Experimental Research on the Effect of Thermophysical Characteristics of Cutting Fluid on Cutting Performance During Turning Ti-6Al-4V Alloy
Abstract
1. Introduction
2. Experimental Procedure and Methodology
2.1. Cutting Experiments and Corresponding Tests
2.2. Testing of Thermophysical Characteristics of Cutting Fluid
3. Results and Discussion
3.1. Comparative Analyses of Thermophysical Characteristics of Cutting Fluids
3.2. Effect of Cutting Fluid on Cutting Force
3.3. Effect of Cutting Fluid on Cutting Temperature
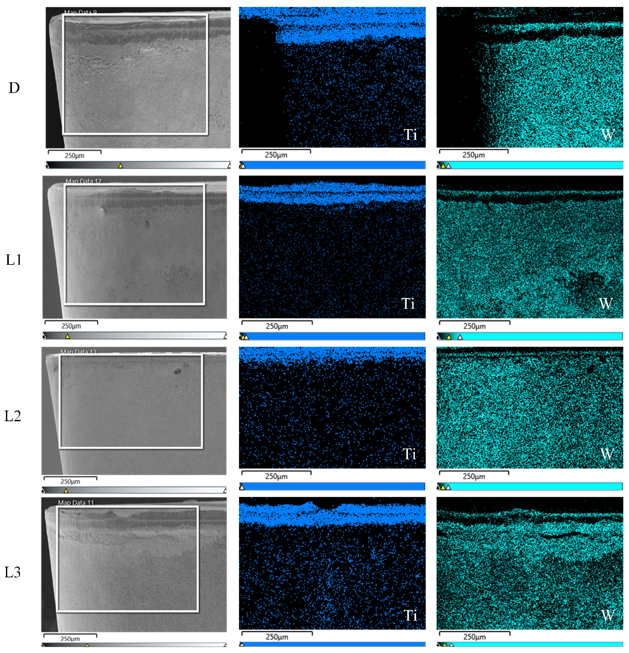
3.4. Tool Wear Evolution Under Different Lubrication Environments
3.5. Wear Morphology and Wear Mechanism Under Different Lubrication Environments
3.5.1. Wear Morphology
3.5.2. Wear Mechanism
3.6. Quality of Machined Workpiece Surface in Different Lubrication Conditions
4. Conclusions
- Significant differences in the thermophysical properties of the three green vegetable oils were observed. L2 exhibited the lowest surface tension and smallest contact angle on the tool, revealing its best abilities in spreading on the tool surface and wetting the tool. The lubricating film formed with L3 showed a larger thickness, suggesting its higher stability. in terms of the volatility of the cutting fluid, L2 exhibited the highest initial boiling temperature and the lowest volatility; therefore, it is more suitable to be used as a cutting fluid for the high-temperature cutting process. In general, the cutting fluid with a smaller contact angle, lower surface tension, higher viscosity, and lower volatility has a stronger ability to reduce cutting force and temperature, mitigate wear, and improve surface quality.
- The cutting forces and temperatures generated in the three MQL environments were lower than those in the dry cutting environment. The cutting forces produced in the cases of L1, L2, and L3 were reduced by 19.30%, 30.24%, and 25.02%, respectively, compared with the dry cutting environment, and the cutting temperatures generated in the cases of L1, L2, and L3 were decreased by 9.3%, 14.6%, and 12.4%, respectively, compared with the dry cutting environment. As revealed by the results, the lowest cutting force and temperature were achieved with the introduction of L2, followed by the ones in the cases of L3 and L1. The main reason for this phenomenon was the different thermophysical properties of the three green vegetable oils.
- The dry cutting process showed the most serious tool wear and obvious micro-chipping. The three MQL environments effectively improved the wear resistance of the cutting tools. In addition, the micro-chipping phenomenon was not observed in these cases. L2 performed the best in terms of improving the wear resistance of the tools, followed by L3 which ranked second, and L1 exhibited the lowest improvement effect. In addition, the same wear mechanisms of the tools were found in both dry cutting and MQL environments. The wear mechanisms of the tool rake face were mainly adhesive wear as well as oxidation wear, and the wear mechanisms of the tool flank face mainly included adhesive wear, oxidative wear, as well as abrasive wear, among which adhesive wear played a dominant role.
