Tumor Microenvironment Activated Vanadium−Doped Carbon Dots for Fluorescence Imaging and Chemodynamic Therapy
Abstract
1. Introduction
2. Materials and Methods
2.1. Materials and Apparatus
2.2. Preparation of V−CDs
2.3. H2O2-Activated Fluorescence of V−CDs
2.4. Detection of OH Generation
2.5. In Vitro Fluorescence Imaging of V−CDs
2.6. In Vitro Cytotoxicity and CDT of V−CDs
3. Results
3.1. Characterization of V−CDs
3.2. Fluorescence and ·OH Generation
3.3. In Vitro Fluorescence Imaging
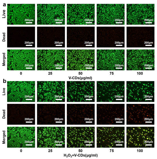
3.4. In Vitro Cytotoxicity and CDT of V−CDs
3.5. Comparison of the Performance of Fluorescent and Peroxidase-like CDs
4. Discussion
Author Contributions
Funding
Institutional Review Board Statement
Informed Consent Statement
Data Availability Statement
Conflicts of Interest
References
- Torre, L.A.; Bray, F.; Siegel, R.L. Global Cancer Statistics, 2012. CA Cancer J. Clin. 2015, 65, 87–108. [Google Scholar] [CrossRef] [PubMed]
- Lambert, A.W.; Pattabiraman, D.R.; Weinberg, R.A. Emerging Biological Principles of Metastasis. Cell 2017, 168, 670–691. [Google Scholar] [CrossRef] [PubMed]
- Anderson, N.M.; Simon, M.C. The tumor microenvironment. Curr. Biol. 2020, 30, R921–R925. [Google Scholar] [CrossRef] [PubMed]
- Kiran, A.V.V.V.R.; Kumari, G.K.; Krishnamurthy, P.T.; Khaydarov, R.R. Tumor microenvironment and nanotherapeutics: Intruding the tumor fort. Biomater. Sci. 2021, 9, 7667. [Google Scholar] [CrossRef] [PubMed]
- Arneth, B. Tumor Microenvironment. Medicina 2020, 56, 15. [Google Scholar] [CrossRef] [PubMed]
- Paskeh, M.D.A.; Entezari, M.; Mirzaei, S.; Zabolian, A.; Saleki, H.; Naghdi, M.J.; Sabet, S.; Khoshbakht, M.A.; Hashemi, M.; Hushmandi, K.; et al. Emerging role of exosomes in cancer progression and tumor microenvironment remodeling. J. Hematol. Oncol. 2022, 15, 83. [Google Scholar] [CrossRef] [PubMed]
- Xiao, Y.; Yu, D. Tumor microenvironment as a therapeutic target in cancer. Pharmacol. Ther. 2021, 221, 107753. [Google Scholar] [CrossRef]
- Bai, Y.; Shu, T.; Su, L.; Zhang, X. Fluorescent Gold Nanoclusters for Biosensor and Bioimaging Application. Crystals 2020, 10, 357. [Google Scholar] [CrossRef]
- Shim, M.K.; Yang, S.; Sun, I.-C.; Kim, K. Tumor-activated carrier-free prodrug nanoparticles for targeted cancer Immunotherapy: Preclinical evidence for safe and effective drug delivery. Adv. Drug Deliv. Rev. 2022, 183, 114177. [Google Scholar] [CrossRef]
- Zhang, X.; An, L.; Tian, Q.; Lin, J.; Yang, S. Tumor microenvironment-activated NIR-II reagents for tumor imaging and therapy. J. Mater. Chem. B 2020, 8, 4738–4747. [Google Scholar] [CrossRef]
- Thakkar, S.; Sharma, D.; Kalia, K.; Tekade, R.K. Tumor microenvironment targeted nanotherapeutics for cancer therapy and diagnosis: A review. Acta Biomater. 2020, 101, 43–68. [Google Scholar] [CrossRef]
- Shen, G.; Hu, M.; Qi, J. Progress of Luminescent Carbon Dots in Biomedicine Engineering. Nano Biomed. Eng. 2016, 8, 190–202. [Google Scholar] [CrossRef]
- Kim, H.; Kwak, G.; Kim, K.; Yoon, H.Y.; Kwon, I.C. Theranostic designs of biomaterials for precision medicine in cancer therapy. Biomaterials 2019, 213, 119207. [Google Scholar] [CrossRef]
- David, A.M.; Michael, D.F.; Amy, S.C. Making Molecular Imaging a Clinical Tool for Precision Oncology. JAMA Oncol. 2017, 3, 695–701. [Google Scholar]
