Lipid Production from Palm Acid Oil (PAO) as a Sole Carbon Source by Meyerozyma guilliermondii
Abstract
1. Introduction
2. Materials and Methods
2.1. Yeast Strain and Growth Condition
2.2. Media Preparation
2.3. Carbon Sources
2.4. Determination of Total Lipid Content by Gravimetric Analysis
2.5. Determination and Quantification of Total Fatty Acid Methyl Esters (FAMEs)
2.6. BODIPY Staining
2.7. Lipase Activity Assay
2.8. Quantitative PCR
3. Results
3.1. Growth of Meyerozyma guilliermondii in PAO
3.2. Effect of PAO on Biomass Yield and Lipid Production
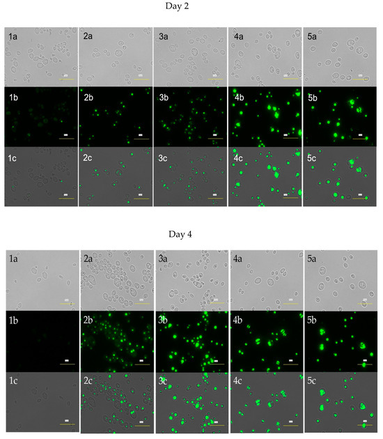
3.3. Visualization of Lipid Bodies
3.4. Analysis of Fatty Acid Composition
Supplementary Materials
Author Contributions
Funding
Data Availability Statement
Conflicts of Interest
Abbreviations
| POME | Palm oil mill effluent | 
| PAO | Palm acid oil | 
| COD | Chemical oxygen demand | 
| BOD | Biological oxygen demand | 
| SCO | Single-celled oil | 
| TAGs | Triacylglycerols | 
| FFAs | Free fatty acids | 
References
- Sitepu, M.H.; Matondang, A.R.; Sembiring, M.T. Sustainability assessment in crude palm oil production: A review. IOP Conf. Ser. Mater. Sci. Eng. 2020, 725, 012074. [Google Scholar] [CrossRef]
- Kaniapan, S.; Hassan, S.; Ya, H.; Nesan, K.P.; Azeem, M. The utilisation of palm oil and oil palm residues and the related challenges as a sustainable alternative in biofuel, bioenergy, and transportation sector: A review. Sustainability 2021, 13, 3110. [Google Scholar] [CrossRef]
- Ritchie, H. Palm Oil. Available online: https://ourworldindata.org/palm-oil (accessed on 30 December 2024).
- Talebian-Kiakalaieh, A.; Amin, N.A.S.; Mazaheri, H. A review on novel processes of biodiesel production from waste cooking oil. Appl. Energy 2013, 104, 683–710. [Google Scholar] [CrossRef]
- Bhatti, H.N.; Hanif, M.A.; Qasim, M.; Ata-ur-Rehman. Biodiesel production from waste tallow. Fuel 2008, 87, 2961–2966. [Google Scholar] [CrossRef]
- Pramanik, S.K.; Suja, F.B.; Zain, S.M.; Pramanik, B.K. The anaerobic digestion process of biogas production from food waste: Prospects and constraints. Bioresour. Technol. Rep. 2019, 8, 100310. [Google Scholar] [CrossRef]
- Atelge, M.R.; Krisa, D.; Kumar, G.; Eskicioglu, C.; Nguyen, D.D.; Chang, S.W.; Atabani, A.E.; Al-Muhtaseb, A.H.; Unalan, S. Biogas Production from Organic Waste: Recent Progress and Perspectives. Waste Biomass Valorization 2020, 11, 1019–1040. [Google Scholar] [CrossRef]
- Kadir, A.A.; Abdullah, S.R.S.; Othman, B.A.; Hasan, H.A.; Othman, A.R.; Imron, M.F.; Ismail, N.I.; Kurniawan, S.B. Dual function of Lemna minor and Azolla pinnata as phytoremediator for Palm Oil Mill Effluent and as feedstock. Chemosphere 2020, 259, 127468. [Google Scholar] [CrossRef]
- Ahmad, A.; Buang, A.; Bhat, A.H. Renewable and sustainable bioenergy production from microalgal co-cultivation with palm oil mill effluent (POME): A review. Renew. Sustain. Energy Rev. 2016, 65, 214–234. [Google Scholar] [CrossRef]
