Bulk Grain Cargo Hold Condensation Based on Computational Fluid Dynamics
Abstract
:1. Introduction
- (1)
 - A model is developed after giving consideration to the dynamic fluctuations in sea temperature and sun radiation within the cargo hold;
 - (2)
 - The condensation of grain near the side of the cargo hold is explored;
 - (3)
 - The risk of grain particle surface condensation within the cargo hold has been verified by actual ship data and mathematical equations.
 
2. Mathematical Model
2.1. Traditional CFD Fluid Equations
- (1)
 - The airflow in the cavity is incompressible Laminar Flow;
 - (2)
 - In addition to the density in the buoyancy term in the momentum equation, the thermophysical properties of the fluid are assumed to be constant;
 - (3)
 - The moisture-absorbing porous media is considered to be bulk wheat, which is uniform, isotropic, and in local thermodynamic equilibrium with the surrounding air.
 
2.2. Optimization of the Traditional CFD Fluid Equations
2.2.1. Application of Solar Radiation Model
2.2.2. Application of Sea Temperature Change
2.2.3. Application of Moisture Conservation Equation
2.2.4. Calculation of Relative Humidity Inside Grain Bulk
2.3. Determination of Vapor Condensation on the Shipside of a Cargo Hold
2.3.1. DP Method
2.3.2. ERH Method
3. Numerical Simulation
3.1. Ship Cargo Hold Parameters
3.2. Grid Division
3.3. Initial Simulation Parameter Setting
3.3.1. Initial Conditions
3.3.2. Boundary Condition
- (1)
 - Solar Radiation Boundary
 
- (2)
 - Sea Convective Heat Exchange Boundary
- 1.
 - The shipside and the bottom of the cargo hold are set as the convective wall. The heat transfer coefficient of the wall in contact with seawater is set to 7616.36 W/m2·K [40] and the heat transfer coefficient of the wall in contact with air is set to 5.62 W/m2·K.
 
 - (3)
 - Ventilation Boundary
- 2.
 - According to the ventilation record, the ventilation time from 2 July to 16 August is shown in Table 3.
 
 
3.3.3. Simulation Process
3.4. Results and Analyses
3.4.1. Soybean Temperature Field Simulation
3.4.2. Soybean Micro-airflow Field Simulation
