Borehole Failure Mechanics and Influencing Factors in a Gas-Bearing Soft Coal Seam Under Complex Geological Conditions
Abstract
1. Introduction
2. Theoretical Analysis
2.1. Mechanical Stress Distribution Around a Borehole in a Gas-Bearing Soft Coal Seam
- (1)
- Elastic deformation stage
- (2)
- Plastic deformation stage
- (3)
- Residual deformation stage
2.2. Theoretical Analysis of Coal Weakening Mechanism Under Gas Pressure
2.3. Quantitative Characterization of Borehole Fractures
3. Discrete Element Numerical Simulation Analysis
3.1. Parameter Calibration and Numerical Modeling
3.2. Numerical Calculation Results
4. Mechanical Properties of Boreholes in Gas-Bearing Soft Coal Seams
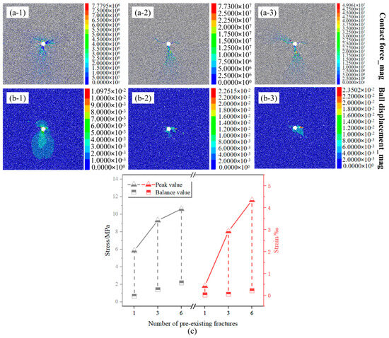
4.1. Mechanical Evolution of Boreholes According to the Number of Pre-Existing Fractures
4.2. Mechanical Evolution of Boreholes According to the Lateral Pressure Coefficient
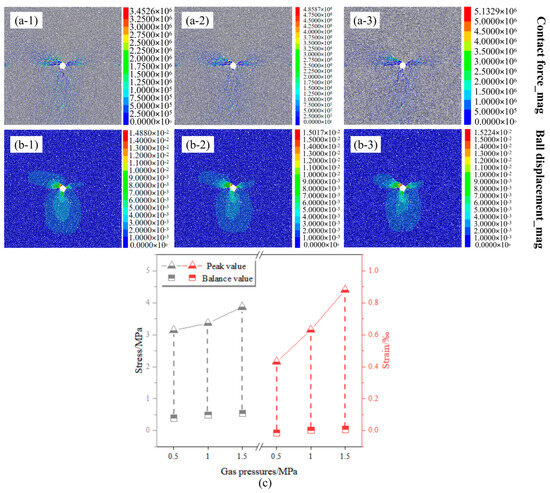
4.3. Mechanical Evolution of Boreholes According to Gas Pressure
5. Discussion
5.1. Energy Evolution Analysis of a Gas-Bearing Soft Coal Seam Under Complex Geological Conditions
5.2. Sensitivity Analysis of Factors Influencing Borehole Failure in a Gas-Bearing Soft Coal Seam
5.3. Types of Borehole Failure in a Gas-Bearing Soft Coal Seam
5.3.1. Fracture-Dominated Failure
5.3.2. Stress-Dominated Failure
6. Conclusions
Author Contributions
Funding
Data Availability Statement
Conflicts of Interest
References
- Lou, Z.; Wang, K.; Kang, M.; Zhao, W.; Wei, G.Y.; Yue, J.W.; Yao, H.W. Plugging methods for underground gas extraction boreholes in coal seams: A review of processes, challenges and strategies. Gas Sci. Eng. 2024, 122, 205225. [Google Scholar] [CrossRef]
- Zhang, T.; Xie, Z.Z.; Yuan, L.; Tang, M.; Zheng, K.G.; Zhang, C.; Mao, J.L. Study on the evolution characteristics of damage and pore-fracture structure of mining face ahead of working face. J. Coal Sci. Eng. 2024, 1–16. [Google Scholar] [CrossRef]
- Wang, Z.; Liang, Y.P.; Jin, H.W. Analysis of the mechanical conditions for the instability of anti-outburst drilling. J. Min. Saf. Eng. 2008, 25, 444–448. [Google Scholar]
- Dong, B.W. Study on the Changes of Hole Wall Stress and Arching Characteristics of Secondary Drilling Holes in Gas-Containing Coal. Master’s Thesis, Henan University of Science and Technology, Luoyang, China, 2020. [Google Scholar]
- Yuan, H.H. The Influence of Drilling Depressurization on the Mechanical Properties and Failure Characteristics of Coal and Rock. Master’s Thesis, Taiyuan University of Technology, Taiyuan, China, 2022. [Google Scholar]
- Liu, Y.B.; Wang, E.Y.; Zhang, D.; Zhang, L. Mechanical properties and gas flow of coal under different true triaxial stress paths. Chin. J. Rock Mech. Eng. 2023, 42, 1878–1889. [Google Scholar]
- Zhang, T.J.; Zhang, L.; Li, S.G.; Zhang, C.; Pan, H.Y.; Dong, X.G. Law of fracture propagation around gas extraction borehole. J. Liaoning Tech. Univ. (Nat. Sci. Ed.) 2018, 37, 499–507. [Google Scholar]