- Lam, M.K.; Lee, K.T. Renewable and sustainable bioenergies production from palm oil mill effluent (POME): Win-win strategies toward better environmental protection. Biotechnol. Adv. 2011, 29, 124–141. [Google Scholar] [CrossRef] [PubMed]
- Yacob, S.; Hassan, M.A.; Shirai, Y.; Wakisaka, M.; Subash, S. Baseline study of methane emission from open digesting tanks of palm oil mill effluent treatment. Chemosphere 2005, 59, 1575–1581. [Google Scholar] [CrossRef] [PubMed]
- Alhaji, M.H.; Sanaullah, K.; Lim, S.F.; Khan, A.; Hipolito, C.N.; Abdullah, M.O.; Bhawani, S.A.; Jamil, T. Photocatalytic treatment technology for palm oil mill effluent (POME)—A review. Process Saf. Environ. Prot. 2016, 102, 673–686. [Google Scholar] [CrossRef]
- Ahmad, A.L.; Chong, M.F.; Bhatia, S. A comparative study on the membrane based palm oil mill effluent (POME) treatment plant. J. Hazard. Mater. 2009, 171, 166–174. [Google Scholar] [CrossRef]
- Jumadi, J.; Kamari, A.; Rahim, N.A.; Fatimah, I.; Sukkaew, A. A Brief Review of Physico-Chemical Treatment Techniques for Palm Oil Mill Effluent (POME). Curr. Appl. Sci. Technol. 2022, 22, 1–20. [Google Scholar]
- Iwuagwu, J.O.; Ugwuanyi, J.O. Treatment and Valorization of Palm Oil Mill Effluent through Production of Food Grade Yeast Biomass. J. Waste Manag. 2014, 2014, 439071. [Google Scholar] [CrossRef]
- Islam, M.A.; Yousuf, A.; Karim, A.; Pirozzi, D.; Khan, M.R.; Wahid, Z.A. Bioremediation of palm oil mill effluent and lipid production by Lipomyces starkeyi: A combined approach. J. Clean. Prod. 2018, 172, 1779–1787. [Google Scholar] [CrossRef]
- Li, Q.; Du, W.; Liu, D. Perspectives of microbial oils for biodiesel production. Appl. Microbiol. Biotechnol. 2008, 80, 749–756. [Google Scholar] [CrossRef]
- Juanssilfero, A.B.; Kahar, P.; Amza, R.L.; Miyamoto, N.; Otsuka, H.; Matsumoto, H.; Kihira, C.; Thontowi, A.; Yopi; Ogino, C.; et al. Selection of oleaginous yeasts capable of high lipid accumulation during challenges from inhibitory chemical compounds. Biochem. Eng. J. 2018, 137, 182–191. [Google Scholar] [CrossRef]
- Ratledge, C.; Wynn, J.P. The biochemistry and molecular biology of lipid accumulation in oleaginous microorganisms. Adv. Appl. Microbiol. 2002, 51, 1–52. [Google Scholar] [PubMed]
- da Silva, R.R.; Zaiter, M.A.; Boscolo, M.; da Silva, R.; Gomes, E. Xylose consumption and ethanol production by Pichia guilliermondii and Candida oleophila in the presence of furans, phenolic compounds, and organic acids commonly produced during the pre-treatment of plant biomass. Braz. J. Microbiol. 2023, 54, 753–759. [Google Scholar] [CrossRef] [PubMed]
- Boretsky, Y.R.; Pynyaha, Y.V.; Boretsky, V.Y.; Fedorovych, D.V.; Fayura, L.R.; Protchenko, O.; Philpott, C.C.; Sibirny, A.A. Identification of the genes affecting the regulation of riboflavin synthesis in the flavinogenic yeast Pichia guilliermondii using insertion mutagenesis. FEMS Yeast Res. 2011, 11, 307–314. [Google Scholar] [CrossRef] [PubMed]
