Novel BODIPY Conjugates with Myrtenol: Design, Spectral Characteristics, and Possibilities for Practical Application
Abstract
1. Introduction
2. Results and Discussion
2.1. Synthesis
2.2. Spectral Properties
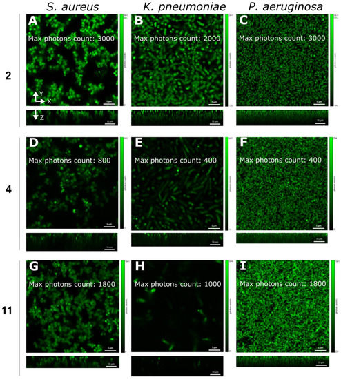
2.3. Microscopy
3. Materials and Methods
3.1. General
3.2. General Procedure for Synthesis of BODIPYs 7, 8
3.3. General Procedure for Synthesis of BODIPY Conjugates 10, 11
3.4. Instruments and Methods
3.5. Strains and Growth Conditions
3.6. Microscopy
4. Conclusions
Supplementary Materials
Author Contributions
Funding
Data Availability Statement
Acknowledgments
Conflicts of Interest
References
- Antina, E.; Bumagina, N.; Marfin, Y.; Guseva, G.; Nikitina, L.; Sbytov, D.; Telegin, F. BODIPY Conjugates as Functional Compounds for Medical Diagnostics and Treatment. Molecules 2022, 27, 1396. [Google Scholar] [CrossRef] [PubMed]
- Fu, Y.; Finney, N.S. Small-molecule fluorescent probes and their design. RSC Adv. 2018, 8, 29051–29061. [Google Scholar] [CrossRef]
- Yao, W.; Wang, J.; Zhong, A.; Wang, S.; Shao, Y. Transition-metal-free catalytic hydroboration reduction of amides to amines. Org. Chem. Front. 2020, 7, 3515–3520. [Google Scholar] [CrossRef]
- Liu, H.; Zhang, X.-F.; Cheng, J.-Z.; Zhong, A.-G.; Wen, H.-R.; Liu, S.-Y. Novel Diketopyrrolopyrrole-Based π-Conjugated Molecules Synthesized via One-Pot Direct Arylation Reaction. Molecules 2019, 24, 1760. [Google Scholar] [CrossRef] [PubMed]
- Sun, H.; Chen, S.; Zhong, A.; Sun, R.; Jin, J.; Yang, J.; Liu, D.; Niu, J.; Lu, S. Tuning Photophysical Properties via Positional Isomerization of the Pyridine Ring in Donor–Acceptor-Structured Aggregation-Induced Emission Luminogens Based on Phenylmethylene Pyridineacetonitrile Derivatives. Molecules 2023, 28, 3282. [Google Scholar] [CrossRef] [PubMed]
- Li, C.; Chen, G.; Zhang, Y.; Wu, F.; Wang, Q. Advanced Fluorescence Imaging Technology in the Near-Infrared-II Window for Biomedical Applications. J. Am. Chem. Soc. 2020, 142, 14789–14804. [Google Scholar] [CrossRef] [PubMed]
- Cheng, H.; Cao, X.; Zhang, S.; Zhang, K.; Cheng, Y.; Wang, J.; Zhao, J.; Zhou, L.; Liang, X.; Yoon, J. BODIPY as a Multifunctional Theranostic Reagent in Biomedicine: Selficine: Self; Cperties, and Applications. Adv. Mater. 2022, 35, e2207546. [Google Scholar] [CrossRef]
- Guseva, G.B.; Antina, E.V.; Berezin, M.B.; Pavelyev, R.S.; Kayumov, A.R.; Sharafutdinov, I.S.; Lisovskaya, S.A.; Lodoch-nikova, O.A.; Islamov, D.R.; Usachev, K.S. Meso-substituted-BODIPY based fluorescent biomarker: Spectral characteristics, photostability and possibilities for practical application. J. Photochem. Photobiol. A Chem. 2020, 401, 112783. [Google Scholar] [CrossRef]
- Guseva, G.; Antina, E.; Berezin, M.; Lisovskaya, S.; Pavelyev, R.; Kayumov, A.; Lodochnikova, O.; Islamov, D.; Usachev, K.; Boichuk, S.; et al. Spectroscopic and In Vitro Investigations of Boron(III) Complex with Meso-4-Methoxycarbonylpropylsubstituted Dipyrromethene for Fluorescence Bioimaging Applications. Molecules 2020, 25, 4541. [Google Scholar] [CrossRef]
- Jantra, S.; Butta, P.; Jithavech, P.; Rojsitthisak, P.; Palaga, T.; Rashatasakhon, P.; Sukwattanasinitt, M.; Wacharasindhu, S. “Turn on” orange fluorescent probe based on styryl-BODIPY for detection of hypochlorite and its application in live cell imaging. Dye. Pigment. 2019, 162, 189–195. [Google Scholar] [CrossRef]