- The surface roughness of the workpieces machined in the L1 and L2 environments was smaller than that in the dry cutting environment. Particularly, the lowest surface roughness was obtained in the presence of L2, manifesting the highest surface quality of the machined workpiece. On the other hand, although the tool wear, cutting force, and temperature in the case of L3 were lower than the corresponding values in the dry cutting process, workpieces machined in the L3 environment showed larger surface roughness and lower surface quality.
Author Contributions
Funding
Data Availability Statement
Acknowledgments
Conflicts of Interest
References
- Marian, M.; Almqvist, A.; Rosenkranz, A.; Fillon, M. Numerical micro-texture optimization for lubricated contacts—A critical discussion. Friction 2022, 10, 1772–1809. [Google Scholar] [CrossRef]
- Ali, S.H.; Yao, Y.; Wu, B.; Zhao, B.; Ding, W.; Jamil, M.; Khan, A.; Baig, A.; Liu, Q.; Xu, D. Recent developments in MQL ma-chining of aeronautical materials: A comparative review. Chin. J. Aeronaut. 2025, 38, 102918. [Google Scholar] [CrossRef]
- Xu, W.; Li, C.; Zhang, Y.; Ali, H.M.; Sharma, S.; Li, R.; Yang, M.; Gao, T.; Liu, M.; Wang, X.; et al. Electrostatic atomization minimum quantity lubrication machining: From mechanism to application. Int. J. Extrem. Manuf. 2022, 4, 042003. [Google Scholar] [CrossRef]
- Cui, X.; Li, C.; Ding, W.; Chen, Y.; Mao, C.; Xu, X.; Liu, B.; Wang, D.; Li, H.N.; Zhang, Y.; et al. Minimum quantity lubrication machining of aeronautical materials using carbon group nanolubricant: From mechanisms to application. Chin. J. Aeronaut. 2022, 35, 85–112. [Google Scholar] [CrossRef]
- He, T.; Liu, N.; Xia, H.; Wu, L.; Zhang, Y.; Li, D.; Chen, Y. Progress and trend of minimum quantity lubrication (MQL): A comprehensive review. J. Clean. Prod. 2023, 386, 135809. [Google Scholar] [CrossRef]
- Tian, P.; He, L.; Zhou, T.; Du, F.; Zou, Z.; Zhou, X. Experimental characterization of the performance of MQL-assisted turning of solution heat-treated and aged Inconel 718 alloy. Int. J. Adv. Manuf. Technol. 2023, 125, 3839–3851. [Google Scholar] [CrossRef]
- Aslan, A.; Salur, E.; Kuntoğlu, M. Evaluation of the role of dry and MQL regimes on machining and sustainability index of strenx 900 steel. Lubricants 2022, 10, 301. [Google Scholar] [CrossRef]
- Şirin, Ş.; Sarıkaya, M.; Yıldırım, Ç.V.; Kıvak, T. Machinability performance of nickel alloy X-750 with SiAlON ceramic cutting tool under dry, MQL and hBN mixed nanofluid-MQL. Tribol. Int. 2021, 153, 106673. [Google Scholar] [CrossRef]
- Cui, X.; Li, C.; Zhang, Y.; Ding, W.; An, Q.; Liu, B.; Li, H.N.; Said, Z.; Sharma, S.; Li, R.; et al. Comparative assessment of force, temperature, and wheel wear in sustainable grinding aerospace alloy using biolubricant. Front. Mech. Eng. 2023, 18, 3. [Google Scholar] [CrossRef]
- Kazeem, R.A.; Fadare, D.A.; Ikumapayi, O.M.; Adediran, A.A.; Aliyu, S.J.; Akinlabi, S.A.; Jen, T.-C.; Akinlabi, E.T. Advances in the application of vegetable-oil-based cutting fluids to sustainable machining operations—A review. Lubricants 2022, 10, 69. [Google Scholar] [CrossRef]
- Sankaranarayanan, R.; Hynes, N.R.J.; Kumar, J.S.; Krolczyk, G. A comprehensive review on research developments of vegetable-oil based cutting fluids for sustainable machining challenges. J. Manuf. Process 2021, 67, 286–313. [Google Scholar] [CrossRef]