- Zhang, W.; Sun, C.; Wang, W. Bioremediation of Aflatoxin B 1 by Meyerozyma guilliermondii. Toxins 2024, 16, 305. [Google Scholar] [CrossRef] [PubMed]
- Kuenz, A.; Tölle, M.; Bromann, S. Investigations on riboflavin production by wild-type yeast strain for supplementation of organic feed. Org. Agric. 2023, 13, 399–410. [Google Scholar] [CrossRef]
- Yu, X.; Guo, N.; Chi, Z.; Gong, F.; Sheng, J.; Chi, Z. Inulinase overproduction by a mutant of the marine yeast Pichia guilliermondii using surface response methodology and inulin hydrolysis. Biochem. Eng. J. 2009, 43, 266–271. [Google Scholar] [CrossRef]
- Ganapathy, B.; Yahya, A.; Ibrahim, N. Bioremediation of palm oil mill effluent (POME) using indigenous Meyerozyma guilliermondii. Environ. Sci. Pollut. Res. 2019, 26, 11113–11125. [Google Scholar] [CrossRef] [PubMed]
- Yan, W.; Gao, H.; Qian, X.; Jiang, Y.; Zhou, J.; Dong, W.; Xin, F.; Zhang, W.; Jiang, M. Biotechnological applications of the non-conventional yeast Meyerozyma guilliermondii. Biotechnol. Adv. 2021, 46, 107674. [Google Scholar] [CrossRef]
- Pereira, R.S.; Mussatto, S.I.; Roberto, I.C. Inhibitory action of toxic compounds present in lignocellulosic hydrolysates on xylose to xylitol bioconversion by Candida guilliermondii. J. Ind. Microbiol. Biotechnol. 2011, 38, 71–78. [Google Scholar] [CrossRef] [PubMed]
- Wang, G.Y.; Chi, Z.; Song, B.; Wang, Z.P.; Chi, Z.M. High level lipid production by a novel inulinase-producing yeast Pichia guilliermondii Pcla22. Bioresour. Technol. 2012, 124, 77–82. [Google Scholar] [CrossRef] [PubMed]
- Amalina Ishak, F.; Haziq Jamil, M.; Syukor Abd Razak, A.; Huwaida Anuar Zamani, N.; Rashid Ab Hamid, M. Development of animal feed from waste to wealth using napier grass and palm acid oil (PAO) from palm oil mill effluent (POME). Mater. Today Proc. 2019, 19, 1618–1627. [Google Scholar] [CrossRef]
- Kuntom, A.; Siew, W.L.; Tan, Y.A. Characterization of palm acid oil. J. Am. Oil Chem. Soc. 1994, 71, 525–528. [Google Scholar] [CrossRef]
- Zain, N.A.A.; Kahar, P.; Sudesh, K.; Ogino, C.; Kondo, A. Production of single cell oil by Lipomyces starkeyi from waste plant oil generated by the palm oil mill industry. J. Biosci. Bioeng. 2024, 138, 153–162. [Google Scholar] [CrossRef]
- Folch, J.; Lees, M.; Sloane Stanley, G.H. A simple method for the isolation and purification of total lipids from animal tissues. J. Biol. Chem. 1957, 226, 497–509. [Google Scholar] [CrossRef] [PubMed]
- Govender, T.; Ramanna, L.; Rawat, I.; Bux, F. BODIPY staining, an alternative to the Nile Red fluorescence method for the evaluation of intracellular lipids in microalgae. Bioresour. Technol. 2012, 114, 507–511. [Google Scholar] [CrossRef]
- Livak, K.J.; Schmittgen, T.D. Analysis of Relative Gene Expression Data Using Real-Time Quantitative PCR and the 2−ΔΔCT Method. Methods 2001, 25, 402–408. [Google Scholar] [CrossRef] [PubMed]