- Solomonov, A.V.; Marfin, Y.; Rumyantsev, E.V. Design and applications of dipyrrin-based fluorescent dyes and related organic luminophores: From individual compounds to supramolecular self-assembled systems. Dye. Pigment. 2019, 162, 517–542. [Google Scholar] [CrossRef]
- West, R.; Panagabko, C.; Atkinson, J. Synthesis and characterization of BODIPY-α-tocopherol: A fluorescent form of vitamin E. J. Org. Chem. 2010, 75, 2883–2892. [Google Scholar] [CrossRef] [PubMed]
- Alekseeva, A.; Tretiakova, D.; Melnikova, D.; Molotkovsky, U.G.; Boldyrev, I. Novel fluorescent membrane probe 2, 3; 5, 6-bis (cyclohexyl)-BODIPY-labeled phosphatidylcholine. Russ. J. Bioorganic Chem. 2016, 42, 305–309. [Google Scholar] [CrossRef]
- Guseva, G.B.; Antina, E.V.; Berezin, M.B.; Pavelyev, R.S.; Kayumov, A.R.; Ostolopovskaya, O.V.; Gilfanov, I.R.; Frolova, L.L.; Kutchin, A.V.; Akhverdiev, R.F.; et al. Design, Spectral Characteristics, and Possibilities for Practical Application of BODIPY FL-Labeled Monoterpenoid. ACS Appl. Bio Mater. 2021, 4, 6227–6235. [Google Scholar] [CrossRef] [PubMed]
- Mockute, D.; Judzentiene, A. Variability of the essential oils composition of Achillea millefolium ssp. millefolium growing wild in Lithuania. Biochem. Syst. Ecol. 2003, 31, 1033–1045. [Google Scholar] [CrossRef]
- Ngan, L.T.M.; Moon, J.-K.; Shibamoto, T.; Ahn, Y.-J. Growth-Inhibiting, Bactericidal, and Urease Inhibitory Effects of Paeonia lactiflora Root Constituents and Related Compounds on Antibiotic-Susceptible and -Resistant Strains of Helicobacter pylori. J. Agric. Food Chem. 2012, 60, 9062–9073. [Google Scholar] [CrossRef]
- Silva, R.O.; Salvadori, M.S.; Sousa, F.B.M.; Santos, M.S.; Carvalho, N.S.; Sousa, D.P.; Gomes, B.S.; Oliveira, F.A.; Bar-bosa, A.L.R.; Freitas, R.M. Evaluation of the antihe antif the antiaantinociceptive effects of myrtenol, a plant a plantnmonoterpene alcohol, in mice. Flavour Fragr. J. 2014, 29, 184–192. [Google Scholar] [CrossRef]
- Nikitina, L.E.; Startseva, V.A.; Dorofeeva, L.Y.; Artemova, N.P.; Kuznetsov, I.V.; Lisovskaya, S.A.; Glushko, N. Antifungal activity of bicyclic monoterpenoids and terpenesulfides. Chem. Nat. Compd. 2010, 46, 28–32. [Google Scholar] [CrossRef]
- Nikitina, L.; Startseva, V.; Vakulenko, I.; Khismatulina, I.; Lisovskaya, S.; Glushko, N.; Fassakhov, R. Synthesis and anti-fungal activity of compounds of the pinane series. Pharm. Chem. J. 2009, 43, 251–254. [Google Scholar] [CrossRef]
- Micucci, M.; Bolchi, C.; Budriesi, R.; Cevenini, M.; Maroni, L.; Capozza, S.; Chiarini, A.; Pallavicini, M.; Angeletti, A. Anti-hypertensive phytocomplexes of proven efficacy and well-established use: Mode of action and individual characterization of the active constituents. Phytochemistry 2020, 170, 112222. [Google Scholar] [CrossRef]
- Mahmoud, R.Y.; Trizna, E.Y.; Sulaiman, R.K.; Pavelyev, R.S.; Gilfanov, I.R.; Lisovskaya, S.A.; Ostolopovskaya, O.V.; Frolova, L.L.; Kutchin, A.V.; Guseva, G.B.; et al. Increasing the Efficacy of Treatment of Staphylococcus aureus–Candida albicans Mixed Infections with Myrtenol. Antibiotics 2022, 11, 1743. [Google Scholar] [CrossRef] [PubMed]
