Aptamer’s Structure Optimization for Better Diagnosis and Treatment of Glial Tumors
Simple Summary
Abstract
1. Introduction
2. Materials and Methods
2.1. Molecular Modeling
2.2. Tumor Samples
2.3. Primary Glial Tumor Cell Cultures and GBM Cell Lines
2.4. Primary Culture of Cerebral Endothelial Cells, Astrocytes, and Neurons
2.5. Aptamer Synthesis
2.6. Aptamer Affinity Analysis
2.6.1. Flow Cytometry
2.6.2. Fluorescence Polarization Binding Dynamics
2.7. BBB Model
2.8. Confocal Laser Scanning Microscopy (CLSM)
3. Results and Discussion
3.1. Aptamer Structure Optimization
3.2. Analyses of Aptamer Properties
3.3. Fluorescence Polarization
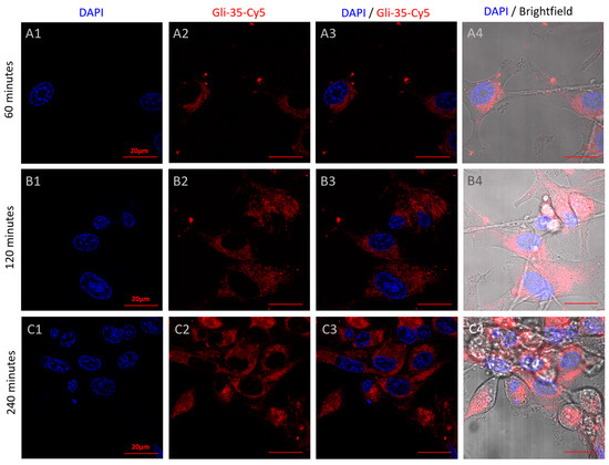
3.4. Confocal Laser Scanning Microscopy
3.5. Assessment of the Aptamer’s Ability to Penetrate the BBB
4. Conclusions
Supplementary Materials
Author Contributions
Funding
Institutional Review Board Statement
Informed Consent Statement
Data Availability Statement
Acknowledgments
Conflicts of Interest
References
- Zhou, J.; Battig, M.R.; Wang, Y. Aptamer-Based Molecular Recognition for Biosensor Development. Anal. Bioanal. Chem. 2010, 398, 2471–2480. [Google Scholar] [CrossRef] [PubMed]
- McKeague, M.; DeRosa, M.C. Challenges and Opportunities for Small Molecule Aptamer Development. J. Nucleic Acids 2012, 2012, 1–20. [Google Scholar] [CrossRef] [PubMed]
- Gold, L.; Polisky, B.; Uhlenbeck, O.; Yarus, M. Diversity of Oligonucleotide Functions. Annu. Rev. Biochem. 1995, 64, 763–797. [Google Scholar] [CrossRef] [PubMed]
- Minagawa, H.; Kataoka, Y.; Fujita, H.; Kuwahara, M.; Horii, K.; Shiratori, I.; Waga, I. Modified DNA Aptamers for C-Reactive Protein and Lactate Dehydrogenase-5 with Sub-Nanomolar Affinities. IJMS 2020, 21, 2683. [Google Scholar] [CrossRef]
- Akitomi, J.; Kato, S.; Yoshida, Y.; Horii, K.; Furuichi, M.; Waga, I. ValFold: Program for the Aptamer Truncation Process. Bioinformation 2011, 7, 38–40. [Google Scholar] [CrossRef]
- Yang, N.; Ding, N.; Qi, S.; Shang, Z.; Ma, P.; Khan, I.M.; Wang, Z.; Xia, Y.; Zhang, Y.; Zhang, L. High-Affinity Truncated Aptamers for Detection of Cronobacter Spp with Magnetic Separation-Assisted DNAzyme-Driven 3D DNA Walker. Microchim. Acta 2024, 191, 130. [Google Scholar] [CrossRef]
- Kichkailo, A.S.; Narodov, A.A.; Komarova, M.A.; Zamay, T.N.; Zamay, G.S.; Kolovskaya, O.S.; Erakhtin, E.E.; Glazyrin, Y.E.; Veprintsev, D.V.; Moryachkov, R.V.; et al. Development of DNA Aptamers for Visualization of Glial Brain Tumors and Detection of Circulating Tumor Cells. Mol. Ther. Nucleic Acids 2023, 32, 267–288. [Google Scholar] [CrossRef]
- Owczarzy, R.; Tataurov, A.V.; Wu, Y.; Manthey, J.A.; McQuisten, K.A.; Almabrazi, H.G.; Pedersen, K.F.; Lin, Y.; Garretson, J.; McEntaggart, N.O.; et al. IDT SciTools: A Suite for Analysis and Design of Nucleic Acid Oligomers. Nucleic Acids Res. 2008, 36, 163–169. [Google Scholar] [CrossRef]