- Safie NS, S.; Murad, M.N.; Lih, T.C.; Azmi, A.I.; Wan Hamzah, W.A.; Danish, M. Roles of eco-friendly non-edible vegetable oils in drilling Inconel 718 through minimum quantity lubrication. Lubricants 2022, 10, 211. [Google Scholar] [CrossRef]
- Singh, R.; Dureja, J.S.; Dogra, M.; Gupta, M.K.; Mia, M.; Song, Q. Wear behavior of textured tools under graphene-assisted minimum quantity lubrication system in machining Ti-6Al-4V alloy. Tribol. Int. 2020, 145, 106183. [Google Scholar] [CrossRef]
- Yuan, J.; Liu, N.; Zou, X.; Wu, L.; Zhang, Y.; He, T.; Xia, H.; Wang, Y.; Chen, Y. Processing characteristics and lubrication performance of castor oil-ethanol blended coolant-based minimal quantity lubrication. CIRP J. Manuf. Sci. Technol. 2022, 36, 78–89. [Google Scholar] [CrossRef]
- Gaurav, G.; Sharma, A.; Dangayach, G.S.; Meena, M.L. Assessment of jojoba as a pure and nano-fluid base oil in minimum quantity lubrication (MQL) hard-turning of Ti–6Al–4V: A step towards sustainable machining. J. Clean. Prod. 2020, 272, 122553. [Google Scholar] [CrossRef]
- Du, F.; He, L.; Zhou, T.; Tian, P.; Zou, Z.; Zhou, X. Analysis of droplet characteristics and cooling lubrication effects in MQL milling of 316l stainless steel. J. Mater. Res. Technol. 2022, 19, 4832–4856. [Google Scholar] [CrossRef]
- Subramani, S.; Muthu, S.N.; Gajbhiye, N.L. A numerical study on the influence of minimum quantity lubrication parameters on spray characteristics of rapeseed oil as cutting fluid. Ind. Lubr. Tribol. 2022, 74, 197–204. [Google Scholar] [CrossRef]
- El-Bouri, W.; Deiab, I.; Khanafer, K.; Wahba, E. Numerical and experimental analysis of turbulent flow and heat transfer of minimum quantity lubrication in a turning process using discrete phase model. Int. Commun. Heat. Mass. 2019, 104, 23–32. [Google Scholar] [CrossRef]
- Saleem, M.Q.; Mehmood, A. Eco-friendly precision turning of superalloy Inconel 718 using MQL based vegetable oils: Tool wear and surface integrity evaluation. J. Manuf. Process 2022, 73, 112–127. [Google Scholar] [CrossRef]
- Guo, S.; Li, C.; Zhang, Y.; Wang, Y.; Li, B.; Yang, M.; Zhang, X.; Liu, G. Experimental evaluation of the lubrication performance of mixtures of castor oil with other vegetable oils in MQL grinding of nickel-based alloy. J. Clean. Prod. 2017, 140, 1060–1076. [Google Scholar] [CrossRef]
- Pal, A.; Chatha, S.S.; Sidhu, H.S. Performance evaluation of various vegetable oils and distilled water as base fluids using eco-friendly MQL technique in drilling of AISI 321 stainless steel. Int. J. Pract. Eng. Manuf. Technol. 2022, 9, 745–764. [Google Scholar] [CrossRef]
- Yin, Q.; Li, C.; Dong, L.; Bai, X.; Zhang, Y.; Yang, M.; Jia, D.; Li, R.; Liu, Z. Effects of physicochemical properties of different base oils on friction coefficient and surface roughness in MQL Milling AISI 1045. Int. J. Precis. Eng. Manuf. Technol. 2021, 8, 1629–1647. [Google Scholar] [CrossRef]
- Jamil, M.; He, N.; Huang, X.; Zhao, W.; Khan, A.M.; Iqbal, A. Thermophysical, tribological, and machinability characteristics of newly developed sustainable hybrid lubricoolants for milling Ti-6Al-4V. J. Manuf. Process 2022, 73, 572–594. [Google Scholar] [CrossRef]
