The Impact of Biofilm-Induced Dynamic Layered Clogging on Hyporheic Exchange in Streambed
Abstract
1. Introduction
2. Methodology
2.1. Govern Equations in Streambed
2.2. Boundary Conditions in Streambed
2.3. Case Setup
2.4. The Variations in Parameters
2.5. Definition of Some Parameters
- (1)
- Center of Mass Distribution (CMD)
- (2)
- Penetration time (T) and Arrival time (Ta)
3. Results and Discussions
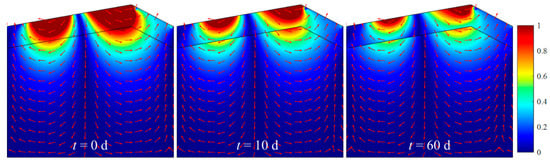
3.1. The Flux of Pore Water in Streambed
3.2. The Transport of Non-Absorbable Solute in Hyporheic Zone
3.3. The Arrival and Penetrate Time of CMD in Streambed
3.4. The Effects of Microorganisms Growth in Anoxic Zone
3.5. The Limitations and Future Perspectives
- (1)
- Model Dimension and the Structure of Streambed
- (2)
- Improvement of Biofilm Systems
4. Conclusions
- (1)
- Dynamic layered clogging significantly modulates hyporheic hydraulics: The total water flux entering the bio-layer decreases by 45.1%, and the flux penetrating to the deeper area (Layer 2) reduces by 28.6%. This flux reduction is attributed to progressive decreases in hydraulic conductivity (from 8.4 × 10−6 to 4.3 × 10−6 m/s) and porosity (from 0.40 to 0.34) induced by biofilm growth, which inhibits stream–streambed exchange processes.
- (2)
- Non-absorbable solute transport exhibits biphasic behavior: Initial rapid penetration (1.8 × 10−1 cm/day over 30 days) transitions to slow diffusion (6.3×10−3 cm/day thereafter), driven by dynamic changes in bio-layer hydraulic properties. This temporal deceleration highlights the role of clogging in prolonging solute residence times in the hyporheic zone.
- (3)
- The penetration time of solute CMD correlates negatively with hydraulic conductivity under normal conditions, but this relationship reverses when hydraulic conductivity falls below a critical threshold (K* < 0.25). This reversal is attributed to the porosity-dependent increase in actual flow velocity (v = u/n), demonstrating the non-linear influence of clogging on subsurface transport.
- (4)
- The structural changes in the deep streambed (Layer 2) have little impact on hyporheic exchange at Surface 1, although anaerobic microbial clogging in Layer 2 slightly increases solute penetration time. The positive correlation between S* and penetration time shows that significant growth of anaerobic bacteria in Layer 2 (with S* > 1) would obviously affect the solute penetration time in the streambed.
Author Contributions
Funding
Data Availability Statement
Acknowledgments
Conflicts of Interest
References
- Rutere, C.; Posselt, M.; Ho, A.; Horn, M.A. Biodegradation of metoprolol in oxic and anoxic hyporheic zone sediments: Unexpected effects on microbial communities. Appl. Microbiol. Biotechnol. 2021, 105, 6103–6115. [Google Scholar] [CrossRef] [PubMed]
- Wondzell, S.M. The role of the hyporheic zone across stream networks. Hydrol. Process. 2011, 25, 3525–3532. [Google Scholar] [CrossRef]
- Su, X.; Yeh, T.-C.J.; Shu, L.; Li, K.; Brusseau, M.L.; Wang, W.; Hao, Y.; Lu, C. Scale issues and the effects of heterogeneity on the dune-induced hyporheic mixing. J. Hydrol. 2020, 590, 125429. [Google Scholar] [CrossRef]
- Zhou, T.; Endreny, T. The straightening of a River Meander leads to extensive losses in flow complexity and ecosystem services. Water 2020, 12, 1680. [Google Scholar] [CrossRef]
- Majeed, L.R.; Majeed, L.F.; Rashid, S.; Bhat, S.A.; Kumar, N.; Kumar, V. Intensification of contaminants, hydrology, and pollution of hyporheic zone: The liver of river ecology—A review. Environ. Sustain. 2024, 7, 121–133. [Google Scholar] [CrossRef]
- Cardenas, M.B. Stream-aquifer interactions and hyporheic exchange in gaining and losing sinuous streams. Water Resour. Res. 2009, 45, W06429. [Google Scholar] [CrossRef]