- Boniecki, M.J.; Lach, G.; Dawson, W.K.; Tomala, K.; Lukasz, P.; Soltysinski, T.; Rother, K.M.; Bujnicki, J.M. SimRNA: A Coarse-Grained Method for RNA Folding Simulations and 3D Structure Prediction. Nucleic Acids Res. 2016, 44, e63. [Google Scholar] [CrossRef]
- Humphrey, W.; Dalke, A.; Schulten, K. VMD: Visual Molecular Dynamics. J. Mol. Graph. 1996, 14, 33–38. [Google Scholar] [CrossRef]
- Jeddi, I.; Saiz, L. Three-Dimensional Modeling of Single Stranded DNA Hairpins for Aptamer-Based Biosensors. Sci. Rep. 2017, 7, 1178. [Google Scholar] [CrossRef] [PubMed]
- Abraham, M.J.; Murtola, T.; Schulz, R.; Páll, S.; Smith, J.C.; Hess, B.; Lindah, E. Gromacs: High Performance Molecular Simulations through Multi-Level Parallelism from Laptops to Supercomputers. SoftwareX 2015, 1–2, 19–25. [Google Scholar] [CrossRef]
- Maier, J.A.; Martinez, C.; Kasavajhala, K.; Wickstrom, L.; Hauser, K.E.; Simmerling, C. Ff14SB: Improving the Accuracy of Protein Side Chain and Backbone Parameters from Ff99SB. J. Chem. Theory Comput. 2015, 11, 3696–3713. [Google Scholar] [CrossRef] [PubMed]
- Jorgensen, W.L.; Chandrasekhar, J.; Madura, J.D.; Impey, R.W.; Klein, M.L. Comparison of Simple Potential Functions for Simulating Liquid Water. J. Chem. Phys. 1983, 79, 926–935. [Google Scholar] [CrossRef]
- Heyer, L.J.; Kruglyak, S.; Yooseph, S. Exploring Expression Data: Identification and Analysis of Coexpressed Genes. Genome Res. 1999, 9, 1106–1115. [Google Scholar] [CrossRef]
- Khilazheva, E.D.; Boytsova, E.B.; Pozhilenkova, E.A.; Solonchuk, Y.R.; Salmina, A.B. Obtaining a Three-Cell Model of a Neurovascular Unit in Vitro. Cell Tiss. Biol. 2015, 9, 447–451. [Google Scholar] [CrossRef]
- Liu, Y.; Xue, Q.; Tang, Q.; Hou, M.; Qi, H.; Chen, G.; Chen, W.; Zhang, J.; Chen, Y.; Xu, X. A Simple Method for Isolating and Culturing the Rat Brain Microvascular Endothelial Cells. Microvasc. Res. 2013, 90, 199–205. [Google Scholar] [CrossRef]
- Patro, L.P.P.; Kumar, A.; Kolimi, N.; Rathinavelan, T. 3D-NuS: A Web Server for Automated Modeling and Visualization of Non-Canonical 3-D Imensional Nu Cleic Acid S Tructures. J. Mol. Biol. 2017, 429, 2438–2448. [Google Scholar] [CrossRef]
- Giles, B.; Nakhjavani, M.; Wiesa, A.; Knight, T.; Shigdar, S.; Samarasinghe, R.M. Unravelling the Glioblastoma Tumour Microenvironment: Can Aptamer Targeted Delivery Become Successful in Treating Brain Cancers? Cancers 2023, 15, 4376. [Google Scholar] [CrossRef]
- Zamay, G.; Koshmanova, A.; Narodov, A.; Gorbushin, A.; Voronkovskii, I.; Grek, D.; Luzan, N.; Kolovskaya, O.; Shchugoreva, I.; Artyushenko, P.; et al. Visualization of Brain Tumors with Infrared-Labeled Aptamers for Fluorescence-Guided Surgery. J. Am. Chem. Soc. 2024, 146, 24989–25004. [Google Scholar] [CrossRef]
- Reynolds, D.S.; Morton, A.J. Changes in Blood-Brain Barrier Permeability Following Neurotoxic Lesions of Rat Brain Can Be Visualised with Trypan Blue. J. Neurosci. Methods 1998, 79, 115–121. [Google Scholar] [CrossRef] [PubMed]
