Histological Analysis of the Effect of a Vector Potential Generator on the Femur of a Hindlimb-Suspended Rat
Abstract
1. Introduction
2. Materials and Methods
2.1. Animals
2.2. Suspension Procedures
2.3. Non-Decalcified Resin-Polished Specimens—Specimen Removal Method
2.4. Non-Decalcified Resin-Polished Specimens—Preparation Method
2.5. GMA Non-Decalcified Thin Section—Preparation Method
2.6. Demineralized Paraffin Specimen—Preparation Method
2.7. Demineralized Paraffin Specimen—TRAP Staining
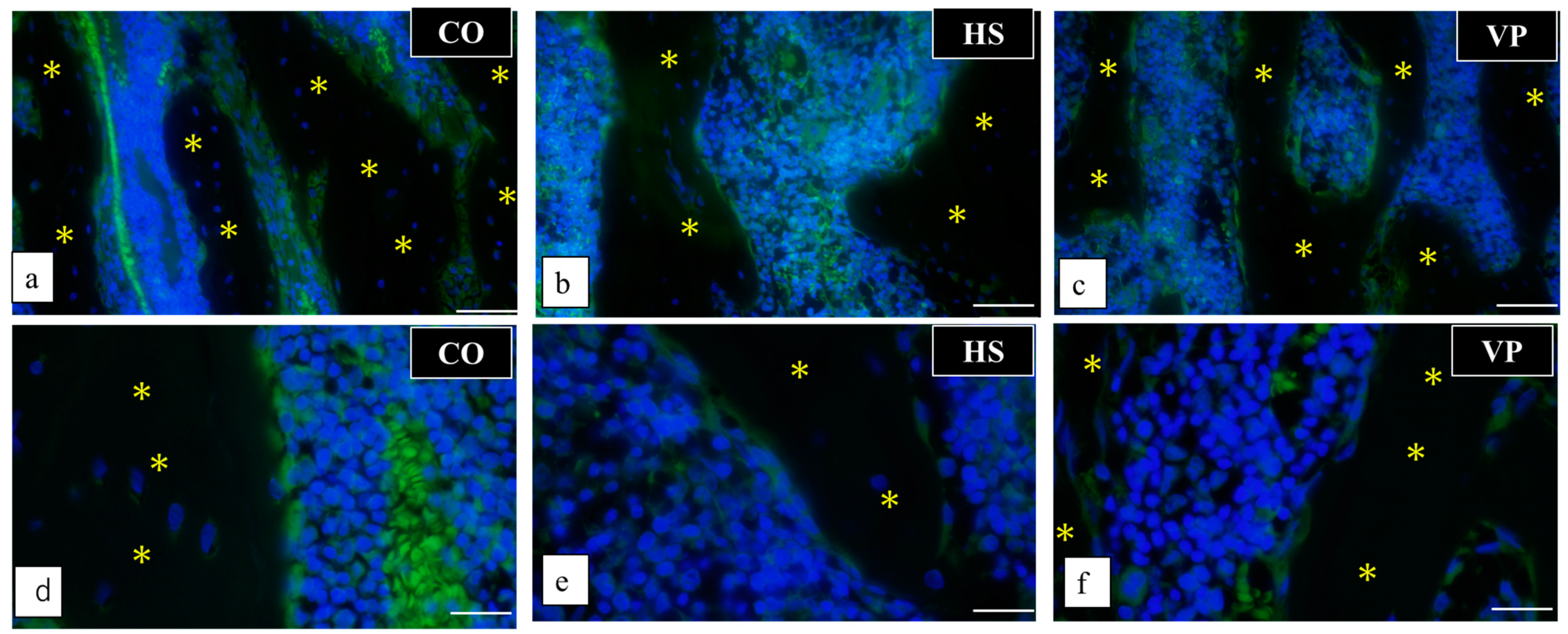
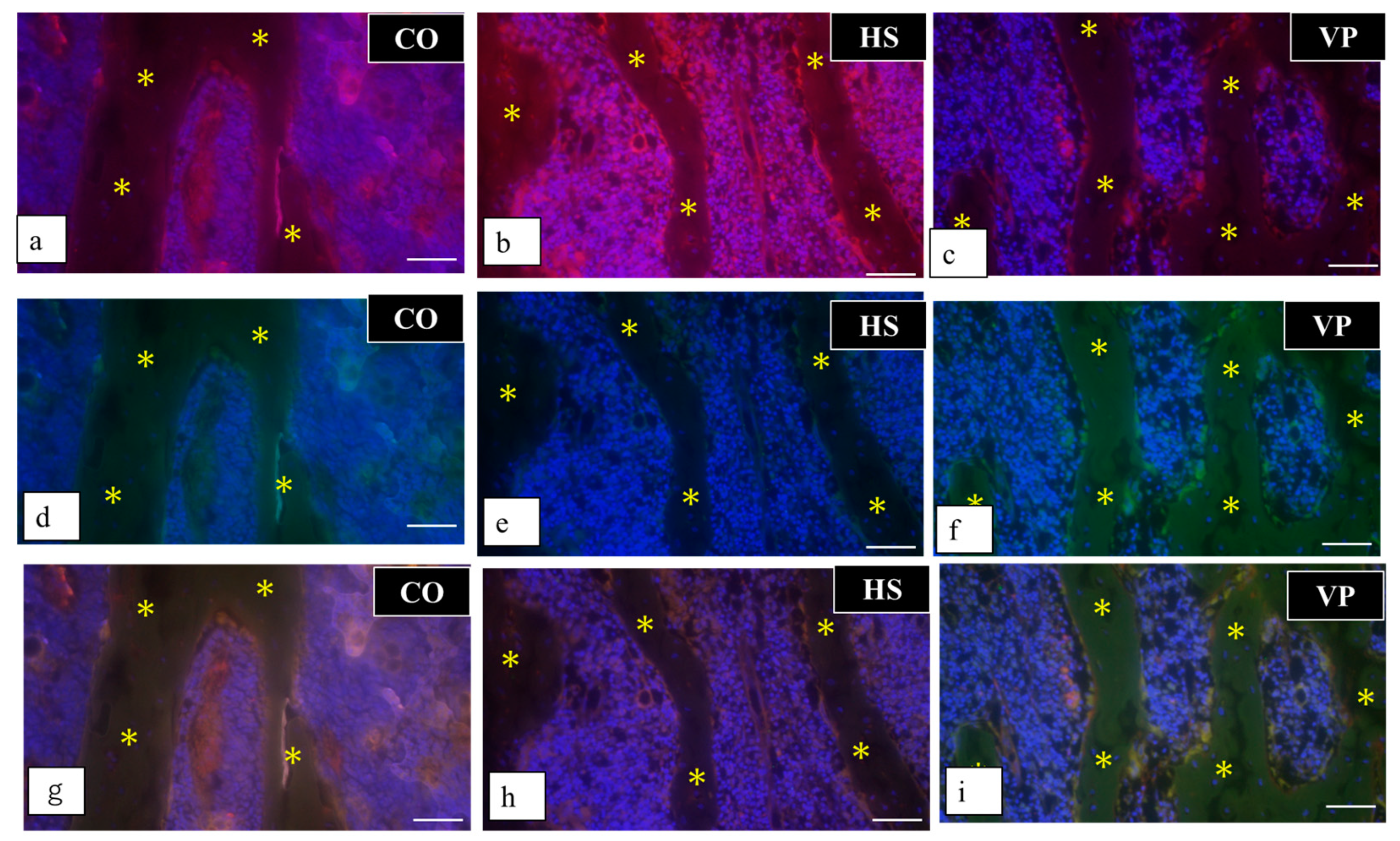
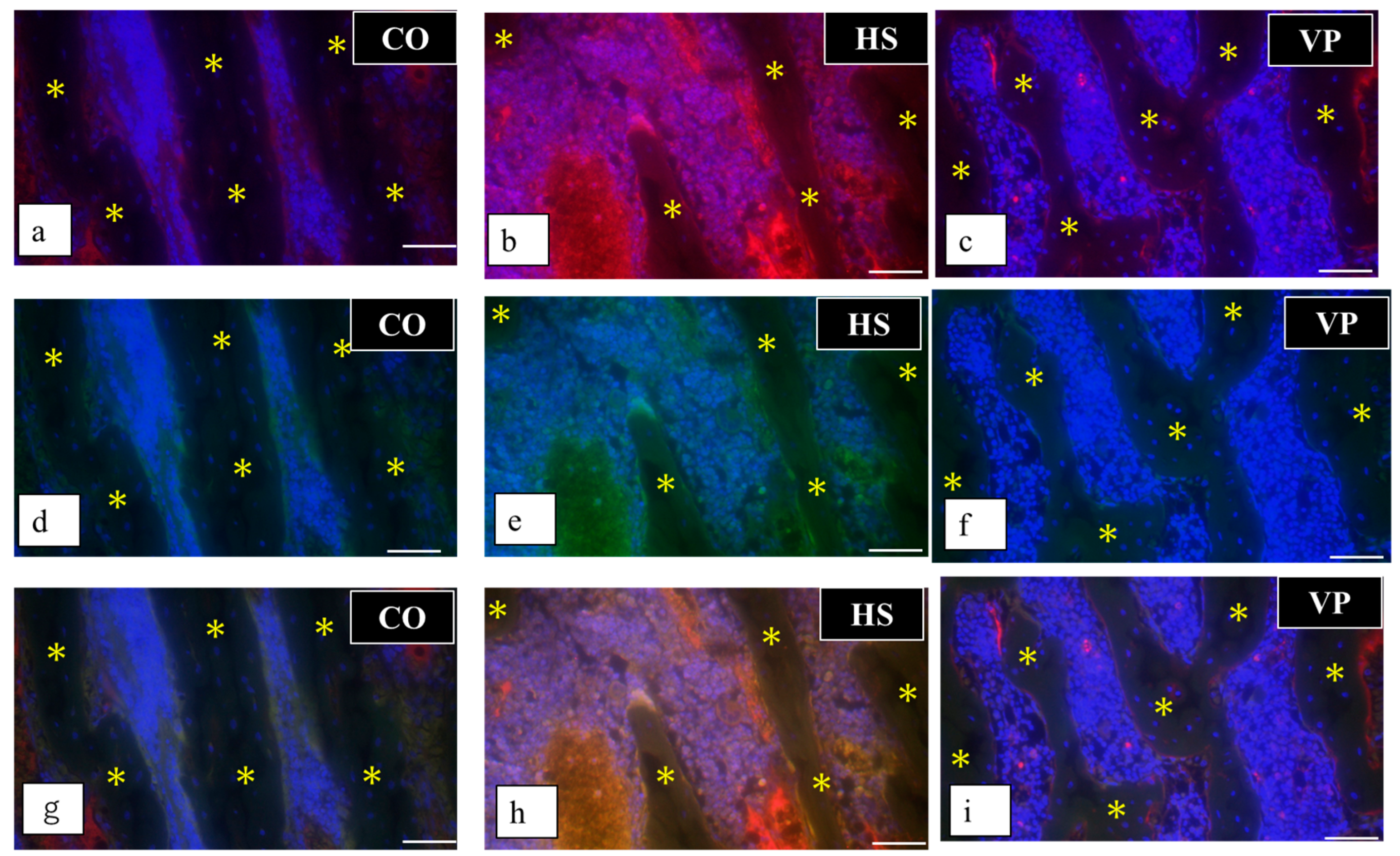
2.8. Immunohistochemistry
2.9. Bone Morphometry Measurement Methods
2.10. Scanning Electron Microscopy Specimen—Preparation Method
2.11. Bone Fracture Test
2.12. Quantitative Reverse Transcription Polymerase Chain Reaction (qPCR)
2.13. Statistical Analysis
3. Results
3.1. Weight Change
3.2. Vector Potential Inhibits Bone Loss
3.3. Bone Strength Is Enhanced by Vector Potential
3.4. Bone Resorption Functions in an Inhibitory Manner Through Vector Potentials
4. Discussion
5. Conclusions
Author Contributions
Funding
Institutional Review Board Statement
Informed Consent Statement
Data Availability Statement
Acknowledgments
Conflicts of Interest
References
- Tu, K.N.; Lie, J.D.; Wan, C.K.V.; Cameron, M.; Austel, A.G.; Nguyen, J.K.; Van, K.; Hyun, D. Osteoporosis: A review of treatment options. Pharm. Ther. 2018, 43, 92–104. [Google Scholar]
- Silverwood, V.; Blagojevic-Bucknall, M.; Jinks, C.; Jordan, J.L.; Protheroe, J.; Jordan, K.P. Current evidence on risk factors for knee osteoarthritis in older adults: A systematic review and meta-analysis. Osteoarthr. Cartil. 2015, 23, 509–515. [Google Scholar] [CrossRef]