- Amza, R.L.; Kahar, P.; Juanssilfero, A.B.; Miyamoto, N.; Otsuka, H.; Kihira, C.; Ogino, C.; Kondo, A. High cell density cultivation of Lipomyces starkeyi for achieving highly efficient lipid production from sugar under low C/N ratio. Biochem. Eng. J. 2019, 149, 107236. [Google Scholar] [CrossRef]
- Chapman, K.D.; Dyer, J.M.; Mullen, R.T. Biogenesis and functions of lipid droplets in plants: Thematic review series: Lipid droplet synthesis and metabolism: From yeast to man. J. Lipid Res. 2012, 53, 215–226. [Google Scholar] [CrossRef] [PubMed]
- Rachmadona, N.; Amoah, J.; Quayson, E.; Hama, S.; Yoshida, A.; Kondo, A.; Ogino, C. Lipase-catalyzed ethanolysis for biodiesel production of untreated palm oil mill effluent. Sustain. Energy Fuels 2020, 4, 1105–1111. [Google Scholar] [CrossRef]
- Chee, J.Y.; Tan, Y.; Samian, M.R.; Sudesh, K. Isolation and characterization of a Burkholderia sp. USM (JCM15050) capable of producing polyhydroxyalkanoate (PHA) from triglycerides, fatty acids and glycerols. J. Polym. Environ. 2010, 18, 584–592. [Google Scholar] [CrossRef]
- Holdsworth, J.E.; Ratledge, C. Lipid Turnover in Oleaginous Yeasts. Microbiology 1988, 134, 339–346. [Google Scholar] [CrossRef][Green Version]
- Teranishi, Y.; Kawamoto, S.; Tanaka, A.; Osumi, M.; Fukui, S. Induction of catalase activity by hydrocarbons in Candida tropicalis pK 233. Agric. Biol. Chem. 1974, 38, 1221–1225. [Google Scholar] [CrossRef]
- Veenhuis, M.; Mateblowski, M.; Kunau, W.H.; Harder, W. Proliferation of microbodies in Saccharomyces cerevisiae. Yeast 1987, 3, 77–84. [Google Scholar] [CrossRef]
- Kahar, P.; Itomi, A.; Tsuboi, H.; Ishizaki, M.; Yasuda, M.; Kihira, C.; Otsuka, H.; binti Azmi, N.; Matsumoto, H.; Ogino, C.; et al. The flocculant Saccharomyces cerevisiae strain gains robustness via alteration of the cell wall hydrophobicity. Metab. Eng. 2022, 72, 82–96. [Google Scholar] [CrossRef]
- Jansen, R.L.M.; Santana-Molina, C.; van den Noort, M.; Devos, D.P.; van der Klei, I.J. Comparative Genomics of Peroxisome Biogenesis Proteins: Making Sense of the PEX Proteins. Front. Cell Dev. Biol. 2021, 9, 654163. [Google Scholar] [CrossRef] [PubMed]
- Sitepu, I.R.; Garay, L.A.; Sestric, R.; Levin, D.; Block, D.E.; German, J.B.; Boundy-Mills, K.L. Oleaginous yeasts for biodiesel: Current and future trends in biology and production. Biotechnol. Adv. 2014, 32, 1336–1360. [Google Scholar] [CrossRef]
- Patel, A.; Arora, N.; Sartaj, K.; Pruthi, V.; Pruthi, P.A. Sustainable biodiesel production from oleaginous yeasts utilizing hydrolysates of various non-edible lignocellulosic biomasses. Renew. Sustain. Energy Rev. 2016, 62, 836–855. [Google Scholar] [CrossRef]
- Sun, C.; Shah, A.M.; Yang, J.; Wang, Z.; Zhu, L.; Song, Y. Transcriptome Analysis of Oleaginous Fungus Mucor circinelloides WJ11 in Response to Exogenous Soybean Oil as Carbon Source. Nat. Prod. Commun. 2021, 16, 1934578X211023366. [Google Scholar] [CrossRef]
