562/ADR Cells
2.6. Effects of DHH on Cytotoxicity of THP (MDR Phenotype) in K562/ADR Cells
2.7. Effect of DHH on Cell Apoptosis after Reversing the MDR Phenotype
3. Discussion
4. Materials and Methods
4.1. Materials
4.2. DHH Purification
4.3. Cell Culture
4.4. Cytotoxicity and Doxorubicin Resistance Reversal Determination Using MTT Assay
4.5. Trypan Blue Exclusion Test
4.6. Western Blot Analysis
4.7. Drug Accumulation in K562/ADR Cells by Fluorescence Microscope
4.8. Determination of P-gp Function in Living K562/ADR Cells
4.9. Effect of DHH on the Cytotoxicity of THP (MDR Phenotype) in K562/ADR Cells
4.10. Apoptosis Induction in K562/ADR Cells
4.11. Statistical Analysis
5. Conclusions
Author Contributions
Funding
Institutional Review Board Statement
Informed Consent Statement
Data Availability Statement
Acknowledgments
Conflicts of Interest
References
- Chen, Y.; Tang, Y.; Guo, C.; Wang, J.; Boral, D.; Nie, D. Nuclear receptors in the multidrug resistance through the regulation of drug-metabolizing enzymes and drug transporters. Biochem. Pharmacol. 2012, 83, 1112–1126. [Google Scholar] [CrossRef] [PubMed]
- Anuchapreeda, S.; Thanarattanakorn, P.; Sittipreechacharn, S.; Tima, S.; Chanarat, P.; Limtrakul, P. Inhibitory effect of curcumin on MDR1 gene expression in patient leukemic cells. Arch. Pharm. Res. 2006, 29, 866–873. [Google Scholar] [CrossRef] [PubMed]
- Farawela, H.M.; Khorshied, M.M.; Kassem, N.M.; Kassem, H.A.; Zawam, H.M. The clinical relevance and prognostic significance of adenosine triphosphate ATP-binding cassette (ABCB5) and multidrug resistance (MDR1) genes expression in acute leukemia: An Egyptian study. J. Cancer Res. Clin. Oncol. 2014, 140, 1323–1330. [Google Scholar] [CrossRef] [PubMed]
- Leith, C.P.; Kopecky, K.J.; Godwin, J.; McConnell, T.; Slovak, M.L.; Chen, I.-M.; Head, D.R.; Appelbaum, F.R.; Willman, C.L. Acute myeloid leukemia in the elderly: Assessment of multidrug resistance (MDR1) and cytogenetics distinguishes biologic subgroups with remarkably distinct responses to standard chemotherapy. A Southwest Oncology Group study. Blood 1997, 89, 3323–3329. [Google Scholar] [CrossRef]
- Do, J.H.; Oh, S.H.; Song, E.J.; Chung, J.S.; Kang, C.D.; Lee, E.Y. Treatment outcome of multidrug resistance related mRNA expression and c-jun-N-terminal kinase activity in patients with acute myeloid leukemia. Korean J. Lab. Med. 2007, 27, 229–236. [Google Scholar] [CrossRef] [PubMed][Green Version]
- Kim, H.G.; Hien, T.T.; Han, E.H.; Hwang, Y.P.; Choi, J.H.; Kang, K.W.; Kwon, K.i.; Kim, B.H.; Kim, S.K.; Song, G.Y. Metformin inhibits P-glycoprotein expression via the NF-κB pathway and CRE transcriptional activity through AMPK activation. Br. J. Pharmacol. 2011, 162, 1096–1108. [Google Scholar] [CrossRef]
- Anuchapreeda, S.; Muangmoonchai, R.; Limtrakul, P.N. Effect of curcuminoids on MDR-1 gene promoter activity in human cervical carcinoma cells. Chiang Mai Med. Bull. 2002, 41, 189–203. [Google Scholar]
- Gottesman, M.M. Mechanisms of cancer drug resistance. Annu. Rev. Med. 2002, 53, 615–627. [Google Scholar] [CrossRef]
- Xu, D.; Kang, H.; Fisher, M.; Juliano, R. Strategies for inhibition of MDR1 gene expression. Mol. Pharmacol. 2004, 66, 268–275. [Google Scholar] [CrossRef]
- Karthikeyan, S.; Laxmanappa Hoti, S. Development of fourth generation ABC inhibitors from natural products: A novel approach to overcome cancer multidrug resistance. Anti-Cancer Agents Med. Chem. 2015, 15, 605–615. [Google Scholar] [CrossRef]