- Boano, F.; Harvey, J.W.; Marion, A.; Packman, A.I.; Revelli, R.; Ridolfi, L.; Wörman, A. Hyporheic flow and transport processes: Mechanisms, models, and biogeochemical implications. Rev. Geophys. 2014, 52, 603–679. [Google Scholar] [CrossRef]
- Packman, A.I.; Salehin, M. Relative roles of stream flow and sedimentary conditions in controlling hyporheic exchange. Hydrobiologia 2003, 494, 291–297. [Google Scholar] [CrossRef]
- Fox, A.; Packman, A.I.; Boano, F.; Phillips, C.B.; Arnon, S. Interactions between suspended kaolinite deposition and hyporheic exchange flux under losing and gaining flow conditions. Geophys. Res. Lett. 2018, 45, 4077–4085. [Google Scholar] [CrossRef]
- Zhang, Z.; Jin, G.; Tang, H.; Shao, W.; Jiang, Q.; Zhou, X.; Yuan, H.; Barry, D.A. Effects of Hyporheic Exchange and Settlement on the Particle Size Distribution of Colloids. Transp. Porous Media 2024, 151, 719–741. [Google Scholar] [CrossRef]
- Packman, A.I.; Brooks, N.H.; Morgan, J.J. Kaolinite exchange between a stream and streambed: Laboratory experiments and validation of a colloid transport model. Water Resour. Res. 2000, 36, 2363–2372. [Google Scholar] [CrossRef]
- Zhang, Y.; Song, J.; Cheng, D.; Zhang, H.; Zhang, C.; Zhang, H.; Tang, B. Effect of sediment particle size distribution characteristics on hyporheic exchange under different riverbed topography. J. Hydrol. 2025, 653, 132752. [Google Scholar] [CrossRef]
- Angermann, L.; Krause, S.; Lewandowski, J. Application of heat pulse injections for investigating shallow hyporheic flow in a lowland river. Water Resour. Res. 2012, 48, W00P02. [Google Scholar] [CrossRef]
- Krause, S.; Blume, T.; Cassidy, N. Investigating patterns and controls of groundwater up-welling in a lowland river by combining Fibre-optic Distributed Temperature Sensing with observations of vertical hydraulic gradients. Hydrol. Earth Syst. Sci. 2012, 16, 1775–1792. [Google Scholar] [CrossRef]
- Song, J.; Zhang, G.; Wang, W.; Liu, Q.; Jiang, W.; Guo, W.; Tang, B.; Bai, H.; Dou, X. Variability in the vertical hyporheic water exchange affected by hydraulic conductivity and river morphology at a natural confluent meander bend. Hydrol. Process. 2017, 31, 3407–3420. [Google Scholar] [CrossRef]
- Jiang, Q.; Jin, G.; Tang, H.; Shen, C.; Cheraghi, M.; Xu, J.; Li, L.; Barry, D. Density-dependent solute transport in a layered hyporheic zone. Adv. Water Resour. 2020, 142, 103645. [Google Scholar] [CrossRef]
- Tonina, D.; de Barros, F.P.; Marzadri, A.; Bellin, A. Does streambed heterogeneity matter for hyporheic residence time distribution in sand-bedded streams? Adv. Water Resour. 2016, 96, 120–126. [Google Scholar] [CrossRef]
- Sawyer, A.H.; Cardenas, M.B. Hyporheic flow and residence time distributions in heterogeneous cross-bedded sediment. Water Resour. Res. 2009, 45, W08406. [Google Scholar] [CrossRef]
- Song, J.; Chen, X.; Cheng, C. Observation of bioturbation and hyporheic flux in streambeds. Front. Environ. Sci. Eng. China 2010, 4, 340–348. [Google Scholar] [CrossRef]
- Pintelon, T.R.; Picioreanu, C.; van Loosdrecht, M.C.; Johns, M.L. The effect of biofilm permeability on bio-clogging of porous media. Biotechnol. Bioeng. 2012, 109, 1031–1042. [Google Scholar] [CrossRef]
- Drescher, K.; Shen, Y.; Bassler, B.L.; Stone, H.A. Biofilm streamers cause catastrophic disruption of flow with consequences for environmental and medical systems. Proc. Natl. Acad. Sci. USA 2013, 110, 4345–4350. [Google Scholar] [CrossRef] [PubMed]
- Xian, Y.; Jin, M.; Zhan, H.; Liu, Y. Reactive transport of nutrients and bioclogging during dynamic disconnection process of stream and groundwater. Water Resour. Res. 2019, 55, 3882–3903. [Google Scholar] [CrossRef]