- Jalil, N.; Lau, H.L.N.; Jalal, R.I.A. the Cold Flow Properties of Palm Biodiesel for Diesel Blends Mandate in Malaysia’S Highlands. J. Oil Palm Res. 2022, 34, 116–128. [Google Scholar] [CrossRef]
- May, C.Y.; Weng, C.K.; Basiron, Y. Palm Diesel: An Option for Greenhouse Gas Mitigation in the Energy Sector. J. Oil Palm Res. 2005, 17, 47–52. [Google Scholar]
- Kahar, P.; Rachmadona, N.; Pangestu, R.; Palar, R.; Triyono Nugroho Adi, D.; Betha Juanssilfero, A.; Yopi; Manurung, I.; Hama, S.; Ogino, C. An integrated biorefinery strategy for the utilization of palm-oil wastes. Bioresour. Technol. 2022, 344, 126266. [Google Scholar] [CrossRef] [PubMed]
- Abdul Hakim Shaah, M.; Hossain, M.S.; Salem Allafi, F.A.; Alsaedi, A.; Ismail, N.; Ab Kadir, M.O.; Ahmad, M.I. A review on non-edible oil as a potential feedstock for biodiesel: Physicochemical properties and production technologies. RSC Adv. 2021, 11, 25018–25037. [Google Scholar] [CrossRef]







| Media | Biomass Yield (g/L) | Lipid Production (g/L) | Lipid Content (% w/w) | 
|---|---|---|---|
| YP | 4.40 ± 1.90 | 1.03 ± 0.31 | 21.87 ± 0.76 | 
| YP + 1% (w/v) PAO | 9.52 ± 0.78 | 4.19 ± 1.07 | 43.59 ± 5.41 | 
| YP + 4% (w/v) PAO | 21.61 ± 1.68 | 9.50 ± 0.34 | 45.33 ± 5.49 | 
| YP + 6% (w/v) PAO | 23.81 ± 2.29 | 9.96 ± 1.69 | 41.70 ± 3.47 | 
| YP + 10% (w/v) PAO | 26.37 ± 0.00 | 11.6 ± 1.95 | 38.49 ± 2.38 | 
| Disclaimer/Publisher’s Note: The statements, opinions and data contained in all publications are solely those of the individual author(s) and contributor(s) and not of MDPI and/or the editor(s). MDPI and/or the editor(s) disclaim responsibility for any injury to people or property resulting from any ideas, methods, instructions or products referred to in the content. | 
© 2025 by the authors. Licensee MDPI, Basel, Switzerland. This article is an open access article distributed under the terms and conditions of the Creative Commons Attribution (CC BY) license (https://creativecommons.org/licenses/by/4.0/).
Share and Cite
Zain, N.-A.A.; Tan, K.L.; Kahar, P.; Ogino, C. Lipid Production from Palm Acid Oil (PAO) as a Sole Carbon Source by Meyerozyma guilliermondii. Processes 2025, 13, 311. https://doi.org/10.3390/pr13020311
Zain N-AA, Tan KL, Kahar P, Ogino C. Lipid Production from Palm Acid Oil (PAO) as a Sole Carbon Source by Meyerozyma guilliermondii. Processes. 2025; 13(2):311. https://doi.org/10.3390/pr13020311
Chicago/Turabian StyleZain, Noor-Afiqah Ahmad, Kar Ling Tan, Prihardi Kahar, and Chiaki Ogino. 2025. "Lipid Production from Palm Acid Oil (PAO) as a Sole Carbon Source by Meyerozyma guilliermondii" Processes 13, no. 2: 311. https://doi.org/10.3390/pr13020311
APA StyleZain, N.-A. A., Tan, K. L., Kahar, P., & Ogino, C. (2025). Lipid Production from Palm Acid Oil (PAO) as a Sole Carbon Source by Meyerozyma guilliermondii. Processes, 13(2), 311. https://doi.org/10.3390/pr13020311
 
        

 
       