- Camacho, P.M.; Petak, S.M.; Binkley, N.; Diab, D.L.; Eldeiry, L.S.; Farooki, A.; Harris, S.T.; Hurley, D.L.; Kelly, J.; Lewiecki, E.M.; et al. American association of clinical endocrinologists/American college of endocrinology clinical practice guidelines for the diagnosis and treatment of postmenopausal osteoporosis—2020 update. Endocr. Pract. 2020, 26, 1–46. [Google Scholar] [CrossRef]
- Daibo, M.; Oshima, S.; Sasaki, Y.; Sugiyama, K. Vector potential coil and transformer. IEEE Trans. Magn. 2015, 51, 1–4. [Google Scholar] [CrossRef]
- Suito, H.; Minamizono, W.; Yashima, N.; Matsunaga, H.; Fujikawa, K.; Ohsako, M. Vector potential dual effect of promoting the proliferation of chondrocytes and inhibiting the calcification process in the articular cartilage. Sci. Rep. 2023, 13, 16845. [Google Scholar] [CrossRef]
- Christenson, R.H. Biochemical markers on bone metabolism: An overview. Clin. Biochem. 1997, 30, 573–593. [Google Scholar] [CrossRef] [PubMed]
- Boyce, B.F.; Rosenberg, E.; de Papp, A.E.; Duong, L.T. The osteoclast, bone remodeling and treatment of metabolic bone disease. Eur. J. Clin. Investig. 2012, 42, 1332–1341. [Google Scholar] [CrossRef]
- Razi, H.; Birkhold, A.I.; Weinkamer, R.; Duda, G.N.; Willie, B.M.; Checa, S. Aging leads to a dysregulation in mechanically driven bone formation and resorption. J. Bone Miner. Res. 2015, 30, 1864–1873. [Google Scholar] [CrossRef] [PubMed]
- Matsuo, K.; Irie, N. Osteoclast-osteoblast communication. Arch. Biochem. Biophys. 2008, 473, 201–209. [Google Scholar] [CrossRef]
- Sims, N.A.; Martin, T.J. Coupling the activities of bone formation and resorption: A multitude of signals within the basic multicellular unit. BoneKEy Rep. 2014, 3, 481. [Google Scholar] [CrossRef]
- Li, J.; Zhang, H.; Yang, C.; Li, Y.; Dai, Z. An overview of osteocalcin progress. J. Bone Miner. Metab. 2016, 34, 367–379. [Google Scholar] [CrossRef] [PubMed]