- Zhao, W.G. Numerical Simulation of Mechanical Properties of Surrounding Rock of Structural Coal and Its Deformation Failure under Multi-stage Reaming. Master’s Thesis, China University of Mining and Technology, Xuzhou, China, 2020. [Google Scholar]
- He, J.; He, W.; Zhang, C.; Sun, Z.; Sun, X. Numerical simulation on the deformation characteristics of borehole failure in gas-bearing coal seams considering the effective stress principle under complicated stress path conditions. Geomech. Geophys. Geo-Energy Geo-Resour. 2022, 8, 95. [Google Scholar] [CrossRef]
- Sun, X.Y.; Ran, Q.C.; Liu, H.; Ning, Y.H.; Ma, T.F. Characteristics of stress-displacement-fracture multi-field evolution around gas extraction borehole. Energies 2023, 16, 2896. [Google Scholar] [CrossRef]
- Guang, Y.; Hongbao, Z. Damage characteristics of gas extraction boreholes under different crustal stresses and their effects on gas extraction. Energy Sci. Eng. 2024, 12, 2591–2615. [Google Scholar] [CrossRef]
- Lin, H.; Kang, W.H.; Oh, J.; Canbulat, I.; Hebblewhite, B. Numerical simulation on borehole breakout and borehole size effect using discrete element method. Int. J. Min. Sci. Technol. 2020, 30, 623–633. [Google Scholar] [CrossRef]
- Li, Y.L.; Dong, C.Y.; A, X.Q.; Chen, X.A.; Zhang, Q.H.; Xu, T.T. An Analysis of the Near-Wellbore In-Situ Stress Distribution and Its Influencing Factors in Horizontal Wells for Thermal Recovery. J. Oil Gas Technol. 2014, 36, 168–173+10. [Google Scholar]
- Zhou, J. A Study on Wellbore Stability of Thermo-Poroelasticity in Transversely Isotropic Bedded Formations. Master’s Thesis, Southwest Petroleum University, Chengdu, China, 2017. [Google Scholar]
- Zhang, J.; Lu, Y.H. A Study on Temperature Distribution in Ultra-Deep Wellbores and Its Influence on the Mechanical Properties of Surrounding Rocks. Chin. J. Rock Mech. Eng. 2019, 38, 2831–2839. [Google Scholar]
- Li, W.B.; Huang, Y.; Liu, Z.H.; Liu, L. Study on influencing factors of synergistic deformation between built-in strain sensor and asphalt mixture. Case Stud. Constr. Mater. 2023, 18, e01993. [Google Scholar] [CrossRef]
- Wang, K.; Zhao, E.B.; Guo, Y.Y.; Du, F.; Ding, K. Effect of loading rate on the mechanical and seepage characteristics of gas-bearing coal–rock and its mechanical constitutive model. Phys. Fluids 2024, 36, 026606. [Google Scholar] [CrossRef]
- Guo, Y.Y.; Wang, K.; Du, F.; Guo, H.J.; Li, K.N.; Wang, Y.Q. Mechanical-permeability characteristics of composite coal rock under different gas pressures and damage prediction model. Phys. Fluids 2024, 36, 036615. [Google Scholar] [CrossRef]
- Zhou, A.; Hu, J.; Gong, W.; Wang, K.; Deng, N.; Wu, J. On the Instability Criticality and Safety Factor of Coal-Gas Outburst Induced by Shear Failure Based on Limit Analysis. Fuel 2021, 303, 121245. [Google Scholar] [CrossRef]
- Ding, W.B. Study on Hole Structure and Microfracture Growth of Freeze-Thawed Concrete Based on Fractal Dimension. Master’s Thesis, Chang’ an University, Xi’an, China, 2022. [Google Scholar]
- Liu, L.J.; Zhi, C.; Wang, J.J. Research on the Selection Method of Rock Meso-parameters Based on the Linear Parallel Bond Contact Model. J. Water Resour. Archit. Eng. 2017, 15, 123–128. [Google Scholar]