- Volponi, S.N.; Tank, J.L.; Vincent, A.E.S.; Snyder, E.D.; Pruitt, A.N.; Bolster, D. Biofilm Development, Senescence, and Benthic Substrate Influence Hyporheic Transport in Streams. J. Geophys. Res. Biogeosci. 2025, 130, e2024JG008225. [Google Scholar] [CrossRef]
- Kuriata-Potasznik, A.; Szymczyk, S.; Bęś, A.; Sidoruk, M.; Skwierawski, A.; Kobus, S. Role of River–Lake System Sediments and Microbial Activity in the Hyporheic Zone. Water 2021, 13, 3499. [Google Scholar] [CrossRef]
- Gerbersdorf, S.U.; Wieprecht, S. Biostabilization of cohesive sediments: Revisiting the role of abiotic conditions, physiology and diversity of microbes, polymeric secretion, and biofilm architecture. Geobiology 2015, 13, 68–97. [Google Scholar] [CrossRef]
- Battin, T.J.; Besemer, K.; Bengtsson, M.M.; Romani, A.M.; Packmann, A.I. The ecology and biogeochemistry of stream biofilms. Nat. Rev. Microbiol. 2016, 14, 251–263. [Google Scholar] [CrossRef]
- Ping, X.; Jin, M.; Xian, Y. Effect of bioclogging on the nitrate source and sink function of a hyporheic zone. J. Hydrol. 2020, 590, 125425. [Google Scholar] [CrossRef]
- Xian, Y.; Jin, M.; Zhan, H.; Liang, X. Permeable biofilms can support persistent hyporheic anoxic microzones. Geophys. Res. Lett. 2022, 49, e2021GL096948. [Google Scholar] [CrossRef]
- Shogren, A.J.; Tank, J.L.; Hanrahan, B.R.; Bolster, D. Controls on fine particle retention in experimental streams. Freshw. Sci. 2020, 39, 28–38. [Google Scholar] [CrossRef]
- Caruso, A.; Boano, F.; Ridolfi, L.; Chopp, D.L.; Packman, A. Biofilm-induced bioclogging produces sharp interfaces in hyporheic flow, redox conditions, and microbial community structure. Geophys. Res. Lett. 2017, 44, 4917–4925. [Google Scholar] [CrossRef]
- Cook, S.; Price, O.; King, A.; Finnegan, C.; van Egmond, R.; Schäfer, H.; Pearson, J.M.; Abolfathi, S.; Bending, G.D. Bedform characteristics and biofilm community development interact to modify hyporheic exchange. Sci. Total Environ. 2020, 749, 141397. [Google Scholar] [CrossRef]
- Nogaro, G.; Datry, T.; MERMILLOD-BLONDIN, F.; Descloux, S.; Montuelle, B. Influence of streambed sediment clogging on microbial processes in the hyporheic zone. Freshw. Biol. 2010, 55, 1288–1302. [Google Scholar] [CrossRef]
- Jin, G.; Zhang, Z.; Li, R.; Chen, C.; Tang, H.; Li, L.; Barry, D.A. Transport of zinc ions in the hyporheic zone: Experiments and simulations. Adv. Water Resour. 2020, 146, 103775. [Google Scholar] [CrossRef]
- Navel, S.; Mermillod-Blondin, F.; Montuelle, B.; Chauvet, E.; Simon, L.; Marmonier, P. Water–sediment exchanges control microbial processes associated with leaf litter degradation in the hyporheic zone: A microcosm study. Microb. Ecol. 2011, 61, 968–979. [Google Scholar] [CrossRef] [PubMed]
- Knapp, J.L.; González-Pinzón, R.; Drummond, J.D.; Larsen, L.G.; Cirpka, O.A.; Harvey, J.W. Tracer-based characterization of hyporheic exchange and benthic biolayers in streams. Water Resour. Res. 2017, 53, 1575–1594. [Google Scholar] [CrossRef]
- Jin, G.; Tang, H.; Gibbes, B.; Li, L.; Barry, D.A. Transport of nonsorbing solutes in a streambed with periodic bedforms. Adv. Water Resour. 2010, 33, 1402–1416. [Google Scholar] [CrossRef]
- Cardenas, M.B.; Wilson, J.L.; Haggerty, R. Residence time of bedform-driven hyporheic exchange. Adv. Water Resour. 2008, 31, 1382–1386. [Google Scholar] [CrossRef]
- Feng, R.; Duan, L.; Shen, S.; Cheng, Y.; Wang, Y.; Wang, W.; Yang, S. Temporal dynamic of antibiotic resistance genes in the Zaohe-Weihe hyporheic zone: Driven by oxygen and bacterial community. Ecotoxicology 2023, 32, 57–72. [Google Scholar] [CrossRef]
- Roy Chowdhury, S.; Zarnetske, J.P.; Phanikumar, M.S.; Briggs, M.A.; Day-Lewis, F.D.; Singha, K. Formation criteria for hyporheic anoxic microzones: Assessing interactions of hydraulics, nutrients, and biofilms. Water Resour. Res. 2020, 56, e2019WR025971. [Google Scholar] [CrossRef]