- Miclescu, A.; Sharma, H.S.; Martijn, C.; Wiklund, L. Methylene Blue Protects the Cortical Blood-Brain Barrier against Ischemia/Reperfusion-Induced Disruptions. Crit. Care Med. 2010, 38, 2199–2206. [Google Scholar] [CrossRef] [PubMed]
- Santarpia, G.; Carnes, E. Therapeutic Applications of Aptamers. IJMS 2024, 25, 6742. [Google Scholar] [CrossRef] [PubMed]
- Vinjamuri, B.P.; Pan, J.; Peng, P. A Review on Commercial Oligonucleotide Drug Products. J. Pharm. Sci. 2024, 113, 1749–1768. [Google Scholar] [CrossRef]
- Andrews, B.I.; Antia, F.D.; Brueggemeier, S.B.; Diorazio, L.J.; Koenig, S.G.; Kopach, M.E.; Lee, H.; Olbrich, M.; Watson, A.L. Sustainability Challenges and Opportunities in Oligonucleotide Manufacturing. J. Org. Chem. 2021, 86, 49–61. [Google Scholar] [CrossRef]









Disclaimer/Publisher’s Note: The statements, opinions and data contained in all publications are solely those of the individual author(s) and contributor(s) and not of MDPI and/or the editor(s). MDPI and/or the editor(s) disclaim responsibility for any injury to people or property resulting from any ideas, methods, instructions or products referred to in the content. |
© 2024 by the authors. Licensee MDPI, Basel, Switzerland. This article is an open access article distributed under the terms and conditions of the Creative Commons Attribution (CC BY) license (https://creativecommons.org/licenses/by/4.0/).
Share and Cite
Koshmanova, A.A.; Artyushenko, P.V.; Shchugoreva, I.A.; Fedotovskaya, V.D.; Luzan, N.A.; Kolovskaya, O.S.; Zamay, G.S.; Lukyanenko, K.A.; Veprintsev, D.V.; Khilazheva, E.D.; et al. Aptamer’s Structure Optimization for Better Diagnosis and Treatment of Glial Tumors. Cancers 2024, 16, 4111. https://doi.org/10.3390/cancers16234111
Koshmanova AA, Artyushenko PV, Shchugoreva IA, Fedotovskaya VD, Luzan NA, Kolovskaya OS, Zamay GS, Lukyanenko KA, Veprintsev DV, Khilazheva ED, et al. Aptamer’s Structure Optimization for Better Diagnosis and Treatment of Glial Tumors. Cancers. 2024; 16(23):4111. https://doi.org/10.3390/cancers16234111
Chicago/Turabian StyleKoshmanova, Anastasia A., Polina V. Artyushenko, Irina A. Shchugoreva, Victoriya D. Fedotovskaya, Natalia A. Luzan, Olga S. Kolovskaya, Galina S. Zamay, Kirill A. Lukyanenko, Dmitriy V. Veprintsev, Elena D. Khilazheva, and et al. 2024. "Aptamer’s Structure Optimization for Better Diagnosis and Treatment of Glial Tumors" Cancers 16, no. 23: 4111. https://doi.org/10.3390/cancers16234111
APA StyleKoshmanova, A. A., Artyushenko, P. V., Shchugoreva, I. A., Fedotovskaya, V. D., Luzan, N. A., Kolovskaya, O. S., Zamay, G. S., Lukyanenko, K. A., Veprintsev, D. V., Khilazheva, E. D., Zamay, T. N., Ivanova, D. A., Kastyuk, M. R., Lapin, I. N., Svetlichnyi, V. A., Tomilin, F. N., Shved, N. A., Gulaia, V. S., Kumeiko, V. V., ... Kichkailo, A. S. (2024). Aptamer’s Structure Optimization for Better Diagnosis and Treatment of Glial Tumors. Cancers, 16(23), 4111. https://doi.org/10.3390/cancers16234111