- Li, Y.; Pan, Q.; Zhang, N.; Wang, B.; Yang, Z.; Ryaby, J.T.; Waldorff, E.I.; Lee, W.Y.; Li, G. A novel pulsed electromagnetic field promotes distraction osteogenesis via enhancing osteogenesis and angiogenesis in a rat model. J. Orthop. Transl. 2020, 25, 87–95. [Google Scholar] [CrossRef]
- Bord, S.; Frith, E.; Ireland, D.C.; Scott, M.A.; Craig, J.I.; Compston, J.E. Megakaryocytes modulate osteoblast synthesis of type-1 collagen, osteoprotegerin, and RANKL. Bone 2005, 36, 812–819. [Google Scholar] [CrossRef] [PubMed]
- Wennberg, C.; Hessle, L.; Lundberg, P.; Mauro, S.; Narisawa, S.; Lerner, U.H.; Millán, J.L. Functional characterization of osteoblasts and osteoclasts from alkaline phosphatase knockout mice. J. Bone Miner. Res. 2000, 15, 1879–1888. [Google Scholar] [CrossRef]
- Yamaza, T.; Goto, T.; Kamiya, T.; Kobayashi, Y.; Sakai, H.; Tanaka, T. Study of immunoelectron microscopic localization of cathepsin K in osteoclasts and other bone cells in the mouse femur. Bone 1998, 23, 499–509. [Google Scholar] [CrossRef]
- Cabahug-Zuckerman, P.; Frikha-Benayed, D.; Majeska, R.J.; Tuthill, A.; Yakar, S.; Judex, S.; Schaffler, M.B. Osteocyte apoptosis caused by hindlimb unloading is required to trigger osteocyte RANKL production and subsequent resorption of cortical and trabecular bone in mice femurs. J. Bone Miner. Res. 2016, 31, 1356–1365. [Google Scholar] [CrossRef]
- Metzger, C.E.; Brezicha, J.E.; Elizondo, J.P.; Narayanan, S.A.; Hogan, H.A.; Bloomfield, S.A. Differential responses of mechanosensitive osteocyte proteins in fore- and hindlimbs of hindlimb-unloaded rats. Bone 2017, 105, 26–34. [Google Scholar] [CrossRef]
- Cackowski, F.C.; Anderson, J.L.; Patrene, K.D.; Choksi, R.J.; Shapiro, S.D.; Windle, J.J.; Blair, H.C.; Roodman, G.D. Osteoclasts are important for bone angiogenesis. Blood 2010, 115, 140–149. [Google Scholar] [CrossRef]