- Lee, J.Y.; Choi, D.-Y.; Cho, M.Y.; Park, K.E.; Lee, S.-H.; Cho, S.H.; Hong, K.S.; Lim, Y.T. Targeted Theranostic Nanoparticles: Receptor-Mediated Entry into Cells, pH-Induced Signal Generation and Cytosolic Delivery. Small 2014, 10, 901–906. [Google Scholar] [CrossRef]
- Ansari, G.A.C.; Tikhomirov, S.H.; Hong, R.A.; Falconer, P.M.; Loadman, J.H.; Gill, R.; Castaneda, F.K.; Hazard, L.; Tong, O.D.; Lenkov, D.W.; et al. Development of novel tumor-targeted theranostic nanoparticles activated by membrane-type matrix metalloproteinases for combined cancer magnetic resonance imaging and therapy. Small 2014, 10, 566–575. [Google Scholar] [CrossRef]
- Liu, X.; Gong, X.; Yuan, J.; Fan, X.; Zhang, X.; Ren, T.; Yang, S.; Yang, R.; Yuan, L.; Zhang, X. Dual-Stimulus Responsive Near-Infrared Reversible Ratiometric Fluorescent and Photoacoustic Probe for In Vivo Tumor Imaging. Anal. Chem. 2021, 93, 5420–5429. [Google Scholar] [CrossRef]
- Jia, Q.; Zhao, Z.; Liang, K.; Nan, F.; Li, Y.; Wang, J.; Ge, J.; Wang, P. Recent advances and prospects of carbon dots in cancer nanotheranostics. Mater. Chem. Front. 2020, 4, 449–471. [Google Scholar] [CrossRef]
- Zhang, Y.; Jia, Q.; Nan, F.; Wang, J.; Liang, K.; Li, J.; Xue, X.; Ren, H.; Liu, W.; Ge, J.; et al. Carbon dots nanophotosensitizers with tunable reactive oxygen species generation for mitochondrion-targeted type I/II photodynamic therapy. Biomaterials 2023, 293, 121953. [Google Scholar] [CrossRef]
- Shang, W.; Xia, X.; Lu, N.; Gao, P.; Peng, L.; Liu, Y.; Deng, H.; Jiang, J.; Li, Z.; Liu, J. Colourful fluorescence-based carbon dots for tumour imaging-guided nanosurgery. Nanomedicine 2022, 45, 102583. [Google Scholar] [CrossRef]
- Ou, S.-F.; Zheng, Y.-Y.; Lee, S.-J.; Chen, S.-T.; Wu, C.-H.; Hsieh, C.-T.; Juang, R.-S.; Peng, P.-Z.; Hsueh, Y.-H. N-Doped Carbon Quantum Dots as Fluorescent Bioimaging Agents. Crystals 2021, 11, 789. [Google Scholar] [CrossRef]
- Lagos, K.J.; Buzzá, H.H.; Bagnato, V.S.; Romero, M.P. Carbon-Based Materials in Photodynamic and Photothermal Therapies Applied to Tumor Destruction. Int. J. Mol. Sci. 2021, 23, 22. [Google Scholar] [CrossRef] [PubMed]
- Liu, H.; Mo, L.; Chen, H.; Chen, C.; Wu, J.; Tang, Z.; Guo, Z.; Hu, C.; Liu, Z. Carbon Dots with Intrinsic Bioactivities for Photothermal Optical Coherence Tomography, Tumor-Specific Therapy and Postoperative Wound Management. Adv. Healthc. Mater. 2022, 11, 2101448. [Google Scholar] [CrossRef] [PubMed]
- Sun, S.; Chen, Q.; Tang, Z.; Liu, C.; Li, Z.; Wu, A.; Lin, H. Tumor Microenvironment Stimuli-Responsive Fluorescence Imaging and Synergistic Cancer Therapy by Carbon-Dot-Cu(2+) Nanoassemblies. Angew. Chem. Int. Ed. 2020, 59, 21041–21048. [Google Scholar] [CrossRef]
- Zhao, D.-H.; Li, C.-Q.; Hou, X.-L.; Xie, X.-T.; Zhang, B.; Wu, G.-Y.; Jin, F.; Zhao, Y.-D.; Liu, B. Tumor Microenvironment-Activated Theranostics Nanozymes for Fluorescence Imaging and Enhanced Chemo-Chemodynamic Therapy of Tumors. ACS Appl. Mater. Interfaces 2021, 13, 55780–55789. [Google Scholar] [CrossRef]
- Tang, Z.; Liu, Y.; He, M.; Bu, W. Chemodynamic Therapy: Tumour Microenvironment-Mediated Fenton and Fenton-like Reactions. Angew. Chem. Int. Ed. 2019, 58, 946–956. [Google Scholar] [CrossRef]