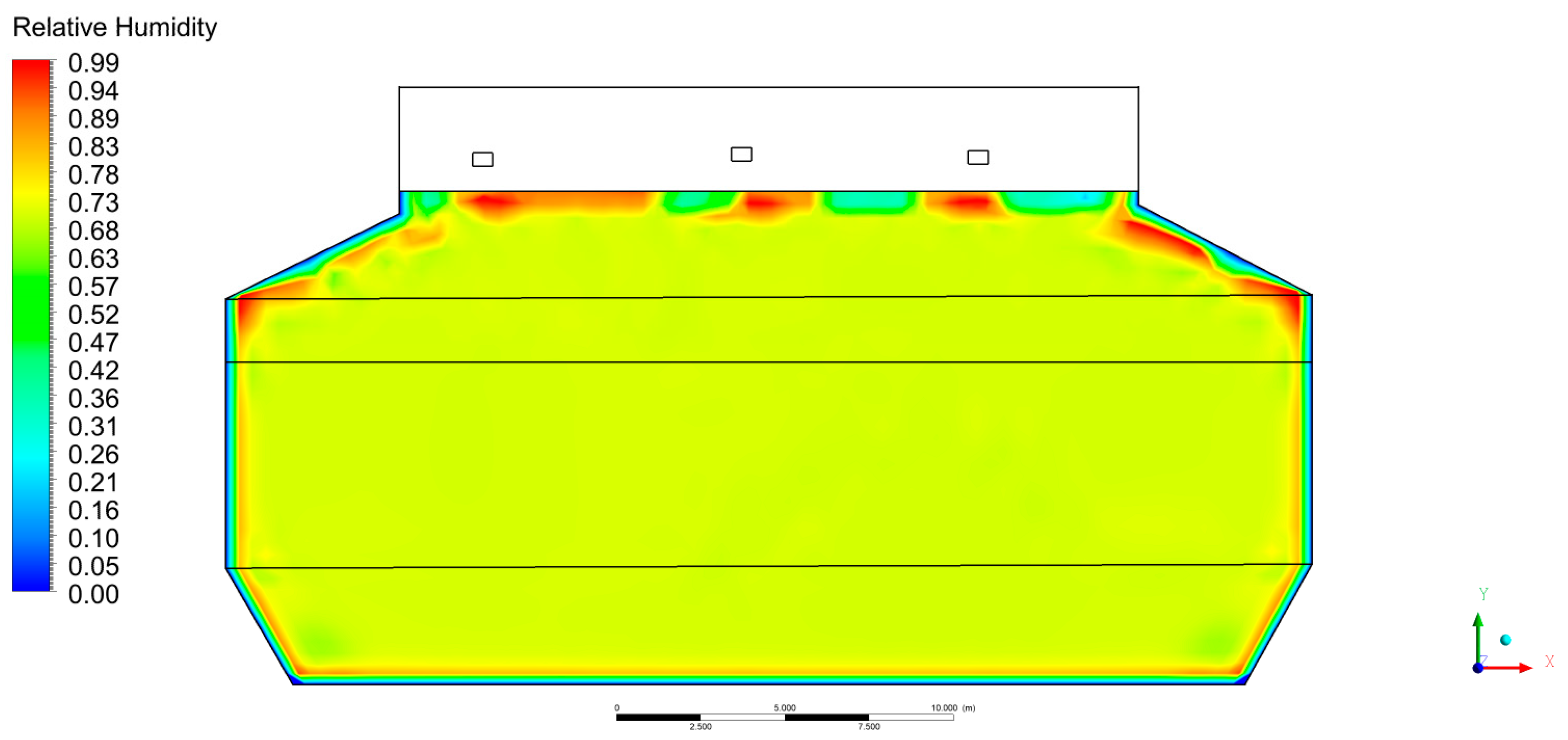
3.4.3. Soybean Relative Humidity Field Simulation
3.5. Verification
3.5.1. The Verification by Actual Data
3.5.2. Verification by DP Method
3.5.3. Verification by ERH Method
4. Discussion
5. Conclusions
- (1)
 - In the voyage selected in this paper, the temperature of soybean in the deep part of the cargo hold exceeds 35 °C, which is a high temperature grain storage state. This occurrence is attributed to the combined influence of sea temperature, sun radiation, and grain respiration. Under the action of micro-airflow, the moisture inside the grain migrates outward, and the relative humidity of the grain at the shipside reaches 95%.
 - (2)
 - The simulation demonstrates a correlation between the production of micro-airflow and the temperature gradient within the grain bulk. Additionally, the temperature and micro-airflow exhibit a coupling effect on the distribution and alteration of relative humidity inside the grain bulk.
 - (3)
 - With the increase in navigation time, the moisture is continuously transported from the inside to the outside of the cargo hold, and the temperature of the shipside of the cargo hold is continuously reduced, so the risk of condensation is greater.
 
Author Contributions
Funding
Institutional Review Board Statement
Informed Consent Statement
Data Availability Statement
Conflicts of Interest
References
- Liu, F. Analysis of Soybean International Trade Network. Master’s Thesis, Beijing Institute of Technology, Beijing, China, 2016. [Google Scholar]
 - Jian, F. A general model to predict germination and safe storage time of crop seeds. J. Stored Prod. Res. 2022, 99, 102041. [Google Scholar] [CrossRef]
 - Coradi, P.C.; Lima, R.E.; Padia, C.L.; Alves, C.Z.; Teodoro, P.E.; Carina da Silva Cândido, A. Soybean seed storage: Packaging technologies and conditions of storage environments. J. Stored Prod. Res. 2020, 89, 101709. [Google Scholar] [CrossRef]
 - Crops and Livestock Products. Available online: https://www.fao.org/faostat/en/#data/TCL (accessed on 30 August 2023).