- Agafonova, M.N.; Kazakova, R.R.; Lubina, A.P.; Zeldi, M.I.; Nikitina, E.V.; Balakin, K.V.; Shtyrlin, Y.G. Antibacterial activity profile of miramistin in in vitro and in vivo models. Microb. Pathog. 2020, 142, 104072. [Google Scholar] [CrossRef]
- Guseva, G.B.; Ksenofontov, A.A.; Bocharov, P.S.; Antina, E.V.; Nikitina, L.E. Effect of meso-substituent and solvent na-ture on spectral properties, pH-stability and affinity to blood transport proteins of BODIPY dyes. J. Mol. Liq. 2023, 371, 121078. [Google Scholar] [CrossRef]
- Berezin, M.; Antina, E.; Guseva, G.; Kritskaya, A.Y.; Semeikin, A. Effect of meso-phenyl substitution on spectral properties, photo-and thermal stability of boron (III) and zinc (II) dipyrrometenates. Inorg. Chem. Commun. 2020, 111, 107611. [Google Scholar] [CrossRef]
- Guo, B.; Peng, X.; Cui, A.; Wu, Y.; Tian, M.; Zhang, L.; Chen, X.; Gao, Y. Synthesis and spectral properties of new boron dipyrromethene dyes. Dye. Pigment. 2007, 73, 206–210. [Google Scholar] [CrossRef]
- Nuraneeva, E.; Guseva, G.; Antina, E.; Kuznetsova, R.; Berezin, M.; V’yugin, A. Synthesis, spectral luminescent properties, and photostability of monoiodo-and dibromo-substituted BF 2-dipyrrinates. Russ. J. Gen. Chem. 2016, 86, 840–847. [Google Scholar] [CrossRef]
- Liu, H.-X.; Tan, H.-B.; He, M.-T.; Li, L.; Wang, Y.-H.; Long, C.-L. Isolation and synthesis of two hydroxychavicol heterodi-mers from Piper nudibaccatum. Tetrahedron 2015, 71, 2369–2375. [Google Scholar] [CrossRef]
- Lakowicz, J.R. Principles of Fluorescence Spectroscopy; Springer: Berlin/Heidelberg, Germany, 2006. [Google Scholar]
- Fischer, M.; Georges, J. Fluorescence quantum yield of rhodamine 6G in ethanol as a function of concentration using thermal lens spectrometry. Chem. Phys. Lett. 1996, 260, 115–118. [Google Scholar] [CrossRef]
- Baidamshina, D.R.; Trizna, E.Y.; Holyavka, M.G.; Bogachev, M.I.; Artyukhov, V.G.; Akhatova, F.S.; Rozhina, E.V.; Fakhrullin, R.F.; Kayumov, A.R. Targeting microbial biofilms using Ficin, a nonspecific plant protease. Sci. Rep. 2017, 7, srep46068. [Google Scholar] [CrossRef]
- Kayumov, A.R.; Nureeva, A.A.; Trizna, E.Y.; Gazizova, G.R.; Bogachev, M.I.; Shtyrlin, N.V.; Pugachev, M.V.; Sapozhnikov, S.V.; Shtyrlin, Y.G. New Derivatives of Pyridoxine Exhibit High Antibacterial Activity against Biofilm-Embedded Staphylococcus Cells. BioMed Res. Int. 2015, 2015, 890968. [Google Scholar] [CrossRef]
- Kayumov, A.; Khakimullina, E.N.; Sharafutdinov, I.; Trizna, E.Y.; Latypova, L.Z.; Lien, H.T.; Margulis, A.B.; Bogachev, M.; Kurbangalieva, A.R. Inhibition of biofilm formation in Bacillus subtilis by new halogenated furanones. J. Antibiot. 2015, 68, 297–301. [Google Scholar] [CrossRef] [PubMed]








| Solvent | Compound , nm (ε, l·mol−1·сm−1) | ||||
|---|---|---|---|---|---|
| 1 [23] | 2 [23] | 4 [23] | 10 | 11 | |
| 1-OсtOH | 502 (61,467) 358–364 | 499 (72,443) 357–364 | 501 (56,234) 357–364 | 500 (60,583) 358–364 | 499 (59,302) 360–365 |
| EtOH | 498 (60,491) 358–360 | 497 (72,444) 356–361 | 498 (45,708) 355–361 | 499 (57,420) 357–362 | 498 (58,379) 356–362 |
| DMF | 497 (61,659) 358–362 | 497 (76,709) 357–363 | 499 (48,669) 359–369 | 498 (56,846) 356–361 | 498 (55,615) 358–363 |
| DMSO | 498 (56,469) 359–362 | 497 (66,069) 356–363 | 499 (47,657) 355–360 | 500 (60,108) 357–360 | 498 (54,866) 357–361 |