- Udagawa, N.; Takahashi, N.; Yasuda, H.; Mizuno, A.; Itoh, K.; Ueno, Y.; Shinki, T.; Gillespie, M.T.; Martin, T.J.; Higashio, K.; et al. Osteoprotegerin produced by osteoblasts is an important regulator in osteoclast development and function. Endocrinology 2000, 141, 3478–3484. [Google Scholar] [CrossRef]
- Saxena, R.; Pan, G.; Dohm, E.D.; McDonald, J.M. Modeled microgravity and hindlimb unloading sensitize osteoclast precursors to RANKL-mediated osteoclastogenesis. J. Bone Miner. Metab. 2011, 29, 111–122. [Google Scholar] [CrossRef]
- Tobeiha, M.; Moghadasian, M.H.; Amin, N.; Jafarnejad, S. RANKL/RANK/OPG pathway: A mechanism involved in exercise-induced bone remodeling. Biomed. Res. Int. 2020, 2020, 6794054. [Google Scholar] [CrossRef] [PubMed]
- Eriksen, E.F.; Hodgson, S.F.; Eastell, R.; Cedel, S.L.; O’Fallon, W.M.; Riggs, B.L. Cancellous bone remodeling in type 1 (postmenopausal) osteoporosis: Quantitative assessment of rates of formation, resorption, and bone loss at tissue and cellular levels. J. Bone Miner. Res. 1990, 5, 311–319. [Google Scholar] [CrossRef] [PubMed]
- Seeman, E. Reduced bone formation and increased bone resorption: Rational targets for the treatment of osteoporosis. Osteoporos. Int. 2003, 14, 2–8. [Google Scholar] [CrossRef] [PubMed]
- Fei, H.; Jing, G.; Aonan, L.; Akiko, M.; Miho, M.; Kazuhiro, A.; Takenobu, K.; Tomoya, K.; Eijiro, J. Activation of NF-κB signalling regulates ovariectomy-induced bone loss and weight gain. Biochim. Biophys. Acta (BBA) Mol. Basis Dis. 2024, 1870, 167320. [Google Scholar]
- Min, J.; Karin, D.; Jan-Ake, G. Estrogen receptor alpha and beta in health and disease. Best. Pract. Res. Clin. Endocrinol. Metab. 2015, 29, 557–568. [Google Scholar]
- Jing, D.; Cai, J.; Wu, Y.; Shen, G.; Li, F.; Xu, Q.; Xie, K.; Tang, C.; Liu, J.; Guo, W.; et al. Pulsed electromagnetic field partially preserves bone mass, microarchitecture, and strength by promoting bone formation in hindlimb-suspended rats. J. Bone Miner. Res. 2014, 29, 2250–2261. [Google Scholar] [CrossRef]