 - Capilheira, A.; Cavalcante, J.; Gadotti, G.I.; Bezerra, B.; Hornke, N.; Villela, F. Storage of soybean seeds: Packaging and modied atmosphere technology. Rev. Bras. De Eng. Agrícola E Ambient. 2019, 23, 883. [Google Scholar] [CrossRef]
 - Mohos, F. Water Activity, Shelf Life and Storage. In Confectionery and Chocolate Engineering; John Wiley & Sons, Inc.: Hoboken, NJ, USA, 2017; pp. 579–603. [Google Scholar]
 - Coradi, P.C.; Souza, A.; Camilo, L.; Lemes, Â.; Milane, L. Analysis of the physical quality of genetically modified and conventional maize grains in the drying and wetting processes. Rev. Ciência Agronômica 2019, 50, 370–377. [Google Scholar] [CrossRef]
 - Magan, N.; Lacey, J. Effects of gas composition and water activity on growth of field and storage fungi and their interactions. Trans. Br. Mycol. Soc. 1984, 82, 305–314. [Google Scholar] [CrossRef]
 - Fleurat-Lessard, F. Qualitative reasoning and integrated management of the quality of stored grain: A promising new approach. J. Stored Prod. Res. 2002, 38, 191–218. [Google Scholar] [CrossRef]
 - Woerfel, J.B. Chapter 4—Harvest, Storage, Handling, and Trading of Soybeans. In Practical Handbook of Soybean Processing and Utilization; Erickson, D.R., Ed.; AOCS Press: Urbana, IL, USA, 1995; pp. 39–55. [Google Scholar]
 - Nguyen, T.V. Natural Convection Effects In Stored Grains—A Simulation Study. Dry. Technol. 1987, 5, 541–560. [Google Scholar] [CrossRef]
 - Kolokotroni, M.; Saiz, N.; Littler, J. Moisture movement: A study using tracer gas techniques and CFD modelling. Build. Serv. Eng. Res. Technol. 1992, 13, 113–117. [Google Scholar] [CrossRef]
 - Abe, T.; Basunia, M.A. Simulation of Temperature and Moisture Changes During Storage of Rough Rice in Cylindrical Bins Owing to Weather Variability. J. Agric. Eng. Res. 1996, 65, 223–233. [Google Scholar] [CrossRef]
 - Chao, N.-T.; Wang, W.-A.; Chiang, C.-M. A study of a control strategy utilizing outdoor air to reduce the wintertime carbon dioxide levels in a typical Taiwanese bedroom. Energy Build. 1998, 29, 93–105. [Google Scholar] [CrossRef]
 - Reed, C.; Doyungan, S.; Ioerger, B.; Getchell, A. Response of storage molds to different initial moisture contents of maize (corn) stored at 25 °C, and effect on respiration rate and nutrient composition. J. Stored Prod. Res. 2007, 43, 443–458. [Google Scholar] [CrossRef]
 - Carrera-Rodríguez, M.; Martínez-González, G.M.; Navarrete-Bolaños, J.L.; Botello-Álvarez, J.E.; Rico-Martínez, R.; Jiménez-Islas, H. Transient numerical study of the effect of ambient temperature on 2-D cereal grain storage in cylindrical silos. J. Stored Prod. Res. 2011, 47, 106–122. [Google Scholar] [CrossRef]
 - Kechkin, I.; Ermolaev, V.; Belyaeva, M.; Tarakanova, V.; Gurkovskaya, E.; Buzetti, K. Processes of Heat and Mass Transfer During Grain Mass Storage in Metal Silos of Large Capacity. KnE Life Sci. 2021, 6, 206–214. [Google Scholar] [CrossRef]
 - Yin, J. Research on Multi-Fields Coupling Model of Wheat Grain and Condensation Prediction. Ph.D. Thesis, Jilin University, Changchun, China, 2015. [Google Scholar]
 - Zhang, R.D. Law of Occurrence and Development of Dew Condensation during Storage of Soybean and Its Influence on Quality. Master’s Thesis, Henan University of Technology, Zhangzhou, China, 2021. [Google Scholar]
 - Spencer, M.R. Effect of shipping on quality of seeds, meals, fats, and oils. J. Am. Oil Chem. Soc. 1976, 53, 238–240. [Google Scholar] [CrossRef]
 - Milton, R.F.; Pawsey, R.K. Spoilage relating to the storage and transport of cereals and oil seeds. Int. J. Food Microbiol. 1988, 7, 211–217. [Google Scholar] [CrossRef]
 - Soybeans, T.G.A. Risk Factors and Loss Prevention. Available online: https://www.tis-gdv.de/tis_e/ware/oelsaat/sojabohn/sojabohn-htm/#ls (accessed on 1 July 2023).