- Zhou, Z.W.; Ma, W.B. Study on the failure mechanism of class rock material with two circular holes under uniaxial compression. J. Appl. Mech. 2024, 1–12. [Google Scholar]
- Li, Z.Q. Study on Force Chain Characteristics during Dense Forming Process of Sandy Shrub Particles. Master’s Thesis, Inner Mongolia University of Science and Technology, Hohhot, China, 2023. [Google Scholar]
- Liu, Z.X. Quantitative Characterization of Rock Mass Deterioration Based on Pore Rate Change Law in Roadway. Master’s Thesis, Inner Mongolia University of Science and Technology, Hohhot, China, 2023. [Google Scholar]
- Qian, Q.H. Challenges and Countermeasures of underground engineering construction safety. Chin. J. Rock Mech. Eng. 2012, 31, 1945–1956. [Google Scholar]
- Li, L.P.; Cheng, S.; Zhang, Y.H.; Tu, W.F. Facing opportunities and challenges of the underground engineering safety construction. J. Shandong Univ. Sci. Technol. (Nat. Sci. Educ.) 2020, 33, 1–13. [Google Scholar]
- Li, Y.P.; Wang, Y.H.; Chen, L.Z.; Yu, F.; Li, L.H. Compressive shear test analysis of marble with prefab fractures. Chin. J. Geotech. Eng. 2004, 01, 120–124. [Google Scholar]
- Zhang, J.; He, Y.F. Study on fracture evolution law and combined bearing structural load of shallow buried coal seams. Ploidy Coal Sci. Technol. 2023, 65–76. [Google Scholar] [CrossRef]
- Zhai, S.R. Study on the Rule of Pore Gas Erosion on Coal and Rock and Its Electromagnetic Radiation Effect. Ph.D. Thesis, China University of Mining and Technology: Beijing, China, 2012. [Google Scholar]
- Xie, H.P.; Zhang, Z.T.; Gao, F.; Zhang, R.; Gao, M.Z.; Liu, J.F. Coal and rock stress field under different mining way—Fracture field—Seepage behavior research. J. Coal 2016, 9, 2405–2417. [Google Scholar]
- Zhang, Z.Z.; Niu, Y.X.; Shang, X.J.; Zhou, R.; Liu, X.G.; Gao, F. Effect of confining pressure on mechanical and energy conversion properties of gas-containing coal under loads. Geofluids 2022, 2022, 3074156. [Google Scholar] [CrossRef]
- Niu, Y.X. Study on Mechanical Behavior and Energy Evolution Characteristics of Gas–Solid Coupling Under Triaxial Compression. Master’s Thesis, China University of Mining and Technology, Xuzhou, China, 2021. [Google Scholar]
- Wang, X.N. Energy Evolution of Fractured Coal and Rock Mass in Soft Coal Seaming. Master’s Thesis, Xi’an University of Science and Technology, Xi'an, China, 2021. [Google Scholar] [CrossRef]
- Meng, W.; Gao, X.; Zhang, B.Y.; Wu, Q. Under low confining pressure of coal containing gas triaxial compression deformation energy change law. China Saf. Sci. J. 2023, 203–208. [Google Scholar] [CrossRef]
- Xing, G.H.; Luo, X.B.; Qin, Y.J.; Liu, B.; Sun, Q. Energy evolution and fracture mechanism of prefabricated fracture 3D printed rock mass. Chin. J. Undergr. Space Eng. 2023, 19, 1177–1187. [Google Scholar]
- Gao, A. Coal Containing Gas Cycle Load Impact Damage Mechanics Characteristics Research. Master’s Thesis, China University of Mining and Technology, Beijing, China, 2023. [Google Scholar]