- Yanagihara, G.R.; Paiva, A.G.; Gasparini, G.A.; Macedo, A.P.; Frighetto, P.D.; Volpon, J.B.; Shimano, A.C. High-impact exercise in rats prior to and during suspension can prevent bone loss. Braz. J. Med. Biol. Res. 2016, 49, e5097. [Google Scholar] [CrossRef]
- Parfitt, A.M. Bone histomorphometry: Standardization of nomenclature, symbols, and units. J. Bone Miner. Res. 1988, 4, 1–5. [Google Scholar]
- Livak, K.J.; Schmittgen, T.D. Analysis of relative gene expression data using real-time quantitative PCR and the 2−ΔΔCT method. Methods 2001, 25, 402–408. [Google Scholar] [CrossRef]
- Ammann, P.; Rizzoli, R. Bone strength and its determinants. Osteoporos. Int. 2003, 14, 13–18. [Google Scholar] [CrossRef]
- Jia, B.; Xie, L.; Zheng, Q.; Yang, P.F.; Zhang, W.J.; Ding, C.; Qian, A.R.; Shang, P. A hypomagnetic field aggravates bone loss induced by hindlimb unloading in rat femurs. PLoS ONE 2014, 9, e105604. [Google Scholar] [CrossRef] [PubMed]
- Warshaw, J.; Bromage, T.G.; Terranova, C.J.; Enlow, D.H. Collagen fiber orientation in primate long bones. Anat. Rec. 2017, 300, 1189–1207. [Google Scholar] [CrossRef]
- Komori, T. What is the function of osteocalcin? J. Oral Biosci. 2020, 62, 223–227. [Google Scholar] [CrossRef] [PubMed]
- Drissi, H.; Lomri, A.; Lasmoles, F.; Holy, X.; Zerath, E.; Marie, P.J. Skeletal unloading induces biphasic changes in insulin-like growth factor-Ⅰ mRNA levels and osteoblast activity. Exp. Cell Res. 1999, 251, 257–284. [Google Scholar] [CrossRef] [PubMed]
- Patterson-Buckendahl, P.; Globus, R.K.; Bikle, D.D.; Cann, C.E.; Morey-Holton, E. Effects of simulated weightlessness on rat osteocalcin and bone calcium. Am. J. Physiol. Regul. Integr. Comp. Physiol. 1989, 257, 1103–1109. [Google Scholar] [CrossRef]