- Abdallah, H.M.; Al-Abd, A.M.; El-Dine, R.S.; El-Halawany, A.M. P-glycoprotein inhibitors of natural origin as potential tumor chemo-sensitizers: A review. J. Adv. Res. 2015, 6, 45–62. [Google Scholar] [CrossRef]
- Anuchapreeda, S.; Leechanachai, P.; Smith, M.; Ambudkar, S.V.; Limtrakul, P.N. Modulation of P-glycoprotein expression and function by curcumin in Multidrug resistant human KB cells. Biochem. Pharmacol. 2002, 64, 573–582. [Google Scholar] [CrossRef]
- Chearwae, W.; Anuchapreeda, S.; Nandigama, K.; Ambudkar, S.V.; Limtrakul, P. Biochemical mechanism of modulation of human P-glycoprotein (ABCB1) by curcumin I, II, and III purified from Turmeric powder. Biochem. Pharmacol. 2004, 68, 2043–2052. [Google Scholar] [CrossRef] [PubMed]
- Lopes-Rodrigues, V.; Sousa, E.; Vasconcelos, M.H. Curcumin as a modulator of P-glycoprotein in cancer: Challenges and perspectives. Pharmaceuticals 2016, 9, 71. [Google Scholar] [CrossRef] [PubMed]
- Kumar, A.; Jaitak, V. Natural products as multidrug resistance modulators in cancer. Eur. J. Med. Chem. 2019, 176, 268–291. [Google Scholar] [CrossRef] [PubMed]
- Li, C.; Sun, B.Q.; Gai, X.D. Compounds from Chinese herbal medicines as reversal agents for P-glycoprotein-mediated multidrug resistance in tumours. Clin. Transl. Oncol. 2014, 16, 593–598. [Google Scholar] [CrossRef]
- Viriyaadhammaa, N.; Saiai, A.; Neimkhum, W.; Nirachonkul, W.; Chaiyana, W.; Chiampanichayakul, S.; Tima, S.; Usuki, T.; Duangmano, S.; Anuchapreeda, S. Cytotoxic and Antiproliferative Effects of Diarylheptanoids Isolated from Curcuma comosa Rhizomes on Leukaemic Cells. Molecules 2020, 25, 5476. [Google Scholar] [CrossRef]
- Kuroyanagi, M.; Noro, T.; Fukushima, S.; Aiyama, R.; Ikuta, A.; Itokawa, H.; Morita, M. Studies on the constituents of the seeds of Alpinia katsumadai Hayata. Chem. Pharm. Bull. 1983, 31, 1544–1550. [Google Scholar] [CrossRef]
- Jurgens, T.M.; Frazier, E.G.; Schaeffer, J.M.; Jones, T.E.; Zink, D.L.; Borris, R.P.; Nanakorn, W.; Beck, H.T.; Balick, M.J. Novel nematocidal agents from Curcuma comosa. J. Nat. Prod. 1994, 57, 230–235. [Google Scholar] [CrossRef]
- Suksamrarn, A.; Ponglikitmongkol, M.; Wongkrajang, K.; Chindaduang, A.; Kittidanairak, S.; Jankam, A.; Yingyongnarongkul, B.E.; Kittipanumat, N.; Chokchaisiri, R.; Khetkam, P.; et al. Diarylheptanoids, new phytoestrogens from the rhizomes of Curcuma comosa: Isolation, chemical modification and estrogenic activity evaluation. Bioorg. Med. Chem. 2008, 16, 6891–6902. [Google Scholar] [CrossRef]
- Rodrigues, M.d.D.; Santiago, P.B.; Marques, K.M.; Pereira, V.R.; de Castro, M.C.; Cantalice, J.C.; da Silva, T.G.; Adam, M.L.; do Nascimento, S.C.; de Albuquerque, J.F. Selective cytotoxic and genotoxic activities of 5-(2-bromo-5-methoxybenzylidene)-thiazolidine-2, 4-dione against NCI-H292 human lung carcinoma cells. Pharmacol. Rep. 2018, 70, 446–454. [Google Scholar] [CrossRef]
- Wu, H.; Hait, W.N.; Yang, J.-M. Small interfering RNA-induced suppression of MDR1 (P-glycoprotein) restores sensitivity to multidrug-resistant cancer cells. Cancer Res. 2003, 63, 1515–1519. [Google Scholar] [PubMed]
- Xie, Y.; Shao, Y.; Deng, X.; Wang, M.; Chen, Y. MicroRNA-298 reverses multidrug resistance to antiepileptic drugs by suppressing MDR1/P-gp expression in vitro. Front. Neurosci. 2018, 12, 602. [Google Scholar] [CrossRef] [PubMed]