- Han, Y.; Zhang, F.Y.; Liu, X.; Li, X.Z. Numerical simulation of failure type of coal seam drilling based on Hoek-Brown criterion. Coal Sin. 2020, S1, 308–318. [Google Scholar]
























| Serial Number | Parameter | Symbol and Units | Name | Value |
|---|---|---|---|---|
| 1 | Rmin | m | Minimum radius of particles | 0.008 |
| 2 | Rmax | m | Maximum radius of particles | 0.012 |
| 3 | Damp | 1 | Damping coefficient | 0.1 |
| 4 | ρ | Kg/m3 | Particle density | 2000 |
| 5 | Emod | GPa | Contact elastic modulus | 16 |
| 6 | Kratio | 1 | Contact stiffness ratio | 1.5 |
| 7 | fric | 1 | Friction coefficient | 0.5 |
| 8 | pb_fa | 1 | Parallel bonding internal friction angle | 30 |
| 9 | pb_ten | MPa | Parallel bond tensile strength | 20 |
| 10 | pb_coh | MPa | Parallel bond cohesion | 60 |
| Level | A | B | C |
|---|---|---|---|
| 1 | 1 | 1 | 0.5 |
| 2 | 3 | 2 | 1.0 |
| 3 | 6 | 4 | 1.5 |
| Option | A | B | C |
|---|---|---|---|
| 1 | 1 | 1 | 0.5 |
| 2 | 1 | 2 | 1.5 |
| 3 | 1 | 4 | 1.0 |
| 4 | 3 | 2 | 1.0 |
| 5 | 3 | 1 | 1.5 |
| 6 | 3 | 4 | 0.5 |
| 7 | 6 | 4 | 1.5 |
| 8 | 6 | 1 | 1.0 |
| 9 | 6 | 2 | 0.5 |
| Option | Level | A | B | C |
|---|---|---|---|---|
| K | 1 | 839 | 879 | 890 |
| 2 | 941 | 946 | 933 | |
| 3 | 1010 | 965 | 967 | |
| 1 | 280 | 293 | 297 | |
| 2 | 314 | 316 | 311 | |
| 3 | 337 | 322 | 323 | |
| Optimum level | 3 | 3 | 3 | |
| 57 | 29 | 26 | ||
| Sensitivity ranking | A > B > C | |||
Disclaimer/Publisher’s Note: The statements, opinions and data contained in all publications are solely those of the individual author(s) and contributor(s) and not of MDPI and/or the editor(s). MDPI and/or the editor(s) disclaim responsibility for any injury to people or property resulting from any ideas, methods, instructions or products referred to in the content. |
© 2025 by the authors. Licensee MDPI, Basel, Switzerland. This article is an open access article distributed under the terms and conditions of the Creative Commons Attribution (CC BY) license (https://creativecommons.org/licenses/by/4.0/).
Share and Cite
Chen, X.; Yan, Z.; Hu, J.; Yang, T.; Sun, J.; Tao, Y.; Chen, X. Borehole Failure Mechanics and Influencing Factors in a Gas-Bearing Soft Coal Seam Under Complex Geological Conditions. Processes 2025, 13, 146. https://doi.org/10.3390/pr13010146
Chen X, Yan Z, Hu J, Yang T, Sun J, Tao Y, Chen X. Borehole Failure Mechanics and Influencing Factors in a Gas-Bearing Soft Coal Seam Under Complex Geological Conditions. Processes. 2025; 13(1):146. https://doi.org/10.3390/pr13010146
Chicago/Turabian StyleChen, Xuexi, Zhilong Yan, Jiaying Hu, Tao Yang, Jihong Sun, Yunqi Tao, and Xingyu Chen. 2025. "Borehole Failure Mechanics and Influencing Factors in a Gas-Bearing Soft Coal Seam Under Complex Geological Conditions" Processes 13, no. 1: 146. https://doi.org/10.3390/pr13010146
APA StyleChen, X., Yan, Z., Hu, J., Yang, T., Sun, J., Tao, Y., & Chen, X. (2025). Borehole Failure Mechanics and Influencing Factors in a Gas-Bearing Soft Coal Seam Under Complex Geological Conditions. Processes, 13(1), 146. https://doi.org/10.3390/pr13010146