- Zhang, Z.; Nam, H.K.; Crouch, S.; Hatch, N.E. Tissue nonspecific alkaline phosphatase function in bone and muscle progenitor cells: Control of mitochondrial respiration and ATP production. Int. J. Mol. Sci. 2021, 22, 1140. [Google Scholar] [CrossRef]
- Kim, J.M.; Lin, C.; Stavre, Z.; Greenblatt, M.B.; Shim, J.H. Osteoblast-Osteoclast communication and bone homeostasis. Cells 2020, 9, 2073. [Google Scholar] [CrossRef]
- Hobolt-Pedersen, A.S.; Delaissé, J.M.; Søe, K. Osteoclast fusion is based on heterogeneity between fusion partners. Calcif. Tissue Int. 2014, 95, 73–82. [Google Scholar] [CrossRef]
- Boyle, W.J.; Simonet, W.S.; Lacey, D.L. Osteoclast differentiation and activation. Nature 2003, 423, 337–342. [Google Scholar] [CrossRef]
- Sundaram, K.; Nishimura, R.; Senn, J.; Youssef, R.F.; London, S.D.; Reddy, S.V. RANK ligand signaling modulates the matrix metalloproteinase-9 gene expression during osteoclast differentiation. Exp. Cell Res. 2007, 313, 168–178. [Google Scholar] [CrossRef]
- Turner, C.H.; Robling, A.G. Mechanisms by which exercise improves bone strength. J. Bone Miner. Metab. 2005, 23, 16–22. [Google Scholar] [CrossRef] [PubMed]
- Boyce, B.F.; Xing, L. Biology of RANK, RANKL, and Osteoprotegerin. Arthritis Res. Ther. 2007, 9, 1–7. [Google Scholar] [CrossRef] [PubMed]
- Yasuda, H. Discovery of the RANKL/RANK/OPG system. J. Bone Miner. Metab. 2021, 39, 2–11. [Google Scholar] [CrossRef] [PubMed]
- Lisa, J.; Beatrice, B.; Reed, D.; Eva, V.; Lida, G.; Irina, L.; Harry, C. Estrogen inhibits RANKL-stimulated osteoclastic differentiation of human monocytes through estrogen and RANKL regulated interaction of estrogen receptor-α with BCAR1 and Traf6. Exp. Cell Res. 2009, 315, 1287–1301. [Google Scholar]
- Rodrigues, L.; Thalloita, P.; Sheila, M.; Tetuo, O.; Menegati, D.; Ronagel, G.; Roberta, O. Histomorphometric analysis and immunolocalization of RANKL and OPG during the alveolar healing process in female ovariectomized rats treated with oestrogen or raloxifene. Arch. Oral Biol. 2010, 55, 52–59. [Google Scholar]






