| Water | – | – | – | 497 (56,853) 358–360 | 495 (54,748) 357–362 |
| Solvent | Compound | ||||||||||||||
|---|---|---|---|---|---|---|---|---|---|---|---|---|---|---|---|
| 1 [23] | 2 [23] | 4 [23] | 10 | 11 | |||||||||||
470) nm | cm−1 | φ | 470) nm | cm−1 | φ | 470) nm | cm−1 | φ | 480) nm | cm−1 | φ | 480) nm | cm−1 | φ | |
| 1-OctOH | 516 | 540 | 0.96 | 515 | 623 | 0.98 | 516 | 580 | 0.95 | 511 | 431 | 0.70 | 511 | 471 | 0.66 |
| EtOH | 513 | 587 | 0.89 | 511 | 551 | 0.87 | 512 | 549 | 0.85 | 511 | 471 | 0.75 | 510 | 473 | 0.70 |
| DMF | 515 | 703 | 0.79 | 512 | 590 | 0.85 | 515 | 622 | 0.82 | 511 | 511 | 0.74 | 510 | 473 | 0.69 |
| DMSO | 515 | 662 | 0.74 | 512 | 590 | 0.78 | 515 | 622 | 0.78 | 511 | 511 | 0.74 | 510 | 473 | 0.72 |
| Water | – | – | – | – | – | – | – | – | – | 510 | 513 | 0.72 | 509 | 556 | 0.67 |
| Compound | Buffer Solution | ||
|---|---|---|---|
| Potassium Tetraoxalate Buffer, pH 1.65 | Phosphate Buffer, pH 7.21 | Sodium Borate Buffer pH 9.18 | |
| φ | |||
| 10 | 0.41 | 0.46 | 0.46 |
| 11 | 0.46 | 0.49 | 0.47 |
Disclaimer/Publisher’s Note: The statements, opinions and data contained in all publications are solely those of the individual author(s) and contributor(s) and not of MDPI and/or the editor(s). MDPI and/or the editor(s) disclaim responsibility for any injury to people or property resulting from any ideas, methods, instructions or products referred to in the content. |
© 2023 by the authors. Licensee MDPI, Basel, Switzerland. This article is an open access article distributed under the terms and conditions of the Creative Commons Attribution (CC BY) license (https://creativecommons.org/licenses/by/4.0/).
Share and Cite
Guseva, G.B.; Antina, E.V.; Berezin, M.B.; Nikitina, L.E.; Gilfanov, I.R.; Pavelyev, R.S.; Lisovskaya, S.A.; Frolova, L.L.; Ostolopovskaya, O.V.; Rakhmatullin, I.Z.; et al. Novel BODIPY Conjugates with Myrtenol: Design, Spectral Characteristics, and Possibilities for Practical Application. Inorganics 2023, 11, 241. https://doi.org/10.3390/inorganics11060241
Guseva GB, Antina EV, Berezin MB, Nikitina LE, Gilfanov IR, Pavelyev RS, Lisovskaya SA, Frolova LL, Ostolopovskaya OV, Rakhmatullin IZ, et al. Novel BODIPY Conjugates with Myrtenol: Design, Spectral Characteristics, and Possibilities for Practical Application. Inorganics. 2023; 11(6):241. https://doi.org/10.3390/inorganics11060241
Chicago/Turabian StyleGuseva, Galina B., Elena V. Antina, Mikhail B. Berezin, Liliya E. Nikitina, Ilmir R. Gilfanov, Roman S. Pavelyev, Svetlana A. Lisovskaya, Larisa L. Frolova, Olga V. Ostolopovskaya, Ilfat Z. Rakhmatullin, and et al. 2023. "Novel BODIPY Conjugates with Myrtenol: Design, Spectral Characteristics, and Possibilities for Practical Application" Inorganics 11, no. 6: 241. https://doi.org/10.3390/inorganics11060241
APA StyleGuseva, G. B., Antina, E. V., Berezin, M. B., Nikitina, L. E., Gilfanov, I. R., Pavelyev, R. S., Lisovskaya, S. A., Frolova, L. L., Ostolopovskaya, O. V., Rakhmatullin, I. Z., Klochkov, V. V., Trizna, E. Y., & Kayumov, A. R. (2023). Novel BODIPY Conjugates with Myrtenol: Design, Spectral Characteristics, and Possibilities for Practical Application. Inorganics, 11(6), 241. https://doi.org/10.3390/inorganics11060241