 - Palacios-Cabrera, H.A.; Menezes, H.C.; Iamanaka, B.T.; Canepa, F.; Teixeira, A.A.; Carvalhaes, N.; Santi, D.; Leme, P.T.Z.; Yotsuyanagi, K.; Taniwaki, M.H. Effect of Temperature and Relative Humidity during Transportation on Green Coffee Bean Moisture Content and Ochratoxin A Production. J. Food Prot. 2007, 70, 164–171. [Google Scholar] [CrossRef]
 - Drzewieniecka, B.; Drzewieniecki, J.; Blatnický, M. The Influence of External Factors on Hazards in the Transport Processes of Soybean Meal. New Trends Prod. Eng. 2018, 1, 301–307. [Google Scholar] [CrossRef]
 - Uygun, Y.; Jafri, S.A.I. Controlling risks in sea transportation of cocoa beans. Cogent Bus. Manag. 2020, 7, 1778894. [Google Scholar] [CrossRef]
 - Anderson, D.; Sheard, D. Cargo Ventilation: A Guide to Good Practice, 2nd ed.; The North of England P&I Association: Newcastle, UK, 2020; pp. 10–19. [Google Scholar]
 - Lovstad, M. New Guidance Document for Cargo and Cargo Hold Ventilation. Available online: https://www.dnv.com/expert-story/maritime-impact (accessed on 13 August 2023).
 - Yuen, P.; Sasa, K.; Kawahara, H.; Chen, C. Statistical estimation of container condensation in marine transportation between Far East Asia and Europe. J. Navig. 2021, 75, 176–199. [Google Scholar] [CrossRef]
 - Novikova, T.; Stikhova, A.; Zhmyrko, T. Study of loose bulk cargo storage conditions and water transportation. E3S Web Conf. 2021, 326, 36. [Google Scholar] [CrossRef]
 - Ocieczek, A.; Zawadzka, D.; Kaizer, A.; Zawadzki, M. The Effects of Particular Factors Connected with Maritime Transport on Quality and Safety of Cereal As A Cargo. Transp. Probl. 2021, 16, 19–32. [Google Scholar] [CrossRef]
 - Arias, A.; Abalone, R.; Gastón, A. Mathematical modelling of momentum, heat and mass transfer in grains stored in silos. Part i: Model development and validation. Lat. Am. Appl. Res. 2013, 43, 377–384. [Google Scholar]
 - Panigrahi, S.; Singh, C.; Fielke, J.; Zare, D. Modeling of heat and mass transfer within the grain storage ecosystem using numerical methods: A review. Dry. Technol. 2019, 38, 1677–1697. [Google Scholar] [CrossRef]
 - White, N.D.G.; Sinha, R.N.; Muir, W.E. Intergranularcarbon Dioxide as an Indicatorof Biologicalactivityassociatedwith the Spoilageof Stored Wheat. Can. Agric. Eng. 1982, 24, 35–42. [Google Scholar]
 - REN, S.G.; Wei, Y.; Haoyu, W. Prediction model on temporal and spatial variation of air temperature in greenhouse and ventilation control measures based on CFD. Transations Chin. Soc. Agric. Eng. 2015, 13, 207–214. [Google Scholar]
 - Thorpe, G.R. The application of computational fluid dynamics codes to simulate heat and moisture transfer in stored grains. J. Stored Prod. Res. 2008, 44, 21–31. [Google Scholar] [CrossRef]
 - Wang, Y.C.; Yang, K.M.; Zhang, Z.T.; Qi, W.; Yang, J. Natural convection heat and moisture transfer with thermal radiation in a cavity partially filled with hygroscopic porous medium. Dry. Technol. 2016, 34, 275–286. [Google Scholar] [CrossRef]
 - World Meteorological Organization. Guide to Meteorological Instruments and Methods of Observation, 8th ed.; World Meteorological Organization: Geneva, Switzerland, 2018; pp. 110–111. [Google Scholar]
 - Pu, J.; Shen, C.; Zhang, C.; Liu, X. A semi-experimental method for evaluating frosting performance of air source heat pumps. Renew. Energy 2021, 173, 913–925. [Google Scholar] [CrossRef]
 - Wu, Z.; Li, X. The Use of CAE Model for Controlling Aeration in A Chinese Rough Rice Depot. J. Chin. Cereals Oils Assoc. 2011, 2, 73–78+83. [Google Scholar]
 - Sun, B.X. The Study of Temperature Field of Bulk Soybean in Ship. Master’s Thesis, Dalian Maritime University, Dalian, China, 2018. [Google Scholar]