Disclaimer/Publisher’s Note: The statements, opinions and data contained in all publications are solely those of the individual author(s) and contributor(s) and not of MDPI and/or the editor(s). MDPI and/or the editor(s) disclaim responsibility for any injury to people or property resulting from any ideas, methods, instructions or products referred to in the content. |
© 2024 by the authors. Licensee MDPI, Basel, Switzerland. This article is an open access article distributed under the terms and conditions of the Creative Commons Attribution (CC BY) license (https://creativecommons.org/licenses/by/4.0/).
Share and Cite
Minamizono, W.; Yashima, N.; Matsunaga, H.; Fujikawa, K.; Suito, H.; Okunuki, T.; Ohsako, M. Histological Analysis of the Effect of a Vector Potential Generator on the Femur of a Hindlimb-Suspended Rat. Anatomia 2024, 3, 277-300. https://doi.org/10.3390/anatomia3040023
Minamizono W, Yashima N, Matsunaga H, Fujikawa K, Suito H, Okunuki T, Ohsako M. Histological Analysis of the Effect of a Vector Potential Generator on the Femur of a Hindlimb-Suspended Rat. Anatomia. 2024; 3(4):277-300. https://doi.org/10.3390/anatomia3040023
Chicago/Turabian StyleMinamizono, Wataru, Nao Yashima, Hiroya Matsunaga, Kaoru Fujikawa, Hirai Suito, Takumi Okunuki, and Masafumi Ohsako. 2024. "Histological Analysis of the Effect of a Vector Potential Generator on the Femur of a Hindlimb-Suspended Rat" Anatomia 3, no. 4: 277-300. https://doi.org/10.3390/anatomia3040023
APA StyleMinamizono, W., Yashima, N., Matsunaga, H., Fujikawa, K., Suito, H., Okunuki, T., & Ohsako, M. (2024). Histological Analysis of the Effect of a Vector Potential Generator on the Femur of a Hindlimb-Suspended Rat. Anatomia, 3(4), 277-300. https://doi.org/10.3390/anatomia3040023