- Nwoguh, T.O.; Okafor, A.C.; Onyishi, H.A. Enhancement of viscosity and thermal conductivity of soybean vegetable oil using nanoparticles to form nanofluids for mini-mum quantity lubrication machining of difficult-to-cut metals. Int. J. Adv. Manuf. Technol. 2021, 113, 3377–3388. [Google Scholar] [CrossRef]
- Khanna, N.; Airao, J.; Kshitij, G.; Nirala, C.K.; Hegab, H. Sustainability analysis of new hybrid cooling/lubrication strategies during machining Ti6Al4V and Inconel 718 alloys. Sustain. Mater. Technol. 2023, 36, e00606. [Google Scholar] [CrossRef]
- Singh, A.K.; Sharma, V. A comparative appraisal of sustainable strategy in ultrasonic assisted grinding of Nimonic 80A using novel green atomized cutting fluid. Sustain. Mater. Technol. 2022, 32, e423. [Google Scholar] [CrossRef]
- Malinowski, R.; Parkin, I.P.; Volpe, G. Advances towards programmable droplet transport on solid surfaces and its applications. Chem. Soc. Rev. 2020, 49, 7879–7892. [Google Scholar] [CrossRef] [PubMed]
- Dungavath, N.N.; Sharma, V. Thermophysical investigations of mango seed oil as a novel cutting fluid: A sustainable approach toward waste to value addition. J. Manuf. Sci. Eng. 2022, 144, 091004. [Google Scholar] [CrossRef]
- Gnanadurai, R.R.; Mesfin, S. Investigations on the effect of silver nanoparticles on performance of coconut oil based cutting fluid in minimal fluid application. Adv. Mech. Eng. 2022, 14, 2072279792. [Google Scholar] [CrossRef]
- Makhesana, M.A.; Patel, K.M.; Khanna, N. Analysis of vegetable oil-based nano-lubricant technique for improving machinability of Inconel 690. J. Manuf. Process 2022, 77, 708–721. [Google Scholar] [CrossRef]
- Guimarães, B.; Silva, J.; Fernandes, C.; Figueiredo, D.; Carvalho, O.; Miranda, G.; Silva, F. Understanding drop spreading behaviour on Wc-10wt%Co cutting tools—An experimental and numerical study. Colloids Surfaces A Physicochem. Eng. Asp. 2022, 637, 128268. [Google Scholar] [CrossRef]
- Lv, T.; Xu, X.; Weng, H.; Yu, A.; Niu, C.; Hu, X. A study on lubrication and cooling performance and machining characteristics of magnetic field–assisted minimum quantity lubrication using fe3o4 nanofluid as cutting fluid. Int. J. Adv. Manuf. Technol. 2022, 123, 3857–3869. [Google Scholar] [CrossRef]
- Chetan Behera, B.C.; Ghosh, S.; Rao, P.V. Wear behavior of PVD TiN coated carbide inserts during machining of Nimonic 90 and Ti6Al4V superalloys under dry and MQL conditions. Ceram. Int. 2016, 42, 14873–14885. [Google Scholar] [CrossRef]
- Bibin, C.; Devarajan, Y.; Bharadwaj, A.; Patil, P.Y. Detailed analysis on nonedible waste feedstock as a renewable cutting fluid for a sustainable machining process. Biomass Convers. Bior. 2023, 13, 3405–3413. [Google Scholar] [CrossRef]
- Tuan, N.M.; Duc, T.M.; Long, T.T.; Hoang, V.L.; Ngoc, T.B. Investigation of machining performance of MQL and MQCL hard turning using nano cutting fluids. Fluids 2022, 7, 143. [Google Scholar] [CrossRef]
- Chen, J.Y.; Liu, D.H.; Jin, T.Y.; Qi, Y. A novel bionic micro-textured tool with the function of directional cutting-fluid transport for cutting titanium alloy. J. Mater. Process Technol. 2023, 311, 117816. [Google Scholar] [CrossRef]