- Zheng, X.; Shan, B.; Chen, L.; Sun, Y.; Zhang, S. Attachment–detachment dynamics of suspended particle in porous media: Experiment and modeling. J. Hydrol. 2014, 511, 199–204. [Google Scholar] [CrossRef]
- Li, L.; Xiao, Y.; Liu, D.; Yin, H.; Li, H.; Liu, Y.; Feng, J.; Wei, H. Three-dimensional hyporheic exchange driven by local riverbed scouring below the in-stream structure. Phys. Fluids 2025, 37, 022143. [Google Scholar] [CrossRef]
- Chen, X.; Cardenas, M.B.; Chen, L. Hyporheic exchange driven by three-dimensional sandy bed forms: Sensitivity to and prediction from bed form geometry. Water Resour. Res. 2018, 54, 4131–4149. [Google Scholar] [CrossRef]
- Torgeson, J.M.; Rosenfeld, C.E.; Dunshee, A.J.; Duhn, K.; Schmitter, R.; O’Hara, P.A.; Ng, G.C.; Santelli, C.M. Hydrobiogechemical interactions in the hyporheic zone of a sulfate-impacted, freshwater stream and riparian wetland ecosystem. Environ. Sci. Process. Impacts 2022, 24, 1360–1382. [Google Scholar] [CrossRef]











| Geometric Parameters | Values | Hydraulic Parameters | Values |
|---|---|---|---|
| Average depth of the overlying water | 8.2 cm | Initial porosity (n0) | 0.40 |
| Length of the bedform | 15.2 cm | Stable porosity (ns) | 0.34 |
| Height of top of the bedforms | 2.0 cm | Water density (ρ) | 1000 kg m−3 |
| Length of the stoss side of the bedform | 11.4 cm | Longitudinal dispersivities (αL) | 0.001 m |
| Length of the lee side of the bedform | 3.8 cm | Transverse dispersivities (αT) | 0.0001 m |
| Minimum bedform height | 12.0 cm | Initial hydraulic conductivity (K0) | 8.4 × 10−6 m s−1 |
| Thickness of Layer 1 (L) | 2.0 cm | Stable hydraulic conductivity (Ks) | 4.3 × 10−6 m s−1 |
| Cases | Hydraulic Conductivity (K) | Porosity (n) | Penetration Time (T) |
|---|---|---|---|
| Case A | Layer 1: K0 | Layer 1: n0 | 3.838 d |
| Layer 2: K0 | Layer 2: n0 | ||
| Case B | Layer 1: Ks | Layer 1: ns | 3.839 d |
| Layer 2: K0 | Layer 2: n0 | ||
| Case C | Layer 1: Varying from K0 to Ks | Layer 1: Varying from n0 to ns | 3.936 d |
| Layer 2: K0 | Layer 2: n0 | ||
| Case D | Layer 1: Varying from K0 to Ks | Layer 1: Varying from n0 to ns | 3.994 d |
| Layer 2: Varying from K0 to Ks | Layer 2: Varying from n0 to ns |
Disclaimer/Publisher’s Note: The statements, opinions and data contained in all publications are solely those of the individual author(s) and contributor(s) and not of MDPI and/or the editor(s). MDPI and/or the editor(s) disclaim responsibility for any injury to people or property resulting from any ideas, methods, instructions or products referred to in the content. |
© 2025 by the authors. Licensee MDPI, Basel, Switzerland. This article is an open access article distributed under the terms and conditions of the Creative Commons Attribution (CC BY) license (https://creativecommons.org/licenses/by/4.0/).
Share and Cite
Zhang, Z.; Xu, Q.; Wu, X.; Tang, R.; Yang, W.; Zhao, X.; Wang, Y. The Impact of Biofilm-Induced Dynamic Layered Clogging on Hyporheic Exchange in Streambed. Water 2025, 17, 2717. https://doi.org/10.3390/w17182717
Zhang Z, Xu Q, Wu X, Tang R, Yang W, Zhao X, Wang Y. The Impact of Biofilm-Induced Dynamic Layered Clogging on Hyporheic Exchange in Streambed. Water. 2025; 17(18):2717. https://doi.org/10.3390/w17182717
Chicago/Turabian StyleZhang, Zhongtian, Qiang Xu, Xinyi Wu, Ren Tang, Wenhai Yang, Xingji Zhao, and Yuansheng Wang. 2025. "The Impact of Biofilm-Induced Dynamic Layered Clogging on Hyporheic Exchange in Streambed" Water 17, no. 18: 2717. https://doi.org/10.3390/w17182717
APA StyleZhang, Z., Xu, Q., Wu, X., Tang, R., Yang, W., Zhao, X., & Wang, Y. (2025). The Impact of Biofilm-Induced Dynamic Layered Clogging on Hyporheic Exchange in Streambed. Water, 17(18), 2717. https://doi.org/10.3390/w17182717