 - Ge, M.; Chen, G.; Liu, C.; Zheng, D.; Liu, W. Effect of Vertical Pressure on Temperature Field Distribution of Bulk Paddy Grain Pile. Appl. Sci. 2022, 12, 10392. [Google Scholar] [CrossRef]
 - Hristov, A. Bulk Carrier Practice, 2nd ed.; Nautical Institute: London, UK, 2010; pp. 76–77. [Google Scholar]
 - Sun, G.; Yang, L.; Liu, R. Thermal insulation coatings based on microporous particles from Pickering emulsion polymerization. Prog. Org. Coat. 2021, 151, 106023. [Google Scholar] [CrossRef]
 













| No. | Date | Ship Name | Voyage | Damaged Tonnages | 
|---|---|---|---|---|
| (1) | November 1997 | MV RAM DAS | India to China | 4927 | 
| (2) | May 1999 | MV Panamax Star | Brazil to China | 7001 | 
| (3) | April 2004 | MV Bunga Saga Lapan | Brazil to China | 11,635 | 
| (4) | May 2004 | MV Hanjin Tacoma | Brazil to China | 14,031 | 
| (5) | September 2012 | MV Tai Prize | Brazil to China | 4991 | 
| (6) | July 2014 | MV Grandamanda | Ukraine to China | 20,121 | 
| (7) | June 2017 | MV Yasa Eagle | Brazil to China | 2598 | 
| (8) | August 2017 | MV ADELANTE | Brazil to China | 64,848 | 
| Parameters | Value | 
|---|---|
| Ship Summer Displacement | 82,150 T | 
| The Cargo loaded | 69,699 T | 
| Ship voyage draft | 11.1 m | 
| Cargo hold length | 32.2 m | 
| Cargo hold width | 28.6 m | 
| Cargo hold depth | 17.5 m | 
| Date | Ventilation | Ventilation Record | 
|---|---|---|
| 2 July–12 July | No | Fumigation | 
| 13 July–19 July | Yes | Ventilation | 
| 20 July–25 July | No | Wind and waves | 
| 26 July–7 August | Yes | Ventilation | 
| 8 August | No | Rainfall | 
| 9 August–16 August | Yes | Ventilation | 
| Name | Boundary Type | Parameter | Value | 
|---|---|---|---|
| Ventilation inlet | Speed Inlet | Wind velocity, | 1 m/s | 
| Ventilation outlet | Pressure outlet | Gauge pressure, | 0 Pa | 
| Grain | Porous media | Soybean density, | 769.7 kg/m3 | 
| Specific heat capacity, Cg | 1870 kJ/(kg·K) | ||
| Thermal conductivity, | 0.13 W/(m·K) | ||
| Porosity, | 0.5 | ||
| Viscosity coefficient, γ | 1.2 × 109 m2/s | ||
| Inertial resistance, C2 | 2800 | ||
| Convection wall | Boundary | Convection heat transfer coefficient, h | 7616.36 W/(m2·K) | 
| Steel density, | 8030 kg/m3 | ||
| Conductivity coefficient, | 16.27 W/(m·K) | ||
| Specific heat, | 502.48 J/(kg·K) | ||
| Radiant Wall | Boundary | Absorption,α | 0.8 | 
Disclaimer/Publisher’s Note: The statements, opinions and data contained in all publications are solely those of the individual author(s) and contributor(s) and not of MDPI and/or the editor(s). MDPI and/or the editor(s) disclaim responsibility for any injury to people or property resulting from any ideas, methods, instructions or products referred to in the content.  | 
© 2023 by the authors. Licensee MDPI, Basel, Switzerland. This article is an open access article distributed under the terms and conditions of the Creative Commons Attribution (CC BY) license (https://creativecommons.org/licenses/by/4.0/).
Share and Cite
Wang, H.; Zhou, H. Bulk Grain Cargo Hold Condensation Based on Computational Fluid Dynamics. Appl. Sci. 2023, 13, 12878. https://doi.org/10.3390/app132312878
Wang H, Zhou H. Bulk Grain Cargo Hold Condensation Based on Computational Fluid Dynamics. Applied Sciences. 2023; 13(23):12878. https://doi.org/10.3390/app132312878
Chicago/Turabian StyleWang, Honggui, and Hao Zhou. 2023. "Bulk Grain Cargo Hold Condensation Based on Computational Fluid Dynamics" Applied Sciences 13, no. 23: 12878. https://doi.org/10.3390/app132312878
APA StyleWang, H., & Zhou, H. (2023). Bulk Grain Cargo Hold Condensation Based on Computational Fluid Dynamics. Applied Sciences, 13(23), 12878. https://doi.org/10.3390/app132312878
        