- Abu Bakar, H.; Ghani, J.; Haron, C.C.; Ghazali, M.; Kasim, M.; Al-Zubaidi, S.; Jouini, N. Wear mechanisms of solid carbide cutting tools in dry and cryogenic machining of AISI H13 steel with varying cutting-edge radius. Wear 2023, 523, 204758. [Google Scholar] [CrossRef]
- Zhao, Z.; Fu, Y.; To, S.; Zhang, G.; Lin, J. Microstructural effects on the single crystal diamond tool wear in ultraprecision turning of Ti6Al4V alloys. Int. J. Refract. Met. Hard Mater. 2023, 110, 106038. [Google Scholar] [CrossRef]
- Sun, H.; Zou, B.; Chen, P.; Huang, C.; Guo, G.; Liu, J.; Li, L.; Shi, Z. Effect of MQL condition on cutting performance of high-speed machining of GH4099 with ceramic end mills. Tribol. Int. 2022, 167, 107401. [Google Scholar] [CrossRef]
- Liang, J.; Gao, H.; Xiang, S.; Chen, L.; You, Z.; Lei, Y. Research on tool wear morphology and mechanism during turning nickel-based alloy GH4169 with PVD-TiAlN coated carbide tool. Wear 2022, 508–509, 204468. [Google Scholar] [CrossRef]
- Ståhl, J.; Schultheiss, F.; Hägglund, S. Analytical and experimental determination of the Ra surface roughness during turning. Procedia Eng. 2011, 19, 349–356. [Google Scholar] [CrossRef]
- Liang, X.; Liu, Z.; Yao, G.; Wang, B.; Ren, X. Investigation of surface topography and its deterioration resulting from tool wear evolution when dry turning of titanium alloy Ti-6Al-4V. Tribol. Int. 2019, 135, 130–142. [Google Scholar] [CrossRef]






















| Modulus of Elasticity (GPa) | Density (kg/m3) | Yield Strength (MPa) | Poisson Ratio |
|---|---|---|---|
| 114 | 4430 | 738.9 | 0.31 |
Disclaimer/Publisher’s Note: The statements, opinions and data contained in all publications are solely those of the individual author(s) and contributor(s) and not of MDPI and/or the editor(s). MDPI and/or the editor(s) disclaim responsibility for any injury to people or property resulting from any ideas, methods, instructions or products referred to in the content. |
© 2025 by the authors. Licensee MDPI, Basel, Switzerland. This article is an open access article distributed under the terms and conditions of the Creative Commons Attribution (CC BY) license (https://creativecommons.org/licenses/by/4.0/).
Share and Cite
Zhou, X.; He, L.; Yuan, S.; Deng, J.; Su, Z.; Yang, J.; Du, F. Experimental Research on the Effect of Thermophysical Characteristics of Cutting Fluid on Cutting Performance During Turning Ti-6Al-4V Alloy. Lubricants 2025, 13, 90. https://doi.org/10.3390/lubricants13020090
Zhou X, He L, Yuan S, Deng J, Su Z, Yang J, Du F. Experimental Research on the Effect of Thermophysical Characteristics of Cutting Fluid on Cutting Performance During Turning Ti-6Al-4V Alloy. Lubricants. 2025; 13(2):90. https://doi.org/10.3390/lubricants13020090
Chicago/Turabian StyleZhou, Xiaorong, Lin He, Sen Yuan, Jing Deng, Zebin Su, Jingdou Yang, and Feilong Du. 2025. "Experimental Research on the Effect of Thermophysical Characteristics of Cutting Fluid on Cutting Performance During Turning Ti-6Al-4V Alloy" Lubricants 13, no. 2: 90. https://doi.org/10.3390/lubricants13020090
APA StyleZhou, X., He, L., Yuan, S., Deng, J., Su, Z., Yang, J., & Du, F. (2025). Experimental Research on the Effect of Thermophysical Characteristics of Cutting Fluid on Cutting Performance During Turning Ti-6Al-4V Alloy. Lubricants, 13(2), 90. https://doi.org/10.3390/lubricants13020090