- Liang, K.; Ge, J.; Wang, P. Emerging metal doped carbon dots for promising theranostic applications. Biomed. Mater. 2023, 18, 012001. [Google Scholar] [CrossRef]
- Li, X.; Fu, Y.; Zhao, S.; Xiao, J.; Lan, M.; Wang, B.; Zhang, K.; Song, X.; Zeng, L. Metal ions-doped carbon dots: Synthesis, properties, and applications. Chem. Eng. J. 2022, 430, 133101. [Google Scholar] [CrossRef]
- Chen, T.; Huang, R.; Liang, J.; Zhou, B.; Guo, X.L.; Shen, X.-C.; Jiang, B.-P. Natural Polyphenol–Vanadium Oxide Nanozymes for Synergistic Chemodynamic/Photothermal Therapy. Chemistry 2020, 26, 15159–15169. [Google Scholar] [CrossRef]
- Liu, X.; Yan, Z.; Zhang, Y.; Liu, Z.; Sun, Y.; Ren, J.; Qu, X. Two-Dimensional Metal–Organic Framework/Enzyme Hybrid Nanocatalyst as a Benign and Self-Activated Cascade Reagent for in Vivo Wound Healing. ACS Nano 2019, 13, 5222–5230. [Google Scholar] [CrossRef]
- Selvaraj, S.; Krishnan, U.M. Vanadium–Flavonoid Complexes: A Promising Class of Molecules for Therapeutic Applications. J. Med. Chem. 2021, 64, 12435–12452. [Google Scholar] [CrossRef]
- Feng, W.; Han, X.; Hu, H.; Chang, M.; Ding, L.; Xiang, H.; Chen, Y.; Li, Y. 2D vanadium carbide MXenzyme to alleviate ROS-mediated inflammatory and neurodegenerative diseases. Nat. Commun. 2021, 12, 2203. [Google Scholar] [CrossRef]
- Zhang, X.; Yang, Q.; Lang, Y.; Jiang, X.; Wu, P. Rationale of 3,3′,5,5′-Tetramethylbenzidine as the Chromogenic Substrate in Colorimetric Analysis. Anal. Chem. 2020, 92, 12400–12406. [Google Scholar] [CrossRef]
- Tang, Y.; Chen, Y.; Liu, Y.; Xia, Y.; Zhao, F.; Zeng, B. Detection of Gastric Cancer-Associated d-Amino Acids and Carcinoembryonic Antigen by Colorimetric and Immuno ECL Sensing Platform Based on the Catalysis of N/S-Doped Carbon Dots @ N-Rich Porous Carbon Nanoenzyme. Anal. Chem. 2022, 94, 17787–17794. [Google Scholar] [CrossRef]
- Wang, Z.; Liu, L.; Bu, W.; Zheng, M.; Jin, N.; Zhang, K.; Xu, X.; Zhou, D.; Yang, B.; Sun, H. Carbon Dots Induce Epithelial-Mesenchymal Transition for Promoting Cutaneous Wound Healing via Activation of TGF-β/p38/Snail Pathway. Adv. Funct. Mater. 2020, 30, 2004886. [Google Scholar] [CrossRef]
- Strauss, V.; Wang, H.; Delacroix, S.; Ledendecker, M.; Wessig, P. Carbon nanodots revised: The thermal citric acid/urea reaction. Chem. Sci. 2020, 11, 8256–8266. [Google Scholar] [CrossRef]
- Yao, X.; Wang, Y.; Li, F.; Dalluge, J.J.; Orr, G.; Hernandez, R.; Cui, Q.; Haynes, C.L. Unconventional aliphatic fluorophores discovered as the luminescence origin in citric acid–urea carbon dots. Nanoscale 2022, 14, 9516–9525. [Google Scholar] [CrossRef]
- Liang, S.; Liu, B.; Xiao, X.; Yuan, M.; Yang, L.; Ma, P.; Cheng, Z.; Lin, J. A Robust Narrow Bandgap Vanadium Tetrasulfide Sonosensitizer Optimized by Charge Separation Engineering for Enhanced Sonodynamic Cancer Therapy. Adv. Mater. 2021, 33, e2101467. [Google Scholar] [CrossRef]
- Prashant, K.S.; Michael, L.F. Light emitting diodes based on carbon dots derived from food, beverage, and combustion wastes. Phys. Chem. Chem. Phys. 2015, 17, 27642. [Google Scholar]
- Dhiman, B.; Prashant, K.S.; Michael, L.F. Quantum dots and carbon dots based fluorescent sensors for TB biomarkers detection. Vacuum 2017, 146, 606–613. [Google Scholar]
- Yang, B.; Chen, Y.; Shi, J. Reactive Oxygen Species (ROS)-Based Nanomedicine. Chem. Rev. 2019, 119, 4881–4985. [Google Scholar] [CrossRef] [PubMed]