- Yan, X.-J.; Gong, L.-H.; Zheng, F.-Y.; Cheng, K.-J.; Chen, Z.-S.; Shi, Z. Triterpenoids as reversal agents for anticancer drug resistance treatment. Drug Discov. 2014, 19, 482–488. [Google Scholar] [CrossRef] [PubMed]
- Ojima, I.; Bounaud, P.-Y.; Takeuchi, C.; Pera, P.; Bernacki, R.J. New taxanes as highly efficient reversal agents for multi-drug resistance in cancer cells. Bioorg. Med. Chem. Lett. 1998, 8, 189–194. [Google Scholar] [CrossRef]
- Dechsupa, N.; Mankhetkorn, S. P-glycoprotein-mediated efflux and drug sequestration in lysosomes confer advantages of K562 multidrug resistance sublines to survive prolonged exposure to cytotoxic agents. Am. J. Appl. Sci. 2009, 6, 1637. [Google Scholar] [CrossRef]
- Reungpatthanaphong, P.; Mankhetkorn, S. Modulation of multidrug resistance by artemisinin, artesunate and dihydroartemisinin in K562/adr and GLC4/adr resistant cell lines. Biol. Pharm. Bull. 2002, 25, 1555–1561. [Google Scholar] [CrossRef]











| DHH, µM | V+, nM/s | K+ × 10−9 L/cell.s | Va, nM/s | Ka × 10−9 L/cell.s |
|---|---|---|---|---|
| 0 | 0.73 ± 0.1 | 0.73 ± 0.02 | 0.56 ± 0.1 | 2.62 ± 0.28 |
| 9.4 | 1.06 ± 0.1 | 1.06 ± 0.13 | 0.54 ± 0.1 | 2.50 ± 0.27 |
| 18.8 | 1.01 ± 0.2 | 1.01 ± 0.15 | 0.49 ± 0.1 | 2.06 ± 0.21 |
| 37.6 | 1.23 ± 0.1 a | 1.23 ± 0.10 a | 0.37 ± 0.1 a | 0.78 ± 0.14 a |
| 56.3 | 1.26 ± 0.2 a | 1.26 ± 0.18 a | 0.11 ± 0.1 a | 0.21 ± 0.04 a |
Publisher’s Note: MDPI stays neutral with regard to jurisdictional claims in published maps and institutional affiliations. |
© 2022 by the authors. Licensee MDPI, Basel, Switzerland. This article is an open access article distributed under the terms and conditions of the Creative Commons Attribution (CC BY) license (https://creativecommons.org/licenses/by/4.0/).
Share and Cite
Viriyaadhammaa, N.; Duangmano, S.; Saiai, A.; Tungjai, M.; Dejkriengkraikul, P.; Tima, S.; Chiampanichayakul, S.; Krise, J.; Anuchapreeda, S. A Novel Drug Modulator Diarylheptanoid (trans-1,7-Diphenyl-5-hydroxy-1-heptene) from Curcuma comosa Rhizomes for P-glycoprotein Function and Apoptosis Induction in K652/ADR Leukemic Cells. Int. J. Mol. Sci. 2022, 23, 8989. https://doi.org/10.3390/ijms23168989
Viriyaadhammaa N, Duangmano S, Saiai A, Tungjai M, Dejkriengkraikul P, Tima S, Chiampanichayakul S, Krise J, Anuchapreeda S. A Novel Drug Modulator Diarylheptanoid (trans-1,7-Diphenyl-5-hydroxy-1-heptene) from Curcuma comosa Rhizomes for P-glycoprotein Function and Apoptosis Induction in K652/ADR Leukemic Cells. International Journal of Molecular Sciences. 2022; 23(16):8989. https://doi.org/10.3390/ijms23168989
Chicago/Turabian StyleViriyaadhammaa, Natsima, Suwit Duangmano, Aroonchai Saiai, Montree Tungjai, Pornngarm Dejkriengkraikul, Singkome Tima, Sawitree Chiampanichayakul, Jeffrey Krise, and Songyot Anuchapreeda. 2022. "A Novel Drug Modulator Diarylheptanoid (trans-1,7-Diphenyl-5-hydroxy-1-heptene) from Curcuma comosa Rhizomes for P-glycoprotein Function and Apoptosis Induction in K652/ADR Leukemic Cells" International Journal of Molecular Sciences 23, no. 16: 8989. https://doi.org/10.3390/ijms23168989
APA StyleViriyaadhammaa, N., Duangmano, S., Saiai, A., Tungjai, M., Dejkriengkraikul, P., Tima, S., Chiampanichayakul, S., Krise, J., & Anuchapreeda, S. (2022). A Novel Drug Modulator Diarylheptanoid (trans-1,7-Diphenyl-5-hydroxy-1-heptene) from Curcuma comosa Rhizomes for P-glycoprotein Function and Apoptosis Induction in K652/ADR Leukemic Cells. International Journal of Molecular Sciences, 23(16), 8989. https://doi.org/10.3390/ijms23168989