- Wang, H.; Liu, C.; Liu, Z.; Ren, J.; Qu, X. Specific Oxygenated Groups Enriched Graphene Quantum Dots as Highly Efficient Enzyme Mimics. Small 2018, 14, e1703710. [Google Scholar] [CrossRef] [PubMed]
- Wang, W.; Zhang, Q.; Zhang, M.; Liu, Y.; Shen, J.; Zhou, N.; Lu, X.; Zhao, C. Multifunctional red carbon dots: A theranostic platform for magnetic resonance imaging and fluorescence imaging-guided chemodynamic therapy. Analyst 2020, 145, 3592–3597. [Google Scholar] [CrossRef] [PubMed]
- Li, J.; Hu, Z.-E.; We, Y.-J.; Liu, Y.-H.; Wang, N.; Yu, X.-Q. Multifunctional carbon quantum dots as a theranostic nanomedicine for fluorescence imaging-guided glutathione depletion to improve chemodynamic therapy. J. Colloid Interface Sci. 2022, 606, 1219–1228. [Google Scholar] [CrossRef]
- Zhang, W.; Dang, G.; Dong, J.; Li, Y.; Jiao, P.; Yang, M.; Zou, X.; Cao, Y.; Ji, H.; Dong, L. A multifunctional nanoplatform based on graphitic carbon nitride quantum dots for imaging-guided and tumor-targeted chemo-photodynamic combination therapy. Colloids Surf. B Biointerfaces 2021, 199, 111549. [Google Scholar] [CrossRef]
- Chen, Q.; Sun, S.; Lin, H.; Li, Z.; Wu, A.; Liu, X.; Wu, F.-G.; Zhang, W. Supra-Carbon Dots Formed by Fe3+-Driven Assembly for Enhanced Tumor-Specific Photo-Mediated and Chemodynamic Synergistic Therapy. ACS Appl. Bio Mater. 2021, 4, 2759–2768. [Google Scholar] [CrossRef]






| Materials | Assembled or Decorated | Response Conditions | Emission Fluorescence | Km/mM | Vmax/10−8 Ms−1 | Ref |
|---|---|---|---|---|---|---|
| V−CDs | No | H2O2 | Green | 0.2019 | 142.3 | This work |
| CDs@EDTA@Gd@Fe | Yes | pH | Red | Not tested | [43] | |
| Fe-decorated CDs | Yes | GSH | Blue | Not tested | [44] | |
| g-CNQDs-PEG | Yes | pH | Green | Not tested | [45] | |
| Fe-Ce6-RCDs | Yes | pH | Red | Not tested | [46] | |
Disclaimer/Publisher’s Note: The statements, opinions and data contained in all publications are solely those of the individual author(s) and contributor(s) and not of MDPI and/or the editor(s). MDPI and/or the editor(s) disclaim responsibility for any injury to people or property resulting from any ideas, methods, instructions or products referred to in the content. |
© 2023 by the authors. Licensee MDPI, Basel, Switzerland. This article is an open access article distributed under the terms and conditions of the Creative Commons Attribution (CC BY) license (https://creativecommons.org/licenses/by/4.0/).
Share and Cite
Nie, R.; Jia, Q.; Li, Y. Tumor Microenvironment Activated Vanadium−Doped Carbon Dots for Fluorescence Imaging and Chemodynamic Therapy. Crystals 2023, 13, 652. https://doi.org/10.3390/cryst13040652
Nie R, Jia Q, Li Y. Tumor Microenvironment Activated Vanadium−Doped Carbon Dots for Fluorescence Imaging and Chemodynamic Therapy. Crystals. 2023; 13(4):652. https://doi.org/10.3390/cryst13040652
Chicago/Turabian StyleNie, Renhao, Qingyan Jia, and Yunqi Li. 2023. "Tumor Microenvironment Activated Vanadium−Doped Carbon Dots for Fluorescence Imaging and Chemodynamic Therapy" Crystals 13, no. 4: 652. https://doi.org/10.3390/cryst13040652
APA StyleNie, R., Jia, Q., & Li, Y. (2023). Tumor Microenvironment Activated Vanadium−Doped Carbon Dots for Fluorescence Imaging and Chemodynamic Therapy. Crystals, 13(4), 652. https://doi.org/10.3390/cryst13040652
